Macro and Micro Properties of Organic Matter in Hydraulic Mud Consolidation
Abstract
:1. Instruction
2. Methods
2.1. Materials and Lab Experiments
2.2. Sample Preparation and Data-Constrained Modelling
3. Results
3.1. Special Properties Based on Lab Experiments
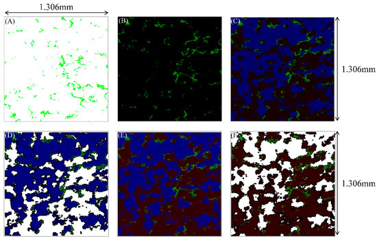
3.2. Connection and Coexistence Properties Based on DCM
4. Discussion
4.1. Distribution Relationship of Minerals and Pores
4.2. Distribution Relationship of Minerals and Organics
4.3. Distribution Relationship of Minerals, Organics, and Pores
5. Conclusions
- It was demonstrated that organic matter plays a significant role in hindering the shear strength of consolidation. Organic matter affected the physical properties of the soil mainly through the adsorption of water on the surface of soil particles. Soil particles were connected to each other through the absorbed water film, leading to the decrease of resistance, adhesion strength, and the shear strength between soil particles.
- During the consolidation of hydraulic mud, the analysis has shown that the pressures of 100 kPa and 400 kPa could be used as two characteristic values of structure change of hydraulic mud, which perhaps matched the turning points of destruction. The organics tend to be exclusive from pores and minerals.
- The size of pores shrank and blocked the channels, and the organic matter aggregated gradually in consolidation. Minerals 2 (including minerals of chlorite and illite, etc.) coexisted with organic matter more easily than Minerals 1 (including primary minerals and some clay minerals) because of their hydrophilic clay component.
Acknowledgments
Author Contributions
Conflicts of Interest
References
- Karthikeyan, M.; Dasari, G.R.; Tan, T.S. In situ characterization of land reclaimed using big clay lumps. Can. Geotech. J. 2004, 41, 242–256. [Google Scholar] [CrossRef]
- Zhang, M.; Zhu, X.; Yu, G.; Yan, J.; Wang, X.; Chen, M.; Wang, W. Permeability of muddy clay and settlement simulation. Ocean Eng. 2015, 104, 521–529. [Google Scholar] [CrossRef]
- Nishida, N.; Ito, M.; Inoue, A.; Takizawa, S. Clay fabric of fluid-mud deposits from laboratory and field observations: Potential application to the stratigraphic record. Mar. Geol. 2013, 337, 1–8. [Google Scholar] [CrossRef]
- Lou, X.; Mao, X.; Chen, X. Comparative Study on Determination of the Content of Organic matter in Soil Test. Bull. Sci. Technol. 2015, 31, 112–114. [Google Scholar]
- Abt, H. Land reclamation and soil improvement works for two deep water ports in Vietnam. Jpn. Geotech. Soc. Spec. Publ. 2016, 2, 1773–1777. [Google Scholar] [CrossRef]
- Song, J.; Wang, Q.; Zhang, P. Laboratory Research on Fine Particle Migration of High Clay Dredge Fill in Consolidation Process. J. Eng. Geol. 2012, 20, 1042–1049. [Google Scholar]
- Jafari, N.H.; Stark, T.D. Field scale hydraulic conductivity and compressibility of organic clays. Eng. Geol. 2017, 220, 52–64. [Google Scholar] [CrossRef]
- Song, J.; Wang, Q.; Xia, Y. Physical and Chemical Indicators of Dredger Fill with High Clay by Vacuum Preloading. J. Jilin Univ. (Earth Sci. Ed.) 2011, 41, 1476–1480. [Google Scholar]
- Xu, G.; Ji, F.; Wen, J. Sedimentation Behavior of Dredger Slurry at High Water Content. J. Civ. Eng. Manag. 2012, 29, 22–27. [Google Scholar]
