Chitosan Hydrogel Supplemented with Metformin Promotes Neuron–like Cell Differentiation of Gingival Mesenchymal Stem Cells
Abstract
:1. Introduction
2. Results
2.1. Synthesis and Characterization of CS/β–GP
2.2. Characterization of GMSCs
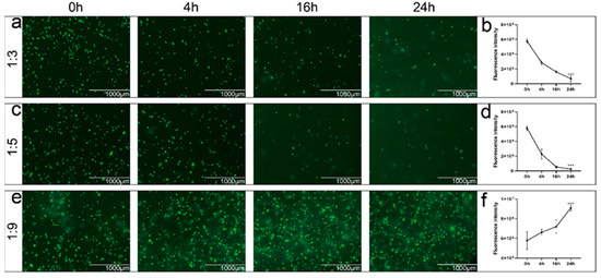
2.3. Assessment of Cell Viability on Hydrogels
2.4. Evaluation of the Differentiation of GMSCs into Neuronal Cells on the Hydrogel
2.5. Protein Profile of Neural Differentiation in GMSCs
3. Discussion
4. Materials and Methods
4.1. Materials
4.2. Synthesis of CS/β–GP Hydrogel
4.3. Characterization of CS/β–GP Hydrogel
4.3.1. Observation by SEM
4.3.2. FTIR Analysis
4.4. Cell Culture and Treatment
4.5. Cell Viability Assay on the Hydrogel
4.6. Characterization of Adult Human GMSCs
4.7. Multi–Lineage Differentiation of GMSCs
4.8. Differentiation of GMSCs into Neuronal Cells on the Hydrogel
4.9. Quantitative Real–Time Reverse–Transcription Polymerase Chain Reaction (qRT–PCR)
4.10. Western Blot
4.11. Immunofluorescence
4.12. Proteomics and Bioinformatics Analysis
4.13. Statistical Analysis
5. Conclusions
Supplementary Materials
Author Contributions
Funding
Institutional Review Board Statement
Informed Consent Statement
Data Availability Statement
Conflicts of Interest
References
- Corps, K.N.; Roth, T.L.; McGavern, D.B. Inflammation and neuroprotection in traumatic brain injury. JAMA Neurol. 2015, 72, 355–362. [Google Scholar] [CrossRef] [Green Version]
- Lindsay, S.L.; McCanney, G.A.; Willison, A.G.; Barnett, S.C. Multi–target approaches to CNS repair: Olfactory mucosa–derived cells and heparan sulfates. Nat. Rev. Neurol. 2020, 16, 229–240. [Google Scholar] [CrossRef]
- Brioschi, S.; Zhou, Y.; Colonna, M. Brain Parenchymal and Extraparenchymal Macrophages in Development, Homeostasis, and Disease. J. Immunol. 2020, 204, 294–305. [Google Scholar] [CrossRef] [PubMed]
- De Gioia, R.; Biella, F.; Citterio, G.; Rizzo, F.; Abati, E.; Nizzardo, M.; Bresolin, N.; Comi, G.P.; Corti, S. Neural Stem Cell Transplantation for Neurodegenerative Diseases. Int. J. Mol. Sci. 2020, 21, 3103. [Google Scholar] [CrossRef] [PubMed]
- Klimmt, J.; Dannert, A.; Paquet, D. Neurodegeneration in a dish: Advancing human stem–cell–based models of Alzheimer’s disease. Curr. Opin. Neurobiol. 2020, 61, 96–104. [Google Scholar] [CrossRef] [PubMed]
- Daniel, P.M.; Filiz, G.; Brown, D.V.; Christie, M.; Waring, P.M.; Zhang, Y.; Haynes, J.M.; Pouton, C.; Flanagan, D.; Vincan, E.; et al. PI3K activation in neural stem cells drives tumorigenesis which can be ameliorated by targeting the cAMP response element binding protein. Neuro-Oncology 2018, 20, 1344–1355. [Google Scholar] [CrossRef] [Green Version]
- Kim, D.; Lee, A.E.; Xu, Q.; Zhang, Q.; Le, A.D. Gingiva–Derived Mesenchymal Stem Cells: Potential Application in Tissue Engineering and Regenerative Medicine—A Comprehensive Review. Front. Immunol. 2021, 12, 667221. [Google Scholar] [CrossRef]
- Darvishi, M.; Hamidabadi, H.G.; Bojnordi, M.N.; Saeednia, S.; Zahiri, M.; Niapour, A.; Alizadeh, R. Differentiation of human dental pulp stem cells into functional motor neuron: In vitro and ex vivo study. Tissue Cell 2021, 72, 101542. [Google Scholar] [CrossRef]
