Comparative Evaluation of Mathematical Model and In Vivo Study of Calcium Phosphate Bone Grafts
Abstract
1. Introduction
2. Materials and Methods
2.1. Synthesis Procedure and Characterization
2.1.1. Material Synthesis
2.1.2. Phase Composition
2.1.3. Microstructure and Morphology
2.2. Solubility Experiment
2.2.1. Model I
2.2.2. Model II
2.3. Cell Culture
2.4. Cytotoxicity Assays
2.5. Implantation of Materials in Laboratory Animals
2.6. Mathematical Modeling and Statistical Analysis
3. Results
3.1. The Physico-Chemical Characteristics of Low-Temperature DCPD
3.2. Interaction of DCPD with Non-Organic Solutions
- (1)
- The calculation of the distribution of ionic forms in the SBF solution according to Table 1 and Equation (4).
- (2)
- The determination of ion activities.
- (3)
- The calculation of the thermodynamic driving force.
- (4)
- The application of a semi-empirical model to describe the kinetics of the processes.
- (5)
- The comparison of Model I and the data obtained for a static inorganic system.
- (6)
- The applicability of Model I to the description of a dynamic inorganic system.
- (7)
- The comparison of the semi-empirical model from (4) and the classical theory of nucleation.
- (8)
- The applicability of Model II to the description of a dynamic organic system.
3.3. Interaction of DCPD with Organic Solution
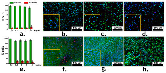
3.4. DCPD and Cell Line Interactions: Results of Cytotoxicity Analysis
3.5. In Vivo Interaction Between DCPD and the Organism
4. Discussion
5. Conclusions
Author Contributions
Funding
Institutional Review Board Statement
Informed Consent Statement
Data Availability Statement
Acknowledgments
Conflicts of Interest
References
- Dorozhkin, S.V. Calcium Orthophosphate (CaPO4) Containing Composites for Biomedical Applications: Formulations, Properties, and Applications. J. Compos. Sci. 2024, 8, 218. [Google Scholar] [CrossRef]
- Fortune Business Insights. Bone Void Fillers Market. Available online: https://www.fortunebusinessinsights.com/industry-reports/bone-void-fillers-market-101015 (accessed on 28 February 2024).
- Wang, L.; Nancollas, G.H. Calcium orthophosphates: Crystallization and Dissolution. Chem. Rev. 2008, 108, 4628–4669. [Google Scholar] [CrossRef]
- Christoffersen, J.; Christoffersen, M.R. A Revised Theory for the Growth of Crystals by Surface Nucleation. J. Cryst. Growth 1992, 121, 608–616. [Google Scholar] [CrossRef]
- Ucar, S.; Bjørnøy, S.H.; Bassett, D.C.; Strand, B.L.; Sikorski, P.; Andreassen, J.P. Transformation of Brushite to Hydroxyapatite and Effects of Alginate Additives. J. Cryst. Growth 2017, 468, 774–780. [Google Scholar] [CrossRef]
- Malkaj, P.; Pierri, E.; Dalas, E. The Crystallization of Hydroxyapatite in the Presence of Sodium Alginate. J. Mater. Sci. Mater. Med. 2005, 16, 733–737. [Google Scholar] [CrossRef] [PubMed]
- Lu, X.; Leng, Y. Theoretical Analysis of Calcium Phosphate Precipitation in Simulated Body Fluid. Biomaterials 2005, 26, 1097–1108. [Google Scholar] [CrossRef] [PubMed]
- Bastos, I.N.; Platt, G.M.; Andrade, M.C.; Soares, G.D. Theoretical Study of Tris and Bistris Effects on Simulated Body Fluids. J. Mol. Liq. 2008, 139, 121–130. [Google Scholar] [CrossRef]
- Song, Y.; Hahn, H.H.; Hoffmann, E. Effects of Solution Conditions on the Precipitation of Phosphate for Recovery: A Thermodynamic Evaluation. Chemosphere 2002, 48, 1029–1034. [Google Scholar] [CrossRef]
- Rabadjieva, D.; Sezanova, K.; Gergulova, R.; Titorenkova, R.; Tepavitcharova, S. Precipitation and Phase Transformation of Dicalcium Phosphate Dihydrate in Electrolyte Solutions of Simulated Body Fluids: Thermodynamic Modeling and Kinetic Studies. J. Biomed. Mater. Res. A 2020, 108, 1607–1616. [Google Scholar] [CrossRef]
