Surface Active Ionic Liquids Based Coatings as Subaerial Anti-Biofilms for Stone Built Cultural Heritage
Abstract
1. Introduction
- to use biocidal treatments to kill any biodeteriogen organisms, usually organized to form a biofilm on the monument surface;
- to apply designed material-coatings to prevent biofouling on a given surface.
2. Materials and Methods
2.1. Preparation
2.1.1. Materials
2.1.2. Instrumentation
2.1.3. Syntheses
N-(2-Hydroxyethyl)-N,N-Dimethyl-1-Heptanaminium Bromide (2)
N-(2-Hydroxyethyl)-N,N-Dimethyl-1-Dodecanaminium Bromide (3)
N,N’-Tetramethyl-N,N’-bis(2-Hydroxyethyl)-1,6-Hexanediaminium Dibromide (4)
N,N’-Tetramethyl-N,N’-bis(2-Hydroxyethyl)-1,8-Octanediaminium Diiodide (5)
N-(2-Hydroxyethyl)-N,N-Dimethyl-1-Heptanaminium Bromide Dodecylbenzenesulfonate (2a)
N-(2-Hydroxyethyl)-N,N-Dimethyl-1-Dodecanaminium Dodecylbenzenesulfonate (3a)
N,N’-Tetramethyl-N,N’-bis(2-Hydroxyethyl)-1,6-Hexanediaminium-Bisdodecylbenzenesulphonate (4a)
N,N’-Tetramethyl-N,N’-bis(2-Hydroxyethyl)-1,8-Octanediaminium-Bisdodecylbenzenesulphonate (5a)
2.2. Assessment of Antimicrobial and Antifouling Activity
2.2.1. Microbial Strains
2.2.2. Microbial Suspensions
2.2.3. Preparation of Stabilized Mixed Culture
2.2.4. Evaluation of Antimicrobial Activity
Minimum Inhibitory Concentration (MIC)
Agar Disc Diffusion Test
2.2.5. Evaluation of the Antifouling Efficacy of Coatings on Marble and Tufa Specimens
2.2.6. Contact Angle Measurements.
3. Results and Discussions
3.1. Syntheses and Characterization of the New Compounds
3.2. Determination of Biocidal Activity against Bacterial and Fungal Strains
3.3. Effectiveness of Products on Marble and Tufa Specimens
3.3.1. Contact Angle Measurements
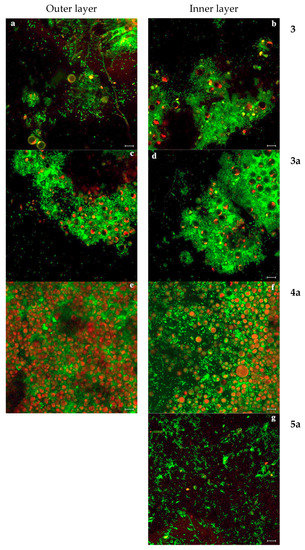
3.3.2. Compound Activity on Inoculated Specimens with Stabilized Mixed Suspension
Tufa Colonization
Performance of Compounds on Marble Specimens
Natural Colonization
4. Conclusions
Supplementary Materials
Author Contributions
Funding
Data Availability Statement
Acknowledgments
Conflicts of Interest
References
- Sterflinger, K. Fungi: Their role in deterioration of cultural heritage. Fungal Biol. Rev. 2010, 24, 47–55. [Google Scholar] [CrossRef]
- De Leo, F.; Antonelli, F.; Pietrini, A.M.; Ricci, S.; Urzì, C. Study of the euendolithic activity of black meristematic fungi isolated from a marble statue in the Quirinale Palace’s Gardens in Rome, Italy. Facies 2019, 65, 18. [Google Scholar] [CrossRef]
- Salvadori, O.; Municchia, A.C. The role of fungi and lichens in the biodeterioration of stone monuments. Open Conf. Proc. J. 2016, 7, 39–54. [Google Scholar] [CrossRef]
- Saiz-Jimenez, C.; Miller, A.Z.; Martin-Sanchez, P.M.; Hernández-Mariné, M. Uncovering the origin of the black stains in Lascaux Cave in France. Environ. Microbiol. 2012, 14, 3220–3231. [Google Scholar] [CrossRef] [PubMed]
- Urzì, C.; De Leo, F.; Bruno, L.; Albertano, P. Microbial diversity in paleolithic caves: A study case on the phototrophic biofilms of the cave of bats (Zuheros, Spain). Microb. Ecol. 2010, 60, 116–129. [Google Scholar] [CrossRef] [PubMed]
- Krakova, L.; De Leo, F.; Bruno, L.; Pangallo, D.; Urzì, C. Complex bacterial diversity in the white biofilms of the Catacombs of St. Callixtus in Rome evidenced by different investigation strategies. Environ. Microbiol. 2015, 17, 1738–1752. [Google Scholar] [CrossRef] [PubMed]