- Gonmanee, T.; Sritanaudomchai, H.; Vongsavan, K.; Faisaikarm, T.; Songsaad, A.; White, K.L.; Thonabulsombat, C. Neuronal differentiation of dental pulp stem cells from human permanent and deciduous teeth following coculture with rat auditory brainstem slices. Anat. Rec. 2020, 303, 2931–2946. [Google Scholar] [CrossRef]
- Jang, S.; Kim, H.; Kim, H.J.; Lee, S.K.; Kim, E.W.; Namkoong, K.; Kim, E. Long–Term Culture of Organotypic Hippocampal Slice from Old 3xTg–AD Mouse: An ex vivo Model of Alzheimer’s Disease. Psychiatry Investig. 2018, 15, 205–213. [Google Scholar] [CrossRef] [Green Version]
- El–Bialy, T.; Alhadlaq, A.; Wong, B.; Kucharski, C. Ultrasound effect on neural differentiation of gingival stem/progenitor cells. Ann. Biomed. Eng. 2014, 42, 1406–1412. [Google Scholar] [CrossRef] [PubMed]
- Hsu, S.H.; Huang, G.S.; Feng, F. Isolation of the multipotent MSC subpopulation from human gingival fibroblasts by culturing on chitosan membranes. Biomaterials 2012, 33, 2642–2655. [Google Scholar] [CrossRef] [PubMed]
- Zhang, Q.; Nguyen, P.; Burrell, J.C.; Zeng, J.; Shi, S.; Shanti, R.M.; Kulischak, G.; Cullen, D.K.; Le, A.D. Harnessing 3D collagen hydrogel–directed conversion of human GMSCs into SCP–like cells to generate functionalized nerve conduits. NPJ Regen. Med. 2021, 6, 59. [Google Scholar] [CrossRef] [PubMed]
- Syal, C.; Kosaraju, J.; Hamilton, L.; Aumont, A.; Chu, A.; Sarma, S.N.; Thomas, J.; Seegobin, M.; Dilworth, F.J.; He, L.; et al. Dysregulated expression of monoacylglycerol lipase is a marker for anti–diabetic drug metformin–targeted therapy to correct impaired neurogenesis and spatial memory in Alzheimer’s disease. Theranostics 2020, 10, 6337–6360. [Google Scholar] [CrossRef]
- Khan, A.A.; Huat, T.J.; Al Mutery, A.; El–Serafi, A.T.; Kacem, H.H.; Abdallah, S.H.; Reza, M.F.; Abdullah, J.M.; Jaafar, H. Significant transcriptomic changes are associated with differentiation of bone marrow–derived mesenchymal stem cells into neural progenitor–like cells in the presence of bFGF and EGF. Cell Biosci. 2020, 10, 126. [Google Scholar] [CrossRef]
- Li, X.T.; Liang, Z.; Wang, T.T.; Yang, J.W.; Ma, W.; Deng, S.K.; Wang, X.B.; Dai, Y.F.; Guo, J.H.; Li, L.Y. Brain–derived Neurotrophic Factor Promotes Growth of Neurons and Neural Stem Cells Possibly by Triggering the Phosphoinositide 3–Kinase/ AKT/Glycogen Synthase Kinase–3beta/beta–catenin Pathway. CNS Neurol. Disord. Drug Targets 2017, 16, 828–836. [Google Scholar] [CrossRef]
- Alizadeh, R.; Zarrintaj, P.; Kamrava, S.K.; Bagher, Z.; Farhadi, M.; Heidari, F.; Komeili, A.; Gutierrez, T.J.; Saeb, M.R. Conductive hydrogels based on agarose/alginate/chitosan for neural disorder therapy. Carbohydr. Polym. 2019, 224, 115161. [Google Scholar] [CrossRef]
- He, J.; Zhang, N.; Zhu, Y.; Jin, R.; Wu, F. MSC spheroids–loaded collagen hydrogels simultaneously promote neuronal differentiation and suppress inflammatory reaction through PI3K–Akt signaling pathway. Biomaterials 2021, 265, 120448. [Google Scholar] [CrossRef]