- Krebs, H.A. Chemical Composition of Blood Plasma and Serum. Annu. Rev. Biochem. 1950, 19, 409–430. [Google Scholar] [CrossRef]
- Bacakova, L.; Filova, E.; Parizek, M.; Ruml, T.; Svorcik, V. Modulation of Cell Adhesion, Proliferation, and Differentiation on Materials Designed for Body Implants. Biotechnol. Adv. 2011, 29, 739–767. [Google Scholar] [CrossRef] [PubMed]
- Horbett, T.A. The Role of Adsorbed Proteins in Animal Cell Adhesion. Colloids Surf. B Biointerfaces 1994, 2, 225–240. [Google Scholar] [CrossRef]
- Rabe, M.; Verdes, D.; Seeger, S. Understanding Protein Adsorption Phenomena at Solid Surfaces. Adv. Colloid Interface Sci. 2011, 162, 87–106. [Google Scholar] [CrossRef]
- Kragh-Hansen, U.; Vorum, H. Quantitative analyses of the interaction between calcium ions and human serum albumin. Clin. Chem. 1993, 39, 202–208. [Google Scholar] [CrossRef]
- Majorek, K.A.; Porebski, P.J.; Dayal, A.; Zimmerman, M.D.; Jablonska, K.; Stewart, A.J.; Chruszcz, M.; Minor, W. Structural and Immunologic Characterization of Bovine, Horse, and Rabbit Serum Albumins. Mol. Immunol. 2012, 52, 174–182. [Google Scholar] [CrossRef]
- Wang, K.; Wang, M.; Wang, Q.; Lu, X.; Zhang, X. Computer Simulation of Proteins Adsorption on Hydroxyapatite Surfaces with Calcium Phosphate Ions. J. Eur. Ceram. Soc. 2017, 37, 2509–2520. [Google Scholar] [CrossRef]
- Mueller, B.; Zacharias, M.; Rezwan, K. Bovine Serum Albumin and Lysozyme Adsorption on Calcium Phosphate Particles. Adv. Eng. Mater. 2010, 12, B53–B61. [Google Scholar] [CrossRef]
- Liu, Y.; Hunziker, E.B.; Randall, N.X.; De Groot, K.; Layrolle, P. Proteins Incorporated into Biomimetically Prepared Calcium Phosphate Coatings Modulate Their Mechanical Strength and Dissolution Rate. Biomaterials 2003, 24, 65–70. [Google Scholar] [CrossRef]
- Dorozhkin, S.V.; Dorozhkina, E.I. The Influence of Bovine Serum Albumin on the Crystallization of Calcium Phosphates from a Revised Simulated Body Fluid. Colloids Surf. A Physicochem. Eng. Asp. 2003, 215, 191–199. [Google Scholar] [CrossRef]
- Areva, S.; Peltola, T.; Säilynoja, E.; Laajalehto, K.; Lindén, M.; Rosenholm, J.B. Effect of Albumin and Fibrinogen on Calcium Phosphate Formation on Sol–Gel-Derived Titania Coatings In Vitro. Chem. Mater. 2002, 14, 1614–1621. [Google Scholar] [CrossRef]
- Minaychev, V.V.; Smirnova, P.V.; Kobyakova, M.I.; Teterina, A.Y.; Smirnov, I.V.; Skirda, V.D.; Alexandrov, A.S.; Gafurov, M.R.; Shlykov, M.A.; Pyatina, K.V.; et al. Low-Temperature Calcium Phosphate Ceramics Can Modulate Monocytes and Macrophages Inflammatory Response In Vitro. Biomedicines 2024, 12, 263. [Google Scholar] [CrossRef] [PubMed]
- Liu, P.; Tao, J.; Cai, Y.; Pan, H.; Xu, X.; Tang, R. Role of Fetal Bovine Serum in the Prevention of Calcification in Biological Fluids. J. Cryst. Growth 2008, 310, 4672–4675. [Google Scholar] [CrossRef]
- Romberg, R.W.; Werness, P.G.; Riggs, B.L.; Mann, K.G. Inhibition of Hydroxyapatite-Crystal Growth by Bone-Specific and Other Calcium-Binding Proteins. Biochemistry 1986, 25, 1176–1180. [Google Scholar] [CrossRef]
- George, A.; Veis, A. Phosphorylated Proteins and Control over Apatite Nucleation, Crystal Growth, and Inhibition. Chem. Rev. 2008, 108, 4670–4693. [Google Scholar] [CrossRef]
- Xiao, D.; Zhang, J.; Zhang, C.; Barbieri, D.; Yuan, H.; Moroni, L.; Feng, G. The role of calcium phosphate surface structure in osteogenesis and the mechanisms involved. Acta Biomater. 2020, 106, 22–33. [Google Scholar] [CrossRef]
