Sign in to use this feature.

Years

Between: -

Subjects

remove_circle_outline
remove_circle_outline
remove_circle_outline
remove_circle_outline

Journals

Article Types

Countries / Regions

Search Results (37)

Search Parameters:
Keywords = hWJMSCs

Order results
Result details
Results per page
Select all
Export citation of selected articles as:
27 pages, 5906 KB  
Article
Biological and Biophysical Characterization of Hybrid PLCL Nanofibers Incorporating Stem Cell-Derived Secretome
by Tanya Stoyanova, Lora Topalova, Dencho Gugutkov, Regina Komsa-Penkova, Stanimir Kyurkchiev, Iren Bogeva-Tsolova, Dobromir Dimitrov, Svetla Todinova and George Altankov
Polymers 2026, 18(4), 528; https://doi.org/10.3390/polym18040528 - 21 Feb 2026
Viewed by 438
Abstract
The design of multifunctional biomaterials that offer both structural support and biochemical cues is essential for enhancing tissue regeneration. In this study, hybrid nanofibrous scaffolds composed of poly(L-lactide-co-ε-caprolactone) (PLCL) and bioactive factors secreted by Wharton’s jelly-derived mesenchymal stem cells (WJ-MSCs) were fabricated via [...] Read more.
The design of multifunctional biomaterials that offer both structural support and biochemical cues is essential for enhancing tissue regeneration. In this study, hybrid nanofibrous scaffolds composed of poly(L-lactide-co-ε-caprolactone) (PLCL) and bioactive factors secreted by Wharton’s jelly-derived mesenchymal stem cells (WJ-MSCs) were fabricated via co-electrospinning. Nanofibers were produced in aligned and random configurations following an optimized protocol developed at the Institute for Bioengineering of Catalonia (IBEC). Their morphology and topography were characterized by light microscopy, scanning electron microscopy (SEM), and atomic force microscopy (AFM), and fiber orientation was quantified via Fast Fourier Transform (FFT) analysis. The scaffolds showed fiber diameters of 542.9 ± 62.3 nm, with aligned fibers predominantly oriented within 20° of the principal axis. Human AD-MSCs were used to assess biocompatibility and cell–material interactions. Aligned and random nanofiber architectures elicited distinct cellular responses. AD-MSCs on aligned fibers exhibited smaller spreading areas (~320 μm2) vs. on random nanofibers (~500 μm2) and substantially higher proliferation, resulting in a shorter cell-doubling time (~25 h) than those on random nanofibers (~130 h) or control substrates (~70 h). In addition, aligned nanofibers promoted markedly faster migration, reaching rates of ~5000 μm2/h surface coverage, compared with random nanofibers (~770 μm2/h) and controls (~1800 μm2/h). Together, the results show that nanofiber alignment and biochemical functionalization jointly influence MSC behavior and improve regeneration, highlighting the potential of these PLCL-based hybrid secretome/PLCL nanofibers for advanced wound healing. Full article
(This article belongs to the Section Polymer Fibers)
Show Figures

Graphical abstract

20 pages, 2411 KB  
Article
Selective Paracrine Modulation of Stromal Cells: Wharton’s Jelly MSC Secretome Enhances Adipose-Derived MSC Functionality While Maintaining Dermal Fibroblast Quiescence
by Tanya Stoyanova, Lora Topalova, Stanimir Kyurkchiev, Regina Komsa-Penkova, Svetla Todinova and George Altankov
Int. J. Mol. Sci. 2025, 26(20), 10095; https://doi.org/10.3390/ijms262010095 - 16 Oct 2025
Cited by 1 | Viewed by 1198
Abstract
Wharton’s jelly-derived mesenchymal stem cells (WJ-MSCs) secrete a rich array of paracrine factors including growth factors, cytokines, and extracellular vesicles that hold promises for regenerative medicine. This study evaluated the effects of WJ-MSC-derived secretome on adipose-derived mesenchymal stem cells (AD-MSCs) and human dermal [...] Read more.
Wharton’s jelly-derived mesenchymal stem cells (WJ-MSCs) secrete a rich array of paracrine factors including growth factors, cytokines, and extracellular vesicles that hold promises for regenerative medicine. This study evaluated the effects of WJ-MSC-derived secretome on adipose-derived mesenchymal stem cells (AD-MSCs) and human dermal fibroblasts (HDFs), focusing on their adhesion, spreading, proliferation, endogenous collagen secretion, and migration. Morphometric analysis revealed that the secretome enhanced cell adhesion and spreading on rat tail collagen (RTC) substrates after 24 h. AD-MSCs showed a ~30% increase in the cell spreading area (from 4007 μm2 to 5081 μm2p < 0.05), though without notable shape changes. In contrast, fetal bovine serum (FBS) promoted cell elongation with a reduced aspect ratio. Proliferation assays demonstrated a selective stimulatory effect of the secretome on AD-MSCs with a significant increase at day 3, while HDFs’ proliferation remained unchanged. Cell cycle profiling showed transient S-phase accumulation in AD-MSCs (24–48 h), followed by G0/G1 arrest (72 h), while HDFs remained in G0/G1. Immunofluorescence analysis confirmed the enhanced extracellular deposition of endogenously synthesized collagen in AD-MSCs, while no comparable response was observed in HDFs. Scratch assays showed increased migration in both cell types upon secretome exposure compared to collagen-only controls, suggesting a paracrine-mediated pro-migratory effect. These results demonstrate that WJ-MSC secretome boosts the regenerative capacity in AD-MSCs while keeping fibroblasts quiescent, highlighting its strong potential for cell-free therapies in tissue engineering, wound repair, and regenerative medicine. Full article
(This article belongs to the Section Biochemistry)
Show Figures

