Modeling and Efficiency Analysis of an Immersed Heat Exchanger for Solar-Powered Industrial Heat Processes: A Case Study on Wool Washing
Abstract
1. Introduction
2. Materials and Methods
2.1. The Structure of the Solar System for the Wool-Washing Process
2.2. Heating System Design
2.3. Thermodynamic Properties of Used Oils
- (a)
- Thermia B is designed to resist thermal decomposition when used within its recommended temperature range. Beyond this range, degradation, carbonization, or deposit formation may occur. The thermodynamic properties of Thermia B are provided in [18].Thermia B is a mineral oil specially formulated for use as a heat transfer fluid in medium-temperature thermal systems. It is characterized by good thermal stability, low vapor pressure, and excellent oxidation resistance.
- (b)
- Heat Transfer Oil 32 has extended thermal stability for bulk oil temperatures of up to 300 °C in closed heat transfer systems. However, when exposed to air in open systems, its operating temperature should not exceed 180 °C. The thermodynamic properties of Heat Transfer Oil 32 are provided in [18].
- (c)
- Therminol vp1 is a popular heat transfer fluid used in various industrial applications, particularly in high-temperature heat transfer systems. The thermodynamic properties of Therminol vp1 are provided in [19].
- (d)
- Biphasic oil (Syltherm 800 manufactured by Dow Chemical Company, Midland, MI, USA) is a highly stable and durable silicone-based fluid designed for high-temperature operation in the liquid phase. It has a low fouling potential and can often remain in service for 10 years or more. The thermodynamic properties of Syltherm 800 are provided in [20].
3. Meshing and Mathematical Modeling
- Continuity equation [21]:
- Momentum equation [22]:
- Energy equation [22]:
- The volume V of a rectangular pool is given by the following:
- The energy required to heat the water is as follows:
- Power supplied by solar concentrators:
- The rate of heat transferred to the oil:
4. Boundary Conditions
5. Results and Discussion
5.1. The Effect of Water Pool Design on Temperature
5.2. The Temperature of Different Oils Inside the Copper Tubes
- (a)
- Heat Transfer Oil 32: This oil reaches a maximum temperature of 146.9+ °C in specific regions of the tubes. However, most areas in the tubes exhibit temperatures around 123 °C, as evidenced by the prevalence of green zones in Figure 7a. This uneven heat distribution can be attributed to the oil’s relatively high viscosity, which slows particle velocity and limits uniform heat diffusion within the tube. Despite achieving a higher maximum temperature than the other oils, the overall heat transfer efficiency of Heat Transfer Oil 32 appears reduced, as only a small portion of the tube reaches this elevated temperature. This may indicate inefficiency in transferring heat to the water in the water pool compared to oils with a more uniform temperature distribution (Figure 7a).
- (b)
- Biphasic oil: This oil achieves a maximum temperature of 123.5 °C, close to the average temperature observed in different regions of the tubes. This indicates moderate heat transfer with average efficiency for heating the water pool. The heat distribution is more uniform than in Heat Transfer Oil 32 but less consistent than in Thermia B. Biphasic oil may offer a compromise between thermal efficiency and temperature stability, but its performance remains inferior to oils like Thermia B in terms of achieving a homogeneous thermal distribution (Figure 7b).
- (c)
- Thermia B: This oil has a maximum temperature of 128.3 °C, slightly lower than Heat Transfer Oil 32. However, the distribution of temperature within the tubes is much more uniform, with the extensive red zones indicating high temperatures over a larger portion of the tubes. This homogeneity suggests a better capacity for consistently transferring heat to the water pool, maximizing thermal efficiency. Thermia B’s ability to maintain a uniform distribution of high temperatures makes it more suitable for applications requiring consistent efficiency in heating large volumes of water or fluids (Figure 7c).
