Disulfide-Modified Mesoporous Silica Nanoparticles for Biomedical Applications
Abstract
1. Introduction
2. Materials and Methods
2.1. Chemicals and Materials
2.2. Synthesis of Mesoporous Silica Nanoparticle (MSN) Embedded with Disulfide Bonds
2.3. CTAB Surfactant Removal from MSN-SS
2.4. Doxorubicin (DOX) Loading
2.5. In Vitro Release of MSN-DOX in Acidic and Neutral pH
2.6. Dithiothreitol (DTT)-Triggered DOX Release from MSN-SS
2.7. Cytotoxicity of MSN-SS-DOX
2.8. Cellular Uptake of MSN-SS-DOX
2.9. Characterization
3. Results
3.1. Synthesis of MSN-SS
3.2. Infrared Spectroscopy—MSN and Surface Modifications
3.3. Raman Analysis of MSN-SS
3.4. BET Analysis of MSN-SS
3.5. Surface Morphology
3.6. Drug Loading
3.7. In Vitro DOX Release Profiles from MSN Silica Framework
3.8. In Vitro Cytotoxicity
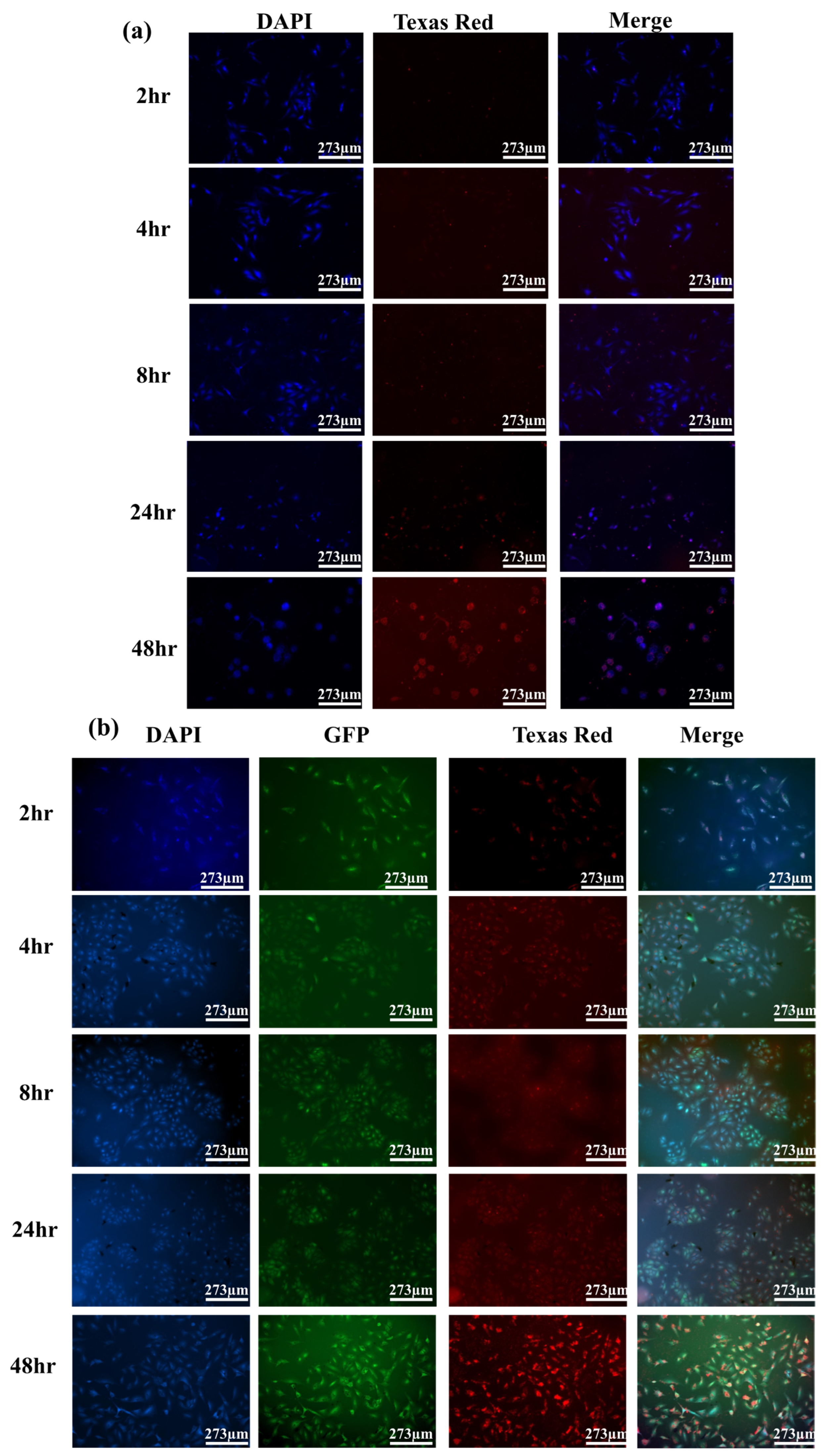
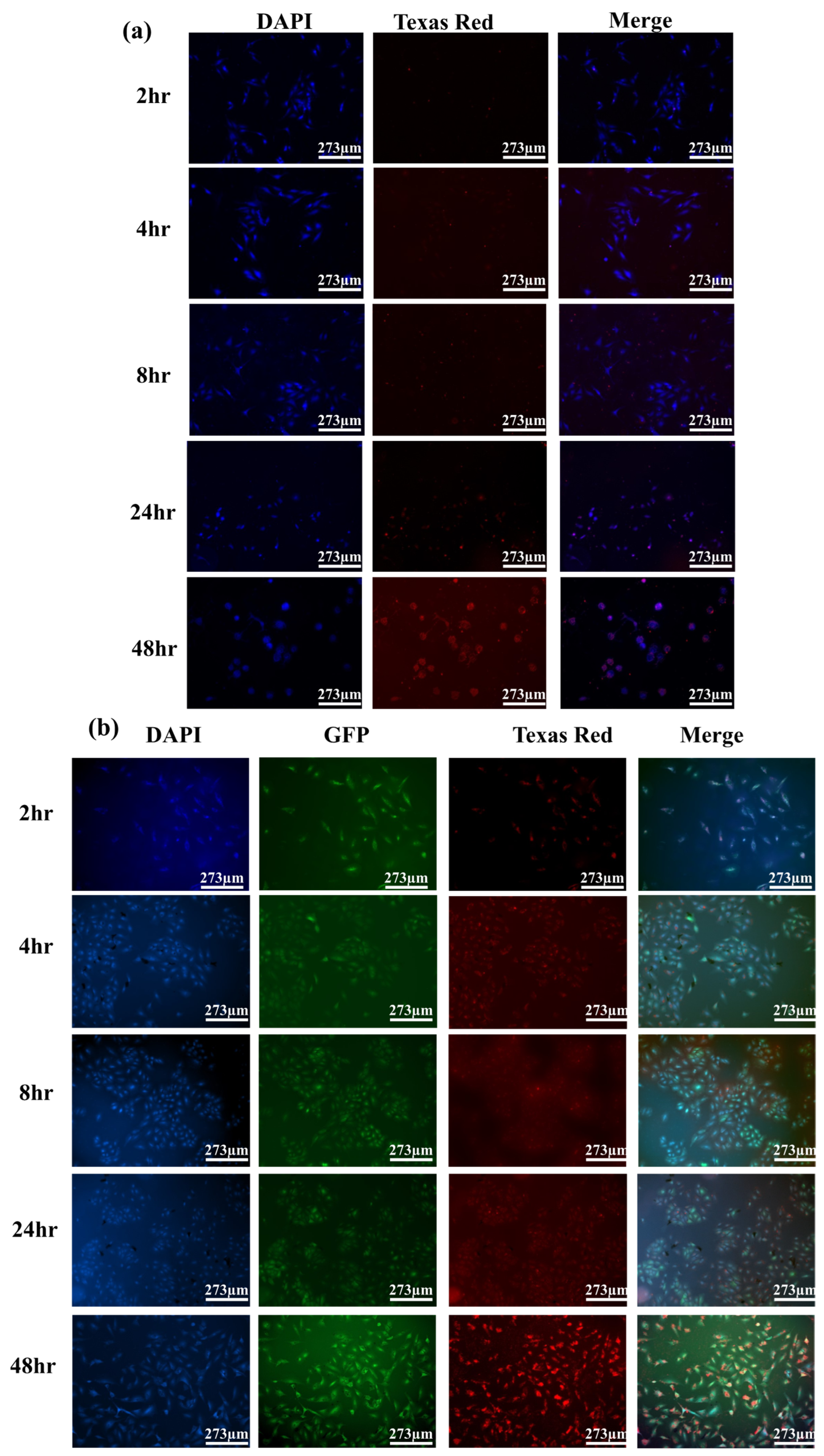
3.9. Cellular Uptake
4. Discussion
5. Conclusions
Supplementary Materials
Author Contributions
Funding
Data Availability Statement
Conflicts of Interest
References
- Zhao, D.; Zhang, H.; Yang, S.; He, W.; Luan, Y. Redox-sensitive mPEG-SS-PTX/TPGS mixed micelles: An efficient drug delivery system for overcoming multidrug resistance. Int. J. Pharm. 2016, 515, 281–292. [Google Scholar] [CrossRef] [PubMed]
- Khan, M.I.; Hossain, M.I.; Hossain, M.K.; Rubel, M.H.K.; Hossain, K.M.; Mahfuz, A.M.U.B.; Anik, M.I. Recent Progress in Nanostructured Smart Drug Delivery Systems for Cancer Therapy: A Review. ACS Appl. Bio Mater. 2022, 5, 971–1012. [Google Scholar] [CrossRef] [PubMed]
- Yan, J.; Xu, X.; Zhou, J.; Liu, C.; Zhang, L.; Wang, D.; Yang, F.; Zhang, H. Fabrication of a pH/Redox-Triggered Mesoporous Silica-Based Nanoparticle with Microfluidics for Anticancer Drugs Doxorubicin and Paclitaxel Codelivery. ACS Appl. Bio Mater. 2020, 3, 1216–1225. [Google Scholar] [CrossRef] [PubMed]
