Predicting Neoadjuvant Chemotherapy Response in Triple-Negative Breast Cancer Using Pre-Treatment Histopathologic Images
Simple Summary
Abstract
1. Introduction
- We employed an attention-based MIL framework that utilizes pre-treatment H&E-stained images to predict response (i.e., either pCR or non-pCR) to NACT in TNBC patients. Our framework demonstrates strong average predictive performance on an in-house cohort of 174 TNBC patients—an accuracy of 82%, AUC of 0.86, F1-score of 0.84, sensitivity of 0.85, specificity of 0.81, and precision of 0.80 based on five-fold cross-validation—outperforming a traditional model that relies only on clinical data.
- We evaluated our attention-based MIL framework on an independent cohort of 30 TNBC patients (12 pCR and 18 non-pCR), achieving an accuracy of 76%, AUC of 0.78, F1-score of 0.67, sensitivity of 0.72, specificity of 0.73, and precision of 0.81, demonstrating its generalizability and potential for clinical utility.
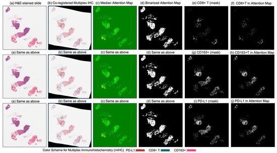
- To quantitatively evaluate the biological plausibility of the model’s attention, we computed the IoU between our model’s attention regions in H&E-stained biopsy slides and corresponding regions in co-registered multiplex mIHC data stained for PD-L1, CD8+ T cells, and CD163+ macrophages. Notably, we found that the model attention regions showed moderate overlap with these biomarkers, with IoU scores of 0.47 for PD-L1, 0.45 for CD8+ T cells, and 0.46 for CD163+ macrophages. The presence of these biomarkers in high-attention regions highlights their biological relevance to NACT response in TNBC and may improve model interpretability while informing future efforts to identify clinically actionable histological biomarkers directly from H&E-stained images.
2. Related Work
3. Materials
3.1. In-House Cohort
3.2. Independent Validation Cohort
4. Method
4.1. Overview
4.2. Patch Extraction and Feature Encoding
4.3. Attention-Based Aggregation
4.4. Slide-Level Classification
4.5. Class-Weighted Loss Function
5. Experimental Setup
5.1. Data Augmentation
5.2. Training and Implementation Details
5.3. Baseline Models for Comparison
5.4. Evaluation
6. Results and Discussion
6.1. Performance on the In-House Cohort
6.2. Generalization to External Validation Cohort
6.3. Comparison with Classical ML Models
6.4. Attention Map Analysis and Corresponding Biological Insights
6.5. Significance and Clinical Implications
7. Conclusions
Supplementary Materials
Author Contributions
Funding
Institutional Review Board Statement
Informed Consent Statement
Data Availability Statement
Conflicts of Interest
Abbreviations
| TNBC | Triple-negative breast cancer |
| H&E | Hematoxylin and eosin |
| AI | Artificial intelligence |
| CD8+ T | Cluster of differentiation 8-positive T cells |
| CD163+ | Cluster of differentiation 163-positive macrophages |
| PD-L1 | Programmed death-ligand 1 |
| ER | Estrogen receptor |
| PR | Progesterone receptor |
| HER2 | Human epidermal growth factor receptor 2 |
| NACT | Neoadjuvant chemotherapy |
| pCR | Pathological complete response |
| AUC | Area under the curve |
| IHC | Immunohistochemistry |
| TME | Tumor microenvironment |
| TILs | Tumor-infiltrating lymphocytes |
| OSU | The Ohio State University |
| MIL | Multiple instance learning |
| WSI | Whole-slide image |
| mIHC | Multiplex immunohistochemistry |