- Mohebbi, S.; Nezhad, M.N.; Zarrintaj, P.; Jafari, S.H.; Gholizadeh, S.S.; Saeb, M.R.; Mozafari, M. Chitosan in Biomedical Engineering: A Critical Review. Curr. Stem Cell Res. 2019, 14, 93–116. [Google Scholar] [CrossRef]
- Fregnan, F.; Ciglieri, E.; Tos, P.; Crosio, A.; Ciardelli, G.; Ruini, F.; Tonda–Turo, C.; Geuna, S.; Raimondo, S. Chitosan crosslinked flat scaffolds for peripheral nerve regeneration. Biomed. Mater. 2016, 11, 045010. [Google Scholar] [CrossRef] [Green Version]
- Wang, J.; Gallagher, D.; DeVito, L.M.; Cancino, G.I.; Tsui, D.; He, L.; Keller, G.M.; Frankland, P.W.; Kaplan, D.R.; Miller, F.D. Metformin activates an atypical PKC–CBP pathway to promote neurogenesis and enhance spatial memory formation. Cell Stem Cell 2012, 11, 23–35. [Google Scholar] [CrossRef] [PubMed] [Green Version]
- Encinas, J.M.; Fitzsimons, C.P. Gene regulation in adult neural stem cells. Current challenges and possible applications. Adv. Drug Deliv. Rev. 2017, 120, 118–132. [Google Scholar] [CrossRef] [PubMed]
- Chao, D.L.; Ma, L.; Shen, K. Transient cell–cell interactions in neural circuit formation. Nat. Rev. Neurosci. 2009, 10, 262–271. [Google Scholar] [CrossRef] [PubMed] [Green Version]
- Zhang, X.; Huang, C.T.; Chen, J.; Pankratz, M.T.; Xi, J.; Li, J.; Yang, Y.; Lavaute, T.M.; Li, X.J.; Ayala, M.; et al. Pax6 is a human neuroectoderm cell fate determinant. Cell Stem Cell 2010, 7, 90–100. [Google Scholar] [CrossRef] [PubMed] [Green Version]
- Yuan, S.H.; Martin, J.; Elia, J.; Flippin, J.; Paramban, R.I.; Hefferan, M.P.; Vidal, J.G.; Mu, Y.; Killian, R.L.; Israel, M.A.; et al. Cell–surface marker signatures for the isolation of neural stem cells, glia and neurons derived from human pluripotent stem cells. PLoS ONE 2011, 6, e17540. [Google Scholar]
- Sarnat, H.B. Immunocytochemical markers of neuronal maturation in human diagnostic neuropathology. Cell Tissue Res. 2015, 359, 279–294. [Google Scholar] [CrossRef]
- Xu, X.; Chen, C.; Akiyama, K.; Chai, Y.; Le, A.D.; Wang, Z.; Shi, S. Gingivae contain neural–crest– and mesoderm–derived mesenchymal stem cells. J. Dent. Res. 2013, 92, 825–832. [Google Scholar] [CrossRef] [Green Version]
- Mead, B.; Logan, A.; Berry, M.; Leadbeater, W.; Scheven, B.A. Concise Review: Dental Pulp Stem Cells: A Novel Cell Therapy for Retinal and Central Nervous System Repair. Stem Cells 2017, 35, 61–67. [Google Scholar] [CrossRef] [Green Version]
- Fournier, B.P.; Loison–Robert, L.S.; Ferre, F.C.; Owen, G.R.; Larjava, H.; Hakkinen, L. Characterisation of human gingival neural crest–derived stem cells in monolayer and neurosphere cultures. Eur. Cell Mater. 2016, 31, 40–58. [Google Scholar] [CrossRef]
- Li, D.; Zou, X.Y.; El–Ayachi, I.; Romero, L.O.; Yu, Z.; Iglesias–Linares, A.; Cordero–Morales, J.F.; Huang, G.T. Human Dental Pulp Stem Cells and Gingival Mesenchymal Stem Cells Display Action Potential Capacity In Vitro after Neuronogenic Differentiation. Stem Cell Rev. Rep. 2019, 15, 67–81. [Google Scholar] [CrossRef]
