Short Chain Fatty Acids Lower Inflammation and Restore Intestinal Integrity and Function Markers in Mycobacterium paratuberculosis—Infection In Vitro Model
Abstract
1. Introduction
2. Materials and Methods
2.1. Cell Culture Maintenance and MAP Infection
2.2. RNA Extraction and Gene Expression Quantification
2.3. Fluorescent Visualization of Protein and Oxidative Stress
2.4. TNF-α Concentration Assessment
2.5. Measuring MAP Growth Inhibition by SCFAs
2.6. Measuring Non-MAP Antimicrobial Activity of SCFAs
2.7. Statistical Analysis
3. Results
3.1. SCFA Treatment Did Not Significantly Affect the Viability of THP-1 Cells
3.2. SCFAs Downregulated TNF-α Pre-, At-, and Post-Infection with MAP
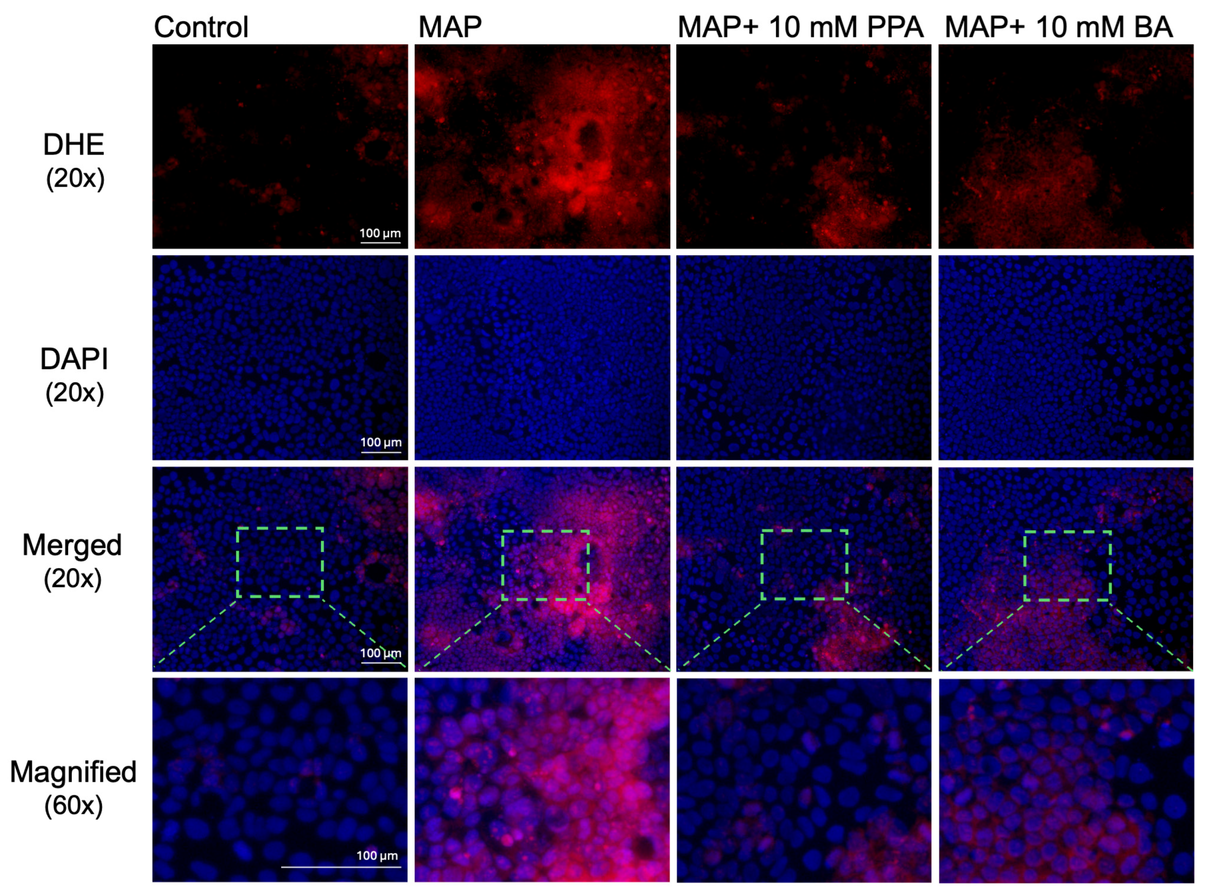
3.3. SCFAs Significantly Lowered Oxidative Stress in the MAP-Infected THP-1-Caco-2 Culture Model
3.4. SCFA Treatment with PPA and BA Restored Tight Junction Integrity in the Caco-2 Monolayer
3.5. SCFAs Inhibited MAP Metabolic Activity in MGIT Culture Media
3.6. SCFAs Inhibited Bacterial Growth in TSB Media
3.7. SCFAs Exerted Antimicrobial Effect Without Alteration of pH
4. Discussion
5. Conclusions
Author Contributions
Funding
Institutional Review Board Statement
Informed Consent Statement
Data Availability Statement
Acknowledgments
Conflicts of Interest
Abbreviations
| AA | Acetic acid |
| ASD | Autism spectrum disorder |
| ATCC | American Type Culture Collection |
| BA | Butyric acid |
| CD | Crohn’s disease |
| DAPI | 4′,6-diamidino-2-phenylindole |
| DEPC | Diethylpyrocarbonate |
| DHE | Dihydroethidium |
| ELISA | Enzyme-linked immunosorbent assay |
| FBS | Fetal Bovine Serum |
| GAPDH | Glial fibrillary acidic protein |
| GI | Gastrointestinal |
| GPR | G protein-coupled receptor |
| GS | Goat serum |
| IBD | Inflammatory bowel disease |
| IL-6 | Interleukin 6 |
| MAP | Mycobacterium avium paratuberculosis |
| MGIT | Mycobacteria Growth Indicator Tube |
| NOX1 | NADPH oxidase 1 |
| PBS | Phosphate-Buffered Saline |
| PMA | Phorbol 12-myristate 13-acetate |
| PPA | Propionic acid |
| RCF | Relative centrifugal force |
| ROS | Reactive oxygen species |
| SCFA | Short chain fatty acid |
| SD | Standard deviation |
| TNBS | 2,4,6-trinitrobenzene sulfonic acid |
| TNF-α | Tumor necrosis factor alpha |
| TSA | Trypic soy agar |
| TSB | Trypic soy broth |
| UC | Ulcerative colitis |
| ZO-1 | Zonula occludens-1 |
References
- Qasem, A.; Naser, A.E.; Naser, S.A. The alternate effects of anti-TNFα therapeutics and their role in mycobacterial granulomatous infection in Crohn’s disease. Expert Rev. Anti-Infect. Ther. 2017, 15, 637–643. [Google Scholar] [CrossRef] [PubMed]
- Ye, Y.; Manne, S.; Treem, W.R.; Bennett, D. Prevalence of Inflammatory Bowel Disease in Pediatric and Adult Populations: Recent Estimates From Large National Databases in the United States, 2007–2016. Inflamm. Bowel Dis. 2020, 26, 619–625. [Google Scholar] [CrossRef]
- Lewis, J.D.; Parlett, L.E.; Funk, M.L.J.; Brensinger, C.; Pate, V.; Wu, Q.; Dawwas, G.K.; Weiss, A.; Constant, B.D.; McCauley, M.; et al. Incidence, Prevalence, and Racial and Ethnic Distribution of Inflammatory Bowel Disease in the United States. Gastroenterology 2023, 165, 1197–1205.e2. [Google Scholar] [CrossRef]
- Alhendi, A.; Naser, S.A. The dual role of interleukin-6 in Crohn’s disease pathophysiology. Front. Immunol. 2023, 14, 1295230. [Google Scholar] [CrossRef]
- Roda, G.; Chien Ng, S.; Kotze, P.G.; Argollo, M.; Panaccione, R.; Spinelli, A.; Kaser, A.; Peyrin-Biroulet, L.; Danese, S. Crohn’s disease. Nat. Rev. Dis. Primers 2020, 6, 22. [Google Scholar] [CrossRef]
