Abstract
Performing light field recovery from diffusing wave is difficult owing to its complex and randomized light behaviors imposed by scatters. The problem becomes even more challenging when a time-varying scattering medium is involved, because, the scattered light changes in space and time. Here we report theoretically and experimentally an approach to structured field recovery behind a dynamic scattering medium, both in the near-field and the far-field diffraction regimes. We exploit the temporal irregular scattering behaviors of the dynamic scatter to overcome light field distortions, without any prior knowledge or wavefront control technique. Of particular interest is that the technique can work with a fast response rate of the scattering change in the order of microsecond level, which is inaccessible with previous techniques. Furthermore, we demonstrate the possibility for recovering a higher-order vector vortex light field from a dynamic diffuser, which was not addressed before. This work shows a significant advance toward light field recovery behind the dynamic scatters and may find intriguing applications.
1. Introduction
A coherent light field emerging from a scattering medium will lead to a phase wave front that changes in a random manner [1]. As a result, amplitude, phase, and polarization states of the field are scrambled, giving rise to an irregular intensity distribution [2]. Such a speckle makes an image obstacle in an optical imaging system. Harnessing the distortions of a propagating wave from the scattering medium has been attracting considerable attention due to its fundamentals in optics [1,3,4,5,6] and acoustics [7,8], as well as its applications in various fields [9,10,11]. For instance, by modulating the wave front of an incident wave in an appropriate form, the scattering effect can be suppressed, leading to light focusing [12] (even the focusing below the diffraction limit [13]) rather than diffusing as it propagates through the diffusers, which has found intriguing applications [14]. Note that the concept was implemented not only in space, but also in time domain, thereby leading to optical compression of an ultrashort light pulse through the scatters [15].
Effort have been made to retrieve light field structures hidden behind the scattering media. Motivated by the pioneering works [12,13,15], wave front control has been developed to overcome the intensity distortions, hence enabling optical image recoveries [14,16,17]. However, finding the correct wave front shapes for illuminations is still challenging as it requires precise measurement of transmission matrix of the scattering media [16]. Alternatively, techniques including optical phase conjugation [18,19], optical speckle correlation [14,20,21,22] and deep-learning-based implementation [23] were demonstrated. These methods to some extent relieve limitations of wave front shaping techniques, but encounter other issues, e.g, the requirements of either the prior knowledge access to object fields [22] or the training with intensity speckles [23,24]. In addition, phase and polarization of the structured field can be also restored behind the scatters, which have been recently reported [25,26,27].
These methods addressing the static scattering media, however, might break down when encountering a dynamic one, where the speckle pattern is indeterministic. In this case, the scattered light changes in both space and time. Regarding this issue, there have been notable attempts recently implemented [28,29,30,31,32,33], e.g., by improving modulation speed of the scattering light fields such that image restoration is possible within decorrelation time of the dynamic scatters. However, these attempts are still limited to slow response rate of the scattering change in the order of millisecond scale, which prevents from being utilized for a scatter that varies more rapidly with time.
In this article, we demonstrate a new principle for recovering the structure of fields behind the dynamic scatters, by averaging the temporal irregular changes of the scattered speckles. We note that this idea is similar to that reported recently in [34,35], which only examine holographic imaging through rotating scatters with scalar light field. Here we explore the idea further both in the near-field and the far-field diffraction regime, addressing the light field recovery from the time-varying scatters with response rate not only on the millisecond scale, but also under the microsecond level, which is inaccessible with previous techniques [28,29,30,31,32,33,36]. Moreover, we extend the concept to the higher-order framework of optical beams, studying the possibility for recovering a vector vortex light beams behind the dynamic scatters, for the first time.
