Exploring New Ways to Reconstruct the Forma Urbis Romae: An Archaeometric Approach (CL Color and Stable Isotope Analyses)
Abstract
:1. Introduction
1.1. The Forma Urbis Romae
1.2. Archaeometry beyond Provenance
2. Materials and Methods
2.1. Studied Materials
- Group 1 (Table S1): samples belonging to a single fragment of a slab, often composed of several matching pieces. For these samples, the analyses have been undertaken with the specific goal of exploring the scientific consistency of the tested approaches.
- Group 2 (Table S2): selected fragments consisting of several matching pieces and others of a single piece. In any case, these form sample sets from at least two fragments, which are argued to belong to a given slab despite not matching. These fragments are related to archaeologically debated questions (see Table 1) on their identification and position in reconstructions of the F.U. The analyses have been undertaken with the specific goal of contributing to solve the open questions.
- Group 3 (Table S3): isolated fragments with or without an assigned slab. These are single-piece fragments that have been analyzed to provide a general insight into the internal variability of the Proconnesian marble features of F.U. Particularly, the data will be used as a general frame to delimit the envelopes covering all the data (isotopic ratios as well as the different measured chromatic variables corresponding to the CL response) of marble from the F.U.
2.2. Methods
2.2.1. Analytical Techniques
2.2.2. Statistical Methods
3. Analytical Results
3.1. Petrography
3.2. Isotopic Analyses
3.3. Cathodoluminescence (CL)
4. Statistical Results (CL) on Complementarity between Fragments
4.1. The CL Chromatic Range of Marbles from the F.U.
4.1.1. Samples from a Single Fragment
4.1.2. Samples That Presumably Belong to the Same Slab
- Groups including pieces that match
- Pairs of fragments that do not match
4.1.3. Isolated Samples
4.2. Confidence Ellipses of Sample Groups
4.3. Histogram Analyses
5. Discussion
- According to both CL and isotopic results, the 40cdefgh and 307ab groups (with two sampled samples each) have a low similarity, and thus it is unlikely that they belong to a common slab (III-12), as suggested by Almeida [54]). The group 307ab also shows a low CL chromatic similarity with the scattered fragments 37a and 238a with which a possible connection was also suggested by the Stanford computer-aided reconstruction algorithms. Therefore, the position of fragment 307ab along the bottom edge of slab IV-6 is not sustained by our analytical data. Isotopic ratios support this lack of connection between groups and isolated samples (only samples from fragments 307ab and 37a show significantly similar isotopic ratios). In particular, the isotopic ratios of sample 238a are outside the isotopic range that is assigned to Proconnesian marble. For this reason, the ascription of fragment 238a to the F.U. is, in fact, doubtful. Additionally, the similarity between the averaged colors of CL of samples 238a and 37a is only 55%, reinforcing the doubts on the relation between these fragments.
- The averaged CL colors from groups 31cc–ii–ll and 31qrs (with three and two sampled samples, respectively) show a relatively high dispersion of values that result in rather different values for the corresponding centroids for both groups. The two isolated fragments (31h and 499) presumably connected to these groups also exhibit dissimilar averaged CL colors. Incidentally, the isotopic ratios measured for 31-type samples (Figure 5c) also show scattered values; in particular, sample 31ll exhibits rather different isotopic ratios. However, despite the hints of significant internal variability of values, the analysis of the averaged CL values projected on the median plane contradicts this view. A 95% confidence ellipse grouping the projected averaged CL colors of both groups (31cc–ii–ll and 31qrs) covers only 13% of the area of a similar ellipse computed with all the projected values from measured F.U. samples. The projected values of isolated 31h and 499 fragments lie within the ellipse defined by the 31-type fragments. This could support the hypothesis [21,58] that suggested that both 499 and 31h are part of slab V-12 along with the other fragments labeled as 31.
6. Conclusions
6.1. Provenance
6.2. Methods and Statistical Treatment
6.3. Reconstruction Hypotheses and Future Work
Supplementary Materials
Author Contributions
Funding
Data Availability Statement
Acknowledgments
Conflicts of Interest
References
- Carettoni, G.; Colini, A.M.; Cozza, L.; Gatti, G. La Pianta Marmorea di Roma Antica; Forma Urbis Romae, I-II: Rome, Italy, 1960. [Google Scholar]
- Tucci, P.L. Nuove osservazioni sull’architettura del Templum Pacis. In Divus Vespasianus.Il bimillenario dei Flavi; Coarelli, F., Ed.; Electa: Rome, Italy, 2009; pp. 158–167. [Google Scholar]
- Marucchi, O. Descrizione del Foro Romano; Tipografia, A., Ed.; Befani: Rome, Italy, 1883. [Google Scholar]