- Florencio-Silva, R.; da Silva Sasso, G.R.; Sasso-Cerri, E.; Simões, M.J.; Cerri, P.S. Biology of bone tissue: Structure, function, and factors that influence bone cells. BioMed Res. Int. 2015, 2015, 421746. [Google Scholar] [CrossRef] [PubMed]
- Pfeiffenberger, M.; Hoff, P.; Thöne-Reineke, C.; Buttgereit, F.; Lang, A.; Gaber, T. The in vitro human fracture hematoma model—A tool for preclinical drug testing. Altex 2020, 37, 335–345. [Google Scholar] [CrossRef]
- Kolar, P.; Schmidt-Bleek, K.; Schell, H.; Gaber, T.; Toben, D.; Schmidmaier, G.; Perka, C.; Buttgereit, F.; Duda, G.N. The early fracture hematoma and its potential role in fracture healing. Tissue Eng. Part B Rev. 2010, 16, 427–434. [Google Scholar] [CrossRef] [PubMed]
- Forte, L.; Torricelli, P.; Boanini, E.; Torricelli, P.; Boanini, E.; Gazzano, M.; Rubini, K.; Fini, M.; Bigi, A. Antioxidant and bone repair properties of quercetin-functionalized hydroxyapatite: An in vitro osteoblast-osteoclast-endothelial cell co-culture study. Acta Biomater. 2016, 32, 298–308. [Google Scholar] [CrossRef]
- Wu, L.; Feyerabend, F.; Schilling, A.F.; Willumeit-Römer, R.; Luthringer, B.J.C. Effects of extracellular magnesium extract on the proliferation and differentiation of human osteoblasts and osteoclasts in coculture. Acta Biomater. 2015, 27, 294–304. [Google Scholar] [CrossRef]
- Heinemann, S.; Heinemann, C.; Wenisch, S.; Alt, V.; Worch, H.; Hanke, T. Calcium phosphate phases integrated in silica/collagen nanocomposite xerogels enhance the bioactivity and ultimately manipulate the osteoblast/osteoclast ratio in a human co-culture model. Acta Biomater. 2013, 9, 4878–4888. [Google Scholar] [CrossRef] [PubMed]
- Papadimitropoulos, A.; Scherberich, A.; Güven, S.; Theilgaard, N.; Crooijmans, H.J.A.; Santini, F.; Scheffler, K.; Zallone, A.; Martin, I. A 3D in vitro bone organ model using human progenitor cells. Eur. Cell Mater. 2011, 21, 445–458. [Google Scholar] [CrossRef] [PubMed]
- Penolazzi, L.; Lolli, A.; Sardelli, L.; Angelozzi, M.; Lambertini, E.; Trombelli, L.; Ciarpella, F.; Vecchiatini, R.; Piva, R. Establishment of a 3D-dynamic osteoblasts–osteoclasts co-culture model to simulate the jawbone microenvironment in vitro. Life Sci. 2016, 152, 82–93. [Google Scholar] [CrossRef] [PubMed]
- Formato, G.; Romano, R.; Formato, A.; Sorvari, J.; Koiranen, T.; Pellegrino, A.; Villecco, F. Fluid–structure interaction modeling applied to peristaltic pump flow simulations. Machines 2019, 7, 50. [Google Scholar] [CrossRef]
- Martin, Y.; Vermette, P. Bioreactors for tissue mass culture: Design, characterization, and recent advances. Biomaterials 2005, 26, 7481–7503. [Google Scholar] [CrossRef]
- Elias, C.B.; Desai, R.B.; Patole, M.S.; Joshi, J.B.; A Mashelkar, R. Turbulent shear stress—Effect on mammalian cell culture and measurement using laser Doppler anemometer. Chem. Eng. Sci. 1995, 50, 2431–2440. [Google Scholar] [CrossRef]
- Raja, N.; Han, S.H.; Cho, M.; Choi, Y.J.; Jin, Y.Z.; Park, H.; Lee, J.H.; Yun, H.S. Effect of porosity and phase composition in 3D printed calcium phosphate scaffolds on bone tissue regeneration in vivo. Mater. Des. 2022, 219, 110819. [Google Scholar] [CrossRef]
- Suzuki, O. Evolution of octacalcium phosphate biomaterials. In Octacalcium Phosphate Biomaterials; Woodhead Publishing: Sawston, UK, 2020; pp. 1–15. [Google Scholar] [CrossRef]
- Sinitsyna, O.V.; Veresov, A.G.; Kovaleva, E.S.; Kolen’ko, Y.V.; Putlyaev, V.I.; Tretyakov, Y.D. Synthesis of hydroxyapatite by hydrolysis of α-Ca3(PO4)2. Russ. Chem. Bull. 2005, 54, 79–86. [Google Scholar] [CrossRef]
- ISO 10993-1-2011; Medical Devices. Biological Evaluation of Medical Devices. Part 1. Evaluation and Testing. ISO: Geneva, Switzerland, 2011.
