Research Progress on the Application of Mass Spectrometry Imaging Technology in Cerebral Disease
Abstract
1. Introduction
2. MSI Technology and Its Characteristics
2.1. MSI Ionization Techniques
2.2. Characteristics of MSI
3. Applications of MSI in Neurological Disorders
3.1. Parkinson’s Disease (PD)
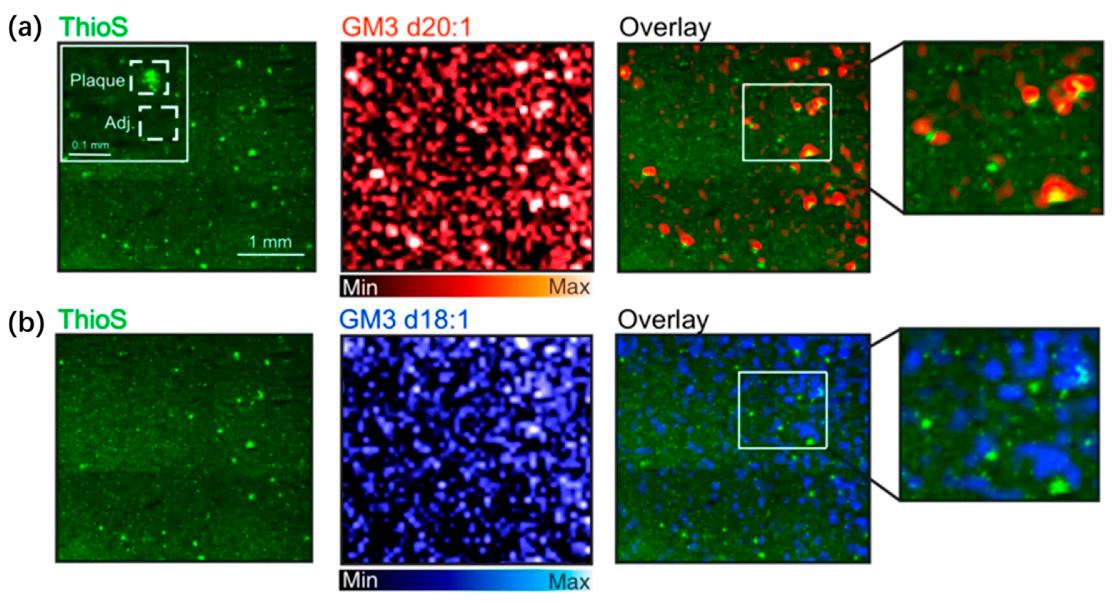
3.2. Alzheimer’s Disease (AD)
3.3. Schizophrenia
3.4. Traumatic Brain Injury (TBI)
3.5. Other Applications
4. Conclusions
Author Contributions
Funding
Institutional Review Board Statement
Informed Consent Statement
Data Availability Statement
Conflicts of Interest
Abbreviations
| MSI | Mass Spectrometry Imaging |
| MALDI | Matrix-Assisted Laser Desorption/Ionization |
| DESI | Desorption/Ionization Electrospray |
| DALYs | Disability-Adjusted Life Years |
| SIMS | Secondary Ion Mass Spectrometry |
| CHCA | α-cyano-4-hydroxycinnamic acid |
| DHB | 2,5-dihydroxybenzoic acid |
| FT-ICR MS | Fourier Transform Ion Cyclotron Resonance Mass Spectrometry |
| PD | Parkinson’s Disease |
| L-DOPA | Levodopa |
| LID | L-DOPA-induced dyskinesia |
| 3-OMD | 3-O-Methyldopa |
| DA | Dopamine |
| 1H-MRS | Hydrogen proton Magnetic Resonance Spectroscopy |
| AD | Alzheimer’s Disease |
| IMS | Ion Mobility Spectrometry |
| GABA | Gamma-Aminobutyric Acid |
| TBI | Traumatic Brain Injury |
| FCD | Focal Cortical Dysplasia |
| HD | Huntington’s Disease |
| IR-MALDESI | Infrared-Matrix-Assisted Laser Desorption Electrospray Ionization |
| TOF-SIMS | Time of Flight Secondary Ion Mass Spectrometry |
References
- Huang, Y.; Li, Y.; Pan, H.; Han, L. Global, Regional, and National Burden of Neurological Disorders in 204 Countries and Territories Worldwide. J. Glob. Health 2023, 13, 04160. [Google Scholar] [CrossRef]
- Fangma, Y.; Liu, M.; Liao, J.; Chen, Z.; Zheng, Y. Dissecting the Brain with Spatially Resolved Multi-Omics. J. Pharm. Anal. 2023, 13, 694–710. [Google Scholar] [CrossRef]
- Marshall, C.R.; Farrow, M.A.; Djambazova, K.V.; Spraggins, J.M. Untangling Alzheimer’s Disease with Spatial Multi-Omics: A Brief Review. Front. Aging Neurosci. 2023, 15, 1150512. [Google Scholar] [CrossRef] [PubMed]
- Liu, X.; Peng, T.; Xu, M.; Lin, S.; Hu, B.; Chu, T.; Liu, B.; Xu, Y.; Ding, W.; Li, L.; et al. Spatial Multi-Omics: Deciphering Technological Landscape of Integration of Multi-Omics and Its Applications. J. Hematol. Oncol. 2024, 17, 72–96. [Google Scholar] [CrossRef]
- Alexandrov, T.; Saez-Rodriguez, J.; Saka, S.K. Enablers and Challenges of Spatial Omics, a Melting Pot of Technologies. Mol. Syst. Biol. 2023, 19, e10571. [Google Scholar] [CrossRef] [PubMed]
- Huang, X.; Liu, H.H.; Mao, L.Q.; Xiong, C.Q.; Nie, Z.X. Advances in Mass Spectrometry Imaging Applications in Neuroscience. J. Anal. Chem. 2019, 47, 1592–1600. [Google Scholar] [CrossRef]
- Wang, H.B.; Men, Q.L.; Zhou, W.L.; Guo, H.Z.; Cai, Y.L. Exploring Potential Links Between Plasma Metabolites and Neurodegenerative Changes in Alzheimer’s Disease Among the Elderly Using Mass Spectrometry. J. Stroke Neurol. Dis. 2023, 30, 440–444. [Google Scholar]
- Wang, X.Q.; Huang, G.M. Trifluoroacetic Acid-Enhanced Desorption/Ionization Electrospray Mass Spectrometry Imaging for Studying the Spatial Distribution of Lipids. J. High. Educ. Chem. 2020, 41, 2673–2680. [Google Scholar]
