Synthesis and Characterization of Fe Doped Aurivillius-Phase PbBi2Nb2O9 Perovskite and Their Photocatalytic Activity on the Degradation of Methylene Blue
Abstract
:1. Introduction
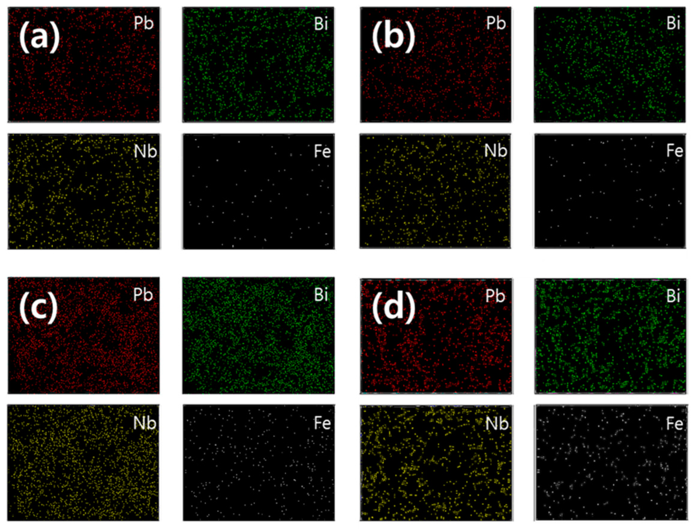
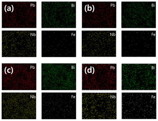
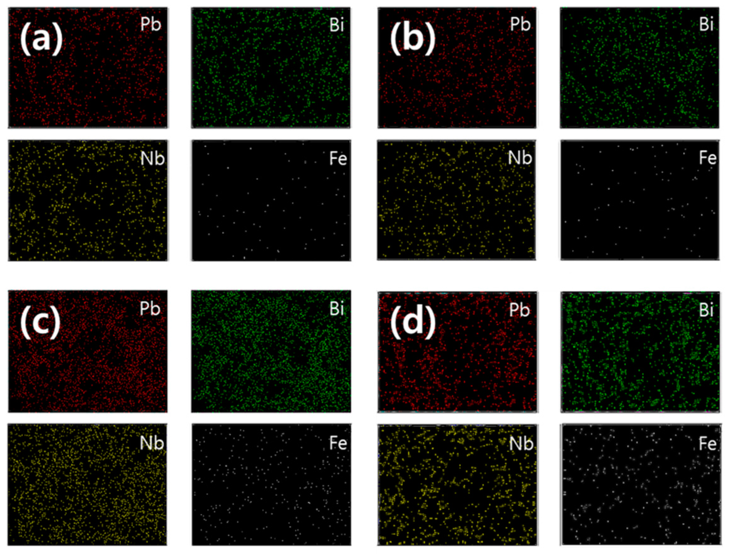
2. Results and Discussion
3. Experimental Details
3.1. Synthesis
3.2. Materials Characterization
3.3. Photocatalytic Characterization
4. Conclusions
Supplementary Materials
Author Contributions
Funding
Data Availability Statement
Acknowledgments
Conflicts of Interest
References
- Nguyen-Le, M.T.; Lee, B.K. High temperature synthesis of interfacial functionalized carboxylate mesoporous TiO2 for effective adsorption of cationic dyes. Chem. Eng. J. 2015, 281, 20–33. [Google Scholar] [CrossRef]
- Hassena, H. Photocatalytic Degradation of Methylene Blue by Using Al2O3/Fe2O3 Nano Composite under Visible Light. Mod. Chem. Appl. 2016, 4, 3–7. [Google Scholar] [CrossRef]
- Reddy, J.R.; Kurra, S.; Guje, R.; Palla, S.; Veldurthi, N.K.; Ravi, G.; Vithal, M. Photocatalytic degradation of methylene blue on nitrogen doped layered perovskites, CsM2Nb3O10 (M=Ba and Sr). Ceram. Int. 2015, 41, 2869–2875. [Google Scholar] [CrossRef]
- Tabari, T.; Tavakkoli, H.; Zargaran, P.; Beiknejad, D. Fabrication of perovskite-type oxide BaPbO3 nanoparticles and their efficiency in photodegradation of methylene blue. S. Afr. J. Chem. 2012, 65, 239–244. [Google Scholar]
- Ansari, R.; Mosayebzadeh, Z. Removal of basic dye methylene blue from aqueous solutions using sawdust and sawdust coated with polypyrrole. J. Iran. Chem. Soc. 2010, 7, 339–350. [Google Scholar] [CrossRef]
- Dariani, R.S.; Esmaeili, A.; Mortezaali, A.; Dehghanpour, S. Photocatalytic reaction and degradation of methylene blue on TiO2 nano-sized particles. Optik 2016, 127, 7143–7154. [Google Scholar] [CrossRef]
- Christie, R. Colour Chemistry; RSC Paperbacks; The Royal Society of Chemistry: Cambridge, UK, 2001; ISBN 978-0-85404-573-0. [Google Scholar]
- Kasiri, M.B.; Khataee, A.R. Photooxidative decolorization of two organic dyes with different chemical structures by UV/H2O2 process: Experimental design. Desalination 2011, 270, 151–159. [Google Scholar] [CrossRef]
- Yi, F.; Chen, S.; Yuan, C. Effect of activated carbon fiber anode structure and electrolysis conditions on electrochemical degradation of dye wastewater. J. Hazard. Mater. 2008, 157, 79–87. [Google Scholar] [CrossRef]
- Labanda, J.; Sabaté, J.; Llorens, J. Modeling of the dynamic adsorption of an anionic dye through ion-exchange membrane adsorber. J. Memb. Sci. 2009, 340, 234–240. [Google Scholar] [CrossRef]