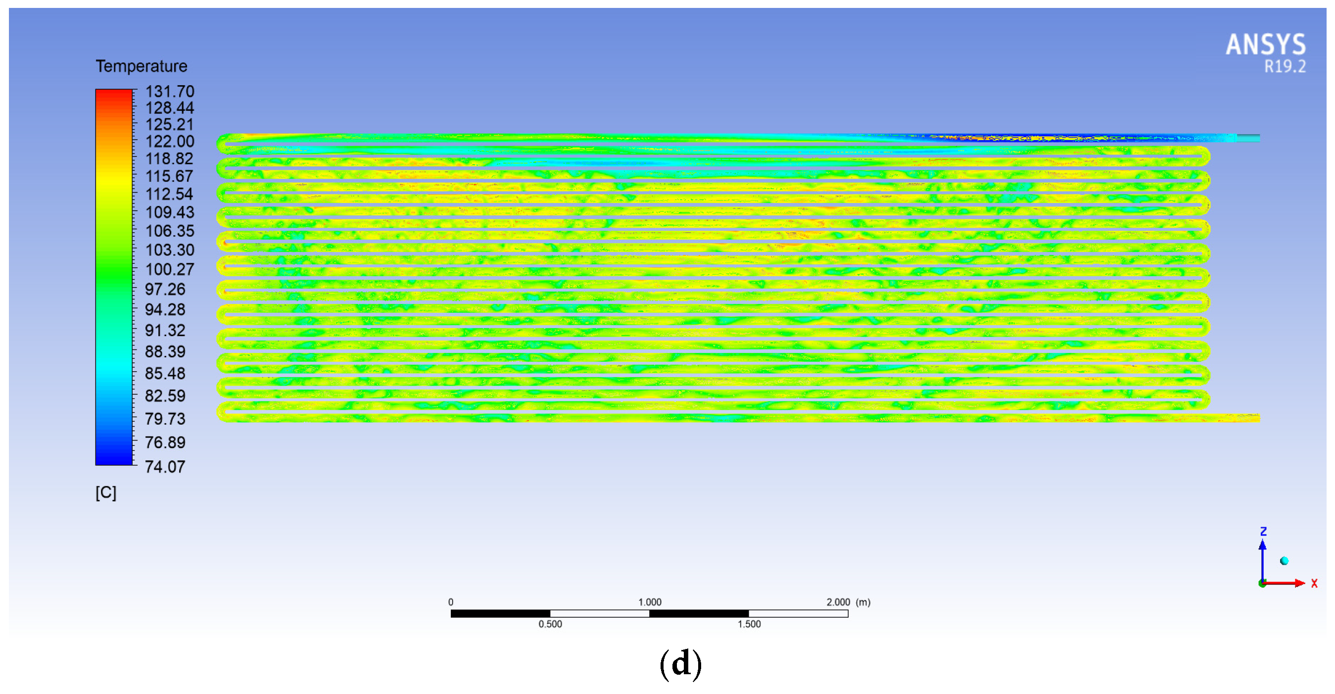
- (d)
- Therminol vp1: This oil reaches a maximum temperature of 131.7 °C, observed only at isolated points in the tubes. The majority of the tubes remain in a lower temperature range, between 92 °C and 100 °C. This suggests a limited ability of the oil to maintain high temperatures over a significant portion of the tubes, reducing its effectiveness in heating the water pool. The lack of widespread high temperatures may be due to high viscosity or lower specific heat capacity, limiting the amount of heat the oil can transport and distribute. This makes it less effective for applications requiring uniform and efficient heat transfer (Figure 7d).
5.3. Influence of Synthetic Oil Type on Water Temperature
- (a)
- Heat Transfer Oil 32: This oil showed intermediate performance, with water temperatures varying between 61 °C and 76 °C. While partially meeting the requirements, its efficiency is limited by its lower heat transfer capacity, likely due to its higher viscosity, which impedes circulation and, consequently, heat transfer (Figure 10a).
