Arc-Mediated Synaptic Plasticity Regulates Cognitive Function in a Migraine Mouse Model
Abstract
1. Introduction
2. Materials and Methods
2.1. Animal
2.2. Grouping and Modeling
2.3. Behavioral Assessment
2.4. Mechanical Pain Threshold
2.5. Facial Wiping
2.6. Novel Object Recognition (NOR)
2.7. Attentional Set-Shifting (ASS)
2.8. Cell Culture
2.9. Western Blot (WB)
2.10. Immunofluorescence Staining
2.11. Golgi–Cox Staining
2.12. Transmission Electron Microscope (TEM)
2.13. Statistical Analysis
3. Results
3.1. Mechanical Threshold and Spontaneous Head Scratching
3.2. Novel Object Recognition Test and Attention Set-Shifting Test
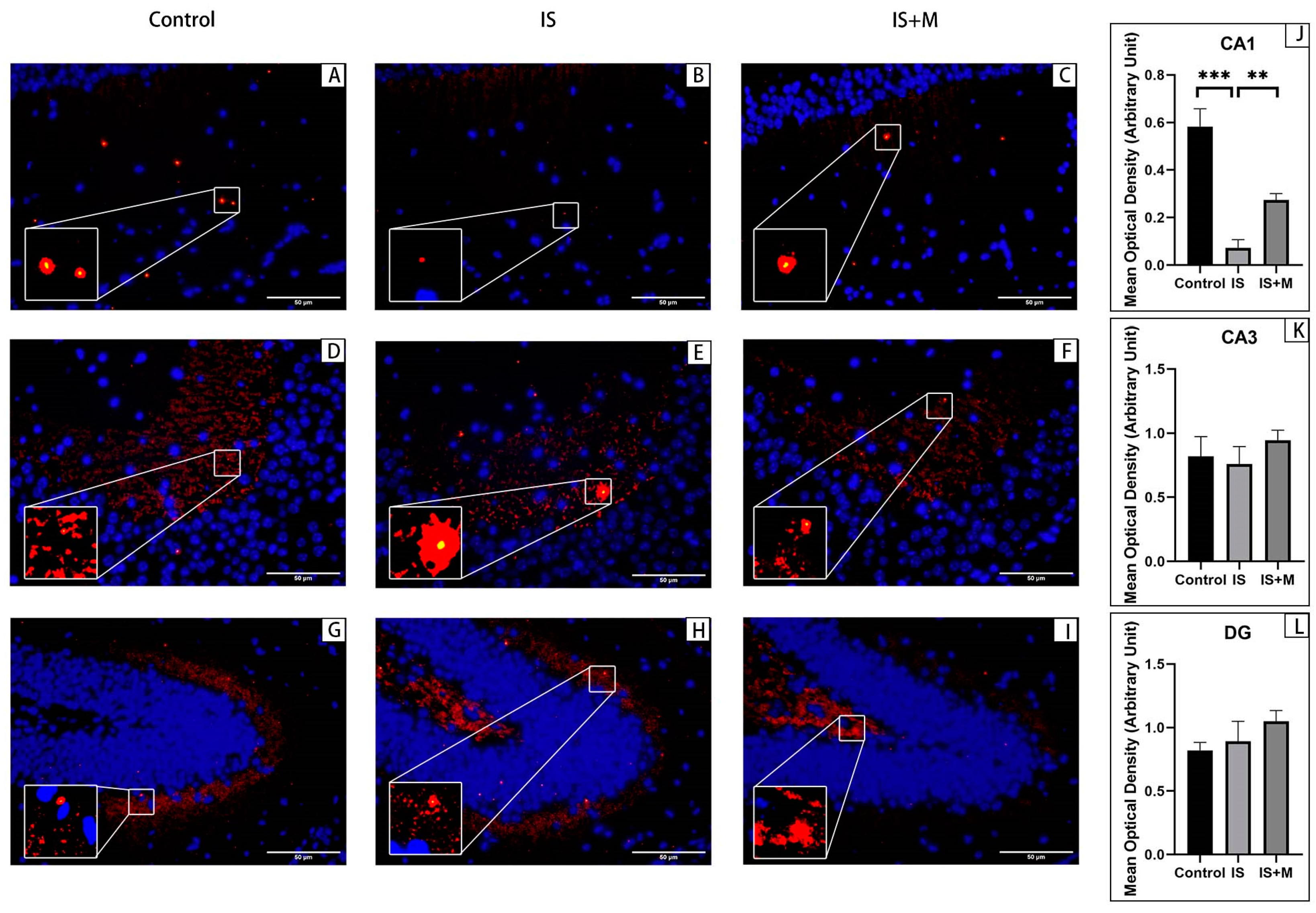
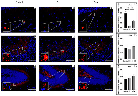
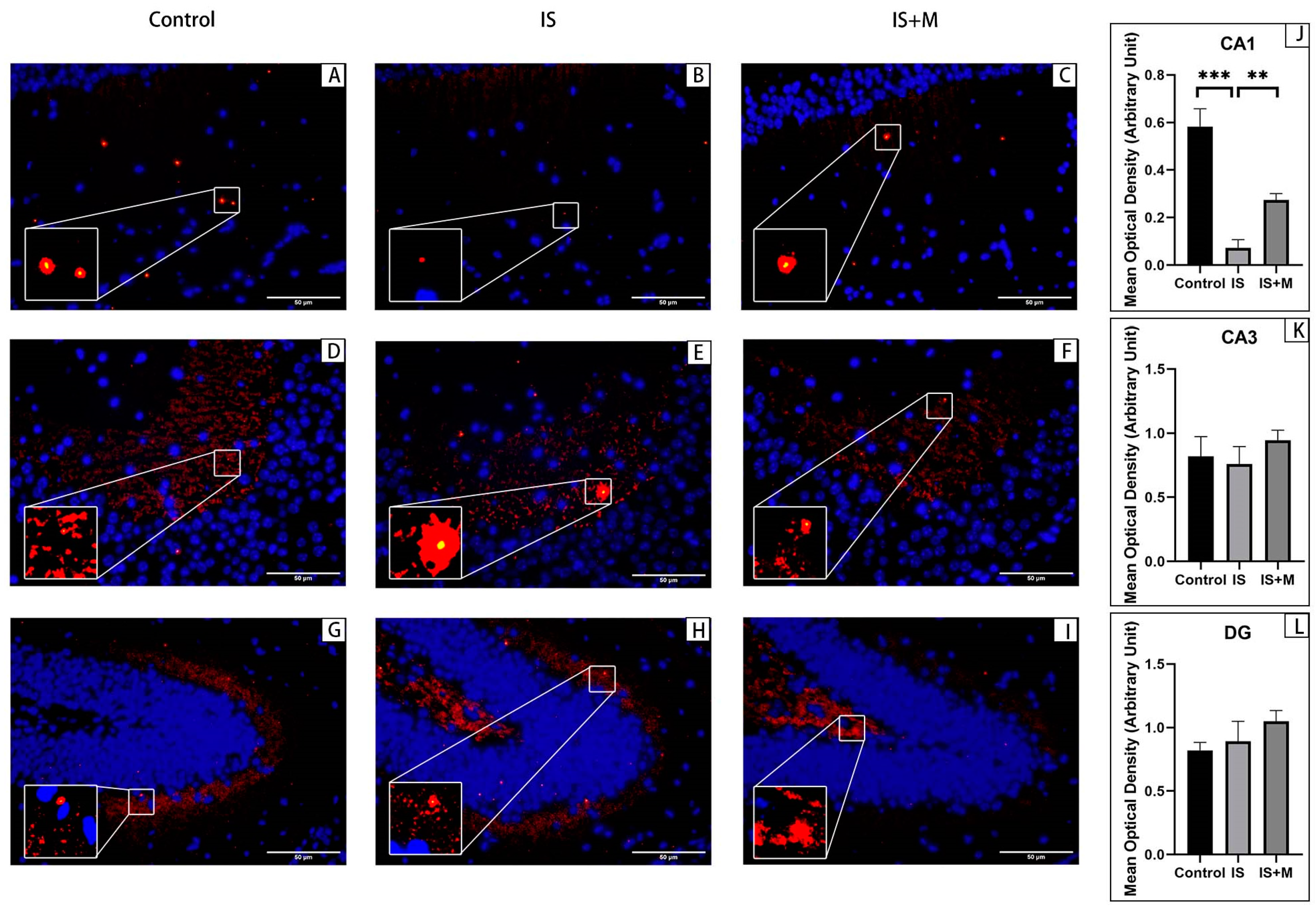
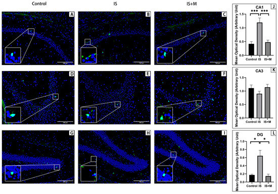
3.3. Molecular Detection
3.4. Synapse Morphology and Structure
4. Discussion
4.1. Repeated Administration of Dural Inflammatory Stimuli Induces Cognitive Impairment in Mice
4.2. Hippocampal Synaptic Plasticity Is Impaired in Cognitively Impaired Mice
4.3. Induction of Arc Overexpression in Neuronal Cells Causes Molecular Changes Similar to Those in Cognitively Impaired Mice
4.4. Arc Inhibition with Memantine Restores Cognitive Impairment and Synaptic Plasticity to Varying Degrees in Mice, but Sumatriptan Has Little Effect
5. Limitations
6. Conclusions
Author Contributions
Funding
Institutional Review Board Statement
Data Availability Statement
Acknowledgments
Conflicts of Interest
References
- Ashina, M.; Katsarava, Z.; Do, T.P.; Buse, D.C.; Pozo-Rosich, P.; Özge, A.; Krymchantowski, A.V.; Lebedeva, E.R.; Ravishankar, K.; Yu, S.; et al. Migraine: Epidemiology and systems of care. Lancet 2021, 397, 1485–1495. [Google Scholar] [CrossRef]
- Schwedt, T. Chronic migraine. BMJ 2014, 348, g1416. [Google Scholar] [CrossRef]
- Vuralli, D.; Ayata, C.; Bolay, H. Cognitive dysfunction and migraine. J. Headache Pain 2018, 19, 109. [Google Scholar] [CrossRef]
- Gil-Gouveia, R.; Martins, I.P. Cognition and Cognitive Impairment in Migraine. Curr. Pain Headache Rep. 2019, 23, 84. [Google Scholar] [CrossRef]
- Cooke, S.F.; Bliss, T.V. Plasticity in the human central nervous system. Brain 2006, 129 Pt 7, 1659–1673. [Google Scholar] [CrossRef] [PubMed]
