Next Article in Journal
The Hypoglycemic Activity of Gracilaria lemaneiformis Polysaccharide Gels Based on IR/IRS-2/PI3k/Akt/Glut4 and Glycometabolism Signaling Pathways in HepG2 Cells
Next Article in Special Issue
A Poly(Acrylic Acid)-Based Hydrogel Crosslinked with Hydroxypropylcellulose as a Clarifying Agent in Nickel(II) Solutions
Previous Article in Journal
Development of Liposome-Based Hydrogel Patches Incorporating Essential Oils of African Plants and Deep Eutectic Solvents
Previous Article in Special Issue
Ibuprofen-Loaded, Nanocellulose-Based Buccal Films: The Development and Evaluation of Promising Drug Delivery Systems for Special Populations
 
 
Font Type:
Arial Georgia Verdana
Font Size:
Aa Aa Aa
Line Spacing:
Column Width:
Background:
Article

A Novel Green In Situ Amine-Functionalized Aerogel UiO-66-NH2/TOCNF for the Removal of Azo Anionic Dyes

1
Department of Sustainable Bioproducts, Mississippi State University, P.O. Box 9820, Mississippi State, MS 39762, USA
2
Department of Chemistry, Faculty of Science, Damietta University, New Damietta 34517, Egypt
3
USDA Forest Service, Forest Products Laboratory, Madison, WI 53726, USA
4
School of Sciences, University of Louisiana at Monroe, Monroe, LA 71209, USA
*
Author to whom correspondence should be addressed.
Gels 2025, 11(5), 365; https://doi.org/10.3390/gels11050365
Submission received: 17 April 2025 / Revised: 8 May 2025 / Accepted: 9 May 2025 / Published: 15 May 2025
(This article belongs to the Special Issue Cellulose-Based Gels: Synthesis, Properties, and Applications)

Abstract

UiO-66-NH2 is a metal–organic framework (MOF) with open metal sites, making it a promising candidate for adsorption and catalysis. However, the powdery texture of MOFs and the use of toxic solvents during synthesis limit their application. A novel solution to this issue is to create a layered porous composite by encasing the MOF within a flexible and structurally robust aerogel substrate using safe, eco-friendly, and green solvents such as ethanol. The fibrous MOF aerogels, characterized by a desirable macroscopic shape of cylindrical block and hierarchical porosity, were synthesized by two approaches: in situ growth of amine-functionalized UiO-66-NH2 crystals on a TEMPO-oxidized cellulose nanofiber (TOCNF) and ex situ crosslinking of UiO-66-NH2 crystals onto a TOCNF network to form UiO-66-NH2/TOCNF. The incorporation of MOF into the cellulose nanofibrils via the in situ method reduces their aggregation potential, alters the nucleation/growth balance to produce smaller MOF crystals, and enhances mechanical flexibility, as evidenced by SEM images. The three adsorbents, including UiO-66-NH2, ex situ UiO-66-NH2/TOCNF, and in situ UiO-66-NH2/TOCNF, were synthesized and used in this study. The effects of pH, time, temperature, and initial concentration were studied. A maximum adsorption capacity (Qmax) of 549.45 mg/g for Congo Red (CR) and 171.23 mg/g for Orange II (ORII) was observed at pH 6, using 10 mg of in situ UiO-66-NH2/TOCNF at 40 °C with a contact time of 75 min for CR and 2 h for ORII. The adsorption of both dyes primarily occurs through monolayer chemisorption on the in situ UiO-66-NH2/TOCNF. The main removal mechanisms were hydrogen bonding and surface complexation. The noteworthy adsorption capacity of in situ UiO-66-NH2/TOCNF coupled with environment-friendly fabrication techniques indicates its potential applications on a large scale in real wastewater systems.

1. Introduction

The development during the industrial era has accelerated water contamination with pharmaceuticals, heavy metals, and synthetic dyes [1]. Among them, azo anionic dyes, characterized by one or more azo (-N=N-) bonds, cause significant environmental and health hazards due to their high water solubility, chemical stability, and potential carcinogenicity [2]. Approximately 17% to 20% of global water contamination originates from colored wastewater [3]. Congo Red is an azo dye that is classified as cytotoxic and banned in most countries but still used by histologists to identify amyloid. It has toxic, carcinogenic, and mutagenic effects on living organisms. Orange II is an azo dye used in the printing and clothing industry that can harm the brain, kidneys, and liver. It cannot be removed from water by UV, acid–base, or biological treatments.
Photocatalytic degradation, chemical precipitation, ion exchange, adsorption, oxidation, membrane separation, and various other methods have been widely employed to remove dyes from wastewater [4]. These techniques are costly, have high waste byproduct generation, and are ineffective for industrial wastewater due to its complex chemistry. The adsorption is a cost-effective, simple, and safer technique for industrial wastewater treatment [5]. Various adsorbent materials are used for water treatment, including carbon-based adsorbents, biosorbents, and minerals. However, they have poor regeneration potential and efficiency, which makes their use ineffective and expensive. The biosorbents are mechanically unstable and have fouling characteristics, which make them ineffective for water treatment. The highly effective adsorption of dyes relies on the availability of large specific surface areas and higher porosity of the material [6]. Metal–organic frameworks (MOFs) have the potential to revolutionize various fields, such as gas adsorption, capacitors, and sensors, due to their excellent specific surface area and pore volume compared to other porous materials like metal oxides, silica, and mesoporous materials [7,8].
The MOF UiO-66-NH2, a zirconium-based porous crystalline material, is less expensive than other MOFs due to its simple fabrication process and the availability of precursors such as zirconium and ammonia [9]. Compared to the solvo-thermal method, aqueous solution-based MOFs are also environmentally friendly, reducing the overall carbon footprint by 91% and the fabrication cost of UiO-66-NH2 by 84% [10]. Although MOFs are widely used in wastewater treatment, they have limitations due to their nano-powder nature and complex structure, which can lead to fouling and loss during reuse and recycling, ultimately reducing recyclability [4]. Supporting MOFs on a suitable substrate appears to be an effective way to enhance their performance and recyclability [11]. Biodegradable materials such as aerogels, cellulose, hydrogels, and membranes are now regarded as outstanding support materials for MOFs [12,13]. MOFs such as UiO-66 have received attention for their large surface area, variable pore size, and exceptional chemical stability [14]. Cellulose-based nanomaterials, particularly 2,2,6,6-tetramethylpiperidine-1-oxyl radical (TEMPO)-oxidized cellulose nanofibers (TOCNF), have emerged as environmentally friendly, biodegradable, and structurally robust platforms for aerogel fabrication [15]. These CNFs exhibit excellent mechanical properties, a high aspect ratio (200–500), and a narrow width (3–5 nm) [16,17]. Due to the abundance of carboxylate groups (-COO-) on TOCNF surfaces, they can readily cross-link with functional groups on MOFs [18]. Thus, there is potential to create highly effective adsorption materials via the combination of UiO-66 MOF and TOCNF.
The concept of organometallic catalysts supported on organic materials has been explored previously. Zhu et al. incorporated ZIF-8 crystals into TEMPO-oxidized cellulose nanofibrils to produce shapeable and flexible aerogels, which exhibited a high adsorption capacity for various dyes, including rhodamine B (Qmax = 81 mg/g), methyl blue (qe = 13 mg/g), methyl orange (qe = 4 mg/g), methyl violet (qe = 27 mg/g), and methylene blue (qe = 24 mg/g) [19]. A well-dispersed mixed matrix membrane was developed by incorporating wet UiO-66-NH2 into a poly(vinylidene fluoride) (PVDF) matrix for the removal of Rhodamine B (RhB) and Congo Red (CR) from aqueous solutions, achieving maximum adsorption capacities of 25.29 mg/g and 16.50 mg/g, respectively [20]. Wang et al. prepared composite UiO-66/nanocellulose aerogels with hierarchical porosity and low density using a self-crosslinking method, successfully achieving adsorption of both anionic methyl orange (MO, qmax = 71.7 mg/g) and cationic methylene blue (MB, qmax = 51.8 mg/g) [21]. UiO-66 and UiO-66-NH2 MOFs were prepared for methylene blue (MB) adsorption and methyl orange (MO). The highest adsorption capacities were 90.88 mg/g and 96.45 mg/g for MB and 39.42 mg/g and 28.97 mg/g for MO, respectively [22]. UiO-66-NH2@HTC composites were synthesized by incorporating hydrothermal carbon (HTC) into the UiO-66-NH2 framework for the adsorption of methylene blue (MB) and Congo red (CR), achieving maximum adsorption capacities of 263.1 mg/g and 277.77 mg/g, respectively [23].
The synthetic materials and solvents typically used in MOF synthesis pose various environmental issues. The toxic solvents specifically used in solvothermal MOF synthesis techniques include N,N-dimethylformamide (DMF), dimethylacetamide (DMA), tetrahydrofuran (THF), and dichloromethane (DCM), among others [24,25,26]. The world seeks environmentally friendly systems; therefore, selecting a green synthesis method to fabricate MOF is crucial [27]. Ethanol is an environmentally friendly, renewable, and relatively nontoxic alternative to toxic solvents, and it readily dissolves metal salts and organic linkers [28,29,30]. It is produced through the fermentation of plant materials and can be metabolized by the human body [31,32]. Additionally, the 5-aminoisophthalic acid is a safer alternative compared to other ligands [33,34]. From a commercial perspective, the processes and materials involved in MOF synthesis should be inexpensive, environmentally friendly, recyclable, consume less energy, and produce minimal waste.
Herein, we investigate a novel in situ and ex situ UiO-66-NH2/TOCNF fabricated in ethanol as a green solvent and tested for the removal of two anionic azo dyes, Orange II (ORII) and Congo Red (CR), from synthetic wastewater. The effects of pH, time, and initial concentration were also examined. Thermodynamic and regeneration studies were conducted to evaluate the stability and adsorption potential of the adsorbate under different conditions.