- Salgado, J.; Mato, M.M.; Vázquez-Galiñanes, A.; Paz-Andrade, M.I.; Carballas, T. Comparison of two calorimetric methods to determine the loss of organic matter in galician soils (nw spain) due to forest wildfires. Thermochim. Acta 2004, 410, 141–148. [Google Scholar] [CrossRef]
- Song, J.; Tang, L.; Wang, Q. Analysis on Physical and Mechanical Properties of Some Typical Dredger Fill in Coastal Regions. Acta Scientiarum Naturalium Universitatis Sunyatseni 2014, 53, 106–111. [Google Scholar]
- Dong, Y.; Hu, W. Comparison and Anlysis of Processing Experiments on Dredger Fill Consolidation. Ground Water 2011, 6, 171–172. [Google Scholar]
- Liao, B.Q.; Allen, D.G.; Leppard, G.G.; Droppo, I.G.; Liss, S.N. Interparticle interactions affecting the stability of sludge flocs. J. Colloid Interface. Sci. 2005, 249, 372–380. [Google Scholar] [CrossRef] [PubMed]
- Sun, Y.J.; Sun, S.Q.; Bao, S.F. Cause of conventional vacuum consolidation technology failure to newly filled reclamation mud foundation. Port Waterw. Eng. 2015, 11, 148–154. [Google Scholar]
- Buljan, R.; Pollak, D.; Gulam, V. Engineering properties of marine sediments in Mali Ston Bay (Croatia) based on “Mainland-Pelješac” bridge investigations. Geologia Croatica 2012, 65, 233–242. [Google Scholar] [CrossRef]
- Valarini, P.J.; Díaz Alvarez, M.C.; Gascó, J.M.; Guerrero, F.; Tokeshi, H. Assessment of soil properties by organic matter and EM-microorganism incorporation. Revista Brasileira de Ciência do Solo 2003, 27, 49–75. [Google Scholar] [CrossRef]
- Gu, R.G.; Fang, Y.G. Experiment study of the effects of organic matter on the rheological characteristics of soft soils. Civ. Eng. J. 2009, 42, 101–106. [Google Scholar] [CrossRef]
- Wehling, T.M.; Boulanger, R.W.; Arulnathan, R.; Harder, L.F.; Driller, M.W. Nonlinear Dynamic Properties of a Fibrous Organic Soil. J. Geotech. Geoenviron. Eng. 2003, 129, 929–939. [Google Scholar] [CrossRef]
- Xu, R.; Guo, Y.; Liu, Z. Experimental Study on Mechanical Properties of Stabilized Artificial Organic Soil. J. Zhejiang Univ. (Eng. Sci.) 2007, 41, 109–113. [Google Scholar]
- Mou, C.; Li, B. Influence of Organic matter on Mechanical Character of Soft Soil. Hydrogeol. Eng. Geol. 2008, 35, 42–46. [Google Scholar] [CrossRef]
- Liu, F.; Chen, J.; Bai, S. Analysis of Formation Mechanism and Consolidation Characteristics of High Organic Soft Clay. Rock Soil Mech. 2013, 34, 3453–3458. [Google Scholar]
- Obour, A.K.; Stahlman, P.W.; Holman, J.D. Soil chemical properties as influenced by long-term glyphosate-resistant corn and soybean production in the central Great Plains, USA. Geoderma 2016, 277, 1–9. [Google Scholar] [CrossRef]
- Kazemian, S.; Prasad, A.; Huat, B.B.K.; Ghiasi, V.; Ghareh, S. Effects of Cement–Sodium Silicate System Grout on Tropical Organic Soils. Arab. J. Sci. Eng. 2012, 37, 2137–2148. [Google Scholar] [CrossRef]
- Kennedy, M.J.; Pevear, D.R.; Hill, R.J. Mineral Surface Control of Organic Carbon in Black Shale. Science 2002, 295, 657–660. [Google Scholar] [CrossRef] [PubMed]
- Anisuzzaman, M. Engineering Properties of Soft Organic Soil Underlying Dredge Fill Areas of Dhaka, Bangladesh. Planet. Sci. Res. Cent. 2013, 5, 28–32. [Google Scholar]
- Guo, Y.; Xu, R.; Shao, Y. Study on Mechanism of Muddy Soil Stabilization. J. Zhejiang Univ. (Eng. Sci.) 2008, 42, 1071–1075. [Google Scholar]
- Virto, I.; Gartzia-Bengoetxea, N.; Fernández-Ugalde, O. Role of Organic matter and Carbonates in Soil Aggregation Estimated Using Laser Diffractometry. Pedosphere 2011, 21, 566–572. [Google Scholar] [CrossRef]