- Wang, J.; Fei, Z.; Liang, J.; Zhou, X.; Qin, G.; Zhang, D.; Zhou, J.; Chen, L. EphrinB/EphB Signaling Contributes to the Synaptic Plasticity of Chronic Migraine Through NR2B Phosphorylation. Neuroscience 2020, 428, 178–191. [Google Scholar] [CrossRef] [PubMed]
- Wang, X.-Y.; Zhou, H.-R.; Wang, S.; Liu, C.-Y.; Qin, G.-C.; Fu, Q.-Q.; Zhou, J.-Y.; Chen, L.-X. NR2B-Tyr phosphorylation regulates synaptic plasticity in central sensitization in a chronic migraine rat model. Headache Pain 2018, 19, 102. [Google Scholar] [CrossRef] [PubMed]
- Zhang, M.; Liu, Y.; Hu, G.; Kang, L.; Ran, Y.; Su, M.; Yu, S. Cognitive impairment in a classical rat model of chronic migraine may be due to alterations in hippocampal synaptic plasticity and N-methyl-D-aspartate receptor subunits. Mol. Pain 2020, 16, 1744806920959582. [Google Scholar] [CrossRef]
- Nikolaienko, O.; Patil, S.; Eriksen, M.S.; Bramham, C.R. Arc protein: A flexible hub for synaptic plasticity and cognition. Semin. Cell Dev. Biol. 2018, 77, 33–42. [Google Scholar] [CrossRef]
- Wondolowski, J.; Dickman, D. Emerging links between homeostatic synaptic plasticity and neurological disease. Front. Cell. Neurosci. 2013, 7, 223. [Google Scholar] [CrossRef]
- Li, J.; Park, E.; Zhong, L.R.; Chen, L. Homeostatic synaptic plasticity as a metaplasticity mechanism–A molecular and cellular perspective. Curr. Opin. Neurobiol. 2018, 54, 44–53. [Google Scholar] [CrossRef]
- Leal, G.; Comprido, D.; Duarte, C.B. BDNF-induced local protein synthesis and synaptic plasticity. Neuropharmacology 2014, 76 Pt C, 639–656. [Google Scholar] [CrossRef]
- Bramham, C.R.; Alme, M.N.; Bittins, M.; Kuipers, S.D.; Nair, R.R.; Pai, B.; Panja, D.; Schubert, M.; Soule, J.; Tiron, A.; et al. The Arc of synaptic memory. Exp. Brain Res. 2009, 200, 125–140, Erratum in Exp. Brain Res. 2011, 209, 317. [Google Scholar] [CrossRef] [PubMed]
- Korb, E.; Finkbeiner, S. Arc in synaptic plasticity: From gene to behavior. Trends Neurosci. 2011, 34, 591–598. [Google Scholar] [CrossRef]
- Steward, O.; Worley, P.F. Selective targeting of newly synthesized Arc mRNA to active synapses requires NMDA receptor activation. Neuron 2001, 30, 227–240. [Google Scholar] [CrossRef] [PubMed]
