Knoevenagel Condensation Catalyzed by Biogenic Carbonates for the Solvent-Free Synthesis of 3-(Furan-2-yl)acrylonitrile Derivatives
Abstract
1. Introduction
2. Results and Discussion
2.1. Microbial Growth
2.2. Carbonate Biomineralization
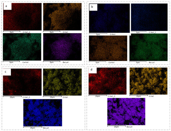
2.3. Mineralogical Characterization
2.4. Evaluation of the Catalytic Activity
3. Materials and Methods
3.1. General Information
3.2. Synthesis of Biogenic Carbonates
3.3. Synthesis of 5-HMF-Derived Esters
- (5-Formylfuran-2-yl)methyl 4-chlorobenzoate 1b. Following the general procedure, the reaction of 5-hydroxymethylfurfural 1a (1.0 mmol, 126 mg), 4-chlorobenzoyl chloride (1.0 mmol, 128 μL), and triethylamine (1.2 mmol, 167 μL) afforded compound 1b as a pale yellow solid (188 mg, 71%). M.p. 86–87 °C. 1H NMR (400 MHz, CDCl3): δ = 5.37 (s, 2H), 6.67 (d, J = 3.6 Hz, 1H), 7.23 (d, J = 3.6 Hz, 1H), 7.42 (d, J = 8.8 Hz, 2H), 7.99 (d, J = 8.8 Hz, 2H), 9.66 (s, 1H) ppm. 13C{1H} NMR (101 MHz, CDCl3): δ = 58.5 (CH2), 113.1 (CH), 121.8 (CH), 127.9 (Cq), 129.0 (CH), 131.4 (CH), 140.1 (Cq), 153.1 (Cq), 155.3 (Cq), 165.2 (Cq), 178.0 (CH) ppm. These NMR data were consistent with those previously reported [54].
- (5-Formylfuran-2-yl)methyl 4-fluorobenzoate 1c. Following the general procedure, the reaction of 5-hydroxymethylfurfural 1a (1.0 mmol, 126 mg), 4-fluorobenzoyl chloride (1.0 mmol, 118 μL), and triethylamine (1.2 mmol, 167 μL) afforded compound 1c as a white solid (184 mg, 74%). M.p. 44–45 °C. 1H NMR (400 MHz, CDCl3): δ = 5.37 (s, 2H), 6.67 (d, J = 3.6 Hz, 1H), 7.11 (dd, J = 8.8, 8.8 Hz, 2H), 7.23 (d, J = 3.6 Hz, 1H), 8.07 (dd, J = 5.4, 8.8 Hz, 2H), 9.65 (s, 1H) ppm. 13C{1H} NMR (101 MHz, CDCl3): δ = 58.4 (CH2), 113.0 (CH), 115.8 (d, CH, 2JC-F = 22.2 Hz), 121.8 (CH), 125.7 (d, Cq, 4JC-F = 3.0 Hz), 132.6 (d, CH, 3JC-F = 10.1 Hz), 153.1 (Cq), 155.5 (Cq), 165.1 (Cq), 166.2 (d, Cq, 1JC-F = 255.5 Hz), 178.0 (CH) ppm. HRMS (ESI+): calcd. For C13H10FO4+ 249.0558 [M + H]+; found 249.0557.
3.4. Solventless Synthesis of 3-(Furan-2-yl)acrylonitrile Derivatives
- (E)-Ethyl 2-cyano-3-(5-(hydroxymethyl)furan-2-yl)acrylate 3a. Following the general procedure, the reaction of 5-HMF 1a (0.20 mmol, 25 mg), ethyl cyanoacetate 2a (0.20 mmol, 21 μL), and 5 mg of the catalyst at 100 °C for 1 h afforded compound 3a with 87% yield (38 mg) as a white solid. M.p. 105–106 °C (amorphous). 1H NMR (400 MHz, CDCl3): δ = 1.37 (t, J = 7.0 Hz, 3H), 2.78 (br s, 1H, OH), 4.34 (q, J = 7.0 Hz, 2H), 4.72 (s, 2H), 6.56 (d, J = 3.6 Hz, 1H), 7.30 (d, J = 3.6 Hz, 1H), 7.95 (s, 1H) ppm. 13C{1H} NMR (101 MHz, CDCl3): δ = 14.3 (CH3), 57.7 (CH2), 62.7 (CH2), 98.1 (Cq), 111.5 (CH), 115.7 (Cq), 123.3 (CH), 139.4 (CH), 148.4 (Cq), 161.0 (Cq), 162.8 (Cq) ppm.