| TAMs | Tumor-associated macrophages |
| CAD | Computer-aided diagnosis |
| GPU | Graphics processing unit |
| VRAM | Video random-access memory |
| ROC | Receiver operating characteristic |
| UNI v2 | Self-supervised pathology foundation model |
References
- Marra, A.; Curigliano, G. Adjuvant and neoadjuvant treatment of triple-negative breast cancer with chemotherapy. Cancer J. 2021, 27, 41–49. [Google Scholar] [CrossRef] [PubMed]
- Soliman, A.; Li, Z.; Parwani, A.V. Artificial intelligence’s impact on breast cancer pathology: A literature review. Diagn. Pathol. 2024, 19, 38. [Google Scholar] [CrossRef] [PubMed]
- Ferlay, J.; Steliarova-Foucher, E.; Lortet-Tieulent, J.; Rosso, S.; Coebergh, J.-W.W.; Comber, H.; Forman, D.; Bray, F. Cancer incidence and mortality patterns in Europe: Estimates for 40 countries in 2012. Eur. J. Cancer 2013, 49, 1374–1403. [Google Scholar] [CrossRef] [PubMed]
- van den Ende, N.S.; Nguyen, A.H.; Jager, A.; Kok, M.; Debets, R.; van Deurzen, C.H. Triple-negative breast cancer and predictive markers of response to neoadjuvant chemotherapy: A systematic review. Int. J. Mol. Sci. 2023, 24, 2969. [Google Scholar] [CrossRef]
- Xiong, N.; Wu, H.; Yu, Z. Advancements and challenges in triple-negative breast cancer: A comprehensive review of therapeutic and diagnostic strategies. Front. Oncol. 2024, 14, 1405491. [Google Scholar] [CrossRef]
- Huang, Z.; Peng, Q.; Mao, L.; Ouyang, W.; Xiong, Y.; Tan, Y.; Chen, H.; Zhang, Z.; Li, T.; Hu, Y. Neoadjuvant Strategies for Triple Negative Breast Cancer: Current Evidence and Future Perspectives. MedComm–Future Med. 2025, 4, e70013. [Google Scholar] [CrossRef]
- Han, R.; Regpala, S.; Slodkowska, E.; Nofech-Mozes, S.; Hanna, W.; Parra-Herran, C.; Lu, F.-I. Lack of standardization in the processing and reporting of post-neoadjuvant breast cancer specimens: A survey of Canadian pathologists and pathology assistants. Arch. Pathol. Lab. Med. 2020, 144, 1262–1270. [Google Scholar] [CrossRef]
- Marczyk, M.; Mrukwa, A.; Yau, C.; Wolf, D.; Chen, Y.-Y.; Balassanian, R.; Nanda, R.; Parker, B.; Krings, G.; Sattar, H. Treatment Efficacy Score—Continuous residual cancer burden-based metric to compare neoadjuvant chemotherapy efficacy between randomized trial arms in breast cancer trials. Ann. Oncol. 2022, 33, 814–823. [Google Scholar] [CrossRef]
- Cerbelli, B.; Scagnoli, S.; Mezi, S.; De Luca, A.; Pisegna, S.; Amabile, M.I.; Roberto, M.; Fortunato, L.; Costarelli, L.; Pernazza, A. Tissue immune profile: A tool to predict response to neoadjuvant therapy in triple negative breast cancer. Cancers 2020, 12, 2648. [Google Scholar] [CrossRef]
- Carlino, F.; Feliciano, S. Efficacy of sacituzumab govitecan in a patient with TNBC with early relapse after neoadjuvant chemotherapy. Recent. Progress. Med. 2024, 115, 26e–30e. [Google Scholar]
- Gradishar, W.J.; Moran, M.S.; Abraham, J.; Abramson, V.; Aft, R.; Agnese, D.; Allison, K.H.; Anderson, B.; Bailey, J.; Burstein, H.J. Breast cancer, version 3.2024, NCCN clinical practice guidelines in oncology. J. Natl. Compr. Cancer Netw. 2024, 22, 331–357. [Google Scholar] [CrossRef]
- Kubouchi, K.; Shimada, K.; Yokoe, T.; Tsutsumi, Y. Avoidance and period-shortening of neoadjuvant chemotherapy against triple-negative breast cancer in stages I and II: Importance of Ki-67 labeling index and the recognition of apocrine-type lesions. Technol. Cancer Res. Treat. 2020, 19, 1533033820943246. [Google Scholar] [CrossRef]