- Bruner, L.P.; White, A.M.; Proksell, S. Inflammatory Bowel Disease. Prim. Care 2023, 50, 411–427. [Google Scholar] [CrossRef] [PubMed]
- Dam, A.N.; Berg, A.M.; Farraye, F.A. Environmental influences on the onset and clinical course of Crohn’s disease-part 1: An overview of external risk factors. Gastroenterol. Hepatol. 2013, 9, 711–717. [Google Scholar]
- Liu, J.Z.; van Sommeren, S.; Huang, H.; Ng, S.C.; Alberts, R.; Takahashi, A.; Ripke, S.; Lee, J.C.; Jostins, L.; Shah, T.; et al. Association analyses identify 38 susceptibility loci for inflammatory bowel disease and highlight shared genetic risk across populations. Nat. Genet. 2015, 47, 979–986. [Google Scholar] [CrossRef]
- Franke, A.; McGovern, D.P.; Barrett, J.C.; Wang, K.; Radford-Smith, G.L.; Ahmad, T.; Lees, C.W.; Balschun, T.; Lee, J.; Roberts, R.; et al. Genome-wide meta-analysis increases to 71 the number of confirmed Crohn’s disease susceptibility loci. Nat. Genet. 2010, 42, 1118–1125. [Google Scholar] [CrossRef]
- Matthews, C.; Cotter, P.D.; O’ Mahony, J. MAP, Johne’s disease and the microbiome; current knowledge and future considerations. Anim. Microbiome 2021, 3, 34. [Google Scholar] [CrossRef] [PubMed]
- Naser, S.A.; Ghobrial, G.; Romero, C.; Valentine, J.F. Culture of Mycobacterium avium subspecies paratuberculosis from the blood of patients with Crohn’s disease. Lancet 2004, 364, 1039–1044. [Google Scholar] [CrossRef] [PubMed]
- Naser, S.A.; Schwartz, D.; Shafran, I. Isolation of Mycobacterium avium subsp paratuberculosis from breast milk of Crohn’s disease patients. Am. J. Gastroenterol. 2000, 95, 1094–1095. [Google Scholar] [CrossRef]
- Cohen, R.D. The quality of life in patients with Crohn’s disease. Aliment. Pharmacol. Ther. 2002, 16, 1603–1609. [Google Scholar] [CrossRef]
- Mitropoulou, M.A.; Fradelos, E.C.; Lee, K.Y.; Malli, F.; Tsaras, K.; Christodoulou, N.G.; Papathanasiou, I.V. Quality of Life in Patients With Inflammatory Bowel Disease: Importance of Psychological Symptoms. Cureus 2022, 14, e28502. [Google Scholar] [CrossRef]
- Bielefeldt, K.; Davis, B.; Binion, D.G. Pain and inflammatory bowel disease. Inflamm. Bowel Dis. 2009, 15, 778–788. [Google Scholar] [CrossRef]
- Wenzl, H.H. Diarrhea in chronic inflammatory bowel diseases. Gastroenterol. Clin N. Am. 2012, 41, 651–675. [Google Scholar] [CrossRef]
- Barros, L.L.; Farias, A.Q.; Rezaie, A. Gastrointestinal motility and absorptive disorders in patients with inflammatory bowel diseases: Prevalence, diagnosis and treatment. World J. Gastroenterol. 2019, 25, 4414–4426. [Google Scholar] [CrossRef]
- Fiorino, G.; Bonifacio, C.; Peyrin-Biroulet, L.; Danese, S. Preventing Collateral Damage in Crohn’s Disease: The Lémann Index. J. Crohns Colitis 2016, 10, 495–500. [Google Scholar] [CrossRef]
- Thia, K.T.; Sandborn, W.J.; Harmsen, W.S.; Zinsmeister, A.R.; Loftus, E.V., Jr. Risk factors associated with progression to intestinal complications of Crohn’s disease in a population-based cohort. Gastroenterology 2010, 139, 1147–1155. [Google Scholar] [CrossRef] [PubMed]
- Agrawal, M.; Spencer, E.A.; Colombel, J.F.; Ungaro, R.C. Approach to the Management of Recently Diagnosed Inflammatory Bowel Disease Patients: A User’s Guide for Adult and Pediatric Gastroenterologists. Gastroenterology 2021, 161, 47–65. [Google Scholar] [CrossRef] [PubMed]
- Włodarczyk, M.; Makaro, A.; Prusisz, M.; Włodarczyk, J.; Nowocień, M.; Maryńczak, K.; Fichna, J.; Dziki, Ł. The Role of Chronic Fatigue in Patients with Crohn’s Disease. Life 2023, 13, 1692. [Google Scholar] [CrossRef]
