Methods of Extinguishing Fires in Objects with High Voltage
Abstract
1. Introduction
- Transmission lines work with high voltage, and firefighters are exposed to the risk of electric shock when extinguishing. Near the high-voltage transmission line, there is no effective fire extinguishing method that would ensure the safety of firefighters when extinguishing the fire;
2. Materials and Methods
2.1. The Current State of the Issue
2.2. Methodology
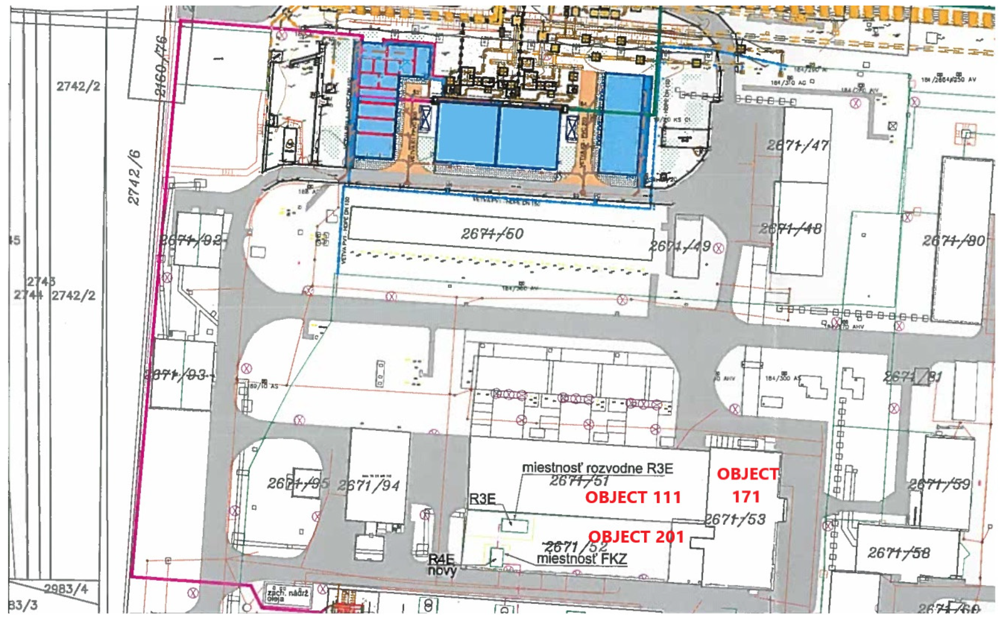
Operational-Tactical Characteristics of the Object
- Object 111—substation object.
- Compressor hall E (object 201).
- Building 171 Control room E.
3. Results
- Search to determine the presence of persons at risk, possible hiding places, dangerous materials, paths of fire spread, the state of building structures, and possible emergency routes.
- Carry out the evacuation and rescue of all persons at risk, ensure that the power is turned off, and take measures to remove heat and smoke (natural or forced ventilation).
- Carry out the localisation and liquidation of the fire using a suitable extinguishing agent and additives to increase the extinguishing effects.
- Use the optimal amount of supplied extinguishing agent regarding fire extinguishing efficiency (streamline P6).
- Take measures to protect property from the foam used for extinguishing.
- To improve cooperation in fighting fires in industrial buildings, members’ skills in using ADP and providing first aid to injured persons are used.
- Intervention section no. 1: searching for people, evacuating people, locating and extinguishing the fire and providing first aid to injured people.
- Intervention section no. 2: searching for people, evacuating people with the help of high-altitude equipment and providing first aid to injured people.
- Intervention section no. 3: Ensure the cooling of the gas coolers E and T hall and the ventilation of smoky areas.
- Intervention section no. 4: performing air quality monitoring using detection technology.
3.1. Calculation of Forces and Means
Sp = 2 × 4 × 10
Sp = 80 m2
r = 5 × 0.5 + 0.5 × 4 = 4.5 m,
3.2. Consumption of Fire Extinguishing Foam
Vp = 2 × 20.4 × 10 × 3 = 1224 l (before 1440 l)
Vv = 2 × 659.6 × 10 × 3 = 39,576 l (predtým 39,360 l);
3.3. Number of Streams for Fire Extinguishing
Qph = 80 × 14.7
Qph = 1176 l.min−1,
Nprh = 1176/680 = 1.78 = 2 P6.