- Rosi, S.; Ramirez-Amaya, V.; Vazdarjanova, A.; Esparza, E.E.; Larkin, P.B.; Fike, J.R.; Wenk, G.L.; Barnes, C.A. Accuracy of hippocampal network activity is disrupted by neuroinflammation: Rescue by memantine. Brain 2009, 132 Pt 9, 2464–2477. [Google Scholar] [CrossRef] [PubMed]
- Shimada, S.G.; LaMotte, R.H. Behavioral differentiation between itch and pain in mouse. Pain 2008, 139, 681–687. [Google Scholar] [CrossRef]
- Gibb, R.; Kolb, B. A method for vibratome sectioning of Golgi-Cox stained whole rat brain. J. Neurosci. Methods 1998, 79, 1–4. [Google Scholar] [CrossRef]
- Lueptow, L.M. Novel Object Recognition Test for the Investigation of Learning and Memory in Mice. J. Vis. Exp. 2017, 2017, e55718. [Google Scholar] [CrossRef]
- Gu, L.; Wang, Y.; Shu, H. Association between migraine and cognitive impairment. J. Headache Pain 2022, 31, 88. [Google Scholar] [CrossRef]
- Huang, L.; Dong, H.J.; Wang, X.; Wang, Y.; Xiao, Z. Duration and frequency of migraines affect cognitive function: Evidence from neuropsychological tests and event-related potentials. J. Headache Pain 2017, 18, 54. [Google Scholar] [CrossRef] [PubMed]
- Chen, N.; Su, W.; Cui, S.H.; Guo, J.; Duan, J.C.; Li, H.X.; He, L. A novel large animal model of recurrent migraine established by repeated administration of inflammatory soup into the dura mater of the rhesus monkey. Neural Regen. Res. 2019, 14, 100–106. [Google Scholar] [CrossRef]
- Lyford, G.L.; Yamagata, K.; E Kaufmann, W.; A Barnes, C.; Sanders, L.K.; Copeland, N.G.; Gilbert, D.J.; A Jenkins, N.; A Lanahan, A.; Worley, P.F. Arc, a growth factor and activity-regulated gene, encodes a novel cytoskeleton-associated protein that is enriched in neuronal dendrites. Neuron 1995, 14, 433–445. [Google Scholar] [CrossRef] [PubMed]
- El-Sayed, M.; Hofman-Bang, J.; Mikkelsen, J.D. Effect of brain-derived neurotrophic factor on activity-regulated cytoskeleton-associated protein gene expression in primary frontal cortical neurons. Comparison with NMDA and AMPA. Eur. J. Pharmacol. 2011, 660, 351–357. [Google Scholar] [CrossRef]
- Bloomer, W.A.C.; VanDongen, H.M.A.; VanDongen, A.M.J. Arc/Arg3.1 translation is controlled by convergent N-methyl-D-aspartate and Gs-coupled receptor signaling pathways. J. Biol. Chem. 2008, 283, 582–592. [Google Scholar] [CrossRef]