2. Results and Discussion

2.1. Characterization of UiO-66-NH2/TOCNF Adsorbents

Adsorbents were fabricated from UiO-66-NH2 and in situ UiO-66-NH2/TOCNF, where the MOF was formed on aqueously dispersed TOCNF; then, an aerogel was produced. Additionally, ex situ UiO-66-NH2/TOCNF involved adding preformed UiO-66-NH2 to aqueously dispersed TOCNF, which was then formed into an aerogel. The morphologies of UiO-66-NH2, ex situ UiO-66-NH2/TOCNF, and in situ UiO-66-NH2/TOCNF were imaged with SEM, Figure 1. The UiO-66-NH2 (Figure 1a) resembles a cluster of amorphous MOFs due to the absence of a general long-range order. The micrograph of in situ UiO-66-NH2/TOCNF adsorbent (Figure 1b) reveals that the UiO-66-NH2 particles are uniformly distributed throughout the aerogel, leading to possible structural durability and strong interfacial associations. The distribution and connectivity of particles indicate rapid nucleation and generation of UiO-66-NH2 on TOCNF. The ex situ aerogel (Figure 1c) exhibited MOF agglomeration and weak interfacial connectivity as evidenced by delocalization of MOF clusters from the TOCNF. The in situ growth of MOF is more suitable due to enhanced dispersal and connection throughout the structure of the aerogel [35,36]. The growth of MOFs can be observed both on and within the in situ UiO-66-NH2/TOCNF surface (Figure 1b). The MOFs can only be observed on the exterior surface of ex situ UiO-66-NH2/TOCNF, which exhibited lower adsorption in initial trials (42.9% for CR and 29.8% for ORII) compared to in situ UiO-66-NH2/TOCNF (96.8% for CR and 85.3% for ORII) as shown in Figure 2. The low adsorption capacity of the ex situ UiO-66-NH2/TOCNF may be attributed to the presence of MOF just on the surface (Figure 1c). The SEM images of in situ UiO-66-NH2/TOCNF after CR and ORII adsorption (Figure 1d and e, respectively) clearly show a rougher surface. The surface of the in situ UiO-66-NH2/TOCNF remains stable after adsorption, and the dye particles are successfully captured by the in situ UiO-66-NH2/TOCNF.
The XRD of in situ UiO-66-NH2/TOCNF exhibits prominent peaks, indicating a crystalline structure with high intensity, which suggests a high degree of crystallinity (Figure 3). The reduced peak intensities and broadened peaks of in situ UiO-66-NH2/TOCNF compared to UiO-66-NH2 may be attributed to its linkage with a TEMPO-CNF [37]. The two broad diffraction peaks at 2θ of 15.7 and 22.3°, which are attributed to the cellulose I crystalline structure; TEMPO oxidation treatment does not influence the crystalline structure of cellulose [16,38]. The peak structure of ORII-adsorbed in situ UiO-66-NH2/TOCNF resembles that of the original in situ UiO-66-NH2/TOCNF, indicating minimal structural alteration and suggesting robust reusability potential [39].
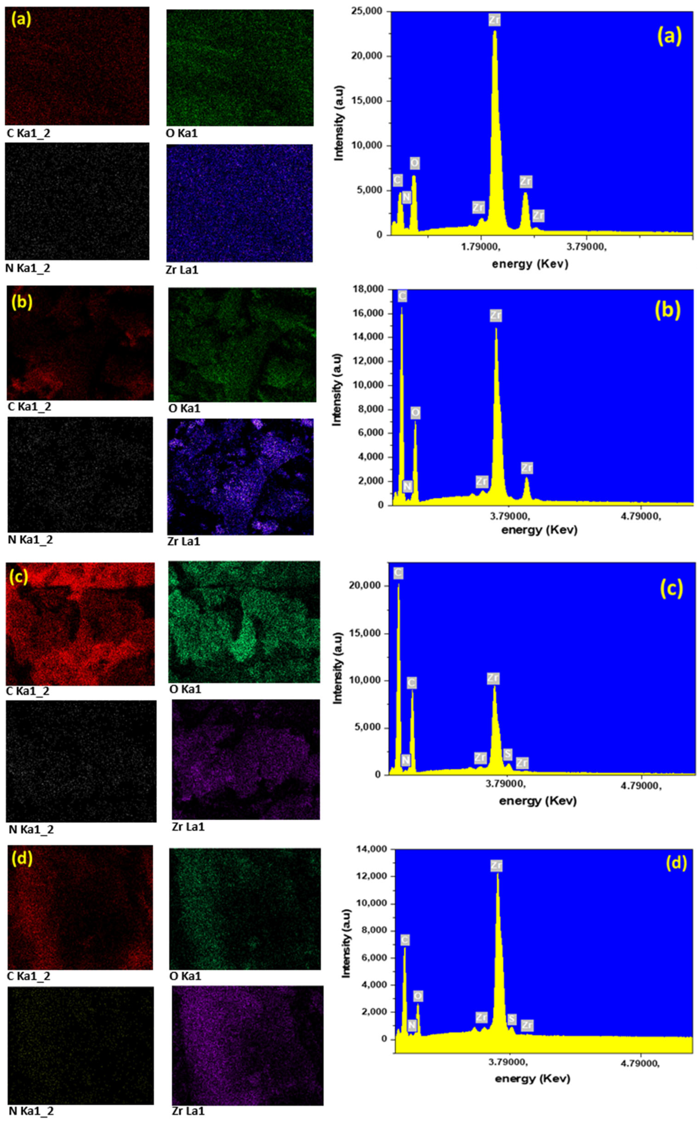
We have employed SEM to examine the morphology of UiO-66-NH2, in situ UiO-66-NH2/TOCNF, ex situ UiO-66-NH2/TOCNF, as well as in situ UiO-66-NH2/TOCNF after dye adsorption, Figure 1. Conducting scanning energy dispersive spectroscopy (EDS) within the SEM allows the collection of X-ray emission spectra and atomic composition maps. X-ray emission spectra on the right side of Figure 4a–d show the presence of Zr, C, O, and N in all adsorbents. The presence of nitrogen confirms the presence of amine groups of the organic linker inside the MOF (Figure 4a,b). The presence of sulfur in Figure 4c,d indicates the presence of the sulfonic group of both dyes after adsorption. The peak of Zr after adsorption is slightly reduced (Figure 4c,d) but not eliminated, demonstrating the stability of MOFs after adsorption.
The specific surface areas of UiO-66-NH2, in situ UiO-66-NH2/TOCNF, and ex situ UiO-66-NH2/TOCNF are 60.417, 145.670, and 26.701 m2/g, respectively (Table 1). The high surface area of in situ UiO-66-NH2/TOCNF, compared to UiO-66-NH2 and ex situ UiO-66-NH2/TOCNF, may be attributed to the growth of MOFs within the aerogel during the in situ synthesis, which prevents agglomeration. The low surface area and adsorption capacity of ex situ UiO-66-NH2/TOCNF appear to be correlated for both dyes. The low surface area may result from the lack of impregnation into and agglomeration on the already prepared MOFs on the surface of the nanocellulose aerogel during the ex situ fabrication [19].
FTIR analysis has been conducted to investigate the successful modification and adsorption of dyes (Figure 5). The peak observed at 1710 cm−1 indicates the stretching vibrations of the carbonyl group in the carboxylate (–COOH) moieties present in UiO-66-NH2 and in situ UiO-66-NH2/TOCNF [22,40]. The asymmetric stretching vibration detected at 1445 cm−1 is attributed to the O=C=O group, while the peak at 1160 cm−1 corresponds to the symmetric bending vibration of the O–C–O group [22,41]. The vibration peak at 1000 cm−1 that is present in in-situ UiO-66-NH2/TOCNF suggests hydrogen bond association between the -NH2 group of UiO-66-NH2 and the -OH or -COOH groups of CNF-COOH [42]. The vibration peaks observed at 1558, 1445, and 1237 cm−1 are attributed to C=O, C–N, and C–O functional groups, respectively [22]. The broad vibrational peak observed at 3346 cm−1 in UiO-66-NH2, in situ UiO-66-NH2/TOCNF before and after dye removal, and ex situ UiO-66-NH2/TOCNF MOFs indicates the stretching vibrations of the amino group and hydroxyl groups [43]. The stretching vibration peaks located at 650 and 456 cm−1 correspond to Zr–O and Zr6O4 clusters, respectively, as observed in all spectra [44]. The S=O is responsible for vibration peaks between 1059 and 1172 cm−1 in in situ UiO-66-NH2/TOCNF after the removal of ORII and CR [45].
TGA analysis was conducted to assess the decomposition behavior and stability of adsorbents (Figure 6). Three significant weight losses are observed in all samples. The first significant weight loss occurs around 100 °C, which can be attributed to the loss of water molecules [46]. Significant thermal degradation occurred between 200 and 350 °C in the second stage, resulting in the breaking of glycosidic linkages in the nano-cellulose via deamination, dehydration, and rearrangement, and a breakdown of UiO-66-NH2 crystalline framework [47,48]. The ex situ UiO-66-NH2/TOCNF exhibited distinct weight loss from 250 to 600 °C in a similar fashion to TOCNF alone. This significant weight loss suggests a weaker interaction between UiO-66-NH2 and TOCNF at the molecular level. The third weight loss in MOF, occurring around 203 °C, can be attributed to the decomposition of the material. The marked difference in thermal degradation behavior between the in situ and ex situ fabrication methods may indicate that an intimately mixed MOF–TOCNF composite structure was formed by the in situ process.

