The Antioxidant and Anti-Fatigue Effects of Rare Ginsenosides and γ-Aminobutyric Acid in Fermented Ginseng and Germinated Brown Rice Puree
Abstract
1. Introduction
2. Results
2.1. GABA Content
2.2. Ginsenoside Content
2.3. In Vitro Antioxidant Activity of Different Purees
2.4. Cytotoxicity of Puree and H2O2
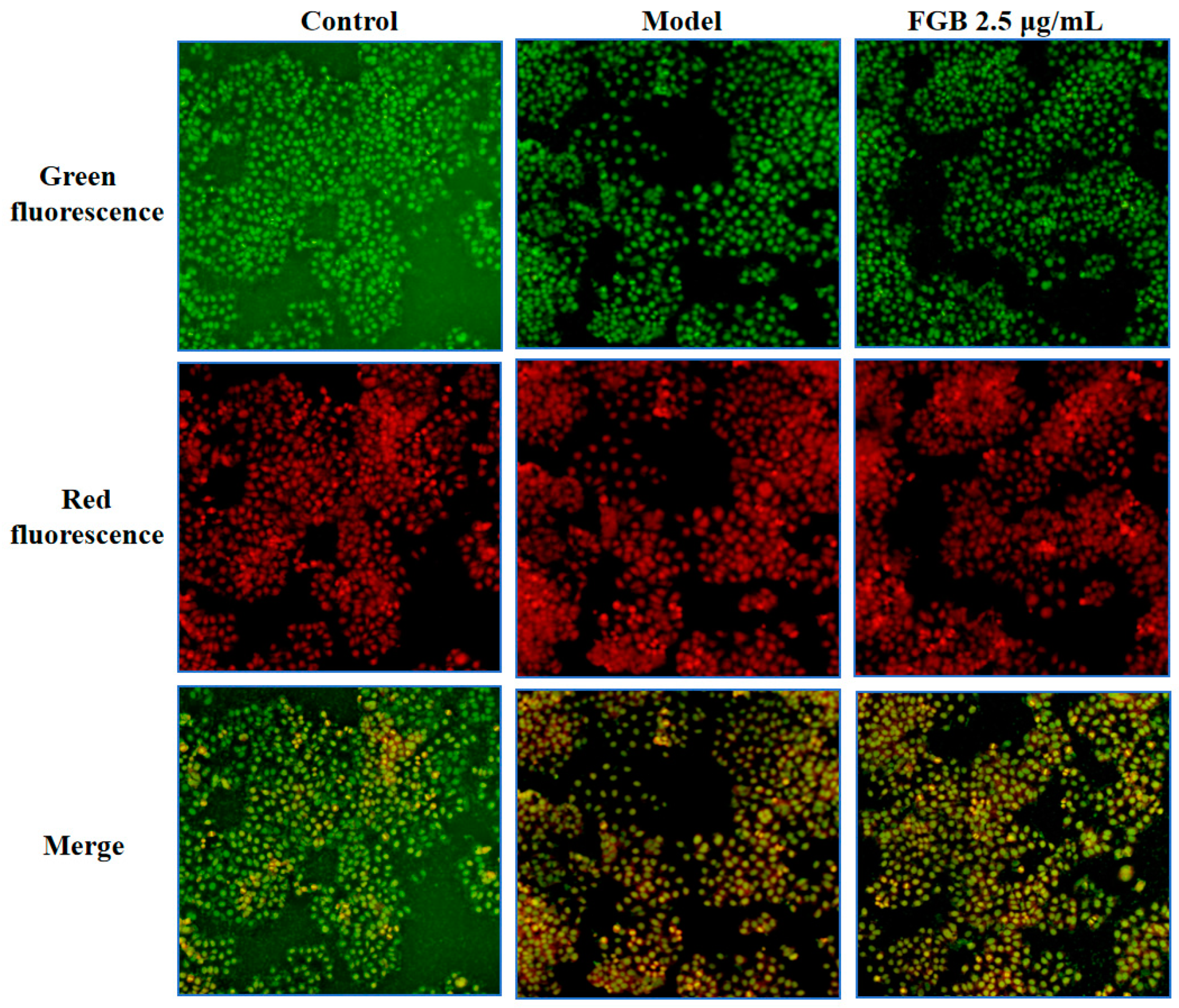
2.5. Effect of Puree on H2O2-Induced ROS Release in HepG2 Cells
2.6. Effect of Puree on the Mitochondrial Membrane Potential of HepG2 Cells Induced by H2O2
2.7. Anti-Fatigue Activity
2.7.1. Effects of Puree on Body Weight and Food Intake in Mice
2.7.2. Effects of Different Purees on Exhaustive Swimming Time
2.7.3. Effects of Different Purees on Blood Urea Nitrogen (BUN) and Creatinine (CRE)
2.7.4. Effects of Different Purees on Blood Lactic Acid (BLA) and Lactate Dehydrogenase (LDH)
2.7.5. Effects of Different Purees on Glycogen Storage
2.7.6. Effect of Different Purees on Antioxidant Activity In Vivo
3. Discussion
4. Materials and Methods
4.1. Materials and Reagents
4.2. Preparation of Puree
4.3. Determination of GABA Content
4.4. Determination of Ginsenoside Content
4.5. Antioxidant Activity Assay
4.5.1. Measurement of Free Radical-Scavenging Activity (DPPH Assay)
4.5.2. Measurement of Ferric-Reducing Antioxidant Power (FRAP Assay)
4.6. Effects of Fermented Puree of Ginseng with GBR and H2O2 on HepG2 Cells
4.6.1. Cell Culture
4.6.2. MTT Assay
4.6.3. Detection of Oxidative Stress Level and Mitochondrial Membrane Potential
4.6.4. Acridine Orange Strain
4.7. Anti-Fatigue Activity Assay
4.7.1. Mice and Exercise Protocol
4.7.2. Exhaustive Swimming Test
4.7.3. Determination of Biochemical Parameters
4.8. Statistical Methods
5. Conclusions
Supplementary Materials
Author Contributions
Funding
Institutional Review Board Statement
Informed Consent Statement
Data Availability Statement
Acknowledgments
Conflicts of Interest
Abbreviation
References
- Luo, C.; Xu, X.; Wei, X.; Feng, W.; Huang, H.; Liu, H.; Xu, R.; Lin, J.; Han, L.; Zhang, D. Natural medicines for the treatment of fatigue: Bioactive components, pharmacology, and mechanisms. Pharmacol. Res. 2019, 148, 104409. [Google Scholar] [CrossRef] [PubMed]
- Miao, X.; Xiao, B.; Shui, S.; Yang, J.; Huang, R.; Dong, J. Metabolomics analysis of serum reveals the effect of Danggui Buxue Tang on fatigued mice induced by exhausting physical exercise. J. Pharm. Biomed. Anal. 2018, 151, 301–309. [Google Scholar] [CrossRef] [PubMed]
- Grandjean, E. Fatigue in industry. Br. J. Ind. Med. 1979, 36, 175–186. [Google Scholar] [CrossRef]
- Akerstedt, T.; Knutsson, A.; Westerholm, P.; Theorell, T.; Alfredsson, L.; Kecklund, G. Mental fatigue, work and sleep. J. Psychosom. Res. 2004, 57, 427–433. [Google Scholar] [CrossRef]