- Coarelli, F. Il Foro Romano I. Periodo Arcaico; Edizioni Quasar: Rome, Italy, 1983. [Google Scholar]
- Coarelli, F. L’Urbs e il suburbio. In Società Romana e Impero Tardoantico. Roma, Politica, Economia, Paesaggio Urbano; Giardina, A., Ed.; Laterza: Rome, Italy, 1986; pp. 1–58. [Google Scholar]
- Coarelli, F. L’orientamento e il Significato Ideologico Della Pianta Marmorea Severiana di Roma. In Théorie et pratique de l’architecture romaine. La norme et l’expérimentation. Études offertes à Pierre Gros; Lafon, X., Sauron, G., Eds.; Publication de l’Université de Provence: Aix en Provence, France, 2005; pp. 61–68. [Google Scholar]
- Meneghini, R.; Santangeli Valenzani, R. Nuovi frammenti dagli scavi del Templum Pacis (1998–2002). In Formae Urbis Romae. Nuovi Frammenti di Piante Marmoree dallo Scavo dei Fori Imperiali; Meneghini, R., Santangeli Valenzani, R., Eds.; l’Erma di Bretschneider: Rome, Italy, 2006; pp. 13–39. [Google Scholar]
- Castagnoli, F. La pianta marmorea di Roma antica. Gnomon 1961, XXXIII, 604–610. [Google Scholar]
- Reynolds, D.W. Forma Urbis Romae: The Severan Marble Plan and the Urban Form of Ancient Rome. Ph.D. Thesis, University of Michigan, Ann Arbor, MI, USA, 1996. [Google Scholar]
- Rodríguez Almeida, E. Formae Urbis Antiquae. Le Mappe Marmoree di Roma tra Repubblica e Settimio Severo; Collection de l’École Française de Rome: Rome, Italy, 2002. [Google Scholar]
- Palombi, D. La Forma Urbis marmorea “in contesto”. Bull. della Comm. Archeol. comunale di Roma 2016, 117, 207–212. [Google Scholar]
- Meneghini, R. La Forma Urbis e le altre cartografie marmoree di Roma antica alla luce delle ultime ricerche e scoperte. Bull. della Comm. Archeol. Comunale di Roma 2016, 117, 179–192. [Google Scholar]
- D’Ambrosio, E.; Meneghini, R.; Rea, R. Nuovi frammenti di piante marmoree dagli scavi dell’aula di culto del Templum Pacis. Bull. della Comm. Archeol. Comunale di Roma 2011, 112, 67–76. [Google Scholar]
- Ghilardi, M. Trasformazioni del paesaggio urbano. Il Templum Pacis durante la guerra greco-gotica (a proposito di Procop., GOTH. IV 21). In Les Cités de l’Italie Tardo-Antique (IV-VI Siècle): Institutions, Economie, Société, Culture et Religion, Atti del Convegno Internazionale di Studi, Rome, Italy, 11–13 March 2004; Ghilardi, M., Goddard, C., Porena, P., Eds.; Publications de l’École française de Rome: Rome, Italy, 2006; pp. 137–148. [Google Scholar]
- Capponi, M.; Ghiraldi, M. Scoperta, nel Templum Pacis, di un’area sepolcrale probabilmente contemporanea alla fondazione dei SS. Cosma e Damiano. In Ecclesiae Urbis, Proceedings of the Atti del Congresso Internazionale di Studi Sulle Chiese di Roma (IV-X Secolo), Rome, Italy, 4–10 September 2000; Guidobaldi, F., Guiglia, A., Eds.; Pontificio Istituto di Archeologia Cristiana: Vatican City, Vatican, 2002; pp. 733–755. [Google Scholar]
- Lanciani, R. Storia Degli Scavi di Roma e Notizie Intorno le Collezioni Romane di Antichità, I (1000–1530); Quasar: Rome, Italy, 1989. [Google Scholar]
- Anderson, J. Post-mortem adventures of the marble plan of Rome. Class. Outlook 1982, 59, 69–73. [Google Scholar]
- Rodríguez Almeida, E. Forma Urbis Marmorea. Aggiornamento Generale 1980; Edizioni Quasar: Rome, Italy, 1981. [Google Scholar]
- Cozza, L. Sul frammento 212 della pianta marmorea. J. Rom. Archaeol. 1989, 2, 117–119. [Google Scholar] [CrossRef]
- Coarelli, F. Le Plan de Via Anicia: Un nouveau fragment de la Forma Marmorea de Rome. In Rome, l’espace Urbain et Ses Réprèsentations; University of Paris-Sorbonne Press: Paris, France, 1991; pp. 65–81. [Google Scholar]
- Rodríguez Almeida, E. Nuovi dati dalla Forma Urbis Marmorea per le mura perimetrali, gli accessi e i templi del Colle Capitolino. Boll. di Archeol. 1991, 8, 33–44. [Google Scholar]
- Tucci, P.L. Eight Fragments of the Marble Plan of Rome Shedding New Light on the Transtiberim. Br. Sch. Rome 2004, 72, 185–202. [Google Scholar] [CrossRef]
- Tucci, P.L. New Fragments of Ancient Plans of Rome. J. Rom. Archaeol. 2007, 20, 469–480. [Google Scholar] [CrossRef]
- Filippi, G.; Liverani, P. Un nuovo frammento della Forma Urbis con il Circus Flaminius. Atti della Pontif. Accad. Rom. di Archeol. 2015, 87, 69–88. [Google Scholar]
- Koller, D.R.; Trimble, J.; Najbjerg, T.; Gelfand, N.; Levoy, M. Fragments of the City: Stanford’s Digital Forma Urbis Romae Project. In Imaging Ancient Rome: Documentation–Visualization–Imagination, Proceedings of the Third Williams Symposium on Classical Architecture, Rome, 20–23 May 2004; Haselberger, L., Humphrey, J., Eds.; Journal of Roman Archaeology: Portsmouth, RI, USA, 2006; Volume S61, pp. 237–252. [Google Scholar]
- Koller, D.R.; Levoy, M. Computer-aided Reconstruction and New Matches in the Forma Urbis Romae. Bull. della Comm. Archeol. comunale di Roma 2006, Supplementi 15, 103–125. [Google Scholar]
- De Caprariis, F. Forma Urbis Severiana. Novità e Prospettive. Bull. della Comm. Archeol. Comunale di Roma 2016, 117, 81–98. [Google Scholar]
- Lloyd, R. Three monumental gardens on the Marble Plan. Am. J. Archaeol. 1982, 86, 91–100. [Google Scholar] [CrossRef]