2.2. Adsorption Studies

2.2.1. Effect of pH

A crucial aspect of the adsorption process is the solution’s pH. The pH significantly influences chemisorption, which in turn affects the surface charge of both the adsorbent and the adsorbate. Looking at the adsorption capacity as a function of pH, the maximum adsorption of 198.87 mg/g and 198.77 mg/g is observed for the in situ adsorbent at pH 2 for CR and ORII dyes, respectively (Figure 7a). Here, we focus our discussion on the in situ adsorbent due to its significantly higher capacity. The adsorption capacity for both dyes begins to decrease at a pH of 5, which is consistent with the PZC of in situ UiO-66-NH2/TOCNF detected at pH = 4.8 (Figure 7c). Therefore, at pH values above 4.8, the surface of in situ UiO-66-NH2/TOCNF becomes negatively charged, which leads to a decrease in the adsorption of both anionic dyes due to electrostatic repulsion. From pH 6 to pH 12, the adsorption capacity of CR and ORII fell from 198.554 to 84.247 mg/g and from 193.6 to 59.68 mg/g, respectively (Figure 7a). The reduction in dye adsorption from 98% to 39.0% and 34.0% for CR and ORII, respectively, may be due to an increase in the concentration of OH species, which compete with anionic dyes for adsorption sites [49,50]. The sulfonated groups of the dye molecules in solution dissociate when the pH increases, generating anions in the solution. This aqueous solution exhibits a strong affinity for the protonated adsorbent, thereby enhancing the adsorption of both dyes.

2.2.2. Adsorption Kinetics

The maximum adsorption percentages of 98.7% and 97.7% are exhibited by in situ UiO-66-NH2/TOCNF for CR and ORII, respectively. Besides providing mechanical versatility and additional porosity for the resulting MOF aerogels, the nanofibrous substrate also altered the relative nucleation and growth, producing smaller MOF crystals, thereby further reducing the likelihood of their aggregation [19]. Adsorption kinetics behavior offers valuable insights into the adsorption mechanisms and rate-limiting steps, including mass transport processes, chemical reactions, and diffusion [51]. The R2 value of the pseudo-second order model for both ORII and CR is greater than that of the pseudo-first order model, indicating that the data for both dyes fit the pseudo-second order model well, Table 2. The pseudo-second-order linear model is the best fit for the ORII and CR data. The functional groups of the adsorbate and adsorbents played a role in the rate-determining step of chemisorption [52]. The Qmax values for ORII and CR are 171.23 mg/g and 549.45 mg/g, respectively (Figure 8a–f, Table 2). A more precise description of the cellulose aerogel’s adsorption behavior is assumed to be achievable using the Pseudo-second order kinetic model, which suggests that chemisorption is likely the primary mechanism for both dyes, involving initial rapid diffusion into pores followed by the occupation of adsorption sites in a step-by-step fashion [53].

2.2.3. Adsorption Isotherms

The adsorption data for both ORII and CR fit well with the Langmuir model, indicating that both were uniformly adsorbed onto the surface of the cellulose aerogel in a single molecular layer [54] (Figure 9). The adsorption of ORII and CR was observed to decrease with increasing initial dye concentrations. The Qmax for CR and ORII increases from 375.93 to 549.45 and from 129.87 to 171.23, respectively, as the temperature increases from 15 to 40 °C (Table 3). The significant interactions between the dye molecules and the available unoccupied active sites facilitated higher adsorption percentages at lower dye concentrations. The loading of the active sites and the repellent effect between the dye molecules and the overloaded active sites may explain why the removal percentage decreases with higher concentrations [3].

2.2.4. Adsorption Thermodynamics

The energetic and order driving forces behind adsorption behavior were investigated via thermodynamic studies at different temperatures (15, 25, and 40). The alterations in enthalpy (ΔH°), free energy (ΔG°), and entropy (ΔS°) were calculated and observed using the van’t Hoff equation (Table 4). An increased trend in the adsorption capacity of in situ UiO-66-NH2/TOCNF for both CR and ORII is noted with rising temperatures (Figure 10). The negative value of ΔG indicates that the adsorption reaction is spontaneous [55]. The absolute value of ΔG increases with increasing temperature, confirming that the driving force of the adsorption process is enhanced at higher temperatures, thereby facilitating adsorption. If the ΔS° value is positive, it indicates that the process is feasible since there is more variability in the adsorption reaction [56]. The adsorption process of CR and ORII using in situ UiO-66-NH2/TOCNF was endothermic, as shown by the positive ΔH° [57].

2.2.5. Adsorption Mechanism

The presence of functional groups such as carboxyl and hydroxyl in TOCNF facilitates interactions with the amine groups and positively charged metal sites in UiO-66-NH2, resulting in strong MOF–fiber interactions and the formation of UiO-66-NH2/TOCNF composite structures. As shown in Figure 11, these interactions include hydrogen bonding between the hydroxyl and carboxyl groups in TOCNF and the primary amine and carboxyl groups in UiO-66-NH2, as well as coordination bonds between the carboxylate anions in TOCNF and the zirconium metal centers in UiO-66-NH2 [19]. The proposed adsorption mechanism of both dyes on the surface of the UiO-66-NH2/TOCNF aerogel is governed by three main interactions: (1) electrostatic attraction (E), where ammonium ions (–NH3⁺) on the adsorbent surface interact with the anionic sulfonic groups (–SO3) of the dye molecules [58], along with the surface complexation between the Zr4⁺ nodes of UiO-66-NH2 and the –SO3 functional groups of the dyes, leads to the formation of Zr–O–S bonds in both ORII and CR [59]; (2) hydrogen bonding, which occurs between the amine groups in CR, the hydroxyl groups of ORII and the hydroxyl, amine, and carboxyl groups present in UiO-66-NH2/TOCNF [60]; and (3) Van der Waals forces, including π–π stacking interactions between the aromatic rings of the dye molecules and the aromatic framework of the UiO-66-NH2/TOCNF aerogel [61].

2.2.6. Regeneration Study

The recycling and durability of adsorbents are crucial in real-world applications. Cellulose serves as a substrate for the growth of MOFs, enhancing their ability to absorb external stress effectively. The primary principle behind creating MOF and nanocellulose composites is to increase stability [18]. The SEM images revealed that even after CR and ORII have been adsorbed onto the surface of in situ UiO-66-NH2/TOCNF, the surface retains its initial form with minimal change, demonstrating excellent stability. We looked at the recyclability of the in situ adsorbent by comparing the total amount of dyes adsorbed after successive adsorption and extraction, via sodium hydroxide, cycles. The removal percentages of in situ UiO-66-NH2/TOCNF for CR and ORII remain at 70.84% and 57.33%, respectively, after four regeneration cycles, illustrating its effective recyclability (Figure 12). Overall, in situ UiO-66-NH2/TOCNF exhibited a comparatively higher maximum adsorption capacity than other adsorbents previously reported in the literature, as shown in Table 5. Although UiO-66-NH2, synthesized via the solvo-thermal method, resulted in comparatively higher maximum adsorption, it is a less environmentally compatible process and is prone to low robustness due to the lack of a matrix to support the particulate MOF.
Figure 11. Schematic illustration of interactions between TOCNF and UiO-66-NH2 and adsorption interactions between dyes and UiO-66-NH2/TOCNF aerogel.
Figure 11. Schematic illustration of interactions between TOCNF and UiO-66-NH2 and adsorption interactions between dyes and UiO-66-NH2/TOCNF aerogel.
Gels 11 00365 g011

3. Conclusions

In this study, we synthesized UiO-66-NH2, as well as stable and structured in situ UiO-66-NH2/TOCNF and ex situ UiO-66-NH2/TOCNF, using a TEMPO-oxidized cellulose nanofiber substrate for the removal of two azo dyes, CR and ORII. The in situ UiO-66-NH2/TOCNF exhibited the highest specific surface area and maximum adsorption capacity compared to the other two adsorbents, likely due to the uniform distribution of UiO-66-NH2 within the TOCNF matrix, which enhanced interface interactions, reduced the aggregation of MOFs, and provided a greater number of active sites for dye adsorption. The SEM imaging showed the growth of in situ UiO-66-NH2/TOCNF on the TEMPO-oxidized cellulose nanofiber substrate. Both CR and ORII demonstrated the highest adsorption capacities of 549.4 and 171.2 mg/g, respectively, at pH 2. The adsorption data fit a second-order and a Langmuir isotherm model, indicating that adsorption occurs via a chemisorption mechanism on a monolayer of the system.