- 2-((5-(Hydroxymethyl)furan-2-yl)methylene)malononitrile 3b. Following the general procedure, the reaction of 5-HMF 1a (0.20 mmol, 25 mg), malononitrile 2b (0.20 mmol, 13 mg), and 5 mg of the catalyst at 100 °C for 1 h afforded compound 3b as a brown solid (27 mg, 78%). M.p. 76–77 °C (amorphous). 1H NMR (400 MHz, DMSO-d6): δ = 4.54 (d, J = 6.0 Hz, 2H), 5.66 (t, J = 6.0 Hz, 1H), 6.74 (d, J = 3.6 Hz, 1H), 7.43 (d, J = 3.6 Hz, 1H), 8.23 (s, 1H) ppm. 13C{1H} NMR (101 MHz, DMSO-d6): δ = 56.2 (CH2), 73.6 (Cq), 111.9 (CH), 113.5 (Cq), 114.8 (Cq), 127.1 (CH), 144.2 (CH), 147.4 (Cq), 164.7 (Cq) ppm. These NMR data were consistent with those previously reported [47].
- (E)-2-Cyano-3-(5-(hydroxymethyl)furan-2-yl)acrylamide 3c. Following the general procedure, the reaction of 5-HMF 1a (0.20 mmol, 25 mg), 2-cyanoacetamide 2c (0.20 mmol, 17 mg), and 5 mg of the catalyst at 100 °C for 1 h afforded compound 3c as a yellow solid (27 mg, 71%). M.p. 155–156 °C (amorphous). 1H NMR (400 MHz, DMSO-d6): δ = 4.50 (d, J = 6.0 Hz, 2H), 5.55 (t, J = 6.0 Hz, 1H), 6.64 (d, J = 4.4 Hz, 1H), 7.33 (d, J = 4.4 Hz, 1H), 7.68 (br s, 1H), 7.79 (br s, 1H), 7.93 (s, 1H) ppm. 13C{1H} NMR (101 MHz, DMSO-d6): δ = 56.0 (CH2), 100.4 (Cq), 110.9 (CH), 116.4 (Cq), 122.4 (CH), 135.9 (CH), 147.6 (Cq), 161.6 (Cq), 162.8 (Cq) ppm. These NMR data were consistent with those previously reported [47].
- (E)-(5-(3-Amino-2-cyano-3-oxoprop-1-en-1-yl)furan-2-yl)methyl 4-chlorobenzoate 3d. Following the general procedure, the reaction of (5-formylfuran-2-yl)methyl 4-chlorobenzoate 1b (0.20 mmol, 53 mg), 2-cyanoacetamide 2c (0.20 mmol, 17 mg), and 5 mg of the catalyst at 100 °C for 1 h afforded compound 3d as a yellow pale solid (50 mg, 75%). M.p. 185–186 °C (amorphous). 1H NMR (400 MHz, DMSO-d6): δ = 5.43 (s, 2H), 6.92 (d, J = 3.6 Hz, 1H), 7.36 (d, J = 3.6 Hz, 1H), 7.60 (d, J = 8.8 Hz, 2H), 7.73 (br s, 1H), 7.84 (br s, 1H), 7.97 (s, 1H), 7.98 (d, J = 8.8 Hz, 2H) ppm. 13C{1H} NMR (101 MHz, DMSO-d6): δ = 58.6 (CH2), 102.2 (Cq), 114.0 (CH), 116.2 (Cq), 121.7 (CH), 127.9 (Cq), 129.1 (CH), 131.3 (CH), 135.7 (CH), 138.7 (Cq), 148.7 (Cq), 154.3 (Cq), 162.5 (Cq), 164.4 (Cq) ppm. These NMR data were consistent with those previously reported [47].