- Zhu, M.; Liang, C.; Zhang, F.; Zhu, L.; Chen, D. A nomogram to predict disease-free survival following neoadjuvant chemotherapy for triple negative breast cancer. Front. Oncol. 2021, 11, 690336. [Google Scholar] [CrossRef] [PubMed]
- Abuhadra, N.; Stecklein, S.; Sharma, P.; Moulder, S. Early-stage triple-negative breast cancer: Time to optimize personalized strategies. Oncologist 2022, 27, 30–39. [Google Scholar] [CrossRef] [PubMed]
- Schmid, P.; Cortes, J.; Pusztai, L.; McArthur, H.; Kümmel, S.; Bergh, J.; Denkert, C.; Park, Y.H.; Hui, R.; Harbeck, N. Pembrolizumab for early triple-negative breast cancer. N. Engl. J. Med. 2020, 382, 810–821. [Google Scholar] [CrossRef] [PubMed]
- Mittendorf, E.A.; Zhang, H.; Barrios, C.H.; Saji, S.; Jung, K.H.; Hegg, R.; Koehler, A.; Sohn, J.; Iwata, H.; Telli, M.L. Neoadjuvant atezolizumab in combination with sequential nab-paclitaxel and anthracycline-based chemotherapy versus placebo and chemotherapy in patients with early-stage triple-negative breast cancer (IMpassion031): A randomised, double-blind, phase 3 trial. Lancet 2020, 396, 1090–1100. [Google Scholar] [CrossRef]
- Zhao, Y.; Schaafsma, E.; Cheng, C. Gene signature-based prediction of triple-negative breast cancer patient response to Neoadjuvant chemotherapy. Cancer Med. 2020, 9, 6281–6295. [Google Scholar] [CrossRef]
- da Costa, R.E.A.R.; de Oliveira, F.T.R.; Araújo, A.L.N.; Vieira, S.C. Impact of pathologic complete response on the prognosis of triple-negative breast cancer patients: A cohort study. Cureus 2023, 15, e37396. [Google Scholar] [CrossRef]
- Bernemann, C.; Hülsewig, C.; Ruckert, C.; Schäfer, S.; Blümel, L.; Hempel, G.; Götte, M.; Greve, B.; Barth, P.J.; Kiesel, L. Influence of secreted frizzled receptor protein 1 (SFRP1) on neoadjuvant chemotherapy in triple negative breast cancer does not rely on WNT signaling. Mol. Cancer 2014, 13, 174. [Google Scholar] [CrossRef]
- Bianchini, G.; De Angelis, C.; Licata, L.; Gianni, L. Treatment landscape of triple-negative breast cancer—Expanded options, evolving needs. Nat. Rev. Clin. Oncol. 2022, 19, 91–113. [Google Scholar] [CrossRef]
- Dent, R.; Trudeau, M.; Pritchard, K.I.; Hanna, W.M.; Kahn, H.K.; Sawka, C.A.; Lickley, L.A.; Rawlinson, E.; Sun, P.; Narod, S.A. Triple-negative breast cancer: Clinical features and patterns of recurrence. Clin. Cancer Res. 2007, 13, 4429–4434. [Google Scholar] [CrossRef] [PubMed]
- Oshi, M.; Newman, S.; Murthy, V.; Tokumaru, Y.; Yan, L.; Matsuyama, R.; Endo, I.; Takabe, K. ITPKC as a prognostic and predictive biomarker of neoadjuvant chemotherapy for triple negative breast cancer. Cancers 2020, 12, 2758. [Google Scholar] [CrossRef] [PubMed]
- Biswas, T.; Efird, J.T.; Prasad, S.; Jindal, C.; Walker, P.R. The survival benefit of neoadjuvant chemotherapy and pCR among patients with advanced stage triple negative breast cancer. Oncotarget 2017, 8, 112712. [Google Scholar] [CrossRef] [PubMed]
- Wimberly, H.; Brown, J.R.; Schalper, K.; Haack, H.; Silver, M.R.; Nixon, C.; Bossuyt, V.; Pusztai, L.; Lannin, D.R.; Rimm, D.L. PD-L1 expression correlates with tumor-infiltrating lymphocytes and response to neoadjuvant chemotherapy in breast cancer. Cancer Immunol. Res. 2015, 3, 326–332. [Google Scholar] [CrossRef]