- Jha, D.; Blennow, K.; Zetterberg, H.; Savas, J.N.; Hanrieder, J. Spatial Neurolipidomics—MALDI Mass Spectrometry Imaging of Lipids in Brain Pathologies. J. Mass Spectrom. 2024, 59, e5008. [Google Scholar] [CrossRef]
- Yang, X.L. Research on Metabolic Abnormalities and Related Pathways in Alzheimer’s Disease. Ph.D Thesis, University of Science and Technology of China, Hefei, China, March 2023. [Google Scholar]
- Laskin, J.; Heath, B.S.; Roach, P.J.; Cazares, L.; Semmes, O.J. Tissue Imaging Using Nanospray Desorption Electrospray Ionization Mass Spectrometry. Anal. Chem. 2012, 84, 141–148. [Google Scholar] [CrossRef]
- Zubair, F. MALDI Mass Spectrometry Based Proteomics for Drug Discovery & Development. Drug Discov. Today Technol. 2021, 40, 29–35. [Google Scholar] [CrossRef]
- Sparvero, L.J.; Amoscato, A.A.; Dixon, C.E.; Long, J.B.; Kochanek, P.M.; Pitt, B.R.; Bayır, H.; Kagan, V.E. Mapping of Phospholipids by MALDI Imaging (MALDI-MSI): Realities and Expectations. Chem. Phys. Lipids 2012, 165, 545–562. [Google Scholar] [CrossRef]
- Harvey, D.J. Analysis of Carbohydrates and Glycoconjugates by Matrix-Assisted Laser Desorption/Ionization Mass Spectrometry: An Update for 2017–2018. Mass Spectrom. Rev. 2023, 42, 227–431. [Google Scholar] [CrossRef] [PubMed]
- Fujimura, Y.; Miura, D. MALDI Mass Spectrometry Imaging for Visualizing In Situ Metabolism of Endogenous Metabolites and Dietary Phytochemicals. Metabolites 2014, 4, 319–346. [Google Scholar] [CrossRef]
- Kompauer, M.; Heiles, S.; Spengler, B. Atmospheric Pressure MALDI Mass Spectrometry Imaging of Tissues and Cells at 1.4-Μm Lateral Resolution. Nat. Methods 2017, 14, 90–96. [Google Scholar] [CrossRef] [PubMed]
- Manicke, N.E.; Wiseman, J.M.; Ifa, D.R.; Cooks, R.G. Desorption Electrospray Ionization (DESI) Mass Spectrometry and Tandem Mass Spectrometry (MS/MS) of Phospholipids and Sphingolipids: Ionization, Adduct Formation, and Fragmentation. J. Am. Soc. Mass Spectrom. 2008, 19, 531–543. [Google Scholar] [CrossRef] [PubMed]
- Wiseman, J.M.; Ifa, D.R.; Zhu, Y.; Kissinger, C.B.; Manicke, N.E.; Kissinger, P.T.; Cooks, R.G. Desorption Electrospray Ionization Mass Spectrometry: Imaging Drugs and Metabolites in Tissues. Proc. Natl. Acad. Sci. USA 2008, 105, 18120–18125. [Google Scholar] [CrossRef]
- Yang, M.; Unsihuay, D.; Hu, H.; Nguele Meke, F.; Qu, Z.; Zhang, Z.-Y.; Laskin, J. Nano-DESI Mass Spectrometry Imaging of Proteoforms in Biological Tissues with High Spatial Resolution. Anal. Chem. 2023, 95, 5214–5222. [Google Scholar] [CrossRef]
- Yang, M.; Tang, X.; Iqfath, M.; Hernly, E.; Unsihuay, D.; Manchanda, P.; Sharma, K.; Qu, Z.; Hu, H.; Beveridge, C.; et al. Multimodal Nano-DESI Mass Spectrometry Imaging Reveals Phospholipids Accumulation in and around Amyloid Plaques in Alzheimer’s Disease. ACS Chem. Neurosci. 2025, 16, 3127–3137. [Google Scholar] [CrossRef]
- Duncan, K.D.; Bergman, H.-M.; Lanekoff, I. A Pneumatically Assisted Nanospray Desorption Electrospray Ionization Source for Increased Solvent Versatility and Enhanced Metabolite Detection from Tissue. Analyst 2017, 142, 3424–3431. [Google Scholar] [CrossRef]
- Hsu, C.-C.; Chou, P.-T.; Zare, R.N. Imaging of Proteins in Tissue Samples Using Nanospray Desorption Electrospray Ionization Mass Spectrometry. Anal. Chem. 2015, 87, 11171–11175. [Google Scholar] [CrossRef]