- Balestrieri, P.; Ribolsi, M.; Guarino, M.P.L.; Emerenziani, S.; Altomare, A.; Cicala, M. Nutritional Aspects in Inflammatory Bowel Diseases. Nutrients 2020, 12, 372. [Google Scholar] [CrossRef]
- Rubin, D.T. Recent Research on Joint Pain and Arthritis in Patients With Inflammatory Bowel Disease. Gastroenterol. Hepatol. 2017, 13, 688–690. [Google Scholar]
- Kim, M.; Cho, M.; Hong, S.; Song, J.H.; Kim, E.R.; Hong, S.N.; Chang, D.K.; Kim, Y.-H.; Kim, J.E. Weight loss from diagnosis of Crohn’s disease to one year post-diagnosis results in earlier surgery. Sci. Rep. 2023, 13, 21101. [Google Scholar] [CrossRef]
- Moran, G.W.; Thapaliya, G. The Gut-Brain Axis and Its Role in Controlling Eating Behavior in Intestinal Inflammation. Nutrients 2021, 13, 981. [Google Scholar] [CrossRef]
- Hanauer, S.B.; Stathopoulos, G. Risk-benefit assessment of drugs used in the treatment of inflammatory bowel disease. Drug Saf. 1991, 6, 192–219. [Google Scholar] [CrossRef] [PubMed]
- Vaisman, N.; Dotan, I.; Halack, A.; Niv, E. Malabsorption is a major contributor to underweight in Crohn’s disease patients in remission. Nutrition 2006, 22, 855–859. [Google Scholar] [CrossRef] [PubMed]
- Santarpia, L.; Alfonsi, L.; Castiglione, F.; Pagano, M.C.; Cioffi, I.; Rispo, A.; Sodo, M.; Contaldo, F.; Pasanisi, F. Nutritional Rehabilitation in Patients with Malnutrition Due to Crohn’s Disease. Nutrients 2019, 11, 2947. [Google Scholar] [CrossRef]
- Prieto, J.M.I.; Andrade, A.R.; Magro, D.O.; Imbrizi, M.; Nishitokukado, I.; Ortiz-Agostinho, C.L.; dos Santos, F.M.; Luzia, L.A.; Rondo, P.H.d.C.; Leite, A.Z.d.A.; et al. Nutritional Global Status and Its Impact in Crohn’s Disease. J. Can. Assoc. Gastroenterol. 2021, 4, 290–295. [Google Scholar] [CrossRef]
- Sanchez-Munoz, F.; Dominguez-Lopez, A.; Yamamoto-Furusho, J.K. Role of cytokines in inflammatory bowel disease. World J. Gastroenterol. 2008, 14, 4280–4288. [Google Scholar] [CrossRef]
- Neurath, M.F. Cytokines in inflammatory bowel disease. Nat. Rev. Immunol. 2014, 14, 329–342. [Google Scholar] [CrossRef]
- Alzoghaibi, M.A. Concepts of oxidative stress and antioxidant defense in Crohn’s disease. World J. Gastroenterol. 2013, 19, 6540–6547. [Google Scholar] [CrossRef]
- Tratenšek, A.; Locatelli, I.; Grabnar, I.; Drobne, D.; Vovk, T. Oxidative stress-related biomarkers as promising indicators of inflammatory bowel disease activity: A systematic review and meta-analysis. Redox Biol. 2024, 77, 103380. [Google Scholar] [CrossRef]
- Alemany-Cosme, E.; Sáez-González, E.; Moret, I.; Mateos, B.; Iborra, M.; Nos, P.; Sandoval, J.; Beltrán, B. Oxidative Stress in the Pathogenesis of Crohn’s Disease and the Interconnection with Immunological Response, Microbiota, External Environmental Factors, and Epigenetics. Antioxidants 2021, 10, 64. [Google Scholar] [CrossRef]
- Turpin, W.; Lee, S.H.; Raygoza Garay, J.A.; Madsen, K.L.; Meddings, J.B.; Bedrani, L.; Power, N.; Espin-Garcia, O.; Xu, W.; Smith, M.I.; et al. Increased Intestinal Permeability Is Associated With Later Development of Crohn’s Disease. Gastroenterology 2020, 159, 2092–2100.e5. [Google Scholar] [CrossRef] [PubMed]
- Gibson, P.R. Increased gut permeability in Crohn’s disease: Is TNF the link? Gut 2004, 53, 1724–1725. [Google Scholar] [CrossRef]