- Ortega-Calvo, J.J.; Ariño, X.; Hernández-Mariné, M.; Saiz-Jimenez, C. Factors affecting the weathering and colonization of monuments by phototrophic microorganisms. Sci. Total. Environ. 1995, 167, 329–341. [Google Scholar] [CrossRef]
- Schiavo, S.L.; De Leo, F.; Urzì, C. Present and future perspectives for biocides and antifouling products for stone-built cultural heritage: Ionic liquids as a challenging alternative. Appl. Sci. 2020, 10, 6568. [Google Scholar] [CrossRef]
- Pinna, D. Coping with Biological Growth on Stone Heritage Objects: Methods, Products, Applications, and Perspectives; Apple Academic Press: Oakville, ON, Canada, 2017; ISBN 9781771885324. [Google Scholar]
- Artesani, A.; Di Turo, F.; Zucchelli, M.; Traviglia, A. Recent advances in protective coatings for cultural heritage—An overview. Coatings 2020, 10, 217. [Google Scholar] [CrossRef]
- Reyes-Estebanez, M.; Ortega-Morales, B.O.; Chan-Bacab, M.; Granados-Echegoyen, C.; Camacho-Chab, J.C.; Pereañez-Sacarias, J.E.; Gaylarde, C.C. Antimicrobial engineered nanoparticles in the built cultural heritage context and their ecotoxicological impact on animals and plants: A brief review. Herit. Sci. 2018, 6, 52. [Google Scholar] [CrossRef]
- Zabeo, A.; Giubilato, E.; Badetti, E.; Picone, M.; Ghirardini, A.V.; Hristozov, D.; Brunelli, A.; Marcomini, A. Guiding the development of sustainable nano-enabled products for the conservation of works of art: Proposal for a framework implementing the safe by design concept. Environ. Sci. Pollut. Res. 2019, 26, 26146–26158. [Google Scholar] [CrossRef]
- David, M.E.; Ion, R.-M.; Grigorescu, R.M.; Iancu, L.; Andrei, R.E. Nanomaterials used in conservation and restoration of cultural heritage: An up-to-date overview. Materials 2020, 13, 2064. [Google Scholar] [CrossRef] [PubMed]
- Manoudis, P.N.; Karapanagiotis, I.; Tsakalof, A.; Zuburtikudis, I.; Kolinkeová, B.; Panayiotou, C. Superhydrophobic films for the protection of outdoor cultural heritage assets. Appl. Phys. A 2009, 97, 351–360. [Google Scholar] [CrossRef]
- Pinho, L.; Mosquera, M.J. Titania-silica nanocomposite photocatalysts with application in stone self-cleaning. J. Phys. Chem. C 2011, 115, 22851–22862. [Google Scholar] [CrossRef]
- Lejars, M.; Margaillan, A.; Bressy, C. Fouling release coatings: A nontoxic alternative to biocidal antifouling coatings. Chem. Rev. 2012, 112, 4347–4390. [Google Scholar] [CrossRef] [PubMed]
- Zarzuela, R.; Luna, M.; Carrascosa, L.A.M.; Mosquera, M.J. Preserving cultural heritage stone: Innovative consolidant, superhydrophobic, self-cleaning, and biocidal products. In Advanced Materials for the Conservation of Stone; Hosseini, M., Karapanagiotis, I., Eds.; Springer Science and Business Media LLC: Cham, Switzerland, 2018; pp. 259–275. [Google Scholar]
- Ruffolo, S.A.; La Russa, M.F. Nanostructured coatings for stone protection: An overview. Front. Mater. 2019, 6, 147. [Google Scholar] [CrossRef]
- Plechkova, N.V.; Seddon, K.R. Applications of ionic liquids in the chemical industry. Chem. Soc. Rev. 2008, 37, 123–150. [Google Scholar] [CrossRef]
- Welton, T. Ionic liquids: A brief history. Biophys. Rev. 2018, 10, 691–706. [Google Scholar] [CrossRef]
- Cardiano, P.; Lazzara, G.; Manickam, S.; Mineo, P.G.; Milioto, S.; Schiavo, S.L. POSS-Tetraalkylammonium salts: A new class of ionic liquids. Eur. J. Inorg. Chem. 2012, 2012, 5668–5676. [Google Scholar] [CrossRef]