- Vikelis, M.; Mitsikostas, D.D. The role of glutamate and its receptors in migraine. CNS Neurol. Disord. Drug Targets 2007, 6, 251–257. [Google Scholar] [CrossRef] [PubMed]
- Guerrero-Toro, C.; Koroleva, K.; Ermakova, E.; Gafurov, O.; Abushik, P.; Tavi, P.; Sitdikova, G.; Giniatullin, R. Testing the Role of Glutamate NMDA Receptors in Peripheral Trigeminal Nociception Implicated in Migraine Pain. Int. J. Mol. Sci. 2022, 23, 1529. [Google Scholar] [CrossRef]
- Yoon, M.-S.; Koh, C.-S.; Lee, J.; Shin, J.; Kong, C.; Jung, H.H.; Chang, J.W. Injecting NMDA and Ro 25-6981 in insular cortex induce neuroplastic changes and neuropathic pain-like behaviour. Eur. J. Pain 2018, 22, 1691–1700. [Google Scholar] [CrossRef]
- Paoletti, P.; Bellone, C.; Zhou, Q. NMDA receptor subunit diversity: Impact on receptor properties, synaptic plasticity and disease. Nat. Rev. Neurosci. 2013, 14, 383–400. [Google Scholar] [CrossRef]
- Vazdarjanova, A.; Ramirez-Amaya, V.; Insel, N.; Plummer, T.K.; Rosi, S.; Chowdhury, S.; Mikhael, D.; Worley, P.F.; Guzowski, J.F.; Barnes, C.A. Spatial exploration induces ARC, a plasticity-related immediate-early gene, only in calcium/calmodulin-dependent protein kinase II-positive principal excitatory and inhibitory neurons of the rat forebrain. J. Comp. Neurol. 2006, 498, 317–329. [Google Scholar] [CrossRef]
- Verde, E.M.R.; Lee-Osbourne, J.; Worley, P.F.; Malinow, R.; Cline, H.T. Increased expression of the immediate-early gene arc/arg3.1 reduces AMPA receptor-mediated synaptic transmission. Neuron 2006, 52, 461–474. [Google Scholar] [CrossRef]
- Chowdhury, S.; Shepherd, J.D.; Okuno, H.; Lyford, G.; Petralia, R.S.; Plath, N.; Kuhl, D.; Huganir, R.L.; Worley, P.F. Arc/Arg3.1 interacts with the endocytic machinery to regulate AMPA receptor trafficking. Neuron 2006, 52, 445–459. [Google Scholar] [CrossRef]
- Zhang, W.; Wu, J.; Ward, M.D.; Yang, S.; Chuang, Y.-A.; Xiao, M.; Li, R.; Leahy, D.J.; Worley, P.F. Structural basis of arc binding to synaptic proteins: Implications for cognitive disease. Neuron 2015, 86, 490–500. [Google Scholar] [CrossRef]
