Least-Cost-Path and Closest Facility Analysis for Generating District Heating Networks on a Communal Level
Abstract
1. Introduction
2. Materials and Methods
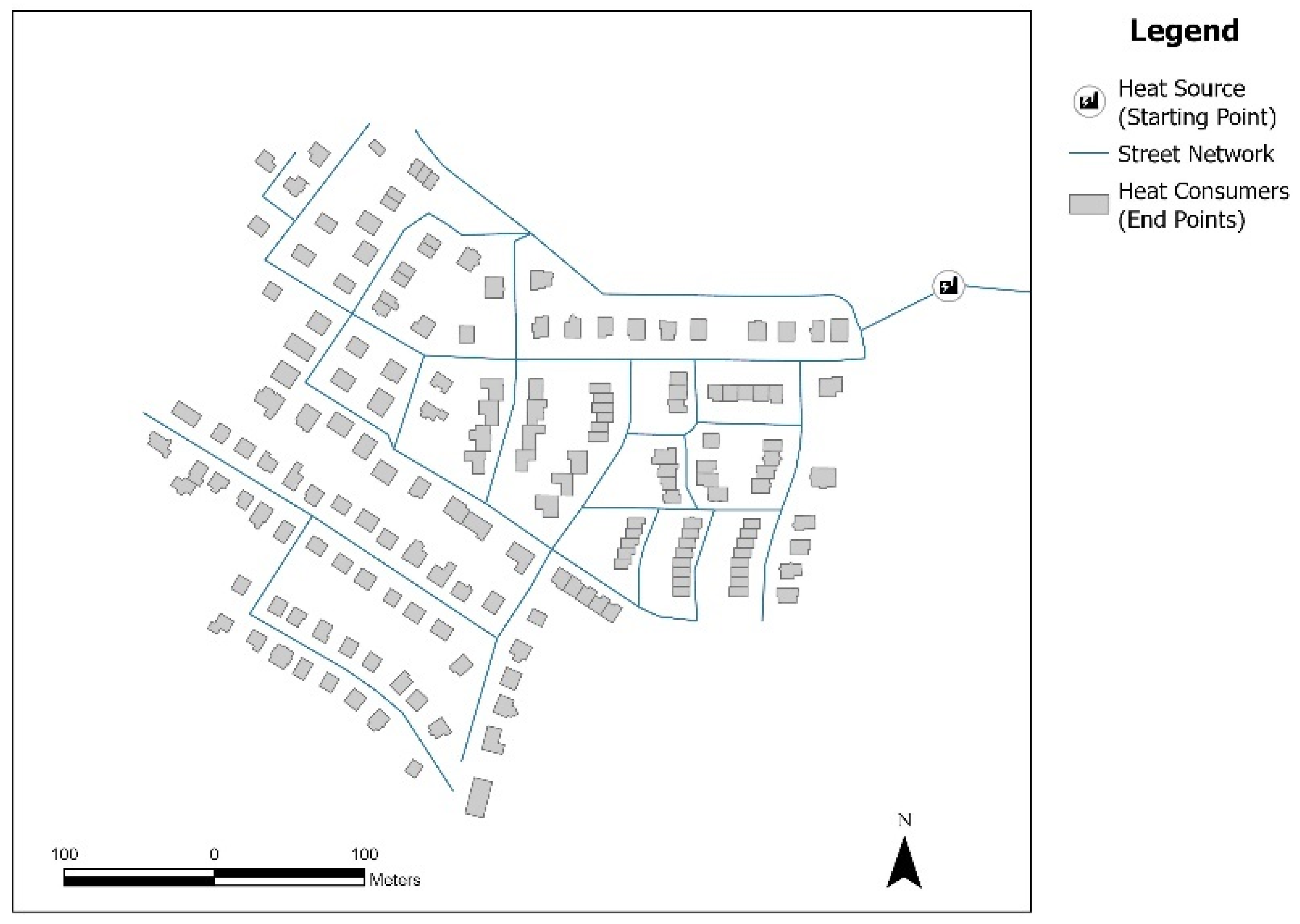
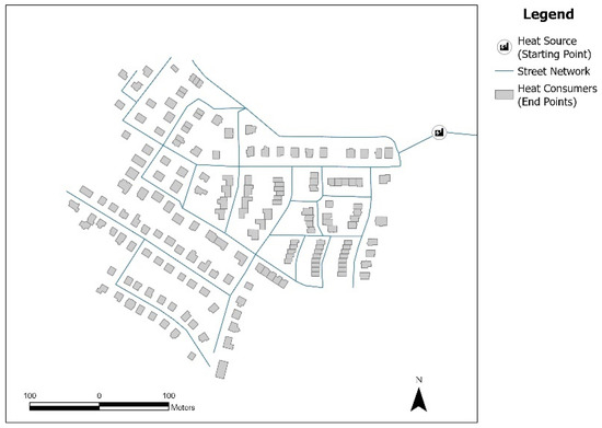
2.1. Study Areas
2.2. Materials
2.3. Methods
2.3.1. Least-Cost-Path Method
- -
- Raster of feature destination data (result of Step 2);
- -
- Input cost distance (result of Step 1);
- -
- Backlink raster (from Step 1);
- -
- Path type (best cell), matched to each point representing a building (Version 1).
2.3.2. Closest Facility Method
3. Results
3.1. Least-Cost-Path Analysis for the Test Area
3.2. Closest Facility Analysis
3.3. Replication on Different Communal Levels
4. Discussion
- -
- The proposed method deals only with the first rough generation of DH networks without considering the energy issue.
- -
- The computation time is rather high (220 connections/hour) in the case of the Closest Facility method.
5. Conclusions
- -
- An easy-to-use and accurate method on the basis of very few open-source data input is possible with reliable computation time (LCPA method: few minutes; Closest Facility method: 220 connections/hour).
- -
- The DH networks generated using both methods are reliable, as they are based on real street networks and considers real building footprints.
- -
- The drawing of the first potential DH networks using an LCPA method on a smaller spatial level is very appropriate: in the case of higher spatial levels, a weak point occurs due to the fact that some redundant (duplicate) heating pipes routes are generated.
- -
- A solution to work around this weak point was found using another so-called Closest Facility method, even if this method takes more computation time.
- (1)