Graphical abstract

23 pages, 3798 KB  
Article
The Impact of IFN-γ Licensing on Mesenchymal Stromal Cells’ Mediated Immunoregulation and HLA Class II Expression: Emerging Evidence from In Vitro Results
by Panagiotis Mallis, Theofanis Chatzistamatiou, Evangelia Gkatzoflia, Hava Zdrava, Eirini-Faidra Sarri, Efstathios Michalopoulos, Alexandros Spyridonidis and Catherine Stavropoulos-Giokas
Int. J. Mol. Sci. 2025, 26(19), 9436; https://doi.org/10.3390/ijms26199436 - 26 Sep 2025
Viewed by 1338
Abstract
Mesenchymal stromal cells (MSCs) exert their immunoregulatory properties after licensing by inflammatory signaling cues, e.g., interferon (IFN)-γ. However, MSCs licensing by IFN-γ may result in increased expression of human leukocyte antigen (HLA) class II, which is related to rapid cell elimination, impairment of [...] Read more.
Mesenchymal stromal cells (MSCs) exert their immunoregulatory properties after licensing by inflammatory signaling cues, e.g., interferon (IFN)-γ. However, MSCs licensing by IFN-γ may result in increased expression of human leukocyte antigen (HLA) class II, which is related to rapid cell elimination, impairment of their immunosuppressive properties, and patient sensitization. The aim of this study was to evaluate the impact of IFN-γ on mediated immunoregulation and HLA class II expression. In this study, Wharton’s jelly (WJ) MSCs were isolated from human umbilical cords. Well-defined WJ-MSCs were submitted to IFN-γ exposure, and after 96 h, evaluation of biomolecule secretion and HLA class II expression was performed. Typing of HLA alleles using a next-generation sequencing (NGS) platform was performed. IFN-γ-primed WJ-MSCs secreted a high amount of immunoregulatory biomolecules, while elevated expression of HLA-DRB1 was observed. Analyses the NGS results showed the possibility of WJ-MSCs cluster formation based on their frequency of detected HLA alleles and immunoregulatory potential. Taking into consideration that IFN-γ-primed WJ-MSCs express HLA class II alleles, it is suggested that the HLA histocompatibility between allogeneic donor and recipient should be strongly considered to acquire the most beneficial outcome for the MSCs therapeutic strategy. Full article
Show Figures

Figure 1

24 pages, 4838 KB  
Article
Genetically Modified Mesenchymal Stromal/Stem Cells as a Delivery Platform for SE-33, a Cathelicidin LL-37 Analogue: Preclinical Pharmacokinetics and Tissue Distribution in C57BL/6 Mice
by Vagif Ali oglu Gasanov, Dmitry Alexandrovich Kashirskikh, Victoria Alexandrovna Khotina, Arthur Anatolievich Lee, Sofya Yurievna Nikitochkina, Daria Mikhailovna Kuzmina, Irina Vasilievna Mukhina, Ekaterina Andreevna Vorotelyak and Andrey Valentinovich Vasiliev
Antibiotics 2025, 14(5), 429; https://doi.org/10.3390/antibiotics14050429 - 24 Apr 2025
Cited by 1 | Viewed by 1779
Abstract
Background: The genetic modification of mesenchymal stromal/stem cells (MSCs) to express antimicrobial peptides may provide a promising strategy for developing advanced cell-based therapies for bacterial infections, including those caused or complicated by antibiotic-resistant bacteria. We have previously demonstrated that genetically modified Wharton’s jelly-derived [...] Read more.
Background: The genetic modification of mesenchymal stromal/stem cells (MSCs) to express antimicrobial peptides may provide a promising strategy for developing advanced cell-based therapies for bacterial infections, including those caused or complicated by antibiotic-resistant bacteria. We have previously demonstrated that genetically modified Wharton’s jelly-derived MSCs expressing an antimicrobial peptide SE-33 (WJ-MSC-SE33) effectively reduce bacterial load, inflammation, and mortality in a mouse model of Staphylococcus aureus-induced pneumonia compared with native WJ-MSCs. The present study aimed to evaluate the pharmacokinetics and tissue distribution of the SE-33 peptide expressed by WJ-MSC-SE33 following administration to animals. Methods: WJ-MSC-SE33 were administered to C57BL/6 mice at therapeutic and excess doses. The biodistribution and pharmacokinetics of the SE-33 peptide were analyzed in serum, lungs, liver, and spleen using chromatographic methods after single and repeated administrations. Results: The SE-33 peptide exhibited dose-dependent pharmacokinetics. The highest levels of SE-33 peptide were detected in the liver and lungs, with persistence in tissues for up to 48 h at medium and high doses of administered WJ-MSC-SE33. A repeated administration of WJ-MSC-SE33 increased SE-33 levels in target organs. Conclusions: The SE-33 peptide expressed by genetically modified WJ-MSCs demonstrated predictable pharmacokinetics and effective biodistribution. These findings, together with the previously established safety profile of WJ-MSC-SE33, support its potential as a promising cell-based therapy for bacterial infections, particularly those associated with antibiotic resistance. Full article
Show Figures

