One-Pot APTES Grafted Silica Synthesis and Modification with AgNPs
Abstract
1. Introduction
2. Materials and Methods
2.1. Reagents
2.2. Characterization Methods
2.3. Synthesis of Uncoated Silicas
2.4. Silica Modification with AgNPs
3. Results
3.1. X-Ray Diffraction Analysis
3.2. Surface Morphology
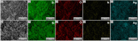
3.3. Elemental Analysis
3.4. Textural Properties and Surface Area
3.5. Thermostability Properties
3.6. Surface Functionalization
4. Discussion
5. Conclusions
Author Contributions
Funding
Institutional Review Board Statement
Informed Consent Statement
Data Availability Statement
Acknowledgments
Conflicts of Interest
Abbreviations
| AgNPs | Silver nanoparticles |
| APTES | 3-aminopropyl) triethoxysilane |
| TMOS | Tetramethyl orthosilicate |
| P123 | Pluronic P123 |
| CTAB | Cetyltrimethylammonium bromide |
| XRD | X-ray diffraction |
| EDX | X-ray energy dispersive spectrometry |
| TGA | Thermogravimetric analysis |
| FTIR | Fourier Transform Infrared Spectroscopy |
References
- Flörke, O.W.; Graetsch, H.A.; Brunk, F.; Benda, L.; Paschen, S.; Bergna, H.E.; Roberts, W.O.; Welsh, W.A.; Libanati, C.; Ettlinger, M.; et al. Ullmann’s Encyclopedia of Industrial Chemistry; Wiley: Hoboken, NJ, USA, 2008. [Google Scholar]
- Collinson, M.M. Recent Trends in Analytical Applications of Organically Modified Silicate Materials. TrAC Trends Anal. Chem. 2002, 21, 31–39. [Google Scholar] [CrossRef]
- Wu, Z.; Sun, D.W.; Pu, H.; Wei, Q. A Dual Signal-on Biosensor Based on Dual-Gated Locked Mesoporous Silica Nanoparticles for the Detection of Aflatoxin B1. Talanta 2023, 253, 124027. [Google Scholar] [CrossRef]
- Zhou, L.; Xu, M.; Yin, J.; Shui, R.; Yang, S.; Hua, D. Dual Ion-Imprinted Mesoporous Silica for Selective Adsorption of U(VI) and Cs(I) through Multiple Interactions. ACS Appl. Mater. Interfaces 2021, 13, 6322–6330. [Google Scholar] [CrossRef] [PubMed]
- Delińska, K.; Yavir, K.; Kloskowski, A. Head-Space SPME for the Analysis of Organophosphorus Insecticides by Novel Silica IL-Based Fibers in Real Samples. Molecules 2022, 27, 4688. [Google Scholar] [CrossRef]
- Wahab, M.A.; Guo, W.; Cho, W.-J.; Ha, C.-S. Synthesis and Characterization of Novel Amorphous Hybrid Silica Materials. J. Sol-Gel Sci. Technol. 2003, 27, 333–341. [Google Scholar] [CrossRef]
- Zajickova, Z. Review of Recent Advances in Development and Applications of Organic-Silica Hybrid Monoliths. J. Sep. Sci. 2023, 46, 2300396. [Google Scholar] [CrossRef]
- El-Debs, R.; Cadoux, F.; Bois, L.; Bonhommé, A.; Randon, J.; Dugas, V.; Demesmay, C. Synthesis and Surface Reactivity of Vinylized Macroporous Silica Monoliths: One-Pot Hybrid versus Postsynthesis Grafting Strategies. Langmuir 2015, 31, 11649–11658. [Google Scholar] [CrossRef]
- Otalvaro, J.O.; Avena, M.; Brigante, M. Adsorption of Organic Pollutants by Amine Functionalized Mesoporous Silica in Aqueous Solution. Effects of PH, Ionic Strength and Some Consequences of APTES Stability. J. Environ. Chem. Eng. 2019, 7, 103325. [Google Scholar] [CrossRef]