- Tehrani-Bagha, A.R.; Mahmoodi, N.M.; Menger, F.M. Degradation of a persistent organic dye from colored textile wastewater by ozonation. Desalination 2010, 260, 34–38. [Google Scholar] [CrossRef]
- Chatterjee, S.; Lee, D.S.; Lee, M.W.; Woo, S.H. Congo red adsorption from aqueous solutions by using chitosan hydrogel beads impregnated with nonionic or anionic surfactant. Bioresour. Technol. 2009, 100, 3862–3868. [Google Scholar] [CrossRef]
- Xia, C.; Jing, Y.; Jia, Y.; Yue, D.; Ma, J.; Yin, X. Adsorption properties of congo red from aqueous solution on modified hectorite: Kinetic and thermodynamic studies. Desalination 2011, 265, 81–87. [Google Scholar] [CrossRef]
- Ahmad, A.L.; Puasa, S.W. Reactive dyes decolourization from an aqueous solution by combined coagulation/micellar-enhanced ultrafiltration process. Chem. Eng. J. 2007, 132, 257–265. [Google Scholar] [CrossRef]
- Slokar, Y.M.; Majcen Le Marechal, A. Methods of decoloration of textile wastewaters. Dye. Pigment. 1998, 37, 335–356. [Google Scholar] [CrossRef]
- Wang, L.; Zhang, J.; Wang, A. Removal of methylene blue from aqueous solution using chitosan-g-poly(acrylic acid)/montmorillonite superadsorbent nanocomposite. Colloids Surf. A Physicochem. Eng. Asp. 2008, 322, 47–53. [Google Scholar] [CrossRef]
- Torres-Martínez, L.M.; Cruz-López, A.; Juárez-Ramírez, I.; Meza-de la Rosa, M.E. Methylene blue degradation by NaTaO3 sol-gel doped with Sm and La. J. Hazard. Mater. 2009, 165, 774–779. [Google Scholar] [CrossRef] [PubMed]
- Houas, A.; Lachheb, H.; Ksibi, M.; Elaloui, E.; Guillard, C.; Herrmann, J.M. Photocatalytic degradation pathway of methylene blue in water. Appl. Catal. B Environ. 2001, 31, 145–157. [Google Scholar] [CrossRef]
- Belsousov, A.S.; Suleimanov, E.V.; Parkhacheva, A.A.; Fukina, D.G.; Koryagin, A.V.; Titaev, D.N.; Lazarev, M.A. Synthesis and Characterization of Bi2WxMo1−xO6 Solid Solutions and Their Application in Photocatalytic Desulfurization under Visible Light. Processes 2022, 10, 789. [Google Scholar] [CrossRef]
- Serverino, D.; Junqueira, H.C.; Gugliotti, M.; Gabrielli, D.S.; Baptista, M.S. Influence of negatively charged interfaces on the ground and excited state properties of methylene blue. J. Photochem. Photobiol. A Chem. 2003, 77, 459–468. [Google Scholar] [CrossRef]
- Gyu Kim, H.; Won Hwang, D.; Sung Lee, J. An Undoped, Single-Phase Oxide Photocatalyst Working under Visible Light. J. Am. Chem. Soc. 2004, 126, 8912–8913. [Google Scholar] [CrossRef]
- Lee, C.-H.; Kim, H.G.; Gu, Y.; Lim, D.-H. A Study of Photocatalytic Degradation of Methylene Blue in Aqueous Solution Using Perovskite Structured PbBi2Nb2O9. Nanosci. Nanotechnol. Lett. 2018, 10, 1179–1186. [Google Scholar] [CrossRef]