4. Materials and Methods

4.1. Materials

Congo Red (CR, Sigma Aldrich, CAS-No. 573-58-0, empirical formula: C32H22N6Na2O6S2, MW: 696.66) was obtained from Sigma Aldrich (St. Louis, MO, USA). Orange II (ORII, Thermo Fisher Scientific, CAS 63396-5, empirical formula: C16H11N2NaO4S, MW: 350.324) was obtained from Thermo Fischer Scientific (Waltham, MA, USA). TEMPO-oxidized cellulose nanofiber suspension was obtained from the University of Maine. The TEMPO-oxidized cellulose nanofiber suspension was washed several times to remove the sodium salt. Ethanol > 99% pure, Zirconium (IV) chloride and 5-Aminoisophthalic acid (AIPA), and Epichlorohydrin (EPH), 99% were purchased from Thermo Fischer Scientific (Waltham, MA, USA). Deionized water of 17.8 megaohm was used for all experiments.

4.2. Preparation of UiO-66-NH2 and In Situ UiO-66-NH2/TOCNF

The UiO-66-NH2 was prepared by dissolving 1.17 g of ZrCl4 and 0.91 g of AIPA in 80 mL of ethanol. The mixture was transferred to an autoclave reactor and heated for 24 h at 120 °C. Afterward, the mixture was centrifuged, washed, and oven-dried for further use. The UiO-66-NH2/TOCNF composite aerogel was fabricated using in situ and ex situ techniques. For in situ UiO-66-NH2/TOCNF preparation, 1.17 g of ZrCl4 and 0.91 g of AIPA were dissolved in 140 mL of ethanol, followed by the addition of 30 mL of 3% TOCNF. The mixture was sonicated for 30 min, then transferred into an autoclave reactor and heated for 24 h at 120 °C. Subsequently, the mixture was centrifuged, washed, oven-dried, and freeze-dried for 3 days. In ex situ UiO-66-NH2/TOCNF preparations, 0.3 g of UiO-66-NH2 and 0.176 g of TOCNF aerogel were added to water until a good dispersion of the aerogel formed, followed by the addition of 7.8 mL of EPH. The mixture was then refluxed at 80 °C for 24 h. Finally, the mixture was centrifuged, washed, and freeze-dried for 3 days.

4.3. Aerogel Characterization

The physicochemical properties of in situ UiO-66-NH2/TOCNF, ex situ UiO-66-NH2/TOCNF, and UiO-66-NH2 were investigated through various means. The surface morphology was examined using FE-SEM (JEOL JSM-6500F, Tokyo, Japan) operating at 5 kV and equipped with energy dispersive X-ray (EDX) analysis. A thermal study (TGA-DTG) was conducted with the thermogravimetric analyzer (SDT Q600 series, TA instrument, New Castle, DE, USA). The surface area and pore volume of in situ UiO-66-NH2/TOCNF, ex situ UiO-66-NH2/TOCNF, and UiO-66-NH2 were measured using the Quantachrome Autosorb iQ gas sorption analyzer (Quantachrome ASIC05005, West Palm Beach, FL, USA). ATR-FTIR spectroscopy (Thermo Scientific Nicolet IS50 FTIR spectrometer, Ramsey, MN, USA) was performed at room temperature over the range of 400–4000 cm−1 to determine the functional groups in the different adsorbents.

4.4. Point of Zero Charge (PZC)

The pH drift technique was used to measure the PZC of in situ UiO-66-NH2/TOCNF. A series of 0.01 M NaCl solutions with varying pH values of 2, 4, 6, 10, and 12 was prepared using NaOH and HCl. N2 gas was utilized to eliminate dissolved CO2 from the NaCl solutions before adding in situ UiO-66-NH2/TOCNF. A 20 mg sample of in situ UiO-66-NH2/TOCNF was added to 20 mL of 0.01 M NaCl solution and placed on a stirrer for 24 h at 250 rpm. The solutions were filtered, and the final pH was measured after 24 h. The initial and final pH of the solutions were plotted in a graph to evaluate the PZC.

4.5. Adsorption Experiment

4.5.1. pH Influence

The influence of pH on the adsorption capability of in situ UiO-66-NH2/TOCNF for removing CR and ORII (200 ppm) was examined by preparing a 10 mL solution at different pH ranges from 2 to 12. A 10 mg of in situ UiO-66-NH2/TOCNF was added to each vial and agitated for 75 min for CR and 2 h for ORII. After shaking, the samples were filtered using a 0.22 µm syringe filter.

4.5.2. Adsorption Kinetics

The adsorption potential of all adsorbents (in situ UiO-66-NH2/TOCNF, ex situ UiO-66-NH2/TOCNF, and UiO-66-NH2) was initially studied using 10 mg of each adsorbent in 10 mL of CR and ORII (200 ppm) at pH 6 and 25 °C to optimize the adsorbent performance. The effect of different contact times was measured for the removal of CR and ORII using in situ UiO-66-NH2/TOCNF. In total, 10 mg of in situ UiO-66-NH2/TOCNF was added to 10 mL of CR and ORII solutions at concentrations of 100, 150, and 200 ppm. The experiments were conducted at pH 6, a temperature of 25 °C, and an agitation speed of 250 rpm, with contact times ranging from 1 to 300 min. After specific time intervals, the samples were removed from the shaker and filtered using a 0.22 µm syringe filter. The CR and ORII concentrations were measured before and after the adsorption experiment using a UV–Vis spectrophotometer (Azzota SM1800PC, Claymont, DE, USA) at wavelengths of 565 nm for CR and 365 nm for ORII. The removal efficiency and adsorption capacity of both dyes were calculated using the following formulas:
%   removal = C 0 C e C 0 × 100
qt = C 0 C t V m
The initial concentration is C0 (mg/L), the dye concentration at time t is represented by Ct (mg/L), V is the volume (L), and the adsorbent mass is expressed by m (g).

4.5.3. Adsorption Isotherms

The adsorption capacity of in situ UiO-66-NH2/TOCNF for removing CR and ORII at different concentrations and varying temperatures was studied. In total, 10 mg of in situ UiO-66-NH2/TOCNF was added to 10 mL of CR and ORII solutions with concentrations ranging from 20 to 200 ppm and a pH of 6. The samples were placed on a shaker at three different intervals, with temperatures of 15, 25, and 40 °C. At the end, the samples were filtered using a 0.22 µm syringe filter, and the remaining concentrations of both dyes were analyzed using UV/Vis spectrophotometry. The final values were evaluated by fitting the data into Langmuir and Freundlich isotherms. The equations for both adsorption isotherms and adsorption kinetics are presented in Table 6.
C e (mg/L) is the dye concentration at equilibrium, q e (mg/g) is the equilibrium adsorption capacity, k 1 (min−1) is the Langmuir adsorption constant related to adsorption energy, and k 2 (g/(mg min)) is the rate constant of pseudo-second order adsorption, q m a x (mg/g) is the maximum adsorption capacity, q t (mg/g) is the adsorption capacity at time t, k1 (min−1) is the rate constant of pseudo-first order adsorption, and k f and n are the Freundlich adsorption constants signifying the capacity and intensity of the adsorption, respectively.

4.5.4. Adsorption Thermodynamics

The influence of temperature on the internal energy of the in situ UiO-66-NH2/TOCNF was studied. A 10 mg sample of in situ UiO-66-NH2/TOCNF was added to 10 mL of CR and ORII (200 ppm) solutions at pH 6 and placed on a shaker at three different temperatures (15, 25, and 40 °C). The concentration of dye filtrate was measured using UV/Vis spectrophotometry. The obtained values were analyzed using van’t Hoff equations to determine the changes in adsorption-related thermodynamic parameters.
Δ G = RTlnK eq
lnK eq = Δ S R Δ H RT
K eq = q e C e  
In these equations, R is the gas constant (8.314 J K−1), ΔH is the change in enthalpy (KJ·mol−1), ΔG is the standard free energy change (kJ·mol−1), ΔS is the change in entropy (J·mol−1 K−1), and Keq is the equilibrium constant, heat capacity, and distribution coefficient, respectively.

4.6. Reusability Study

The recyclability of in situ UiO-66-NH2/TOCNF for the adsorption of CR and ORII was studied over four cycles. A total of 10 mg of in situ UiO-66-NH2/TOCNF was added to 10 mL of 200 ppm CR and ORII solutions at pH 6 and a temperature of 25 °C, then placed on a shaker for 75 min and 2 h, respectively. After each adsorption cycle, the used in situ UiO-66-NH2/TOCNF was immersed in 10 mL of 0.1 M NaOH solution and agitated for 4 h at 250 rpm. After filtering, the adsorbent was washed 2 to 3 times before the next cycle to neutralize it and was then dried.

Author Contributions

Conceptualization, R.A., I.E. and E.B.H.; Funding acquisition, G.T.S. and E.B.H.; Methodology, R.A., I.E. and E.B.H.; Supervision, E.B.H.; Writing—original draft, R.A.; Writing—review and editing, I.E., Y.K., G.T.S., E.M.E.-G. and E.B.H. All authors have read and agreed to the published version of the manuscript.

Funding

This publication is supported by the McIntire-Stennis project under accession number 70011735. This research was also conducted in cooperation with the USDA Forest Service.

Institutional Review Board Statement

Not applicable.

Informed Consent Statement

Not applicable.

Data Availability Statement

Data are contained within the article.

Acknowledgments

This manuscript is publication #SB1163 of the Sustainable Bioproducts, Mississippi State University. This publication is also a contribution of the Forest and Wildlife Research Center, Mississippi State.

Conflicts of Interest

The authors declare no conflicts of interest.