Figure 1

15 pages, 2167 KB  
Article
Small Extracellular Vesicles Derived from Cord Blood Plasma and Placental Mesenchymal Stem Cells Attenuate Acute Lung Injury Induced by Lipopolysaccharide (LPS)
by Ranga P. Thiruvenkataramani, Amal Abdul-Hafez, Tulasi Kesaraju, Hend Mohamed, Sherif Abdelfattah Ibrahim, Amira Othman, Hattan Arif, Ahmed A. Zarea, Mohammed Abdulmageed, Myrna Gonzalez Arellano, Tarek Mohamed, Masamitsu Kanada, Burra V. Madhukar and Said A. Omar
Int. J. Mol. Sci. 2025, 26(1), 75; https://doi.org/10.3390/ijms26010075 - 25 Dec 2024
Cited by 4 | Viewed by 4191
Abstract
Sepsis is a risk factor associated with increasing neonatal morbidity and mortality, acute lung injury, and chronic lung disease. While stem cell therapy has shown promise in alleviating acute lung injury, its effects are primarily exerted through paracrine mechanisms rather than local engraftment. [...] Read more.
Sepsis is a risk factor associated with increasing neonatal morbidity and mortality, acute lung injury, and chronic lung disease. While stem cell therapy has shown promise in alleviating acute lung injury, its effects are primarily exerted through paracrine mechanisms rather than local engraftment. Accumulating evidence suggests that these paracrine effects are mediated by mesenchymal stem cell (MSC)-derived small extracellular vesicles (sEVs), which play a critical role in immune system modulation and tissue regeneration. sEVs contain a diverse cargo of mRNA, miRNA, and proteins, contributing to their therapeutic potential. We hypothesize that sEVs derived from three distinct sources, cord blood plasma (CBP), Wharton jelly (WJ), and placental (PL) MSCs, may prevent the cytotoxicity induced by E. coli lipopolysaccharide (LPS) in lung alveolar epithelial cells. Objective: To determine the effects of CBP-, WJ-, and PL-MSCs-derived sEVs on cell viability, apoptosis, and proinflammatory cytokine production in alveolar epithelial cells and monocytes following LPS treatment. sEVs were collected from conditioned media of PL-MSCs, WJ-MSCs, and CBP using 50 nm membrane filters. sEVs were characterized based on nanoparticle tracking analysis (NTA), transmission electron microscopy (TEM), and Western blotting techniques. The protein concentration of isolated sEVs was used to standardize treatment doses. A549 cells and monocyte THP-1 cells were cultured and exposed to LPS in the presence or absence of sEVs for 72 h. Cell viability was measured using CellTiter-Glo 2.0 chemiluminescence-based assay. For cytokine analysis, A549 and THP-1 cells were pre-incubated for 24 h with or without PL- and CBP-sEVs, followed by exposure to LPS or control conditions for an additional 24 h. The conditioned media were collected, and interleukin-6 (IL-6) and interleukin-8 (IL-8) levels were quantified using ELISA. LPS treatment significantly reduced the viability of both A549 and THP-1 cells. The presence of CB- or WJ-sEVs significantly increased cell viability compared to controls. Cells treated with PL-sEVs showed increased cell viability but did not reach statistical significance. LPS-treated cells showed a significant increase in apoptosis and elevated levels of pro-inflammatory cytokines IL-6 and IL-8. All three sEVs types (CBP-, WJ-, and PL-sEVs) significantly reduced LPS-induced apoptosis and IL-6 release. Interestingly, while WJ-sEVs decreased IL-8, both CBP- and PL-sEVs led to an increase in IL-8 compared to their respective controls. CBP-, PL-, and WJ-derived sEVs demonstrated protective effects against LPS-induced injury in alveolar epithelial cells and monocytes, as evidenced by increased cell viability and modulation of pro-inflammatory cytokine release. These findings suggest that placenta-derived sEVs have the potential to modulate the immune response, mitigate inflammation, and prevent end-organ damage in neonatal sepsis. Full article
(This article belongs to the Special Issue Exosomes—3rd Edition)
Show Figures

