Rational Construction of a Mitochondria-Targeted Reversible Fluorescent Probe with Intramolecular FRET for Ratiometric Monitoring Sulfur Dioxide and Formaldehyde
Abstract
:1. Introduction
2. Materials and Methods
2.1. Synthesis of the Probe
2.1.1. Synthesis of Compound 2
2.1.2. Synthesis of Compound 3
2.1.3. Synthesis of the Probe
2.2. Fluorescence Spectra Measurements
2.3. Cell Culture and Imaging
2.4. Living Zebrafish Imaging
3. Results and Discussion
3.1. FRET Effect between the Acceptor Benzopyrylium and Donor BODIPY
3.2. Fluorescence Spectra of B2P for Sulfur Dioxide Monitoring
3.3. Fluorescence Spectra of the Probe for B2P–SO2 Addition Adducts toward FA
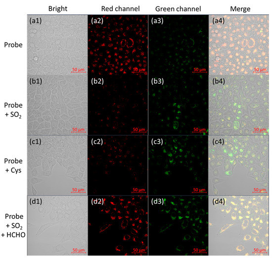
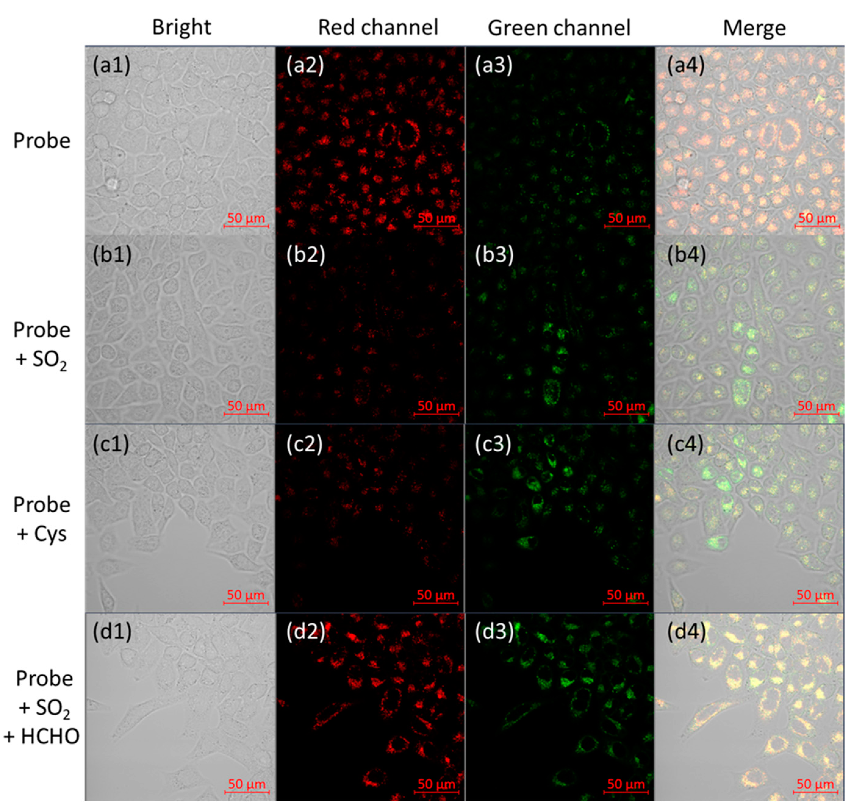
3.4. Cellular Imaging of B2P
3.5. Localization of the Probe in Cells
3.6. Live Zebrafish Imaging
4. Conclusions
Supplementary Materials
Author Contributions
Funding
Institutional Review Board Statement
Informed Consent Statement
Data Availability Statement
Acknowledgments
Conflicts of Interest
References
- Sies, H. Oxidative Eustress: On Constant Alert for Redox Homeostasis. Redox Biol. 2021, 41, 101867. [Google Scholar] [CrossRef] [PubMed]
- Kruk, J.; Aboul-Enein, H.Y.; Kładna, A.; Bowser, J.E. Oxidative Stress in Biological Systems and Its Relation with Pathophysiological Functions: The Effect of Physical Activity on Cellular Redox Homeostasis. Free Radic. Res. 2019, 53, 497–521. [Google Scholar] [CrossRef] [PubMed]
- He, L.; He, T.; Farrar, S.; Ji, L.; Liu, T.; Ma, X. Antioxidants Maintain Cellular Redox Homeostasis by Elimination of Reactive Oxygen Species. Cell. Physiol. Biochem. 2017, 44, 532–553. [Google Scholar] [CrossRef] [PubMed]
- Huang, Y.; Li, Z.; Zhang, L.; Tang, H.; Zhang, H.; Wang, C.; Chen, S.Y.; Bu, D.; Zhang, Z.; Zhu, Z.; et al. Endogenous SO2-Dependent Smad3 Redox Modification Controls Vascular Remodeling. Redox Biol. 2021, 41, 101898. [Google Scholar] [CrossRef]
- Huang, X.-L.; Liu, Y.; Zhou, J.-L.; Qin, Y.-C.; Ren, X.-B.; Zhou, X.-H.; Cao, H. Role of Sulfur Dioxide in Acute Lung Injury Following Limb Ischemia/Reperfusion in Rats. J. Biochem. Mol. Toxicol. 2013, 27, 389–397. [Google Scholar] [CrossRef]
- Li, J.; Meng, Z. The Role of Sulfur Dioxide as an Endogenous Gaseous Vasoactive Factor in Synergy with Nitric Oxide. Nitric Oxide-Biol. Chem. 2009, 20, 166–174. [Google Scholar] [CrossRef]