- Bae, S.B.; Cho, H.D.; Oh, M.-H.; Lee, J.-H.; Jang, S.-H.; Hong, S.A.; Cho, J.; Kim, S.Y.; Han, S.W.; Lee, J.E. Expression of programmed death receptor ligand 1 with high tumor-infiltrating lymphocytes is associated with better prognosis in breast cancer. J. Breast Cancer 2016, 19, 242. [Google Scholar] [CrossRef]
- Velcheti, V.; Schalper, K.A.; Carvajal, D.E.; Anagnostou, V.K.; Syrigos, K.N.; Sznol, M.; Herbst, R.S.; Gettinger, S.N.; Chen, L.; Rimm, D.L. Programmed death ligand-1 expression in non-small cell lung cancer. Lab. Investig. 2014, 94, 107–116. [Google Scholar] [CrossRef]
- Xin, Y.; Shen, G.; Zheng, Y.; Guan, Y.; Huo, X.; Li, J.; Ren, D.; Zhao, F.; Liu, Z.; Li, Z. Immune checkpoint inhibitors plus neoadjuvant chemotherapy in early triple-negative breast cancer: A systematic review and meta-analysis. BMC Cancer 2021, 21, 1261. [Google Scholar] [CrossRef]
- Arole, V.; Nitta, H.; Wei, L.; Shen, T.; Parwani, A.V.; Li, Z. M2 tumor-associated macrophages play important role in predicting response to neoadjuvant chemotherapy in triple-negative breast carcinoma. Breast Cancer Res. Treat. 2021, 188, 37–42. [Google Scholar] [CrossRef]
- Kim, T.; Han, W.; Kim, M.K.; Lee, J.W.; Kim, J.; Ahn, S.K.; Lee, H.-B.; Moon, H.-G.; Lee, K.-H.; Kim, T.-Y. Predictive significance of p53, Ki-67, and Bcl-2 expression for pathologic complete response after neoadjuvant chemotherapy for triple-negative breast cancer. J. Breast Cancer 2015, 18, 16. [Google Scholar] [CrossRef]
- Guestini, F.; Ono, K.; Miyashita, M.; Ishida, T.; Ohuchi, N.; Nakagawa, S.; Hirakawa, H.; Tamaki, K.; Ohi, Y.; Rai, Y. Impact of Topoisomerase IIα, PTEN, ABCC1/MRP1, and KI67 on triple-negative breast cancer patients treated with neoadjuvant chemotherapy. Breast Cancer Res. Treat. 2019, 173, 275–288. [Google Scholar] [CrossRef]
- Mohammed, A.A.; Elsayed, F.M.; Algazar, M.; Rashed, H.E.; Anter, A.H. Neoadjuvant chemotherapy in triple negative breast cancer: Correlation between androgen receptor expression and pathological response. Asian Pac. J. Cancer Prev. APJCP 2020, 21, 563. [Google Scholar] [CrossRef]
- Zhu, M.; Yu, Y.; Shao, X.; Zhu, L.; Wang, L. Predictors of response and survival outcomes of triple negative breast cancer receiving neoadjuvant chemotherapy. Chemotherapy 2020, 65, 101–109. [Google Scholar] [CrossRef] [PubMed]
- Kedzierawski, P.; Macek, P.; Ciepiela, I.; Kowalik, A.; Gozdz, S. Evaluation of complete pathological regression after neoadjuvant chemotherapy in triple-negative breast cancer patients with brca1 founder mutation Aided Bayesian A/B testing approach. Diagnostics 2021, 11, 1144. [Google Scholar] [CrossRef]
- Bignon, L.; Fricker, J.P.; Nogues, C.; Mouret-Fourme, E.; Stoppa-Lyonnet, D.; Caron, O.; Lortholary, A.; Faivre, L.; Lasset, C.; Mari, V. Efficacy of anthracycline/taxane-based neo-adjuvant chemotherapy on triple-negative breast cancer in BRCA 1/BRCA 2 mutation carriers. Breast J. 2018, 24, 269–277. [Google Scholar] [CrossRef] [PubMed]
- Masuda, H.; Masuda, N.; Kodama, Y.; Ogawa, M.; Karita, M.; Yamamura, J.; Tsukuda, K.; Doihara, H.; Miyoshi, S.; Mano, M. Predictive factors for the effectiveness of neoadjuvant chemotherapy and prognosis in triple-negative breast cancer patients. Cancer Chemother. Pharmacol. 2011, 67, 911–917. [Google Scholar] [CrossRef] [PubMed]
