Modeling the Influence of Knots on Douglas-Fir Veneer Fiber Orientation
Abstract
1. Introduction
2. Materials and Methods
2.1. Experimental Campaign
2.1.1. Log Sampling and Description
2.1.2. Peeling Process
2.1.3. Veneer Fiber Orientation Measurement
2.2. Modeling
2.2.1. Log Description, Knot Location, and Radius
2.2.2. Log Description, Knot Location, and Radius
3. Results and Discussion
3.1. Knot Location and Radius
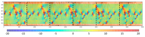
3.2. Fiber Orientation in the Vicinity of Knots
4. Conclusions
Author Contributions
Funding
Acknowledgments
Conflicts of Interest
References
- Claire, R. Le Douglas un Arbre Exceptionnel; Imprimerie Scheuer: Drulingen, UK, 2010; ISBN 2-913162-94-0. [Google Scholar]
- Thivolle-Cazat, A.; Weiller, G.; Bailly, A. Ressource et Disponibilité en Douglas en France. In Proceedings of the Assises nationales du douglas, Bordeaux, France, 19–21 September 2018. [Google Scholar]
- Collet, R.; Bleron, L. Perspectives de valorisation et de transformation du douglas en Bourgogne; Forêt Entreprise n°188: Paris, France, 2009; pp. 27–31. [Google Scholar]
- Ebihara, T. The performance of composite beams with laminated-veneer lumber (LVL) flanges. J. Jpn. Wood Res. Soc. 1982, 28, 216. [Google Scholar]
- Eckelman, C. Potential uses of laminated veneer lumber in furniture. For. Prod. J. 1993, 43, 19. [Google Scholar]
- Youngquist, J.; Laufenberg, T.; Bryant, B.S. End jointing of laminated veneer lumber for structural use. For. Prod. J. 1984, 34, 25–32. [Google Scholar]
- Del Menezzi, C.; Mendes, L.; de Souza, M.; Bortoletto, G. Effect of Nondestructive Evaluation of Veneers on the Properties of Laminated Veneer Lumber (LVL) from a Tropical Species. Forests 2013, 4, 270–278. [Google Scholar] [CrossRef]
- Pu, J.; Tang, R.C. Nondestructive evaluation of modulus of elasticity of southern pine lvl: Effect of veneer grade and relative humidity. Wood Sci. Technol. 1997, 29, 249–263. [Google Scholar]
- De Souza, F.; Del Menezzi, C.; Júnior, G.B. Material properties and nondestructive evaluation of laminated veneer lumber (LVL) made from Pinus oocarpa and P. kesiya. Eur. J. Wood Wood Prod. 2011, 69, 183–192. [Google Scholar] [CrossRef]
- Viguier, J.; Bourgeay, C.; Rohumaa, A.; Pot, G.; Denaud, L. An innovative method based on grain angle measurement to sort veneer and predict mechanical properties of beech laminated veneer lumber. Constr. Build. Mater. 2018, 181, 146–155. [Google Scholar] [CrossRef]
- Wang, X.; Ross, R.J.; Brashaw, B.K.; Verhey, S.A.; Forsman, J.W.; Erickson, J.R. Flexural Properties of Laminated Veneer Lumber Manufactured from Ultrasonically Rated Red Maple Veneer: A Pilot Study; U.S. Department of Agriculture, Forest Service, Forest Products Laboratory: Madison, WI, USA, 2003. [Google Scholar]
- Bleron, L.; Collet, R.; Marchal, R.; Mothe, F.; Nepveu, G. Methods of Simulation Allowing the Characterization of Veneer Products Resulting from the Transformation of Douglas-fir. In Proceedings of the Second International Symposium Veneer Processing and Products (ISVPP2), Vancouver, BC, Canada, 9–10 May 2006; pp. 321–328. [Google Scholar]
- Mothe, F.; Thibaut, B.; Marchal, R.; Negri, M. Rotary Cutting Simulation of Heterogeneous Wood: Application to Douglas for Peeling. Available online: http://agritrop.cirad.fr/391663/ (accessed on 27 November 2017).
