The Reduction of PSMB4 in T24 and J82 Bladder Cancer Cells Inhibits the Angiogenesis and Migration of Endothelial Cells
Abstract
1. Introduction
2. Results
2.1. Analysis of PSMB4 Expression in Patients with Bladder Cancer and Establishment of A PSMB4 Silencing System in Bladder Cancer Cells
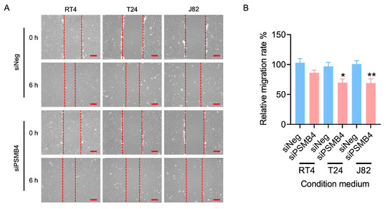
2.2. Silencing PSMB4 Reduced the Migration Ability of Bladder Cancer Cells
2.3. Knockdown of PSMB4 Inhibited HUVEC Angiogenesis
2.4. Knockdown of PSMB4 Inhibited the Migration of HUVECs
2.5. Knockdown of PSMB4 in Bladder Cancer Cells In Vivo
3. Discussion
4. Materials and Methods
4.1. Cell Culture
4.2. siRNA Transfection
4.3. MTT Assay
4.4. Colony Formation Assay
4.5. Wound Healing Assay
4.6. Western Blotting
4.7. Tube Formation Assay
4.8. Enzyme-Linked Immunosorbent Assay (ELISA)
4.9. RNA Extraction and Real-Time Polymerase Chain Reaction (RT-PCR)
4.10. Short Hairpin RNA (shRNA) Transfection
4.11. Bladder Cancer Xenograft Animal Models
4.12. Statistical Analysis
5. Conclusions
Supplementary Materials
Author Contributions
Funding
Institutional Review Board Statement
Informed Consent Statement
Data Availability Statement
Acknowledgments
Conflicts of Interest
References
- Lee, Y.L.; Chien, T.W.; Wang, J.C. Using Sankey diagrams to explore the trend of article citations in the field of bladder cancer: Research achievements in China higher than those in the United States. Medicine 2022, 101, e30217. [Google Scholar] [CrossRef] [PubMed]
- Siegel, R.L.; Miller, K.D.; Fuchs, H.E.; Jemal, A. Cancer statistics, 2022. CA Cancer J. Clin. 2022, 72, 7–33. [Google Scholar] [CrossRef] [PubMed]
- Saginala, K.; Barsouk, A.; Aluru, J.S.; Rawla, P.; Padala, S.A.; Barsouk, A. Epidemiology of Bladder Cancer. Med. Sci. 2020, 8, 15. [Google Scholar] [CrossRef]
- Akhtar, M.; Al-Bozom, I.A.; Ben Gashir, M.; Taha, N.M. Intrinsic Molecular Subclassification of Urothelial Carcinoma of the Bladder: Are We Finally there? Adv. Anat. Pathol. 2019, 26, 251–256. [Google Scholar] [CrossRef]
- Tsai, Y.S.; Wu, T.Y.; Ou, C.H.; Cheng, H.L.; Tzai, T.S.; Yang, W.H.; Wang, J.D. Dynamic changes of quality of life in muscle-invasive bladder cancer survivors. BMC Urol. 2022, 22, 126. [Google Scholar] [CrossRef] [PubMed]
- Nguyen, T.T.; Ung, T.T.; Kim, N.H.; Jung, Y.D. Role of bile acids in colon carcinogenesis. World J. Clin. Cases 2018, 6, 577–588. [Google Scholar] [CrossRef]
- Carmeliet, P.; Jain, R.K. Angiogenesis in cancer and other diseases. Nature 2000, 407, 249–257. [Google Scholar] [CrossRef]
- Tabernero, J. The role of VEGF and EGFR inhibition: Implications for combining anti-VEGF and anti-EGFR agents. Mol. Cancer Res. MCR 2007, 5, 203–220. [Google Scholar] [CrossRef]
- Rahman, H.N.A.; Wu, H.; Dong, Y.; Pasula, S.; Wen, A.; Sun, Y.; Brophy, M.L.; Tessneer, K.L.; Cai, X.; McManus, J.; et al. Selective Targeting of a Novel Epsin-VEGFR2 Interaction Promotes VEGF-Mediated Angiogenesis. Circ. Res. 2016, 118, 957–969. [Google Scholar] [CrossRef]
