A Systematic Study of the Structural Properties of Technical Lignins
Abstract
1. Introduction
2. Materials and Methods
2.1. Materials
2.2. Sample Characterization
3. Results and Discussion
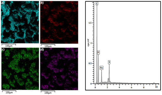
3.1. Morphological and Physical Characterization
3.2. UV Spectroscopy
3.3. Fourier Transform Infrared Spectroscopy (FTIR)
3.4. Thermogravimetric Analysis (TGA)
4. Conclusions
Author Contributions
Funding
Institutional Review Board Statement
Data Availability Statement
Acknowledgments
Conflicts of Interest
References
- Li, X.Y.; Guo, T.S.; Li, M.F.; Peng, F. Comparison of structure, thermal stability, and pyrolysis products of lignin extracted with ChCl-formic acid/lactic acid systems. J. Mater. Res. Technol. 2021, 14, 841–850. [Google Scholar] [CrossRef]
- Watkins, D.; Nuruddin, M.; Hosur, M.; Tcherbi-Narteh, A.; Jeelani, S. Extraction and characterization of lignin from different biomass resources. J. Mater. Res. Technol. 2015, 4, 26–32. [Google Scholar] [CrossRef]
- Mainka, H.; Täger, O.; Körner, E.; Hilfert, L.; Busse, S.; Edelmann, F.T.; Herrmann, A.S. Lignin—An alternative precursor for sustainable and cost-effective automotive carbon fiber. J. Mater. Res. Technol. 2015, 4, 283–296. [Google Scholar] [CrossRef]
- Matsushita, Y. Conversion of technical lignins to functional materials with retained polymeric properties. J. Wood Sci. 2015, 61, 230–250. [Google Scholar] [CrossRef]
- Aro, T.; Atehi, P. Production and Application of Lignosulfonatesand Sulfonated Lignin. ChemSusChem 2017, 10, 1861–1877. [Google Scholar] [CrossRef] [PubMed]
- Lancefield, C.S.; Constant, S.; de Peinder, P.; Bruijnincx, P.C.A. Linkage Abundance and Molecular Weight Characteristics of Technical Lignins by Attenuated Total Reflection-FTIR Spectroscopy Combined with Multivariate Analysis. ChemSusChem 2019, 12, 1139–1146. [Google Scholar] [CrossRef]
- Li, T.; Takkellapati, S. The current and emerging sources of technical lignins and their applications. Biofuels Bioprod. Biorefin. 2018, 12, 756–787. [Google Scholar] [CrossRef] [PubMed]
- Schneider, W.D.H.; Dillon, A.J.P.; Camassola, M. Lignin nanoparticles enter the scene: A promising versatile green tool for multiple applications. Biotechnol. Adv. 2021, 47, 107685. [Google Scholar] [CrossRef]
- Shukla, A.; Sharma, V.; Basak, S.; Ali, S.W. Sodium lignin sulfonate: A bio-macromolecule for making fire retardant cotton fabric. Cellulose 2019, 26, 8191–8208. [Google Scholar] [CrossRef]
- Pang, J.; Zhang, W.; Zhang, H.; Zhang, J.; Zhang, H.; Cao, G.; Han, M.; Yang, Y. Sustainable nitrogen-containing hierarchical porous carbon spheres derived from sodium lignosulfonate for high-performance supercapacitors. Carbon 2018, 132, 280–293. [Google Scholar] [CrossRef]
- Wang, Y.Y.; Meng, X.; Pu, Y.; Ragauskas, A.J. Recent advances in the application of functionalized lignin in value-added polymeric materials. Polymers 2020, 12, 2277. [Google Scholar] [CrossRef] [PubMed]