- Phillips, R.C.; Moyle, W.R.; Klotz, I.M. Potentiometric studies of the secondary phosphate ionizations of AMP, ADP, and ATP, and calculations of thermodynamic data for the hydrolysis reactions. Biochemistry 1963, 2, 501–508. [Google Scholar] [CrossRef]
- Gaspar, D.A.; Gomide, V.; Monteiro, F.J. The role of perfusion bioreactors in bone tissue engineering. Biomatter 2012, 2, 167–175. [Google Scholar] [CrossRef]
- ISO 10993-6-2023; Biological Evaluation of Medical Devices—Part 6: Tests for Local Effects After Implantation. ISO: Geneva, Switzerland, 2023.
- ISO 10993-2-2022; Biological Evaluation of Medical Devices —Part 2: Animal Welfare Requirements. ISO: Geneva, Switzerland, 2022.
- Pourpoint, F.; Silingardi, F.; Gazzano, M.; Bigi, A. Calcium phosphates and hydroxyapatite: Solid-state NMR experiments and first-principles calculations. Appl. Magn. Reson. 2007, 32, 435–457. [Google Scholar] [CrossRef]
- Suzuki, O.; Hamai, R.; Sakai, S. The material design of octacalcium phosphate bone substitute: Increased dissolution and osteogenecity. Acta Biomater. 2023, 158, 1–11. [Google Scholar] [CrossRef] [PubMed]
- Suzuki, O.; Yagishita, H.; Yamazaki, M.; Aoba, T. Adsorption of bovine serum albumin onto octacalcium phosphate and its hydrolyzates. Cells Mater. 1995, 5, 4. [Google Scholar]
- Rau, J.V.; Fosca, M.; Komlev, V.S.; Fadeeva, I.V.; Albertini, V.R.; Barinov, S.M. In situ time-resolved studies of octacalcium phosphate and dicalcium phosphate dihydrate in simulated body fluid: Cooperative interactions and nanoapatite crystal growth. Cryst. Growth Des. 2010, 10, 3824–3834. [Google Scholar] [CrossRef]
- Yurova, K.A.; Melashchenko, E.S.; Khasiakhmatova, O.G.; Malashchenko, V.V.; Melashchenko, O.B.; Shunkin, E.O.; Norkin, I.K.; Khlusov, I.A.; Litvinova, L.S. Mesenchymal stem cells: A brief review of classic concepts and new factors of osteogenic differentiation. Med. Immunol. (Russia) 2021, 23, 207–222. [Google Scholar] [CrossRef]
- Heughebaert, J.C.; Nancollas, G.H. Kinetics of crystallization of octacalcium phosphate. J. Phys. Chem. 1984, 88, 2478–2481. [Google Scholar] [CrossRef]
- Zhang, J.; Nancollas, G.H. Kinetics and mechanisms of octacalcium phosphate dissolution at 37 °C. J. Phys. Chem. 1992, 96, 5478–5483. [Google Scholar] [CrossRef]
- Zhang, J.; Nancollas, G.H. Unexpected pH dependence of dissolution kinetics of dicalcium phosphate dihydrate. J. Phys. Chem. 1994, 98, 1689–1694. [Google Scholar] [CrossRef]
- Christoffersen, J.; Christoffersen, M.R. Kinetics and mechanisms of crystal growth and dissolution. Exp. Determ. Solubilities 2003, 6, 77–97. [Google Scholar]
- Zhang, J.; Ebrahimpour, A.; Nancollas, G.H. Dual constant composition studies of phase transformation of dicalcium phosphate dihydrate into octacalcium phosphate. J. Colloid Interface Sci. 1992, 152, 132–140. [Google Scholar] [CrossRef]
- Giocondi, J.L.; El-Dasher, B.S.; Nancollas, G.H.; Orme, C.A. Molecular mechanisms of crystallization impacting calcium phosphate cements. Philos. Trans. R. Soc. A Math. Phys. Eng. Sci. 2010, 368, 1937–1961. [Google Scholar] [CrossRef] [PubMed]