- Zhang, X.; Wang, W.; Zare, R.N.; Min, Q. Peptide and Protein Assays Using Customizable Bio-Affinity Arrays Combined with Ambient Ionization Mass Spectrometry. Chem. Sci. 2021, 12, 10810–10816. [Google Scholar] [CrossRef]
- Kubicek, M.; Holzlechner, G.; Opitz, A.K.; Larisegger, S.; Hutter, H.; Fleig, J. A Novel ToF-SIMS Operation Mode for Sub 100nm Lateral Resolution: Application and Performance. Appl. Surf. Sci. 2014, 289, 407–416. [Google Scholar] [CrossRef]
- Durairaj, A.; Winograd, N. Tandem MS and C60 SIMS for the Identification and Characterization of Lipids. Surf. Interface Anal. 2014, 46, 118–122. [Google Scholar] [CrossRef]
- Tian, H.; Sparvero, L.J.; Anthonymuthu, T.S.; Sun, W.-Y.; Amoscato, A.A.; He, R.-R.; Bayır, H.; Kagan, V.E.; Winograd, N. Successive High-Resolution (H2O)n-GCIB and C60-SIMS Imaging Integrates Multi-Omics in Different Cell Types in Breast Cancer Tissue. Anal. Chem. 2021, 93, 8143–8151. [Google Scholar] [CrossRef]
- Ogrinc Potočnik, N.; Fisher, G.L.; Prop, A.; Heeren, R.M.A. Sequencing and Identification of Endogenous Neuropeptides with Matrix-Enhanced Secondary Ion Mass Spectrometry Tandem Mass Spectrometry. Anal. Chem. 2017, 89, 8223–8227. [Google Scholar] [CrossRef]
- Guo, X.; Wang, X.; Tian, C.; Dai, J.; Zhao, Z.; Duan, Y. Development of Mass Spectrometry Imaging Techniques and Its Latest Applications. Talanta 2023, 264, 124721. [Google Scholar] [CrossRef] [PubMed]
- Garza, K.Y.; Feider, C.L.; Klein, D.R.; Rosenberg, J.A.; Brodbelt, J.S.; Eberlin, L.S. Desorption Electrospray Ionization Mass Spectrometry Imaging of Proteins Directly from Biological Tissue Sections. Anal. Chem. 2018, 90, 7785–7789. [Google Scholar] [CrossRef] [PubMed]
- Holbrook, J.H.; Kemper, G.E.; Hummon, A.B. Quantitative Mass Spectrometry Imaging: Therapeutics & Biomolecules. Chem. Commun. 2024, 60, 2137–2151. [Google Scholar] [CrossRef]
- Wang, Y.; Hummon, A.B. Quantification of Irinotecan in Single Spheroids Using Internal Standards by MALDI Mass Spectrometry Imaging. Anal. Chem. 2023, 95, 9227–9236. [Google Scholar] [CrossRef]
- Yin, R.; Burnum-Johnson, K.E.; Sun, X.; Dey, S.K.; Laskin, J. High Spatial Resolution Imaging of Biological Tissues Using Nanospray Desorption Electrospray Ionization Mass Spectrometry. Nat. Protoc. 2019, 14, 3445–3470. [Google Scholar] [CrossRef] [PubMed]
- Porta, T.; Lesur, A.; Varesio, E.; Hopfgartner, G. Quantification in MALDI-MS Imaging: What Can We Learn from MALDI-Selected Reaction Monitoring and What Can We Expect for Imaging? Anal. Bioanal. Chem. 2015, 407, 2177–2187. [Google Scholar] [CrossRef] [PubMed]
- Brown, H.M.; Sanchez, D.M.; Yin, R.; Chen, B.; Vavrek, M.; Cancilla, M.T.; Zhong, W.; Shyong, B.; Zhang, R.; Li, F. Mass Spectrometry Imaging of Diclofenac and Its Metabolites in Tissues Using Nanospray Desorption Electrospray Ionization. ChemRxiv 2020. [Google Scholar] [CrossRef]
- Zhang, H.; Lu, K.H.; Ebbini, M.; Huang, P.; Lu, H.; Li, L. Mass Spectrometry Imaging for Spatially Resolved Multi-Omics Molecular Mapping. npj Imaging 2024, 2, 20–35. [Google Scholar] [CrossRef]
- Djambazova, K.V.; Van Ardenne, J.M.; Spraggins, J.M. Advances in Imaging Mass Spectrometry for Biomedical and Clinical Research. TrAC Trends Anal. Chem. 2023, 169, 117344. [Google Scholar] [CrossRef]
- Buchberger, A.R.; DeLaney, K.; Johnson, J.; Li, L. Mass Spectrometry Imaging: A Review of Emerging Advancements and Future Insights. Anal. Chem. 2018, 90, 240–265. [Google Scholar] [CrossRef]