- Sharif, F.; Porta, F.; Meijer, A.H.; Kros, A.; Richardson, M.K. Mesoporous silica nanoparticles as a compound delivery system in zebrafish embryos. Int. J. Nanomed. 2012, 7, 1875–1890. [Google Scholar] [CrossRef]
- Jain, V.; Jain, S.; Fau-Mahajan, S.C.; Mahajan, S.C. Nanomedicines based drug delivery systems for anti-cancer targeting and treatment. Curr. Drug Deliv. 2015, 12, 177–191. [Google Scholar] [CrossRef]
- Nairi, V.; Medda, S.; Piludu, M.; Casula, M.; Vallet-Regì, M.; Monduzzi, M.; Salis, A. Interaction between bovine serum albumin and mesoporous silica nanoparticles functionalized with biopolymers. Chem. Eng. J. 2018, 340, 42–50. [Google Scholar] [CrossRef]
- Karimi, M.; Mirshekari, H.; Aliakbari, M.; Sahandi, P.; Hamblin, M. Smart mesoporous silica nanoparticles for controlled-release drug delivery. Nanotechnol. Rev. 2015, 5, 195–207. [Google Scholar] [CrossRef]
- Wang, J.; Li, Y.; Nie, G. Multifunctional biomolecule nanostructures for cancer therapy. Nat. Rev. Mater. 2021, 6, 766–783. [Google Scholar] [CrossRef]
- Rasool, N.; Negi, D.; Singh, Y. Thiol-Functionalized, Antioxidant, and Osteogenic Mesoporous Silica Nanoparticles for Osteoporosis. ACS Biomater. Sci. Eng. 2023, 9, 3535–3545. [Google Scholar] [CrossRef]
- Radu, D.R.; Lai, C.-Y.; Jeftinija, K.; Rowe, E.W.; Jeftinija, S.; Lin, V.S.Y. A Polyamidoamine Dendrimer-Capped Mesoporous Silica Nanosphere-Based Gene Transfection Reagent. J. Am. Chem. Soc. 2004, 126, 13216–13217. [Google Scholar] [CrossRef]
- Castillo, R.R.; Lozano, D.; González, B.; Manzano, M.; Izquierdo-Barba, I.; Vallet-Regí, M. Advances in mesoporous silica nanoparticles for targeted stimuli-responsive drug delivery: An update. Expert Opin. Drug Deliv. 2019, 16, 415–439. [Google Scholar] [CrossRef]
- Na, H.; Venedicto, M.; Chang, C.Y.; Carrier, J.; Lai, C.Y. Infrared-Activated Bactericide: Rhenium Disulfide (ReS(2))-Functionalized Mesoporous Silica Nanoparticles. ACS Appl. Bio Mater. 2023, 6, 1577–1585. [Google Scholar] [CrossRef]