- Woodbury, D.; Reynolds, K.; Black, I.B. Adult bone marrow stromal stem cells express germline, ectodermal, endodermal, and mesodermal genes prior to neurogenesis. J. Neurosci. Res. 2002, 69, 908–917. [Google Scholar] [CrossRef] [PubMed]
- Zhao, X.; Glass, Z.; Chen, J.; Yang, L.; Kaplan, D.L.; Xu, Q. mRNA Delivery Using Bioreducible Lipidoid Nanoparticles Facilitates Neural Differentiation of Human Mesenchymal Stem Cells. Adv. Healthc. Mater. 2021, 10, e2000938. [Google Scholar] [CrossRef] [PubMed]
- Lemcke, H.; Kuznetsov, S.A. Involvement of connexin43 in the EGF/EGFR signalling during self–renewal and differentiation of neural progenitor cells. Cell Signal. 2013, 25, 2676–2684. [Google Scholar] [CrossRef] [PubMed]
- Wang, H.; Wang, X.; Qu, J.; Yue, Q.; Hu, Y.; Zhang, H. VEGF Enhances the Migration of MSCs in Neural Differentiation by Regulating Focal Adhesion Turnover. J. Cell Physiol. 2015, 230, 2728–2742. [Google Scholar] [CrossRef]
- Puhlmann, L.M.C.; Linz, R.; Valk, S.L.; Vrticka, P.; Vos de Wael, R.; Bernasconi, A.; Bernasconi, N.; Caldairou, B.; Papassotiriou, I.; Chrousos, G.P.; et al. Association between hippocampal structure and serum Brain–Derived Neurotrophic Factor (BDNF) in healthy adults: A registered report. Neuroimage 2021, 236, 118011. [Google Scholar] [CrossRef]
- Khorraminejad–Shirazi, M.; Farahmandnia, M.; Kardeh, B.; Estedlal, A.; Kardeh, S.; Monabati, A. Aging and stem cell therapy: AMPK as an applicable pharmacological target for rejuvenation of aged stem cells and achieving higher efficacy in stem cell therapy. Hematol. Oncol. Stem Cell Ther. 2018, 11, 189–194. [Google Scholar] [CrossRef]
- Zhao, X.; Pathak, J.L.; Huang, W.; Zhu, C.; Li, Y.; Guan, H.; Zeng, S.; Ge, L.; Shu, Y. Metformin enhances osteogenic differentiation of stem cells from human exfoliated deciduous teeth through AMPK pathway. J. Tissue Eng. Regen. Med. 2020, 14, 1869–1879. [Google Scholar] [CrossRef]
- Caliari, S.R.; Burdick, J.A. A practical guide to hydrogels for cell culture. Nat. Methods 2016, 13, 405–414. [Google Scholar] [CrossRef] [Green Version]
- Zhang, K.; Zhao, X.; Chen, X.; Wei, Y.; Du, W.; Wang, Y.; Liu, L.; Zhao, W.; Han, Z.; Kong, D.; et al. Enhanced Therapeutic Effects of Mesenchymal Stem Cell–Derived Exosomes with an Injectable Hydrogel for Hindlimb Ischemia Treatment. ACS Appl. Mater. Interfaces 2018, 10, 30081–30091. [Google Scholar] [CrossRef]
- Boecker, A.; Daeschler, S.C.; Kneser, U.; Harhaus, L. Relevance and Recent Developments of Chitosan in Peripheral Nerve Surgery. Front. Cell Neurosci. 2019, 13, 104. [Google Scholar] [CrossRef] [Green Version]
- Hu, W.; Qiu, B.; Guan, W.; Wang, Q.; Wang, M.; Li, W.; Gao, L.; Shen, L.; Huang, Y.; Xie, G.; et al. Direct Conversion of Normal and Alzheimer’s Disease Human Fibroblasts into Neuronal Cells by Small Molecules. Cell Stem Cell 2015, 17, 204–212. [Google Scholar] [CrossRef] [PubMed] [Green Version]
- Lei, T.; Deng, S.; Chen, P.; Xiao, Z.; Cai, S.; Hang, Z.; Yang, Y.; Zhang, X.; Li, Q.; Du, H. Metformin enhances the osteogenesis and angiogenesis of human umbilical cord mesenchymal stem cells for tissue regeneration engineering. Int. J. Biochem. Cell Biol. 2021, 141, 106086. [Google Scholar] [CrossRef] [PubMed]