- (E)-(5-(3-Amino-2-cyano-3-oxoprop-1-en-1-yl)furan-2-yl)methyl 4-fluorobenzoate 3e. Following the general procedure, the reaction of (5-formylfuran-2-yl)methyl 4-fluorobenzoate 1c (0.20 mmol, 50 mg), 2-cyanoacetamide 2c (0.20 mmol, 17 mg), and 5 mg of the catalyst at 100 °C for 1 h afforded compound 3e as a white solid (46 mg, 73%). M.p. 184–185 °C (amorphous). 1H NMR (400 MHz, DMSO-d6): δ = 5.43 (s, 2H), 6.92 (d, J = 3.6 Hz, 1H), 7.32–7.39 (m, 3H), 7.72 (br s, 1H), 7.83 (br s, 1H), 7.97 (s, 1H), 8.05 (dd, J = 8.8, 5.6 Hz, 2H) ppm. 13C{1H} NMR (101 MHz, DMSO-d6): δ = 58.4 (CH2), 102.1 (Cq), 113.9 (CH), 116.0 (d, CH, 2JC-F = 22.2 Hz), 116.1 (Cq), 121.6 (CH), 125.6 (d, Cq, 4JC-F = 3.0 Hz), 132.3 (d, CH, 3JC-F = 10.1 Hz), 135.6 (CH), 148.6 (Cq), 154.4 (Cq), 162.4 (Cq), 164.3 (Cq), 165.3 (d, Cq, 1JC-F = 252.5 Hz) ppm. HRMS (ESI+): calcd. For C16H12FN2O4+ 315.0776 [M + H]+; found 315.0783.
4. Conclusions
Supplementary Materials
Author Contributions
Funding
Data Availability Statement
Acknowledgments
Conflicts of Interest
References
- Zhang, Y.; Hu, X.; Wang, Y.; Jiang, N. A critical review of biomineralization in environmental geotechnics: Applications, trends, and perspectives. Biogeotechnics 2023, 1, 100003. [Google Scholar] [CrossRef]
- Tang, S.; Dong, Z.; Ke, X.; Luo, J.; Li, J. Advances in biomineralization-inspired materials for hard tissue repair. Int. J. Oral Sci. 2021, 13, 42. [Google Scholar] [CrossRef] [PubMed]
- Sommerdijk, N.A.J.M.; With, G.D. Biomimetic CaCO3 mineralization using designer molecules and interfaces. Chem. Rev. 2008, 108, 4499–4550. [Google Scholar] [CrossRef] [PubMed]
- Dey, A.; de With, G.; Sommerdijk, N.A.J.M. In situ techniques in biomimetic mineralization studies of calcium carbonate. Chem. Soc. Rev. 2010, 39, 397–409. [Google Scholar] [CrossRef]
- Dhami, N.K.; Reddy, M.S.; Mukherjee, A. Biomineralization of calcium carbonates and their engineered applications: A review. Front. Microbiol. 2013, 4, 314. [Google Scholar] [CrossRef]
- Ehrlich, H.; Bailey, E.; Wysokowski, M.; Jesionowski, T. Forced biomineralization: A review. Biomimetics 2021, 6, 46. [Google Scholar] [CrossRef]
- Reznikov, N.; Steele, J.A.M.; Fratzl, P.; Stevens, M.M. A materials science vision of extracellular matrix mineralization. Nat. Rev. Mater. 2016, 1, 16041. [Google Scholar] [CrossRef]
- Anbu, P.; Kang, C.-H.; Shin, Y.-J.; So, J.-S. Formations of calcium carbonate minerals by bacteria and its multiple applications. SpringerPlus 2016, 5, 250. [Google Scholar] [CrossRef]
- Kahil, K.; Weiner, S.; Addadi, L.; Gal, A. Ion pathways in biomineralization: Perspectives on uptake, transport, and deposition of calcium, carbonate, and phosphate. J. Am. Chem. Soc. 2021, 143, 21100–21112. [Google Scholar] [CrossRef]