- Kanzaki, N.; Onuma, K.; Treboux, G.; Ito, A. Dissolution kinetics of dicalcium phosphate dihydrate under pseudophysiological conditions. J. Cryst. Growth 2002, 235, 465–470. [Google Scholar] [CrossRef]
- Vekilov, P.G. The two-step mechanism of nucleation of crystals in solution. Nanoscale 2010, 2, 2346–2357. [Google Scholar] [CrossRef]
- Liu, X.Y. Interfacial effect of molecules on nucleation kinetics. J. Phys. Chem. B 2001, 105, 11550–11558. [Google Scholar] [CrossRef]
- Liu, Y.; Chakrabarti, A.; Gross, R.A.; Kaplan, D.L. Intergrowth of calcium phosphates: An interfacial energy approach. J. Cryst. Growth 1997, 174, 386–392. [Google Scholar] [CrossRef]
- Pike Technologies, Inc. Specular Reflection Theory and Applications; PIKE Technologies, Inc.: Madison, WI, USA, 2023. [Google Scholar]
- Fischer, W.B.; Eysel, H.H. Raman and FTIR spectroscopic study on water structural changes in aqueous solutions of amino acids and related compounds. J. Mol. Struct. 1997, 415, 249–257. [Google Scholar] [CrossRef]
- Rabel, K.; Kohal, R.-J.; Steinberg, T.; Tomakidi, P.; Rolauffs, B.; Adolfsson, E.; Palmero, P.; Fürderer, T.; Altmann, B. Controlling osteoblast morphology and proliferation via surface micro-topographies of implant biomaterials. Sci. Rep. 2020, 10, 12810. [Google Scholar] [CrossRef]
- Wang, K.; Keenan, T.R.; Lee, M.; Lin, Y.S.; Chen, Q. Theoretical analysis of protein effects on calcium phosphate precipitation in simulated body fluid. CrystEngComm 2012, 14, 5870–5878. [Google Scholar] [CrossRef]
- Elizalde, M.P.; Aparicio, J.L. Current theories in the calculation of activity coefficients—II. Specific interaction theories applied to some equilibria studies in solution chemistry. Talanta 1995, 42, 395–400. [Google Scholar] [CrossRef]
- Wan, W.; Cheng, B.; Zhang, C.; Ma, Y.; Li, A.; Xu, F.; Lin, M. Synergistic effect of matrix stiffness and inflammatory factors on osteogenic differentiation of MSC. Biophys. J. 2019, 117, 129–142. [Google Scholar] [CrossRef]
- Ren, R.; Guo, J.; Chen, Y.; Zhang, Y.; Chen, L.; Xiong, W. The role of Ca2+/Calcineurin/NFAT signalling pathway in osteoblastogenesis. Cell Prolif. 2021, 54, e13122. [Google Scholar] [CrossRef] [PubMed]





| Equilibrium | lgK | Ref. | C, mM | Plasma | SBF | DMEM | |
|---|---|---|---|---|---|---|---|
| HSO4− = H+ + SO42− | −1.94 | [8] | Na+ | 142.0 | 142.6 | 153.0 | |
| H3PO4 = H+ + H2PO4− | −2.04 | [42] | K+ | 5.0 | 5.0 | 5.4 | |
| H2PO4− = H+ + HPO42− | −6.7 | [42] | Mg2+ | 1.5 | 1.5 | 0.5 | |
| HPO42− = H+ + PO43− | −11.55 | [42] | Ca2+ | 2.5 | 2.6 | 1.8 | |
| Ca2+ + HPO42− = CaHPO4 (aq) | 1.3 | [7] | Cl− | 103.0 | 188.1 | 114.4 | |
| Ca2+ + H2PO4− = CaH2PO4+ | 0.55 | [7] | HCO3− | 27.0 | 5.0 | 44.1 | |
| Ca2+ + SO42− = CaSO4 (aq) | 4.43 | [8] | HPO42− | 1.0 | 1.0 | — | |
| Ca2+ + HCO3− = CaHCO3+ | 1.17 | [7] | H2PO4− | — | — | 0.9 | |
| Ca2+ + CO32− = CaCO3 (aq) | 8.63 | [7] | SO42− | 0.5 | 0.5 | 0.5 | |
| Mg2+ + HPO42− = MgHPO4 (aq) | 1.8 | [7] | Buffer | — | Tris | — | |