- Lai, C.-Y.; Trewyn, B.G.; Jeftinija, D.M.; Jeftinija, K.; Xu, S.; Jeftinija, S.; Lin, V.S.Y. A Mesoporous Silica Nanosphere-Based Carrier System with Chemically Removable CdS Nanoparticle Caps for Stimuli-Responsive Controlled Release of Neurotransmitters and Drug Molecules. J. Am. Chem. Soc. 2003, 125, 4451–4459. [Google Scholar] [CrossRef]
- Lin, Y.-S.; Haynes, C.L. Impacts of Mesoporous Silica Nanoparticle Size, Pore Ordering, and Pore Integrity on Hemolytic Activity. J. Am. Chem. Soc. 2010, 132, 4834–4842. [Google Scholar] [CrossRef]
- Mao, C.; Xiang, Y.; Liu, X.; Cui, Z.; Yang, X.; Li, Z.; Zhu, S.; Zheng, Y.; Yeung, K.W.K.; Wu, S. Repeatable Photodynamic Therapy with Triggered Signaling Pathways of Fibroblast Cell Proliferation and Differentiation To Promote Bacteria-Accompanied Wound Healing. ACS Nano 2018, 12, 1747–1759. [Google Scholar] [CrossRef]
- Liu, M.; Radu, D.R.; Selopal, G.S.; Bachu, S.; Lai, C.Y. Stand-Alone CuFeSe(2) (Eskebornite) Nanosheets for Photothermal Cancer Therapy. Nanomaterials 2021, 11, 2008. [Google Scholar] [CrossRef]
- Ye, H.; Zhang, Y.; Wang, Y.; Xia, J.; Mao, X.; Yu, X. The restraining effect of baicalein and U0126 on human cervical cancer cell line HeLa. Mol. Med. Rep. 2017, 16, 957–963. [Google Scholar] [CrossRef]
- Shettigar, R.R.; Misra, N.M.; Patel, K. Cationic surfactant (CTAB) a multipurpose additive in polymer-based drilling fluids. J. Pet. Explor. Prod. Technol. 2018, 8, 597–606. [Google Scholar] [CrossRef]
- Mekaru, H.; Yoshigoe, A.; Nakamura, M.; Doura, T.; Tamanoi, F. Biodegradability of Disulfide-Organosilica Nanoparticles Evaluated by Soft X-ray Photoelectron Spectroscopy: Cancer Therapy Implications. ACS Appl. Nano Mater. 2018, 2, 479–488. [Google Scholar] [CrossRef]
- Gao, Y.; Li, L.; Zhang, X.; Wang, X.; Ji, W.; Zhao, J.; Ozaki, Y. CTAB-triggered Ag aggregates for reproducible SERS analysis of urinary polycyclic aromatic hydrocarbon metabolites. Chem. Commun. 2019, 55, 2146–2149. [Google Scholar] [CrossRef]