- Sharma, V.; Srinivasan, A.; Nikolajeff, F.; Kumar, S. Biomineralization process in hard tissues: The interaction complexity within protein and inorganic counterparts. Acta Biomater. 2021, 120, 20–37. [Google Scholar] [CrossRef]
- Caicedo-Pineda, G.A.; Prada-Fonseca, M.C.; Casas-Botero, A.E.; Martínez-Tejada, H.V. Effect of the tryptone concentration on the calcium carbonate biomineralization mediated by Bacillus cereus. Dyna 2018, 85, 69–75. [Google Scholar] [CrossRef]
- Chaparro, S.; Rojas, H.A.; Castillo, J.-C.; Portilla, J.; Romanelli, G.P.; Pineda, A.; Elsharif, A.M.; Martínez, J.J.; Luque, R. Solventless amide synthesis catalyzed by biogenic CaCO3 materials. ACS Sustain. Chem. Eng. 2020, 8, 13139–13146. [Google Scholar] [CrossRef]
- Rahman, M.M.; Hora, R.N.; Ahenkorah, I.; Beecham, S.; Karim, M.R.; Iqbal, A. State-of-the-art review of microbial-induced calcite precipitation and its sustainability in engineering applications. Sustainability 2020, 12, 6281. [Google Scholar] [CrossRef]
- Prajapati, N.K.; Agnihotri, A.K.; Basak, N. Microbial induced calcite precipitation (MICP) a sustainable technique for stabilization of soil: A review. Mater. Today Proc. 2023, 93, 357–361. [Google Scholar] [CrossRef]
- Krajewska, B. Urease-aided calcium carbonate mineralization for engineering applications: A review. J. Adv. Res. 2018, 13, 59–67. [Google Scholar] [CrossRef]
- Naveed, M.; Duan, J.; Uddin, S.; Suleman, M.; Hui, Y.; Li, H. Application of microbially induced calcium carbonate precipitation with urea hydrolysis to improve the mechanical properties of soil. Ecol. Eng. 2020, 153, 105885. [Google Scholar] [CrossRef]
- Feng, J.; Chen, B.; Sun, W.; Wang, Y. Microbial induced calcium carbonate precipitation study using Bacillus subtilis with application to self-healing concrete preparation and characterization. Constr. Build. Mater. 2021, 280, 122460. [Google Scholar] [CrossRef]
- Fazelikia, S.; Abtahi, S.A.; Kargar, M.; Jafarinia, M. Microbial induced calcite precipitation (MICP) potential of ureolytic Bacillus sp. isolated from the soil of eroded ecosystems for stabilizing and improving the fertility of eroded soils. Geomicrobiol. J. 2023, 40, 569–581. [Google Scholar] [CrossRef]
- Gilmour, K.A.; Ghimire, P.S.; Wright, J.; Haystead, J.; Dade-Robertson, M.; Zhang, M.; James, P. Microbially induced calcium carbonate precipitation through CO2 sequestration via an engineered Bacillus subtilis. Microb. Cell Fact. 2024, 23, 168. [Google Scholar] [CrossRef]
- Saito, A.; Kagi, H.; Marugata, S.; Komatsu, K.; Enomoto, D.; Maruyama, K.; Kawano, J. Incorporation of incompatible strontium and barium ions into calcite (CaCO3) through amorphous calcium carbonate. Minerals 2020, 10, 270. [Google Scholar] [CrossRef]
- Chuliá-Jordán, R.; Santamaria-Pérez, D.; Ruiz-Fuertes, J.; Otero-de-la-Roza, A.; Popescu, C. Crystal structure of BaCa(CO3)2 alstonite carbonate and its phase stability upon compression. ACS Earth Space Chem. 2021, 5, 1130–1139. [Google Scholar] [CrossRef]
