Efficient Delivery of dsRNA and DNA in Cultured Silkworm Cells for Gene Function Analysis Using PAMAM Dendrimers System
Abstract
1. Introduction
2. Materials and Methods
2.1. Cell Culture
2.2. Plasmids
2.3. Double-Stranded RNA
2.4. Gel Analysis of dsRNA and Plasmid DNA with G5-PAMAM Complexes
2.5. G5-PAMAM-Mediated Delivery Assay
2.6. RT-PCR Assay
2.7. Fluorescence Assay
2.8. Cell Proliferation Assay
2.9. Dual Luciferase Assay
3. Results and Discussion
3.1. Complex Formation between G5-PAMAM and Various Types of Nucleic Acids
3.2. Efficient dsRNA Delivery in Cultured Silkworm Cells Using G5-PAMAM System
3.3. Efficient DNA Delivery in Cultured Silkworm Cells Using G5-PAMAM System
3.4. Evaluation of G5-PAMAM Dendrimers on Cellular Cytotoxicity
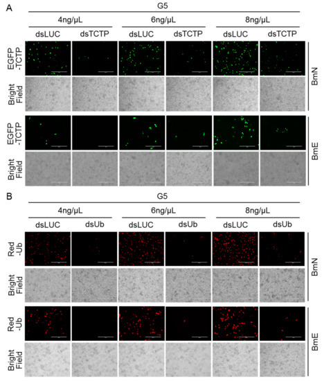
3.5. Gene Function Assay Using G5-PAMAM System in Cultured Silkworm Cells
3.6. Application of G5-PAMAMSystem in Promoter Activity Analysis
4. Conclusions
Supplementary Materials
Author Contributions
Funding
Conflicts of Interest
References
- Nguyen, J.; Szoka, F.C. Nucleic acid delivery: The missing pieces of the puzzle. Acc. Chem. Res. 2012, 45, 1153–1162. [Google Scholar] [CrossRef]
- David, R.M.; Doherty, A.T. Viral Vectors: The Road to Reducing Genotoxicity. Toxicol. Sci. 2017, 155, 315–325. [Google Scholar] [CrossRef] [PubMed]
- Warnock, J.N.; Daigre, C.; Al-Rubeai, M. Introduction to viral vectors. Methods Mol. Biol. 2011, 737, 1–25. [Google Scholar] [PubMed]
- Guo, X.; Huang, L. Recent advances in nonviral vectors for gene delivery. Acc. Chem. Res. 2012, 45, 971–979. [Google Scholar] [CrossRef] [PubMed]
- Goodwin, T.; Huang, L. Nonviral vectors: We have come a long way. Adv. Genet. 2014, 88, 1–12. [Google Scholar] [PubMed]
- Kesharwani, P.; Iyer, A.K. Recent advances in dendrimer-based nanovectors for tumor-targeted drug and gene delivery. Drug Discov. Today 2015, 20, 536–547. [Google Scholar] [CrossRef]
- Luong, D.; Kesharwani, P.; Deshmukh, R.; Mohd Amin, M.C.I.; Gupta, U.; Greish, K.; Iyer, A.K. PEGylated PAMAM dendrimers: Enhancing efficacy and mitigating toxicity for effective anticancer drug and gene delivery. Acta Biomater. 2016, 43, 14–29. [Google Scholar] [CrossRef]
- Alabi, C.; Vegas, A.; Anderson, D. Attacking the genome: Emerging siRNA nanocarriers from concept to clinic. Curr. Opin. Pharmacol. 2012, 12, 427–433. [Google Scholar] [CrossRef]
- Shen, H.; Sun, T.; Ferrari, M. Nanovector delivery of siRNA for cancer therapy. Cancer Gene Ther. 2012, 19, 367–373. [Google Scholar] [CrossRef]
- Englezou, P.C.; Sapet, C.; Demoulins, T.; Milona, P.; Ebensen, T.; Schulze, K.; Guzman, C.A.; Poulhes, F.; Zelphati, O.; Ruggli, N.; et al. Self-Amplifying Replicon RNA Delivery to Dendritic Cells by Cationic Lipids. Mol. Ther. Nucleic Acids 2018, 12, 118–134. [Google Scholar] [CrossRef]
- McKinlay, C.J.; Benner, N.L.; Haabeth, O.A.; Waymouth, R.M.; Wender, P.A. Enhanced mRNA delivery into lymphocytes enabled by lipid-varied libraries of charge-altering releasable transporters. Proc. Natl. Acad. Sci. USA 2018, 115, E5859–E5866. [Google Scholar] [CrossRef] [PubMed]
- Gudipati, S.; Zhang, K.; Rouge, J.L. Towards Self-Transfecting Nucleic Acid Nanostructures for Gene Regulation. Trends Biotechnol. 2019, 37, 983–994. [Google Scholar] [CrossRef] [PubMed]
