miR-9-5p and miR-221-3p Promote Human Mesenchymal Stem Cells to Alleviate Carbon Tetrachloride-Induced Liver Injury by Enhancing Human Mesenchymal Stem Cell Engraftment and Inhibiting Hepatic Stellate Cell Activation
Abstract
1. Introduction
2. Results
2.1. miR-9-5p and miR-221-3p Promote the Migration of hMSCs in Response to HGF
2.2. miR-9-5p and miR-221-3p Promote hMSC Homing to Liver Injury and Improve Macroscopic Liver Appearance
2.3. hMSCs Overexpressing miR-9-5p or miR-221-3p Ameliorate CCl4-Induced Microscopic Hepatic Injury
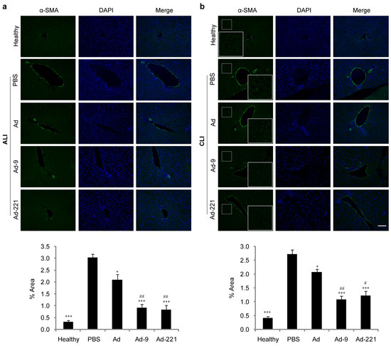
2.4. hMSCs Overexpressing miR-9-5p or miR-221-3p Alleviate Liver Injuries through Inactivation of HSCs
2.5. hMSCs Overexpressing miR-9-5p or miR-221-3p Decrease the Expression of Fibrogenic and Proinflammatory Factors in Injured Liver
3. Discussion
4. Materials and Methods
4.1. Isolation and Cultivation of hMSCs
4.2. Upregulation of miR-9-5p or miR-221-3p in hMSCs
4.3. Preparation of Conditioned Medium for hMSCs
4.4. Treatment of The Human Hepatic Stellate Cell Line LX-2
4.5. Analysis of Cell Proliferation
4.6. Detection of Apoptosis and Death Using Flow Cytometry
4.7. RNA Isolation and Quantitative Analysis Using Real-Time PCR (qPCR)
4.8. Migration Assays
4.9. CCl4-Induced Acute and Chronic Liver Injury Mouse Models
4.10. Histochemical Staining of Liver Sections
4.11. Statistical Analysis
5. Conclusions
Supplementary Materials
Author Contributions
Funding
Institutional Review Board Statement
Informed Consent Statement
Data Availability Statement
Acknowledgments
Conflicts of Interest
References
- Campagnoli, C.; Roberts, I.A.; Kumar, S.; Bennett, P.R.; Bellantuono, I.; Fisk, N.M. Identification of mesenchymal stem/progenitor cells in human first-trimester fetal blood, liver, and bone marrow. Blood 2001, 98, 2396–2402. [Google Scholar] [CrossRef]
- Ding, D.C.; Chang, Y.H.; Shyu, W.C.; Lin, S.Z. Human umbilical cord mesenchymal stem cells: A new era for stem cell therapy. Cell Transpl. 2015, 24, 339–347. [Google Scholar] [CrossRef] [PubMed]
- Meirelles, L.D.S.; Chagastelles, P.C.; Nardi, N.B. Mesenchymal stem cells reside in virtually all post-natal organs and tissues. J. Cell Sci. 2006, 119, 2204–2213. [Google Scholar] [CrossRef]
- Nagamura-Inoue, T.; He, H. Umbilical cord-derived mesenchymal stem cells: Their advantages and potential clinical utility. World J. Stem Cells 2014, 6, 195–202. [Google Scholar] [CrossRef]
- Wang, H.S.; Hung, S.C.; Peng, S.T.; Huang, C.C.; Wei, H.M.; Guo, Y.J.; Fu, Y.S.; Lai, M.C.; Chen, C.C. Mesenchymal stem cells in the Wharton’s jelly of the human umbilical cord. Stem Cells 2004, 22, 1330–1337. [Google Scholar] [CrossRef] [PubMed]
- Dai, L.J.; Li, H.Y.; Guan, L.X.; Ritchie, G.; Zhou, J.X. The therapeutic potential of bone marrow-derived mesenchymal stem cells on hepatic cirrhosis. Stem Cell Res. 2009, 2, 16–25. [Google Scholar] [CrossRef] [PubMed]