- Castriciano, M.A.; Leone, N.; Cardiano, P.; Manickam, S.; Scolaro, L.M.; Schiavo, S.L. A new supramolecular polyhedral oligomeric silsesquioxanes (POSS)–porphyrin nanohybrid: Synthesis and spectroscopic characterization. J. Mater. Chem. C 2013, 1, 4746–4753. [Google Scholar] [CrossRef]
- Cardiano, P.; Fazio, E.; Lazzara, G.; Manickam, S.; Milioto, S.; Neri, F.; Mineo, P.; Piperno, A.; Schiavo, S.L. Highly untangled multiwalled carbon nanotube@polyhedral oligomeric silsesquioxane ionic hybrids: Synthesis, characterization and nonlinear optical properties. Carbon 2015, 86, 325–337. [Google Scholar] [CrossRef]
- Pendleton, J.N.; Gilmore, B.F. The antimicrobial potential of ionic liquids: A source of chemical diversity for infection and biofilm control. Int. J. Antimicrob. Agents 2015, 46, 131–139. [Google Scholar] [CrossRef] [PubMed]
- Guo, J.; Xu, Q.; Zheng, Z.; Zhou, S.; Mao, H.; Wang, B.; Yan, F. Intrinsically antibacterial poly(ionic liquid) membranes: The synergistic effect of anions. ACS Macro Lett. 2015, 4, 1094–1098. [Google Scholar] [CrossRef]
- Egorova, K.S.; Gordeev, E.G.; Ananikov, V.P. Biological activity of ionic liquids and their application in pharmaceutics and medicine. Chem. Rev. 2017, 117, 7132–7189. [Google Scholar] [CrossRef] [PubMed]
- Benedetto, A.; Ballone, P. Room-temperature ionic liquids and biomembranes: Setting the stage for applications in pharmacology, biomedicine, and bionanotechnology. Langmuir 2018, 34, 9579–9597. [Google Scholar] [CrossRef] [PubMed]
- Cardiano, P.; Mineo, P.; Neri, F.; Schiavo, S.L.; Piraino, P. A new application of ionic liquids: Hydrophobic properties of tetraalkylammonium-based poly(ionic liquid)s. J. Mater. Chem. 2008, 18, 1253–1260. [Google Scholar] [CrossRef]
- Plechkova, N.V.; Seddon, K.R. Ionic Liquids:“Designer” Solvents for Green Chemistry: An Introduction; Tundo, P., Perosa, A., Zecchini, F., Eds.; John Wiley & Sons, Inc: Hoboken, NJ, USA, 2007; pp. 103–130. [Google Scholar]
- Petkovic, M.; Seddon, K.R.; Rebelo, L.P.N.; Pereira, C.S. Ionic liquids: A pathway to environmental acceptability. Chem. Soc. Rev. 2011, 40, 1383–1403. [Google Scholar] [CrossRef]
- Santos, J.I.; Gonçalves, A.M.M.; Pereira, J.; Figueiredo, B.F.H.T.; Silva, F.A.E.; Coutinho, J.A.P.; Ventura, S.P.M.; Gonçalves, F. Environmental safety of cholinium-based ionic liquids: Assessing structure–ecotoxicity relationships. Green Chem. 2015, 17, 4657–4668. [Google Scholar] [CrossRef]
- Jordan, A.; Gathergood, N. Biodegradation of ionic liquids—A critical review. Chem. Soc. Rev. 2015, 44, 8200–8237. [Google Scholar] [CrossRef]
- Ferraz, R.; Branco, L.C.; Prudêncio, C.; Noronha, J.P.; Petrovski, Ž. Ionic liquids as active pharmaceutical ingredients. ChemMedChem 2011, 6, 975–985. [Google Scholar] [CrossRef]
- De Leo, F.; Cardiano, P.; De Carlo, G.; Schiavo, S.L.; Urzì, C. Testing the antimicrobial properties of an upcoming “environmental-friendly” family of ionic liquids. J. Mol. Liq. 2017, 248, 81–85. [Google Scholar] [CrossRef]
- Silva, F.A.E.; Siopa, F.; Figueiredo, B.F.; Gonçalves, A.M.M.; Pereira, J.L.; Gonçalves, F.J.M.; Coutinho, J.A.P.; Afonso, C.A.M.; Ventura, S.P. Sustainable design for environment-friendly mono and dicationic cholinium-based ionic liquids. Ecotoxicol. Environ. Saf. 2014, 108, 302–310. [Google Scholar] [CrossRef] [PubMed]