- Analysis of the open-source heat demand or even available heat consumption data for each of the heat consumers integrated in the DH network due to proceeding with dimensioning of the generated heat pipelines of the DH networks.
- (2)
- Development of an additional option to generate the house connections between the main heat pipes and the heat consumers.
- (3)
- Development of an automatic tool/model for performing the dimensioning of DH pipes.
- (4)
- Enhancement of the model to perform the first cost-effective analysis on the basis of the line density and effective width for district heating (example procedure in [28]).
- (5)
- Implementation of the model for the fully automatic generation of potential DH networks at different spatial levels.
Author Contributions
Funding
Data Availability Statement
Acknowledgments
Conflicts of Interest
References
- European Commission. Energy. Roadmap 2050. Impact Assessment and Scenario Analysis. Available online: https://energy.ec.europa.eu/system/files/2014-10/roadmap2050_ia_20120430_en_0.pdf (accessed on 8 November 2023).
- Connolly, D.; Lund, H.; Mathiesen, B.V.; Werner, S.; Möller, B.; Persson, U. Heat Roadmap Europe: Combining district heating with heat savings to decarbonize the EU energy system. Energy Policy 2014, 65, 475–489. [Google Scholar] [CrossRef]
- Danish Energy Agency. Technology Data—Energy Plants for Electricity and District Heating Generation; Danish Energy Agency: Copenhagen, Denmark, 2016. [Google Scholar]
- Persson, U.; Bernad, M.; Eva, C. sEEnergies D4.5—District Heating Investment Costs and Allocation of Local Resources for EU28 in 2030 and 2050; Zenodo: Geneva, Switzerland, 2021. [Google Scholar]
- BMWK—Heating Networks: Connecting to the Future. Available online: https://www.energiewechsel.de (accessed on 8 November 2023).