2. Theory
We start by considering the principle of the technique based on classical optical diffraction theory. In an optical system, the dynamics of a complex light field can be governed by the paraxial Helmholtz equation
where E denotes the complex light field, and is the wave number in vacuum with being the optical wavelength. Here x and y represent the transverse coordinates while z denotes the propagation distance, i is the imaginary unit. We look for a solution of the propagating wave at . This can be achieved by solving the wave equation in the Fourier domain. After applying an inverse Fourier transform, the solution for the light wave can be expressed in a form of the Fresnel integral
where
is a propagation operator, precessing the light fields in the Fresnel regime, and is the initial condition for the integral. We then consider a structured light wave passing through the scattering medium. We assume that the light wave undergoes a random-walk process in the scatter, i.e., the photon with high carrier frequency oscillates rapidly in the medium, leading to intricate interference light field with phase front that varies in a random manner while keeping its amplitude nearly unchanged for a nonabsorbent or thin scatter. In this scenario, the wave behaviors beyond the scattering medium can be exploited using the Equation (2), with initial condition given by , where is incident plane wave amplitude, O is the spatially structured light field we are concerned with, and represents the resultant random phase pattern that can be expressed as a random function, i.e., rand. , ranging from 0 to 1, describes scattering strength of the medium, and rand(·) denotes the random function with oscillating value between −1 and 1. For the dynamic case, the initial condition is modified as
Considering a time-varying (dynamic) scattering medium, has a different random phase profile in the transverse plane for different t. We carry out a text to see if the concerned structured light field is diffusing when considering the time-dependent scattering medium. To this end, we consider a light wave having periodic structure given by , where and are the carrier wavenumber associated with x and y coordinates, respectively. The amplitude structure is carried by the wavelength of nm. Figure 1a,d depict typical intensity fringes of the fields along x and y directions; while Figure 1b,e illustrate their instant intensity patterns at mm, respectively, after passing through the scatter that is placed at . Evidently, the periodic fringes emerging from the scatter become speckles, implying an irretrievable loss of amplitude information of the fields. Note that in addition to the spatial perturbations of the light fields, the speckle fields change according to the time-dependent scatters, as seen from Figure 1g. It shows three seemingly uncorrelated intensity profiles of the speckles at different time.
Figure 1.
Simulations for structured light field recovery in the Fresnel regime with scattering strength setting as . The object field is given by periodic fringes with different carrier wave numbers: (a–c) mm−1, , and (d–f) , mm−1. (a,d) Original light fields (); (b,e) instant light speckles ( mm); and (c,f) recovered light fields ( mm). (g) Three uncorrelated profiles of the speckles generated from (b) at different record time. Panels (a–f) share the same scale (scale bar, 5 mm).
To recover the intensity fringes from the speckled patterns, we examine their average properties by collecting a series of the time-dependent diffractive fields, each of which can be written as
Equation (5) presents an instant speckle in which the information of the field is scrambled. But it does not completely lost and contains minor correlation with the target that can be exploited and enhanced. This is because some photons emerging from the dynamic scatter are ballistic, hence they preserve the original optical trajectory and form a partial image of the object light field. However, the majority of photons transmitted through the scattering medium are diffusive, forming a random intensity speckles, as illustrated in Figure 1b,e. By averaging a number of illumination configurations, it is possible to restore the structured light fields by ballistic photons, while the scattered photons result in a uniform background. To implement this concept, we coherently average the instant light field over a time scale ,
Note that the term is a random function at an instant time t. However, the ensemble average over time leads to the relation
where is a complex spatial function, exhibiting perturbations in the transverse plane. In this case, the average light field is reduced to
To see how influences the diffractive field, we rewrite Equation (7) in the form: . If T is sufficiently large, the integral term for vanishes, while the term of gives rise to a fixed value of 1/2. In this case, . This intriguing outcome indicates that the perturbations resulted from can be significantly weakened or even eliminated for a sufficiently large T. Under this circumstance, the averaged light field is equal to the original diffracted field itself in the Fresnel regime. Therefore, both the phase and amplitude information can be restored through this technique. In simulations, instead of continuously collecting the light fields, we select a discrete number of the fields at specific time , where . Such a discretized operation would not influence the conclusions drawn by Equation (8), since in this case Equation (7) has its discrete form written as
To illustrate this idea, we accumulate the light fields with N up to 100, and obtain the diffractive images of the target light fields, which restore clearly their original structures, as shown in Figure 1c and Figure 1f, respectively. It is shown, indeed, that the perturbations resulted from on the light field are nearly eliminated completely.