- Karar, J.; Maity, A. PI3K/AKT/mTOR Pathway in Angiogenesis. Front. Mol. Neurosci. 2011, 4, 51. [Google Scholar] [CrossRef]
- Pellom, S.T., Jr.; Shanker, A. Development of Proteasome Inhibitors as Therapeutic Drugs. J. Clin. Cell. Immunol. 2012, S5, 5. [Google Scholar]
- Bedford, L.; Paine, S.; Sheppard, P.W.; Mayer, R.J.; Roelofs, J. Assembly, structure, and function of the 26S proteasome. Trends Cell Biol. 2010, 20, 391–401. [Google Scholar] [CrossRef]
- Cheng, Y.C.; Tsai, W.C.; Sung, Y.C.; Chang, H.H.; Chen, Y. Interference with PSMB4 Expression Exerts an Anti-Tumor Effect by Decreasing the Invasion and Proliferation of Human Glioblastoma Cells. Cell. Physiol. Biochem. Int. J. Exp. Cell. Physiol. Biochem. Pharmacol. 2018, 45, 819–831. [Google Scholar] [CrossRef]
- Wang, H.; He, Z.; Xia, L.; Zhang, W.; Xu, L.; Yue, X.; Ru, X.; Xu, Y. PSMB4 overexpression enhances the cell growth and viability of breast cancer cells leading to a poor prognosis. Oncol. Rep. 2018, 40, 2343–2352. [Google Scholar] [CrossRef] [PubMed]
- Liu, R.; Lu, S.; Deng, Y.; Yang, S.; He, S.; Cai, J.; Qiang, F.; Chen, C.; Zhang, W.; Zhao, S.; et al. PSMB4 expression associates with epithelial ovarian cancer growth and poor prognosis. Arch. Gynecol. Obstet. 2016, 293, 1297–1307. [Google Scholar] [CrossRef]
- Zheng, P.; Guo, H.; Li, G.; Han, S.; Luo, F.; Liu, Y. PSMB4 promotes multiple myeloma cell growth by activating NF-κB-miR-21 signaling. Biochem. Biophys. Res. Commun. 2015, 458, 328–333. [Google Scholar] [CrossRef]
- Lamalice, L.; Boeuf, F.L.; Huot, J. Endothelial Cell Migration During Angiogenesis. Circ. Res. 2007, 100, 782–794. [Google Scholar] [CrossRef] [PubMed]
- Lee, H.-W.; Shin, J.H.; Simons, M. Flow goes forward and cells step backward: Endothelial migration. Exp. Mol. Med. 2022, 54, 711–719. [Google Scholar] [CrossRef] [PubMed]
- Yadav, V.; Denning, M.F. Fyn is induced by Ras/PI3K/Akt signaling and is required for enhanced invasion/migration. Mol. Carcinog. 2011, 50, 346–352. [Google Scholar] [CrossRef]
- Siesser, P.M.; Hanks, S.K. The signaling and biological implications of FAK overexpression in cancer. Clin. Cancer Res. Off. J. Am. Assoc. Cancer Res. 2006, 12, 3233–3237. [Google Scholar] [CrossRef]
- Zhang, Y.; Yang, B.; Zhao, J.; Li, X.; Zhang, L.; Zhai, Z. Proteasome Inhibitor Carbobenzoxy-L-Leucyl-L-Leucyl-L-Leucinal (MG132) Enhances Therapeutic Effect of Paclitaxel on Breast Cancer by Inhibiting Nuclear Factor (NF)-κB Signaling. Med. Sci. Monit. Int. Med. J. Exp. Clin. Res. 2018, 24, 294–304. [Google Scholar] [CrossRef] [PubMed]
- Koch, S.; Claesson-Welsh, L. Signal transduction by vascular endothelial growth factor receptors. Cold Spring Harb Perspect. Med. 2012, 2, a006502. [Google Scholar] [CrossRef] [PubMed]
- Kivela, R.; Bry, M.; Robciuc, M.R.; Rasanen, M.; Taavitsainen, M.; Silvola, J.M.; Saraste, A.; Hulmi, J.J.; Anisimov, A.; Mayranpaa, M.I.; et al. VEGF-B-induced vascular growth leads to metabolic reprogramming and ischemia resistance in the heart. EMBO Mol. Med. 2014, 6, 307–321. [Google Scholar] [CrossRef] [PubMed]