References

  1. Crini, G.; Lichtfouse, E. Advantages and disadvantages of techniques used for wastewater treatment. Environ. Chem. Lett. 2019, 17, 145–155. [Google Scholar] [CrossRef]
  2. Bafana, A.; Devi, S.S.; Chakrabarti, T. Azo dyes: Past, present and the future. Environ. Rev. 2011, 19, 350–371. [Google Scholar] [CrossRef]
  3. Mosaffa, E.; Patel, D.; Ramsheh, N.A.; Patel, R.I.; Banerjee, A.; Ghafuri, H. Bacterial cellulose microfiber reinforced hollow chitosan beads decorated with cross-linked melamine plates for the removal of the Congo red. Int. J. Biol. Macromol. 2024, 254, 127794. [Google Scholar] [CrossRef]
  4. Wang, P.; Tan, L.; Yuan, G.; Feng, S.; Tang, H.; Wang, G.; Wang, C. ZIF-8 modified polyvinyl alcohol/chitosan composite aerogel for efficient removal of Congo red. J. Solid State Chem. 2022, 316, 123628. [Google Scholar] [CrossRef]
  5. Amen, R.; Elsayed, I.; Barbary Hassan, E. Sustainable and economical dolomite-modified biochar for efficient removal of anionic dyes. Arab. J. Chem. 2023, 16, 105125. [Google Scholar] [CrossRef]
  6. Cheng, P.; Kim, M.; Lim, H.; Lin, J.; Torad, N.L.; Zhang, X.; Hossain, M.S.A.; Wu, C.-W.; Wang, C.; Na, J.; et al. A General Approach to Shaped MOF-Containing Aerogels toward Practical Water Treatment Application. Adv. Sustain. Syst. 2020, 4, 2000060. [Google Scholar] [CrossRef]
  7. Feng, C.; Lv, C.-P.; Li, Z.-Q.; Zhao, H.; Huang, H.-H. A porous 2D Ni-MOF material with a high supercapacitive performance. J. Solid State Chem. 2018, 265, 244–247. [Google Scholar] [CrossRef]
  8. Wu, W.-P.; Wu, J.; Liu, J.-Q.; Trivedi, M.; Kumar, A. Fabrication of a new metal–organic framework for sensitive sensing of nitroaromatics and efficient dye adsorption. RSC Adv. 2017, 7, 54522–54531. [Google Scholar] [CrossRef]
  9. Wei, J.-Z.; Gong, F.-X.; Sun, X.-J.; Li, Y.; Zhang, T.; Zhao, X.-J.; Zhang, F.-M. Rapid and Low-Cost Electrochemical Synthesis of UiO-66-NH2 with Enhanced Fluorescence Detection Performance. Inorg. Chem. 2019, 58, 6742–6747. [Google Scholar] [CrossRef]
  10. Luo, H.; Cheng, F.; Huelsenbeck, L.; Smith, N. Comparison between conventional solvothermal and aqueous solution-based production of UiO-66-NH2: Life cycle assessment, techno-economic assessment, and implications for CO2 capture and storage. J. Environ. Chem. Eng. 2021, 9, 105159. [Google Scholar] [CrossRef]
  11. Ma, S.; Zhang, M.; Nie, J.; Yang, B.; Song, S.; Lu, P. Multifunctional cellulose-based air filters with high loadings of metal–organic frameworks prepared by in situ growth method for gas adsorption and antibacterial applications. Cellulose 2018, 25, 5999–6010. [Google Scholar] [CrossRef]
  12. Abdelhamid, H.N.; Mathew, A.P. Cellulose–metal organic frameworks (CelloMOFs) hybrid materials and their multifaceted Applications: A review. Coord. Chem. Rev. 2022, 451, 214263. [Google Scholar] [CrossRef]
  13. Abdelhamid, H.N.; Georgouvelas, D.; Edlund, U.; Mathew, A.P. CelloZIFPaper: Cellulose-ZIF hybrid paper for heavy metal removal and electrochemical sensing. Chem. Eng. J. 2022, 446, 136614. [Google Scholar] [CrossRef]
  14. Cavka, J.H.; Jakobsen, S.; Olsbye, U.; Guillou, N.; Lamberti, C.; Bordiga, S.; Lillerud, K.P. A new zirconium inorganic building brick forming metal organic frameworks with exceptional stability. J. Am. Chem. Soc. 2008, 130, 13850–13851. [Google Scholar] [CrossRef]
  15. Liu, S.; Low, Z.X.; Xie, Z.; Wang, H. TEMPO-oxidized cellulose nanofibers: A renewable nanomaterial for environmental and energy applications. Adv. Mater. Technol. 2021, 6, 2001180. [Google Scholar] [CrossRef]
  16. Shimizu, M.; Saito, T.; Isogai, A. Water-resistant and high oxygen-barrier nanocellulose films with interfibrillar cross-linkages formed through multivalent metal ions. J. Membr. Sci. 2016, 500, 1–7. [Google Scholar] [CrossRef]
  17. Yang, Q.; Saito, T.; Berglund, L.A.; Isogai, A. Cellulose nanofibrils improve the properties of all-cellulose composites by the nano-reinforcement mechanism and nanofibril-induced crystallization. Nanoscale 2015, 7, 17957–17963. [Google Scholar] [CrossRef]
  18. Zhang, X.-F.; Feng, Y.; Wang, Z.; Jia, M.; Yao, J. Fabrication of cellulose nanofibrils/UiO-66-NH2 composite membrane for CO2/N2 separation. J. Membr. Sci. 2018, 568, 10–16. [Google Scholar] [CrossRef]
  19. Zhu, L.; Zong, L.; Wu, X.; Li, M.; Wang, H.; You, J.; Li, C. Shapeable fibrous aerogels of metal–organic-frameworks templated with nanocellulose for rapid and large-capacity adsorption. ACS Nano 2018, 12, 4462–4468. [Google Scholar] [CrossRef]
  20. Wu, Z.; Zeng, J.; Huang, X.; Zhang, R.; Liu, P. Mixed matrix membranes with highly dispersed UiO-66-NH2 filler for removal of dyes and molybdenum (VI) ions from aqueous solutions. Colloids Surf. A Physicochem. Eng. Asp. 2023, 674, 131959. [Google Scholar] [CrossRef]
  21. Wang, Z.; Song, L.; Wang, Y.; Zhang, X.-F.; Hao, D.; Feng, Y.; Yao, J. Lightweight UiO-66/cellulose aerogels constructed through self-crosslinking strategy for adsorption applications. Chem. Eng. J. 2019, 371, 138–144. [Google Scholar] [CrossRef]
  22. Chen, Q.; He, Q.; Lv, M.; Xu, Y.; Yang, H.; Liu, X.; Wei, F. Selective adsorption of cationic dyes by UiO-66-NH2. Appl. Surf. Sci. 2015, 327, 77–85. [Google Scholar] [CrossRef]
  23. Hegazy, S.; Ghannami, A.; dos Reis, G.S.; Hu, T.; Brahmi, R.; Tuomikoski, S.; Lassi, U.; Srivastava, V. Activation and Zr precursor influence on UiO-66-NH2 composites for efficient cationic and anionic dye removal. Chem. Eng. Sci. 2025, 302, 120785. [Google Scholar] [CrossRef]
  24. Chakraborty, D.; Yurdusen, A.; Mouchaham, G.; Nouar, F.; Serre, C. Large-scale production of metal–organic frameworks. Adv. Funct. Mater. 2024, 34, 2309089. [Google Scholar] [CrossRef]
  25. Ibarra, I.A.; Bayliss, P.A.; Pérez, E.; Yang, S.; Blake, A.J.; Nowell, H.; Allan, D.R.; Poliakoff, M.; Schröder, M. Near-critical water, a cleaner solvent for the synthesis of a metal–organic framework. Green Chem. 2012, 14, 117–122. [Google Scholar] [CrossRef]
  26. Reinsch, H. “Green” synthesis of metal-organic frameworks. Eur. J. Inorg. Chem. 2016, 2016, 4290–4299. [Google Scholar] [CrossRef]
  27. Lin, S.; Su, M.; Li, X.; Liang, S.-X. Solvent-free mechanochemical synthesis of a sodium disulfonate covalent organic framework for simultaneous highly efficient selective capture and sensitive fluorescence detection of fluoroquinolones. Sep. Purif. Technol. 2024, 336, 126167. [Google Scholar] [CrossRef]
  28. Chen, J.; Shen, K.; Li, Y. Greening the processes of metal–organic framework synthesis and their use in sustainable catalysis. ChemSusChem 2017, 10, 3165–3187. [Google Scholar] [CrossRef]
  29. Dhakshinamoorthy, A.; Asiri, A.M.; Alvaro, M.; Garcia, H. Metal organic frameworks as catalysts in solvent-free or ionic liquid assisted conditions. Green Chem. 2018, 20, 86–107. [Google Scholar] [CrossRef]
  30. Tekin, K.; Hao, N.; Karagoz, S.; Ragauskas, A.J. Ethanol: A promising green solvent for the deconstruction of lignocellulose. ChemSusChem 2018, 11, 3559–3575. [Google Scholar] [CrossRef]
  31. Yamada, S.; Shinomiya, N.; Ohba, K.; Sekikawa, M.; Oda, Y. Enzymatic hydrolysis and ethanol fermentation of by-products from potato processing plants. Food Sci. Technol. Res. 2009, 15, 653–658. [Google Scholar] [CrossRef]
  32. Bui, L.T.; Novi, G.; Lombardi, L.; Iannuzzi, C.; Rossi, J.; Santaniello, A.; Mensuali, A.; Corbineau, F.; Giuntoli, B.; Perata, P. Conservation of ethanol fermentation and its regulation in land plants. J. Exp. Bot. 2019, 70, 1815–1827. [Google Scholar] [CrossRef]
  33. Mallakpour, S.; Soltanian, S. Microwave assisted functionalization of carboxylated-multiwalled carbon nanotubes with 5-aminoisophthalic acid and its application for the preparation of chiral poly (ester-imide)/CNT nanocomposites. Polym. Compos. 2016, 37, 835–843. [Google Scholar] [CrossRef]
  34. Jiang, J.; Lu, Y.; Liu, J.; Zhou, Y.; Zhao, D.; Li, C. An acid-base resistant Zn-based metal-organic framework as a luminescent sensor for mercury (II). J. Solid State Chem. 2020, 283, 121153. [Google Scholar] [CrossRef]
  35. Zhang, Z.; Hu, J.; Tian, X.; Guo, F.; Wang, C.; Zhang, J.; Jiang, M. Facile in-situ growth of metal–organic framework layer on carboxylated nanocellulose/chitosan aerogel spheres and their high-efficient adsorption and catalytic performance. Appl. Surf. Sci. 2022, 599, 153974. [Google Scholar] [CrossRef]
  36. Qiao, J.; Song, Q.; Zhang, X.; Zhao, S.; Liu, J.; Nyström, G.; Zeng, Z. Enhancing Interface Connectivity for Multifunctional Magnetic Carbon Aerogels: An In Situ Growth Strategy of Metal-Organic Frameworks on Cellulose Nanofibrils. Adv. Sci. 2024, 11, 2400403. [Google Scholar] [CrossRef]
  37. Tian, S.; Yi, Z.; Chen, J.; Fu, S. In situ growth of UiO-66-NH(2) in wood-derived cellulose for iodine adsorption. J. Hazard. Mater. 2023, 443, 130236. [Google Scholar] [CrossRef]
  38. You, J.; Cao, J.; Zhao, Y.; Zhang, L.; Zhou, J.; Chen, Y. Improved Mechanical Properties and Sustained Release Behavior of Cationic Cellulose Nanocrystals Reinforeced Cationic Cellulose Injectable Hydrogels. Biomacromolecules 2016, 17, 2839–2848. [Google Scholar] [CrossRef]