- Zeissig, S.; Bürgel, N.; Günzel, D.; Richter, J.; Mankertz, J.; Wahnschaffe, U.; Kroesen, A.J.; Zeitz, M.; Fromm, M.; Schulzke, J.D. Changes in expression and distribution of claudin 2, 5 and 8 lead to discontinuous tight junctions and barrier dysfunction in active Crohn’s disease. Gut 2007, 56, 61–72. [Google Scholar] [CrossRef] [PubMed]
- Luettig, J.; Rosenthal, R.; Barmeyer, C.; Schulzke, J.D. Claudin-2 as a mediator of leaky gut barrier during intestinal inflammation. Tissue Barriers 2015, 3, e977176. [Google Scholar] [CrossRef] [PubMed]
- Qasem, A.; Naser, S.A. TNFα inhibitors exacerbate Mycobacterium paratuberculosis infection in tissue culture: A rationale for poor response of patients with Crohn’s disease to current approved therapy. BMJ Open Gastroenterol. 2018, 5, e000216. [Google Scholar] [CrossRef]
- Adegbola, S.O.; Sahnan, K.; Warusavitarne, J.; Hart, A.; Tozer, P. Anti-TNF Therapy in Crohn’s Disease. Int. J. Mol. Sci. 2018, 19, 2244. [Google Scholar] [CrossRef]
- Sandborn, W.J.; Rutgeerts, P.; Enns, R.; Hanauer, S.B.; Colombel, J.F.; Panaccione, R.; D’Haens, G.; Li, J.; Rosenfeld, M.R.; Kent, J.D.; et al. Adalimumab induction therapy for Crohn disease previously treated with infliximab: A randomized trial. Ann. Intern. Med. 2007, 146, 829–838. [Google Scholar] [CrossRef]
- Sandborn, W.J.; Abreu, M.T.; D’Haens, G.; Colombel, J.F.; Vermeire, S.; Mitchev, K.; Jamoul, C.; Fedorak, R.N.; Spehlmann, M.E.; Wolf, D.C.; et al. Certolizumab pegol in patients with moderate to severe Crohn’s disease and secondary failure to infliximab. Clin. Gastroenterol. Hepatol. 2010, 8, 688–695.e2. [Google Scholar] [CrossRef] [PubMed]
- Yarur, A.J.; Rubin, D.T. Therapeutic Drug Monitoring of Anti-tumor Necrosis Factor Agents in Patients with Inflammatory Bowel Diseases. Inflamm. Bowel Dis. 2015, 21, 1709–1718. [Google Scholar] [CrossRef]
- Lagod, P.P.; Naser, S.A. The Role of Short-Chain Fatty Acids and Altered Microbiota Composition in Autism Spectrum Disorder: A Comprehensive Literature Review. Int. J. Mol. Sci. 2023, 24, 17432. [Google Scholar] [CrossRef]
- Zhang, Z.; Zhang, H.; Chen, T.; Shi, L.; Wang, D.; Tang, D. Regulatory role of short-chain fatty acids in inflammatory bowel disease. Cell Commun. Signal. 2022, 20, 64. [Google Scholar] [CrossRef] [PubMed]
- Du, Y.; He, C.; An, Y.; Huang, Y.; Zhang, H.; Fu, W.; Wang, M.; Shan, Z.; Xie, J.; Yang, Y.; et al. The Role of Short Chain Fatty Acids in Inflammation and Body Health. Int. J. Mol. Sci. 2024, 25, 7379. [Google Scholar] [CrossRef]
- Shin, Y.; Han, S.; Kwon, J.; Ju, S.; Choi, T.G.; Kang, I.; Kim, S.S. Roles of Short-Chain Fatty Acids in Inflammatory Bowel Disease. Nutrients 2023, 15, 4466. [Google Scholar] [CrossRef]
- Ozturk, O.; Celebi, G.; Duman, U.G.; Kupcuk, E.; Uyanik, M.; Sertoglu, E. Short-chain fatty acid levels in stools of patients with inflammatory bowel disease are lower than those in healthy subjects. Eur. J. Gastroenterol. Hepatol. 2024, 36, 890–896. [Google Scholar] [CrossRef]
- Chulenbayeva, L.; Jarmukhanov, Z.; Kaliyekova, K.; Kozhakhmetov, S.; Kushugulova, A. Quantitative Alterations in Short-Chain Fatty Acids in Inflammatory Bowel Disease: A Systematic Review and Meta-Analysis. Biomolecules 2025, 15, 1017. [Google Scholar] [CrossRef]
- Machiels, K.; Joossens, M.; Sabino, J.; De Preter, V.; Arijs, I.; Eeckhaut, V.; Ballet, V.; Claes, K.; Van Immerseel, F.; Verbeke, K.; et al. A decrease of the butyrate-producing species Roseburia hominis and Faecalibacterium prausnitzii defines dysbiosis in patients with ulcerative colitis. Gut 2014, 63, 1275–1283. [Google Scholar] [CrossRef] [PubMed]