- Lebron, I.; Mcgiffen, M.E., Jr.; Suarez, D.L. The Effect of Total Carbon on Microscopic Soil Properties and Implications for Crop Production. J. Arid Land 2012, 4, 251–259. [Google Scholar] [CrossRef]
- Monreal, C.M.; Schnitzer, M.; Schulten, H.R.; Campbell, C.A.; Anderson, D.W. Soil Organic Structures in Macro and Micro-aggregates of Cultivated Brown Chernozem. Soil Biol. Biochem. 1994, 27, 845–853. [Google Scholar] [CrossRef]
- Li, L. The Research of Existing Characteristics of Soil Organic Matter in the Typical Tabacco-Growing Area; Chongqing Southeast University Press: Chongqing, China, 2015; pp. 1–90. [Google Scholar]
- Valérie, B.; Piet, S.; Winnie, D.; Sophie, L.; Thanh, T.H.T.; Bart, V. Phytoremediation as a management option for contaminated sediments in tidal marshes, flood control areas and dredged sediment landfill sites. Environ. Sci. Pollut. Res. 2009, 16, 745–764. [Google Scholar]
- Cui, Z.D.; Jia, Y.J. Analysis of electron microscope images of soil pore structure for the study of land subsidence in centrifuge model tests of high-rise building groups. Eng. Geol. 2013, 164, 107–116. [Google Scholar] [CrossRef]
- Zhang, X.; Kong, L.; Wang, J. Experimental Study of SEM-EDS for Cementation Bond Characteristics of Zhanjiang Clay. Rock Soil Mech. 2013, 34, 195–203. [Google Scholar] [CrossRef]
- Kilfeather, A.A.; van der Meer, J.J.M. Pore size, shape and connectivity in tills and their relationship to deformation processes. Quat. Sci. Rev. 2008, 27, 250–266. [Google Scholar] [CrossRef]
- Payan, M.; Senetakis, K.; Khoshghalb, A.; Khalili, N. Influence of Particle Shape on Small-stran Damping Ratio of Dry Sands. Geotechnique 2016, 66, 1–7. [Google Scholar] [CrossRef]
- Xu, R.; Den, W.; Xu, B. Calculation of Three-Dimensional Porosity of Soft Soil Based on SEM Image. Chin. J. Rock Mech. Eng. 2015, 34, 1497–1502. [Google Scholar] [CrossRef]
- Harjupatana, T.; Alaraudanjoki, J.; Kataja, M. X-ray Tomographic Method for Measuring Three-dimensional Deformation and Water Content Distribution in Swelling Clays. Appl. Clay Sci. 2015, 114, 386–394. [Google Scholar] [CrossRef]
- Zolotarev, K.; Kulipanov, G.; Levichev, E.; Mezentsev, N.; Pindyurin, V.; Piminov, P.; Tolochko, B. Synchrotron Radiation Applications in the Siberian Synchrotron and Terahertz Radiation Center. Phys. Procedia 2016, 84, 4–12. [Google Scholar] [CrossRef]
- Wang, Y. Quantitative Methodology on Material Using Synchrotron Radiation X-ray Microscopic CT. Ph.D. Thesis, Graduate School of Chinese Academy of Sciences, Beijing, China, May 2012. [Google Scholar]
- Ma, R.; Cai, C.; Li, Z.; Wang, J.; Xiao, T.; Peng, G. Evaluation of soil aggregate microstructure and stability under wetting and drying cycles in two ultisols using synchrotron-based X-ray micro-computed tomography. Soil Tillage Rese 2015, 149, 1–11. [Google Scholar] [CrossRef]
- Yang, Y.S.; Tulloh, A.; Chen, F.; Liu, K.Y.; Clennell, B.; Taylor, J. Data-constrained characterization of sandstone microstructures with multi-energy X-ray CT. J. Phys. Conf. Ser. 2013, 463, 012048. [Google Scholar] [CrossRef]
- Wang, Y.D.; Yang, Y.S.; Cole, I.; Trinchi, A.; Xiao, T.Q. Investigation of the microstructure of an aqueously corroded zinc wire by data-constrained modelling with multi-energy X-ray ct. Mater. Corros. 2014, 64, 180–184. [Google Scholar] [CrossRef]