Qph = 40 × 10.8
Qph = 432 l.min−1
Npro = 432/280
3.4. Actual Consumption of Extinguishing Agent
Qp = Nprh × Qpr = 2 × 656 + 2 × 280 = 1872 l.min−1
3.5. Determining the Number of Members of FRS
- -
- Number of members for evacuation at least 6 (3 persons);
- -
- Evacuation of people using MB Atego AR L 39 Metz high-altitude equipment.
3.6. Analysis of Results
3.7. Organisation of Connection and Determination of Radio Networks
- Base radio station Matra OC RD FRS Košice—channel 605—PKO—1;
- Matra handheld radio station—channel 605—PMI—50.
- Base radio station Matra DD FRS Michalovce—channel 605—PMI—1;
- Base radio station Matra FS Sobrance—channel 605—PMI—2;
- Primary radio station FS Veľké Kapušany—channel 605—PMI—3.
- Car of the fire rescue service: Mercedes Benz Vario—PMI—353;
- CAS 30 Iveco Trakker—PMI—306.
- CAS 30 T815-7(SO)—PMI—207.
- Car of the fire rescue service: Mercedes Benz Vario—PMI—153;
- MB Atego AR L 39 Metz—PMI—133;
- KHA AROCS 6 × 6—PMI—150;
- Nissan Navara—PMI—183.
- IVECO Daily without radio stations.
4. Conclusions
Author Contributions
Funding
Institutional Review Board Statement
Informed Consent Statement
Data Availability Statement
Acknowledgments
Conflicts of Interest
References
- Madejski, P. Thermal Power Plants–New Trends and Recent Developments. In Power Plant Engineering; IntechOpen: Rijeka, Croatia, 2018; 170p, ISBN 978-1-83881-408-3. [Google Scholar] [CrossRef]
- Sukhnandan, A.; Hoch, D.A. Fire induced Flashovers of Transmission lines: Theoretical models. In Proceedings of the 6th Africon Conference in Africa, George, South Africa, 2–4 October 2002; Volume 6, pp. 617–622. [Google Scholar] [CrossRef]
- Torero, O.L. Ignition Handbook, Principles and Applications to Fire Safety Engineering, Fire Investigation, Risk Management and Forensic Science by Vytenis Babrauskas, PhD. J. Fire Prot. Eng. 2004, 14, 229–232. [Google Scholar] [CrossRef]
- Babrauskas, V. Mechanisms and modes for ignition of low-voltage, PVC-insulated electrotechnical products. Fire Mater. 2005, 30, 151–174. [Google Scholar] [CrossRef]
- Liu, Y.; Li, B.; Wu, C.; Chen, B.; Pan, B. Effectiveness Test and Evaluation of Transformer Fire Extinguishing System. Fire Technol. 2022, 58, 3167–3190. [Google Scholar] [CrossRef]
- El-Harbawi, M. Fire and Explosion Risks and Consequences in Electrical Substations—A Transformer Case Study. ASME Open J. Eng. 2022, 1, 014501. [Google Scholar] [CrossRef]
- Chen, H.; Zhang, Y.; Zhang, L. A method to assess the wildfire induced breakdown of high-voltage transmission lines. J. Phys. 2018, 1074, 012152. [Google Scholar] [CrossRef]
- Minnaar, U.J.; Gaunt, C.T.; Nicolls, F. Characterisation of Power Systems Events on South African Transmission Power Lines. Electr. Power Syst. Res. 2012, 88, 25–32. [Google Scholar] [CrossRef]
- Allaev, K.R.; Mirzabaev, A.M.; Makhmudov, T.F.; Makhkamov, T.A. Simplified Criterion of Steady-State Stability of Electric Power Systems. J. Power Energy Eng. 2015, 3, 4. [Google Scholar] [CrossRef]