- Van Bockstal, M.R.; Noel, F.; Guiot, Y.; Duhoux, F.P.; Mazzeo, F.; Van Marcke, C.; Fellah, L.; Ledoux, B.; Berlière, M.; Galant, C. Predictive markers for pathological complete response after neo-adjuvant chemotherapy in triple-negative breast cancer. Ann. Diagn. Pathol. 2020, 49, 151634. [Google Scholar] [CrossRef]
- Zhou, Z.; Adrada, B.E.; Candelaria, R.P.; Elshafeey, N.A.; Boge, M.; Mohamed, R.M.; Pashapoor, S.; Sun, J.; Xu, Z.; Panthi, B. Prediction of pathologic complete response to neoadjuvant systemic therapy in triple negative breast cancer using deep learning on multiparametric MRI. Sci. Rep. 2023, 13, 1171. [Google Scholar] [CrossRef]
- Golden, D.I.; Lipson, J.A.; Telli, M.L.; Ford, J.M.; Rubin, D.L. Dynamic contrast-enhanced MRI-based biomarkers of therapeutic response in triple-negative breast cancer. J. Am. Med. Inform. Assoc. 2013, 20, 1059–1066. [Google Scholar] [CrossRef]
- Jiang, M.; Li, C.-L.; Luo, X.-M.; Chuan, Z.-R.; Lv, W.-Z.; Li, X.; Cui, X.-W.; Dietrich, C.F. Ultrasound-based deep learning radiomics in the assessment of pathological complete response to neoadjuvant chemotherapy in locally advanced breast cancer. Eur. J. Cancer 2021, 147, 95–105. [Google Scholar] [CrossRef]
- Xu, Z.; Zhou, Z.; Son, J.B.; Feng, H.; Adrada, B.E.; Moseley, T.W.; Candelaria, R.P.; Guirguis, M.S.; Patel, M.M.; Whitman, G.J. Deep Learning Models Based on Pretreatment MRI and Clinicopathological Data to Predict Responses to Neoadjuvant Systemic Therapy in Triple-Negative Breast Cancer. Cancers 2025, 17, 966. [Google Scholar] [CrossRef]
- Jimenez, J.E.; Abdelhafez, A.; Mittendorf, E.A.; Elshafeey, N.; Yung, J.P.; Litton, J.K.; Adrada, B.E.; Candelaria, R.P.; White, J.; Thompson, A.M. A model combining pretreatment MRI radiomic features and tumor-infiltrating lymphocytes to predict response to neoadjuvant systemic therapy in triple-negative breast cancer. Eur. J. Radiol. 2022, 149, 110220. [Google Scholar] [CrossRef]
- Krishnamurthy, S.; Jain, P.; Tripathy, D.; Basset, R.; Randhawa, R.; Muhammad, H.; Huang, W.; Yang, H.; Kummar, S.; Wilding, G. Predicting response of triple-negative breast cancer to neoadjuvant chemotherapy using a Deep convolutional neural network–based artificial intelligence tool. JCO Clin. Cancer Inform. 2023, 7, e2200181. [Google Scholar] [CrossRef] [PubMed]
- Huang, Z.; Shao, W.; Han, Z.; Alkashash, A.M.; De la Sancha, C.; Parwani, A.V.; Nitta, H.; Hou, Y.; Wang, T.; Salama, P. Artificial intelligence reveals features associated with breast cancer neoadjuvant chemotherapy responses from multi-stain histopathologic images. NPJ Precis. Oncol. 2023, 7, 14. [Google Scholar] [CrossRef] [PubMed]
- Hussain, M.S.; Ramalingam, P.S.; Chellasamy, G.; Yun, K.; Bisht, A.S.; Gupta, G. Harnessing Artificial Intelligence for Precision Diagnosis and Treatment of Triple Negative Breast Cancer. Clin. Breast Cancer 2025, 25, 406–421. [Google Scholar] [CrossRef] [PubMed]
- Ilse, M.; Tomczak, J.; Welling, M. Attention-based deep multiple instance learning. arXiv 2018, arXiv:1802.04712. [Google Scholar] [CrossRef]
- Chen, R.J.; Ding, T.; Lu, M.Y.; Williamson, D.F.; Jaume, G.; Song, A.H.; Chen, B.; Zhang, A.; Shao, D.; Shaban, M.; et al. Towards a general-purpose foundation model for computational pathology. Nat. Med. 2024, 30, 850–862. [Google Scholar] [CrossRef]