- Dilmetz, B.A.; Lee, Y.; Condina, M.R.; Briggs, M.; Young, C.; Desire, C.T.; Klingler-Hoffmann, M.; Hoffmann, P. Novel Technical Developments in Mass Spectrometry Imaging in 2020: A Mini Review. Anal. Sci. Adv. 2021, 2, 225–237. [Google Scholar] [CrossRef]
- Tuck, M.; Grélard, F.; Blanc, L.; Desbenoit, N. MALDI-MSI towards Multimodal Imaging: Challenges and Perspectives. Front. Chem. 2022, 10, 904688. [Google Scholar] [CrossRef]
- Guo, A.; Chen, Z.; Li, F.; Luo, Q. Delineating Regions of Interest for Mass Spectrometry Imaging by Multimodally Corroborated Spatial Segmentation. GigaScience 2022, 12, giad021. [Google Scholar] [CrossRef]
- Mittal, P.; Condina, M.R.; Klingler-Hoffmann, M.; Kaur, G.; Oehler, M.K.; Sieber, O.M.; Palmieri, M.; Kommoss, S.; Brucker, S.; McDonnell, M.D.; et al. Cancer Tissue Classification Using Supervised Machine Learning Applied to MALDI Mass Spectrometry Imaging. Cancers 2021, 13, 5388. [Google Scholar] [CrossRef]
- Santos Bezerra, T.M.; Silva De Deus, M.; Cavalaro, F.; Ribeiro, D.; Seidinger, A.L.; Cardinalli, I.A.; De Melo Porcari, A.; De Souza Queiroz, L.; Pedrini, H.; Meidanis, J. Deep Learning Outperforms Classical Machine Learning Methods in Pediatric Brain Tumor Classification through Mass Spectra. Intell.-Based Med. 2024, 10, 100178. [Google Scholar] [CrossRef]
- Hu, H.; Bindu, J.P.; Laskin, J. Self-Supervised Clustering of Mass Spectrometry Imaging Data Using Contrastive Learning. Chem. Sci. 2022, 13, 90–98. [Google Scholar] [CrossRef]
- Guo, L.; Xie, C.; Miao, R.; Xu, J.; Xu, X.; Fang, J.; Wang, X.; Liu, W.; Liao, X.; Wang, J.; et al. DeepION: A Deep Learning-Based Low-Dimensional Representation Model of Ion Images for Mass Spectrometry Imaging. Anal. Chem. 2024, 96, 3829–3836. [Google Scholar] [CrossRef]
- Guo, L.; Xie, C.; Diao, X.; Lam, T.K.Y.; Zhong, Y.; Chen, Y.; Xu, J.; Xu, X.; Zhu, X.; Xiong, Z.; et al. De-MSI: A Deep Learning-Based Data Denoising Method to Enhance Mass Spectrometry Imaging by Leveraging the Chemical Prior Knowledge. Anal. Chem. 2025, 97, 20201–20208. [Google Scholar] [CrossRef]
- Seydoux, C.; Bryan, M.; Barnes, J.-P.; Jouneau, P.-H. Efficient Denoising of Mass Spectrometry Images by PCA-Assisted Self-Supervised Deep Learning 2025. ChemRxiv 2025. [Google Scholar] [CrossRef]
- Wess, M.; Andersen, M.K.; Midtbust, E.; Guillem, J.C.C.; Viset, T.; Størkersen, Ø.; Krossa, S.; Rye, M.B.; Tessem, M.-B. Spatial Integration of Multi-Omics Data from Serial Sections Using the Novel Multi-Omics Imaging Integration Toolset. GigaScience 2025, 14, giaf035. [Google Scholar] [CrossRef]
- Frucht, S.J.; Termsarasab, P. Movement Disorders Phenomenology: Therapy and Management, Volume II; Springer International Publishing: Cham, Switzerland, 2024; ISBN 978-3-031-52572-8. [Google Scholar]
- Bloem, B.R.; Okun, M.S.; Klein, C. Parkinson’s Disease. Lancet 2021, 397, 2284–2303. [Google Scholar] [CrossRef]
- Tang, T.; Jian, B.; Liu, Z. Transmembrane Protein 175, a Lysosomal Ion Channel Related to Parkinson’s Disease. Biomolecules 2023, 13, 802. [Google Scholar] [CrossRef] [PubMed]
- Singh, S.K.; Dutta, A.; Modi, G. α-Synuclein Aggregation Modulation: An Emerging Approach for the Treatment of Parkinson’s Disease. Future Med. Chem. 2017, 9, 1039–1053. [Google Scholar] [CrossRef]