- Laird, M.; Matsumoto, K.; Higashi, Y.; Komatsu, A.; Raitano, A.; Morrison, K.; Suzuki, M.; Tamanoi, F. Organosilica nanoparticles containing sodium borocaptate (BSH) provide new prospects for boron neutron capture therapy (BNCT): Efficient cellular uptake and enhanced BNCT efficacy. Nanoscale Adv. 2023, 5, 2537–2546. [Google Scholar] [CrossRef] [PubMed]
- Wagner, M.; Krieger, A.; Minameyer, M.; Hämisch, B.; Huber, K.; Drewello, T.; Gröhn, F. Multiresponsive Polymer Nanoparticles Based on Disulfide Bonds. Macromolecules 2021, 54, 2899–2911. [Google Scholar] [CrossRef]
- Akbarian, M.; Gholinejad, M.; Mohammadi-Samani, S.; Farjadian, F. Theranostic mesoporous silica nanoparticles made of multi-nuclear gold or carbon quantum dots particles serving as pH responsive drug delivery system. Microporous Mesoporous Mater. 2022, 329, 111512. [Google Scholar] [CrossRef]
- Du, X.; Kleitz, F.; Li, X.; Huang, H.; Zhang, X.; Qiao, S.-Z. Disulfide-Bridged Organosilica Frameworks: Designed, Synthesis, Redox-Triggered Biodegradation, and Nanobiomedical Applications. Adv. Funct. Mater. 2018, 28, 1707325. [Google Scholar] [CrossRef]
- Jaroniec, M.; Kruk, M.; Shin, H.J.; Ryoo, R.; Sakamoto, Y.; Terasaki, O. Comprehensive characterization of highly ordered MCM-41 silicas using nitrogen adsorption, thermogravimetry, X-ray diffraction and transmission electron microscopy. Microporous Mesoporous Mater. 2001, 48, 127–134. [Google Scholar] [CrossRef]
- Martinez, D.S.T.; Paula, A.J.; Fonseca, L.C.; Luna, L.A.V.; Silveira, C.P.; Durán, N.; Alves, O.L. Monitoring the Hemolytic Effect of Mesoporous Silica Nanoparticles after Human Blood Protein Corona Formation. Eur. J. Inorg. Chem. 2015, 2015, 4595–4602. [Google Scholar] [CrossRef]
- Trebinska-Stryjewska, A.; Swiech, O.; Opuchlik, L.J.; Grzybowska, E.A.; Bilewicz, R. Impact of Medium pH on DOX Toxicity toward HeLa and A498 Cell Lines. ACS Omega 2020, 5, 7979–7986. [Google Scholar] [CrossRef]