- Zhang, Z.; Wang, F.S. Stem cell therapies for liver failures and cirrhosis. J. Hepatol. 2013, 59, 183–185. [Google Scholar] [CrossRef]
- Alfaifi, M.; Eom, Y.W.; Newsome, P.N.; Baik, S.K. Mesenchymal stromal cell therapy for liver diseases. J. Hepatol. 2018, 68, 1272–1285. [Google Scholar] [CrossRef]
- Chamberlain, G.; Fox, J.; Ashton, B.; Middleton, J. Concise review: Mesenchymal stem cells: Their phenotype, differentiation capacity, immunological features, and potential for homing. Stem Cells 2007, 25, 2739–2749. [Google Scholar] [CrossRef]
- Karp, J.M.; Leng Teo, G.S. Mesenchymal stem cell homing: The devil is in the details. Cell Stem Cell 2009, 4, 206–216. [Google Scholar] [CrossRef]
- Sohni, A.; Verfaillie, C.M. Mesenchymal stem cells migration homing and tracking. Stem Cells Int. 2013, 2013, 130763. [Google Scholar] [CrossRef]
- Ullah, M.; Liu, D.D.; Thakor, A.S. Mesenchymal stromal cell homing: Mechanisms and strategies for improvement. iScience 2019, 15, 421–438. [Google Scholar] [CrossRef] [PubMed]
- Liesveld, J.L.; Sharma, N.; Aljitawi, O.S. Stem cell homing: From physiology to therapeutics. Stem Cells 2020, 38, 1241–1253. [Google Scholar] [CrossRef]
- Son, B.R.; Marquez-Curtis, L.A.; Kucia, M.; Wysoczynski, M.; Turner, A.R.; Ratajczak, J.; Ratajczak, M.Z.; Janowska-Wieczorek, A. Migration of bone marrow and cord blood mesenchymal stem cells in vitro is regulated by stromal-derived factor-1-CXCR4 and hepatocyte growth factor-c-Met axes and involves matrix metalloproteinases. Stem Cells 2006, 24, 1254–1264. [Google Scholar] [CrossRef]
- Zheng, B.; Wang, C.; He, L.; Xu, X.; Qu, J.; Hu, J.; Zhang, H. Neural differentiation of mesenchymal stem cells influences chemotactic responses to HGF. J. Cell. Physiol. 2013, 228, 149–162. [Google Scholar] [CrossRef] [PubMed]
- Lindroos, P.M.; Zarnegar, R.; Michalopoulos, G.K. Hepatocyte growth factor (hepatopoietin a) rapidly increases in plasma before DNA synthesis and liver regeneration stimulated by partial hepatectomy and carbon tetrachloride administration. Hepatology 1991, 13, 743–750. [Google Scholar] [CrossRef] [PubMed]
- Imai, T.; Masui, T.; Nakanishi, H.; Inada, K.; Kobayashi, K.; Nakamura, T.; Tatematsu, M. Expression of hepatocyte growth factor and c-Met mRNAs during rat chemically induced hepatocarcinogenesis. Carcinogenesis 1996, 17, 19–24. [Google Scholar] [CrossRef] [PubMed][Green Version]
- Guirouilh, J.; Le Bail, B.; Boussarie, L.; Balabaud, C.; Bioulac-Sage, P.; Desmouliere, A.; Schuppan, D.; Rosenbaum, J. Expression of hepatocyte growth factor in human hepatocellular carcinoma. J. Hepatol. 2001, 34, 78–83. [Google Scholar] [CrossRef]
- Hata, J.; Ikeda, E.; Uno, H.; Asano, S. Expression of hepatocyte growth factor mRNA in rat liver cirrhosis induced by N-nitrosodimethylamine as evidenced by in situ RT-PCR. J. Histochem. Cytochem. 2002, 50, 1461–1468. [Google Scholar] [CrossRef]