3. Results and Discussion
We verify the theoretical model experimentally, using setup shown in Figure 2a. A He-Ne laser beam ( nm) was linearly polarized and collimated. A designed structure etched onto a metallic thin film was normally illuminated to produce the target structured fields. To confirm predictions presented in Figure 1, we etched double-slit structure with slit width setting as mm to create the periodic fringes. The generated fringes were then scrambled by the scattering media. A camera was used to record the diffused lights at the Fresnel diffraction regime [in this case an imaging lens was not required in the setup, see Figure 2a]. In experiments, we considered a phase-only spatial light modulator (SLM) and a frosted glass as the dynamic scatters, respectively. In the SLM case, the dynamic scattering effect was realized by loading a time-varying random phase masks, with refresh rate in the order of millisecond. Figure 2b presents the generated regular fringes without loading phase mask onto the SLM. Nevertheless, when the SLM is imprinted with the phase mask, e.g., see an instant phase pattern in Figure 2c, and becomes a scatter, the structured field is randomized, making it impossible to resolve the fringe patterns, as illustrated in Figure 2d. Figure 2e depicts the average pattern that was obtained by accumulations with 100 subsequent frames with recorded time interval of ms. It is seen that the diffusing effect is nearly eliminated while the feature of the target is retrieved. In another case, we repeated the experiment with the frosted glass (DG10-600-MD cascaded with DG10-1500-MD), while keeping the setup unchanged. The dynamic change of the scatter was achieved by mounting it onto a rotating stage. Without rotation the scatter is static, leading to a deterministic scattering speckle, as shown in Figure 2f. Using the same procedures, distinct periodic fringes were observed, see the results in Figure 2g. Although these restored structured patterns depicted in Figure 2e,g shows slight noise perturbations as compared to the original one [see Figure 2b], these experimental measurements confirm the validity of the theoretical model. We point out that the technique can also work for reflection-type diffusers, not limited to the transmission-type cases discussed here.
Figure 2.
Experiments for structured field recovery. (a) Experimental setup. LP: linear polarizer; OB: object; DSM: dynamic scattering medium. (b–g) Experimental results for fringe recovery. A double slit (slit width is 1 mm) was utilized to produce periodic fringes (b). (d) shows an instant speckle of (b) generated by a refreshing spatial light modulator (SLM) imprinted with random phase mask (c). (e) shows the restored intensity fringes of (b) using the SLM. (f) a light speckle of (b) generated by a rotatory frosted glass; while (g) shows its recovered fringes of (b). (b,d–g) share the same scale. Scale bar, 1 mm.
The idea is further extended to the Fraunhofer far-field diffraction regime, where object recovery from the dynamic scattering media can be implemented. This can be done in theory by replacing the Fresnel diffraction propagator in the Equation (8) by the Fraunhofer’s case: . In this case, the coefficient of the integral in Equation (8) should be modified accordingly. We carried out the experiments for object wave recovery from the rotating frosted glass with a rotation speed of 5 (rad/s), in a response rate of millisecond scale. In experiment, an imaging lens was inserted between the scatter and the camera, see the experimental setup in Figure 2a. Without the scatter, see Figure 3a, a clear image of a circular aperture is observed in the imaging system; whereas the object wave disappears when passing through the scatter, see one of the speckles in Figure 3b. The result shown in Figure 3c is obtained by superimposing 100 frames, which clearly finds the restored pattern. Moreover, we investigate reconstructions of other objects from the diffusing light fields, with results illustrated in Figure 3d–f, corresponding to geometric shapes of hexagon, triangle, and quadrilateral, respectively. These results shown in Figure 2 and Figure 3 indicate that the technique is working both in the Fresnel and the Fraunhofer diffraction regimes.
Figure 3.
Experimental results for object wave recovery in the millisecond scale. (a) An original object showing a circular aperture. (b) An instant speckle of (a). (c) The recovered object of (a). (d–f) The reconstructed objects of other apertures having different geometric shapes: (d) hexagon, (e) triangle, and (f) quadrilateral. All the panels share the same scale. Scale bar, 0.3 mm.