- Zhang, L.; Chen, B.; Peng, H.; He, M.; Hu, B. Aminopropyltriethoxysilane-Silica Hybrid Monolithic Capillary Microextraction Combined with Inductively Coupled Plasma Mass Spectrometry for the Determination of Trace Elements in Biological Samples. J. Sep. Sci. 2011, 34, 2247–2254. [Google Scholar] [CrossRef]
- Vashist, S.K.; Lam, E.; Hrapovic, S.; Male, K.B.; Luong, J.H.T. Immobilization of Antibodies and Enzymes on 3-Aminopropyltriethoxysilane-Functionalized Bioanalytical Platforms for Biosensors and Diagnostics. Chem. Rev. 2014, 114, 11083–11130. [Google Scholar] [CrossRef]
- Amoli-Diva, M.; Pourghazi, K. Gold Nanoparticles Grafted Modified Silica Gel as a New Stationary Phase for Separation and Determination of Steroid Hormones by Thin Layer Chromatography. J. Food Drug. Anal. 2015, 23, 279–286. [Google Scholar] [CrossRef]
- Kobayashi, Y.; Sakuraba, T. Silica-Coating of Metallic Copper Nanoparticles in Aqueous Solution. Colloids Surf. A Physicochem. Eng. Asp. 2008, 317, 756–759. [Google Scholar] [CrossRef]
- Dag, Ö.; Samarskaya, O.; Coombs, N.; Ozin, G.A. The Synthesis of Mesostructured Silica Films and Monoliths Functionalised by Noble Metal Nanoparticles. J. Mater. Chem. 2003, 13, 328–334. [Google Scholar] [CrossRef]
- Pal, S.; Nisi, R.; Licciulli, A. Antibacterial Activity of In Situ Generated Silver Nanoparticles in Hybrid Silica Films. Photochem 2022, 2, 479–488. [Google Scholar] [CrossRef]
- Zhu, Y.; Morisato, K.; Li, W.; Kanamori, K.; Nakanishi, K. Synthesis of Silver Nanoparticles Confined in Hierarchically Porous Monolithic Silica: A New Function in Aromatic Hydrocarbon Separations. ACS Appl. Mater. Interfaces 2013, 5, 2118–2125. [Google Scholar] [CrossRef]
- Poškus, V.; Vičkačkaitė, V. Silver-coated Monolithic Silica Column for Separation of Trans Fatty Acids. Sep. Sci. Plus 2018, 1, 738–745. [Google Scholar] [CrossRef]
- Laurinavičius, G.; Poškus, V. Synthesis and Investigation of Silver-Coated Monolithic Solid Phase Microextraction Silica Sorbent. Chemija 2023, 34, 41–47. [Google Scholar] [CrossRef]
- Yan, L.; Zhang, Q.; Zhang, J.; Zhang, L.; Li, T.; Feng, Y.; Zhang, L.; Zhang, W.; Zhang, Y. Hybrid Organic-Inorganic Monolithic Stationary Phase for Acidic Compounds Separation by Capillary Electrochromatography. J. Chromatogr. A 2004, 1046, 255–261. [Google Scholar] [CrossRef]
- EL-Rafei, A.M. Preparation and Characterization of Mesoporous Amorphous Nano-Silica and Nano-Cristobalite for Value Enhancement of Low-Cost Egyptian Waste Materials. Ceram. Int. 2022, 48, 32185–32195. [Google Scholar] [CrossRef]
- Chandrasekar, G.; You, K.S.; Ahn, J.W.; Ahn, W.S. Synthesis of Hexagonal and Cubic Mesoporous Silica Using Power Plant Bottom Ash. Microporous Mesoporous Mater. 2008, 111, 455–462. [Google Scholar] [CrossRef]