- Chuliá-Jordán, R.; Santamaría-Pérez, D.; González-Platas, J.; Otero-de-la-Roza, A.; Ruiz-Fuertes, J.; Popescu, C. Phase stability and dense polymorph of the BaCa(CO3)2 barytocalcite carbonate. Sci. Rep. 2022, 12, 7413. [Google Scholar] [CrossRef] [PubMed]
- Mu, Y.; Liu, Z.; Wang, F.; Huang, X. Effect of barium doping on carbonation behavior of γ-C2S. J. CO2 Util. 2018, 27, 405–413. [Google Scholar] [CrossRef]
- Mavromatis, V.; Zuilen, K.; Blanchard, M.; van Zuilen, M.; Dietzel, M.; Schott, J. Experimental and theoretical modelling of kinetic and equilibrium Ba isotope fractionation during calcite and aragonite precipitation. Geochim. Cosmochim. Acta 2020, 269, 566–580. [Google Scholar] [CrossRef]
- Mergelsberg, S.T.; De Yoreo, J.J.; Miller, Q.R.S.; Michel, F.M.; Ulrich, R.N.; Dove, P.M. Metastable solubility and local structure of amorphous calcium carbonate (ACC). Geochim. Cosmochim. Acta 2020, 289, 196–206. [Google Scholar] [CrossRef]
- Raj, K.S.; Devi, N.; Subramanian, V.K. Effect of barium and strontium ions on the morphology and polymorphism of CaCO3. Chem. Phys. Lett. 2020, 750, 137502. [Google Scholar] [CrossRef]
- Kerisit, S.N.; Prange, M.P.; Mergelsberg, S.T. Local density changes and carbonate rotation enable Ba incorporation in amorphous calcium carbonate. Chem. Commun. 2023, 59, 6379–6382. [Google Scholar] [CrossRef]
- Whittaker, M.L.; Sun, W.; DeRocher, K.A.; Jayaraman, S.; Ceder, G.; Joester, D. Structural basis for metastability in amorphous calcium barium carbonate (ACBC). Adv. Funct. Mater. 2018, 28, 1704202. [Google Scholar] [CrossRef]
- Whittaker, M.L.; Sun, W.; Duggins, D.O.; Ceder, G.; Joester, D. Dynamic barriers to crystallization of calcium barium carbonates. Cryst. Growth Des. 2021, 21, 4556–4563. [Google Scholar] [CrossRef]
- Dickens, B.; Bowen, J.S. The crystal structure of BaCa(CO3)2 (barytocalcite). J. Res. Natl. Bur. Stand. Sect. A 1971, 75, 197–203. [Google Scholar] [CrossRef]
- McKee, D.W.; Chatterji, D. The catalytic behavior of alkali metal carbonates and oxides in graphite oxidation reactions. Carbon 1975, 13, 381–390. [Google Scholar] [CrossRef]
- Tsuji, H.; Okamura-Yoshida, A.; Shishido, T.; Hattori, H. Dynamic behavior of carbonate species on metal oxide surface: Oxygen scrambling between adsorbed carbon dioxide and oxide surface. Langmuir 2003, 19, 8793–8800. [Google Scholar] [CrossRef]
- Lux, S.; Baldauf-Sommerbauer, G.; Siebenhofer, M. Hydrogenation of inorganic metal carbonates: A review on its potential for carbon dioxide utilization and emission reduction. ChemSusChem 2018, 11, 3357–3375. [Google Scholar] [CrossRef] [PubMed]