- DaSilva, L.L.P.; Wall, M.J.; de Almeida, L.P.; Wauters, S.C.; Januário, Y.C.; Müller, J.; Corrêa, S.A.L. Activity-Regulated Cytoskeleton-Associated Protein Controls AMPAR Endocytosis through a Direct Interaction with Clathrin-Adaptor Protein 2. eNeuro 2016, 3, eNeuro.0144-15.2016. [Google Scholar] [CrossRef]
- Peebles, C.L.; Yoo, J.; Thwin, M.T.; Palop, J.J.; Noebels, J.L.; Finkbeiner, S. Arc regulates spine morphology and maintains network stability in vivo. Proc. Natl. Acad. Sci. USA 2010, 107, 18173–18178. [Google Scholar] [CrossRef]
- Bloomer, W.A.; VanDongen, H.M.; VanDongen, A.M. Activity-regulated cytoskeleton-associated protein Arc/Arg3.1 binds to spectrin and associates with nuclear promyelocytic leukemia (PML) bodies. Brain Res. 2007, 1153, 20–33. [Google Scholar] [CrossRef]
- Wee, C.L.; Teo, S.; Oey, N.E.; Wright, G.D.; Vandongen, H.M.; Vandongen, A.M. Nuclear Arc Interacts with the Histone Acetyltransferase Tip60 to Modify H4K12 Acetylation(1,2,3). eNeuro 2014, 1, eNeuro.0019-14.2014. [Google Scholar] [CrossRef]
- Diering, G.H.; Huganir, R.L. The AMPA Receptor Code of Synaptic Plasticity. Neuron 2018, 100, 314–329. [Google Scholar] [CrossRef]
- Hedde, P.N.; Malacrida, L.; Barylko, B.; Binns, D.D.; Albanesi, J.P.; Jameson, D.M. Membrane Remodeling by Arc/Arg3.1. Front. Mol. Biosci. 2021, 8, 630625. [Google Scholar] [CrossRef]
- Messaoudi, E.; Kanhema, T.; Soulé, J.; Tiron, A.; Dagyte, G.; da Silva, B.; Bramham, C.R. Sustained Arc/Arg3.1 synthesis controls long-term potentiation consolidation through regulation of local actin polymerization in the dentate gyrus in vivo. J. Neurosci. 2007, 27, 10445–10455. [Google Scholar] [CrossRef]
- Ryu, J.; Liu, L.; Wong, T.P.; Wu, D.C.; Burette, A.; Weinberg, R.; Wang, Y.T.; Sheng, M. A critical role for myosin IIb in dendritic spine morphology and synaptic function. Neuron 2006, 49, 175–182. [Google Scholar] [CrossRef]
- Shepherd, J.D.; Rumbaugh, G.; Wu, J.; Chowdhury, S.; Plath, N.; Kuhl, D.; Huganir, R.L.; Worley, P.F. Arc/Arg3.1 mediates homeostatic synaptic scaling of AMPA receptors. Neuron 2006, 52, 475–484. [Google Scholar] [CrossRef]
- Zhang, H.; Bramham, C.R. Arc/Arg3.1 function in long-term synaptic plasticity: Emerging mechanisms and unresolved issues. Eur. J. Neurosci. 2020, 54, 6696–6712. [Google Scholar] [CrossRef]