We further examine the possibility of object recovery from a rapidly changing scatter in the microsecond scale. Note that, to date, the investigations on object imaging from time-varying scattering media were limited to a slow response time in the order of millisecond scale [28,29,30,31,32,33]. Here we utilize the current technique to overcome this limitation. Our study for this issue is based on the turbid solution, prepared by 20 mL purified water and 3.6 mL milk. The solution was poured into a transparent colorimetric dish with thickness of 1 mm. To evaluate the changing rate, the energy equalization theorem was used [37]: at room temperature, the average speed of the moving molecules was estimated as ∼200 m/s. Considering the thickness of the cuvette, the response time of the turbid solution is approximately down to 5 μs. Note that here the dynamic process is realized through irregular movements of the solution molecules, therefore, exhibiting a very fast changing rate, three orders of magnitude faster than the modulation speed of optical elements such as the spatial light modulator [30], the deformable mirror devices [29] and the acousto-optics devices [33]. Figure 4 shows our experimental results demonstrating object wave restorations behind the solution. We consider two types of objects : a circular ring and a triangle slit, as illustrated in Figure 4a and Figure 4d, respectively, showing their original images without the diffuser. Figure 4b,e present one of their speckles where the object waves are seriously scrambled that the object information cannot be recognized. It suggests that the solution exhibits a highly scattering effect. In this case, we enhance the object signal and compensate distortions, by collecting a large number () of the time-selected light fields. Note that slight attenuation of light waves due to the absorptive solution leads to a relatively low intensity, as seen in Figure 4c,f. Even so, a resolvable geometric shapes in both cases can be observed. These results show that our technique is feasible at extremely fast response rate of the dynamic scatters. It is worth noting that the quality of light field restoration is related to the number of records , while the recording interval of the camera and the rotational speed of the ground glass do not affect the restoration quality, which can also be seen from Equation (9).
Figure 4.
Experiments for object recovery in the microsecond level. (a,d) The original objects of a circular ring (a) and a triangle slit (d). (b,e) The instant speckles of (a,d). (c,f) The restored object patterns of (a,d). All panels share the same scale. Scale bar, 1 mm.
In addition to the intensity shown above, recovering the polarization and phase of light fields from the diffusers is another interesting and important subject. In this regard, effort has been made to restore the phase and polarization from the diffused waves, e.g., see references [25,26,27] among others. But the scatter used is normally required to be static. Most recently, this limitation has been overcome by using statistical feature in a phase-shifting technique [38]. In this final section, we discuss the ability for structure recovery of the higher-order light fields behind the dynamic scattering medium, including the vortex beams and the vector vortex beams.
Figure 5 illustrates, in a numerical way, a typical example of vortex phase recovery, using the technique above. We perform simulations, considering the initial condition as follow
where is the vortex phase profile with l denoting the topology and . The vortex phase is carried by the lowest-order Laguerre-Gauss (LG) field , where , and is the Gaussian width (in simulation, mm is set). With these conditions, we obtain that the vortex beam having typical topology of diffuses into speckles with the scattering strength setting as , see Figure 5a for the simulated outcome. Evidently, the LG distribution cannot be identified from the speckle. However, by ensemble processing 500 diffractive frames, it is clearly shown from Figure 5b that the original LG intensity pattern can be well restored. On the other hand, Figure 5c presents phase distribution of the speckle in Figure 5a, clearly revealing an irregular phase perturbations between and . The irregular phase perturbation can be eliminated and vortex phase can be restored while accumulating a number of diffractive frames, as evident from the retrieved phase patterns shown in Figure 5d–f, corresponding to iterations of , , and , respectively. Regrettably, in experiments, since the phase information of the light field cannot be directly obtained, and it becomes very complex after passing through the scattering medium, we still cannot experimentally restore it under our existing conditions.
Figure 5.
Simulated results for vortex phase recovery with topology of . (a) An intensity speckle recorded at distance of mm, generated by a dynamic scatter with scattering strength of . (b) The recovery of LG intensity distributions after processing over 500 diffractive frames. (c) Phase distribution of (a). (d–f) Phase profiles for averaged field with iteration number: (d) , (e) , and (f) . Scalar bar for (a,b) is 1 mm, while scalar bar for (c–f) is 0.4 mm. The colorbar ranging from (low) to (high) is utilized for panels (c–f).