- Lancet. Transformative advances in Crohn’s disease management. Lancet 2025, 406, 307. [Google Scholar] [CrossRef] [PubMed]
- Kahn-Boesel, O.; Cautha, S.; Ufere, N.N.; Ananthakrishnan, A.N.; Kochar, B. A Narrative Review of Financial Burden, Distress, and Toxicity of Inflammatory Bowel Diseases in the United States. Am. J. Gastroenterol. 2023, 118, 1545–1553. [Google Scholar] [CrossRef] [PubMed]
- Park, K.T.; Ehrlich, O.G.; Allen, J.I.; Meadows, P.; Szigethy, E.M.; Henrichsen, K.; Kim, S.C.; Lawton, R.C.; Murphy, S.M.; Regueiro, M.; et al. The Cost of Inflammatory Bowel Disease: An Initiative From the Crohn’s & Colitis Foundation. Inflamm. Bowel Dis. 2020, 26, 1–10. [Google Scholar] [CrossRef]
- Varma, A.; Weinstein, J.; Seabury, J.; Rosero, S.; Wagner, E.; Zizzi, C.; Luebbe, E.; Dilek, N.; McDermott, M.; Heatwole, J.; et al. Patient-Reported Impact of Symptoms in Crohn’s Disease. Am. J. Gastroenterol. 2022, 117, 2033–2045. [Google Scholar] [CrossRef]
- Hunter Gibble, T.; Sweeney, C.; Wolin, D.; McSorley, D.; Wang, J.; Moses, R.; Dubinsky, M. Evaluation of the Symptoms and Clinical Characteristics of Crohn’s Disease and Ulcerative Colitis That Affect Healthcare Providers’ Treatment Choices. Crohns Colitis 360 2024, 6, otae053. [Google Scholar] [CrossRef] [PubMed]
- Elmasry, S.; Ha, C. Evidence-Based Approach to the Management of Mild Crohn’s Disease. Clin. Gastroenterol. Hepatol. 2024, 22, 480–483. [Google Scholar] [CrossRef]
- Kumar, A.; Cole, A.; Segal, J.; Smith, P.; Limdi, J.K. A review of the therapeutic management of Crohn’s disease. Ther. Adv. Gastroenterol. 2022, 15, 17562848221078456. [Google Scholar] [CrossRef]
- Gade, A.K.; Douthit, N.T.; Townsley, E. Medical Management of Crohn’s Disease. Cureus 2020, 12, e8351. [Google Scholar] [CrossRef]
- Zhu, M.T.; Lee, J.W.J. Therapeutic Potential of Short-Chain Fatty Acids in Gastrointestinal Diseases. Nutraceuticals 2025, 5, 19. [Google Scholar] [CrossRef]
- Bjarnason, I.; Sission, G.; Hayee, B. A randomised, double-blind, placebo-controlled trial of a multi-strain probiotic in patients with asymptomatic ulcerative colitis and Crohn’s disease. Inflammopharmacology 2019, 27, 465–473. [Google Scholar] [CrossRef]
- Pietrzak, A.; Banasiuk, M.; Szczepanik, M.; Borys-Iwanicka, A.; Pytrus, T.; Walkowiak, J.; Banaszkiewicz, A. Sodium Butyrate Effectiveness in Children and Adolescents with Newly Diagnosed Inflammatory Bowel Diseases-Randomized Placebo-Controlled Multicenter Trial. Nutrients 2022, 14, 3283. [Google Scholar] [CrossRef]
- Ricke, S.C. Perspectives on the use of organic acids and short chain fatty acids as antimicrobials. Poult. Sci. 2003, 82, 632–639. [Google Scholar] [CrossRef]
- Di Sabatino, A.; Morera, R.; Ciccocioppo, R.; Cazzola, P.; Gotti, S.; Tinozzi, F.P.; Tinozzi, S.; Corazza, G.R. Oral butyrate for mildly to moderately active Crohn’s disease. Aliment. Pharmacol. Ther. 2005, 22, 789–794. [Google Scholar] [CrossRef]
- Canani, R.B.; Costanzo, M.D.; Leone, L.; Pedata, M.; Meli, R.; Calignano, A. Potential beneficial effects of butyrate in intestinal and extraintestinal diseases. World J. Gastroenterol. 2011, 17, 1519–1528. [Google Scholar] [CrossRef]
- Bedard, K.; Krause, K.H. The NOX family of ROS-generating NADPH oxidases: Physiology and pathophysiology. Physiol. Rev. 2007, 87, 245–313. [Google Scholar] [CrossRef]
- Parada Venegas, D.; De la Fuente, M.K.; Landskron, G.; González, M.J.; Quera, R.; Dijkstra, G.; Harmsen, H.J.M.; Faber, K.N.; Hermoso, M.A. Short Chain Fatty Acids (SCFAs)-Mediated Gut Epithelial and Immune Regulation and Its Relevance for Inflammatory Bowel Diseases. Front. Immunol. 2019, 10, 277. [Google Scholar] [CrossRef] [PubMed]