- Belousov, A.S.; Suleimanov, E.V.; Fukina, D.G. Pyrochlore oxides as visible light-responsive photocatalysts. New J. Chem. 2021, 45, 22531–22558. [Google Scholar] [CrossRef]
- Wei, K.; Faraj, Y.; Yao, G.; Xie, R.; Lai, B. Strategies for improving perovskite photocatalysts reactivity for organic pollutants degradation: A review on recent progress. Chem. Eng. J. 2021, 414, 128783. [Google Scholar] [CrossRef]
- Maniyazagan, M.; Hussain, M.; Kang, W.S.; Kim, S.J. Hierarchical Sr-Bi2WO6 photocatalyst for the degradation of 4-nitrophenol and methylene blue. J. Ind. Eng. Chem. 2022, 110, 168–177. [Google Scholar] [CrossRef]
- Kendall, K.R.; Navas, C.; Thomas, J.K.; Zur Loye, H.C. Recent developments in oxide ion conductors: Aurivillius phases. Chem. Mater. 1996, 8, 642–649. [Google Scholar] [CrossRef]
- Aurivillius, B. Mixed Bismuth Oxides with Layer Lattices 1. The Structure Type of CaNb2Bi2O9. Ark. Kemi 1949, 1, 463–480. [Google Scholar]
- Aurivillius, B. Mixed bismuth oxides with layer lattices II. Structure of Bi4Ti3O12. Ark. Kemi 1949, 1, 499–512. [Google Scholar]
- Aurivillius, B. Mixed oxides with layer lattices III. Structure of BaBi4Ti4O15. Ark. Kemi 1950, 39, 5711–5715. [Google Scholar]
- Rae, A.D.; Thompson, J.G.; Withers, R.L. Structure refinement of commensurately modulated bismuth strontium tantalate, Bi2SrTa2O9. Acta Crystallogr. Sect. B 1992, 48, 418–428. [Google Scholar] [CrossRef]
- Singh, C.; Wagle, A.; Rakesh, M. Doped LaCoO3 perovskite with Fe: A catalyst with potential antibacterial activity. Vacuum 2017, 146, 468–473. [Google Scholar] [CrossRef]
- Moura, K.F.; Chantelle, L.; Rosendo, D.; Longo, E.; Dos Santos, I.M.G. Effect of Fe3+ doping in the photocatalytic properties of BaSnO3 perovskite. Mater. Res. 2017, 20, 317–324. [Google Scholar] [CrossRef]
- Kim, J.; Jun, A.; Shin, J.; Kim, G. Effect of Fe doping on layered GdBa0.5Sr0.5Co2O5+δ perovskite cathodes for intermediate temperature solid oxide fuel cells. J. Am. Ceram. Soc. 2014, 97, 651–656. [Google Scholar] [CrossRef]
- Bousslama, W.; Elhouichet, H.; Férid, M. Enhanced photocatalytic activity of Fe doped ZnO nanocrystals under sunlight irradiation. Optik 2017, 134, 88–98. [Google Scholar] [CrossRef]
- Burton, A.W.; Ong, K.; Rea, T.; Chan, I.Y. On the estimation of average crystallite size of zeolites from the Scherrer equation: A critical evaluation of its application to zeolites with one-dimensional pore systems. Microporous Mesoporous Mater. 2009, 117, 75–90. [Google Scholar] [CrossRef]
- Teh, C.M.; Mohamed, A.R. Roles of titanium dioxide and ion-doped titanium dioxide on photocatalytic degradation of organic pollutants (phenolic compounds and dyes) in aqueous solutions: A review. J. Alloys Compd. 2011, 509, 1648–1660. [Google Scholar] [CrossRef]