- Angelini, S.; Barrio, A.; Cerruti, P.; Scarinzi, G.; Garcia-Jaca, J.; Savy, D.; Piccolo, A.; Malinconico, M. Lignosulfonates as fire retardants in wood flour-based particleboards. Int. J. Polym. Sci. 2019, 2019, 6178163. [Google Scholar] [CrossRef]
- Ruwoldt, J.; Tanase-Opedal, M.; Syverud, K. Ultraviolet Spectrophotometry of Lignin Revisited: Exploring Solvents with Low Harmfulness, Lignin Purity, Hansen Solubility Parameter, and Determination of Phenolic Hydroxyl Groups. ACS Omega 2022, 7, 46371–46383. [Google Scholar] [CrossRef] [PubMed]
- Angelini, S.; Ingles, D.; Gelosia, M.; Cerruti, P.; Pompili, E.; Scarinzi, G.; Cavalaglio, G.; Cotana, F.; Malinconico, M. One-pot lignin extraction and modification in γ-valerolactone from steam explosion pre-treated lignocellulosic biomass. J. Clean. Prod. 2017, 151, 152–162. [Google Scholar] [CrossRef]
- Goldmann, W.M.; Ahola, J.; Mankinen, O.; Kantola, A.M.; Komulainen, S.; Telkki, V.V.; Tanskanen, J. Determination of phenolic hydroxyl groups in technical lignins by ionization difference ultraviolet spectrophotometry (∆ε-IDUS method). Period. Poly. Chem. Eng. 2017, 61, 93–101. [Google Scholar] [CrossRef]
- Schneider, M.; Finimundi, N.; Podzorova, M.; Pantyukhov, P.; Poletto, M. Assessment of Morphological, Physical, Thermal, and Thermal Conductivity Properties of Polypropylene/Lignosulfonate Blends. Materials 2021, 14, 543. [Google Scholar] [CrossRef]
- Liu, C.; Yuan, B.; Guo, M.; Yang, Q.; Nguyen, T.T.; Ji, X. Effect of sodium lignosulfonate on bonding strength and chemical structure of a lignosulfonate/chitosan-glutaraldehyde medium-density fiberboard adhesive. Adv. Compos. Hybrid Mater. 2021, 4, 1176–1184. [Google Scholar] [CrossRef]
- Blindheim, F.H.; Ruwoldt, J. The Effect of Sample Preparation Techniques on Lignin Fourier Transform Infrared Spectroscopy. Polymers 2023, 15, 2901. [Google Scholar] [CrossRef]
- Wang, Y.Y.; Li, M.; Wyman, C.E.; Cai, C.M.; Ragauskas, A.J. Fast Fractionation of Technical Lignins by Organic Cosolvents. ACS Sustain. Chem. Eng. 2018, 6, 6064–6072. [Google Scholar] [CrossRef]
- Suota, M.J.; da Silva, T.A.; Zawadzki, S.F.; Sassaki, G.L.; Hansel, F.A.; Paleologou, M.; Ramos, L.P. Chemical and structural characterization of hardwood and softwood LignoForceTM lignins. Ind. Crops Prod. 2021, 173, 114138. [Google Scholar] [CrossRef]
- Mansouri, N.E.; Salvadó, J. Structural characterization of technical lignins for the production of adhesives: Application to lignosulfonate, kraft, soda-anthraquinone, organosolv and ethanol process lignins. Ind. Crops Prod. 2006, 24, 8–16. [Google Scholar] [CrossRef]
- Lin, S.Y.; Dence, C.W. Methods in Lignin Chemistry; Springer Series in Wood Science; Springer-Verlag: Berlin/Heidelberg, Germany, 1992. [Google Scholar]
- Han, T.; Sophonrat, N.; Tagami, A.; Sevastyanova, O.; Mellin, P.; Yang, W. Characterization of lignin at pre-pyrolysis temperature to investigate its melting problem. Fuel 2019, 235, 1061–1069. [Google Scholar] [CrossRef]
- Lemes, A.P.; Soto-Oviedo, M.A.; Waldman, W.R.; Innocentini-Mei, L.H.; Durán, N. Effect of Lignosulfonate on the Thermal and Morphological Behavior of Poly(3-hydroxybutyrate-co-3-hydroxyvalerate). J. Polym. Environ. 2010, 18, 250–259. [Google Scholar] [CrossRef]