- Songsaad, A.; Gonmanee, T.; Ruangsawasdi, N.; Phruksaniyom, C.; Thonabulsombat, C. Potential of resveratrol in enrichment of neural progenitor–like cell induction of human stem cells from apical papilla. Stem Cell Res. 2020, 11, 542. [Google Scholar] [CrossRef] [PubMed]









| CD73 | CD90 | CD105 | HLA–DR | CD11b | CD19 | CD34 | CD45 | |
|---|---|---|---|---|---|---|---|---|
| Con | 99.97% | 100.00% | 100.00% | 0.23% | 0.15% | 0.20% | 0.05% | 0.10% |
| Met | 99.91% | 99.85% | 100.00% | 0.15% | 0.03% | 0.03% | 0.05% | 0.10% |
| Genes | Primers | Sequences (5′–3′) | References |
|---|---|---|---|
| GADPH | Forward | CTGGGCTACACTGAGCACC | NM_001256799 |
| Reverse | AAGTGGTCGTTGAGGGCAATG | ||
| NESTIN | Forward | CTGCTACCCTTGAGACACCTG | NM_006617.1 |
| Reverse | GGGCTCTGATCTCTGCATCTAC | ||
| GFAP | Forward | GCAGATTCGAGGGGGCAAA | NM_001131019.3 |
| Reverse | CTCAGGGGGATTGGGAGGAT | ||
| TUBB3 | Forward | GGCCAAGGGTCACTACACG | NM_006086.3 |
| Reverse | GCAGTCGCAGTTTTCACACTC | ||
| SOX1 | Forward | GTAAGGGAACCCGGGGAATG | NM_005986.3 |
| Reverse | GGGGTCTTCCCTTCCTCCT | ||
| PAX6 | Forward | AACAGACACAGCCCTCACAAACA | NM_001368892.2 |
| Reverse | CGGGAACTTGAACTGGAACTGAC | ||
| MAP2 | Forward | CGAAGCGCCAATGGATTCC | NM_001039538.1 |
| Reverse | TGAACTATCCTTGCAGACACCT |
Publisher’s Note: MDPI stays neutral with regard to jurisdictional claims in published maps and institutional affiliations. |
© 2022 by the authors. Licensee MDPI, Basel, Switzerland. This article is an open access article distributed under the terms and conditions of the Creative Commons Attribution (CC BY) license (https://creativecommons.org/licenses/by/4.0/).
Share and Cite
Cai, S.; Lei, T.; Bi, W.; Sun, S.; Deng, S.; Zhang, X.; Yang, Y.; Xiao, Z.; Du, H. Chitosan Hydrogel Supplemented with Metformin Promotes Neuron–like Cell Differentiation of Gingival Mesenchymal Stem Cells. Int. J. Mol. Sci. 2022, 23, 3276. https://doi.org/10.3390/ijms23063276
Cai S, Lei T, Bi W, Sun S, Deng S, Zhang X, Yang Y, Xiao Z, Du H. Chitosan Hydrogel Supplemented with Metformin Promotes Neuron–like Cell Differentiation of Gingival Mesenchymal Stem Cells. International Journal of Molecular Sciences. 2022; 23(6):3276. https://doi.org/10.3390/ijms23063276
Chicago/Turabian StyleCai, Shanglin, Tong Lei, Wangyu Bi, Shutao Sun, Shiwen Deng, Xiaoshuang Zhang, Yanjie Yang, Zhuangzhuang Xiao, and Hongwu Du. 2022. "Chitosan Hydrogel Supplemented with Metformin Promotes Neuron–like Cell Differentiation of Gingival Mesenchymal Stem Cells" International Journal of Molecular Sciences 23, no. 6: 3276. https://doi.org/10.3390/ijms23063276
APA StyleCai, S., Lei, T., Bi, W., Sun, S., Deng, S., Zhang, X., Yang, Y., Xiao, Z., & Du, H. (2022). Chitosan Hydrogel Supplemented with Metformin Promotes Neuron–like Cell Differentiation of Gingival Mesenchymal Stem Cells. International Journal of Molecular Sciences, 23(6), 3276. https://doi.org/10.3390/ijms23063276