- Yang, S.; Gao, D.C.; Muster, T.; Tulloh, A.; Furman, S.; Mayo, S.; Trinchi, A. Microstructure of a paint primer -a data-constrained modeling analysis. Materi. Sci. Forum 2010, 654–656, 1686–1689. [Google Scholar] [CrossRef]
- Wang, H.P.; Yang, Y.S.; Jiang, X.J.; Yang, J.L.; Nie, Y.H. Physical structure characterization of direct coal liquefaction residue by dcm model and synchrotron X-ray ct. J. Shanxi Univ. 2014, 37, 545–552. [Google Scholar] [CrossRef]
- Technical Committee. Technical Code for Ground Treatment of Building JGJ79-2012; China Architecture Building Press: Beijing, China, 2012. [Google Scholar]
- Jenck, O.; Dias, D.; Kastner, R. Discrete Element Modelling of a Granular Platform Supported by Piles in Soft Soil-Validation on a Small Scale Model Test and Comparison to a Numerical Analysis in a Continuum. Comput. Geotech. 2009, 36, 917–927. [Google Scholar] [CrossRef]
- Yang, Y.S.; Trinchi, A.; Tulloh, A.; Chu, C. Tutorial Introduction to DCM Quantitative Characterization and Modelling of Material Micro-structures Using Monochromatic Multi-Energy X-Ray CT. AIP Conf. Proc. 2014, 342–347. [Google Scholar] [CrossRef]
- Benedetti, A.; Abrahamowicz, M.; Leffondré, K.; Goldberg, M.S.; Tamblyn, R. Using Generalized Additive Models to Detect and Estimate Threshold Associations. Int. J. Biostat. 2009, 5. [Google Scholar] [CrossRef]
- Liu, Z.-Q.; Song, J.; Yang, Y.-S.; Ren, Y.-Q. Three dimentional pores evoluation characteristics of during consolidation process of saturated fine-grained soil. J. Eng. Geol. 2016, 24, 931–940. [Google Scholar] [CrossRef]
- Chen, G.-S.; Wang, Y.-M.; Bai, T.; Du, H.-H. Diagnoses of Runoff-sediment Relationship Based on Variable Diagnostic Method-variable Step Length Sliding Correlation Coefficient Method in Ning-Meng reach. Int. J. Hydrog. Energy 2016, 41, 15909–15918. [Google Scholar] [CrossRef]
- Hazra, B.; Varma, A.K.; Bandopadhyay, A.K.; Chakravarty, S.; Buragohain, J.; Samad, S.K.; Prasad, A.K. FTIR, XRF, XRD and SEM characteristics of Permian shales, India. J. Nat. Gas Sci. Eng. 2016, 32, 239–255. [Google Scholar] [CrossRef]







| Water Content (%) | Void Ratio | Specific Gravity | Dry Density (g/cm3) | Wet Density (g/cm3) | Compressive Property av1-2 (MPa−1) | Shear Strength (kPa) | Organic Content (%) |
|---|---|---|---|---|---|---|---|
| 83.10 | 2.28 | 2.29 | 0.82 | 1.50 | 0.65–0.80 | 1.50 | 1.65% |
© 2018 by the authors. Licensee MDPI, Basel, Switzerland. This article is an open access article distributed under the terms and conditions of the Creative Commons Attribution (CC BY) license (http://creativecommons.org/licenses/by/4.0/).
Share and Cite
Song, J.; Yang, Y.-S.; Liu, Z.-Q.; Li, X. Macro and Micro Properties of Organic Matter in Hydraulic Mud Consolidation. J. Mar. Sci. Eng. 2018, 6, 22. https://doi.org/10.3390/jmse6010022
Song J, Yang Y-S, Liu Z-Q, Li X. Macro and Micro Properties of Organic Matter in Hydraulic Mud Consolidation. Journal of Marine Science and Engineering. 2018; 6(1):22. https://doi.org/10.3390/jmse6010022
Chicago/Turabian StyleSong, Jing, Yu-Shuang Yang, Zhi-Qing Liu, and Xue Li. 2018. "Macro and Micro Properties of Organic Matter in Hydraulic Mud Consolidation" Journal of Marine Science and Engineering 6, no. 1: 22. https://doi.org/10.3390/jmse6010022
APA StyleSong, J., Yang, Y.-S., Liu, Z.-Q., & Li, X. (2018). Macro and Micro Properties of Organic Matter in Hydraulic Mud Consolidation. Journal of Marine Science and Engineering, 6(1), 22. https://doi.org/10.3390/jmse6010022