- Fridjonsdottir, E.; Shariatgorji, R.; Nilsson, A.; Vallianatou, T.; Odell, L.R.; Schembri, L.S.; Svenningsson, P.; Fernagut, P.-O.; Crossman, A.R.; Bezard, E.; et al. Mass Spectrometry Imaging Identifies Abnormally Elevated Brain l-DOPA Levels and Extrastriatal Monoaminergic Dysregulation in l-DOPA–Induced Dyskinesia. Sci. Adv. 2021, 7, eabe5948. [Google Scholar] [CrossRef] [PubMed]
- Chen, W.; Liu, H.; Liu, S.; Kang, Y.; Nie, Z.; Lei, H. Altered Prefrontal Neurochemistry in the DJ-1 Knockout Mouse Model of Parkinson’s Disease: Complementary Semi-Quantitative Analyses with in Vivo Magnetic Resonance Spectroscopy and MALDI-MSI. Anal. Bioanal. Chem. 2022, 414, 7977–7987. [Google Scholar] [CrossRef]
- Yang, Y.; Qiu, L. Research Progress on the Pathogenesis, Diagnosis, and Drug Therapy of Alzheimer’s Disease. Brain Sci. 2024, 14, 590. [Google Scholar] [CrossRef] [PubMed]
- Porsteinsson, A.P.; Isaacson, R.S.; Knox, S.; Sabbagh, M.N.; Rubino, I. Diagnosis of Early Alzheimer’s Disease: Clinical Practice in 2021. J. Prev. Alzheimers Dis. 2021, 8, 371–386. [Google Scholar] [CrossRef]
- Guo, R.; Zhou, L.; Chen, X. Desorption Electrospray Ionization (DESI) Source Coupling Ion Mobility Mass Spectrometry for Imaging Fluoropezil (DC20) Distribution in Rat Brain. Anal. Bioanal. Chem. 2021, 413, 5835–5847. [Google Scholar] [CrossRef] [PubMed]
- Ollen-Bittle, N.; Pejhan, S.; Pasternak, S.H.; Keene, C.D.; Zhang, Q.; Whitehead, S.N. Co-Registration of MALDI-MSI and Histology Demonstrates Gangliosides Co-Localize with Amyloid Beta Plaques in Alzheimer’s Disease. Acta Neuropathol. 2024, 147, 105. [Google Scholar] [CrossRef]
- Van Echten-Deckert, G.; Walter, J. Sphingolipids: Critical Players in Alzheimer’s Disease. Prog. Lipid Res. 2012, 51, 378–393. [Google Scholar] [CrossRef] [PubMed]
- Zhang, Q.; Li, Y.; Sui, P.; Sun, X.-H.; Gao, Y.; Wang, C.-Y. MALDI Mass Spectrometry Imaging Discloses the Decline of Sulfoglycosphingolipid and Glycerophosphoinositol Species in the Brain Regions Related to Cognition in a Mouse Model of Alzheimer’s Disease. Talanta 2024, 266, 125022. [Google Scholar] [CrossRef]
- Zhu, X.D.; Liu, T.B. Research Progress on Mechanisms Linking Schizophrenia and Oxidative Stress. Int. J. Psychiatry 2021, 48, 974–976, 993. [Google Scholar] [CrossRef]
- Williams, S.E.; Mealer, R.G.; Scolnick, E.M.; Smoller, J.W.; Cummings, R.D. Aberrant Glycosylation in Schizophrenia: A Review of 25 Years of Post-Mortem Brain Studies. Mol. Psychiatry 2020, 25, 3198–3207. [Google Scholar] [CrossRef]
- Mueller, T.M.; Haroutunian, V.; Meador-Woodruff, J.H. N-Glycosylation of GABAA Receptor Subunits Is Altered in Schizophrenia. Neuropsychopharmacology 2014, 39, 528–537. [Google Scholar] [CrossRef]
- Hasan, M.M.; Mimi, M.A.; Mamun, M.A.; Islam, A.; Waliullah, A.S.M.; Nabi, M.M.; Tamannaa, Z.; Kahyo, T.; Setou, M. Mass Spectrometry Imaging for Glycome in the Brain. Front. Neuroanat. 2021, 15, 711955. [Google Scholar] [CrossRef] [PubMed]
- Heijs, B.; Potthoff, A.; Soltwisch, J.; Dreisewerd, K. MALDI-2 for the Enhanced Analysis of N -Linked Glycans by Mass Spectrometry Imaging. Anal. Chem. 2020, 92, 13904–13911. [Google Scholar] [CrossRef] [PubMed]
- Osetrova, M.S.; Zavolskova, M.D.; Mazin, P.V.; Stekolschikova, E.A.; Vladimirov, G.N.; Efimova, O.I.; Morozova, A.Y.; Zorkina, Y.A.; Andreyuk, D.S.; Kostyuk, G.P.; et al. Mass Spectrometry Imaging of Two Neocortical Areas Reveals the Histological Selectivity of Schizophrenia-Associated Lipid Alterations. Consort. Psychiatr. 2024, 5, 4–16. [Google Scholar] [CrossRef]