- Cramer, T.; Schuppan, D.; Bauer, M.; Pfander, D.; Neuhaus, P.; Herbst, H. Hepatocyte growth factor and c-Met expression in rat and human liver fibrosis. Liver Int. 2004, 24, 335–344. [Google Scholar] [CrossRef]
- Liu, J.; Pan, G.; Liang, T.; Huang, P. HGF/c-Met signaling mediated mesenchymal stem cell-induced liver recovery in intestinal ischemia reperfusion model. Int. J. Med. Sci. 2014, 11, 626–633. [Google Scholar] [CrossRef] [PubMed]
- Shams, S.; Mohsin, S.; Nasir, G.A.; Khan, M.; Khan, S.N. Mesenchymal stem cells pretreated with HGF and FGF4 can reduce liver fibrosis in mice. Stem Cells Int. 2015, 2015, 747245–747256. [Google Scholar] [CrossRef] [PubMed]
- Wang, K.; Li, Y.; Zhu, T.; Zhang, Y.; Li, W.; Lin, W.; Li, J.; Zhu, C. Overexpression of c-Met in bone marrow mesenchymal stem cells improves their effectiveness in homing and repair of acute liver failure. Stem Cell Res. Ther. 2017, 8, 162. [Google Scholar] [CrossRef] [PubMed]
- He, L.; Zhang, H. MicroRNAs in the migration of mesenchymal stem cells. Stem Cell Rev. Rep. 2019, 15, 3–12. [Google Scholar] [CrossRef]
- Zhu, A.; Kang, N.; He, L.; Li, X.; Xu, X.; Zhang, H. MiR-221 and miR-26b regulate chemotactic migration of mscs toward HGF through activation of Akt and FAK. J. Cell. Biochem. 2016, 117, 1370–1383. [Google Scholar] [CrossRef] [PubMed]
- Li, X.; He, L.; Yue, Q.; Lu, J.; Kang, N.; Xu, X.; Wang, H.; Zhang, H. Mir-9-5p promotes MSC migration by activating beta-catenin signaling pathway. Am. J. Physiol.-Cell Phys. 2017, 313, C80–C93. [Google Scholar] [CrossRef] [PubMed]
- Pittenger, M.F.; Mackay, A.M.; Beck, S.C.; Jaiswal, R.K.; Douglas, R.; Mosca, J.D.; Moorman, M.A.; Simonetti, D.W.; Craig, S.; Marshak, D.R. Multilineage potential of adult human mesenchymal stem cells. Science 1999, 284, 143–147. [Google Scholar] [CrossRef]
- Bedossa, P.; Paradis, V. Liver extracellular matrix in health and disease. J. Pathol. 2003, 200, 504–515. [Google Scholar] [CrossRef]
- Friedman, S.L. Mechanisms of hepatic fibrogenesis. Gastroenterology 2008, 134, 1655–1669. [Google Scholar] [CrossRef]
- Yin, C.; Evason, K.J.; Asahina, K.; Stainier, D.Y. Hepatic stellate cells in liver development, regeneration, and cancer. J. Clin. Investig. 2013, 123, 1902–1910. [Google Scholar] [CrossRef]
- Hemmann, S.; Graf, J.; Roderfeld, M.; Roeb, E. Expression of MMPs and TIMPs in liver fibrosis—A systematic review with special emphasis on anti-fibrotic strategies. J. Hepatol. 2007, 46, 955–975. [Google Scholar] [CrossRef] [PubMed]
- Fabregat, I.; Moreno-Caceres, J.; Sanchez, A.; Dooley, S.; Dewidar, B.; Giannelli, G.; Ten Dijke, P.; Consortium, I.-L. TGF-beta signalling and liver disease. FEBS J. 2016, 283, 2219–2232. [Google Scholar] [CrossRef] [PubMed]
- Tsuchida, T.; Friedman, S.L. Mechanisms of hepatic stellate cell activation. Nat. Rev. Gastroenterol. Hepatol. 2017, 14, 397–411. [Google Scholar] [CrossRef] [PubMed]