- Fialkov, A.B. Investigations on ions in flames. Prog. Energy Combust. Sci. 1997, 23, 399–528. [Google Scholar] [CrossRef]
- Gan, Y.; Luo, Y.; Wang, M.; Shi, Y. Effect of alternating electric fields on the behaviour of small-scale laminar diffusion flames. Appl. Therm. Eng. 2015, 89, 306–315. [Google Scholar] [CrossRef]
- Xiong, Y.; Park, D.G.; Lee, B.J.; Chung, S.H.; Cha, M.S. DC field response of one-dimensional flames using an ionised layer model. Combust. Flame 2016, 163, 317–325. [Google Scholar] [CrossRef]
- Karani, S.; Dunn-Rankin, D. Detailed characterisation of DC electric field effects on small non-premixed flames. Combust. Flame 2015, 162, 2865–2872. [Google Scholar] [CrossRef]
- Chen, T.; Zhang, J.; Zhao, T.; Li, X.; Yu, H.; Yang, X. Development Status of Dynamic Distributed Transmission and Distribution System in Chinese. Procedia Eng. 2015, 121, 2083–2090. [Google Scholar] [CrossRef][Green Version]
- Frost, P.; Annegarn, H.J. Providing satellite-based early warnings of fires to reduce fire flashovers on South Africa’s transmission lines. In Proceedings of the 2007 IEEE International Geoscience and Remote Sensing Symposium, Barcelona, Spain, 23–28 July 2007. [Google Scholar] [CrossRef]
- Wu, C.; Lu, J.; Chen, B.; Zhou, Y.L.; Zhou, T. Control strategy for large-scale fires near power transmission lines and its application. IET Gener. Transm. Distrib. 2020, 15, 704–715. [Google Scholar] [CrossRef]
- Anagnostatos, S.D.; Halevidis, C.D.; Polykrati, A.D.; Koufakis, E.I.; Bourkas, P.D. High-Voltage Lines in Fire Environment. IEEE Trans. Power Deliv. 2011, 26, 2053–2054. [Google Scholar] [CrossRef]
- Robledo-Martinez, A.; Guzman, E.; Hernandez, J. Dielectric characteristics of a model transmission line in the presence of fire. IEEE Trans. Eletr. 1991, 26, 776–782. [Google Scholar] [CrossRef]
- Li, P.; Huang, D.; Ruan, J.; Wei, H.; Qin, Z.; Qiu, Z.; Chen, X. Study on the dielectric characteristics of simulation transmission line gap under fire conditions. In Proceedings of the IEEE Conference on Electrical Insulation and Dielectric Phenomena (CEIDP) 2015, Ann Arbor, MI, USA, 18–21 October 2015. [Google Scholar] [CrossRef]
- Guo, Y.; Chen, R.; Shi, J.; Wan, J.; Yi, H.; Zhong, J. Determination of the power transmission line ageing failure probability due to the impact of forest fire. IET Gener. Transm. Distrib. 2018, 12, 3812–3819. [Google Scholar] [CrossRef]
- Wu, Y.; Xue, Y.; Lu, J.; Xie, Y.; Xu, T.; Li, W.; Wu, C. Space-time of forest fire on power grid fault probability. Autom. Electr. Power Syst. 2016, 40, 14–20. [Google Scholar] [CrossRef]
- Shi, S.; Yao, C.; Wang, S.; Han, W. A Model Design for Risk Assessment of Line Tripping Caused by Wildfires. Sensors 2018, 18, 1941. [Google Scholar] [CrossRef]