- Xu, M.; Liang, R.; Li, Y.; Wang, J. Anti-fatigue effects of dietary nucleotides in mice. Food Nutr. Res. 2017, 61, 1334485. [Google Scholar] [CrossRef]
- Dawson, D.; McCulloch, K. Managing fatigue: It’s about sleep. Sleep. Med. Rev. 2005, 9, 365–380. [Google Scholar] [CrossRef]
- Wang, L.; Zhang, H.L.; Lu, R.; Zhou, Y.J.; Ma, R.; Lv, J.Q.; Li, X.L.; Chen, L.J.; Yao, Z. The decapeptide CMS001 enhances swimming endurance in mice. Peptides 2008, 29, 1176–1182. [Google Scholar] [CrossRef]
- Willcox, J.K.; Ash, S.L.; Catignani, G.L. Antioxidants and prevention of chronic disease. Crit. Rev. Food Sci. Nutr. 2004, 44, 275–295. [Google Scholar] [CrossRef] [PubMed]
- Liu, G.; Yang, X.; Zhang, J.; Liang, L.; Miao, F.; Ji, T.; Ye, Z.; Chu, M.; Ren, J.; Xu, X. Synthesis, stability and anti-fatigue activity of selenium nanoparticles stabilized by Lycium barbarum polysaccharides. Int. J. Biol. Macromol. 2021, 179, 418–428. [Google Scholar] [CrossRef]
- Xu, C.; Lv, J.; Lo, Y.M.; Cui, S.W.; Hu, X.; Fan, M. Effects of oat beta-glucan on endurance exercise and its anti-fatigue properties in trained rats. Carbohydr. Polym. 2013, 92, 1159–1165. [Google Scholar] [CrossRef]
- McRae, M.P. Health benefits of dietary whole grains: An umbrella review of meta-analyses. J. Chiropr. Med. 2017, 16, 10–18. [Google Scholar] [CrossRef] [PubMed]
- Cho, D.H.; Lim, S.T. Germinated brown rice and its bio-functional compounds. Food Chem. 2016, 196, 259–271. [Google Scholar] [CrossRef] [PubMed]
- Chou, L.S.; Weimer, B. Isolation and characterization of acid- and bile-tolerant isolates from strains of Lactobacillus acidophilus. J. Dairy Sci. 1999, 82, 23–31. [Google Scholar] [CrossRef]
- Cáceres, P.J.; Peñas, E.; Martínez-Villaluenga, C.; García-Mora, P.; Frías, J. Development of a multifunctional yogurt-like product from germinated brown rice. LWT-Food Sci. Technol. 2019, 99, 306–312. [Google Scholar] [CrossRef]
- Lu, G.Y.; Liu, Z.T.; Wang, X.; Wang, C.L. Recent Advances in Panax ginseng C.A. Meyer as a Herb for Anti-Fatigue: An Effects and Mechanisms Review. Foods 2021, 10, 1030. [Google Scholar] [CrossRef]
- Shin, M.S.; Song, J.H.; Choi, P.; Lee, J.H.; Kim, S.Y.; Shin, K.S.; Ham, J.; Kang, K.S. Stimulation of Innate Immune Function by Panax ginseng after Heat Processing. J. Agric. Food. Chem. 2018, 66, 4652–4659. [Google Scholar] [CrossRef]
- Lee, S.; Rhee, D.K. Effects of ginseng on stress-related depression, anxiety, and the hypothalamic-pituitary-adrenal axis. J. Ginseng Res. 2017, 41, 589–594. [Google Scholar] [CrossRef]
- Liu, S.; Cheng, Y.; Chen, W.Z.; Lv, J.X.; Zheng, B.S.; Huang, D.D.; Xia, X.F.; Yu, Z. Inflammation Disturbed the Tryptophan Catabolites in Hippocampus of Post-operative Fatigue Syndrome Rats via Indoleamine 2,3-Dioxygenas Enzyme and the Improvement Effect of Ginsenoside Rb1. Front. Neurosci. 2021, 15, 652817. [Google Scholar] [CrossRef] [PubMed]