- Tirumala, R.T.A.; Gyawali, S.; Wheeler, A.; Ramakrishnan, S.B.; Sooriyagoda, R.; Mohammadparast, F.; Khatri, N.; Tan, S.; Kalkan, A.K.; Bristow, A.D.; et al. Structure–property–performance relationships of cuprous oxide nanostructures for dielectric mie resonance-enhanced photocatalysis. ACS Catal. 2022, 12, 7975–7985. [Google Scholar] [CrossRef]
- Gyawali, S.; Tirumala, R.T.A.; Loh, H.; Andiappan, M.; Bristow, A.D. Photocarrier recombination dynamics in highly scattering Cu2O nanocatalyst clusters. J. Phys. Chem. C 2024, 128, 2003–2011. [Google Scholar] [CrossRef]
- Wu, S.; Jiang, H.; Zhang, H.; Zhao, L.; Yuan, P.; Zhang, Y.; Su, Q.; Wang, Y.; Wu, L.; Yang, Q. Immobilized Pd on eggshell membrane: A powerful and recyclable catalyst for Suzuki and Heck cross-coupling reactions in water. J. Organomet. Chem. 2020, 925, 121496. [Google Scholar] [CrossRef]
- Patil, S.; Jadhav, S.D.; Shinde, S.K. CES as an efficient natural catalyst for synthesis of Schiff bases under solvent-free conditions: An innovative green approach. Org. Chem. Int. 2012, 2012, 153159. [Google Scholar] [CrossRef]
- Patil, S.; Jadhav, S.D.; Deshmukh, M.B. Calcined eggshell (CES): An efficient natural catalyst for Knoevenagel condensation under aqueous condition. J. Chem. Sci. 2013, 125, 851–857. [Google Scholar] [CrossRef]
- Jadhav, S.D.; Patil, R.C.; Jagdale, A.A.; Patil, S.S. Revisit to Henry reaction by non-conventional heterogeneous and efficient catalyst for nitroalcohol synthesis. Res. Chem. Intermed. 2022, 48, 593–606. [Google Scholar] [CrossRef]
- Mallampati, R.; Valiyaveettil, S. Eggshell membrane-supported recyclable catalytic noble metal nanoparticles for organic reactions. ACS Sustain. Chem. Eng. 2014, 2, 855–859. [Google Scholar] [CrossRef]
- Mosaddegh, E. Ultrasonic-assisted preparation of nano eggshell powder: A novel catalyst in green and high efficient synthesis of 2-aminochromenes. Ultrason. Sonochem. 2013, 20, 1436–1441. [Google Scholar] [CrossRef] [PubMed]
- Sharma, S.; Sharma, S.; Sharma, N.; Sharma, S.; Paul, S. Waste chicken eggshell-derived CaO based magnetic solid base catalysts for the one-pot synthesis of tetrahydro-4H-chromenes and benzopyranopyrimidines. Catal. Lett. 2023, 154, 532–552. [Google Scholar] [CrossRef]
- Mosaddegh, E.; Hassankhani, A. Preparation and characterization of nano-CaO based on eggshell waste: Novel and green catalytic approach to highly efficient synthesis of pyrano[4,3-b]pyrans. Chin. J. Catal. 2014, 35, 351–356. [Google Scholar] [CrossRef]
- Tafti, A.D.; Mirjalili, B.B.F.; Bamoniri, A.; Salehi, N. Rapid four-component synthesis of dihydropyrano[2,3-c]pyrazoles using nano-eggshell/Ti(IV) as a highly compatible natural based catalyst. BMC Chem. 2021, 15, 6. [Google Scholar] [CrossRef]
- Becerra, D.; Abonía, R.; Castillo, J.-C. Recent applications of the multicomponent synthesis for bioactive pyrazole derivatives. Molecules 2022, 27, 4723. [Google Scholar] [CrossRef]