- Frederiksen, S.; Werner, S. District Heating and Cooling, 1st ed.; Studentlitteratur: Lund, Sweden, 2013; Available online: http://urn.kb.se/resolve?urn=urn:nbn:se:hh:diva-23973 (accessed on 8 November 2023).
- Klimaschutz- und Klimawandelanpassungsgesetz Baden-Württemberg: Ministerium für Umwelt, Klima und Energiewirtschaft Baden-Württemberg. Available online: https://um.baden-wuerttemberg.de/de/klima/klimaschutz-in-bw/klimaschutz-und-klimawandelanpassungsgesetz-baden-wuerttemberg (accessed on 8 November 2023).
- Baden-Württemberg Climate Protection Act; EN_KSG BW_End Version; Ministry of the Environment, Climate Protection and Energy Sector Baden-Württemberg: Stuttgart, Germany, 2013.
- Kienzlen. Bedeutung von Wärmenetzen für die Energiewenden; KEA Klimaschutz- und Energieagentur Baden-Württemberg GmbH: Stuttgart, Germany, 2014. [Google Scholar]
- Talarek, K.; Garbowski, T. Challenges for district heating in Poland. Discov. Energy 2023, 3, 5. [Google Scholar] [CrossRef]
- Krajowy Plan na Rzecz Energii i Klimatu na Lata 2021–2030 (KPEiK)/The National Energy and Climate Plan for the Years 2021–2030. 2019. Available online: https://www.gov.pl/web/aktywa-panstwowe/krajowy-plan-na-rzecz-energii-i-klimatu-na-lata-2021-2030-przekazanydo-ke (accessed on 8 November 2023).
- Polityka Energetyczna Polski do 2040 r./Poland’s Energy Policy until 2040 (PEP2040); Ministry of Climate and Environment: Warsaw, Poland, 2022. Available online: https://isap.sejm.gov.pl/isap.nsf/DocDetails.xsp?id=WMP20210000264 (accessed on 8 November 2023).
- Report “Ostatni Dzwonek dla Ciepłownictwa w Polsce”. Available online: www.forum-energii.eu (accessed on 8 November 2023).
- Bagli, S.; Geneletti, D.; Orsi, F. Routing of power lines through least-cost path analysis and multicriteria evaluation to minimise environmental impacts. Environ. Impact Assess. Rev. 2011, 31, 234–239. [Google Scholar] [CrossRef]
- Project ANSWER Kommunal—Entwicklung Eines Standardisierten Analyse- und Ergebnisrasters für Wärmepläne zur Umsetzung der Energiewende im Kommunalen Bereich (eng.: Development of a Standardized Analysis and Results Grid for Heat Plans for the Implementation of the Energy Transition in the Municipal Sector); Research Report (FKZ 03ET4050A); KEA Klimaschutz- und Energieagentur Baden-Württemberg GmbH: Karlsruhe, Germany, 2022.