- Li, Q.; Wang, L.; Fang, X.; Zhao, L. Highly Efficient Biotransformation of Notoginsenoside R1 into Ginsenoside Rg1 by Dictyoglomus thermophilum beta-xylosidase Xln-DT. J. Microbiol. Biotechnol. 2022, 32, 447–457. [Google Scholar] [CrossRef]
- Liu, Y.; Zhang, J.W.; Li, W.; Ma, H.; Sun, J.; Deng, M.C.; Yang, L. Ginsenoside metabolites, rather than naturally occurring ginsenosides, lead to inhibition of human cytochrome P450 enzymes. Toxicol. Sci. 2006, 91, 356–364. [Google Scholar] [CrossRef]
- Zheng, M.M.; Xu, F.X.; Li, Y.J.; Xi, X.Z.; Cui, X.W.; Han, C.C.; Zhang, X.L. Study on Transformation of Ginsenosides in Different Methods. BioMed Res. Int. 2017, 2017, 8601027. [Google Scholar] [CrossRef] [PubMed]
- Park, H.; Lee, M.; Kim, K.T.; Park, E.; Paik, H.D. Antioxidant and antigenotoxic effect of dairy products supplemented with red ginseng extract. J. Dairy Sci. 2018, 101, 8702–8710. [Google Scholar] [CrossRef] [PubMed]
- Kanehira, T.; Nakamura, Y.; Nakamura, K.; Horie, K.; Horie, N.; Furugori, K.; Sauchi, Y.; Yokogoshi, H. Relieving occupational fatigue by consumption of a beverage containing γ-amino butyric acid. J. Nutr. Sci. Vitaminol. 2011, 57, 9–15. [Google Scholar] [CrossRef] [PubMed]
- Ma, G.D.; Chiu, C.H.; Hsu, Y.J.; Hou, C.W.; Chen, Y.M.; Huang, C.C. Changbai Mountain Ginseng (Panax ginseng C. A. Mey) Extract Supplementation Improves Exercise Performance and Energy Utilization and Decreases Fatigue-Associated Parameters in Mice. Molecules 2017, 22, 237. [Google Scholar] [CrossRef]
- Bower, J.E. Cancer-related fatigue—Mechanisms, risk factors, and treatments. Nat. Rev. Clin. Oncol. 2014, 11, 597–609. [Google Scholar] [CrossRef]
- Hong, S.H.; Mijeong, K.; Minji, W.; Song, Y.O. Effects of ingredients of Korean brown rice cookies on attenuation of cholesterol level and oxidative stress in high-fat diet-fed mice. Nutr. Res. Pract. 2017, 11, 365–372. [Google Scholar] [CrossRef]
- Waters, D.M.; Mauch, A.; Coffey, A.; Arendt, E.K.; Zannini, E. Lactic acid bacteria as a cell factory for the delivery of functional biomolecules and ingredients in cereal-based beverages: A review. Crit. Rev. Food Sci. Nutr. 2015, 55, 503–520. [Google Scholar] [CrossRef] [PubMed]
- Nagpal, R.; Kumar, A.; Kumar, M.; Behare, P.V.; Jain, S.; Yadav, H. Probiotics, their health benefits and applications for developing healthier foods: A review. FEMS Microbiol. Lett. 2012, 334, 1–15. [Google Scholar] [CrossRef]
- Yodpitak, S.; Mahatheeranont, S.; Boonyawan, D.; Sookwong, P.; Roytrakul, S.; Norkaew, O. Cold plasma treatment to improve germination and enhance the bioactive phytochemical content of germinated brown rice. Food Chem. 2019, 289, 328–339. [Google Scholar] [CrossRef]