- Pham, T.D.; Lee, B.K. Novel capture and photocatalytic conversion of CO2 into solar fuels by metals co-doped TiO2 deposited on PU under visible light. Appl. Catal. A Gen. 2017, 529, 40–48. [Google Scholar] [CrossRef]
- Pham, T.D.; Lee, B.K. Novel photocatalytic activity of Cu@V co-doped TiO2/PU for CO2 reduction with H2O vapor to produce solar fuels under visible light. J. Catal. 2017, 345, 87–95. [Google Scholar] [CrossRef]
- Laokiat, L.; Khemthong, P.; Grisdanurak, N.; Sreearunothai, P.; Pattanasiriwisawa, W.; Klysubun, W. Photocatalytic degradation of benzene, toluene, ethylbenzene, and xylene (BTEX) using transition metal-doped titanium dioxide immobilized on fiberglass cloth. Korean J. Chem. Eng. 2012, 29, 377–383. [Google Scholar] [CrossRef]
- Tauc, J.; Grigorovici, R.; Vancu, A. Optical Properties and Electronic Structure of Amorphous Germanium. Phys. Status Solidi 1966, 15, 627–637. [Google Scholar] [CrossRef]
- Zhou, M.; Yu, J.; Cheng, B. Effects of Fe-doping on the photocatalytic activity of mesoporous TiO2 powders prepared by an ultrasonic method. J. Hazard. Mater. 2006, 137, 1838–1847. [Google Scholar] [CrossRef]
- Garza-Arévalo, J.I.; García-Montes, I.; Reyes, M.H.; Guzmán-Mar, J.L.; Rodríguez-González, V.; Reyes, L.H. Fe doped TiO2 photocatalyst for the removal of As(III) under visible radiation and its potential application on the treatment of As-contaminated groundwater. Mater. Res. Bull. 2016, 73, 145–152. [Google Scholar] [CrossRef]
- Nguyen, T.D.C.; Nguyen, T.P.L.C.; Mai, H.T.T.; Dao, V.D.; Nguyen, M.P.; Nguyen, V.N. Novel photocatalytic conversion of CO2 by vanadium-doped tantalum nitride for valuable solar fuel production. J. Catal. 2017, 352, 67–74. [Google Scholar] [CrossRef]
- Pham, T.D.; Lee, B.K.; Lee, C.H. The advanced removal of benzene from aerosols by photocatalytic oxidation and adsorption of Cu-TiO2/PU under visible light irradiation. Appl. Catal. B Environ. 2016, 182, 172–183. [Google Scholar] [CrossRef]
- Sood, S.; Umar, A.; Mehta, S.K.; Kansal, S.K. Highly effective Fe-doped TiO2 nanoparticles photocatalysts for visible-light driven photocatalytic degradation of toxic organic compounds. J. Colloid Interface Sci. 2015, 450, 213–223. [Google Scholar] [CrossRef]
- Ma, J.; He, H.; Liu, F. Effect of Fe on the photocatalytic removal of NOx over visible light responsive Fe/TiO2 catalysts. Appl. Catal. B Environ. 2015, 179, 21–28. [Google Scholar] [CrossRef]
- Tian, F.; Wu, Z.; Tong, Y.; Wu, Z.; Cravotto, G. Microwave-Assisted Synthesis of Carbon-Based (N, Fe)-Codoped TiO2 for the Photocatalytic Degradation of Formaldehyde. Nanoscale Res. Lett. 2015, 10, 1–2. [Google Scholar] [CrossRef]