- Tahergorabi, Z.; Khazaei, M. A review on angiogenesis and its assays. Iran. J. Basic Med. Sci. 2012, 15, 1110–1126. [Google Scholar]
- Masłowska, K.; Halik, P.K.; Tymecka, D.; Misicka, A.; Gniazdowska, E. The Role of VEGF Receptors as Molecular Target in Nuclear Medicine for Cancer Diagnosis and Combination Therapy. Cancers 2021, 13, 1072. [Google Scholar] [CrossRef] [PubMed]
- Jussila, L.; Alitalo, K. Vascular growth factors and lymphangiogenesis. Physiol. Rev. 2002, 82, 673–700. [Google Scholar] [CrossRef] [PubMed]
- Shibuya, M.; Claesson-Welsh, L. Signal transduction by VEGF receptors in regulation of angiogenesis and lymphangiogenesis. Exp. Cell Res. 2006, 312, 549–560. [Google Scholar] [CrossRef]
- Cho, H.D.; Moon, K.D.; Park, K.H.; Lee, Y.S.; Seo, K.I. Effects of auriculasin on vascular endothelial growth factor (VEGF)-induced angiogenesis via regulation of VEGF receptor 2 signaling pathways in vitro and in vivo. Food Chem. Toxicol. Int. J. Publ. Br. Ind. Biol. Res. Assoc. 2018, 121, 612–621. [Google Scholar] [CrossRef]








Disclaimer/Publisher’s Note: The statements, opinions and data contained in all publications are solely those of the individual author(s) and contributor(s) and not of MDPI and/or the editor(s). MDPI and/or the editor(s) disclaim responsibility for any injury to people or property resulting from any ideas, methods, instructions or products referred to in the content. |
© 2024 by the authors. Licensee MDPI, Basel, Switzerland. This article is an open access article distributed under the terms and conditions of the Creative Commons Attribution (CC BY) license (https://creativecommons.org/licenses/by/4.0/).
Share and Cite
Lin, Y.-H.; Chen, T.-M.; Tsai, Y.-L.; Tsai, W.-C.; Wang, H.-H.; Chen, Y.; Wu, S.-T. The Reduction of PSMB4 in T24 and J82 Bladder Cancer Cells Inhibits the Angiogenesis and Migration of Endothelial Cells. Int. J. Mol. Sci. 2024, 25, 5559. https://doi.org/10.3390/ijms25105559
Lin Y-H, Chen T-M, Tsai Y-L, Tsai W-C, Wang H-H, Chen Y, Wu S-T. The Reduction of PSMB4 in T24 and J82 Bladder Cancer Cells Inhibits the Angiogenesis and Migration of Endothelial Cells. International Journal of Molecular Sciences. 2024; 25(10):5559. https://doi.org/10.3390/ijms25105559
Chicago/Turabian StyleLin, Yi-Hsuan, Tzu-Min Chen, Yu-Ling Tsai, Wen-Chiuan Tsai, Hisao-Hsien Wang, Ying Chen, and Sheng-Tang Wu. 2024. "The Reduction of PSMB4 in T24 and J82 Bladder Cancer Cells Inhibits the Angiogenesis and Migration of Endothelial Cells" International Journal of Molecular Sciences 25, no. 10: 5559. https://doi.org/10.3390/ijms25105559
APA StyleLin, Y.-H., Chen, T.-M., Tsai, Y.-L., Tsai, W.-C., Wang, H.-H., Chen, Y., & Wu, S.-T. (2024). The Reduction of PSMB4 in T24 and J82 Bladder Cancer Cells Inhibits the Angiogenesis and Migration of Endothelial Cells. International Journal of Molecular Sciences, 25(10), 5559. https://doi.org/10.3390/ijms25105559