- Abd El-Fattah, A.; Sakr, S.; El-Dieb, S.; Elkashef, H. Developing functional yogurt rich in bioactive peptides and gamma-aminobutyric acid related to cardiovascular health. LWT-Food Sci. Technol. 2018, 98, 390–397. [Google Scholar] [CrossRef]
- Huang, J.; Mei, L.H.; Xia, J. Application of artificial neural network coupling particle swarm optimization algorithm to biocatalytic production of GABA. Biotechnol. Bioeng. 2007, 96, 924–931. [Google Scholar] [CrossRef] [PubMed]
- Yokoyama, S.; Hiramatsu, J.; Hayakawa, K. Production of gamma-aminobutyric acid from alcohol distillery lees by Lactobacillus brevis IFO-12005. J. Biosci. Bioeng. 2002, 93, 95–97. [Google Scholar] [CrossRef] [PubMed]
- Mabunga, D.F.; Gonzales, E.L.; Kim, H.J.; Choung, S.Y. Treatment of gaba from fermented rice germ ameliorates caffeine-induced sleep disturbance in mice. Biomol. Ther. 2015, 23, 268–274. [Google Scholar] [CrossRef]
- Lee, B.J.; Kim, J.S.; Kang, Y.M.; Lim, J.H.; Kim, Y.M.; Lee, M.S.; Jeong, M.H.; Ahn, C.B.; Je, J.Y. Antioxidant activity and gamma-aminobutyric acid (GABA) content in sea tangle fermented by Lactobacillus brevis BJ20 isolated from traditional fermented foods. Food Chem. 2010, 122, 271–276. [Google Scholar] [CrossRef]
- Li, D.; Ren, J.W.; Zhang, T.; Liu, R.; Wu, L.; Du, Q.; Li, Y. Anti-fatigue effects of small-molecule oligopeptides isolated from Panax quinquefolium L. in mice. Food Funct. 2018, 9, 4266–4273. [Google Scholar] [CrossRef]
- Hu, M.; Du, J.; Du, L.D.; Luo, Q.S.; Xiong, J.H. Anti-fatigue activity of purified anthocyanins prepared from purple passion fruit (P. edulis Sim) epicarp in mice. J. Funct. Foods 2020, 65, 103725. [Google Scholar] [CrossRef]
- Li, Y.; Deng, Y.; Li, Z.; Liu, Z.; Piao, M.; Cui, X. Composition, physicochemical properties, and anti-fatigue activity of water-soluble okra (Abelmoschus esculentus) stem pectins. Int. J. Biol. Macromol. 2020, 165, 2630–2639. [Google Scholar] [CrossRef] [PubMed]
- Anand, T.; Kumar, G.P.; Pandareesh, M.; Swamy, M.; Khanum, F.; Bawa, A.S. Effect of Bacoside Extract from Bacopa monniera on Physical Fatigue Induced by Forced Swimming. Phytother. Res. 2012, 26, 587–593. [Google Scholar] [CrossRef]
- Corbo, M.R.; Bevilacqua, A.; Petruzzi, L.; Casanova, F.P.; Sinigaglia, M. Functional Beverages: The Emerging Side of Functional Foods Commercial Trends, Research, and Health Implications. Compr. Rev. Food Sci. Food Saf. 2014, 13, 1192–1206. [Google Scholar] [CrossRef]
- De la Fuente, B.; Luz, C.; Puchol, C.; Meca, G.; Barba, F.J. Evaluation of fermentation assisted by Lactobacillus brevis POM, and Lactobacillus plantarum (TR-7, TR-71, TR-14) on antioxidant compounds and organic acids of an orange juice-milk based beverage. Food Chem. 2021, 343, 128414. [Google Scholar] [CrossRef]