- Li, Z.; Shen, W.; He, W.; Zu, X. Effect of Fe-doped TiO2 nanoparticle derived from modified hydrothermal process on the photocatalytic degradation performance on methylene blue. J. Hazard. Mater. 2008, 155, 590–594. [Google Scholar] [CrossRef]
- Fuerte, A.; Hernández-Alonso, M.D.; Maira, A.J.; Martínez-Arias, A.; Fernández-García, M.; Conesa, J.C.; Soria, J. Visible light-activated nanosized doped-TiO2 photocatalysts. Catal. Commun. 2001, 2718–2719. [Google Scholar] [CrossRef]
- Choi, W.; Termin, A.; Hoffmann, M.R. The role of metal ion dopants in quantum-sized TiO2: Correlation between photoreactivity and charge carrier recombination dynamics. J. Phys. Chem. 1994, 98, 13669–13679. [Google Scholar] [CrossRef]
- Zhang, Z.; Wang, C.C.; Zakaria, R.; Ying, J.Y. Role of particle size in nanocrystalline TiO2-based photocatalysts. J. Phys. Chem. B 1998, 102, 10871–10878. [Google Scholar] [CrossRef]
- Yu, J.C.; Zhang, L.; Yu, J. Direct Sonochemical Preparation and Characterization of Highly Active Mesoporous TiO2 with a Bicrystalline Framework. Chem. Mater. 2002, 14, 4647–4653. [Google Scholar] [CrossRef]
- Byrappa, K.; Subramani, A.K.; Ananda, S.; Lokanatha Rai, K.M.; Dinesh, R.; Yoshimura, M. Photocatalytic degradation of rhodamine B dye using hydrothermally synthesized ZnO. Bull. Mater. Sci. 2006, 29, 433–438. [Google Scholar] [CrossRef]
- Chakrabarti, S.; Dutta, B.K. Photocatalytic degradation of model textile dyes in wastewater using ZnO as semiconductor catalyst. J. Hazard. Mater. 2004, 112, 269–278. [Google Scholar] [CrossRef] [PubMed]
- Huang, M.; Xu, C.; Wu, Z.; Huang, Y.; Lin, J.; Wu, J. Photocatalytic discolorization of methyl orange solution by Pt modified TiO2 loaded on natural zeolite. Dye. Pigment. 2008, 77, 327–334. [Google Scholar] [CrossRef]
- Shen, H.; Xue, T.; Wang, Y.; Cao, G.; Lu, Y.; Fang, G. Photocatalytic property of perovskite LaFeO3 synthesized by sol-gel process and vacuum microwave calcination. Mater. Res. Bull. 2016, 84, 15–24. [Google Scholar] [CrossRef]
- Bresolin, B.M.; Hammouda, S.B.; Sillanpaa, M. Methylammonium iodo bismuthate perovskite (CH3NH3)3Bi2I9 as new effective visible light-responsive photocatalyst for degradation of environment pollutants. J. Photochem. Photobio. A Chem. 2019, 379, 116–126. [Google Scholar] [CrossRef]








| Catalyst | Lattice Parameters | Unit Cell Volume | Crystalline Size | ||
|---|---|---|---|---|---|
| a (Å) | b (Å) | c (Å) | (Å3) | (nm) | |
| PBNO | 5492 | 5503 | 25,550 | 772.18 | 28.57 |
| PBNO-0.1F | 5473 | 5485 | 25,452 | 764.05 | 24.49 |
| PBNO-0.2F | 5465 | 5479 | 25,405 | 760.70 | 21.44 |
| PBNO-0.3F | 5460 | 5476 | 25,380 | 758.84 | 19.06 |
| PBNO-0.4F | 5458 | 5475 | 25,368 | 758.62 | 17.16 |
| Catalysts | k (min−1) | R2 |
|---|---|---|