- Liu, X.; Liu, C.; Catapano, C.V.; Peng, L.; Zhou, J.; Rocchi, P. Structurally flexible triethanolamine-core poly(amidoamine) dendrimers as effective nanovectors to deliver RNAi-based therapeutics. Biotechnol. Adv. 2014, 32, 844–852. [Google Scholar] [CrossRef] [PubMed]
- Terenius, O.; Papanicolaou, A.; Garbutt, J.S.; Eleftherianos, I.; Huvenne, H.; Kanginakudru, S.; Albrechtsen, M.; An, C.; Aymeric, J.L.; Barthel, A.; et al. RNA interference in Lepidoptera: An overview of successful and unsuccessful studies and implications for experimental design. J. Insect Physiol. 2011, 57, 231–245. [Google Scholar] [CrossRef] [PubMed]
- Feinberg, E.H.; Hunter, C.P. Transport of dsRNA into cells by the transmembrane protein SID-1. Science 2003, 301, 1545–1547. [Google Scholar] [CrossRef] [PubMed]
- Mon, H.; Kobayashi, I.; Ohkubo, S.; Tomita, S.; Lee, J.; Sezutsu, H.; Tamura, T.; Kusakabe, T. Effective RNA interference in cultured silkworm cells mediated by overexpression of Caenorhabditis elegans SID-1. RNA Biol. 2012, 9, 40–46. [Google Scholar] [CrossRef]
- Xu, J.; Mon, H.; Kusakabe, T.; Li, Z.; Zhu, L.; Iiyama, K.; Masuda, A.; Mitsudome, T.; Lee, J.M. Establishment of a soaking RNA interference and Bombyx mori nucleopolyhedrovirus (BmNPV)-hypersensitive cell line using Bme21 cell. Appl. Microbiol. Biotechnol. 2013, 97, 10435–10444. [Google Scholar] [CrossRef]
- Xu, J.; Nagata, Y.; Mon, H.; Li, Z.; Zhu, L.; Iiyama, K.; Kusakabe, T.; Lee, J.M. Soaking RNAi-mediated modification of Sf9 cells for baculovirus expression system by ectopic expression of Caenorhabditis elegans SID-1. Appl. Microbiol. Biotechnol. 2013, 97, 5921–5931. [Google Scholar] [CrossRef]
- Fox, L.J.; Richardson, R.M.; Briscoe, W.H. PAMAM dendrimer-cell membrane interactions. Adv. Colloid Interface Sci. 2018, 257, 1–18. [Google Scholar] [CrossRef]
- Li, J.; Liang, H.; Liu, J.; Wang, Z. Poly (amidoamine) (PAMAM) dendrimer mediated delivery of drug and pDNA/siRNA for cancer therapy. Int. J. Pharm. 2018, 546, 215–225. [Google Scholar] [CrossRef]
- Haensler, J.; Szoka, F.C., Jr. Polyamidoamine cascade polymers mediate efficient transfection of cells in culture. Bioconjug. Chem. 1993, 4, 372–379. [Google Scholar] [CrossRef] [PubMed]
- Tang, Y.; Li, Y.B.; Wang, B.; Lin, R.Y.; van Dongen, M.; Zurcher, D.M.; Gu, X.Y.; Banaszak Holl, M.M.; Liu, G.; Qi, R. Efficient in vitro siRNA delivery and intramuscular gene silencing using PEG-modified PAMAM dendrimers. Mol. Pharm. 2012, 9, 1812–1821. [Google Scholar] [CrossRef] [PubMed]
- Liu, X.X.; Rocchi, P.; Qu, F.Q.; Zheng, S.Q.; Liang, Z.C.; Gleave, M.; Iovanna, J.; Peng, L. PAMAM dendrimers mediate siRNA delivery to target Hsp27 and produce potent antiproliferative effects on prostate cancer cells. ChemMedChem 2009, 4, 1302–1310. [Google Scholar] [CrossRef] [PubMed]
- The International Silkworm Genome Consortium. The genome of a lepidopteran model insect, the silkworm Bombyx mori. Insect Biochem. Mol. Biol. 2008, 38, 1036–1045. [Google Scholar] [CrossRef]
- Xia, Q.; Li, S.; Feng, Q. Advances in silkworm studies accelerated by the genome sequencing of Bombyx mori. Annu. Rev. Entomol. 2014, 59, 513–536. [Google Scholar] [CrossRef]
- Pan, M.H.; Cai, X.J.; Liu, M.; Lv, J.; Tang, H.; Tan, J.; Lu, C. Establishment and characterization of an ovarian cell line of the silkworm, Bombyx mori. Tissue Cell 2010, 42, 42–46. [Google Scholar] [CrossRef]
- Pan, M.H.; Xiao, S.Q.; Chen, M.; Hong, X.J.; Lu, C. Establishment and characterization of two embryonic cell lines of Bombyx mori. In Vitro Cell. Dev. Biol.-Anim. 2007, 43, 101–104. [Google Scholar] [CrossRef]