- Maas, A.I.R.; Menon, D.K.; Adelson, P.D.; Andelic, N.; Bell, M.J.; Belli, A.; Bragge, P.; Brazinova, A.; Büki, A.; Chesnut, R.M.; et al. Traumatic Brain Injury: Integrated Approaches to Improve Prevention, Clinical Care, and Research. Lancet Neurol. 2017, 16, 987–1048. [Google Scholar] [CrossRef] [PubMed]
- Dewan, M.C.; Rattani, A.; Gupta, S.; Baticulon, R.E.; Hung, Y.-C.; Punchak, M.; Agrawal, A.; Adeleye, A.O.; Shrime, M.G.; Rubiano, A.M.; et al. Estimating the Global Incidence of Traumatic Brain Injury. J. Neurosurg. 2019, 130, 1080–1097. [Google Scholar] [CrossRef]
- Dixon, K.J. Pathophysiology of Traumatic Brain Injury. Phys. Med. Rehabil. Clin. N. Am. 2017, 28, 215–225. [Google Scholar] [CrossRef]
- Loane, D.J.; Kumar, A. Microglia in the TBI Brain: The Good, the Bad, and the Dysregulated. Exp. Neurol. 2016, 275, 316–327. [Google Scholar] [CrossRef]
- Simon, D.W.; McGeachy, M.J.; Bayır, H.; Clark, R.S.B.; Loane, D.J.; Kochanek, P.M. The Far-Reaching Scope of Neuroinflammation after Traumatic Brain Injury. Nat. Rev. Neurol. 2017, 13, 171–191. [Google Scholar] [CrossRef]
- Needham, E.J.; Helmy, A.; Zanier, E.R.; Jones, J.L.; Coles, A.J.; Menon, D.K. The Immunological Response to Traumatic Brain Injury. J. Neuroimmunol. 2019, 332, 112–125. [Google Scholar] [CrossRef]
- Mallah, K.; Quanico, J.; Raffo-Romero, A.; Cardon, T.; Aboulouard, S.; Devos, D.; Kobeissy, F.; Zibara, K.; Salzet, M.; Fournier, I. Matrix-Assisted Laser Desorption/Ionization-Mass Spectrometry Imaging of Lipids in Experimental Model of Traumatic Brain Injury Detecting Acylcarnitines as Injury Related Markers. Anal. Chem. 2019, 91, 11879–11887. [Google Scholar] [CrossRef]
- Siciliano, A.M.; Moro, F.; De Simone, G.; Pischiutta, F.; Morabito, A.; Pastorelli, R.; Brunelli, L.; Zanier, E.R.; Davoli, E. Mapping Small Metabolite Changes after Traumatic Brain Injury Using AP-MALDI MSI. Anal. Bioanal. Chem. 2024, 416, 4941–4949. [Google Scholar] [CrossRef] [PubMed]
- Blank, M.; Enzlein, T.; Hopf, C. LPS-Induced Lipid Alterations in Microglia Revealed by MALDI Mass Spectrometry-Based Cell Fingerprinting in Neuroinflammation Studies. Sci. Rep. 2022, 12, 2908. [Google Scholar] [CrossRef]
- Razo, I.B.; Shea, K.; Allen, T.-J.; Boutin, H.; McMahon, A.; Lockyer, N.; Hart, P.J. Accumulation of Bioactive Lipid Species in LPS-Induced Neuroinflammation Models Analysed with Multi-Modal Mass Spectrometry Imaging. Int. J. Mol. Sci. 2024, 25, 12032. [Google Scholar] [CrossRef]
- Sadeghdoust, M.; Das, A.; Kaushik, D.K. Fueling Neurodegeneration: Metabolic Insights into Microglia Functions. J. Neuroinflamm. 2024, 21, 300–318. [Google Scholar] [CrossRef]
- Cagnoli, C.; De Santis, D.; Caccia, C.; Bongarzone, I.; Capitoli, G.; Rossini, L.; Rizzi, M.; Deleo, F.; Tassi, L.; De Curtis, M.; et al. Mass Spectrometry Imaging as a New Tool for Molecular Histopathology in Epilepsy Surgery. Epilepsia 2024, 65, 3631–3643. [Google Scholar] [CrossRef]
- Karayel-Basar, M.; Uras, I.; Kiris, I.; Sahin, B.; Akgun, E.; Baykal, A.T. Spatial Proteomic Alterations Detected via MALDI-MS Imaging Implicate Neuronal Loss in a Huntington’s Disease Mouse (YAC128) Brain. Mol. Omics 2022, 18, 336–347. [Google Scholar] [CrossRef]