- Thamilselvi, V.; Radha, K.V. Silver Nanoparticle Loaded Silica Adsorbent for Wastewater Treatment. Korean J. Chem. Eng. 2017, 34, 1801–1812. [Google Scholar] [CrossRef]
- Laurinavičius, G.; Poškus, V. Mesoporous Silica Synthesis: Different Precursors, Catalysts and Structure Directing Agents. Silicon 2025, 17, 2381–2391. [Google Scholar] [CrossRef]
- Convertino, A.; Cuscunà, M.; Martelli, F.; Manera, M.G.; Rella, R. Silica Nanowires Decorated with Metal Nanoparticles for Refractive Index Sensors: Three-Dimensional Metal Arrays and Light Trapping at Plasmonic Resonances. J. Phys. Chem. C 2014, 118, 685–690. [Google Scholar] [CrossRef]
- Park, S.H.; Ko, Y.S.; Park, S.J.; Lee, J.S.; Cho, J.; Baek, K.Y.; Kim, I.T.; Woo, K.; Lee, J.H. Immobilization of Silver Nanoparticle-Decorated Silica Particles on Polyamide Thin Film Composite Membranes for Antibacterial Properties. J. Memb. Sci. 2016, 499, 80–91. [Google Scholar] [CrossRef]
- Hozhabr Araghi, S.; Entezari, M.H.; Chamsaz, M. Modification of Mesoporous Silica Magnetite Nanoparticles by 3-Aminopropyltriethoxysilane for the Removal of Cr(VI) from Aqueous Solution. Microporous Mesoporous Mater. 2015, 218, 101–111. [Google Scholar] [CrossRef]
- Thommes, M.; Kaneko, K.; Neimark, A.V.; Olivier, J.P.; Rodriguez-Reinoso, F.; Rouquerol, J.; Sing, K.S.W. Physisorption of Gases, with Special Reference to the Evaluation of Surface Area and Pore Size Distribution (IUPAC Technical Report). Pure Appl. Chem. 2015, 87, 1051–1069. [Google Scholar] [CrossRef]
- Gutierrez-Climente, R.; Gomez-Caballero, A.; Guerreiro, A.; Garcia-Mutio, D.; Unceta, N.; Goicolea, M.A.; Barrio, R.J. Molecularly Imprinted Nanoparticles Grafted to Porous Silica as Chiral Selectors in Liquid Chromatography. J. Chromatogr. A 2017, 1508, 53–64. [Google Scholar] [CrossRef]
- Fopa, R.D.; Bianco, C.; Archilha, N.L.; Moreira, A.C.; Pak, T. A Pore-Scale Investigation of the Effect of Nanoparticle Injection on Properties of Sandy Porous Media. J. Contam. Hydrol. 2023, 253, 104126. [Google Scholar] [CrossRef] [PubMed]
- Jin, J.; Cao, L.; Su, G.; Xu, C.; Zhang, Z.; Gao, X.; Liu, H.; Liu, H. A Facile Strategy to Recycle Template P123 from Mesoporous Aluminosilicates by Ultrasonic Extraction. Ultrason. Sonochem. 2014, 21, 1688–1695. [Google Scholar] [CrossRef]
- Criado, M.; Sobrados, I.; Sanz, J. Polymerization of Hybrid Organic-Inorganic Materials from Several Silicon Compounds Followed by TGA/DTA, FTIR and NMR Techniques. Prog. Org. Coat 2014, 77, 880–891. [Google Scholar] [CrossRef]
- Anbia, M.; Lashgari, M. Synthesis of Amino-Modified Ordered Mesoporous Silica as a New Nano Sorbent for the Removal of Chlorophenols from Aqueous Media. Chem. Eng. J. 2009, 150, 555–560. [Google Scholar] [CrossRef]
- Abduraimova, A.; Molkenova, A.; Duisembekova, A.; Mulikova, T.; Kanayeva, D.; Atabaev, T.S. Cetyltrimethylammonium Bromide (Ctab)-Loaded Sio2–Ag Mesoporous Nanocomposite as an Efficient Antibacterial Agent. Nanomaterials 2021, 11, 477. [Google Scholar] [CrossRef]