- Wang, J.; Ma, W.; Song, S.; Xu, F. Fuzzy comprehensive evaluation of forest fire risk on transmission lines based on entropy weight method. In Proceedings of the 2013 International Conference on Advanced Mechatronic Systems, Luoyang, China, 25–27 September 2013; pp. 666–670. [Google Scholar] [CrossRef]
- Zhou, J.; Ma, W.; Miao, J. Fire risk assessment of transmission line based on BP neural network. Int. J. Smart Home 2014, 8, 119–130. [Google Scholar] [CrossRef]
- Dian, S.; Cheng, P.; Ye, Q.; Wu, J.; Luo, R.; Wang, C.; Hui, D.; Zhou, N.; Zou, D.; Yu, Q.; et al. Integrating fires propagation prediction into early warning of electrical transmission line outages. IEEE Access 2019, 7, 27586–27603. [Google Scholar] [CrossRef]
- Xu, K.; Zhang, X.; Chen, Z.; Wu, W.; Li, T. Risk assessment for wildfire occurrence in high-voltage power line corridors by using remote-sensing techniques: A case study in Hubei province, China. Int. J. Remote Sens. 2016, 37, 4818–4837. [Google Scholar] [CrossRef]
- Zhou, F.; Ma, Y.; Wang, H. Research on transmission line fire monitoring technology based on remote sensing satellite data. In Proceedings of the 2020 International Conference on Urban Engineering and Management Science (ICUEMS), Zhuhai, China, 24–26 April 2020; pp. 314–317. [Google Scholar] [CrossRef]
- Li, C.; Jing, Z.; Tang, B.; Zhang, Y. Analysis of forest fire spread trend surrounding transmission line based on rothermel model and huygens principle. Int. J. Multimed. Ubiquitous Eng. 2014, 9, 51–60. [Google Scholar] [CrossRef]
- Vadrevu, K.P.; Csiszar, I.; Ellicott, E.; Giglio, L.; Badarinath, K.V.S.; Vermote, E.; Justice, C. Hotspot analysis of vegetation fires and intensity in the Indian region. IEEE J. Sel. Top. Appl. Earth Obs. Remote Sens. 2013, 6, 224–238. [Google Scholar] [CrossRef]
- Su, H.; Sun, M.; Shang, J. Research on Stereoscopic Monitoring and Positioning Technology of Mountain Fire in EHV Transmission Lines. In Proceedings of the 2019 IEEE 3rd International Electrical and Energy Conference (CIEEC), Beijing, China, 7–9 September 2019; pp. 222–227. [Google Scholar] [CrossRef]
- Lu, J.; Zhou, T.; Wu, C.; Li, B.; Tan, Y.; Zhu, Y. Fault statistics and analysis of 220 kV and above power transmission line in province-level power grid. High Volt. Eng. 2016, 42, 200–207. [Google Scholar] [CrossRef]
- Chen, B. Fault statistics and analysis of 220-kV and above transmission lines in a southern coastal provincial power grid of China. IEEE Open Access J. Power Energy 2020, 7, 122–129. [Google Scholar] [CrossRef]
- Jazebi, S.; de Leon, F.; Nelson, A. Review of wildfire management techniques_Part I: Causes, prevention, detection, suppression, and data analytics. IEEE Trans. Power Deliv. 2020, 35, 430–439. [Google Scholar] [CrossRef]
- Map of Power System of The Slovak Republic Home Page. Available online: https://www.sepsas.sk/pre-partnerov/technicke-parametre/schemy-siete/ (accessed on 10 September 2023).