- Aksoy, R. Mesoscopic tectonic features of the Marmara island and the Kapıdağı peninsula, NW Turkey. Turkish J. Earth Sci. 1996, 5, 187–195. [Google Scholar]
- Pensabene, P. Il fenomeno del marmo nella Roma tardo-repubblicana e Imperiale. In Marmi Antichi II. Cave e Tecnica di Lavorazione Provenienze e Distribuzione; Pensabene, P., Ed.; L’Erma di Bretschneider: Rome, Italy, 1998; pp. 333–391. [Google Scholar]
- Bruno, M.; Cancelliere, S.; Conti, L.; Pensabene, P.; Lazzarini, L.; Pallante, P.; Turi, B. Provenance and distribution of white marbles in temples and public buildings of imperial Rome. In Proceedings of the Fifth International Conference of the Association for the Study of Marble and Other Stones in Antiquity, Museum of Fine Arts, Boston, MA, USA, 11–15 June 1998; Herrmann, J., Herz, N., Newman, R., Eds.; Archetype: London, UK, 2002; pp. 289–301. [Google Scholar]
- Brilli, M.; Giustini, F.; Conte, A.M.; Lapuente Mercadal, P.; Quarta, G.; Royo Plumed, H.; Scardozzi, G.; Belardi, G. Petrography, geochemistry, and cathodoluminescence of ancient white marble from quarries in the southern Phrygia and northern Caria regions of Turkey: Considerations on provenance discrimination. J. Archaeol. Sci. Rep. 2015, 4, 124–142. [Google Scholar] [CrossRef]
- Casas, L.; Di Febo, R.; Parcerisa, D. Petrographic Markers for Archaeometric Identification of Montjuïc Sandstone, the Flagship Stone of Barcelona (NE Spain). Minerals 2020, 10, 154. [Google Scholar] [CrossRef] [Green Version]
- Casas, L.; Di Febo, R.; Boix, C.; Egea, A.; Vallcorba, O.; Queralt, I.; Anglisano, A.; Moreno, I.; Andino, L. The Colors of the Circus Mosaic from Barcino (Roman Barcelona): Characterization, Provenance, and Technology Issues. Minerals 2021, 11, 746. [Google Scholar] [CrossRef]
- Craig, H.; Craig, V. Greek Marbles: Determination of Provenance by Isotopic Analysis. Science 1972, 176, 401–403. [Google Scholar] [CrossRef]
- Barbin, V.; Ramseyer, K.; Decrouez, D.; Herb, R. Marbres blancs: Caractérisation par cathodoluminescence. Comptes Rendus l’Académie des Sci. Paris 1989, 308, 861–866. [Google Scholar]
- Barbin, V.; Ramseyer, K.; Decrouez, D.; Burns, S.; Chamay, J.; Maier, J. Cathodoluminescence of white marbles: An overview. Archaeometry 1992, 34, 175–183. [Google Scholar] [CrossRef]
- Tucci, P.L. The Temple of Peace in Rome; Cambridge University Press: Cambridge, UK, 2017. [Google Scholar]
- Claridge, A. Rome. An Oxford Archaeological Guide; Oxford University Press: Oxford, UK, 1998. [Google Scholar]
- Carozza, V. Roma. Resti di abitazioni alle pendici del Cispio. J. Fasti Online 2007, 89, 1–6. [Google Scholar]
- Rodríguez Almeida, E. Forma Urbis Marmorea: Nuove integrazioni. Bull. della Comm. Archeol. Comunale di Roma 1971, 82, 105–135. [Google Scholar]
- Pavolini, C. Archeologia e topografia della Regione II (Celio). Un aggiornamento Sessant’anni dopo Colini; Edizioni Quasar: Rome, Italy, 2006. [Google Scholar]
- Insalaco, A. Indagini e restauri lungo il Clivus Scauri, 6. Rilettura di un gruppo di frammenti della Forma Urbis. In Caelius I: Santa Maria in Domnica, San Tommaso in Formis e il Clivus Scauri; L’Erma di Bretschneider: Rome, Italy, 2003; pp. 106–112. [Google Scholar]
- Rodríguez Almeida, E. Aggiornamento topografico dei colli Oppio, Cispio e Viminale secondo la Forma Urbis Marmorea. Atti della Pontif. Accad. Rom. di Archeol. Rend. 1975, 48, 263–278. [Google Scholar]
- Rodríguez Almeida, E. Novità minori dalla Forma Urbis marmorea. Ostraka 1992, 1, 55–80. [Google Scholar]
- Cecamore, C. Faustinae aedemque decernerent (SHA, Marcus, 26). Les fragments 69-70 de la Forma Urbis et la première dédicace du temple de la Vigna Barberini. Mélanges l’École française Rome. Antiq. 1999, 111, 311–349. [Google Scholar] [CrossRef]
- Rodríguez-Almeida, E. Euristica materiale e Forma marmorea. Alcuni falsi problemi. Atti della Pontif. Accad. Rom. di Archeol. Rend. 1995, 68, 3–20. [Google Scholar]
- Steinby, E.M. Il frammento 18a della Forma Urbis Romae. In Lacus Iuturnae; Aronen, J., Steinby, E.M., Eds.; De Luca Editore: Rome, Italy, 1989; Volume I, pp. 24–33. [Google Scholar]
- Palombi, D. FUR, fr. 18a [---]astoris: Una lettura alternativa? In Res Bene Gestae. Ricerche di Storia Urbana su Roma Antica in Onore di Eva Margareta Steinby; Edizioni Quasar: Rome, Italy, 2007; pp. 279–291. [Google Scholar]
- Tucci, P.L. L’Arx Capitolina: Tra mito e realtà. In Imaging Ancient Rome: Documentation–Visualization–Imagination, Proceedings of the Third Williams Symposium on Classical Architecture, Rome, Italy, 20–23 May 2004; Haselberger, L., Humphrey, J., Eds.; Journal of Roman Archaeology supplementary series, 61; 2006; Volume 61, pp. 63–73. [Google Scholar]
- Rodríguez Almeida, E. Miscellanea sulla Forma Urbis marmorea. Atti della Pontif. Accad. Rom. di Archeol. Rend. 1978, 51–52, 91–109. [Google Scholar]
- Parisi Presicce, C.L. Una nuova proposta per la localizzazione del Tempio dei Divi Traiano e Plotina. Bull. della Comm. Archeol. Comunale di Roma. (In press).