- Vaccaro, J.A.; Qasem, A.; Naser, S.A. Folate and Vitamin B(12) Deficiency Exacerbate Inflammation during Mycobacterium avium paratuberculosis (MAP) Infection. Nutrients 2023, 15, 261. [Google Scholar] [CrossRef] [PubMed]
- Louis, T.J.; Qasem, A.; Naser, S.A. Attenuation of Excess TNF-α Release in Crohn’s Disease by Silencing of iRHOMs 1/2 and the Restoration of TGF-β Mediated Immunosuppression Through Modulation of TACE Trafficking. Front. Immunol. 2022, 13, 887830. [Google Scholar] [CrossRef]
- Tai, S.L.; Mortha, A. Chapter Two—Macrophage control of Crohn’s disease. In International Review of Cell and Molecular Biology; Mariani, S.A., Cassetta, L., Galluzzi, L., Eds.; Academic Press: New York, NY, USA, 2022; Volume 367, pp. 29–64. [Google Scholar]
- Valente, A.J.; Zhou, Q.; Lu, Z.; He, W.; Qiang, M.; Ma, W.; Li, G.; Wang, L.; Banfi, B.; Steger, K.; et al. Regulation of NOX1 expression by GATA, HNF-1α, and Cdx transcription factors. Free. Radic. Biol. Med. 2008, 44, 430–443. [Google Scholar] [CrossRef]
- Vinolo, M.A.; Rodrigues, H.G.; Nachbar, R.T.; Curi, R. Regulation of inflammation by short chain fatty acids. Nutrients 2011, 3, 858–876. [Google Scholar] [CrossRef] [PubMed]
- Xia, Z.; Han, Y.; Wang, K.; Guo, S.; Wu, D.; Huang, X.; Li, Z.; Zhu, L. Oral administration of propionic acid during lactation enhances the colonic barrier function. Lipids Health Dis. 2017, 16, 62. [Google Scholar] [CrossRef] [PubMed]
- Cummings, J.H.; Pomare, E.W.; Branch, W.J.; Naylor, C.P.; Macfarlane, G.T. Short chain fatty acids in human large intestine, portal, hepatic and venous blood. Gut 1987, 28, 1221–1227. [Google Scholar] [CrossRef] [PubMed]
- Andoh, A.; Kuzuoka, H.; Tsujikawa, T.; Nakamura, S.; Hirai, F.; Suzuki, Y.; Matsui, T.; Fujiyama, Y.; Matsumoto, T. Multicenter analysis of fecal microbiota profiles in Japanese patients with Crohn’s disease. J. Gastroenterol. 2012, 47, 1298–1307. [Google Scholar] [CrossRef] [PubMed]
- Ventura, I.; Chomon-García, M.; Tomás-Aguirre, F.; Palau-Ferré, A.; Legidos-García, M.E.; Murillo-Llorente, M.T.; Pérez-Bermejo, M. Therapeutic and Immunologic Effects of Short-Chain Fatty Acids in Inflammatory Bowel Disease: A Systematic Review. Int. J. Mol. Sci. 2024, 25, 10879. [Google Scholar] [CrossRef]
- Takahashi, K.; Nishida, A.; Fujimoto, T.; Fujii, M.; Shioya, M.; Imaeda, H.; Inatomi, O.; Bamba, S.; Sugimoto, M.; Andoh, A. Reduced Abundance of Butyrate-Producing Bacteria Species in the Fecal Microbial Community in Crohn’s Disease. Digestion 2016, 93, 59–65. [Google Scholar] [CrossRef]
- Antoniou, E.; Margonis, G.A.; Angelou, A.; Pikouli, A.; Argiri, P.; Karavokyros, I.; Papalois, A.; Pikoulis, E. The TNBS-induced colitis animal model: An overview. Ann. Med. Surg. 2016, 11, 9–15. [Google Scholar] [CrossRef]
- Silva, I.; Pinto, R.; Mateus, V. Preclinical Study in Vivo for New Pharmacological Approaches in Inflammatory Bowel Disease: A Systematic Review of Chronic Model of TNBS-Induced Colitis. J. Clin. Med. 2019, 8, 1574. [Google Scholar] [CrossRef]
- Lee, D.H.; Kim, M.T.; Han, J.H. GPR41 and GPR43: From development to metabolic regulation. Biomed. Pharmacother. 2024, 175, 116735. [Google Scholar] [CrossRef]
- Ang, Z.; Ding, J.L. GPR41 and GPR43 in Obesity and Inflammation - Protective or Causative? Front. Immunol. 2016, 7, 28. [Google Scholar] [CrossRef]