- Peng, Y. Numerical simulation of smoke movement under typical cable fire conditions. Chuanhai Eng. 2016, 45, 65–68. [Google Scholar]
- Shu, S.; Chen, Y.; Cao, S.; Zhang, B.; Fang, C.; Xu, J. Monitoring and alarm method for wildfires near transmission lines with multi-Doppler weather radars. IET Gener. Transm. Distrib. 2023, 17, 2055–2069. [Google Scholar] [CrossRef]
- Yang, R.; Khan, F.; Neto, T.E.; Rusli, R.; Ji, J. Could pool fire alone cause a domino effect? Reliab. Eng. Syst. Saf. 2020, 202, 106976. [Google Scholar] [CrossRef]
- Yang, H.; Zou, L.; Wang, X.; Song, Z.; Duan, Y.; Zhang, H. Analysis of Fire Spread in High Voltage Cable Trench under Different Cable Laying Modes. In Proceedings of the IEEE International Conference on Advanced Electrical Equipment and Reliable Operation (AEERO) 2021, Beijing, China, 15–17 October 2021. [Google Scholar] [CrossRef]
- Chen, W.; Zhou, Y.; Zhou, E.; Xiang, Z.; Zhou, W.; Lu, J. Wildfire Risk Assessment of Transmission-Line Corridors Based on Naïve Bayes Network and Remote Sensing Data. Sensors 2021, 21, 634. [Google Scholar] [CrossRef] [PubMed]
- Landucci, G.; Antonini, G.; Tugnoli, A.; Cozzani, V. Probabilistic Assessment of Domino Effect Triggered by Fire: Implementation in Quantitative Risk Assessment. Chem. Eng. Trans. 2012, 26, 195–200. [Google Scholar] [CrossRef]
- You, F.; Zhang, Y.; Chen, H.-X.; Zhang, L.-H.; Zhu, J.-P.; Zhou, J.-J. Preliminary Studies on Flashovers of High-voltage Transmission Lines Induced by Wildfires by Field Survey and Experimental Tests. Procedia Eng. 2013, 52, 557–565. [Google Scholar] [CrossRef][Green Version]
- Liu, Y.; Li, B.; Wu, C.; Chen, B.; Zhou, T. Risk warning technology for the whole process of overhead transmission line trip caused by wildfire. Nat. Hazards 2021, 107, 195–212. [Google Scholar] [CrossRef]
- Chen, C.; Xu, T.; Cao, S.; Wang, X. Study on risk assessment of trans-regional transmission lines tripping dis-aster induced by wildfire. IOP Conf. Ser. Mater. Sci. Eng. 2018, 452, 032121. [Google Scholar] [CrossRef]
- Wu, C.; Zou, T.; Chen, B.-H.; Liang, P. Experimental Study on Burning Characteristics of the Large-Scale Transformer Oil Pool Fire with Different Extinguishing Methods. Fire Technol. 2020, 57, 461–481. [Google Scholar] [CrossRef]
- Duarte, D. A performance overview about fire risk management in the Brazilian hydroelectric generating plants and transmission network. J. Loss Prev. Process Ind. 2004, 17, 65–75. [Google Scholar] [CrossRef]
- Lu, J.; Liu, Y.; Wu, C.; Zhang, H.; Zhou, T. Study on satellite monitoring and alarm calculation algorithm of wild fire near transmission lines. Proc. CSEE 2015, 35, 5511–5519. [Google Scholar] [CrossRef]
- Cui, L.; Gorur, R.S.; Chipman, D. Evaluating flashover performance of insulators under fire fighting conditions. IEEE Trans. Dielectr. Electr. Insul. 2017, 24, 1051–1056. [Google Scholar] [CrossRef]
- Banik, A.; Dalai, S.; Chatterjee, B. Studies the Effect of Equivalent Salt Deposit Density on Leakage Current and Flashover Voltage of Artificially Contaminated Disc Insulators. IEEE Trans. Dielectr. Electr. Insul. 2012, 19, 1037–1043. [Google Scholar] [CrossRef]
- Zhang, J.; Zhang, B.; Xie, H.; Fan, M.; Wang, L. On Data Analysis in Forest Fire Induced Breakdown of the Transmission Line. Advances in Intelligent Systems and Computing. In Proceedings of the International Conference on Intelligent and Interactive Systems and Applications 2018, Hongkong, China, 29–30 June 2018. [Google Scholar] [CrossRef]
- Lee, J. Numerical Analysis of the Effects of Droplets Characteristics of Water Spray on Fire Suppression. Fire Sci. Eng. 2019, 33, 1–8. [Google Scholar] [CrossRef]
- Ministry of the Interior of The Slovak Republic Home Page. Presidium of the Fire and Rescue Service. Collection of Instructions of the President of the Fire and Rescue Service. About the Content and Procedure for Processing Documentation on Fighting Fires. Available online: https://www.minv.sk/?interne-predpisy-1 (accessed on 11 September 2023).
- Presidium of the Fire and Rescue Service Home Page. Order of the President of the Fire and Rescue Service. Tactical-Methodical Procedure for Carrying Out Interventions no. 22. Extinguishing Fires in Heavy Smoke. Available online: https://elearnhazz-sk.webnode.sk/subory-na-stiahnutie/metodicke-listy/ (accessed on 11 September 2023).