- Rodríguez-Almeida, E. Diversi problemi connessi con la lastra 37 della Forma U. M. e la topografia in Circo e in Campo. Atti della Pontif. Accad. Rom. di Archeol. Rend. 1991, 64, 3–26. [Google Scholar]
- Rodríguez-Almeida, E. A proposito della Forma marmorea e di altre formae. Mélanges l’Ecole Française Rome Antiq. 2000, 112, 217–230. [Google Scholar] [CrossRef]
- Cozza, L. Adonaea nella Pianta marmorea severiana. Analecta Rom. Instituti Danici 1990, 19, 233–237. [Google Scholar]
- Cecamore, C. Le Curiae Veteres sulla Forma Urbis Marmorea e il pomerio romuleo secondo Tacito. Römische Mitt. 2002, 109, 43–58. [Google Scholar]
- Panella, C. Un’area sacra sulle pendici nord-orientali del Palatino. Meta Sudans 1996, I, 27–91. [Google Scholar]
- Rodríguez Almeida, E. De la Forma Urbis Marmorea, en torno al Collis Capitolinus. In Eius Virtutis Studiosi; Classical and postclassical studies in memory of Frank Edward Brown (1908–1988); Scott, R.T., Scott, A.R., Eds.; National Gallery of Art: Washington, DC, USA, 1993; pp. 31–43. [Google Scholar]
- Lapuente, M.P.; Turi, B.; Blanc, P. Marbles from Roman Hispania: Stable isotope and cathodoluminescence characterization. Appl. Geochem. 2000, 15, 1469–1493. [Google Scholar] [CrossRef]
- Pagel, M.; Barbin, V.; Blanc, P.; Ohnenstetter, D. Cathodoluminescence in Geosciences: An Introduction. In Cathodoluminescence in Geosciences; Pagel, M., Barbin, V., Blanc, P., Ohnenstetter, D., Eds.; Springer: Berlin/Heidelberg, Germany, 2000; pp. 1–21. [Google Scholar]
- Kaufman, L.; Rousseeuw, P.J. Finding Groups in Data: An Introduction to Cluster Analysis; Wiley Series; John Wiley & Sons, Inc.: New York, NY, USA, 1990. [Google Scholar]
- Chakravarti, I.M.; Laha, R.G.; Roy, J. Handbook of Methods of Applied Statistics; John Wiley & Sons: New York, NY, USA, 1967. [Google Scholar]
- Antonelli, F.; Lazzarini, L. An updated petrographic and isotopic reference database for white marbles used in antiquity. Rend. Lincei 2015, 26, 399–413. [Google Scholar] [CrossRef]
- Attanasio, D.; Brilli, M.; Bruno, M. The properties and identification of marble from Proconnesos (Marmara island, Turkey): A new database including isotopic, EPR and petrographic data. Archaeometry 2008, 50, 747–774. [Google Scholar] [CrossRef]
- Attanasio, D.; Brilli, M.; Ogle, N. The Isotopic Signature of Classical Marbles; L’Erma di Bretschneider: Rome, Italy, 2006; ISBN 9788882653781. [Google Scholar]
- Prochaska, W.; Attanasio, D. The challenge of a successful discrimination of ancient marbles (part I): A databank for the marbles from Paros, Prokonnesos, Heraklea/Miletos and Thasos. J. Archaeol. Sci. Rep. 2021, 35, 102676. [Google Scholar] [CrossRef]
- German, K.; Holzmann, G.; Winkler, F.J. Determination of marble provenance: Limits of isotopic analysis. Archaeometry 1980, 22, 99–106. [Google Scholar] [CrossRef]
- Brilli, M.; Lapuente Mercadal, M.P.; Giustini, F.; Royo Plumed, H. Petrography and mineralogy of the white marble and black stone of Göktepe (Muğla, Turkey) used in antiquity: New data for provenance determination. J. Archaeol. Sci. Rep. 2018, 19, 625–642. [Google Scholar] [CrossRef] [Green Version]
- Mrozek-Wysocka, M. Ancient marbles: Provenance determination by archaeometric study. In Geoscience in Archaeometry; Michalska, D., Szczepaniak, M., Eds.; Methods and Case Studies; Wydawnictwo Naukowe Bogucki: Poznań, Poland, 2014; pp. 99–122. [Google Scholar]
- Barbin, V.; Ramseyer, K.; Fontignie, D.; Burns, S.; Decrouez, D. Differentiation of blue-cathodoluminescing white marbles. In Ancient Stones: Quarrying, Trade and Provenance. Katholieke Universiteit Leuven. Acta Archaeologica Lovaniensia, Monographiae 4; Waelkens, M., Herz, N., Moens, L., Eds.; Leuven University Press: Leuven, Belgium, 1992; pp. 231–236. [Google Scholar]
- Lazzarini, L. Archaeometric aspects of white and coloured marbles used in antiquity: The state of the art. Period. di Mineral. 2004, 73, 113–125. [Google Scholar]
- Gorgoni, C.; Lazzarini, L.; Pallante, P.; Turi, B. An updated and detailed mineropetrographic and C-O stable isotopic reference database for the main Mediterranean marbles used in antiquity. In Proceedings of the Vth ASMOSIA Conference, Boston, MA, USA, 12–15 June 1998; Herrmann, J.J., Herz, N., Newman, R., Eds.; Archetype Publisher: London, UK, 2002; pp. 1–25. [Google Scholar]
- Asor Rosa, L. Testimonianze archeologiche dall’area del Semenzaio Comunale. Bull. della Comm. Archeol. Comunale di Roma 2001, 102, 147–162. [Google Scholar]
- Ciancio Rossetto, P. Il nuovo frammento della Forma severiana relativo al Circo Massimo. Bull. della Comm. Archeol. comunale di Roma 2006, Supplementi 15, 127–141. [Google Scholar]
- Buonfiglio, M. Relazione preliminare sulle nuove acquisizioni sul Circo Massimo: Indagini archeologiche 2009–2016. In Proceedings of the Tarraco Biennal, Actes 3r Congrés Internacional d’Arqueologia i Món Antic, Tarragona, Spain, 16–19 November 2016; López Villar, J. Ed., Fundació Privada Mútua Catalana: Tarragona, Spain, 2017; pp. 119–136. [Google Scholar]
- Buonfiglio, M. L’Arco di Tito al Circo Massimo. Dalle indagini archeologiche alla ricostruzione virtuale. Bull. della Comm. Archeol. Comunale di Roma 2017, 118, 163–186. [Google Scholar]