- Cai, L.; Qin, X.; Xu, Z.; Song, Y.; Jiang, H.; Wu, Y.; Ruan, H.; Chen, J. Comparison of Cytotoxicity Evaluation of Anticancer Drugs between Real-Time Cell Analysis and CCK-8 Method. ACS Omega 2019, 4, 12036–12042. [Google Scholar] [CrossRef]
- Deepa, S.; Kumara Swamy, B.E.; Vasantakumar Pai, K. Voltammetric detection of anticancer drug Doxorubicin at pencil graphite electrode: A voltammetric study. Sens. Int. 2020, 1, 100033. [Google Scholar] [CrossRef]
- Hami, Z.; Rezayat, S.M.; Gilani, K.; Amini, M.; Ghazi-Khansari, M. In-vitro cytotoxicity and combination effects of the docetaxel-conjugated and doxorubicin-conjugated poly(lactic acid)-poly(ethylene glycol)-folate-based polymeric micelles in human ovarian cancer cells. J. Pharm. Pharmacol. 2016, 69, 151–160. [Google Scholar] [CrossRef]
- Gou, K.; Xin, W.; Lv, J.; Ma, Z.; Yang, J.; Zhao, L.; Cheng, Y.; Chen, X.; Zeng, R.; Li, H. A pH-responsive chiral mesoporous silica nanoparticles for delivery of doxorubicin in tumor-targeted therapy. Colloids Surf. Biointerfaces 2023, 221, 113027. [Google Scholar] [CrossRef]
- Zhang, Y.; Ye, Z.; He, R.; Li, Y.; Xiong, B.; Yi, M.; Chen, Y.; Liu, J.; Lu, B. Bovine serum albumin-based and dual-responsive targeted hollow mesoporous silica nanoparticles for breast cancer therapy. Colloids Surf. Biointerfaces 2023, 224, 113201. [Google Scholar] [CrossRef]
- Xu, Y.; Xiao, L.; Chang, Y.; Cao, Y.; Chen, C.; Wang, D. pH and Redox Dual-Responsive MSN-S-S-CS as a Drug Delivery System in Cancer Therapy. Materials 2020, 13, 1279. [Google Scholar] [CrossRef]











| Material Name | Bis(triethoxysilyl-propyl) Disulfide % in the Precursor Mixture |
|---|---|
| MSN-AS | 0% |
| MSN-AS (5%SS) | 5% |
| MSN-AS (10%SS) | 10% |
| MSN-AS (15%SS) | 15% |
| Material | Surface Area (m2/g) | Pore Width (nm) |
|---|---|---|