- Chen, J.S.; Faller, D.V.; Spanjaard, R.A. Short-chain fatty acid inhibitors of histone deacetylases: Promising anticancer therapeutics? Curr. Cancer Drug Targets 2003, 3, 219–236. [Google Scholar] [CrossRef]
- Zou, F.; Qiu, Y.; Huang, Y.; Zou, H.; Cheng, X.; Niu, Q.; Luo, A.; Sun, J. Effects of short-chain fatty acids in inhibiting HDAC and activating p38 MAPK are critical for promoting B10 cell generation and function. Cell Death Dis. 2021, 12, 582. [Google Scholar] [CrossRef] [PubMed]
- Lagod, P.P.; Abdelli, L.S.; Naser, S.A. An In Vivo Model of Propionic Acid-Rich Diet-Induced Gliosis and Neuro-Inflammation in Mice (FVB/N-Tg(GFAPGFP)14Mes/J): A Potential Link to Autism Spectrum Disorder. Int. J. Mol. Sci. 2024, 25, 8093. [Google Scholar] [CrossRef] [PubMed]
- Lagod, P.P.; Abdelli, L.S.; Naser, S.A. A Maternal and Postnatal Ad Libitum Propionic Acid-Rich Diet in Mice Alters Intestinal Glia Proliferation and Inflammatory Response: Contrary to Effect in the Brain. Int. J. Mol. Sci. 2025, 26, 9295. [Google Scholar] [CrossRef] [PubMed]
- Abdelli, L.S.; Samsam, A.; Naser, S.A. Propionic Acid Induces Gliosis and Neuro-inflammation through Modulation of PTEN/AKT Pathway in Autism Spectrum Disorder. Sci. Rep. 2019, 9, 8824. [Google Scholar] [CrossRef]
- Watson, J.A.; Nutten, S.; Groot, A.; Hoffmans, R.; Damen, L.; Olivier, E.; Barnett, J., Jr.; Patin, A. Safety Assessment of Butyric Acid-Rich Triglyceride Oil: A Novel Palatable Formulation of Butyrate for the Pediatric Population. J. Appl. Toxicol. 2025, 45, 587–605. [Google Scholar] [CrossRef]
- Banasiewicz, T.; Domagalska, D.; Borycka-Kiciak, K.; Rydzewska, G. Determination of butyric acid dosage based on clinical and experimental studies—A literature review. Gastroenterol. Rev. Przegląd Gastroenterol. 2020, 15, 119–125. [Google Scholar] [CrossRef]
- Kalkan, A.E.; BinMowyna, M.N.; Raposo, A.; Ahmad, M.F.; Ahmed, F.; Otayf, A.Y.; Carrascosa, C.; Saraiva, A.; Karav, S. Beyond the Gut: Unveiling Butyrate’s Global Health Impact Through Gut Health and Dysbiosis-Related Conditions: A Narrative Review. Nutrients 2025, 17, 1305. [Google Scholar] [CrossRef]
- Lee, S.H.; Bajracharya, R.; Min, J.Y.; Han, J.W.; Park, B.J.; Han, H.K. Strategic Approaches for Colon Targeted Drug Delivery: An Overview of Recent Advancements. Pharmaceutics 2020, 12, 68. [Google Scholar] [CrossRef]
- Philip, A.K.; Philip, B. Colon targeted drug delivery systems: A review on primary and novel approaches. Oman Med. J. 2010, 25, 79–87. [Google Scholar] [CrossRef]
- Brotherton, C.S.; Martin, C.A.; Long, M.D.; Kappelman, M.D.; Sandler, R.S. Avoidance of Fiber Is Associated With Greater Risk of Crohn’s Disease Flare in a 6-Month Period. Clin. Gastroenterol. Hepatol. 2016, 14, 1130–1136. [Google Scholar] [CrossRef]










| 1 mM | 5 mM | 10 mM | 20 mM | 30 mM | 40 mM | 50 mM | 100 mM | ||
|---|---|---|---|---|---|---|---|---|---|
| 13 days | PPA | 80.9% (±3.8 pp) | 93.1% (±1.9 pp) | 99.9% (±0.1 pp) | 99.9% (±0.1 pp) | 100% (±0.0 pp) | 100% (±0.0 pp) | 100% (±0.0 pp) | 100% (±0.0 pp) |
| BA | 93.4% (±2.3 pp) | 98.8% (±0.5 pp) | 99.9% (±0.0 pp) | 100% (±0.0 pp) | 100% (±0.0 pp) | 100% (±0.0 pp) | 100% (±0.0 pp) | 100% (±0.0 pp) |
| mM ⟶ | S. aureus | |||||||||
|---|---|---|---|---|---|---|---|---|---|---|
| 0 | 3.125 | 6.25 | 12.5 | 25 | 50 | 100 | 200 | 400 | ||
| 5 h | PPA | 0.0% | 14.1% | 27.7% | 39.6% | 50% | 57.4% | 66.4% | 75.6% | 80.0% |
| BA | 0.0% | 10.9% | 30.7% | 53.4% | 66.4% | 73.5% | 77.5% | 79.4% | 81. 4% | |
| 10 h | PPA | 0.0% | 4.9% | 9.7% | 27.3% | 47.9% | 60.2% | 68.2% | 77.3% | 84.6% |