- Alothman, Z.A. A Review: Fundamental Aspects of Silicate Mesoporous Materials. Materials 2012, 5, 2874–2902. [Google Scholar] [CrossRef]
- Zhao, L.; Qin, H.; Wu, R.; Zou, H. Recent Advances of Mesoporous Materials in Sample Preparation. J. Chromatogr. A 2012, 1228, 193–204. [Google Scholar] [CrossRef]
- Yu, H.; Zhu, Y.; Yang, H.; Nakanishi, K.; Kanamori, K.; Guo, X. Facile Preparation of Silver Nanoparticles Homogeneously Immobilized in Hierarchically Monolithic Silica Using Ethylene Glycol as Reductant. Dalton Trans. 2014, 43, 12648–12656. [Google Scholar] [CrossRef]
- Gaffke, A.M.; Alborn, H.T. Desorption Temperature, Solid-Phase Microextraction (SPME), and Natural Product Analyses, How Low Can We Go? J. Chem. Ecol. 2021, 47, 134–138. [Google Scholar] [CrossRef]
- Hook, G.L.; Kimm, G.L.; Hall, T.; Smith, P.A. Solid-Phase Microextraction (SPME) for Rapid Field Sampling and Analysis by Gas Chromatography-Mass Spectrometry (GC-MS). TrAC Trends Anal. Chem. 2002, 21, 534–543. [Google Scholar] [CrossRef]
- Bryant, R.J.; McClung, A.M. Volatile Profiles of Aromatic and Non-Aromatic Rice Cultivars Using SPME/GC-MS. Food Chem. 2011, 124, 501–513. [Google Scholar] [CrossRef]







| Precursors Used in the Synthesis of Silicas | Surface Area, m2/g |
|---|---|
| TMOS + APTES (1:1) + CTAB 1 | 175 ± 1.1 |
| TMOS + APTES (1:1) + CTAB (Ag coated) | 345 ± 2 |
| TMOS + APTES (1:1) + P123 | 3.95 ± 0.06 |
| TMOS + APTES (1:1) + P123 (Ag Coated) | 8.80 ± 0.05 |
Disclaimer/Publisher’s Note: The statements, opinions and data contained in all publications are solely those of the individual author(s) and contributor(s) and not of MDPI and/or the editor(s). MDPI and/or the editor(s) disclaim responsibility for any injury to people or property resulting from any ideas, methods, instructions or products referred to in the content. |
© 2025 by the authors. Licensee MDPI, Basel, Switzerland. This article is an open access article distributed under the terms and conditions of the Creative Commons Attribution (CC BY) license (https://creativecommons.org/licenses/by/4.0/).
Share and Cite
Laurinavicius, G.; Karoblis, D.; Poskus, V. One-Pot APTES Grafted Silica Synthesis and Modification with AgNPs. AppliedChem 2025, 5, 31. https://doi.org/10.3390/appliedchem5040031
Laurinavicius G, Karoblis D, Poskus V. One-Pot APTES Grafted Silica Synthesis and Modification with AgNPs. AppliedChem. 2025; 5(4):31. https://doi.org/10.3390/appliedchem5040031
Chicago/Turabian StyleLaurinavicius, Gerardas, Dovydas Karoblis, and Vilius Poskus. 2025. "One-Pot APTES Grafted Silica Synthesis and Modification with AgNPs" AppliedChem 5, no. 4: 31. https://doi.org/10.3390/appliedchem5040031
APA StyleLaurinavicius, G., Karoblis, D., & Poskus, V. (2025). One-Pot APTES Grafted Silica Synthesis and Modification with AgNPs. AppliedChem, 5(4), 31. https://doi.org/10.3390/appliedchem5040031