- Foley, C. Modeling the Effects of Knots in Structural Timber; División of the Structural Engineering, Lund University: Lund, Sweden, 2003. [Google Scholar]
- Goodman, J.R.; Bodig, J. Mathematical model of the tension behavior of wood with knots and cross grain. In Proceedings of the First International Conference on Wood Fracture, Banff, AB, Canada, 14–16 August 1978. [Google Scholar]
- Kandler, G.; Lukacevic, M.; Füssl, J. An algorithm for the geometric reconstruction of knots within timber boards based on fibre angle measurements. Constr. Build. Mater. 2016, 124, 945–960. [Google Scholar] [CrossRef]
- Lukacevic, M.; Kandler, G.; Hu, M.; Olsson, A.; Füssl, J. A 3D model for knots and related fiber deviations in sawn timber for prediction of mechanical properties of boards. Mater. Des. 2019, 166, 107617. [Google Scholar] [CrossRef]
- Belkacemi, M.; Massich, J.; Lemaitre, G.; Stolz, C.; Daval, V.; Pot, G.; Aubreton, O.; Collet, R.; Meriaudeau, F. Wood Fiber Orientation Assessment Based on Punctual Laser Beam Excitation: A Preliminary Study; QIRT Council: Gdansk, Poland, 2016. [Google Scholar]
- Briggert, A.; Hu, M.; Olsson, A.; Oscarsson, J. Tracheid effect scanning and evaluation of in-plane and out-of-plane fiber direction in norway spruce timber. Wood Fiber Sci. 2018, 50, 411–429. [Google Scholar] [CrossRef]
- Daval, V.; Pot, G.; Belkacemi, M.; Meriaudeau, F.; Collet, R. Automatic measurement of wood fiber orientation and knot detection using an optical system based on heating conduction. Opt. Express 2015, 23, 33529–33539. [Google Scholar] [CrossRef] [PubMed]
- Faydi, Y.; Viguier, J.; Pot, G.; Daval, V.; Collet, R.; Bléron, L.; Brancheriau, L. Modélisation des propriétés mécaniques du bois à partir de la mesure de la pente de fil. In Proceedings of the 22ème Congrès Français de Mécanique, Lyon, France, 24–28 August 2015. [Google Scholar]
- Hu, C.; Tanaka, C.; Ohtani, T. On-line determination of the grain angle using ellipse analysis of the laser light scattering pattern image. J. Wood Sci 2004, 50, 321–326. [Google Scholar] [CrossRef]
- Nyström, J. Automatic measurement of fiber orientation in softwoods by using the tracheid effect. Comput. Electron. Agric. 2003, 41, 91–99. [Google Scholar] [CrossRef]
- Simonaho, S.-P.; Palviainen, J.; Tolonen, Y.; Silvennoinen, R. Determination of wood grain direction from laser light scattering pattern. Opt. Lasers Eng. 2004, 41, 95–103. [Google Scholar] [CrossRef]
- Zhou, J.; Shen, J. Ellipse detection and phase demodulation for wood grain orientation measurement based on the tracheid effect. Opt. Lasers Eng. 2003, 39, 73–89. [Google Scholar] [CrossRef]
- OpenCV Team. OpenCV; OpenCV Team: San Francisco, CA, USA, 2019. [Google Scholar]
- Olsson, A.; Pot, G.; Viguier, J.; Faydi, Y.; Oscarsson, J. Performance of strength grading methods based on fibre orientation and axial resonance frequency applied to Norway spruce (Picea abies L.), Douglas fir (Pseudotsuga menziesii (Mirb.) Franco) and European oak (Quercus petraea (Matt.) Liebl/Quercus robur L.). Ann. For. Sci. 2018, 75. [Google Scholar] [CrossRef]