- Zhang, D.; Xiong, J.; Zhao, X.; Gan, Y. Anti-fatigue activities of γ-aminobutyric acid-enriched soymilk in an acute exercise-treated mouse model via regulating AMPK/PGC-1α pathway. Food Biosci. 2023, 55, 103060. [Google Scholar] [CrossRef]
- Naumenko, N.; Potoroko, I.; Kalinina, I. Stimulation of antioxidant activity and gamma-aminobutyric acid synthesis in germinated wheat grain Triticum aestivum L. by ultrasound: Increasing the nutritional value of the product. Ultrason. Sonochem. 2022, 86, 106000. [Google Scholar] [CrossRef] [PubMed]
- Zhuang, C.L.; Mao, X.Y.; Liu, S.; Chen, W.Z.; Huang, D.D.; Zhang, C.J.; Chen, B.C.; Shen, X.; Yu, Z. Ginsenoside Rb1 improves postoperative fatigue syndrome by reducing skeletal muscle oxidative stress through activation of the PI3K/Akt/Nrf2 pathway in aged rats. Eur. J. Pharmacol. 2014, 740, 480–487. [Google Scholar] [CrossRef] [PubMed]
- Yang, Q.Y.; Lai, X.D.; Ouyang, J.; Yang, J.D. Effects of Ginsenoside Rg3 on fatigue resistance and SIRT1 in aged rats. Toxicology 2018, 409, 144–151. [Google Scholar] [CrossRef] [PubMed]
- Lan, R.; Liang, Y. Effects of ginsenoside CK on anti-fatigue and oxidative stress of skeletal muscle in exhausted swimming rats. J. Yunnan Agric. Univ. Nat. Sci. Ed. 2022, 37, 491–496. [Google Scholar]
- Hsu, B.Y.; Lu, T.J.; Chen, C.H.; Wang, S.J.; Hwang, L.S. Biotransformation of ginsenoside Rd in the ginseng extraction residue by fermentation with lingzhi (Ganoderma lucidum). Food Chem. 2013, 141, 4186–4193. [Google Scholar] [CrossRef]
- Wei, Y.; Zhao, W.; Zhang, Q.; Zhao, Y.; Zhang, Y. Purification and characterization of a novel and unique ginsenoside Rg1-hydrolyzing beta-D-glucosidase from Penicillium sclerotiorum. Acta Biochim. Biophys. Sin. 2011, 43, 226–231. [Google Scholar] [CrossRef][Green Version]
- Jung, J.; Paik, H.D.; Yoon, H.J.; Jang, H.J.; Jeewanthi, R.K.; Jee, H.S.; Li, X.; Lee, N.K.; Lee, S.K. Physicochemical Characteristics and Antioxidant Capacity in Yogurt Fortified with Red Ginseng Extract. Korean J. Food Sci. Anim. Resour. 2016, 36, 412–420. [Google Scholar] [CrossRef]
- Luo, X.; Liu, W.; Zhong, H.; Yan, Y.; Feng, F.; Zhao, M. Synergistic effect of combined oyster peptide and ginseng extracts on anti-exercise-fatigue and promotion of sexual interest activity in male ICR mice. J. Funct. Foods 2021, 86, 104700. [Google Scholar] [CrossRef]
- Tan, W.; Yu, K.Q.; Liu, Y.Y.; Ouyang, M.Z.; Yan, M.H.; Luo, R.; Zhao, X.S. Anti-fatigue activity of polysaccharides extract from Radix Rehmanniae Preparata. Int. J. Biol. Macromol. 2012, 50, 59–62. [Google Scholar] [CrossRef]
- Qi, B.; Liu, L.; Zhang, H.; Zhou, G.X.; Wang, S.; Duan, X.Z.; Bai, X.Y.; Wang, S.M.; Zhao, D.Q. Anti-fatigue effects of proteins isolated from Panax quinquefolium. J. Ethnopharmacol. 2014, 153, 430–434. [Google Scholar] [CrossRef] [PubMed]