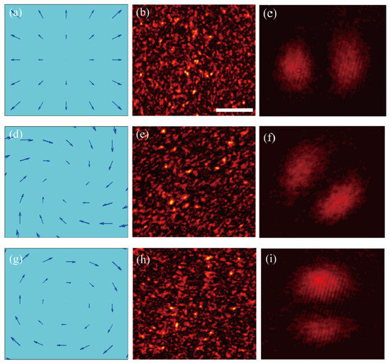
Next, we consider restoring a more complex vector vortex light beams, characterized by a vortex phase profile and coupled with space-varying polarizations [39]. This beam is intriguing since it is correlated between the spin and the orbital angular momentum. The scattering properties of these complex vector vortex beams have been recently investigated [40]. Here we take into account the typical vector vortex state [41], expressed as following
where denotes the encoded phase of the state. and are unit vectors associated with the x and the y coordinates, respectively. The state has topological charge of , and the polarization of the state exhibits cylindrically symmetric distribution in space, as is shown in Figure 6, for three typical polarization patterns. We explore the possibility of our technique in the framework of the vectorial Helmholtz equation [42]: 0. For the slowly varying amplitude of the light field, the vector wave equation can be numerically solved in the paraxial condition, with the method of the Fourier algorithm. In this case, the initial condition for the vector wave equation takes the following form
where still takes the same form of the lowest-order LG function, as shown in the vortex case. Simulations are performed for two complex states, i.e., the radially polarized state and the azimuthally polarized state, corresponding to the outcomes depicted in Figure 7a–c and Figure 7d–f, respectively. Figure 7a,d illustrate one of their intensity patterns at a diffractive distance of mm. Since the vector vortex fields are diffused by a dynamic scatter with scattering strength of , the diffracted fields are highly deteriorated, bearing no resemblances to the well-defined vector vortex states. However, averaging over 500 diffractive frames yields clear reconstructions of the complex states, as illustrated in Figure 7b and Figure 7e respectively. To see the restored polarization patterns, Figure 7c and Figure 7f display x-components of the retrieved light fields, which match well with the encrypted phases , and , corresponding to the radial and the azimuthal polarization patterns, as indicated in Figure 6a and Figure 6c, respectively. On the other hand, experimentally, we tailored both phase and polarization of the incident plane wave with a q-plate to produce the target state, while replacing the OB from the setup shown in Figure 2a. Measurements were performed for three complex states, with their initial phase and polarization structures displayed in Figure 8a, Figure 8d and Figure 8g, respectively. Figure 8b,e,h show one of their patterns emerging from the rotating frosted glass mentioned above. As expected, the diffracted fields are highly deteriorated, bearing no resemblances to the well-defined vector vortex states. However, ensemble processing over 200 frames yields clear reconstructions of the complex states, as illustrated in Figure 8c,f,i, which display x-components of the states, selected by an analyser before the camera. Clearly, the polarization state, together with the encrypted phase, were retrieved.
Figure 6.
Spatial distributions of typical vector vortex states, with three different value of : (a) , (b) , (c) . The colorbar is ranging from (low) to (high).
Figure 7.
Simulated results for recovering the vector vortex states with two encoded phase values: (a–c) , (d–f) . (a,d) One of the intensity speckles of vector vortex beams recorded at mm. The scattering strength of the scatter is set as . (b,e) The recovered structured states after processing over 500 diffractive frames. (c,f) show their x-component of (b,e), which match well with the encrypted phase values: and . All panels share the same scale. Scale bar, 1 mm. The colorbar is ranging from (low) to 1 (high).
Figure 8.
Experiments for vector vortex state recoveries with three encoded phase values: (a–c) , (d–f) , and (g–i) . (a,d,g) The original well-defined structured states; (b,e,h) one of their x-component speckles; and (c,f,i) the retrieved states, which display their x-components having different phase values: (c) , (f) , and (i) . Panels in second and third columns share the same scale. Scale bar, 0.5 mm.
4. Conclusions
In summary, we have demonstrated both theoretically and experimentally a new principle for light field recovery behind the dynamic scattering media. This technique takes advantage of the temporal irregular behaviors of the dynamic scattering, making it suitable for time-varying scattering media with arbitrary response rate. As proofs of concept, we have shown diffracted field recovery in both the scalar and vector regimes from the dynamic scattering media in millisecond scale. Noteworthy, we have presented demonstrations for recovering optical phase and polarization structures of the higher-order optical beams including the vortex beam and the vector vortex beam, hidden behind the strongly scattering medium. Furthermore, object restorations from extremely fast changing diffuser in the microsecond level was presented, three orders of magnitude improvement of previous demonstrations [28,29,30,31,32,33]. Our demonstration is a significant technological step forward in the light field recovery behind the dynamic scattering media, and might opens new opportunities in exploring new physics with dynamic scatters in the framework of higher-order physical regime [40], as well as in optical imaging from dynamic biological tissues, turbulent atmosphere, underwater, etc.