  39. Belaye, M.; Taddesse, A.M.; Teju, E.; Sanchez-Sanchez, M.; Yassin, J.M. Preparation and adsorption behavior of Ce (III)-MOF for phosphate and fluoride ion removal from aqueous solutions. ACS Omega 2023, 8, 23860–23869. [Google Scholar] [CrossRef]
  40. Amanda, P.; Kurniawan, Y.D.; Prasetiyo, K.W.; Hasan, F.; Amelia, A. Adsorption of Congo Red from Aqueous Solutions by Alginate-Nanocellulose-Polyethyleneimine Hydrogel Beads. Trends Sci. 2024, 21, 7262. [Google Scholar] [CrossRef]
  41. Lee, J.; Ka, D.; Jung, H.; Cho, K.; Jin, Y.; Kim, M. UiO-66-NH2 and Zeolite-Templated Carbon Composites for the Degradation and Adsorption of Nerve Agents. Molecules 2021, 26, 3837. [Google Scholar] [CrossRef]
  42. Ning, R.; Wu, C.-N.; Takeuchi, M.; Saito, T.; Isogai, A. Preparation and characterization of zinc oxide/TEMPO-oxidized cellulose nanofibril composite films. Cellulose 2017, 24, 4861–4870. [Google Scholar] [CrossRef]
  43. Zeng, H.; Yu, Z.; Shao, L.; Li, X.; Zhu, M.; Liu, Y.; Feng, X.; Zhu, X. A novel strategy for enhancing the performance of membranes for dyes separation: Embedding PAA@UiO-66-NH2 between graphene oxide sheets. Chem. Eng. J. 2021, 403, 126281. [Google Scholar] [CrossRef]
  44. Nguena, K.L.T.; Fotsop, C.G.; Bopda, A.; Tchuifon Tchuifon, D.R.; Kamgang Djioko, F.H.; Soukoua Ngueabouo, A.M.; Ada Madu, C.; Ezema, F.I.; Oguzie, E.E. Unraveling the sorption mechanism of industrial dyes onto Zr-based MOFs: Computational and experimental modelling for highly efficient removal. Mater. Adv. 2025, 6, 579–597. [Google Scholar] [CrossRef]
  45. Bessaha, F.; Mahrez, N.; Marouf-Khelifa, K.; Çoruh, A.; Khelifa, A. Removal of Congo red by thermally and chemically modified halloysite: Equilibrium, FTIR spectroscopy, and mechanism studies. Int. J. Environ. Sci. Technol. 2019, 16, 4253–4260. [Google Scholar] [CrossRef]
  46. Molavi, H.; Eskandari, A.; Shojaei, A.; Mousavi, S.A. Enhancing CO2/N2 adsorption selectivity via post-synthetic modification of NH2-UiO-66 (Zr). Microporous Mesoporous Mater. 2018, 257, 193–201. [Google Scholar] [CrossRef]
  47. Luo, R.; Zhang, K.; Qin, Y.; Xie, L.; Chai, X.; Zhang, L.; Du, G.; Ge, S.; Rezakazemi, M.; Aminabhavi, T.M. Amine-functionalized UiO-66 incorporated electrospun cellulose/chitosan porous nanofibrous membranes for removing copper ions. Chem. Eng. J. 2024, 480, 148077. [Google Scholar] [CrossRef]
  48. Barud, H.S.; de Araújo Júnior, A.M.; Santos, D.B.; de Assunção, R.M.; Meireles, C.S.; Cerqueira, D.A.; Rodrigues Filho, G.; Ribeiro, C.A.; Messaddeq, Y.; Ribeiro, S.J. Thermal behavior of cellulose acetate produced from homogeneous acetylation of bacterial cellulose. Thermochim. Acta 2008, 471, 61–69. [Google Scholar] [CrossRef]
  49. Liu, Z.; Zhang, Y.; Han, F.; Yan, P.; Liu, B.; Zhou, Q.; Min, F.; He, F.; Wu, Z. Investigation on the adsorption of phosphorus in all fractions from sediment by modified maifanite. Sci. Rep. 2018, 8, 15619. [Google Scholar] [CrossRef]
  50. Yang, Q.; Song, H.; Li, Y.; Pan, Z.; Dong, M.; Chen, F.; Chen, Z. Flower-like core-shell Fe3O4@MnO2 microspheres: Synthesis and selective removal of Congo red dye from aqueous solution. J. Mol. Liq. 2017, 234, 18–23. [Google Scholar] [CrossRef]
  51. Wang, Y.; Zhang, S.; Zhu, J.; Li, N.; Yin, Y. Fabrication of wood-inspired nanocellulose-based aerogels for efficient adsorption and filtration removal of Congo red. Ind. Crops Prod. 2023, 205, 117482. [Google Scholar] [CrossRef]
  52. Elsayed, I.; Madduri, S.; El-Giar, E.M. Effective removal of anionic dyes from aqueous solutions by novel polyethylenimine-ozone oxidized hydrochar (PEI-OzHC) adsorbent. Arab. J. Chem. 2022, 15, 103757. [Google Scholar] [CrossRef]
  53. Wu, Z.; Deng, W.; Tang, S.; Ruiz-Hitzky, E.; Luo, J.; Wang, X. Pod-inspired MXene/porous carbon microspheres with ultrahigh adsorption capacity towards crystal violet. Chem. Eng. J. 2021, 426, 130776. [Google Scholar] [CrossRef]
  54. Chen, Y.; Hanshe, M.; Sun, Z.; Zhou, Y.; Mei, C.; Duan, G.; Zheng, J.; Shiju, E.; Jiang, S. Lightweight and anisotropic cellulose nanofibril/rectorite composite sponges for efficient dye adsorption and selective separation. Int. J. Biol. Macromol. 2022, 207, 130–139. [Google Scholar] [CrossRef]
  55. Bellaj, M.; Aziz, K.; El Achaby, M.; El Haddad, M.; Gebrati, L.; Kurniawan, T.A.; Chen, Z.; Yap, P.-S.; Aziz, F. Cationic and anionic dyes adsorption from wastewater by clay-chitosan composite: An integrated experimental and modeling study. Chem. Eng. Sci. 2024, 285, 119615. [Google Scholar] [CrossRef]
  56. Alanazi, K.D.; Alshammari, B.H.; Ahmad, O.A.S.; Aljohani, M.M.; Alsharief, H.H.; Al-Bagawi, A.H.; Alsehli, A.H.; El-Metwaly, N.M. Citric acid-cross linked with magnetic metal-organic framework composite sponge for superior adsorption of indigo carmine blue dye from aqueous solutions: Characterization and adsorption optimization via Box–Behnken design. J. Mol. Struct. 2024, 1299, 137131. [Google Scholar] [CrossRef]
  57. Al-Hazmi, G.H.; Refat, M.S.; El-Desouky, M.G.; Wali, F.K.; El-Bindary, A.A. Effective removal of industrial dye from aqueous solution using mesoporous nickel oxide: A complete batch system evaluation. Desalin. Water Treat. 2022, 273, 246–260. [Google Scholar] [CrossRef]
  58. Eltaweil, A.S.; Elshishini, H.M.; Ghatass, Z.F.; Elsubruiti, G.M. Ultra-high adsorption capacity and selective removal of Congo red over aminated graphene oxide modified Mn-doped UiO-66 MOF. Powder Technol. 2021, 379, 407–416. [Google Scholar] [CrossRef]
  59. Zhu, S.; Wang, Y.; Wang, Z.; Chen, L.; Zhu, F.; Ye, Y.; Zheng, Y.; Yu, W.; Zheng, Q. Metal-Coordinated Dynamics and Viscoelastic Properties of Double-Network Hydrogels. Gels 2023, 9, 145. [Google Scholar] [CrossRef]
  60. Chatterjee, S.; Guha, N.; Krishnan, S.; Singh, A.K.; Mathur, P.; Rai, D.K. Selective and Recyclable Congo Red Dye Adsorption by Spherical Fe3O4 Nanoparticles Functionalized with 1,2,4,5-Benzenetetracarboxylic Acid. Sci. Rep. 2020, 10, 111. [Google Scholar] [CrossRef]
  61. Elsayed, I.; Schueneman, G.T.; El-Giar, E.M.; Hassan, E.B. Amino-Functionalized Cellulose Nanofiber/Lignosulfonate New Aerogel Adsorbent for the Removal of Dyes and Heavy Metals from Wastewater. Gels 2023, 9, 154. [Google Scholar] [CrossRef]
  62. Simion, A.-I.; Grigoraș, C.-G.; Favier, L. Batch Adsorption of Orange II Dye on a New Green Hydrogel—Study on Working Parameters and Process Enhancement. Gels 2025, 11, 79. [Google Scholar] [CrossRef]
  63. Hamzeh, Y.; Ashori, A.; Azadeh, E.; Abdulkhani, A. Removal of Acid Orange 7 and Remazol Black 5 reactive dyes from aqueous solutions using a novel biosorbent. Mater. Sci. Eng. C 2012, 32, 1394–1400. [Google Scholar] [CrossRef]
  64. Cao, J.; Wu, Y.; Jin, Y.; Yilihan, P.; Yang, S. Dynamic adsorption of anionic dyes by apricot shell activated carbon. Desalination Water Treat. 2015, 53, 2990–2998. [Google Scholar] [CrossRef]
  65. Tǎmaş, A.; Cozma, I.; Cocheci, L.; Lupa, L.; Rusu, G. Adsorption of orange II onto Zn2Al–layered double hydroxide prepared from zinc ash. Front. Chem. 2020, 8, 573535. [Google Scholar] [CrossRef]
  66. Yu, J.; He, W.; Liu, B. Adsorption of acid orange Ⅱ with two step modified sepiolite: Optimization, adsorption performance, kinetics, thermodynamics and regeneration. Int. J. Environ. Res. Public Health 2020, 17, 1732. [Google Scholar] [CrossRef]
  67. Suhag, M.H.; Khatun, A.; Tateishi, I.; Furukawa, M.; Katsumata, H.; Kaneco, S. Purification of aqueous orange II solution through adsorption and visible-light-induced photodegradation using ZnO-modified g-C3N4 composites. RSC Adv. 2024, 14, 17888–17900. [Google Scholar] [CrossRef]
  68. Al-Omari, M.H.; Abu-Rayyan, A.; Ragab, A.H.; Taher, M.A.; El-Sayed, E.-S.M.; Elfiky, A.; Taha, A.; Mubarak, M.F. Optimized Congo Red Dye Adsorption Using ZnCuCr-Based MOF for Sustainable Wastewater Treatment. Langmuir 2025, 41, 5947–5961. [Google Scholar] [CrossRef] [PubMed]
  69. Zolgharnein, J.; Farahani, S.D.; Bagtash, M.; Amani, S. Application of a new metal-organic framework of [Ni2F2(4,4′-bipy)2(H2O)2](VO3)2·8H2O as an efficient adsorbent for removal of Congo red dye using experimental design optimization. Environ. Res. 2020, 182, 109054. [Google Scholar] [CrossRef]
  70. Singh, K.P.; Wareppam, B.; Raghavendra, K.G.; Singh, N.J.; de Oliveira, A.C.; Garg, V.K.; Ghosh, S.; Singh, L.H. Heterophase Grain Boundary-Rich Superparamagnetic Iron Oxides/Carbon Composite for Cationic Crystal Violet and Anionic Congo Red Dye Removal. Adv. Eng. Mater. 2023, 25, 2300354. [Google Scholar] [CrossRef]
  71. Muedi, K.L.; Masindi, V.; Maree, J.P.; Haneklaus, N.; Brink, H.G. Effective adsorption of Congo red from aqueous solution using Fe/Al Di-metal nanostructured composite synthesised from Fe (III) and Al (III) recovered from real acid mine drainage. Nanomaterials 2022, 12, 776. [Google Scholar] [CrossRef]