- Purba, C.Y.C.; Viguier, J.; Denaud, L.; Marcon, B. Contactless moisture content measurement on green veneer based on laser light scattering patterns. Wood Sci. Technol. 2020. [Google Scholar] [CrossRef]
- McKenzie, W.M. Fundamental Analysis of The Wood-Cutting Process; University of Michigan: Ann Arb, MI, USA, 1961. [Google Scholar]
- Hein, S.; Weiskittel, A.R.; Kohnle, U. Models on Branch Characteristics of Wide-Spaced Douglas-fir. For. Growth Timber Qual. Crown Models Simul. Methods Sustain. For. Manag. 2009, 12, 23. [Google Scholar]
- Kronos Group. OpenGL; Kronos Group: Beaverton, OR, USA, 2019. [Google Scholar]
- Foley, C. A three-dimensional paradigm of fiber orientation in timber. Wood Sci. Technol. 2001, 35, 453–465. [Google Scholar] [CrossRef]
- Phillips, G.; Bodig, J.; Goodman, J. Flow-grain analogy [Physical properties of coniferous wood]. Text. Chem. Colorist 1981, 14, 55. [Google Scholar]











|
Location (mm) |
Diameter (mm) |
Insertion Angle (°) |
Azimuth (°) | Living Branch Ratio |
|---|---|---|---|---|
| 617.0 | 42.0 | 78.0 | 101 | 0.6 |
| 444.7 | 60.6 | 80.5 | 182 | 1.0 |
| 424.1 | 35.9 | 80.0 | 344 | 0.6 |
| 410.2 | 61.6 | 82.0 | 133 | 1.0 |
| 417.1 | 37.8 | 80.0 | 264 | 0.6 |
| 393.6 | 34.9 | 71.0 | 50 | 0.6 |
| 338.2 | 25.6 | 80.0 | 306 | 0.6 |
| 328.3 | 25.5 | 80.0 | 182 | 0.6 |
| 259.9 | 20.1 | 80.0 | 141 | 0.6 |
| 238.8 | 20.5 | 80.0 | 283 | 0.6 |
| 115.5 | 39.0 | 80.0 | 221 | 0.6 |
|
Location (mm) |
Diameter (mm) |
Insertion Angle (°) |
Azimuth (°) | Living Branch Ratio |
|---|---|---|---|---|
| 450.7 | 38.6 | 80.0 | 190 | 0.6 |
| 429.5 | 41.0 | 87.0 | 21 | 0.6 |
| 428.2 | 33.7 | 80.0 | 315 | 0.6 |
| 418.4 | 33.2 | 80.0 | 254 | 0.6 |
| 372.5 | 55.0 | 81.0 | 120 | 1.0 |
| 347.5 | 35.0 | 80.0 | 38 | 0.6 |
| 277.2 | 25.6 | 80.0 | 110 | 0.6 |
| 225.0 | 30.0 | 80.0 | 38 | 0.6 |
| 140.0 | 20.0 | 80.0 | 101 | 0.6 |
|
Knot Radius Range (mm) | Number of Knots | Number of Ellipses from 1 to 5 Radii |
|---|---|---|
| 3 ≤ knot size < 8 | 37 | 1311 |
| 8 ≤ knot size < 13 | 96 | 17,026 |
| 13 ≤ knot size < 18 | 33 | 11,934 |
| 18 ≤ knot size < 23 | 84 | 47,859 |
| 23 ≤ knot size < 28 | 37 | 37,119 |
| Value | |
|---|---|
© 2020 by the authors. Licensee MDPI, Basel, Switzerland. This article is an open access article distributed under the terms and conditions of the Creative Commons Attribution (CC BY) license (http://creativecommons.org/licenses/by/4.0/).
Share and Cite
Frayssinhes, R.; Girardon, S.; Denaud, L.; Collet, R. Modeling the Influence of Knots on Douglas-Fir Veneer Fiber Orientation. Fibers 2020, 8, 54. https://doi.org/10.3390/fib8090054
Frayssinhes R, Girardon S, Denaud L, Collet R. Modeling the Influence of Knots on Douglas-Fir Veneer Fiber Orientation. Fibers. 2020; 8(9):54. https://doi.org/10.3390/fib8090054
Chicago/Turabian StyleFrayssinhes, Rémy, Stéphane Girardon, Louis Denaud, and Robert Collet. 2020. "Modeling the Influence of Knots on Douglas-Fir Veneer Fiber Orientation" Fibers 8, no. 9: 54. https://doi.org/10.3390/fib8090054
APA StyleFrayssinhes, R., Girardon, S., Denaud, L., & Collet, R. (2020). Modeling the Influence of Knots on Douglas-Fir Veneer Fiber Orientation. Fibers, 8(9), 54. https://doi.org/10.3390/fib8090054