Author Contributions
Conceptualization, S.F.; methodology, S.Z. and G.M.; software, S.Z. and G.M.; investigation, S.Z., G.M. and Z.Z.; formal analysis, S.Z. and G.M.; data curation, S.Z. and G.M.; resources, Y.H. and S.F.; writing—original draft preparation, S.Z.; writing—review and editing, Y.H., S.F. and S.Z.; visualization, S.Z. and G.M.; supervision, Y.H. and S.F.; project administration, S.F. All authors have read and agreed to the published version of the manuscript.
Funding
This work was supported by the National Natural Science Foundation of China (Grants No. 62175091 and No. 12304358), the Guangzhou science and technology project (Project No. 202201020061), the Fundamental Research Funds for the Central Universities (21623331).
Institutional Review Board Statement
Not applicable.
Informed Consent Statement
Not applicable.
Data Availability Statement
Data underlying the results presented in this paper are not publicly available at this time but may be obtained from the authors upon reasonable request.
Conflicts of Interest
The authors declare no conflicts of interest.
References
- Feng, S.; Kane, C.; Lee, P.A.; Stone, A.D. Correlations and fluctuations of coherent wave transmission through disordered media. Phys. Rev. Lett. 1988, 61, 834–837. [Google Scholar] [CrossRef]
- Rosen, J.; Abookasis, D. Noninvasive optical imaging by speckle ensemble. Opt. Lett. 2004, 29, 253–255. [Google Scholar] [CrossRef]
- Choi, Y.; Yang, T.D.; Fang-Yen, C.; Kang, P.; Lee, K.J.; Dasari, R.R.; Feld, M.S.; Choi, W. Overcoming the diffraction limit using multiple light scattering in a highly disordered medium. Phys. Rev. Lett. 2011, 107, 023902. [Google Scholar] [CrossRef]
- van Putten, E.G.; Akbulut, D.; Bertolotti, J.; Vos, W.L.; Lagendijk, A.; Mosk, A.P. Scattering lens resolves sub-100 nm structures with visible light. Phys. Rev. Lett. 2011, 106, 193905. [Google Scholar] [CrossRef] [PubMed]
- Freund, I.; Rosenbluh, M.; Feng, S. Memory effects in propagation of optical waves through disordered media. Phys. Rev. Lett. 1988, 61, 2328. [Google Scholar] [CrossRef] [PubMed]
- Osnabrugge, G.; Horstmeyer, R.; Papadopoulos, I.N.; Judkewitz, B.; Vellekoop, I.M. Generalized optical memory effect. Optica 2017, 4, 886–892. [Google Scholar] [CrossRef]
- Bayer, G.; Niederdränk, T. Weak localization of acoustic waves in strongly scattering media. Phys. Rev. Lett. 1993, 70, 3884. [Google Scholar] [CrossRef]
- Tourin, A.; Derode, A.; Roux, P.; van Tiggelen, B.A.; Fink, M. Time-dependent coherent backscattering of acoustic waves. Phys. Rev. Lett. 1997, 79, 3637. [Google Scholar] [CrossRef]
- Onufrak, M.A.V.; Konger, R.L.; Kim, Y.L. Telecentric suppression of diffuse light in imaging of highly anisotropic scattering media. Opt. Lett. 2015, 41, 143–146. [Google Scholar] [CrossRef]
- Luo, Q.; Newman, J.A.; Webb, K.J. Motion-based coherent optical imaging in heavily scattering random media. Opt. Lett. 2019, 44, 2716–2719. [Google Scholar] [CrossRef]
- Wang, L.V. Multiscale photoacoustic microsocpy and computed tomography. Nat. Photonics 2009, 3, 503–509. [Google Scholar] [CrossRef] [PubMed]
- Vellekoop, I.M.; Mosk, A.P. Focusing coherent light through opaque strongly scattering media. Opt. Lett. 2007, 32, 2309–2311. [Google Scholar] [CrossRef]