  72. Hussain, S.; Salman, M.; Youngblood, J.P.; Farooq, U.; Yasmeen, S.; Al-Ahmary, K.M.; Ahmed, M. Enhanced adsorption of Congo red dye by CS/PEG/ZnO composite hydrogel: Synthesis, characterization, and performance evaluation. J. Mol. Liq. 2024, 411, 125704. [Google Scholar] [CrossRef]
  73. Hamad, K.H.; Yasser, A.M.; Nabil, R.; Tarek, R.; Hesham, E.; El-telbany, A.; Saeed, A.; Selim, S.E.; Abdelhamid, A.E. Nylon fiber waste as a prominent adsorbent for Congo red dye removal. Sci. Rep. 2024, 14, 1088. [Google Scholar] [CrossRef] [PubMed]
  74. Gamboa, D.M.P.; Abatal, M.; Lima, E.; Franseschi, F.A.; Ucán, C.A.; Tariq, R.; Elías, M.A.R.; Vargas, J. Sorption Behavior of Azo Dye Congo Red onto Activated Biochar from Haematoxylum campechianum Waste: Gradient Boosting Machine Learning-Assisted Bayesian Optimization for Improved Adsorption Process. Int. J. Mol. Sci. 2024, 25, 4771. [Google Scholar] [CrossRef]
  75. Harja, M.; Lupu, N.; Chiriac, H.; Herea, D.-D.; Buema, G. Studies on the Removal of Congo Red Dye by an Adsorbent Based on Fly-Ash@Fe3O4 Mixture. Magnetochemistry 2022, 8, 125. [Google Scholar] [CrossRef]
Figure 1. Fe-SEM micrographs of (a) UiO-66-NH2, (b) in situ UiO-66-NH2/TOCNF, (c) ex situ UiO-66-NH2/TOCNF, (d) in situ UiO-66-NH2/TOCNF after CR adsorption, and (e) in situ UiO-66-NH2/TOCNF after ORII adsorption.
Figure 1. Fe-SEM micrographs of (a) UiO-66-NH2, (b) in situ UiO-66-NH2/TOCNF, (c) ex situ UiO-66-NH2/TOCNF, (d) in situ UiO-66-NH2/TOCNF after CR adsorption, and (e) in situ UiO-66-NH2/TOCNF after ORII adsorption.
Gels 11 00365 g001
Figure 2. Removal % of CR and ORII using in situ UiO-66-NH2/TOCNF and ex situ UiO-66-NH2/TOCNF.
Figure 2. Removal % of CR and ORII using in situ UiO-66-NH2/TOCNF and ex situ UiO-66-NH2/TOCNF.
Gels 11 00365 g002
Figure 3. XRD of UiO-66-NH2 and in situ UiO-66-NH2/TOCNF before and after adsorption.
Figure 3. XRD of UiO-66-NH2 and in situ UiO-66-NH2/TOCNF before and after adsorption.
Gels 11 00365 g003
Figure 4. EDS atomic composition maps (left) and x-ray emission spectra (right) of (a) UiO-66-NH2, (b) in situ UiO-66-NH2/TOCNF, (c) ex situ UiO-66-NH2/TOCNF after CR adsorption, and (d) in situ UiO-66-NH2/TOCNF after ORII adsorption.
Figure 4. EDS atomic composition maps (left) and x-ray emission spectra (right) of (a) UiO-66-NH2, (b) in situ UiO-66-NH2/TOCNF, (c) ex situ UiO-66-NH2/TOCNF after CR adsorption, and (d) in situ UiO-66-NH2/TOCNF after ORII adsorption.
Gels 11 00365 g004
Figure 5. FTIR Spectra of UiO-66-NH2, in situ UiO-66-NH2/TOCNF, ex situ UiO-66-NH2/TOCNF, in situ UiO-66-NH2/TOCNF after CR adsorption, and in situ UiO-66-NH2/TOCNF after ORII adsorption.
Figure 5. FTIR Spectra of UiO-66-NH2, in situ UiO-66-NH2/TOCNF, ex situ UiO-66-NH2/TOCNF, in situ UiO-66-NH2/TOCNF after CR adsorption, and in situ UiO-66-NH2/TOCNF after ORII adsorption.
Gels 11 00365 g005
Figure 6. TGA-DTG thermograph of UiO-66-NH2, in situ UiO-66-NH2/TOCNF, and ex situ UiO-66-NH2/TOCNF.
Figure 6. TGA-DTG thermograph of UiO-66-NH2, in situ UiO-66-NH2/TOCNF, and ex situ UiO-66-NH2/TOCNF.
Gels 11 00365 g006
Figure 7. (a,b) Influence of pH on the removal performance of CR and ORII and (c) PZC of in situ UiO-66-NH2/TOCNF.
Figure 7. (a,b) Influence of pH on the removal performance of CR and ORII and (c) PZC of in situ UiO-66-NH2/TOCNF.
Gels 11 00365 g007
Figure 8. The adsorption kinetics of CR and ORII. (a) CR Pseudo−second order non−linear fit; (b) CR Pseudo−second order linear fit; (c) CR Pseudo−first order linear fit; (d) ORII Pseudo−second order non−linear; (e) ORII Pseudo−second order linear fit; (f) ORII Pseudo−first order linear fit.
Figure 8. The adsorption kinetics of CR and ORII. (a) CR Pseudo−second order non−linear fit; (b) CR Pseudo−second order linear fit; (c) CR Pseudo−first order linear fit; (d) ORII Pseudo−second order non−linear; (e) ORII Pseudo−second order linear fit; (f) ORII Pseudo−first order linear fit.
Gels 11 00365 g008
Figure 9. The Langmuir and Freundlich adsorption isotherms of CR and ORII. (a) CR Langmuir non-linear fit; (b) CR Langmuir linear fit; (c) ORII Freundlich non-linear fit; and (d) ORII Freundlich linear fit.
Figure 9. The Langmuir and Freundlich adsorption isotherms of CR and ORII. (a) CR Langmuir non-linear fit; (b) CR Langmuir linear fit; (c) ORII Freundlich non-linear fit; and (d) ORII Freundlich linear fit.
Gels 11 00365 g009
Figure 10. The linear diagram of the van’t Hoff equation to calculate the thermodynamic parameters (a) ORII and (b) CR.
Figure 10. The linear diagram of the van’t Hoff equation to calculate the thermodynamic parameters (a) ORII and (b) CR.
Gels 11 00365 g010
Figure 12. Regeneration of CR and ORII using in situ UiO-66-NH2/TOCNF.
Figure 12. Regeneration of CR and ORII using in situ UiO-66-NH2/TOCNF.
Gels 11 00365 g012
Table 1. BET surface area of UiO-66-NH2, in situ UiO-66-NH2/TOCNF, and ex situ UiO-66-NH2/TOCNF.
Table 1. BET surface area of UiO-66-NH2, in situ UiO-66-NH2/TOCNF, and ex situ UiO-66-NH2/TOCNF.
MaterialsBET (m2/g)Pore Volume
cc/g
UiO-66-NH260.420.23
in situ UiO-66-NH2/TOCNF145.670.39
ex situ UiO-66-NH2/TOCNF26.700.15
Table 2. Adsorption kinetic parameters for CR and ORII at an initial concentration of 100, 150, and 200 mg/L, a dosage of 10 mg/L, and a temperature of 25 °C.
Table 2. Adsorption kinetic parameters for CR and ORII at an initial concentration of 100, 150, and 200 mg/L, a dosage of 10 mg/L, and a temperature of 25 °C.
Models CRORII
Co (mg/L)100150200100150200
Pseudo−first
order
K1 (1/min)0.047080.036460.037770.037710.033640.03849
qe (mg/g)72.67083122.5097176.752478.22427113.0274147.831
R20.964420.985350.967110.98840.986760.99391
Pseudo−second order K2 (g/mg/min)0.0017010.0004930.0003740.0005920.0002510.000303
qe (mg/g)101.626156.9859208.7683100.5025160.5136204.0816
R20.999540.998160.997880.99760.994530.99804
Table 3. Langmuir and Freundlich isotherm model values for CR and ORII at an initial concentration of 20 to 200 (mg/L) and three different temperatures (15, 25, and 40 °C).
Table 3. Langmuir and Freundlich isotherm model values for CR and ORII at an initial concentration of 20 to 200 (mg/L) and three different temperatures (15, 25, and 40 °C).
Models CRORII
Temp (°C)152540152540
LangmuirK1 (L/mg) 0.384949 0.186695 0.06587 1.915423 0.115305 0.761408
qmax (mg/g) 375.9398 383.1418 549.4505 129.8701 148.8095 171.2329
R2 0.99345 0.99554 0.99604 0.99976 0.98957 0.99894
FreundlichKF ([mg g−1(Lmg−1)1/n]) 101.763 58.13933 33.55135 84.30629 26.87571 74.98424
n 1.269728 1.237517 1.103107 12.51251 3.246964 6.436663
R2 0.85886 0.87461 0.83526 0.90941 0.99024 0.94508
Table 4. The distribution and thermodynamic parameters calculated for the adsorption of CR and ORII at different temperatures.
Table 4. The distribution and thermodynamic parameters calculated for the adsorption of CR and ORII at different temperatures.
AdsorbateT
(°C)
Qe
(mg/g)
K d = q e C e l n K d ΔG°
(KJ·mol−1)
ΔH°
(KJ·mol−1)
ΔS°
(J·mol−1·K−1)
CR15 189.57 18.17546 2.90007 −6.94403 40.15255 164.0981
25194.8737.986353.63722−9.01149
40 197.83 91.1659 4.51268 −11.9309
ORII15 185.68 12.96648 2.56236 −6.13541 19.429188.83509
30 189.1317.399262.85642 −7.07701
40 193.1 27.98551 3.33168 −8.80849
Table 5. Comparison of the in situ UiO-66-NH2/TOCNF adsorption capacities for CR and ORII with other adsorbents reported in the literature.
Table 5. Comparison of the in situ UiO-66-NH2/TOCNF adsorption capacities for CR and ORII with other adsorbents reported in the literature.
Adsorbent MaterialDye TypeAdsorption
Capacity (mg/g)
References
Orange II
UiO-66-NH2, solvothermal methodORII229.8[44]
CSSA HydrogelORII6.84[62]
Apricot shell activated carbonORII13.98[63]
Canola stalksORII25.6[64]
Zn2Al-layered double hydroxide ORII42.5[65]
cetyltrimethylammonium bromide (CTAB)ORII110.05[66]
ZnO-modified g-C3N4 compositeORII13.441[67]
In situ UiO-66-NH2/TOCNFORII171.2This study
Congo Red
UiO-66-NH2@HTCCR277.77[23]
ZnCuCr-Based MOFCR325[68]
[Ni2F2(4,4′-bipy)2(H2O)2](VO3)2.8H2OCR242.1[69]
UiO-66-NH2]CR16.50[20]
Iron oxide/carbon compositeCR40.44[70]
Polycationic Fe/Al Di-metal nanostructured composite (PDFe/Al)CR411[71]
CS/PEG/ZnO Composite HydrogelCR212.76[72]
Nylon fiber wasteCR188[73]
Activated biocharCR114.8[74]
Fly-Ash@Fe3O₄CR154[75]
In situ UiO-66-NH2/TOCNFCR549.4This study
Table 6. Adsorption and kinetics study models.
Table 6. Adsorption and kinetics study models.
ModelEquation
Langmuir linear C e q e = 1 K l   q max + C e q max
Langmuir non-linear q e = q m K l C e 1 + K l C e
Freundlich linear ln q e = ln K f + 1 n ln C e
Freundlich non-linear q e = k f C e 1 / n
Pseudo-first order non-linear q t = q e 1 e k 1 t
Pseudo-first order linear log q e q t = log q e k 1 2.303 × t
Pseudo-second order non-linear q t = k 2 tq e 2 1 + k 2 tq e
Pseudo-second order linear t q t = 1 k 2 q e 2 + t q e
Disclaimer/Publisher’s Note: The statements, opinions and data contained in all publications are solely those of the individual author(s) and contributor(s) and not of MDPI and/or the editor(s). MDPI and/or the editor(s) disclaim responsibility for any injury to people or property resulting from any ideas, methods, instructions or products referred to in the content.