- Venkatesh, Y.; Das, J.; Chaudhuri, A.; Karmakar, A.; Maiti, T.K.; Singh, N.D.P. Light Triggered Uncaging of Hydrogen Sulfide (H2S) with Real-Time Monitoring. Chem. Commun. 2018, 54, 3106–3109. [Google Scholar] [CrossRef]
- Wang, R. Physiological Implications of Hydrogen Sulfide: A Whiff Exploration That Blossomed. Physiol. Rev. 2012, 92, 791–896. [Google Scholar] [CrossRef]
- Motterlini, R.; Otterbein, L.E. The Therapeutic Potential of Carbon Monoxide. Nat. Rev. Drug Discov. 2010, 9, 728–743. [Google Scholar] [CrossRef]
- Venkatesh, Y.; Vangala, V.; Mengji, R.; Chaudhuri, A.; Bhattacharya, S.; Datta, P.K.; Banerjee, R.; Jana, A.; Singh, N.D.P. One- and Two-Photon Uncaging of Carbon Monoxide (CO) with Real-Time Monitoring: On-Demand Carbazole-Based Dual CO-Releasing Platform to Test over Single and Combinatorial Approaches for the Efficient Regression of Orthotopic Murine Melanoma In Vivo. J. Med. Chem. 2022, 65, 1822–1834. [Google Scholar] [CrossRef]
- Sang, N.; Yun, Y.; Li, H.; Hou, L.; Han, M.; Li, G. SO2 Inhalation Contributes to the Development and Progression of Ischemic Stroke in the Brain. Toxicol. Sci. 2010, 114, 226–236. [Google Scholar] [CrossRef] [PubMed]
- Jin, H.F.; Du, J.B.; Tang, C.S. Introduction: Frontiers in Research Series: The Pathophysiological Significance of Sulphur-Containing Gases. Clin. Exp. Pharmacol. Physiol. 2010, 37, 743–744. [Google Scholar] [CrossRef]
- Tang, X.; Bai, Y.; Duong, A.; Smith, M.T.; Li, L.; Zhang, L. Formaldehyde in China: Production, Consumption, Exposure Levels, and Health Effects. Environ. Int. 2009, 35, 1210–1224. [Google Scholar] [CrossRef] [PubMed]
- Szarvas, T.; Szatlóczky, E.; Volford, J.; Trézl, L.; Tyihák, E.; Rusznák, I. Determination of Endogenous Formaldehyde Level in Human Blood and Urine by Dimedone-14C Radiometric Method. J. Radioanal. Nucl. Chem. Lett. 1986, 106, 357–367. [Google Scholar] [CrossRef]
- Pontel, L.B.; Rosado, I.V.; Burgos-Barragan, G.; Garaycoechea, J.I.; Yu, R.; Arends, M.J.; Chandrasekaran, G.; Broecker, V.; Wei, W.; Liu, L.; et al. Endogenous Formaldehyde Is a Hematopoietic Stem Cell Genotoxin and Metabolic Carcinogen. Mol. Cell 2015, 60, 177–188. [Google Scholar] [CrossRef]
- Reingruber, H.; Pontel, L.B. Formaldehyde Metabolism and Its Impact on Human Health. Curr. Opin. Toxicol. 2018, 9, 28–34. [Google Scholar] [CrossRef]
- National Toxicology Program. Final Report on Carcinogens Background Document for Formaldehyde. Rep. Carcinog. Backgr. Doc. 2010, 10-5981, i-512. [Google Scholar]