| Mg2+ + H2PO4− = MgH2PO4+ | 0.55 | [7] | I, M | — | 0.207 | 0.168 | |
| Mg2+ + SO42− = MgSO4 (aq) | 2.37 | [8] | pH | — | 7.4 | 7.4 | |
| Mg2+ + HCO3− = MgHCO3+ | 0.62 | [7] | SDCPD | — | 0.76 | 0.54 | |
| Mg2+ + CO32− = MgCO3 (aq) | 1.87 | [7] | SOCP | — | 1.26 | 1.14 | |
| HCO3– = H+ + CO32− | −10.25 | [7] | |||||
| Ca2+ + BSA1 = CaBSA1 | 2.56 | [15] | m, g | s, m2/g | V, cm3 | ||
| Ca2+ + BSA2 = CaBSA2 | 2.49 | [15] | DCPD | 0.6477 ± 0.0098 | 5.3 ± 0.3 | 76.9 ± 2.1 | |
| Ca2+ + BSA3 = CaBSA3 | 2.46 | [15] |
| №72-0713 | Full Profile | DFT | Site | δ iso (ppm) | ||
|---|---|---|---|---|---|---|
| Calc. | Exp. | |||||
| a, Å | 6.239 | 6.362 (3) | 6.447 | H1 (POH) | 12.1 | 11.3 |
| b, Å | 15.180 | 15.1609 (24) | 15.170 | H2 (H2O) | 7.0 | 6.4 |
| c, Å | 5.812 | 5.8083 (14) | 5.903 | H3 (H2O) | 7.9 | |
| β, ° | 119.232 | 118.545 (21) | 119.33 | H4 (H2O) | 6.5 | |
| V, Å3 | 493.93 | 492.13 (18) | 498.47 | H5 (H2O) | 5.4 | |
Disclaimer/Publisher’s Note: The statements, opinions and data contained in all publications are solely those of the individual author(s) and contributor(s) and not of MDPI and/or the editor(s). MDPI and/or the editor(s) disclaim responsibility for any injury to people or property resulting from any ideas, methods, instructions or products referred to in the content. |
© 2024 by the authors. Licensee MDPI, Basel, Switzerland. This article is an open access article distributed under the terms and conditions of the Creative Commons Attribution (CC BY) license (https://creativecommons.org/licenses/by/4.0/).
Share and Cite
Shlykov, M.A.; Smirnova, P.V.; Senotov, A.S.; Teterina, A.Y.; Minaychev, V.V.; Smirnov, I.V.; Novikov, R.A.; Marchenko, E.I.; Salynkin, P.S.; Komlev, V.S.; et al. Comparative Evaluation of Mathematical Model and In Vivo Study of Calcium Phosphate Bone Grafts. J. Funct. Biomater. 2024, 15, 368. https://doi.org/10.3390/jfb15120368
Shlykov MA, Smirnova PV, Senotov AS, Teterina AY, Minaychev VV, Smirnov IV, Novikov RA, Marchenko EI, Salynkin PS, Komlev VS, et al. Comparative Evaluation of Mathematical Model and In Vivo Study of Calcium Phosphate Bone Grafts. Journal of Functional Biomaterials. 2024; 15(12):368. https://doi.org/10.3390/jfb15120368
Chicago/Turabian StyleShlykov, Mikhail A., Polina V. Smirnova, Anatoliy S. Senotov, Anastasia Yu. Teterina, Vladislav V. Minaychev, Igor V. Smirnov, Roman A. Novikov, Ekaterina I. Marchenko, Pavel S. Salynkin, Vladimir S. Komlev, and et al. 2024. "Comparative Evaluation of Mathematical Model and In Vivo Study of Calcium Phosphate Bone Grafts" Journal of Functional Biomaterials 15, no. 12: 368. https://doi.org/10.3390/jfb15120368
APA StyleShlykov, M. A., Smirnova, P. V., Senotov, A. S., Teterina, A. Y., Minaychev, V. V., Smirnov, I. V., Novikov, R. A., Marchenko, E. I., Salynkin, P. S., Komlev, V. S., Fadeev, R. S., & Fadeeva, I. S. (2024). Comparative Evaluation of Mathematical Model and In Vivo Study of Calcium Phosphate Bone Grafts. Journal of Functional Biomaterials, 15(12), 368. https://doi.org/10.3390/jfb15120368