- Megiatto, J.D., Jr.; Cerrutti, B.M.; Frollini, E. Sodium lignosulfonate as a renewable stabilizing agent for aqueous alumina suspensions. Int. J. Biol. Macromol. 2016, 82, 927–932. [Google Scholar] [CrossRef] [PubMed]
- Abdelaziz, O.Y.; Hulteberg, C.P. Physicochemical Characterisation of Technical Lignins for Their Potential Valorisation. Waste Biomass Valorization 2017, 8, 859–869. [Google Scholar] [CrossRef]
- Alonso, M.V.; Rodríguez, J.J.; Oliet, M.; Rodríguez, F.; García, J.; Gilarranz, M.A. Characterization and structural modification of ammonic lignosulfonate by methylolation. J. Appl. Polym. Sci. 2001, 82, 2661–2668. [Google Scholar] [CrossRef]
- Hidayati, S.; Satyajaya, W.; Fudholi, A. Lignin isolation from black liquor from oil palm empty fruit bunch using acid. J. Mater. Res. Technol. 2020, 9, 11382–11391. [Google Scholar] [CrossRef]
- Kubo, S.; Kadla, J.F. Hydrogen bonding in lignin: A fourier transform infrared model compound study. Biomacromolecules 2005, 6, 2815–2821. [Google Scholar] [CrossRef] [PubMed]
- Yan, M.; Huang, W.; Li, Z. Chitosan cross-linked graphene oxide/lignosulfonate composite aerogel for enhanced adsorption of methylene blue in water. Int. J. Biol. Macromol. 2019, 136, 927–935. [Google Scholar] [CrossRef] [PubMed]
- Poletto, M.; Zattera, A.J. Materials produced from plant biomass. Part III: Degradation kinetics and hydrogen bonding in lignin. Mater. Res. 2013, 16, 1065–1070. [Google Scholar] [CrossRef]
- Popescu, C.-M.; Vasile, C.; Popescu, M.-C.; Singurel, G.H.; Popa, V.I.; Munteanu, B.S. Analytical methods for lignin characterization. II. Spectroscopic Studies. Cellul. Chem. Technol. 2006, 40, 597. [Google Scholar]
- Siddique, M.; Soomro, S.A.; Aziz, S. Characterization and optimization of lignin extraction from lignocellulosic biomass via green nanocatalyst. Biomass Convers. Biorefin. 2022, 14, 28523–28531. [Google Scholar] [CrossRef]
- Zhu, X.; Zhang, C.; Ma, H.; Lu, F. Stereo-Recognition of Hydrogen Bond and Its Implications for Lignin Biomimetic Synthesis. Biomacromolecules 2022, 23, 4985–4994. [Google Scholar] [CrossRef]
- Struszczyk, H. Modification of Lignins. III. Reaction of Lignosulfonates with Chlorophosphazenes. J. Macromol. Sci. Part A Chem. 1986, 23, 973–992. [Google Scholar] [CrossRef]
- Popescu, C.M.; Singurel, G.; Popescu, M.C.; Vasile, C.; Argyropoulos, D.S.; Willför, S. Vibrational spectroscopy and X-ray diffraction methods to establish the differences between hardwood and softwood. Carbohydr. Polym. 2009, 77, 851–857. [Google Scholar] [CrossRef]
- Pimentel, G.C.; Sederholm, C.H. Correlation of infrared stretching frequencies and hydrogen bond distances in crystals. J. Chem. Phys. 1956, 24, 639–641. [Google Scholar] [CrossRef]
- Poletto, M.; Zattera, A.J.; Santana, R.M.C. Structural differences between wood species: Evidence from chemical composition, FTIR spectroscopy, and thermogravimetric analysis. J. Appl. Polym. Sci. 2012, 126, E337–E344. [Google Scholar] [CrossRef]