- Lin, S.; Mathew, S.; Rasam, A.R.A. Least Cost Path Analysis for Electrical Transmission Route Suitability. In Proceedings of the 3rd International Conference on the Built Environment and Engineering (IConBEE), Putrajaya, Malaysia, 17–19 October 2022; Volume 2881. [Google Scholar] [CrossRef]
- Effat, H.A.; Hassan, O.A. Designing and evaluation of three alternatives highway routes using the Analytical Hierarchy Process and the least-cost path analysis, application in Sinai Peninsula, Egypt. Egypt. J. Remote Sens. Space Sci. 2013, 16, 141–151. [Google Scholar] [CrossRef]
- Gustas, R.; Supernant, K. Least cost path analysis of early maritime movement on the Pacific Northwest Coast. J. Archaeol. Sci. 2017, 78, 40–56. [Google Scholar] [CrossRef]
- Siljander, M.; Venäläinen, E.; Goerlandt, F.; Pellikka, P. GIS-based cost distance modelling to support strategic maritime search and rescue planning: A feasibility study. Appl. Geogr. 2015, 57, 54–70. [Google Scholar] [CrossRef]
- Dudás, G.; Boros, L.; Pál, V.; Pernyész, P. Mapping cost distance using air traffic data. J. Maps 2016, 12, 695–700. [Google Scholar] [CrossRef]
- Saaty, T.L. The Analytic Hierarchy Process; McGraw-Hill: New York, NY, USA, 1980. [Google Scholar]
- Saaty, R.W. The analytic hierarchy process-what it is and how it is used. Math Model 1987, 9, 161–176. [Google Scholar] [CrossRef]
- Etherington, T.R. Least-Cost Modelling and Landscape Ecology: Concepts, Applications, and Opportunities. Curr. Landsc. Ecol. Rep. 2016, 1, 40–53. [Google Scholar] [CrossRef]
- Etherington, A.; Penelope Holland, T.R.E. Least-cost path length versus accumulated-cost as connectivity measures. Landsc. Ecol. 2013, 28, 1223–1229. [Google Scholar] [CrossRef]
- Tang, Q.; Dou, W. An Effective Method for Computing the Least-Cost Path Using a Multi-Resolution Raster Cost Surface Model. ISPRS Int. J. Geo-Inf. 2023, 12, 287. [Google Scholar] [CrossRef]
- ArcGIS Pro Software. Available online: https://pro.arcgis.com/en/pro-app/latest/tool-reference/spatial-analyst/creating-the-least-cost-path.htm (accessed on 8 November 2023).
- Directive 2007/2/EC of the European Parliament and of the Council of 14 March 2007 Establishing an Infrastructure for Spatial Information in the European Community (INSPIRE) 14 March 2007. Available online: https://knowledge-base.inspire.ec.europa.eu/index_en (accessed on 8 November 2023).
- Sanchez-Garcia, L.; Persson, U.; Averfalk, H. Understanding effective width for district heating. Energy 2023, 277, 127427. [Google Scholar] [CrossRef]















| Data | Case Study Area |
|---|---|
| Area | 15.65 km2 |
| Population | 7410 (2017) |
| Criteria | Test Area + Case Study Area |
|---|---|
| Data input | Street network |
| Building footprints | |
| Location heat source | |
| Heat flow | Distribution along the reliable street network |
| Direction from the starting point (heat source) to the endpoints (buildings as heat consumers) |
Disclaimer/Publisher’s Note: The statements, opinions and data contained in all publications are solely those of the individual author(s) and contributor(s) and not of MDPI and/or the editor(s). MDPI and/or the editor(s) disclaim responsibility for any injury to people or property resulting from any ideas, methods, instructions or products referred to in the content. |
© 2024 by the authors. Licensee MDPI, Basel, Switzerland. This article is an open access article distributed under the terms and conditions of the Creative Commons Attribution (CC BY) license (https://creativecommons.org/licenses/by/4.0/).
Share and Cite
Strzalka, A.; Malicki, J.; Blachowski, J. Least-Cost-Path and Closest Facility Analysis for Generating District Heating Networks on a Communal Level. Appl. Sci. 2024, 14, 763. https://doi.org/10.3390/app14020763
Strzalka A, Malicki J, Blachowski J. Least-Cost-Path and Closest Facility Analysis for Generating District Heating Networks on a Communal Level. Applied Sciences. 2024; 14(2):763. https://doi.org/10.3390/app14020763
Chicago/Turabian StyleStrzalka, Aneta, Jacek Malicki, and Jan Blachowski. 2024. "Least-Cost-Path and Closest Facility Analysis for Generating District Heating Networks on a Communal Level" Applied Sciences 14, no. 2: 763. https://doi.org/10.3390/app14020763
APA StyleStrzalka, A., Malicki, J., & Blachowski, J. (2024). Least-Cost-Path and Closest Facility Analysis for Generating District Heating Networks on a Communal Level. Applied Sciences, 14(2), 763. https://doi.org/10.3390/app14020763