- Bilal, M.; Raza, M.; Altherwy, Y.; Alsuhaibani, A.; Abduljabbar, A.; Almarshad, F.; Golding, P.; Rajpoot, N. Foundation Models in Computational Pathology: A Review of Challenges, Opportunities, and Impact. arXiv 2025, arXiv:2502.08333. [Google Scholar]
- Dubey, S.R.; Singh, S.K.; Chaudhuri, B.B. Activation functions in deep learning: A comprehensive survey and benchmark. Neurocomputing 2022, 503, 92–108. [Google Scholar] [CrossRef]
- Wang, Z.; Wang, P.; Liu, K.; Wang, P.; Fu, Y.; Lu, C.-T.; Aggarwal, C.C.; Pei, J.; Zhou, Y. A comprehensive survey on data augmentation. arXiv 2024, arXiv:2405.09591. [Google Scholar] [CrossRef]
- Faryna, K.; van der Laak, J.; Litjens, G. Automatic data augmentation to improve generalization of deep learning in H&E stained histopathology. Comput. Biol. Med. 2024, 170, 108018. [Google Scholar] [CrossRef]
- Bottou, L. Stochastic gradient descent tricks. In Neural Networks: Tricks of the Trade, 2nd ed.; Springer: Berlin/Heidelberg, Germany, 2012; pp. 421–436. [Google Scholar]
- Ketkar, N. Stochastic gradient descent. In Deep Learning with Python: A Hands-On Introduction; Springer: Berlin/Heidelberg, Germany, 2017; pp. 113–132. [Google Scholar]
- Kleinbaum, D.G.; Dietz, K.; Gail, M.; Klein, M.; Klein, M. Logistic Regression; Springer: Berlin/Heidelberg, Germany, 2002. [Google Scholar]
- Breiman, L. Random forests. Mach. Learn. 2001, 45, 5–32. [Google Scholar] [CrossRef]
- Hearst, M.A.; Dumais, S.T.; Osuna, E.; Platt, J.; Scholkopf, B. Support vector machines. IEEE Intell. Syst. Their Appl. 1998, 13, 18–28. [Google Scholar] [CrossRef]
- Guo, G.; Wang, H.; Bell, D.; Bi, Y.; Greer, K. KNN model-based approach in classification. In OTM Confederated International Conferences “On the Move to Meaningful Internet Systems”; Springer: Berlin/Heidelberg, Germany, 2003; pp. 986–996. [Google Scholar]
- Izenman, A.J. Linear discriminant analysis. In Modern Multivariate Statistical Techniques: Regression, Classification, and Manifold Learning; Springer: Berlin/Heidelberg, Germany, 2013; pp. 237–280. [Google Scholar]
- Hörst, F.; Rempe, M.; Becker, H.; Heine, L.; Keyl, J.; Kleesiek, J. CellViT++: Energy-Efficient and Adaptive Cell Segmentation and Classification Using Foundation Models. arXiv 2025, arXiv:2501.05269. [Google Scholar]
- Ye, J.-H.; Wang, X.-H.; Shi, J.-J.; Yin, X.; Chen, C.; Chen, Y.; Wu, H.-Y.; Jiong, S.; Zhang, M.; Shi, X.-B. Tumor-associated macrophages are associated with response to neoadjuvant chemotherapy and poor outcomes in patients with triple-negative breast cancer. J. Cancer 2021, 12, 2886. [Google Scholar] [CrossRef]
- Baharun, N.B.; Adam, A.; Zailani, M.A.H.; Rajpoot, N.M.; Xu, Q.; Zin, R.R.M. Automated scoring methods for quantitative interpretation of Tumour infiltrating lymphocytes (TILs) in breast cancer: A systematic review. BMC Cancer 2024, 24, 1202. [Google Scholar] [CrossRef]
- Bhattarai, S.; Saini, G.; Li, H.; Seth, G.; Fisher, T.B.; Janssen, E.A.; Kiraz, U.; Kong, J.; Aneja, R. Predicting neoadjuvant treatment response in triple-negative breast cancer using machine learning. Diagnostics 2023, 14, 74. [Google Scholar] [CrossRef] [PubMed]
- Bhattarai, S.; Rupji, M.; Chao, H.-p.; Xu, Q.; Saini, G.; Rida, P.; Aleskandarany, M.A.; Green, A.R.; Ellis, I.O.; Janssen, E.A. Cell cycle traverse rate predicts long-term outcomes in a multi-institutional cohort of patients with triple-negative breast cancer. BJC Rep. 2024, 2, 87. [Google Scholar] [CrossRef]