- (b)
- Biphasic oil: This oil also demonstrated good results. Within the desired range, the water temperatures were between 64 °C and 82 °C. The oil’s biphasic design helps maintain a stable temperature, avoiding thermal fluctuations that could impair the wool-washing process. This stabilizing characteristic is especially critical for applications requiring constant temperatures (Figure 10b).
- (c)
- Thermia B: This oil stood out for its superior performance, achieving water temperatures up to 85 °C, with the lowest observed value equaling 78 °C. This performance can be attributed to its chemical formulation, which optimizes thermal conduction, enabling efficient heat transfer from the tubes to the water pool (Figure 10c).
- (d)
- Therminol vp1: This oil exhibited the weakest performance, with temperatures ranging between 54 °C and 69 °C. The limitations of this oil can be attributed to its low thermal conductivity and unsuitable viscosity, reducing its effectiveness as a heat transfer fluid in this study’s context (Figure 10d).
5.4. The Effect of Oil Velocity on Heat Exchange
6. Conclusions
Author Contributions
Funding
Institutional Review Board Statement
Informed Consent Statement
Data Availability Statement
Conflicts of Interest
Nomenclature
| Instant fluctuation of velocity in the x direction (m/s) | |
| Generation of turbulent kinetic energy due to the buoyancy force | |
| Generation of turbulent kinetic energy | |
| Fluctuation in temperature (K) | |
| The mean temperature (K) | |
| and | |
| and | Specific heat (J/kg.K) |
| D | |
| ɛt | Dissipation of kinetic energy |
| r | Height (cm) |
| i and j | Dissipation of turbulent kinetic energy |
| kt | Diameter |
| L | ith and jth elements |
| T | Turbulent kinetic energy |
| u | Length (m) |
| Temperature of fluid (K) | |
| Inlet velocity (m/s) | |
| Gravity (m/s2) | |
| Kinetic energy | |
| Pressure (Pa) | |
| Total | |
| System coordinate (i = x, y, z- j =x, y, z). | |
| Viscosity (kg/m s) | |
| h | Convective transfer coefficient |
| Q | The convective heat flux |
References
- Vade, A.; Tari, S.; Athalye, A. Assessing Energy Emissions and Environmental Impact of Wool Processing: A Case Study of an Indian Textile Mill. Sustain. Polym. Energy 2024, 2, 10005. [Google Scholar] [CrossRef]
- Popescu, C.; Stanescu, M.D. Eco-Friendly Processing of Wool and Sustainable Valorization of This Natural Bioresource. Sustainability 2024, 16, 4661. [Google Scholar] [CrossRef]
- Russell, I.M. Sustainable wool production and processing. In Sustainable Textiles, Woodhead Publishing Series in Textiles; Blackburn, R.S., Ed.; Woodhead Publishing: Cambridge, UK, 2009; pp. 63–87. [Google Scholar] [CrossRef]
- Czaplicki, Z.; Matyjas, Z.E.; Strzelecki, S. Scouring of Sheep Wool Using an Acoustic Ultrasound Wave. FIBRES Text. East. Eur. 2021, 6, 44–48. [Google Scholar] [CrossRef]
- Iglesias, M.S.; Sequeiros, C.; García, S.; Olivera, N.L. Eco-friendly anti felting treatment of wool top based on biosurfactant and enzymes. J. Clean. Prod. 2019, 220, 846–852. [Google Scholar] [CrossRef]
- Matlhoko, K.S.; Vermaas, J.F.; Cronjé, N.; van der Merwe, S. Assessing the effectiveness of traditional wool scouring for small-scale farmers in South Africa: A study on detergents and scouring time. Res. J. Text. Appar. 2025, 29, 19–39. [Google Scholar] [CrossRef]