- Marcos, A.; Alberdi, P.; Castillo-Sarmiento, C.A.; Ambrosio, E.; Ballesteros-Yáñez, I. Combined Administration of Cocaine and Alcohol Alters the Expression of Brain Peptide/Protein Profiles in Rats: A MALDI Imaging Mass Spectrometry Approach. Neurochem. Int. 2025, 188, 106015. [Google Scholar] [CrossRef]
- Bodzon-Kulakowska, A.; Antolak, A.; Drabik, A.; Marszalek-Grabska, M.; Kotlińska, J.; Suder, P. Brain Lipidomic Changes after Morphine, Cocaine and Amphetamine Administration—DESI—MS Imaging Study. Biochim. Biophys. Acta BBA—Mol. Cell Biol. Lipids 2017, 1862, 686–691. [Google Scholar] [CrossRef]
- Desyaterik, Y.; Mwangi, J.N.; McRae, M.; Jones, A.M.; Kashuba, A.D.M.; Rosen, E.P. Application of Infrared Matrix-Assisted Laser Desorption Electrospray Ionization Mass Spectrometry for Morphine Imaging in Brain Tissue. Anal. Bioanal. Chem. 2023, 415, 5809–5817. [Google Scholar] [CrossRef] [PubMed]
- Philipsen, M.H.; Phan, N.T.N.; Fletcher, J.S.; Ewing, A.G. Interplay between Cocaine, Drug Removal, and Methylphenidate Reversal on Phospholipid Alterations in Drosophila Brain Determined by Imaging Mass Spectrometry. ACS Chem. Neurosci. 2020, 11, 806–813. [Google Scholar] [CrossRef] [PubMed]





| Ion Source | Ionization Principle | Suitable Molecules |
|---|---|---|
| Matrix-Assisted Laser Desorption/Ionization (MALDI) | A matrix, such as α-cyano-4-hydroxycinnamic acid (CHCA) or 2,5-dihydroxybenzoic acid (DHB), is uniformly applied to the sample surface and co-crystallized with the analyte. Subsequently, a high-spatial-resolution ultraviolet laser is focused onto predetermined pixel locations, enabling the matrix to absorb laser energy and facilitate desorption and ionization of the analyte [11]. | Proteins [12], peptides [12], phospholipids [13], carbohydrates [14], metabolites [15] |
| Desorption Electrospray Ionization (DESI) | An atomized gas is combined with a charged solvent containing a high proportion of organic components (e.g., acetonitrile/water/formic acid) via a capillary to generate an electrospray, which is directed onto the sample surface. Upon impact, these high-velocity charged droplets desorb and extract surface analyte molecules through a mechanism known as “droplet pick-up.” In this process, droplets form a thin liquid film on the surface, dissolve the analytes, and are subsequently disrupted by incoming droplets, generating secondary charged droplets that contain the analytes. During their migration toward the mass spectrometer inlet, these droplets undergo desolvation and Coulombic fission, ultimately producing gas-phase ions [16]. | Phospholipids [17], metabolites [18] |
| Nano-DESI (nano-DESI) | The key feature of this technique is a probe composed of two micrometer-scale capillaries. During operation, the primary capillary delivers solvent to the probe tip, forming a microliter-scale dynamic liquid bridge at the interface with the sample surface. This liquid bridge selectively desorbs and extracts soluble molecules from the surface. A secondary nano-spray capillary then rapidly aspirates the analyte-containing solution and directs it toward the mass spectrometer inlet. Applying a high voltage to the tip of the nano-spray capillary generates charged droplets, thereby enabling soft ionization of the sample [19]. | Phospholipids [20], metabolites [21], peptides [22,23] |