- Tibbetts, A.S.; Appling, D.R. Compartmentalization of Mammalian Folate-Mediated One-Carbon Metabolism. Annu. Rev. Nutr. 2010, 30, 57–81. [Google Scholar] [CrossRef]
- Zhang, Y.; Yang, Y.; He, X.; Yang, P.; Zong, T.; Sun, P.; Sun, R.; Yu, T.; Jiang, Z. The Cellular Function and Molecular Mechanism of Formaldehyde in Cardiovascular Disease and Heart Development. J. Cell. Mol. Med. 2021, 25, 5358–5371. [Google Scholar] [CrossRef]
- Deng, T.; Wang, X.; Wu, S.; Hu, S.; Liu, W.; Chen, T.; Yu, Z.; Xu, Q.; Liu, F. A New FRET Probe for Ratiometric Fluorescence Detecting Mitochondria-Localized Drug Activation and Imaging Endogenous Hydroxyl Radicals in Zebrafish. Chem. Commun. 2020, 56, 4432–4435. [Google Scholar] [CrossRef]
- Wu, Y.; Huang, W.; Peng, D.; Huang, X.; Gu, J.; Wu, S.; Deng, T.; Liu, F. Synthesis of Dihydroquinolines as Scaffolds for Fluorescence Sensing of Hydroxyl Radical. Org. Lett. 2021, 23, 135–139. [Google Scholar] [CrossRef] [PubMed]
- Bao, X.; Ai, K.; Cao, X.; Chen, D.; Zhou, B.; Huo, C. A Dual-Site and Dual-Turn-on Fluorescence Probe for Imaging Mitochondrial HClO and SO2. Dye. Pigment. 2022, 197, 109928. [Google Scholar] [CrossRef]
- Chen, G.; Zhou, W.; Zhao, C.; Liu, Y.; Chen, T.; Li, Y.; Tang, B. Rationally Optimized Fluorescent Probe for Imaging Mitochondrial SO2 in HeLa Cells and Zebrafish. Anal. Chem. 2018, 90, 12442–12448. [Google Scholar] [CrossRef] [PubMed]
- Han, J.; Yang, S.; Wang, B.; Song, X. Tackling the Selectivity Dilemma of Benzopyrylium–Coumarin Dyes in Fluorescence Sensing of HClO and SO2. Anal. Chem. 2021, 93, 5194–5200. [Google Scholar] [CrossRef] [PubMed]
- Ma, Y.; Tang, Y.; Zhao, Y.; Gao, S.; Lin, W. Two-Photon and Deep-Red Emission Ratiometric Fluorescent Probe with a Large Emission Shift and Signal Ratios for Sulfur Dioxide: Ultrafast Response and Applications in Living Cells, Brain Tissues, and Zebrafishes. Anal. Chem. 2017, 89, 9388–9393. [Google Scholar] [CrossRef]
- Ma, Y.; Tang, Y.; Zhao, Y.; Lin, W. Rational Design of a Reversible Fluorescent Probe for Sensing Sulfur Dioxide/Formaldehyde in Living Cells, Zebrafish, and Living Mice. Anal. Chem. 2019, 91, 10723–10730. [Google Scholar] [CrossRef]
- Ma, Y.; Gao, W.; Zhu, L.; Zhao, Y.; Lin, W. Development of a Unique Reversible Fluorescent Probe for Tracking Endogenous Sulfur Dioxide and Formaldehyde Fluctuation: In Vivo. Chem. Commun. 2019, 55, 11263–11266. [Google Scholar] [CrossRef]