| PBNO | 0.0118 | 0.9954 |
| PBNO-0.1F | 0.0134 | 0.9953 |
| PBNO-0.2F | 0.0156 | 0.9628 |
| PBNO-0.3F | 0.0140 | 0.9837 |
| PBNO-0.4F | 0.0105 | 0.9951 |
| Amount of PBNO-0.2F | k (min−1) | R2 |
|---|---|---|
| 0.05 g | 0.0069 | 0.9762 |
| 0.10 g | 0.0156 | 0.9628 |
| 0.15 g | 0.0105 | 0.9636 |
| 0.20 g | 0.0077 | 0.9567 |
| Catalyst | Catalyst Amount (g) | Volume of MB Solution (mL) | Concentration of MB Solution (mg/L) | pH | Apparent Rate Constant (K, min−1) | R2 | Ref. |
|---|---|---|---|---|---|---|---|
| TiO2 | 0.1 | 100 | 0.1 | 12 | 0.0073 | 0.9965 | [22] |
| PBNO | 0.1 | 100 | 0.1 | 12 | 0.0123 | 0.9984 | [22] |
| PBNO-0.1F | 0.1 | 100 | 0.1 | 12 | 0.0134 | 0.9954 | This work |
| PBNO-0.2F | 0.1 | 100 | 0.1 | 12 | 0.0156 | 0.9628 | This work |
| PBNO-0.3F | 0.1 | 100 | 0.1 | 12 | 0.0140 | 0.9837 | This work |
| MW-700–30 | − | 50 | 0.05 | − | 0.0091 | 0.9978 | [56] |
| CC-700 | − | 50 | 0.05 | − | 0.0080 | 0.9990 | [56] |
| BMI | 0.05 | 100 | 0.02 | − | 0.0129 | 0.9698 | [57] |
Disclaimer/Publisher’s Note: The statements, opinions and data contained in all publications are solely those of the individual author(s) and contributor(s) and not of MDPI and/or the editor(s). MDPI and/or the editor(s) disclaim responsibility for any injury to people or property resulting from any ideas, methods, instructions or products referred to in the content. |
© 2023 by the authors. Licensee MDPI, Basel, Switzerland. This article is an open access article distributed under the terms and conditions of the Creative Commons Attribution (CC BY) license (https://creativecommons.org/licenses/by/4.0/).
Share and Cite
Gu, Y.; Kim, M.; Kim, H.S.; Lim, D.-H. Synthesis and Characterization of Fe Doped Aurivillius-Phase PbBi2Nb2O9 Perovskite and Their Photocatalytic Activity on the Degradation of Methylene Blue. Catalysts 2023, 13, 399. https://doi.org/10.3390/catal13020399
Gu Y, Kim M, Kim HS, Lim D-H. Synthesis and Characterization of Fe Doped Aurivillius-Phase PbBi2Nb2O9 Perovskite and Their Photocatalytic Activity on the Degradation of Methylene Blue. Catalysts. 2023; 13(2):399. https://doi.org/10.3390/catal13020399
Chicago/Turabian StyleGu, Yunjang, Minkyum Kim, Hee Soo Kim, and Dong-Ha Lim. 2023. "Synthesis and Characterization of Fe Doped Aurivillius-Phase PbBi2Nb2O9 Perovskite and Their Photocatalytic Activity on the Degradation of Methylene Blue" Catalysts 13, no. 2: 399. https://doi.org/10.3390/catal13020399
APA StyleGu, Y., Kim, M., Kim, H. S., & Lim, D.-H. (2023). Synthesis and Characterization of Fe Doped Aurivillius-Phase PbBi2Nb2O9 Perovskite and Their Photocatalytic Activity on the Degradation of Methylene Blue. Catalysts, 13(2), 399. https://doi.org/10.3390/catal13020399