- Siopa, F.; Figueiredo, T.; Frade, R.F.M.; Neto, I.; Meirinhos, A.; Reis, C.P.; Sobral, R.G.; Afonso, C.A.M.; Rijo, P. Choline-based ionic liquids: Improvement of antimicrobial activity. Chem. Select 2016, 1, 5909–5916. [Google Scholar] [CrossRef]
- Rippka, R.; Stanier, R.Y.; Deruelles, J.; Herdman, M.; Waterbury, J.B. Generic assignments, strain histories and properties of pure cultures of cyanobacteria. J. Gen. Microbiol. 1979, 111, 1–61. [Google Scholar] [CrossRef]
- Bunt, J.S.; Rovira, A.D. Microbiological studies of some subantarctic soils. Eur. J. Soil Sci. 1955, 6, 119–128. [Google Scholar] [CrossRef]
- Urzì, C.; Brusetti, L.; Salamone, P.; Sorlini, C.; Stackebrandt, E.; Daffonchio, D. Biodiversity of Geodermatophilaceae isolated from altered stones and monuments in the Mediterranean basin. Environ. Microbiol. 2001, 3, 471–479. [Google Scholar] [CrossRef]
- Andrews, J.M. Determination of minimum inhibitory concentrations. J. Antimicrob. Chemother. 2001, 48, 5–16. [Google Scholar] [CrossRef]
- Bauer, A.W.; Kirby, W.M.; Sherris, J.C.; Turck, M. Antibiotic susceptibility testing by a standardized single disk method. Tech. Bull. Regist. Med Technol. 1966, 36, 493–496. [Google Scholar] [CrossRef]
- Commissione Normal. Raccomandazioni Normal: 38/93. Valutazione Sperimentale Dell’efficacia Dei Biocidi; C.N.R.—I.C.R.: Rome, Italy, 1993. [Google Scholar]
- NCCLS. Method for Antifungal Disk Diffusion Susceptibility Testing of Yeasts; Approved Guideline; NCCLS: Wayne, PA, USA, 2004; ISBN 1-56238-532-1. [Google Scholar]
- Urzì, C.; De Leo, F. Sampling with adhesive tape strips: An easy and rapid method to monitor microbial colonization on monument surfaces. J. Microbiol. Methods 2001, 44, 1–11. [Google Scholar] [CrossRef]
- Urzì, C.; Albertano, P. Studying phototrophic and heterotrophic microbial communities on stone monuments. In Methods in Enzymology; Doyle, R.J., Ed.; Academic Press: Cambridge, MA, USA, 2001; Volume 336, pp. 340–355. [Google Scholar] [CrossRef]
- Brown, P.; Butts, C.P.; Eastoe, J.; Grillo, I.; James, C.; Khan, A. New catanionic surfactants with ionic liquid properties. J. Colloid Interface Sci. 2013, 395, 185–189. [Google Scholar] [CrossRef]
- Reddy, S.T.; Sivaramakrishna, D.; Swamy, M.J. Physicochemical characterization of lauryl glycinate-dodecyl sulfate equimolar complex: A base-triggerable catanionic liposomal system. Colloids Surf. A Physicochem. Eng. Asp. 2017, 516, 139–146. [Google Scholar] [CrossRef]
- García, M.T.; Ribosa, I.; Gonzalez, J.J.; Comelles, F. Surface activity, self-aggregation and antimicrobial activity of catanionic mixtures of surface active imidazolium- or pyridinium-based ionic liquids and sodium bis(2-ethylhexyl) sulfosuccionate. J. Mol. Liq. 2020, 303, 112637. [Google Scholar] [CrossRef]
- Hendrix, D.; McKeon, J.; Wille, K. Behavior of colloidal nanosilica in an ultrahigh performance concrete environment using dynamic light scattering. Materials 2019, 12, 1976. [Google Scholar] [CrossRef]
- Manickam, S.; Cardiano, P.; Mineo, P.; Schiavo, S.L. Star-shaped quaternary alkylammonium polyhedral oligomeric silsesquioxane ionic liquids. Eur. J. Inorg. Chem. 2014, 2014, 2704–2710. [Google Scholar] [CrossRef]
- Urzì, C.; De Leo, F.; Krakova, L.; Pangallo, D.; Bruno, L. Effects of biocide treatments on the biofilm community in Domitilla’s catacombs in Rome. Sci. Total Environ. 2016, 572, 252–262. [Google Scholar] [CrossRef]