- Vellekoop, I.M.; Lagendijk, A.; Mosk, A.P. Exploiting disorder for perfect focusing. Nat. Photonics 2010, 4, 320–322. [Google Scholar] [CrossRef]
- Katz, O.; Heidmann, P.; Fink, M.; Gigan, S. Non-invasive single-shot imaging through scattering layers and around corners via speckle correlation. Nat. Photonics 2014, 8, 784–790. [Google Scholar] [CrossRef]
- Katz, O.; Small, E.; Bromberg, Y.; Silberberg, Y. Focusing and compression of ultrashort pulses through scattering media. Nat. Photonics 2011, 5, 372–377. [Google Scholar] [CrossRef]
- Popoff, S.; Lerosey, G.; Fink, M.; Boccara, A.C.; Gigan, S. Image transmission through an opaque material. Nat. Commun. 2010, 1, 81. [Google Scholar] [CrossRef] [PubMed]
- Durán, V.; Soldevila, F.; Irles, E.; Clemente, P.; Tajahuerce, E.; Andrés, P.; Lancis, J. Compressive imaging in scattering media. Opt. Exp. 2015, 23, 14424–14433. [Google Scholar] [CrossRef]
- Shen, Y.; Liu, Y.; Ma, C.; Wang, L.V. Focusing light through scattering media by full-polarization digital optical phase conjugation. Opt. Lett. 2016, 41, 1130–1133. [Google Scholar] [CrossRef]
- Yaqoob, Z.; Psaltis, D.; Feld, M.S.; Yang, C. Optical phase conjugation for turbidity supppression in biological samples. Nat. Photonics 2008, 2, 110–115. [Google Scholar] [CrossRef] [PubMed]
- Judkewitz, B.; Horstmeyer, R.; Vellekoop, I.M.; Papadopoulos, I.N.; Yang, C. Translation correlations in anisotropically scattering media. Nat. Phys. 2015, 11, 684–689. [Google Scholar] [CrossRef]
- Xu, X.; Xie, X.; He, H.; Zhuang, H.; Zhou, J.; Thendiyammal, A.; Mosk, A.P. Imaging objects through scattering layers and around corners by retrieval of the scattered point spread function. Opt. Exp. 2017, 25, 32829–32840. [Google Scholar] [CrossRef]
- He, H.; Guan, Y.; Zhou, J. Image restoration through thin turbid layers by correlation with a known object. Opt. Exp. 2013, 21, 12539–12545. [Google Scholar] [CrossRef]
- Lyu, M.; Wang, H.; Li, G.; Zheng, S.; Situ, G. Learning-based lensless imaging through optical thick scattering media. Adv. Photonics 2019, 1, 036002. [Google Scholar] [CrossRef]
- Li, Y.; Xue, Y.; Tian, L. Deep speckle correlation: A deep learning approach toward scalable imaging through scattering media. Optica 2018, 5, 1181–1190. [Google Scholar] [CrossRef]
- de Aguiar, H.B.; Gigan, S.; Brasselet, S. Polarization recovery through scattering media. Sci. Adv. 2017, 3, e1600743. [Google Scholar] [CrossRef] [PubMed]
- Zhao, M.; Zhao, M.; Wu, H.; Xu, W. Phase object retrieval through scattering medium. J. Opt. 2018, 20, 055602. [Google Scholar] [CrossRef]
- Wang, F.; Bian, Y.; Wang, H.; Lyu, M.; Pedrini, G.; Osten, W.; Barbastathis, G.; Situ, G. Phase imaging with an untrained neural network. Light Sci. Appl. 2020, 9, 77. [Google Scholar] [CrossRef]
- Liu, Y.; Lai, P.; Ma, C.; Xu, X.; Grabar, A.A.; Wang, L.V. Optical focusing deep inside dynamic scattering media with near-infrared time-reversed ultrasonically encoded (TRUE) light. Nat. Commun. 2015, 6, 5904. [Google Scholar] [CrossRef]
- Wang, D.; Zhou, E.H.; Brake, J.; Ruan, H.; Jang, M.; Yang, C. Focusing through dynamic tissue with millisecond digital optical phase conjugation. Optica 2015, 2, 728–735. [Google Scholar] [CrossRef] [PubMed]