- Scagnetti, F.; Grande, G. Roma Urbs Imperatorum Aetate. Pianta topografica a Colori di Roma Antica; Edizioni Private e Varie: Rome, Italy, 1993. [Google Scholar]
- Panella, C. L’organizzazione Degli spazi sulle Pendici Settentrionali del Colle Oppio tra Augusto e i Severi; Publications de l’École Française de Rome: Rome, Italy, 1987; pp. 611–651. [Google Scholar]
- Valentini, R.; Zucchetti, G. Codice Topografico della Città di Roma; Tipografia del Senato: Rome, Italy, 1940. [Google Scholar]
- Coarelli, F. Aedes Fortis Fortunae, Naumachia Augusti, Castra Ravennatium. La via Campana Portuensis e alcuni edifici adiacenti nella Pianta Marmorea Severiana. Ostraka 1992, 1, 39–54. [Google Scholar]
- Taylor, R. Torrent or Trickle? The Aqua Alsietina, the Naumachia Augusti, and the Transtiberim. Am. J. Archaeol. 1997, 101, 465–492. [Google Scholar] [CrossRef]
- Coarelli, F. Divorum, Porticus, Templum. In Lexicon Topographicum Urbis Romae; Steinby, E.M., Ed.; Edizioni Quasar: Rome, Italy, 1995; Volume 2, pp. 19–20. [Google Scholar]
- Senseney, J. Adrift toward Empire: The Lost Porticus Octavia in Rome and the Origins of the Imperial Fora. J. Soc. Archit. Hist. 2011, 70, 421–441. [Google Scholar] [CrossRef]
- Siwicki, C. Defining Rome’s Pantheum. J. Anc. Hist. 2019, 7, 269–315. [Google Scholar] [CrossRef]
- Gatti, G. Saepta Iulia e Porticus Aemilia nella Forma severiana. Bull. della Comm. Archeol. Comunale di Roma 1934, 62, 55–82. [Google Scholar]
- Gatti, G. I Saepta Iulia nel Campo Marzio. L’Urbe 1937, 2, 8–23. [Google Scholar]
- Tucci, P.L. Tra il Quirinale e l’Acquedotto Vergine sulla pianta marmorea severiana: I frammenti 538 a-o. Analecta Rom. Inst. Danici 1996, 23, 21–33. [Google Scholar]
- Coarelli, F. Pons Aemilius. In Lexicon Topographicum Urbis Romae; Steinby, E.M., Ed.; Edizioni Quasar: Rome, 1999; Volume 4, pp. 106–107. [Google Scholar]
- Taylor, R. Tiber River Bridges and the Development of the Ancient City of Rome. Waters Rome 2002, 2, 1–20. [Google Scholar]
- Tucci, P.L. The Pons Sublicius: A reinvestigation. Mem. Am. Acad. Rome 2012, 56–57, 177–212. [Google Scholar]
- Buzzetti, C. Claudius, Divus, Templum (Reg. II). In Lexicon Topographicum Urbis Romae; Steinby, E.M., Ed.; Edizioni Quasar: Rome, Italy, 1993; Volume 1, pp. 277–278. [Google Scholar]
- Moonen, S. The Temple of Peace and the Temple of Divus Claudius. A Study into the Functions of the Temple of Peace and the Temple of Divus Claudius and Their Role within the Ideology of Vespasian. Master’s Thesis, Radboud University Nijmegen, Nijmegen, The Netherlands, 2018. [Google Scholar]
- Gorrie, C. The Septizodium of Septimius Severus Revisited: The Monument in Its Historical and Urban Context. Latomus 2001, 3, 653–670. [Google Scholar]
- Rodríguez Almeida, E. I confini interni della regio V, Esquiliae, nella Forma Urbis Marmorea. In L'archeologia in Roma Capitale tra Sterro e Scavo; Pisani Sartorio, G., Quilici, L., Eds.; Marsilio Editore: Venice, Italy, 1983; pp. 106–115. [Google Scholar]
- Rickman, G. Roman Granaries and Store Buildings; Cambridge University Press: Cambridge, UK, 1971. [Google Scholar]
- Trimble, J. Fragment 18a in light of the new excavations. In Cartography in Antiquity and the Middle Ages. Fresh Perspectives, New Methods Technology and Change in History; Talbert, R., Unger, R., Eds.; Brill: Boston, MA, USA, 2008; pp. 67–98. [Google Scholar]
- Battistin, F. Abitare nella Roma dei Severi. Studio delle tipologie abitative dai frammenti della Forma Urbis marmorea. Archeol. Class. 2015, 66, 547–574. [Google Scholar]
- Bollmann, B. Römische Vereinshäuser. Untersuchungen zu den Scholae der römischen Berufs-, Kult- und Augustalen-Kollegien in Italien; von Zabern: Mainz, Germany, 1998. [Google Scholar]
- Sartorio, G. Compita larum. Edicole sacre nei crocicchi di Roma antica. Boll. della Unione Stor. ed Arte 1988, 1-4, 23–34. [Google Scholar]
- Cordischi, L. Note in margine di topografia romana: Codeta, “minor Codeta” e “Naumachia Caesaris”. Bull. della Comm. Archeol. Comunale di Roma 1999, 100, 53–62. [Google Scholar]
- Scaroina, L.; La Regina, A. Resti della basilica Ulpia sotto il Palazzo Roccagiovine. In Lexicon Topographicum Urbis Romae—Supplementum VII. Scritti in onore di Lucos Cozza; Coates-Stephens, R., Cozza, L., Eds.; Edizioni Quasar: Rome, Italy, 2014; pp. 167–181. [Google Scholar]
- Amici, C.M. Foro di Traiano: Basilica Ulpia e Biblioteche; Panetto & Petrelli: Rome, Italy, 1982. [Google Scholar]
- Richardson, L. The evolution of the Porticus Octaviae. Am. J. Archaeol. 1976, 80, 57–64. [Google Scholar] [CrossRef]
- Gatti, G. Dove erano situati il Teatro di Balbo e il Circo Flaminio? Capitolium 1960, 3–12. [Google Scholar]
- Gatti, G. Ancora sulla vera posizione del Teatro di Balbo e del Circo Flaminio. Palatino 1961, V, 17–20. [Google Scholar]
- Ciancio Rossetto, P. Portico d’Ottavia: Scavi, restauri, valorizzazioni. In Arch.it.arch: Dialoghi di Archeologia e Architettura (Seminari 2005–2006); Edizioni Quasar: Rome, Italy, 2009; pp. 62–77. [Google Scholar]