- Jämsä, A.; Hasslund, K.; Cowburn, R.F.; Bäckström, A.; Vasänge, M. The retinoic acid and brain-derived neurotrophic factor differentiated SH-SY5Y cell line as a model for Alzheimer’s disease-like tau phosphorylation. Biochem. Biophys. Res. Commun. 2004, 319, 993–1000. [Google Scholar] [CrossRef]
- Ferreira, R.S.; dos Santos, N.A.G.; Martins, N.M.; Fernandes, L.S.; dos Santos, A.C. Non-cytotoxic Concentration of Cisplatin Decreases Neuroplasticity-Related Proteins and Neurite Outgrowth Without Affecting the Expression of NGF in PC12 Cells. Neurochem. Res. 2016, 41, 2993–3003. [Google Scholar] [CrossRef]
- Cai, X.; Xu, X.; Zhang, A.; Lin, J.; Wang, X.; He, W.; Fang, Y. Cognitive Decline in Chronic Migraine with Nonsteroid Anti-inflammation Drug Overuse: A Cross-Sectional Study. Pain Res. Manag. 2019, 2019, 7307198. [Google Scholar] [CrossRef]
- Parisi, P.; Verrotti, A.; Paolino, M.C.; Ferretti, A.; Raucci, U.; Moavero, R.; Villa, M.P.; Curatolo, P. Headache and attention deficit and hyperactivity disorder in children: Common condition with complex relation and disabling consequences. Epilepsy Behav. 2014, 32, 72–75. [Google Scholar] [CrossRef]
- Ahn, A.H.; Basbaum, A.I. Where do triptans act in the treatment of migraine? Pain 2005, 115, 1–4. [Google Scholar] [CrossRef]
- Kaube, H.; Hoskin, K.L.; Goadsby, P.J. Inhibition by sumatriptan of central trigeminal neurones only after blood-brain barrier disruption. Br. J. Pharmacol. 1993, 109, 788–792. [Google Scholar] [CrossRef]
- Spengos, K.; Theleritis, C.; Paparrigopoulos, T. Memantine and NMDA antagonism for chronic migraine: A potentially novel therapeutic approach? Headache 2008, 48, 284–286. [Google Scholar] [CrossRef]
- Charles, A.; Flippen, C.; Reyes, M.R.; Brennan, K.C. Memantine for prevention of migraine: A retrospective study of 60 cases. J. Headache Pain 2007, 8, 248–250. [Google Scholar] [CrossRef]
- Bigal, M.; Rapoport, A.; Sheftell, F.; Tepper, D.; Tepper, S. Memantine in the preventive treatment of refractory migraine. Headache 2008, 48, 1337–1342. [Google Scholar] [CrossRef]
- Moreno-Ajona, D.; Villar-Martínez, M.D.; Goadsby, P.J. Targets for migraine treatment: Beyond calcitonin gene-related peptide. Curr. Opin. Neurol. 2021, 34, 363–372. [Google Scholar] [CrossRef]