- Bhavsar, P.; Zoccola, M.; Dalla Fontana, G.; Pallavicini, M.; Roda, G.; Bolchi, C. Sustainable Routes for Wool Grease Removal Using Green Solvent Cyclopentyl Methyl Ether in Solvent Extraction and Biosurfactant Wool Protein Hydrolyzate in Scouring. Processes 2023, 11, 1309. [Google Scholar] [CrossRef]
- Kunik, A.; Semeshko, O.; Asaulyuk, T.; Saribyekova, Y.; Myasnykov, S. Development of a two-step technology of scouring wool by the method of high-energy discrete treatment. East. Eur. J. Enterp. Technol. 2016, 4, 36–43. [Google Scholar] [CrossRef][Green Version]
- Dragović, N.; Urošević, S.; Vukovic, M. Impact of renewable energy resources on textile industry. In Proceedings of the IV International Conference “Modern Trends and Innovations in the Textile Industry”, Belgrade, Serbia, 16–17 September 2021. [Google Scholar]
- Mokhtar, G.; Boussad, B.; Noureddine, S. A linear Fresnel reflector as a solar system for heating water: Theoretical and experimental study. Case Stud. Therm. Eng. 2016, 8, 176–186. [Google Scholar] [CrossRef]
- Famiglietti, A.; Lecuona-Neumann, A. Feasibility analysis of an industrial turbocharged solar air heater using linear Fresnel collectors. AIP Conf. Proc. 2023, 2815, 140005. [Google Scholar] [CrossRef]
- Nunayon, S.S.; Akanmu, W.P. Potential application of a thermosyphon solar water heating system for hot water production in beauty salons: A thermo-economic analysis. Case Stud. Therm. Eng. 2022, 32, 101881. [Google Scholar] [CrossRef]
- Li, D.; Wang, Z.; Wu, Y.; Yu, N.; Zhao, X.; Meng, L.; Arıcı, M. Combined solar and ground source heat pump heating system with a latent heat storage tank as a sustainable system to replace an oilfield hot water station. Energy 2024, 307, 132726. [Google Scholar] [CrossRef]
- Zhang, T.; Wang, F.; Gao, Y.; Liu, Y.; Guo, Q.; Zhao, Q. Optimization of a solar-air source heat pump system in the high-cold and high-altitude area of China. Energy 2023, 268, 126653. [Google Scholar] [CrossRef]
- Sekine, M.; Tsukamoto, N.; Masuhara, Y.; Furuya, M. Experimental study on thermal stratification in water pool with vertical heat source. Ann. Nucl. Energy 2024, 207, 110681. [Google Scholar] [CrossRef]
- Singh, S.; Chakraborty, P.R.; Kothadia, H.B. Experimental analysis of heat transfer characteristics of static water pool under low pressure vaporization. Int. J. Therm. Sci. 2023, 192, 108413. [Google Scholar] [CrossRef]
- Kazmi, S.M.S.; Munir, M.J.; Patnaikuni, I.; Wu, Y.F.; Fawad, U. Thermal performance enhancement of eco-friendly bricks incorporating agro-wastes. Energy Build. 2018, 158, 1117–1129. [Google Scholar] [CrossRef]
- Shell. Technical Data Sheet: Shell Heat Transfer S2, Shell Thermia B. 2014. Available online: https://www.shell.com (accessed on 1 May 2024).
- Sasol. Heat Transfer Oil 32: Heat Transfer Oil, Grade 32. Available online: https://products.sasol.com/pic/products/home/grades/ZA/5heat-transfer-oil-32/index.html (accessed on 10 April 2025).
- Eastman. THERMINOL VP-1 Heat Transfer Fluid. Available online: https://www.eastman.com/en/products/product-detail/71093459/therminol-vp-1-heat-transfer-fluid (accessed on 10 April 2025).
- Dow. Product Information: SYLTHERM 800. 2001. Available online: https://www.npl.washington.edu/TRIMS/sites/sand.npl.washington.edu.TRIMS/files/manuals-documentation/syltherm-800-technical-data-sheet.pdf (accessed on 10 April 2025).