- Ciancio Rossetto, P. Teatro di Marcello: Nuove acquisizioni sulla struttura e organizzazione della scena e dell’area post scaenam alla luce delle indagini recenti. Riv. Trimest. dell’Istituto Naz. di Stud. Rom. 2008, 3–23. [Google Scholar]
- Monterosso, A. Via Triumphalis per Theatrum Marcelli, símbolos de arquitectura en la Forma Urbis Marmorea. Rev. Archéologique 2009, 3–51. [Google Scholar]
- Dell’Era, F. Il complesso di Matidia nel Campo Marzio. In Adventus Hadriani: Investigaciones sobre Arquitectura Adrianea; l’Erma di Bretschneider: Rome, Italy, 2020; pp. 107–128. [Google Scholar]
- Zevi, F. Per l’identificazione della Porticus Minucia frumentaria. Mélanges l’École française Rome 1993, 105, 661–708. [Google Scholar]
- Zevi, F. Ancora una nota sulla Porticus Minucia. Mélanges 1994. [Google Scholar]
- Coarelli, F. Il Campo Marzio. Dalle Origini Alla Fine Della Repubblica; Edizioni Quasar: Rome, Italy, 1997. [Google Scholar]
- Caprioli, F. Forma Architettonica, linguaggio Decorativo E Committenza della Prima Fase del Tempio B di largo Argentina. Tradizione e Innovazione. L'elaborazione del Linguaggio Ellenistico Nell'architettura Romana e Italica in età Tardo-Repubblicana; L’Erma di Bretschneider: Rome, Italy, 2011; pp. 89–107. [Google Scholar]
- Rodríguez Almeida, E. Un nuovo frammento della Forma Urbis Marmorea. In Città e architettura nella Roma Imperiale, Atti del Seminario del 27 ottobre 1981 nel 25o Anniversario dell’Accademia di Danimarca. Analecta Romana Instituti Danici, Supplementum 10; Odense University Press: Odense, Denmark, 1983; pp. 87–92. [Google Scholar]
- Rodríguez-Almeida, E. Forma Urbis marmorea: Nuovi elementi di analisi e nuove ipotesi di lavoro. Mélanges l’École française de Rome 1977, 89, 219–256. [Google Scholar] [CrossRef]
- Hülsen, C. La rappresentazione degli edifici palatini nella Forma Urbis Romae dei tempi Severiani. Diss. Letta Alla Pontif. Accad. Romana di Archeol. 1914, 11, 101–120. [Google Scholar]
- Panella, C.; Zeggio, S.; Ferrandes, A. Lo scavo delle pendici nord-orientali del Palatino tra dati acquisiti e nuove evidenze. Sci. dell’Antichità 2014, 20, 159–210. [Google Scholar]
- Zeggio, S. Santuario sulle pendici nord-orientali del colle Palatino. In La Roma dei Re. Il Racconto Dell’archeologia, Catologo Mostra (Roma, Musei Capitolini, 27 luglio 2018- 2 giugno 2019); Gangemi Editore Spa: Rome, Italy, 2019; pp. 135–150. [Google Scholar]
- Monterroso Checa, A. “Aqvedvctivm” Una lectura tridimensional en la Forma Urbis Marmorea. Arqueol. la Arquit. 2011, 65–84. [Google Scholar] [CrossRef] [Green Version]
- Santangeli Valenzani, R. Arcus Nervae, Templum Iani, Arcus Aureae: L’Ordo di Benedetto Canonico e la Topografia dell’area dei Fori Imperiali nel Medioevo. Bull. della Comm. Archeol. Comunale di Roma 1998, 99, 145–152. [Google Scholar]
- La Valle, M. Osservazioni sull’Arcus Aureae e sulla Porticus Absidata. Bull. della Comm. Archeol. Comunale di Roma 2007, 108, 195–220. [Google Scholar]
- Domingo, J. Las termas de L. Licinius Sura (Balneum Surae) en el Aventino de Roma: Hipótesis de localización y problemas para su reconstrucción. Pyrenae 2015, 46, 49–75. [Google Scholar]
- Prim, J. Vie religieuse au VIe siècle av. J.C. et topographie urbaine. Mélanges l’École française Rome 2014, 126. [Google Scholar]
- Armellin, P.; Quaranta, P. Il tempio di Diana sull’Aventino. Nuove acquisizioni. Bull. della Comm. Archeol. Comunale di Roma 2004, 105, 279–298. [Google Scholar]
- Cassatella, A.; Venditelli, L. Santuario di Diana sull’Aventino: Il problema della localizzazione. In Roma Archeologia nel Centro; De Luca Editori d’Arte: Rome, Italy, 1985; Volume 2, pp. 442–451. [Google Scholar]
- Alföldi, A. Il santuario federale latino di Diana sull’Aventino e il tempio di Ceres. Stud. e Mater. di Stor. delle Relig. 1961, 31, 21–39. [Google Scholar]
- Tucci, P.L. La controversa storia della Porticus Aemilia. Archeol. Class. 2012, 63, 575–591. [Google Scholar]
- Arata, F.P.; Felici, E. Porticus Aemilia, navalia o horrea ? Ancora sui frammenti 23 e 24 b-d della Forma Urbis. Archeol. Class. 2011, 62, 127–153. [Google Scholar]
- Tuck, S.L. A new identification for the Porticus Aemilia. J. Rom. Archaeol. 2000, 13, 176–182. [Google Scholar] [CrossRef]
- Rodríguez Almeida, E. Cohortes III Horreorum Galbianorum. Atti della Pontif. Accad. Rom. di Archeol. Rend. 1977, 50, 9–25. [Google Scholar]
- Ferrera, L. Il monumento funerario del console Ser. Sulpicius Galba. Bull. della Comm. Archeol. Comunale di Roma 1998, 99, 51–72. [Google Scholar]
- Staccioli, R.A. Terme minori e balnea nella documentazione della Forma Urbis. Archeol. Class. 1961, 13, 91–102. [Google Scholar]
- Etienne, R. Extra Portant Trigeminam: Espace politique et Espace Économique à l’Emporium de Rome; Publications de l’École française de Rome: Rome, Italy, 1987; pp. 235–249. [Google Scholar]
- Hrychuk Kontokosta, A. Building the Thermae Agrippae: Private Life, Public Space, and the Politics of Bathing in Early Imperial Rome. Am. J. Archaeol. 2019, 123, 45–77. [Google Scholar] [CrossRef]
- Ferrera, L. Gli dei di terracotta. La ricomposizione del frontone da Via di San Gregorio; Electa: Rome, Italy, 2002. [Google Scholar]