Figure 1

15 pages, 2088 KB  
Article
Mesenchymal Stem Cell-Derived Exosomes Attenuate Hepatic Steatosis and Insulin Resistance in Diet-Induced Obese Mice by Activating the FGF21-Adiponectin Axis
by Bobae Kim, Rwubuzizi Ronaldo, Beet-Na Kweon, Solhee Yoon, Yein Park, Jea-Hyun Baek, Jung Min Lee and Chang-Kee Hyun
Int. J. Mol. Sci. 2024, 25(19), 10447; https://doi.org/10.3390/ijms251910447 - 27 Sep 2024
Cited by 11 | Viewed by 3873
Abstract
Exosomes derived from mesenchymal stem cells have shown promise in treating metabolic disorders, yet their specific mechanisms remain largely unclear. This study investigates the protective effects of exosomes from human umbilical cord Wharton’s jelly mesenchymal stem cells (hWJMSCs) against adiposity and insulin resistance [...] Read more.
Exosomes derived from mesenchymal stem cells have shown promise in treating metabolic disorders, yet their specific mechanisms remain largely unclear. This study investigates the protective effects of exosomes from human umbilical cord Wharton’s jelly mesenchymal stem cells (hWJMSCs) against adiposity and insulin resistance in high-fat diet (HFD)-induced obese mice. HFD-fed mice treated with hWJMSC-derived exosomes demonstrated improved gut barrier integrity, which restored immune balance in the liver and adipose tissues by reducing macrophage infiltration and pro-inflammatory cytokine expression. Furthermore, these exosomes normalized lipid metabolism including lipid oxidation and lipogenesis, which alleviate lipotoxicity-induced endoplasmic reticulum (ER) stress, thereby decreasing fat accumulation and chronic tissue inflammation in hepatic and adipose tissues. Notably, hWJMSC-derived exosomes also promoted browning and thermogenic capacity of adipose tissues, which was linked to reduced fibroblast growth factor 21 (FGF21) resistance and increased adiponectin production. This process activated the AMPK-SIRT1-PGC-1α pathway, highlighting the role of the FGF21–adiponectin axis. Our findings elucidate the molecular mechanisms through which hWJMSC-derived exosomes counteract HFD-induced metabolic dysfunctions, supporting their potential as therapeutic agents for metabolic disorders. Full article
Show Figures

Figure 1

21 pages, 8481 KB  
Article
Cellular Therapy in Experimental Autoimmune Encephalomyelitis as an Adjuvant Treatment to Translate for Multiple Sclerosis
by Maiara Carolina Perussolo, Bassam Felipe Mogharbel, Cláudia Sayuri Saçaki, Nádia Nascimento da Rosa, Ana Carolina Irioda, Nathalia Barth de Oliveira, Julia Maurer Appel, Larissa Lührs, Leanderson Franco Meira, Luiz Cesar Guarita-Souza, Seigo Nagashima, Caroline Busatta Vaz de Paula, Lucia de Noronha, Idiberto José Zotarelli-Filho, Eltyeb Abdelwahid and Katherine Athayde Teixeira de Carvalho
Int. J. Mol. Sci. 2024, 25(13), 6996; https://doi.org/10.3390/ijms25136996 - 26 Jun 2024
Cited by 6 | Viewed by 2718
Abstract
This study aims to evaluate and compare cellular therapy with human Wharton’s jelly (WJ) mesenchymal stem cells (MSCs) and neural precursors (NPs) in experimental autoimmune encephalomyelitis (EAE), a preclinical model of Multiple Sclerosis. MSCs were isolated from WJ by an explant technique, differentiated [...] Read more.
This study aims to evaluate and compare cellular therapy with human Wharton’s jelly (WJ) mesenchymal stem cells (MSCs) and neural precursors (NPs) in experimental autoimmune encephalomyelitis (EAE), a preclinical model of Multiple Sclerosis. MSCs were isolated from WJ by an explant technique, differentiated to NPs, and characterized by cytometry and immunocytochemistry analysis after ethical approval. Forty-eight rats were EAE-induced by myelin basic protein and Freund’s complete adjuvant. Forty-eight hours later, the animals received intraperitoneal injections of 250 ng/dose of Bordetella pertussis toxin. Fourteen days later, the animals were divided into the following groups: a. non-induced, induced: b. Sham, c. WJ-MSCs, d. NPs, and e. WJ-MSCs plus NPs. 1 × 105. Moreover, the cells were placed in a 10 µL solution and injected via a stereotaxic intracerebral ventricular injection. After ten days, the histopathological analysis for H&E, Luxol, interleukins, and CD4/CD8 was carried out. Statistical analyses demonstrated a higher frequency of clinical manifestation in the Sham group (15.66%) than in the other groups; less demyelination was seen in the treated groups than the Sham group (WJ-MSCs, p = 0.016; NPs, p = 0.010; WJ-MSCs + NPs, p = 0.000), and a lower cellular death rate was seen in the treated groups compared with the Sham group. A CD4/CD8 ratio of <1 showed no association with microglial activation (p = 0.366), astrocytes (p = 0.247), and cell death (p = 0.577) in WJ-MSCs. WJ-MSCs and NPs were immunomodulatory and neuroprotective in cellular therapy, which would be translated as an adjunct in demyelinating diseases. Full article
(This article belongs to the Special Issue Molecular Research on Neuronal Cell Death and Neurogenesis)
Show Figures