| BA | 0.0% | 2.2% | 5.5% | 12.9% | 40.9% | 66.9% | 77.3% | 83.0% | 86.5% | |
| 15 h | PPA | 0.0% | 5.7% | 6.6% | 18.6% | 46.2% | 56.0% | 64.4% | 75.4% | 82.1% |
| BA | 0.0% | 6.2% | 7.4% | 12.9% | 27.9% | 50.7% | 68.2% | 80.8% | 87.0% | |
| mM ⟶ | K. pneumoniae | |||||||||
| 0 | 3.125 | 6.25 | 12.5 | 25 | 50 | 100 | 200 | 400 | ||
| 5 h | PPA | 0.0% | 2.2% | 4.8% | 14.2% | 33.2% | 75.4% | 82.3% | 83.5% | 84.5% |
| BA | 0.0% | 1.2% | 3.4% | 7.5% | 15.4% | 25.3% | 45.2% | 75.0% | 83.8% | |
| 10 h | PPA | 0.0% | 4.9% | 7.5% | 12.2% | 17.9% | 36.0% | 57.6% | 78.7% | 86.6% |
| BA | 0.0% | 3.0% | 5.8% | 10.6% | 14.0% | 19.8% | 38.5% | 56.8% | 85.9% | |
| 15 h | PPA | 0.0% | 4.3% | 6.6% | 11.4% | 19.9% | 31.9% | 44.4% | 69.6% | 90.1% |
| BA | 0.0% | 2.7% | 5.4% | 11.2% | 17.7% | 27.7% | 34.1% | 60.1% | 86.5% | |
| 400 mM | TSB Media | MGIT Media |
|---|---|---|
| Pure media | pH: 7:18 (±0.01) | pH: 6.75 (±0.00) |
| Sodium Propionate Salt | pH: 7:18 (±0.01) | pH: 6.78 (±0.02) |
| Propionic acid (liquid) | pH: 3.94 (±0.01) | pH: 3.81(±0.01) |
| Sodium Butyrate Salt | pH: 7.21(±0.02) | pH: 6.84 (±0.01) |
| Butyric acid (liquid) | pH: 4.04 (±0.01) | pH: 3.81(±0.01) |
| mM ⟶ | E. coli | |||||||||
|---|---|---|---|---|---|---|---|---|---|---|
| 0 | 3.125 | 6.25 | 12.5 | 25 | 50 | 100 | 200 | 400 | ||
| 5 h | PPA Salt | 0.0% | 1.4% | 2.5% | 1.8% | 6.2% | 25.3% | 45.5% | 76.0% | 88.4% |
| PPA Liquid | 0.0% | 1.24% | 8.38% | 41.6% | 98.7% | 99.4% | 100% | 100% | 100% | |
| 10 h | PPA Salt | 0.0% | 1.8% | 4.4% | 6.2% | 5.1% | 5.1% | 4.0% | 35.4% | 85.4% |
| PPA Liquid | 0.0% | 7.5% | 9.9% | 22.0% | 98.0% | 100% | 100% | 100% | 100% | |
| 15 h | PPA Salt | 0.0% | 0.28% | 2.3% | 7.2% | 9.9% | 1.1% | 6.2% | 29.7% | 65.6% |
| PPA Liquid | 0.0% | 10.6% | 14.2% | 16.4% | 94.6% | 98.9% | 99.0% | 100% | 100% | |
Disclaimer/Publisher’s Note: The statements, opinions and data contained in all publications are solely those of the individual author(s) and contributor(s) and not of MDPI and/or the editor(s). MDPI and/or the editor(s) disclaim responsibility for any injury to people or property resulting from any ideas, methods, instructions or products referred to in the content. |
© 2025 by the authors. Licensee MDPI, Basel, Switzerland. This article is an open access article distributed under the terms and conditions of the Creative Commons Attribution (CC BY) license (https://creativecommons.org/licenses/by/4.0/).
Share and Cite
Lagod, P.P.; Qasem, A.; Naser, S.A. Short Chain Fatty Acids Lower Inflammation and Restore Intestinal Integrity and Function Markers in Mycobacterium paratuberculosis—Infection In Vitro Model. Nutrients 2025, 17, 3663. https://doi.org/10.3390/nu17233663
Lagod PP, Qasem A, Naser SA. Short Chain Fatty Acids Lower Inflammation and Restore Intestinal Integrity and Function Markers in Mycobacterium paratuberculosis—Infection In Vitro Model. Nutrients. 2025; 17(23):3663. https://doi.org/10.3390/nu17233663
Chicago/Turabian StyleLagod, Piotr P., Ahmad Qasem, and Saleh A. Naser. 2025. "Short Chain Fatty Acids Lower Inflammation and Restore Intestinal Integrity and Function Markers in Mycobacterium paratuberculosis—Infection In Vitro Model" Nutrients 17, no. 23: 3663. https://doi.org/10.3390/nu17233663
APA StyleLagod, P. P., Qasem, A., & Naser, S. A. (2025). Short Chain Fatty Acids Lower Inflammation and Restore Intestinal Integrity and Function Markers in Mycobacterium paratuberculosis—Infection In Vitro Model. Nutrients, 17(23), 3663. https://doi.org/10.3390/nu17233663