- Popescu, C.M.; Popescu, M.C.; Singurel, G.; Vasile, C.; Argyropoulos, D.S.; Willfor, S. Spectral characterization of eucalyptus wood. Appl. Spectrosc. 2007, 61, 1168–1177. [Google Scholar] [CrossRef]
- Ferdous, D.; Dalai, A.K.; Bej, S.K.; Thring, R.W. Pyrolysis of lignins: Experimental and kinetics studies. Energy Fuels 2002, 16, 1405–1412. [Google Scholar] [CrossRef]
- Huang, X.; Yin, H.; Zhang, H.; Mei, N.; Mu, L. Pyrolysis characteristics, gas products, volatiles, and thermo–kinetics of industrial lignin via TG/DTG–FTIR/MS and in–situ Py–PI–TOF/MS. Energy 2022, 259, 125062. [Google Scholar] [CrossRef]
- de Paula Protásio, T.; Scatolino, M.V.; de Araújo, A.C.C.; de Oliveira, A.F.C.F.; de Figueiredo, I.C.R.; de Assis, M.R.; Trugilho, P.F. Assessing Proximate Composition, Extractive Concentration, and Lignin Quality to Determine Appropriate Parameters for Selection of Superior Eucalyptus Firewood. BioEnergy Res. 2019, 12, 626–641. [Google Scholar] [CrossRef]
- Li, X.G.; Ma, B.G.; Xu, L.; Hu, Z.W.; Wang, X.G. Thermogravimetric analysis of the co-combustion of the blends with high ash coal and waste tyres. Thermochim. Acta 2006, 441, 79–83. [Google Scholar] [CrossRef]








| Sample | 3570 cm−1 | 3423 cm−1 | ||
|---|---|---|---|---|
| EH (kJ) | R (Å) | EH (kJ) | R (Å) | |
| LGNa | 5.706 | 2.833 | 16.182 | 2.800 |
| LGMg | 5.806 | 2.833 | 16.289 | 2.800 |
| Sample | Ti (°C) | TB (°C) | tig (min) | tm (min) | (dm/dt)max (%/min) | (dm/dt)mean (%/min) | S × 10−7 (%2min−2°C−3) | Di × 10−3 (%min−3) |
|---|---|---|---|---|---|---|---|---|
| LGNa | 225.6 | 505.8 | 20.5 | 32.2 | 4.5 | 0.7 | 1.3 | 6.8 |
| LGMg | 179.7 | 586.5 | 16.2 | 52.8 | 7.8 | 1.2 | 4.7 | 9.1 |
Disclaimer/Publisher’s Note: The statements, opinions and data contained in all publications are solely those of the individual author(s) and contributor(s) and not of MDPI and/or the editor(s). MDPI and/or the editor(s) disclaim responsibility for any injury to people or property resulting from any ideas, methods, instructions or products referred to in the content. |
© 2025 by the authors. Licensee MDPI, Basel, Switzerland. This article is an open access article distributed under the terms and conditions of the Creative Commons Attribution (CC BY) license (https://creativecommons.org/licenses/by/4.0/).
Share and Cite
Tosin, K.G.; Finimundi, N.; Poletto, M. A Systematic Study of the Structural Properties of Technical Lignins. Polymers 2025, 17, 214. https://doi.org/10.3390/polym17020214
Tosin KG, Finimundi N, Poletto M. A Systematic Study of the Structural Properties of Technical Lignins. Polymers. 2025; 17(2):214. https://doi.org/10.3390/polym17020214
Chicago/Turabian StyleTosin, Keiti Gilioli, Noriê Finimundi, and Matheus Poletto. 2025. "A Systematic Study of the Structural Properties of Technical Lignins" Polymers 17, no. 2: 214. https://doi.org/10.3390/polym17020214
APA StyleTosin, K. G., Finimundi, N., & Poletto, M. (2025). A Systematic Study of the Structural Properties of Technical Lignins. Polymers, 17(2), 214. https://doi.org/10.3390/polym17020214