Figure 1

14 pages, 5188 KB  
Article
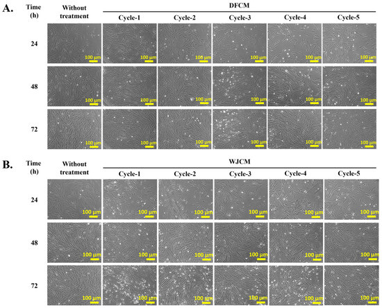
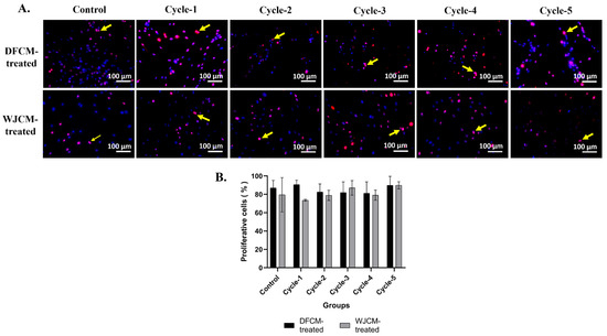
Effect of Multiple-Cycle Collections of Conditioned Media from Different Cell Sources towards Fibroblasts in In Vitro Wound Healing Model
by Nur Izzah Md Fadilah, Mh Busra Fauzi and Manira Maarof
Pharmaceutics 2024, 16(6), 767; https://doi.org/10.3390/pharmaceutics16060767 - 5 Jun 2024
Cited by 5 | Viewed by 4938
Abstract
Conditioned media refers to a collection of the used cell culture media. The goal of this study was to evaluate the possible impacts of different conditioned media collected across a number of cycles on the fibroblast proliferation, migration, and profiles of protein release. [...] Read more.
Conditioned media refers to a collection of the used cell culture media. The goal of this study was to evaluate the possible impacts of different conditioned media collected across a number of cycles on the fibroblast proliferation, migration, and profiles of protein release. Human dermal fibroblast (HDF) cells and Wharton jelly mesenchymal stem cells (WJMSC) were cultured and incubated for 3 days prior to being harvested as cycle-1 using the serum-free media F12:DMEM and DMEM, respectively. The procedures were repeatedly carried out until the fifth cycle of conditioned media collection. An in-vitro scratch assay was conducted to measure the effectiveness of wound healing. Collagen hydrogel was combined separately with both the Wharton jelly-conditioned medium (WJCM) and the dermal fibroblast-conditioned medium (DFCM) in order to evaluate the protein release profile. The conditioned medium from many cycles had a lower level of fibroblast attachment than the control (complete medium); however, the growth rate increased from 100 to 250 h−1, when supplemented with a conditioned medium collected from multiple cycles. The wound scratch assay showed that fibroblast cell migration was significantly increased by repeating cycles up to cycle-5 of DFCM, reaching 98.73 ± 1.11%. This was faster than the rate of migration observed in the cycle-5 of the WJCM group, which was 27.45 ± 5.55%. Collagen hydrogel from multiple cycles of DFCM and WJCM had a similar protein release profile. These findings demonstrate the potential for employing repeated cycles of DFCM- and WJCM-released proteins with collagen hydrogel for applications in wound healing. Full article
Show Figures

Figure 1

21 pages, 17817 KB  
Article
Induction of Human Wharton’s Jelly of Umbilical Cord Derived Mesenchymal Stem Cells to Be Chondrocytes and Transplantation in Guinea Pig Model with Spontaneous Osteoarthritis
by Gulrez Nadeem, Kasem Theerakittayakorn, Sirilak Somredngan, Hong Thi Nguyen, Traimat Boonthai, Worawalan Samruan, Ponthep Tangkanjanavelukul and Rangsun Parnpai
Int. J. Mol. Sci. 2024, 25(11), 5673; https://doi.org/10.3390/ijms25115673 - 23 May 2024
Cited by 1 | Viewed by 2285
Abstract
Osteoarthritis (OA) is a degenerative joint disease commonly found in elderly people and obese patients. Currently, OA treatments are determined based on their condition severity and a medical professional’s advice. The aim of this study was to differentiate human Wharton’s jelly-derived mesenchymal stem [...] Read more.
Osteoarthritis (OA) is a degenerative joint disease commonly found in elderly people and obese patients. Currently, OA treatments are determined based on their condition severity and a medical professional’s advice. The aim of this study was to differentiate human Wharton’s jelly-derived mesenchymal stem cells (hWJ-MSCs) into chondrocytes for transplantation in OA-suffering guinea pigs. hWJ-MSCs were isolated using the explant culture method, and then, their proliferation, phenotypes, and differentiation ability were evaluated. Subsequently, hWJ-MSCs-derived chondrocytes were induced and characterized based on immunofluorescent staining, qPCR, and immunoblotting techniques. Then, early-OA-suffering guinea pigs were injected with hyaluronic acid (HA) containing either MSCs or 14-day-old hWJ-MSCs-derived chondrocytes. Results showed that hWJ-MSCs-derived chondrocytes expressed specific markers of chondrocytes including Aggrecan, type II collagen, and type X collagen proteins and β-catenin, Sox9, Runx2, Col2a1, Col10a1, and ACAN gene expression markers. Administration of HA plus hWJ-MSCs-derived chondrocytes (HA-CHON) produced a better recovery rate of degenerative cartilages than HA plus MSCs or only HA. Histological assessments demonstrated no significant difference in Mankin’s scores of recovered cartilages between HA-CHON-treated guinea pigs and normal articular cartilage guinea pigs. Transplantation of hWJ-MSCs-derived chondrocytes was more effective than undifferentiated hWJ-MSCs or hyaluronic acid for OA treatment in guinea pigs. This study provides a promising treatment to be used in early OA patients to promote recovery and prevent disease progression to severe osteoarthritis. Full article
(This article belongs to the Section Molecular Biology)
Show Figures