- Hazmoune, M.; Aour, B.; Chesneau, X.; Debbache, M.; Ciupageanu, D.A.; Lazaroiu, G.; Hadjiat, M.M.; Hamidat, A. Numerical Analysis of a Solar Tower Receiver Novel Design. Sustainability 2020, 12, 6957. [Google Scholar] [CrossRef]
- Ince, N.Z.; Launder, B.E. On the computation of buoyancy-driven turbulent flows in rectangular enclosures. Int. J. Heat. Fluid. Flow. 1989, 10, 110–116. [Google Scholar] [CrossRef]
- ANSYS, Inc. Ansys Fluent 12.0 Theory Guide; ANSYS, Inc.: Canonsburg, PA, USA, 2009. [Google Scholar]
- Mgaidi, A.M.; Mohd Rafie, A.S.; Ahmad, K.A.; Zahari, R.; Abdul Hamid, M.F.; Marzuki, O.F. Numerical and experimental analyses of the flow around a rotating circular cylinder at subcritical regime of Reynolds number using k-ε and k-ω-SST turbulent models. ARPN J. Eng. Appl. Sci. 2018, 13, 954–961. [Google Scholar]
















| Oils | Thermia B | Heat Transfer Oil 32 | Biphasic Oil | Therminol vp1 |
|---|---|---|---|---|
| Density (kg/m3) | 805 | 817 | 881.68 | 999 |
| Specific heat capacity (kJ/kg·k) | 2.400 | 2.3 | 1.711 | 1.775 |
| Thermal conductivity (W/m·k) | 0.129 | 0.11 | 0.1237 | 0.1277 |
| Kinematic viscosity (mm2/s) | 5.1 | 5 | 3.86 | 0.986 |
| Initial boiling point (°C) | 350 | 210 | 385 | 257 |
Disclaimer/Publisher’s Note: The statements, opinions and data contained in all publications are solely those of the individual author(s) and contributor(s) and not of MDPI and/or the editor(s). MDPI and/or the editor(s) disclaim responsibility for any injury to people or property resulting from any ideas, methods, instructions or products referred to in the content. |
© 2025 by the authors. Licensee MDPI, Basel, Switzerland. This article is an open access article distributed under the terms and conditions of the Creative Commons Attribution (CC BY) license (https://creativecommons.org/licenses/by/4.0/).
Share and Cite
Hazmoune, M.; Debbache, M.; Osman, M.G.; Aour, B.; Panait, C.; Laissaoui, M.; Lazaroiu, G. Modeling and Efficiency Analysis of an Immersed Heat Exchanger for Solar-Powered Industrial Heat Processes: A Case Study on Wool Washing. Technologies 2025, 13, 308. https://doi.org/10.3390/technologies13070308
Hazmoune M, Debbache M, Osman MG, Aour B, Panait C, Laissaoui M, Lazaroiu G. Modeling and Efficiency Analysis of an Immersed Heat Exchanger for Solar-Powered Industrial Heat Processes: A Case Study on Wool Washing. Technologies. 2025; 13(7):308. https://doi.org/10.3390/technologies13070308
Chicago/Turabian StyleHazmoune, Messaoud, Mohammed Debbache, Mohammed Gmal Osman, Benaoumeur Aour, Cornel Panait, Mohammed Laissaoui, and Gheorghe Lazaroiu. 2025. "Modeling and Efficiency Analysis of an Immersed Heat Exchanger for Solar-Powered Industrial Heat Processes: A Case Study on Wool Washing" Technologies 13, no. 7: 308. https://doi.org/10.3390/technologies13070308
APA StyleHazmoune, M., Debbache, M., Osman, M. G., Aour, B., Panait, C., Laissaoui, M., & Lazaroiu, G. (2025). Modeling and Efficiency Analysis of an Immersed Heat Exchanger for Solar-Powered Industrial Heat Processes: A Case Study on Wool Washing. Technologies, 13(7), 308. https://doi.org/10.3390/technologies13070308