- Bauer, H. Il Foro Transitorio e il Tempio di Giano. Atti della Pontif. Accad. Rom. di Archeol. Rend. 1976, 49, 117–150. [Google Scholar]
- Meneghini, R. Il cosiddetto tempio di Giano, il perduto foro di Minerva e la prima fase costruttiva del foro di Nerva. Sci. dell’Antichità 2015, 21, 59–80. [Google Scholar]
- Manacorda, D. Il Tempio di Vulcano in Campo Marzio. Dialoghi di Archeol. 1990, 3, 35–51. [Google Scholar]










| Sample Set | Slab/s | Reasons to Consider/Question a Common Slab and Relevant References |
|---|---|---|
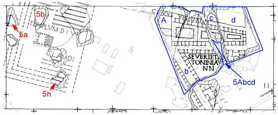
| 5Abcd, 5a, 5b, 5h | IX-5 | Some authors [1,18] argue that the physical features of the fragments (thickness, similar veining, etc) indicate that all of them belong to slab IX-5. However, others [42,43] argue that the differences between the archaeologically unearthed remains and the depicted content indicate that fragment 5Abdc would not fit within this slab. |
| 11c, 11fgh | VII-7 | Rodríguez Almeida [44,45] places both fragments within the same slab based on the physical similarities of the fragments (sawing irregularities on the back) and the good correspondence between the inscribed contents and excavated remains. |
| 18a, 103, 70a, 70b, 70c | VII-11 | Cecamore [46] groups 70a, 70b, and 70c within slab VII-11 based on the correspondence between the engraved topography and the archaeological data. She also argues that fragment 103 could belong to the same slab (based on physical similarities, such as thickness and veining). Rodríguez Almeida [47] adds fragment 18a to slab VII-11. However, other authors [48,49] argue that the inscription on fragment 18a does not identify the Temple of Castor and that the fragment should be placed elsewhere in the plan. |
| 28a, 28c | VI-9 | Both fragments are believed to constitute almost the whole of slab VI-9. This slab would be complete with the lost fragment 28b that is placed in between. The exact position of the slab is deduced from the holes of the clamps [1]. |
| 29f, 29g, 517abcdef | V-9 | Based on the study of drawings of the codex Vat. Lat. 3439, 29f and 29g are assigned to slab V-9 [1]. Tucci [50] also assigns fragment 517abcdef to this slab based mainly on topographic evidence and secondarily due to similar physical features of the marbles of the mentioned fragments. |
| 36b, 590 | III-9 VII-10 | Rodríguez Almeida places fragment 36b within slab III-9 [51] and fragment 590 within slab VII-10 [45]. However, Parisi Presicce [52], based on a new epigraphic interpretation of fragment 36b, suggests that both fragments could belong to the same slab. |
| 238a, 37a, 40cdefgh, 307ab | IV-6 III-12 | Rodríguez Almeida [53] places 238a in slab IV-6, based on its physical characteristics. Fragments 37a and 307ab are also assigned to slab IV-6 by Stanford computer-aided reconstruction algorithms. In particular, 307ab would be located along the bottom edge of the slab. However, Rodríguez Almeida [54] argues that 307ab belongs to slab III-12 along with other fragments, such as 40cdefgh, because of the similar physical features. |
| 46acd, 68ab | - | These fragments have not been assigned to any defined slab, but Cozza [55] suggests their connection based on similarities in physical characteristics (roughness of the back, thickness, ductus of the writing, veining direction, etc). |
| 452ab, 452d, 8a, 8c | VIII-5 | Cecamore [56] assigns the fragments 452ab and 452d to slab VIII-5 (along with 8a and 8c) based on a good matching between the depicted topography and the archaeological remains, and also based on written sources and physical similarities between all the preserved fragments. In contrast, Panella [57] argues that the 452-type fragments cannot be part of this slab because the represented topography is inconsistent with the actual excavated remains and the epigraphic content must be interpreted differently. |
| 499, 31cc, 31h, 31ii, 31qrs | V-12 | Several fragments labelled as 31 are assigned to slab V-12 [18], although some of them do not match physically. Rodríguez Almeida [21,58] suggests that fragment 499 could also be part of the ensemble based on the correlation between represented topography and the archaeological data, alongside with similarities in the physical characteristics. |
| Fragment/s | Samples | Similarity between Samples | |||
|---|---|---|---|---|---|
| 7abcd | 4 | 100% | 99% | 100% | 98% |
| 10abcde | 3 | 97% | 91% | 77% | |
| 31cc, ii, ll | 3 | 76% | 57% | 92% | |
| 35ab, cdefghi, lpqr | 3 | 86% | 89% | 98% | |
| 70a, 70b | 2 | 91% | |||
| 362ab | 2 | 100% | |||
| Fragment/s | Samples | Similarity between Samples | |||
|---|---|---|---|---|---|
| 1abcde | 3 | 97% | 98% | 98% | |
| 7abcd | 4 | 93% | 97% | 81% | 74% |
| 10abcde | 3 | 99% | 90% | 93% | |
| 10opqr | 3 | 84% | 98% | 91% | |
| 33abc | 3 | 95% | 97% | 100% | |
| 35ab, cdefghi, lpqr | 3 | 94% | 94% | 91% | |
| 41abc | 3 | 87% | 91% | 98% | |
| 57abcd | 2 | 96% | |||
| 165abd | 3 | 81% | 96% | 93% | |
| 277ab | 4 | 87% | 88% | 95% | 91% |
| 336ab | 2 | 93% | |||
| 362ab | 2 | 99% | |||
| 496ab | 2 | 82% | |||
| 538abcdefg | 2 | 79% | |||
| 586ab | 3 | 100% | 97% | 96% | |