- Eigenbrodt, A.K.; Ashina, H.; Khan, S.; Diener, H.-C.; Mitsikostas, D.D.; Sinclair, A.J.; Pozo-Rosich, P.; Martelletti, P.; Ducros, A.; Lantéri-Minet, M.; et al. Diagnosis and management of migraine in ten steps. Nat. Rev. Neurol. 2021, 17, 501–514. [Google Scholar] [CrossRef]
- Wang, Y.; Shan, Z.; Zhang, L.; Fan, S.; Zhou, Y.; Hu, L.; Wang, Y.; Li, W.; Xiao, Z. P2X7R/NLRP3 signaling pathway-mediated pyroptosis and neuroinflammation contributed to cognitive impairment in a mouse model of migraine. J. Headache Pain 2022, 23, 75. [Google Scholar] [CrossRef]












Disclaimer/Publisher’s Note: The statements, opinions and data contained in all publications are solely those of the individual author(s) and contributor(s) and not of MDPI and/or the editor(s). MDPI and/or the editor(s) disclaim responsibility for any injury to people or property resulting from any ideas, methods, instructions or products referred to in the content. |
© 2023 by the authors. Licensee MDPI, Basel, Switzerland. This article is an open access article distributed under the terms and conditions of the Creative Commons Attribution (CC BY) license (https://creativecommons.org/licenses/by/4.0/).
Share and Cite
Hu, L.; Gong, Q.; Zhou, Y.; Wang, Y.; Qiu, T.; Fang, Y.; Huang, W.; Liang, J.; Xiao, Z. Arc-Mediated Synaptic Plasticity Regulates Cognitive Function in a Migraine Mouse Model. Brain Sci. 2023, 13, 331. https://doi.org/10.3390/brainsci13020331
Hu L, Gong Q, Zhou Y, Wang Y, Qiu T, Fang Y, Huang W, Liang J, Xiao Z. Arc-Mediated Synaptic Plasticity Regulates Cognitive Function in a Migraine Mouse Model. Brain Sciences. 2023; 13(2):331. https://doi.org/10.3390/brainsci13020331
Chicago/Turabian StyleHu, Luyu, Qiaoyu Gong, Yanjie Zhou, Yajuan Wang, Tao Qiu, Yuting Fang, Wanbin Huang, Jingjing Liang, and Zheman Xiao. 2023. "Arc-Mediated Synaptic Plasticity Regulates Cognitive Function in a Migraine Mouse Model" Brain Sciences 13, no. 2: 331. https://doi.org/10.3390/brainsci13020331
APA StyleHu, L., Gong, Q., Zhou, Y., Wang, Y., Qiu, T., Fang, Y., Huang, W., Liang, J., & Xiao, Z. (2023). Arc-Mediated Synaptic Plasticity Regulates Cognitive Function in a Migraine Mouse Model. Brain Sciences, 13(2), 331. https://doi.org/10.3390/brainsci13020331