- Majumdar, P.; Lee, E.; Gubbins, N.; Christianson, D.A.; Stafslien, S.J.; Daniels, J.; Vanderwal, L.; Bahr, J.; Chisholm, B.J. Combinatorial materials research applied to the development of new surface coatings XIII: An investigation of polysiloxane antimicrobial coatings containing tethered quaternary ammonium salt groups. J. Comb. Chem. 2009, 11, 1115–1127. [Google Scholar] [CrossRef] [PubMed]
- Shimizu, K.; Tariq, M.; Freitas, A.A.; Pádua, A.A.H.; Lopes, J.N.C. Self-organization in ionic liquids: From bulk to interfaces and films. J. Braz. Chem. Soc. 2015, 27, 349–362. [Google Scholar] [CrossRef]
- Borkowski, A.; Syczewski, M.; Czarnecka-Skwarek, A. Ionic liquids strongly affect the interaction of bacteria with magnesium oxide and silica nanoparticles. RSC Adv. 2019, 9, 28724–28734. [Google Scholar] [CrossRef]










| Compounds | MBC (µmol/mL) | |
|---|---|---|
| Gram (+) BC657 | Gram (−) BC656 | |
| 2 | 18.75 | 18.75 |
| 2a | 2.34 | 0 |
| 3 | 4.7 | 2.4 |
| 3a | 0.6 | 9.4 |
| 4 | 0 | 0 |
| 4a | 2.35 | 0 |
| 5 | 0 | 0 |
| 5a | 0.15 | 0 |
| Compounds | Diameter of Inhibition (mm) | |
|---|---|---|
| MC875 | MC853 | |
| 2 | 13.5 | 0 |
| 2a | 10.5 | 0 |
| 3 | 40 | 27.5 |
| 3a | 27.5 | 12 |
| 4 | 0 | 0 |
| 4a | 7.5 | 0 |
| 5 | 0 | 0 |
| 5a | 13 | 0 |
| Compounds | Contact Angle | |
|---|---|---|
| Tufa | Marble | |
| Untreated | 84° | 73° |
| NanoEstel | 81° | 72° |
| 2 | 70° | 71° |
| 2a | 76° | 73° |
| 3 | 66° | 76° |
| 3a | 65° | 74° |
| 4a | 63° | 66° |
| 5a | 48° | 57° |
| Coatings | 30 Days | 60 Days | 90 Days | |||
|---|---|---|---|---|---|---|
| Tufa | Marble | Tufa | Marble | Tufa | Marble | |
| Untreated | + | − | ++ | − | +++ | + |
| NanoEstel | + | − | ++ | − | +++ | + |
| 2 | + | − | ++ | − | +++ | − |
| 2a | + | − | ++ | − | +++ | − |
| 3 | − | − | − | − | − | − |
| 3a | − | − | − | − | − | − |
| 4a | + | − | ++ | − | +++ | + |
| 5a | + | − | ++ | − | +++ | + |
Publisher’s Note: MDPI stays neutral with regard to jurisdictional claims in published maps and institutional affiliations. |
© 2020 by the authors. Licensee MDPI, Basel, Switzerland. This article is an open access article distributed under the terms and conditions of the Creative Commons Attribution (CC BY) license (http://creativecommons.org/licenses/by/4.0/).
Share and Cite
De Leo, F.; Marchetta, A.; Capillo, G.; Germanà, A.; Primerano, P.; Schiavo, S.L.; Urzì, C. Surface Active Ionic Liquids Based Coatings as Subaerial Anti-Biofilms for Stone Built Cultural Heritage. Coatings 2021, 11, 26. https://doi.org/10.3390/coatings11010026
De Leo F, Marchetta A, Capillo G, Germanà A, Primerano P, Schiavo SL, Urzì C. Surface Active Ionic Liquids Based Coatings as Subaerial Anti-Biofilms for Stone Built Cultural Heritage. Coatings. 2021; 11(1):26. https://doi.org/10.3390/coatings11010026
Chicago/Turabian StyleDe Leo, Filomena, Alessia Marchetta, Gioele Capillo, Antonino Germanà, Patrizia Primerano, Sandra Lo Schiavo, and Clara Urzì. 2021. "Surface Active Ionic Liquids Based Coatings as Subaerial Anti-Biofilms for Stone Built Cultural Heritage" Coatings 11, no. 1: 26. https://doi.org/10.3390/coatings11010026
APA StyleDe Leo, F., Marchetta, A., Capillo, G., Germanà, A., Primerano, P., Schiavo, S. L., & Urzì, C. (2021). Surface Active Ionic Liquids Based Coatings as Subaerial Anti-Biofilms for Stone Built Cultural Heritage. Coatings, 11(1), 26. https://doi.org/10.3390/coatings11010026