Figure 1

19 pages, 2458 KB  
Article
All but Small: miRNAs from Wharton’s Jelly-Mesenchymal Stromal Cell Small Extracellular Vesicles Rescue Premature White Matter Injury after Intranasal Administration
by Vera Tscherrig, Marel Steinfort, Valérie Haesler, Daniel Surbek, Andreina Schoeberlein and Marianne Simone Joerger-Messerli
Cells 2024, 13(6), 543; https://doi.org/10.3390/cells13060543 - 19 Mar 2024
Cited by 7 | Viewed by 2738
Abstract
White matter injury (WMI) is a common neurological issue in premature-born neonates, often causing long-term disabilities. We recently demonstrated a key beneficial role of Wharton’s jelly mesenchymal stromal cell-derived small extracellular vesicles (WJ-MSC-sEVs) microRNAs (miRNAs) in WMI-related processes in vitro. Here, we studied [...] Read more.
White matter injury (WMI) is a common neurological issue in premature-born neonates, often causing long-term disabilities. We recently demonstrated a key beneficial role of Wharton’s jelly mesenchymal stromal cell-derived small extracellular vesicles (WJ-MSC-sEVs) microRNAs (miRNAs) in WMI-related processes in vitro. Here, we studied the functions of WJ-MSC-sEV miRNAs in vivo using a preclinical rat model of premature WMI. Premature WMI was induced in rat pups through inflammation and hypoxia-ischemia. Small EVs were purified from the culture supernatant of human WJ-MSCs. The capacity of WJ-MSC-sEV-derived miRNAs to decrease microglia activation and promote oligodendrocyte maturation was evaluated by knocking down (k.d) DROSHA in WJ-MSCs, releasing sEVs containing significantly less mature miRNAs. Wharton’s jelly MSC-sEVs intranasally administrated 24 h upon injury reached the brain within 1 h, remained detectable for at least 24 h, significantly reduced microglial activation, and promoted oligodendrocyte maturation. The DROSHA k.d in WJ-MSCs lowered the therapeutic capabilities of sEVs in experimental premature WMI. Our results strongly indicate the relevance of miRNAs in the therapeutic abilities of WJ-MSC-sEVs in premature WMI in vivo, opening the path to clinical application. Full article
(This article belongs to the Collection Extracellular Vesicles and Nucleic Acids in Health and Disease)
Show Figures

Graphical abstract

17 pages, 8375 KB  
Article
Resveratrol’s Impact on the Chondrogenic Reagents’ Effects in Cell Sheet Cultures of Wharton’s Jelly-Derived MSCs
by Anastasiia D. Kurenkova, Viktoria S. Presniakova, Zlata A. Mosina, Pavel D. Kibirskiy, Irina A. Romanova, Gilyana K. Tugaeva, Nastasia V. Kosheleva, Kirill S. Vinogradov, Sergei V. Kostjuk, Svetlana L. Kotova, Yury A. Rochev, Ekaterina V. Medvedeva and Peter S. Timashev
Cells 2023, 12(24), 2845; https://doi.org/10.3390/cells12242845 - 15 Dec 2023
Viewed by 2454
Abstract
Human Wharton’s jelly mesenchymal stem cells (hWJ-MSCs) are of great interest in tissue engineering. We obtained hWJ-MSCs from four patients, and then we stimulated their chondrogenic phenotype formation in vitro by adding resveratrol (during cell expansion) and a canonical Wnt pathway activator, LiCl, [...] Read more.
Human Wharton’s jelly mesenchymal stem cells (hWJ-MSCs) are of great interest in tissue engineering. We obtained hWJ-MSCs from four patients, and then we stimulated their chondrogenic phenotype formation in vitro by adding resveratrol (during cell expansion) and a canonical Wnt pathway activator, LiCl, as well as a Rho-associated protein kinase inhibitor, Y27632 (during differentiation). The effects of the added reagents on the formation of hWJ-MSC sheets destined to repair osteochondral injuries were investigated. Three-dimensional hWJ-MSC sheets grown on P(NIPAM-co-NtBA)-based matrices were characterized in vitro and in vivo. The combination of resveratrol and LiCl showed effects on hWJ-MSC sheets similar to those of the basal chondrogenic medium. Adding Y27632 decreased both the proportion of hypertrophied cells and the expression of the hyaline cartilage markers. In vitro, DMSO was observed to impede the effects of the chondrogenic factors. The mouse knee defect model experiment revealed that hWJ-MSC sheets grown with the addition of resveratrol and Y27632 were well integrated with the surrounding tissues; however, after 3 months, the restored tissue was identical to that of the naturally healed cartilage injury. Thus, the combination of chondrogenic supplements may not always have additive effects on the progress of cell culture and could be neutralized by the microenvironment after transplantation. Full article
(This article belongs to the Special Issue 3D Stem Cell Culture—Series 2)
Show Figures