- Zheng, Y.; Zhang, W.C.; Wu, Z.Y.; Fu, C.X.; Hui, A.L.; Gao, H.; Chen, P.P.; Du, B.; Zhang, H.W. Two macamide extracts relieve physical fatigue by attenuating muscle damage in mice. J. Sci. Food Agric. 2019, 99, 1405–1412. [Google Scholar] [CrossRef] [PubMed]
- Oh, H.A.; Kim, D.E.; Choi, H.J.; Kim, N.J.; Kim, D.H. Anti-fatigue Effects of 20(S)-Protopanaxadiol and 20(S)-Protopanaxatriol in Mice. Biol. Pharm. Bull. 2015, 38, 1415–1419. [Google Scholar] [CrossRef] [PubMed][Green Version]
- Miao, J.Y.; Liao, W.W.; Kang, M.; Jia, Y.M.; Wang, Q.; Duan, S.; Xiao, S.Y.; Cao, Y.; Ji, H.W. Anti-fatigue and anti-oxidant activities of oyster (Ostrea rivularis) hydrolysate prepared by compound protease. Food Funct. 2018, 9, 6578–6586. [Google Scholar] [CrossRef]
- Cui, Z.; Guo, Z.; Miao, J.; Wang, Z.; Li, Q.; Chai, X.; Li, M. The genus Cynomorium in China: An ethnopharmacological and phytochemical review. J. Ethnopharmacol. 2013, 147, 1–15. [Google Scholar] [CrossRef]
- You, L.J.; Zhao, M.M.; Regenstein, J.M.; Ren, J. In vitro antioxidant activity and in vivo anti-fatigue effect of loach (Misgurnus anguillicaudatus) peptides prepared by papain digestion. Food Chem. 2011, 124, 188–194. [Google Scholar] [CrossRef]
- Jiang, D.Q.; Guo, Y.; Xu, D.H.; Huang, Y.S.; Yuan, K.; Lv, Z.Q. Antioxidant and anti-fatigue effects of anthocyanins of mulberry juice purification (MJP) and mulberry marc purification (MMP) from different varieties mulberry fruit in China. Food Chem. Toxicol. 2013, 59, 1–7. [Google Scholar] [CrossRef]
- Ti, H.H.; Zhang, R.F.; Zhang, M.W.; Li, Q.; Wei, Z.; Zhang, Y.; Tang, X.; Deng, Y.; Liu, L.; Ma, Y. Dynamic changes in the free and bound phenolic compounds and antioxidant activity of brown rice at different germination stages. Food Chem. 2014, 161, 337–344. [Google Scholar] [CrossRef]
- Yu, Z.M.; Huang, X.H.; Yan, C.Q.; Gao, J.; Liang, Z.S. Effect of Fuzheng Jiedu granule on immunological function and level of immune-related cytokines in immune-suppressed mice. J. Integr. Agric. 2016, 15, 650–657. [Google Scholar] [CrossRef]












| Compound | FGB | NFGB |
|---|---|---|
| GABA (mg/100 mL) | 2.27 ± 0.12 | 0.86 ± 0.05 |
| Data are presented as mean ± SD (n = 3). | ||
| Ginsenoside Content (mg/g) | Name | |||
|---|---|---|---|---|
| FG | NFG | FGB | NFGB | |
| Rg1 | 0.17 ± 0.05 | 0.19 ± 0.02 | 0.41 ± 0.02 | 1.81 ± 0.13 |
| Re | 0.73 ± 0.02 | 0.56 ± 0.03 | 2.63 ± 0.12 | 3.73 ± 0.25 |
| Rf | 0.10 ± 0.01 | 0.28 ± 0.09 | 0.59 ± 0.13 | 0.77 ± 0.21 |
| Rb1 | 1.39 ± 0.12 | 1.97 ± 0.13 | 7.22 ± 0.16 | 9.20 ± 0.36 |
| Rc | 8.00 ± 0.15 | 11.26 ± 0.34 | 6.12 ± 0.07 | 20.82 ± 0.32 |