- Zhang, W.; Huo, F.; Zhang, Y.; Chao, J.; Yin, C. Mitochondria-Targeted NIR Fluorescent Probe for Reversible Imaging H2O2/SO2 Redox Dynamics in Vivo. Sens. Actuators B Chem. 2019, 297, 126747. [Google Scholar] [CrossRef]
- Wu, L.; Huang, C.; Emery, B.P.; Sedgwick, A.C.; Bull, S.D.; He, X.-P.; Tian, H.; Yoon, J.; Sessler, J.L.; James, T.D. Förster Resonance Energy Transfer (FRET)-Based Small-Molecule Sensors and Imaging Agents. Chem. Soc. Rev. 2020, 49, 5110–5139. [Google Scholar] [CrossRef]
- Swedin, R.K.; Zatsikha, Y.V.; Healy, A.T.; Didukh, N.O.; Blesener, T.S.; Fathi-Rasekh, M.; Wang, T.; King, A.J.; Nemykin, V.N.; Blank, D.A. Rapid Excited-State Deactivation of BODIPY Derivatives by a Boron-Bound Catechol. J. Phys. Chem. Lett. 2019, 10, 1828–1832. [Google Scholar] [CrossRef]
- Ayala Orozco, C.; Liu, D.; Li, Y.; Alemany, L.B.; Pal, R.; Krishnan, S.; Tour, J.M. Visible-Light-Activated Molecular Nanomachines Kill Pancreatic Cancer Cells. ACS Appl. Mater. Interfaces 2020, 12, 410–417. [Google Scholar] [CrossRef] [PubMed]
- Boese, A.C.; Kang, S. Mitochondrial Metabolism-Mediated Redox Regulation in Cancer Progression. Redox Biol. 2021, 42, 101870. [Google Scholar] [CrossRef] [PubMed]
- Nigam, S.; Burke, B.P.; Davies, L.H.; Domarkas, J.; Wallis, J.F.; Waddell, P.G.; Waby, J.S.; Benoit, D.M.; Seymour, A.-M.; Cawthorne, C.; et al. Structurally Optimised BODIPY Derivatives for Imaging of Mitochondrial Dysfunction in Cancer and Heart Cells. Chem. Commun. 2016, 52, 7114–7117. [Google Scholar] [CrossRef]
- Pak, Y.L.; Li, J.; Ko, K.C.; Kim, G.; Lee, J.Y.; Yoon, J. Mitochondria-Targeted Reaction-Based Fluorescent Probe for Hydrogen Sulfide. Anal. Chem. 2016, 88, 5476–5481. [Google Scholar] [CrossRef] [PubMed]
- Jung, H.S.; Lee, J.-H.; Kim, K.; Koo, S.; Verwilst, P.; Sessler, J.L.; Kang, C.; Kim, J.S. A Mitochondria-Targeted Cryptocyanine-Based Photothermogenic Photosensitizer. J. Am. Chem. Soc. 2017, 139, 9972–9978. [Google Scholar] [CrossRef]
- Konken, C.P.; Haufe, G.; Brömmel, K.; Wünsch, B.; Schäfers, M.; Wagner, S.; Hugenberg, V. Development of Symmetric O-BODIPYs with Different Optical Properties as Building Blocks for the Synthesis of Ligands for Multimodal Imaging. Dye. Pigment. 2018, 158, 88–96. [Google Scholar] [CrossRef]
- Charron, D.M.; Zheng, G. Nanomedicine Development Guided by FRET Imaging. Nano Today 2018, 18, 124–136. [Google Scholar] [CrossRef]
- Yang, G.; Liu, Y.; Teng, J.; Zhao, C.-X. FRET Ratiometric Nanoprobes for Nanoparticle Monitoring. Biosensors 2021, 11, 505. [Google Scholar] [CrossRef]