| 619a | 3 | 99% | 89% | 84% | |
| 621abcd | 3 | 99% | 87% | 83% | |
| Fragment/s | Matching Samples | Similarity between Matching Samples (Group) 1 | Similarity between the Group and Isolated Fragments | ||||||
|---|---|---|---|---|---|---|---|---|---|
| 5Abcd | 5 | 74% | 94% | 78% | 72% | 90% | 5a | 5b | 5h |
| 61% | 62% | 73% | |||||||
| 517abcdef | 2 | 35% | 29f | 29g | |||||
| 28% | 23% | ||||||||
| 40cdefg | 2 | 96% | 307a | 307b | |||||
| 68% | 40% | ||||||||
| 307ab | 2 | 75% | 37a | 328a | |||||
| 41% | 55% | ||||||||
| 452ab, d | 2 | 91% | 8a | 8b | |||||
| 91% | 86% | ||||||||
| 31ii, ll, cc | 3 | 94% | 92% | 96% | 31h | 499 | |||
| 54% | 86% | ||||||||
| 31qrs | 2 | 95% | 31h | 499 | |||||
| 93% | 67% | ||||||||
| 70abc | 5 | 81% | 75% | 84% | 99% | 82% | 18a | 103 | |
| 81% | 63% | ||||||||
| Slab/s | Fragment 1 | Fragment 2 | Similarity |
|---|---|---|---|
| VII-7 | 11c | 11fgh | 96% |
| VI-9 | 28a | 28c | 60% |
| III-9 (36b); VII-10 (590) | 36b | 590 | 80% |
| unknown | 46acd | 68ab | 98% |
| Fragment/s | Matching Samples | Ellipse Area | Similarity between Matching Samples (Ellipse) and Other Fragments | ||
|---|---|---|---|---|---|
| 5Abcd | 5 | 56% | 5a | 5b | 5h |
| 100% | 100% | 100% | |||
| 31cc, ii, ll | 3 | 13% | 31h | 499 | |
| 31qrs 1 | 2 | – | 79% | 100% | |
| 31cc, ii, ii, qrs | 5 | 13% | 81% | 82% | |
| 100% | 100% | ||||
| 70bc | 5 | 5% | 18a | 103 | |
| 100% | 77% | ||||
| Simple Comparison between Two Unconnected Fragments | |||
| Fragments | Slab | Main Deductions | |
| 11c, 11fgh | VII-7 | Averaged CL colors and isotopic ratios are compatible with a common slab. | |
| 28a, 28c | VI-9 | Averaged CL colors suggest different slabs though the results are attributable to internal heterogeneities. Isotopic ratios support a common slab. | |
| 36b, 590 | III-9 (36b) VII-10 (590) | Averaged CL colors are compatible with a common slab (isotopic ratios were not measured for sample 590). | |
| 46acd, 68ab | - | Averaged CL colors and isotopic ratios are compatible with a common slab. | |
| Comparison between a Reference Group (Defined by Connected Fragments) and Unconnected Fragments | |||
| Reference Group | Other Fragments | Slab | Main Deductions |
| 452ab, 452d, | 8a, 8c | VIII-5 | Averaged CL colors and isotopic ratios are compatible with a common slab. |
| 517abcdef | 29f, 29g | V-9 | Isotopic ratios support a common slab. Averaged CL colors suggest that 29f and 29g would pertain to a common slab, but not 517abcdef. |
| 70a, 70b, 70c | 18a, 103 | VII-11 | Averaged CL colors suggest that 18a could belong to the slab of the reference group, but the ascription of 103 is more doubtful. |
| 5Abcd | 5a, 5b, 5h | IX-5 | Averaged CL colors suggest that the unconnected 5a, 5b, and 5h ensemble belong to slab IX-5, but the ascription of 5Abcd is more doubtful. |
| Comparison Including Two Reference Groups and Unconnected Fragments | |||
| Reference Group 1 | Reference Group 2 | Other Fragments | Main Deductions |
| 40cdefgh (slab III-12) | 307ab (slabs IV-6/ III-12) | 37a, 238a | Data suggest that neither the two reference groups belong to a same slab nor 37a would share slab with any of the groups. Isotopic ratios strongly suggest that the 238a fragment could be not carved in Proconnesian marble. |
| 31ii-ll-cc (slab V-12) | 31qrs (slab V-12) | 31h, 499 | Despite hints of internal variability, the projected averaged CL colors support the ascription of all fragments to a common slab. |
Publisher’s Note: MDPI stays neutral with regard to jurisdictional claims in published maps and institutional affiliations. |
© 2021 by the authors. Licensee MDPI, Basel, Switzerland. This article is an open access article distributed under the terms and conditions of the Creative Commons Attribution (CC BY) license (https://creativecommons.org/licenses/by/4.0/).
Share and Cite
Casas, L.; Di Febo, R.; Brilli, M.; Giustini, F.; Gozzi, M.; De Caprariis, F.; Martín-Martín, J.D.; Parisi Presicce, C. Exploring New Ways to Reconstruct the Forma Urbis Romae: An Archaeometric Approach (CL Color and Stable Isotope Analyses). Minerals 2021, 11, 1400. https://doi.org/10.3390/min11121400
Casas L, Di Febo R, Brilli M, Giustini F, Gozzi M, De Caprariis F, Martín-Martín JD, Parisi Presicce C. Exploring New Ways to Reconstruct the Forma Urbis Romae: An Archaeometric Approach (CL Color and Stable Isotope Analyses). Minerals. 2021; 11(12):1400. https://doi.org/10.3390/min11121400
Chicago/Turabian StyleCasas, Lluís, Roberta Di Febo, Mauro Brilli, Francesca Giustini, Marco Gozzi, Francesca De Caprariis, Juan Diego Martín-Martín, and Claudio Parisi Presicce. 2021. "Exploring New Ways to Reconstruct the Forma Urbis Romae: An Archaeometric Approach (CL Color and Stable Isotope Analyses)" Minerals 11, no. 12: 1400. https://doi.org/10.3390/min11121400
APA StyleCasas, L., Di Febo, R., Brilli, M., Giustini, F., Gozzi, M., De Caprariis, F., Martín-Martín, J. D., & Parisi Presicce, C. (2021). Exploring New Ways to Reconstruct the Forma Urbis Romae: An Archaeometric Approach (CL Color and Stable Isotope Analyses). Minerals, 11(12), 1400. https://doi.org/10.3390/min11121400