- Presidium of the Fire and Rescue Service Home Page. Tactical-Methodical Procedure for Carrying Out Interventions no. 23. Overpressure Ventilation in Fire Fighting. Available online: https://elearnhazz-sk.webnode.sk/subory-na-stiahnutie/metodicke-listy/ (accessed on 11 September 2023).
- Presidium of the Fire and Rescue Service Home Page. Order of the President of the Fire and Rescue Service. Tactical-Methodical Procedure for the Execution of Interventions no. 46. Energy Industry. Available online: https://elearnhazz-sk.webnode.sk/subory-na-stiahnutie/metodicke-listy/ (accessed on 11 September 2023).
- Presidium of the Fire and Rescue Service Home Page. Order of the President of the Fire and Rescue Service. Tactical-Methodical Procedure for Carrying Out Interventions no. 47. Energy Industry (Production Equipment). Available online: https://elearnhazz-sk.webnode.sk/subory-na-stiahnutie/metodicke-listy/ (accessed on 11 September 2023).











| Voltage (kV) | Simple (km) | Double (km) | Multi-System (km) | Completely (km) | Deployed Length (km) |
|---|---|---|---|---|---|
| 400 | 1373.533 | 472.858 | 18.678 | 1865.069 | 2356.604 |
| 220 | 409.686 | 140.188 | 0.000 | 549.874 | 690.062 |
| 110 | 0.254 | 21.096 | 18.678 | 40.028 | 79.802 |
| Overall | 1783.473 | 634.142 | 37.356 | 2454.971 | 3126.468 |
| Voltage (kV) | Simple (pcs) | Double (pcs) | Multi-System (pcs) | Completely (pcs) |
|---|---|---|---|---|
| 400 | 3958 | 1480 | 64 | 5502 |
| 220 | 1251 | 454 | 0 | 1705 |
| 110 | 1 | 81 | 0 | 82 |
| Overall | 5210 | 2015 | 64 | 7289 |
| Voltage (kV) | Number of Substations (pcs) | Number of Fields (pcs) |
|---|---|---|
| 400 | 20 | 147 |
| 220 | 5 | 31 |
| 110 | 1 | 24 |
| Overall | 26 | 202 |
| Equipment | Number of Members | Distance from the Fire Station (km) | Arrival Time (min) |
|---|---|---|---|
| Fire station Veľké Kapušany | 4 | 6 | |
| Mercedes Benz Vario | 1 + 3 | ||
| CAS 30 Iveco Trakker | 1 + 1 | ||
| Škoda Fabia | 1 + 2 | ||
| Fire station Michalovce | 34 | 46 | |
| Mercedes Benz Vario | 1 + 4 | ||
| Nissan Navara | 1 + 2 | ||
| AR 39 Mercedes—Benz Atego 1629 4 × 2 | 1 + 1 | ||
| Mercedes—Benz Actros KHA | 1 + 1 | ||
| Fire equipment Sobrance | 38 | 51 | |
| CAS 30 T 815-7 | 1 + 3 | ||
| Fire equipment VFB Čičarovce | 5 | 17 | |
| CAS Iveco Daily | 1 + 3 | ||
| Time | Situation on the Spot | Orders and Regulations | The Activity of Fire Brigades and Other Participating Units |
|---|---|---|---|
| 8:00 | The inception of a fire in a thyristor room obj. 201 | ||
| 8:01 | Free spread of fire | ||
| 8:03 | Free spread of fire | Gatehouse employee—reporting a fire to the IRS 112 line. | |
| 8:03 | Declaration of alarm by operational officer of RD FRS in Košice | The commander of the intervention requests the operation centre of RD FRS Košice for additional forces and resources | Departure of the Veľké Kapušany fire brigade to the place of the fire with equipment. Alarm announcement for units from DD FRS Michalovce and fire station Sobrance. |
| 8:09 | Free spread of fire, initial search | The intervention commander issues an instruction to conduct an initial search. With the help of responsible personnel, he ensures the evacuation of people. | Arrival of the fire brigade. Upon search, they find heavy smoke in the building. There are supposed to be three people in hall E. |
| 8:12 | Situation scouting | The intervention commander ordered a traffic and attack line to the building to locate the fire and search for people and their subsequent evacuation. | Establishment of intervention section no. 1 (commander of HS Veľké Kapušany team)—for evacuating people, searching for people and locating the fire in the thyristor plant. |
| 8:20 | Fumigation of the thyristor room, corridors and control room | Alarm announcement to VFB Čičarovce and the crew of emergency medical aid. Establishing a management staff in connection with an emergency. | |