- Tzang, O.; Niv, E.; Singh, S.; Labouesse, S.; Myatt, G.; Piestun, R. Wavefront shaping in complex media with a 350 kHz modulator via a 1D-to-2D transform. Nat. Photonics 2019, 13, 788–793. [Google Scholar] [CrossRef]
- Ruan, H.; Liu, Y.; Xu, J.; Huang, Y.; Yang, C. Fluorescence imaging through dynamic scattering media with speckle-encoded ultrasound-modulated light correlation. Nat. Photonics 2020, 14, 511–516. [Google Scholar] [CrossRef]
- Hemphill, A.S.; Shen, Y.; Liu, Y.; Wang, L.V. High-speed single-shot optical focusing through dynamic scattering media with full-phase wavefront shaping. Appl. Phys. Lett. 2017, 111, 221109. [Google Scholar] [CrossRef]
- Feldkhun, D.; Tzang, O.; Wanger, K.H.; Piestun, R. Focusing and scanning through scattering media in microseconds. Optica 2019, 6, 72–75. [Google Scholar] [CrossRef]
- Singh, A.K.; Naik, D.N.; Pedrini, G.; Takeda, M.; Osten, W. Looking through a diffuser and around an opaque surface: A holographic approach. Opt. Exp. 2014, 22, 7694–7701. [Google Scholar] [CrossRef] [PubMed]
- Purcell, M.J.; Kumar, M.; Rand, S.C.; Lakshminarayanan, V. Holographic imaging through a scattering medium by diffuser-aided statistical averaging. J. Opt. Soc. Am. A 2016, 33, 1291–1297. [Google Scholar] [CrossRef] [PubMed]
- Edrei, E.; Scarcelli, G. Optical imaging through dynamic turbid media using the Fourier-domain shower-curtain effect. Optica 2016, 3, 71–74. [Google Scholar] [CrossRef]
- Levashov, V.A.; Egami, T.; Aga, R.S.; Morris, J.R. Equipartition theorem and the dynamics of liquids. Phys. Rev. B 2008, 78, 064205. [Google Scholar] [CrossRef]
- Chen, L.; Chen, Z.; Singh, R.K.; Pu, J. Imaging of polarimetric-phase object through scattering medium by phase shifting. Opt. Exp. 2020, 28, 8145–8155. [Google Scholar] [CrossRef] [PubMed]
- Milione, G.; Sztul, H.I.; Nolan, D.A.; Alfano, R.R. Higher-order Poincaré sphere, Stokes parameters, and the angular momentum of light. Phys. Rev. Lett. 2011, 107, 053601. [Google Scholar] [CrossRef] [PubMed]
- Giannini, I.; Suprano, A.; Giordani, T.; Spagnolo, N.; Sciarrino, F.; Gorpas, D.; Ntziachristos, V.; Pinker, K.; Biton, N.; Kupferman, J.; et al. Transmission of vector vortex beams in dispersive media. Adv. Photonics 2020, 2, 036003. [Google Scholar] [CrossRef]
- Fu, S.; Guo, C.; Liu, G.; Li, Y.; Yin, H.; Li, Z.; Chen, Z. Spin-orbit optical Hall effect. Phys. Rev. Lett. 2019, 123, 243904. [Google Scholar] [CrossRef] [PubMed]
- Hu, Y.; Fu, S.; Yin, H.; Li, Z.; Li, Z.; Chen, Z. Subwavelength generation of nondiffracting structured light beams. Optica 2020, 7, 1261–1266. [Google Scholar] [CrossRef]
Disclaimer/Publisher’s Note: The statements, opinions and data contained in all publications are solely those of the individual author(s) and contributor(s) and not of MDPI and/or the editor(s). MDPI and/or the editor(s) disclaim responsibility for any injury to people or property resulting from any ideas, methods, instructions or products referred to in the content. |
© 2025 by the authors. Licensee MDPI, Basel, Switzerland. This article is an open access article distributed under the terms and conditions of the Creative Commons Attribution (CC BY) license (https://creativecommons.org/licenses/by/4.0/).