Share and Cite

MDPI and ACS Style

Amen, R.; Elsayed, I.; Kim, Y.; Schueneman, G.T.; El-Giar, E.M.; Hassan, E.B. A Novel Green In Situ Amine-Functionalized Aerogel UiO-66-NH2/TOCNF for the Removal of Azo Anionic Dyes. Gels 2025, 11, 365. https://doi.org/10.3390/gels11050365

AMA Style

Amen R, Elsayed I, Kim Y, Schueneman GT, El-Giar EM, Hassan EB. A Novel Green In Situ Amine-Functionalized Aerogel UiO-66-NH2/TOCNF for the Removal of Azo Anionic Dyes. Gels. 2025; 11(5):365. https://doi.org/10.3390/gels11050365

Chicago/Turabian Style

Amen, Rabia, Islam Elsayed, Yunsang Kim, Gregory T. Schueneman, Emad M. El-Giar, and El Barbary Hassan. 2025. "A Novel Green In Situ Amine-Functionalized Aerogel UiO-66-NH2/TOCNF for the Removal of Azo Anionic Dyes" Gels 11, no. 5: 365. https://doi.org/10.3390/gels11050365

APA Style

Amen, R., Elsayed, I., Kim, Y., Schueneman, G. T., El-Giar, E. M., & Hassan, E. B. (2025). A Novel Green In Situ Amine-Functionalized Aerogel UiO-66-NH2/TOCNF for the Removal of Azo Anionic Dyes. Gels, 11(5), 365. https://doi.org/10.3390/gels11050365

Note that from the first issue of 2016, this journal uses article numbers instead of page numbers. See further details here.

Article Metrics

Back to TopTop