- Ji, X.; Yang, L.; Zhang, Z.; Zhang, K.; Chang, N.; Zhou, X.; Hou, L.; Yang, L.; Li, L. Sphingosine 1-phosphate/microRNA-1249-5p/MCP-1 axis is involved in macrophage-associated inflammation in fatty liver injury in mice. Eur. J. Immunol. 2020, 50, 1746–1756. [Google Scholar] [CrossRef] [PubMed]
- Queck, A.; Bode, H.; Uschner, F.E.; Brol, M.J.; Graf, C.; Schulz, M.; Jansen, C.; Praktiknjo, M.; Schierwagen, R.; Klein, S.; et al. Systemic MCP-1 levels derive mainly from injured liver and are associated with complications in cirrhosis. Front. Immunol. 2020, 11, 354. [Google Scholar] [CrossRef] [PubMed]
- Wang, Y.H.; Wu, D.B.; Chen, B.; Chen, E.Q.; Tang, H. Progress in mesenchymal stem cell-based therapy for acute liver failure. Stem Cell Res. Ther. 2018, 9, 227. [Google Scholar] [CrossRef] [PubMed]
- Xue, R.; Meng, Q.; Dong, J.; Li, J.; Yao, Q.; Zhu, Y.; Yu, H. Clinical performance of stem cell therapy in patients with acute-on-chronic liver failure: A systematic review and meta-analysis. J. Transl. Med. 2018, 16, 126. [Google Scholar] [CrossRef] [PubMed]
- Zhou, C.; Wang, W.; Mu, Y. Allogeneic mesenchymal stem cells therapy for the treatment of hepatitis B virus-related acute-on-chronic liver failure. Hepatology 2018, 68, 1660–1661. [Google Scholar] [CrossRef] [PubMed]
- Wu, M.C.; Meng, Q.H. Current understanding of mesenchymal stem cells in liver diseases. World J. Stem Cells 2021, 13, 1349–1359. [Google Scholar] [CrossRef]
- Liu, L.; Yang, F. Application of modified mesenchymal stem cells transplantation in the treatment of liver injury. Physiol. Res. 2021, 70, 327–343. [Google Scholar] [CrossRef]
- Marra, F.; Romanelli, R.G.; Giannini, C.; Failli, P.; Pastacaldi, S.; Arrighi, M.C.; Pinzani, M.; Laffi, G.; Montalto, P.; Gentilini, P. Monocyte chemotactic protein-1 as a chemoattractant for human hepatic stellate cells. Hepatology 1999, 29, 140–148. [Google Scholar] [CrossRef] [PubMed]
- Sprenger, H.; Kaufmann, A.; Garn, H.; Lahme, B.; Gemsa, D.; Gressner, A.M. Differential expression of monocyte chemotactic protein-1 (MCP-1) in transforming rat hepatic stellate cells. J. Hepatol. 1999, 30, 88–94. [Google Scholar] [CrossRef] [PubMed]
- Tsukada, S.; Parsons, C.J.; Rippe, R.A. Mechanisms of liver fibrosis. Clin. Chim. Acta 2006, 364, 33–60. [Google Scholar] [CrossRef] [PubMed]
- Lee, U.E.; Friedman, S.L. Mechanisms of hepatic fibrogenesis. Best Pract. Res. Clin. Gastroenterol. 2011, 25, 195–206. [Google Scholar] [CrossRef] [PubMed]
- Zhu, L.J.; Wang, Q.; Guo, M.D.; Fang, H.; Li, T.; Zhu, Y.; Jiang, H.M.; Xiao, P.G.; Hu, M.L. Mesenchymal Stem Cell-Derived Exosomes in Various Chronic Liver Diseases: Hype or Hope? J. Inflamm. Res. 2024, 17, 171–189. [Google Scholar] [CrossRef] [PubMed]
- Sun, J.; Zhang, H.; Li, L.; Yu, L.; Fu, L. MicroRNA-9 limits hepatic fibrosis by suppressing the activation and proliferation of hepatic stellate cells by directly targeting MRP1/ABCC1. Oncol. Rep. 2017, 37, 1698–1706. [Google Scholar] [CrossRef] [PubMed]