Graphical abstract

24 pages, 8587 KB  
Article
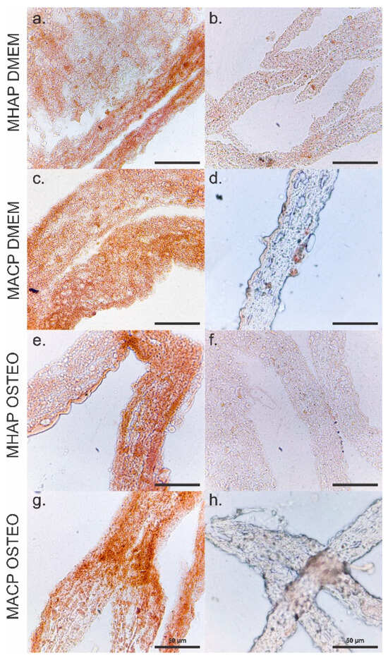
Electrospun Scaffolds of Polylactic Acid, Collagen, and Amorphous Calcium Phosphate for Bone Repair
by William Cárdenas-Aguazaco, Bernardo Camacho, Edwin Yesid Gómez-Pachón, Adriana Lorena Lara-Bertrand and Ingrid Silva-Cote
Pharmaceutics 2023, 15(11), 2529; https://doi.org/10.3390/pharmaceutics15112529 - 25 Oct 2023
Cited by 16 | Viewed by 3277
Abstract
Most electrospun scaffolds for bone tissue engineering typically use hydroxyapatite (HA) or beta tricalcium phosphate (β-TCP). However, the biological activity of these crystalline compounds can be limited due to their low solubility. Therefore, amorphous calcium phosphate (ACP) may be an alternative in bone [...] Read more.
Most electrospun scaffolds for bone tissue engineering typically use hydroxyapatite (HA) or beta tricalcium phosphate (β-TCP). However, the biological activity of these crystalline compounds can be limited due to their low solubility. Therefore, amorphous calcium phosphate (ACP) may be an alternative in bone repair scaffolds. This study analyzes the morphology, porosity, mechanical strength, and surface chemistry of electrospun scaffolds composed of polylactic acid and collagen integrated with hydroxyapatite (MHAP) or amorphous calcium phosphate (MACP). In addition, the in vitro biocompatibility, osteogenic differentiation, and growth factor production associated with bone repair using human Wharton’s jelly-derived mesenchymal stem cells (hWJ-MSCs) are evaluated. The results show that the electrospun MHAP and MACP scaffolds exhibit a fibrous morphology with interconnected pores. Both scaffolds exhibit favorable biocompatibility and stimulate the proliferation and osteogenesis of hWJ-MSCs. However, cell adhesion and osteocalcin production are greater in the MACP scaffold compared to the MHAP scaffold. In addition, the MACP scaffold shows significant production of bone-repair-related growth factors such as transforming growth factor-beta 1 (TGF-β1), providing a solid basis for its use in bone tissue engineering. Full article
(This article belongs to the Section Nanomedicine and Nanotechnology)
Show Figures

Graphical abstract

21 pages, 6088 KB  
Article
Expression Profile of New Marker Genes Involved in Differentiation of Human Wharton’s Jelly-Derived Mesenchymal Stem Cells into Chondrocytes, Osteoblasts, Adipocytes and Neural-like Cells
by Katarzyna Stefańska, Lucie Nemcova, Małgorzata Blatkiewicz, Agnieszka Żok, Mariusz Kaczmarek, Wojciech Pieńkowski, Paul Mozdziak, Hanna Piotrowska-Kempisty and Bartosz Kempisty
Int. J. Mol. Sci. 2023, 24(16), 12939; https://doi.org/10.3390/ijms241612939 - 18 Aug 2023
Cited by 8 | Viewed by 3090
Abstract
Wharton’s jelly (WJ) contains mesenchymal stem cells (MSCs) exhibiting broad immunomodulatory properties and differentiation capacity, which makes them a promising tool for cellular therapies. Although the osteogenic, chondrogenic and adipogenic differentiation is a gold standard for proper identification of MSCs, it is important [...] Read more.
Wharton’s jelly (WJ) contains mesenchymal stem cells (MSCs) exhibiting broad immunomodulatory properties and differentiation capacity, which makes them a promising tool for cellular therapies. Although the osteogenic, chondrogenic and adipogenic differentiation is a gold standard for proper identification of MSCs, it is important to elucidate the exact molecular mechanisms governing these processes to develop safe and efficient cellular therapies. Umbilical cords were collected from healthy, full-term deliveries, for subsequent MSCs (WJ-MSCs) isolation. WJ-MSCs were cultivated in vitro for osteogenic, chondrogenic, adipogenic and neurogenic differentiation. The RNA samples were isolated and the transcript levels were evaluated using NovaSeq platform, which led to the identification of differentially expressed genes. Expression of H19 and SLPI was enhanced in adipocytes, chondrocytes and osteoblasts, and NPPB was decreased in all analyzed groups compared to the control. KISS1 was down-regulated in adipocytes, chondrocytes, and neural-like cells compared to the control. The most of identified genes were already implicated in differentiation of MSCs; however, some genes (PROK1, OCA2) have not yet been associated with initiating final cell fate. The current results indicate that both osteo- and adipo-induced WJ-MSCs share many similarities regarding the most overexpressed genes, while the neuro-induced WJ-MSCs are quite distinctive from the other three groups. Overall, this study provides an insight into the transcriptomic changes occurring during the differentiation of WJ-MSCs and enables the identification of novel markers involved in this process, which may serve as a reference for further research exploring the role of these genes in physiology of WJ-MSCs and in regenerative medicine. Full article
(This article belongs to the Section Biochemistry)
Show Figures