- Fan, W.; Verrier, C.; Queneau, Y.; Popowycz, F. 5-Hydroxymethylfurfural (HMF) in organic synthesis: A review of its recent applications towards fine chemicals. Curr. Org. Synth. 2019, 16, 583–614. [Google Scholar] [CrossRef]
- Mancipe, S.; Castillo, J.-C.; Brijaldo, M.H.; López, V.P.; Rojas, H.; Macías, M.A.; Portilla, J.; Romanelli, G.P.; Martínez, J.J.; Luque, R. B-Containing hydrotalcites effectively catalyzed synthesis of 3-(furan-2-yl)acrylonitrile derivatives via the Knoevenagel condensation. ACS Sustain. Chem. Eng. 2022, 10, 12602–12612. [Google Scholar] [CrossRef]
- Kong, Q.-S.; Li, X.-L.; Xu, H.-J.; Fu, Y. Conversion of 5-hydroxymethylfurfural to chemicals: A review of catalytic routes and product applications. Fuel Process. Technol. 2020, 209, 106528. [Google Scholar] [CrossRef]
- Muynck, W.; Belie, N.; Verstraete, W. Microbial carbonate precipitation in construction materials: A review. Ecol. Eng. 2010, 36, 118–136. [Google Scholar] [CrossRef]
- Bastakoti, B.P.; Bhattarai, N.; Ashie, M.D.; Tettey, F.; Yusa, S.; Nakashima, K. Single-micelle-templated synthesis of hollow barium carbonate nanoparticle for drug delivery. Polymers 2023, 15, 1739. [Google Scholar] [CrossRef]
- Chukanov, N.V.; Chervonnyi, A.D. Infrared Spectroscopy of Minerals and Related Compounds; Springer International Publishing: Cham, Switzerland; Berlin/Heidelberg, Germany, 2016. [Google Scholar]
- White, S. Laser Raman spectroscopy as a technique for identification of seafloor hydrothermal and cold seep minerals. Chem. Geol. 2009, 259, 240–252. [Google Scholar] [CrossRef]
- Guru, S.; Bajpai, A.K.; Amritphale, S.S. Influence of nature of surfactant and precursor salt anion on the microwave assisted synthesis of barium carbonate nanoparticles. Mater. Chem. Phys. 2020, 241, 122377. [Google Scholar] [CrossRef]
- Castillo, J.-C.; Martínez, J.J.; Becerra, D.; Rojas, H.; Macías, M.A. Obtaining (5-formylfuran-2-yl)methyl 4-chlorobenzoate through an esterification of 5-hydroxymethylfurfural: Interesting achiral molecule crystallizing in a Sohncke P212121 space group. J. Mol. Struct. 2022, 1268, 133713. [Google Scholar] [CrossRef]










| Ca:Ba Ratios | Precipitate (g/L) |
|---|---|
| 100:0 | 13.93 |
| 75:25 | 20.94 |
| 50:50 | 22.01 |
| 25:75 | 24.51 |
| 0:100 | 29.11 |
| Band (cm−1) | Assignment | Ca:Ba Ratios |
|---|---|---|
| 696 | CO32− group from carbonates | All |
| 745 | CO32− group from vaterite | 100:0 and 50:50 |
| 874 | CO32− group from carbonates | All |
| 1089 | CO32− group from carbonates | All |
| 1410 | CO32− group from carbonates | All |
| 1641 | O–H | 75:25, 50:50, 25:75, and 0:100 |
| 1754 | CO32− group from witherite | 0:100 |
| 2460 | CO2 | 0:100 |
| 3375 | Ba–OH | 75:25, 50:50, 25:75, and 0:100 |
| Ca:Ba Ratio | CaR | BaR | CaMQ | BaMQ | CaR:CaMQ | BaR/BaMQ |
|---|---|---|---|---|---|---|