- Stipanuk, M.H.; Ueki, I. Dealing with Methionine/Homocysteine Sulfur: Cysteine Metabolism to Taurine and Inorganic Sulfur. J. Inherit. Metab. Dis. 2011, 34, 17–32. [Google Scholar] [CrossRef] [PubMed]
- Bouillaud, F.; Blachier, F. Mitochondria and Sulfide: A Very Old Story of Poisoning, Feeding, and Signaling? Antioxid. Redox Signal. 2011, 15, 379–391. [Google Scholar] [CrossRef]
- Chen, T.-M.; Kuschner, W.G.; Gokhale, J.; Shofer, S. Outdoor Air Pollution: Nitrogen Dioxide, Sulfur Dioxide, and Carbon Monoxide Health Effects. Am. J. Med. Sci. 2007, 333, 249–256. [Google Scholar] [CrossRef] [PubMed]
- Mathew, N.D.; Schlipalius, D.I.; Ebert, P.R. Sulfurous Gases As Biological Messengers and Toxins: Comparative Genetics of Their Metabolism in Model Organisms. J. Toxicol. 2011, 2011, 394970. [Google Scholar] [CrossRef] [PubMed]
- Horton, K.L.; Stewart, K.M.; Fonseca, S.B.; Guo, Q.; Kelley, S.O. Mitochondria-Penetrating Peptides. Chem. Biol. 2008, 15, 375–382. [Google Scholar] [CrossRef] [PubMed] [Green Version]








Publisher’s Note: MDPI stays neutral with regard to jurisdictional claims in published maps and institutional affiliations. |
© 2022 by the authors. Licensee MDPI, Basel, Switzerland. This article is an open access article distributed under the terms and conditions of the Creative Commons Attribution (CC BY) license (https://creativecommons.org/licenses/by/4.0/).
Share and Cite
Lyu, J.; Wang, C.; Zhang, X. Rational Construction of a Mitochondria-Targeted Reversible Fluorescent Probe with Intramolecular FRET for Ratiometric Monitoring Sulfur Dioxide and Formaldehyde. Biosensors 2022, 12, 715. https://doi.org/10.3390/bios12090715
Lyu J, Wang C, Zhang X. Rational Construction of a Mitochondria-Targeted Reversible Fluorescent Probe with Intramolecular FRET for Ratiometric Monitoring Sulfur Dioxide and Formaldehyde. Biosensors. 2022; 12(9):715. https://doi.org/10.3390/bios12090715
Chicago/Turabian StyleLyu, Jinxiao, Chunfei Wang, and Xuanjun Zhang. 2022. "Rational Construction of a Mitochondria-Targeted Reversible Fluorescent Probe with Intramolecular FRET for Ratiometric Monitoring Sulfur Dioxide and Formaldehyde" Biosensors 12, no. 9: 715. https://doi.org/10.3390/bios12090715
APA StyleLyu, J., Wang, C., & Zhang, X. (2022). Rational Construction of a Mitochondria-Targeted Reversible Fluorescent Probe with Intramolecular FRET for Ratiometric Monitoring Sulfur Dioxide and Formaldehyde. Biosensors, 12(9), 715. https://doi.org/10.3390/bios12090715