- Ogawa, T.; Enomoto, M.; Fujii, H.; Sekiya, Y.; Yoshizato, K.; Ikeda, K.; Kawada, N. MicroRNA-221/222 upregulation indicates the activation of stellate cells and the progression of liver fibrosis. Gut 2012, 61, 1600–1609. [Google Scholar] [CrossRef]
- Tsay, H.C.; Yuan, Q.; Balakrishnan, A.; Kaiser, M.; Mobus, S.; Kozdrowska, E.; Farid, M.; Tegtmeyer, P.K.; Borst, K.; Vondran, F.W.R.; et al. Hepatocyte-specific suppression of microRNA-221-3p mitigates liver fibrosis. J. Hepatol. 2018, 70, 722–734. [Google Scholar] [CrossRef]







Disclaimer/Publisher’s Note: The statements, opinions and data contained in all publications are solely those of the individual author(s) and contributor(s) and not of MDPI and/or the editor(s). MDPI and/or the editor(s) disclaim responsibility for any injury to people or property resulting from any ideas, methods, instructions or products referred to in the content. |
© 2024 by the authors. Licensee MDPI, Basel, Switzerland. This article is an open access article distributed under the terms and conditions of the Creative Commons Attribution (CC BY) license (https://creativecommons.org/licenses/by/4.0/).
Share and Cite
He, L.; Xu, J.; Huang, P.; Bai, Y.; Chen, H.; Xu, X.; Hu, Y.; Liu, J.; Zhang, H. miR-9-5p and miR-221-3p Promote Human Mesenchymal Stem Cells to Alleviate Carbon Tetrachloride-Induced Liver Injury by Enhancing Human Mesenchymal Stem Cell Engraftment and Inhibiting Hepatic Stellate Cell Activation. Int. J. Mol. Sci. 2024, 25, 7235. https://doi.org/10.3390/ijms25137235
He L, Xu J, Huang P, Bai Y, Chen H, Xu X, Hu Y, Liu J, Zhang H. miR-9-5p and miR-221-3p Promote Human Mesenchymal Stem Cells to Alleviate Carbon Tetrachloride-Induced Liver Injury by Enhancing Human Mesenchymal Stem Cell Engraftment and Inhibiting Hepatic Stellate Cell Activation. International Journal of Molecular Sciences. 2024; 25(13):7235. https://doi.org/10.3390/ijms25137235
Chicago/Turabian StyleHe, Lihong, Jianwei Xu, Ping Huang, Yu Bai, Huanhuan Chen, Xiaojing Xu, Ya’nan Hu, Jinming Liu, and Huanxiang Zhang. 2024. "miR-9-5p and miR-221-3p Promote Human Mesenchymal Stem Cells to Alleviate Carbon Tetrachloride-Induced Liver Injury by Enhancing Human Mesenchymal Stem Cell Engraftment and Inhibiting Hepatic Stellate Cell Activation" International Journal of Molecular Sciences 25, no. 13: 7235. https://doi.org/10.3390/ijms25137235
APA StyleHe, L., Xu, J., Huang, P., Bai, Y., Chen, H., Xu, X., Hu, Y., Liu, J., & Zhang, H. (2024). miR-9-5p and miR-221-3p Promote Human Mesenchymal Stem Cells to Alleviate Carbon Tetrachloride-Induced Liver Injury by Enhancing Human Mesenchymal Stem Cell Engraftment and Inhibiting Hepatic Stellate Cell Activation. International Journal of Molecular Sciences, 25(13), 7235. https://doi.org/10.3390/ijms25137235