| Cohorts | pCR Cases | Non-pCR Cases | Total |
|---|---|---|---|
| OSU-Wexner Medical Center (in-house) | 81 | 93 | 174 |
| MD Anderson Cancer Center (independent) | 12 | 18 | 30 |
| Folds | Accuracy | AUC | F1-Score | Sensitivity | Specificity | Precision |
|---|---|---|---|---|---|---|
| 1 | 0.83 | 0.88 | 0.88 | 0.89 | 0.82 | 0.78 |
| 2 | 0.78 | 0.83 | 0.78 | 0.78 | 0.78 | 0.78 |
| 3 | 0.83 | 0.91 | 0.86 | 0.90 | 0.80 | 0.75 |
| 4 | 0.83 | 0.85 | 0.88 | 0.89 | 0.82 | 0.78 |
| 5 | 0.83 | 0.81 | 0.80 | 0.78 | 0.84 | 0.89 |
| 0.82 ± 0.02 | 0.86 ± 0.03 | 0.84 ± 0.04 | 0.85 ± 0.06 | 0.81 ± 0.01 | 0.80 ± 0.05 |
| Cohorts | Accuracy | AUC | F1-Score | Sensitivity | Specificity | Precision |
|---|---|---|---|---|---|---|
| OSU-Wexner Medical Center (in-house) | 0.82 ± 0.02 | 0.86 ± 0.03 | 0.84 ± 0.04 | 0.85 ± 0.06 | 0.81 ± 0.01 | 0.80 ± 0.05 |
| MD Anderson Cancer Center (independent) | 0.76 ± 0.03 | 0.78 ± 0.02 | 0.67 ± 0.07 | 0.72 ± 0.11 | 0.73 ± 0.02 | 0.81 ± 0.11 |
| Model | Accuracy | AUC | F1-Score | Sensitivity | Specificity | Precision |
|---|---|---|---|---|---|---|
| Logistic Regression [53] | 0.08 | 0.05 | 0.167 | 0.07 | ||
| Random Forest [54] | 0.05 | 0.04 | 0.06 | 0.08 | 0.10 | |
| SVM [55] | 0.05 | 0.05 | 0.03 | 00 | 0.90 | |
| K-Nearest Neighbors [56] | 0.04 | 0.04 | 0.02 | 0.11 | 0.17 | 0.08 |
| Linear Discriminant Analysis [57] | 0.07 | 0.04 | 0.02 | 0.07 | 0.18 | 0.05 |
| Ours | 0.02 | 0.03 | 0.04 | 0.06 | 0.01 | 0.05 |
| Biomarker | IoU (with B-Attention Map) |
|---|---|
| PD-L1 | 0.18 |
| CD8+ T | 0.20 |
| CD163+ | 0.17 |
Disclaimer/Publisher’s Note: The statements, opinions and data contained in all publications are solely those of the individual author(s) and contributor(s) and not of MDPI and/or the editor(s). MDPI and/or the editor(s) disclaim responsibility for any injury to people or property resulting from any ideas, methods, instructions or products referred to in the content. |
© 2025 by the authors. Licensee MDPI, Basel, Switzerland. This article is an open access article distributed under the terms and conditions of the Creative Commons Attribution (CC BY) license (https://creativecommons.org/licenses/by/4.0/).
Share and Cite
Khan, H.; Su, Z.; Zhang, H.; Wang, Y.; Ning, B.; Wei, S.; Guo, H.; Li, Z.; Niazi, M.K.K. Predicting Neoadjuvant Chemotherapy Response in Triple-Negative Breast Cancer Using Pre-Treatment Histopathologic Images. Cancers 2025, 17, 2423. https://doi.org/10.3390/cancers17152423
Khan H, Su Z, Zhang H, Wang Y, Ning B, Wei S, Guo H, Li Z, Niazi MKK. Predicting Neoadjuvant Chemotherapy Response in Triple-Negative Breast Cancer Using Pre-Treatment Histopathologic Images. Cancers. 2025; 17(15):2423. https://doi.org/10.3390/cancers17152423
Chicago/Turabian StyleKhan, Hikmat, Ziyu Su, Huina Zhang, Yihong Wang, Bohan Ning, Shi Wei, Hua Guo, Zaibo Li, and Muhammad Khalid Khan Niazi. 2025. "Predicting Neoadjuvant Chemotherapy Response in Triple-Negative Breast Cancer Using Pre-Treatment Histopathologic Images" Cancers 17, no. 15: 2423. https://doi.org/10.3390/cancers17152423
APA StyleKhan, H., Su, Z., Zhang, H., Wang, Y., Ning, B., Wei, S., Guo, H., Li, Z., & Niazi, M. K. K. (2025). Predicting Neoadjuvant Chemotherapy Response in Triple-Negative Breast Cancer Using Pre-Treatment Histopathologic Images. Cancers, 17(15), 2423. https://doi.org/10.3390/cancers17152423