- Li, Z.; Mon, H.; Xu, J.; Zhu, L.; Lee, J.M.; Kusakabe, T. A conserved SUMOylation signaling for cell cycle control in a holocentric species Bombyx mori. Insect Biochem. Mol. Biol. 2014, 51, 71–79. [Google Scholar] [CrossRef]
- Li, Z.; Cui, Q.; Xu, J.; Cheng, D.; Wang, X.; Li, B.; Lee, J.M.; Xia, Q.; Kusakabe, T.; Zhao, P. SUMOylation regulates the localization and activity of Polo-like kinase 1 during cell cycle in the silkworm, Bombyx mori. Sci. Rep. 2017, 7, 15536. [Google Scholar] [CrossRef]
- Li, Z.; Tatsuke, T.; Sakashita, K.; Zhu, L.; Xu, J.; Mon, H.; Lee, J.M.; Kusakabe, T. Identification and characterization of Polycomb group genes in the silkworm, Bombyx mori. Mol. Biol. Rep. 2012, 39, 5575–5588. [Google Scholar] [CrossRef]
- Li, Z.; Cheng, D.; Mon, H.; Tatsuke, T.; Zhu, L.; Xu, J.; Lee, J.M.; Xia, Q.; Kusakabe, T. Genome-wide identification of polycomb target genes reveals a functional association of Pho with Scm in Bombyx mori. PLoS ONE 2012, 7, 0034330. [Google Scholar] [CrossRef] [PubMed]
- Liu, L.; Wang, Y.; Li, Y.; Guo, P.; Liu, C.; Li, Z.; Wang, F.; Zhao, P.; Xia, Q.; He, H. Insights into the repression of fibroin modulator binding protein-1 on the transcription of fibroin H-chain during molting in Bombyx mori. Insect Biochem. Mol. Biol. 2019, 104, 39–49. [Google Scholar] [CrossRef] [PubMed]
- Turchin, I.V.; Kamensky, V.A.; Plehanov, V.I.; Orlova, A.G.; Kleshnin, M.S.; Fiks, I.I.; Shirmanova, M.V.; Meerovich, I.G.; Arslanbaeva, L.R.; Jerdeva, V.V.; et al. Fluorescence diffuse tomography for detection of red fluorescent protein expressed tumors in small animals. J. Biomed. Opt. 2008, 13, 041310. [Google Scholar] [CrossRef] [PubMed]
- Liu, L.P.; Deng, Z.N.; Qu, J.W.; Yan, J.W.; Catara, V.; Li, D.Z.; Long, G.Y.; Li, N. Construction of EGFP-labeling system for visualizing the infection process of Xanthomonas axonopodis pv. citri in planta. Curr. Microbiol. 2012, 65, 304–312. [Google Scholar] [CrossRef]






© 2019 by the authors. Licensee MDPI, Basel, Switzerland. This article is an open access article distributed under the terms and conditions of the Creative Commons Attribution (CC BY) license (http://creativecommons.org/licenses/by/4.0/).
Share and Cite
Lu, C.; Li, Z.; Chang, L.; Dong, Z.; Guo, P.; Shen, G.; Xia, Q.; Zhao, P. Efficient Delivery of dsRNA and DNA in Cultured Silkworm Cells for Gene Function Analysis Using PAMAM Dendrimers System. Insects 2020, 11, 12. https://doi.org/10.3390/insects11010012
Lu C, Li Z, Chang L, Dong Z, Guo P, Shen G, Xia Q, Zhao P. Efficient Delivery of dsRNA and DNA in Cultured Silkworm Cells for Gene Function Analysis Using PAMAM Dendrimers System. Insects. 2020; 11(1):12. https://doi.org/10.3390/insects11010012
Chicago/Turabian StyleLu, Chenchen, Zhiqing Li, Li Chang, Zhaoming Dong, Pengchao Guo, Guanwang Shen, Qingyou Xia, and Ping Zhao. 2020. "Efficient Delivery of dsRNA and DNA in Cultured Silkworm Cells for Gene Function Analysis Using PAMAM Dendrimers System" Insects 11, no. 1: 12. https://doi.org/10.3390/insects11010012
APA StyleLu, C., Li, Z., Chang, L., Dong, Z., Guo, P., Shen, G., Xia, Q., & Zhao, P. (2020). Efficient Delivery of dsRNA and DNA in Cultured Silkworm Cells for Gene Function Analysis Using PAMAM Dendrimers System. Insects, 11(1), 12. https://doi.org/10.3390/insects11010012