Figure 1

15 pages, 4217 KB  
Article
The Effect of Fetal Bovine Acellular Dermal Matrix Seeded with Wharton’s Jelly Mesenchymal Stem Cells for Healing Full-Thickness Skin Wounds
by Reyhaneh Nassiri Mansour, Elham Hasanzadeh, Mozhgan Abasi, Mazaher Gholipourmalekabadi, Amir Mellati and Seyed Ehsan Enderami
Genes 2023, 14(4), 909; https://doi.org/10.3390/genes14040909 - 13 Apr 2023
Cited by 11 | Viewed by 3660
Abstract
The treatment of full-thickness skin wounds is a problem in the clinical setting, as they do not heal spontaneously. Extensive pain at the donor site and a lack of skin grafts limit autogenic and allogeneic skin graft availability. We evaluated fetal bovine acellular [...] Read more.
The treatment of full-thickness skin wounds is a problem in the clinical setting, as they do not heal spontaneously. Extensive pain at the donor site and a lack of skin grafts limit autogenic and allogeneic skin graft availability. We evaluated fetal bovine acellular dermal matrix (FADM) in combination with human Wharton’s jelly mesenchymal stem cells (hWJ-MSCs) to heal full-thickness skin wounds. FADM was prepared from a 6-month-old trauma-aborted fetus. WJ-MSCs were derived from a human umbilical cord and seeded on the FADM. Rat models of full-thickness wounds were created and divided into three groups: control (no treatment), FADM, and FADM-WJMSCs groups. Wound treatment was evaluated microscopically and histologically on days 7, 14, and 21 post-surgery. The prepared FADM was porous and decellularized with a normal range of residual DNA. WJ-MSCs were seeded and proliferated on FADM effectively. The highest wound closure rate was observed in the FADM-WJMSC group on days 7 and 14 post-surgery. Furthermore, this group had fewer inflammatory cells than other groups. Finally, in this study, we observed that, without using the differential cell culture media of fibroblasts, the xenogeneic hWJSCs in combination with FADM could promote an increased rate of full-thickness skin wound closure with less inflammation. Full article
(This article belongs to the Section Molecular Genetics and Genomics)
Show Figures

Figure 1

23 pages, 7769 KB  
Article
The Efficiency of Neurospheres Derived from Human Wharton’s Jelly Mesenchymal Stem Cells for Spinal Cord Injury Regeneration in Rats
by Sirilak Somredngan, Kasem Theerakittayakorn, Hong Thi Nguyen, Apichart Ngernsoungnern, Piyada Ngernsoungnern, Pishyaporn Sritangos, Mariena Ketudat-Cairns, Sumeth Imsoonthornruksa, Nattawut Keeratibharat, Rangsirat Wongsan, Ruttachuk Rungsiwiwut and Rangsun Parnpai
Int. J. Mol. Sci. 2023, 24(4), 3846; https://doi.org/10.3390/ijms24043846 - 14 Feb 2023
Cited by 7 | Viewed by 3750
Abstract
Spinal cord injury (SCI) causes inflammation and neuronal degeneration, resulting in functional movement loss. Since the availability of SCI treatments is still limited, stem cell therapy is an alternative clinical treatment for SCI and neurodegenerative disorders. Human umbilical cord Wharton’s jelly-derived mesenchymal stem [...] Read more.
Spinal cord injury (SCI) causes inflammation and neuronal degeneration, resulting in functional movement loss. Since the availability of SCI treatments is still limited, stem cell therapy is an alternative clinical treatment for SCI and neurodegenerative disorders. Human umbilical cord Wharton’s jelly-derived mesenchymal stem cells (hWJ-MSCs) are an excellent option for cell therapy. This study aimed to induce hWJ-MSCs into neural stem/progenitor cells in sphere formation (neurospheres) by using neurogenesis-enhancing small molecules (P7C3 and Isx9) and transplant to recover an SCI in a rat model. Inducted neurospheres were characterized by immunocytochemistry (ICC) and gene expression analysis. The best condition group was selected for transplantation. The results showed that the neurospheres induced by 10 µM Isx9 for 7 days produced neural stem/progenitor cell markers such as Nestin and β-tubulin 3 through the Wnt3A signaling pathway regulation markers (β-catenin and NeuroD1 gene expression). The neurospheres from the 7-day Isx9 group were selected to be transplanted into 9-day-old SCI rats. Eight weeks after transplantation, rats transplanted with the neurospheres could move normally, as shown by behavioral tests. MSCs and neurosphere cells were detected in the injured spinal cord tissue and produced neurotransmitter activity. Neurosphere-transplanted rats showed the lowest cavity size of the SCI tissue resulting from the injury recovery mechanism. In conclusion, hWJ-MSCs could differentiate into neurospheres using 10 µM Isx9 media through the Wnt3A signaling pathway. The locomotion and tissue recovery of the SCI rats with neurosphere transplantation were better than those without transplantation. Full article
Show Figures

Figure 1

Back to TopTop