| MSN-SS | 1106.674 | 4.08 |
| MSN-SS 5% | 1149.435 | 2.88 |
| MSN-SS 10% | 1228.774 | 2.86 |
| MSN-SS 15% | 1029.973 | 3.52 |
| Nanocarrier | Supernatant Concentration (mM) | Amount Loaded (mM) | Loading Efficiency (%) |
|---|---|---|---|
| MSN-AW | 0.66888 | 1.33 | 30.89 |
| MSN-5%SS | 0.55116 | 1.45 | 33.61 |
| MSN-10%SS | 0.28367 | 1.72 | 39.82 |
| MSN-15%SS | 1.22714 | 0.773 | 17.93 |
Disclaimer/Publisher’s Note: The statements, opinions and data contained in all publications are solely those of the individual author(s) and contributor(s) and not of MDPI and/or the editor(s). MDPI and/or the editor(s) disclaim responsibility for any injury to people or property resulting from any ideas, methods, instructions or products referred to in the content. |
© 2023 by the authors. Licensee MDPI, Basel, Switzerland. This article is an open access article distributed under the terms and conditions of the Creative Commons Attribution (CC BY) license (https://creativecommons.org/licenses/by/4.0/).
Share and Cite
Venedicto, M.; Carrier, J.; Na, H.; Chang, C.-Y.; Radu, D.R.; Lai, C.-Y. Disulfide-Modified Mesoporous Silica Nanoparticles for Biomedical Applications. Crystals 2023, 13, 1067. https://doi.org/10.3390/cryst13071067
Venedicto M, Carrier J, Na H, Chang C-Y, Radu DR, Lai C-Y. Disulfide-Modified Mesoporous Silica Nanoparticles for Biomedical Applications. Crystals. 2023; 13(7):1067. https://doi.org/10.3390/cryst13071067
Chicago/Turabian StyleVenedicto, Melissa, Jake Carrier, Ha Na, Chen-Yu Chang, Daniela R. Radu, and Cheng-Yu Lai. 2023. "Disulfide-Modified Mesoporous Silica Nanoparticles for Biomedical Applications" Crystals 13, no. 7: 1067. https://doi.org/10.3390/cryst13071067
APA StyleVenedicto, M., Carrier, J., Na, H., Chang, C.-Y., Radu, D. R., & Lai, C.-Y. (2023). Disulfide-Modified Mesoporous Silica Nanoparticles for Biomedical Applications. Crystals, 13(7), 1067. https://doi.org/10.3390/cryst13071067