| 8:25 | First person saved | The intervention commander reports the events to the management staff | Found an adult in the control room. The person is conscious—removing the person and providing pre-medical assistance. |
| 8:27 | Fire localisation | The intervention commander reports the events to the management staff | The first attack stream reports the location of the fire |
| 8:30 | Arrival of a unit from DD FRS Michalovce | The intervention commander will hand over command to the commander from the Michalovce fire brigade. The commander of the intervention orders to carry out the second attack stream, help in the first IS and evacuation of the person by high-altitude technique. | Establishment of intervention section No. 2, north side of hall E—to evacuate people. Assistance in intervention section no. 1.—ongoing search for additional persons. |
| 8:35 | Second person rescued | The intervention commander reports events to the incident management staff | An adult person was found unconscious, taken to a safe area using a stretcher and handed over to the care of paramedics. |
| 8:40 | Arrival of a unit from Sobrance | The commander of the intervention issues an order to cool the pipes of the gas coolers of the E and T hall | Establishment of intervention section no. 3 (commander of the Sobrance team)—for cooling the pipes of the gas coolers of the E and T hall |
| 8:42 | Fire suppression | The intervention commander reports events to the incident management staff | Firefighters on the attack streams report that the fire has been extinguished. |
| 8:47 | Ventilation of premises | The intervention commander orders the unit from Michalovce to create overpressure ventilation in IS no. 1. | The unit performs ventilation using an overpressure fan. |
| 8:50 | Arrival of the volunteer Čičarovce unit | The intervention commander orders assistance in the evacuation of employees and assistance to firefighting units in various operations. | The unit performs tasks on the instruction of the intervention commander. |
| 9:15 | Search and evacuation of all persons and final search | The intervention commander orders a final search to be carried out | The intervention commander performs with commander IS No. 1 a final search of the building object. |
| 9:28 | Termination of intervention | The intervention commander announces the end of the intervention | Completion of intervention and concentration of equipment at the specified location. |
Disclaimer/Publisher’s Note: The statements, opinions and data contained in all publications are solely those of the individual author(s) and contributor(s) and not of MDPI and/or the editor(s). MDPI and/or the editor(s) disclaim responsibility for any injury to people or property resulting from any ideas, methods, instructions or products referred to in the content. |
© 2023 by the authors. Licensee MDPI, Basel, Switzerland. This article is an open access article distributed under the terms and conditions of the Creative Commons Attribution (CC BY) license (https://creativecommons.org/licenses/by/4.0/).
Share and Cite
Betuš, M.; Konček, M.; Šofranko, M.; Čambal, J.; Ondov, M. Methods of Extinguishing Fires in Objects with High Voltage. Fire 2023, 6, 442. https://doi.org/10.3390/fire6110442
Betuš M, Konček M, Šofranko M, Čambal J, Ondov M. Methods of Extinguishing Fires in Objects with High Voltage. Fire. 2023; 6(11):442. https://doi.org/10.3390/fire6110442
Chicago/Turabian StyleBetuš, Miroslav, Martin Konček, Marian Šofranko, Jozef Čambal, and Marek Ondov. 2023. "Methods of Extinguishing Fires in Objects with High Voltage" Fire 6, no. 11: 442. https://doi.org/10.3390/fire6110442
APA StyleBetuš, M., Konček, M., Šofranko, M., Čambal, J., & Ondov, M. (2023). Methods of Extinguishing Fires in Objects with High Voltage. Fire, 6(11), 442. https://doi.org/10.3390/fire6110442