| Secondary Ion Mass Spectrometry (SIMS) | A high-energy primary ion beam generated by a liquid metal ion source (e.g., Bi+ or Bi3+) is focused onto the sample surface. Through collision-induced energy transfer during the sputtering process, surface atoms or molecules are emitted as secondary ions. These positively or negatively charged secondary ions are subsequently extracted and accelerated into a field-free flight tube. The ions travel toward the detector at velocities determined by their mass-to-charge ratio (m/z), with flight times proportional to the square root of the ion mass, thereby enabling precise mass analysis [24]. | Phospholipids [25], metabolites [26], peptides [27] |
| MSI-Based Discovery (from This Review) | Spatial Molecular Feature | Potential Clinical Relevance | Major Non-Technical Barriers to Translation |
|---|---|---|---|
| TBI | Time-dependent and spatially restricted accumulation of acylcarnitines (e.g., palmitoylcarnitine) at the injury periphery, with microglia-associated localization | Potential prognostic relevance for secondary injury progression and neuroinflammatory dynamics | Lack of prospective human validation; limited correlation with functional or long-term clinical outcomes; need for conversion into standardized, targeted analytical assays |
| Schizophrenia | Downregulation of acylcarnitines and class-level lipid alterations across gray and white matter in distinct cortical regions | Disease-associated molecular signatures with potential relevance for mechanistic stratification | Predominant reliance on postmortem tissue; confounding effects of medication and disease heterogeneity; absence of longitudinal and treatment-response studies |
| AD | Plaque-associated ganglioside enrichment and region-specific sulfatide depletion | Pathophysiological indicators with potential relevance for disease stratification | Lack of validated quantitative thresholds; limited linkage to clinical staging and outcomes; restricted accessibility of comparable tissue from living patients |
Disclaimer/Publisher’s Note: The statements, opinions and data contained in all publications are solely those of the individual author(s) and contributor(s) and not of MDPI and/or the editor(s). MDPI and/or the editor(s) disclaim responsibility for any injury to people or property resulting from any ideas, methods, instructions or products referred to in the content. |
© 2026 by the authors. Licensee MDPI, Basel, Switzerland. This article is an open access article distributed under the terms and conditions of the Creative Commons Attribution (CC BY) license.
Share and Cite
Qiao, Y.; Yin, J.; Lu, S.; Yin, L. Research Progress on the Application of Mass Spectrometry Imaging Technology in Cerebral Disease. Life 2026, 16, 168. https://doi.org/10.3390/life16010168
Qiao Y, Yin J, Lu S, Yin L. Research Progress on the Application of Mass Spectrometry Imaging Technology in Cerebral Disease. Life. 2026; 16(1):168. https://doi.org/10.3390/life16010168
Chicago/Turabian StyleQiao, Yao, Jie Yin, Shuyu Lu, and Lihui Yin. 2026. "Research Progress on the Application of Mass Spectrometry Imaging Technology in Cerebral Disease" Life 16, no. 1: 168. https://doi.org/10.3390/life16010168
APA StyleQiao, Y., Yin, J., Lu, S., & Yin, L. (2026). Research Progress on the Application of Mass Spectrometry Imaging Technology in Cerebral Disease. Life, 16(1), 168. https://doi.org/10.3390/life16010168