| Rg2 | 1.06 ± 0.07 | 1.33 ± 0.11 | 3.41 ± 0.18 | 5.74 ± 0.43 |
| Rd | 0.54 ± 0.01 | 0.62 ± 0.11 | 3.56 ± 0.05 | 4.73 ± 0.05 |
| Rg6 | 0.01 ± 0.01 | 0.06 ± 0.01 | 0.37 ± 0.08 | 0.39 ± 0.04 |
| Rh4 | 4.54 ± 0.11 | 2.75 ± 0.15 | 54.09 ± 1.51 | 21.66 ± 1.02 |
| Rg3 | 0.07 ± 0.01 | 0.00 ± 0.01 | 0.11 ± 0.05 | 0.00 ± 0.00 |
| CK | 0.29 ± 0.01 | 0.00 ± 0.01 | 4.20 ± 0.11 | 0.00 ± 0.00 |
| Sample | FRAP a (mg FE/g) | DPPH b (%) |
|---|---|---|
| fermented germinated brown rice group (FB) | 18.51 ± 1.52 | 75.57 ± 1.29 |
| unfermented germinated brown rice group (NFB) | 15.10 ± 1.56 | 51.99 ± 1.43 |
| fermented ginseng group (FG) | 23.68 ± 1.25 | 74.39 ± 1.50 |
| unfermented ginseng group (NFG) | 19.90 ± 1.15 | 68.33 ± 1.53 |
| fermented germinated brown rice and ginseng group (FGB) | 33.60 ± 1.05 | 79.18 ± 3.51 |
| unfermented germinated brown rice and ginseng group (NFGB) | 27.93 ± 1.10 | 58.64 ± 2.08 |
Disclaimer/Publisher’s Note: The statements, opinions and data contained in all publications are solely those of the individual author(s) and contributor(s) and not of MDPI and/or the editor(s). MDPI and/or the editor(s) disclaim responsibility for any injury to people or property resulting from any ideas, methods, instructions or products referred to in the content. |
© 2024 by the authors. Licensee MDPI, Basel, Switzerland. This article is an open access article distributed under the terms and conditions of the Creative Commons Attribution (CC BY) license (https://creativecommons.org/licenses/by/4.0/).
Share and Cite
Feng, S.; Li, T.; Wei, X.; Zheng, Y.; Zhang, Y.; Li, G.; Zhao, Y. The Antioxidant and Anti-Fatigue Effects of Rare Ginsenosides and γ-Aminobutyric Acid in Fermented Ginseng and Germinated Brown Rice Puree. Int. J. Mol. Sci. 2024, 25, 10359. https://doi.org/10.3390/ijms251910359
Feng S, Li T, Wei X, Zheng Y, Zhang Y, Li G, Zhao Y. The Antioxidant and Anti-Fatigue Effects of Rare Ginsenosides and γ-Aminobutyric Acid in Fermented Ginseng and Germinated Brown Rice Puree. International Journal of Molecular Sciences. 2024; 25(19):10359. https://doi.org/10.3390/ijms251910359
Chicago/Turabian StyleFeng, Shiwen, Tao Li, Xinrui Wei, Yifei Zheng, Yumeng Zhang, Gao Li, and Yuqing Zhao. 2024. "The Antioxidant and Anti-Fatigue Effects of Rare Ginsenosides and γ-Aminobutyric Acid in Fermented Ginseng and Germinated Brown Rice Puree" International Journal of Molecular Sciences 25, no. 19: 10359. https://doi.org/10.3390/ijms251910359
APA StyleFeng, S., Li, T., Wei, X., Zheng, Y., Zhang, Y., Li, G., & Zhao, Y. (2024). The Antioxidant and Anti-Fatigue Effects of Rare Ginsenosides and γ-Aminobutyric Acid in Fermented Ginseng and Germinated Brown Rice Puree. International Journal of Molecular Sciences, 25(19), 10359. https://doi.org/10.3390/ijms251910359