| 100:0 | 40.04% | 0.0% | 28.72% | 0.0% | 1.394 | n.a.+ |
| 75:25 | 32.56% | 13.02% | 7.82% | 43.62% | 4.164 | 0.298 |
| 50:50 | 18.37% | 37.67% | 10.09% | 38.77% | 1.821 | 0.972 |
| 25:75 | 9.05% | 53.86% | 0.0% | 58.44% | n.c.* | 0.922 |
| 100:0 | 0.0% | 69.59% | 0.0% | 65.22% | n.a.+ | 1.067 |
![]() | |||||
|---|---|---|---|---|---|
| Entry | Catalyst | Catalyst Loading | T [°C] | Time [h] | Yield 3a [%] [b] |
| 1 | -- | -- | 100 | 1 h | 2 |
| 2 | Ca:Ba (100:0) | 5 mg | 100 | 1 h | 46 |
| 3 | Ca:Ba (75:25) | 5 mg | 100 | 1 h | 68 |
| 4 | Ca:Ba (50:50) | 5 mg | 100 | 1 h | 87 |
| 5 | Ca:Ba (25:75) | 5 mg | 100 | 1 h | 79 |
| 6 | Ca:Ba (0:100) | 5 mg | 100 | 1 h | 67 |
| 7 | Ca:Ba (50:50) | 3 mg | 100 | 1 h | 52 |
| 8 | Ca:Ba (50:50) | 1 mg | 100 | 1 h | 24 |
| 9 | Ca:Ba (50:50) | 5 mg | 100 | 4 h | 91 |
| 10 | Ca:Ba (50:50) | 5 mg | 100 | 0.5 h | 58 |
| 11 | Ca:Ba (50:50) | 5 mg | 80 | 1 h | 60 |
| 12 | Ca:Ba (50:50) | 5 mg | 60 | 1 h | 37 |
Disclaimer/Publisher’s Note: The statements, opinions and data contained in all publications are solely those of the individual author(s) and contributor(s) and not of MDPI and/or the editor(s). MDPI and/or the editor(s) disclaim responsibility for any injury to people or property resulting from any ideas, methods, instructions or products referred to in the content. |
© 2024 by the authors. Licensee MDPI, Basel, Switzerland. This article is an open access article distributed under the terms and conditions of the Creative Commons Attribution (CC BY) license (https://creativecommons.org/licenses/by/4.0/).
Share and Cite
Mesa Castro, E.Y.; Monroy Ramírez, A.F.; Martínez, J.J.; Castillo, J.-C.; Caicedo Pineda, G.A. Knoevenagel Condensation Catalyzed by Biogenic Carbonates for the Solvent-Free Synthesis of 3-(Furan-2-yl)acrylonitrile Derivatives. Catalysts 2024, 14, 927. https://doi.org/10.3390/catal14120927
Mesa Castro EY, Monroy Ramírez AF, Martínez JJ, Castillo J-C, Caicedo Pineda GA. Knoevenagel Condensation Catalyzed by Biogenic Carbonates for the Solvent-Free Synthesis of 3-(Furan-2-yl)acrylonitrile Derivatives. Catalysts. 2024; 14(12):927. https://doi.org/10.3390/catal14120927
Chicago/Turabian StyleMesa Castro, Eliana Yasmín, Andrés Felipe Monroy Ramírez, José Jobanny Martínez, Juan-Carlos Castillo, and Gerardo Andrés Caicedo Pineda. 2024. "Knoevenagel Condensation Catalyzed by Biogenic Carbonates for the Solvent-Free Synthesis of 3-(Furan-2-yl)acrylonitrile Derivatives" Catalysts 14, no. 12: 927. https://doi.org/10.3390/catal14120927
APA StyleMesa Castro, E. Y., Monroy Ramírez, A. F., Martínez, J. J., Castillo, J.-C., & Caicedo Pineda, G. A. (2024). Knoevenagel Condensation Catalyzed by Biogenic Carbonates for the Solvent-Free Synthesis of 3-(Furan-2-yl)acrylonitrile Derivatives. Catalysts, 14(12), 927. https://doi.org/10.3390/catal14120927


