Spectral Prototype Attention Domain Adaptation for Hyperspectral Image Classification
Highlights
- SPADA integrates attention-guided spectral–spatial encoding with prototype-based alignment, achieving state-of-the-art accuracy and Kappa gains across Pavia, Houston, and Shanghai–Hangzhou benchmarks.
- Active adaptation and confident refinement stabilize prototype updates, yielding consistent and low-variance improvements in domain adaptation.
- Coupling attention and prototype alignment enhances cross-scene generalization with minimal target labels.
- The approach offers a reliable path toward scalable, label-efficient hyperspectral image adaptation across varying sensors and conditions.
Abstract
1. Introduction
- An attention-guided spectral–spatial backbone that calibrates spectral and spatial responses before adaptation, stabilizing feature geometry across scenes.
- Spectral prototype banks for both source and target domains that produce distance-based posteriors and enable class-conditional alignment by linking attention responses with prototype reliability.
- A domain adaptation training pipeline that unifies source supervision, distribution matching, prototype coupling, and confidence-aware updates on a small labeled target subset, effectively reducing noise from incorrect pseudo labels and improving minority-class adaptation.
2. Related Work
2.1. Domain Adaptation
2.2. Domain Adaptation for Hyperspectral Image Classification
3. Methods
3.1. Framework Overview
3.2. Spectral–Spatial Attention Backbone (SSAB)
3.3. Prototype-Coupled Domain Alignment (PCDA)
3.4. Training Pipeline
| Algorithm 1 Training Pipeline with Unsupervised Adaptation, Active Adaptation, and Confident Refinement |
| Require: Source set , target set ; encoder , classifier Require: Phase breakpoints ; sampling epoch set Ensure: Trained parameters
|
4. Results
4.1. Experiment Settings
- A. Dataset Description
- B. Experiment Settings
4.2. Comparison with SOTA
5. Discussion
5.1. Ablation Study
5.2. Sensitivity Analysis
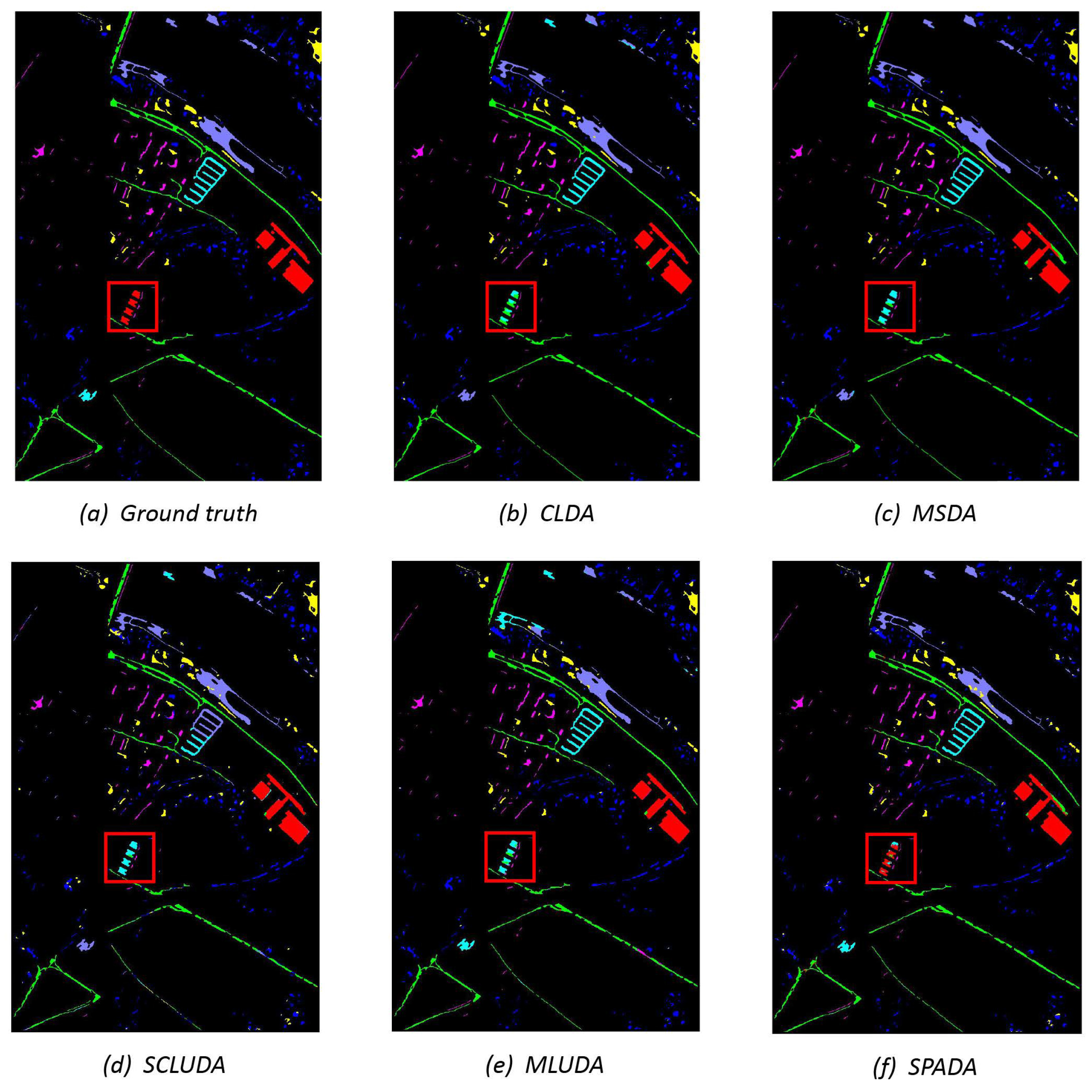
5.3. Visualization of Model Attention
6. Conclusions and Future Work
Author Contributions
Funding
Institutional Review Board Statement
Informed Consent Statement
Data Availability Statement
Conflicts of Interest
Abbreviations
| HSI | Hyperspectral Image |
| SPADA | Spectral Prototype Attention Domain Adaptation |
| MMD | Maximum Mean Discrepancy |
| CORAL | CORrelation ALignment |
| DA | Domain Adaptation |
| DAN | Deep Adaptation Network |
| DoT | Domain Transformer |
| DANN | Domain-Adversarial Training of Neural Network |
| CDAN | Conditional Domain Adversarial Network |
| SDAT | Smooth Domain Adversarial Training |
| MCD | Maximum Classifier Discrepancy |
| MDD | Margin Disparity Discrepancy |
| CDTrans | Cross-Domain Transformer |
| SSRT | Safe Self-Refinement for Transformer-Based Domain Adaptation |
| PMTrans | Patch-Mix Transformer |
| UDA | Unsupervised Domain Adaptation |
| TVT | Transferable Vision Transformer |
| ViT | Vision Transformer |
| MLSL | Multiview Latent Space Learning |
| MLRGL | Tensorial Multiview Low-Rank High-Order Graph Learning |
| CAMSA | Consensus Augmented Masking for Subspace Alignment |
| CNNs | Convolutional Neural Networks |
| MLUDA | Multilevel Unsupervised Domain Adaptation |
| MSDA | Masked Self-Distillation Domain Adaptation |
| CLDA | Confident Learning-Based Domain Adaptation |
| PIIDAN | Prototype-Based Inter–Intra Domain Alignment Network |
| CACL | Consistency-Aware Customized Learning |
| SoftInstance | Soft Instance-Level Domain Adaptation |
| FCPN | Feature Consistency-Based Prototype Network |
| SCLUDA | Supervised Contrastive Learning-Based Unsupervised Domain Adaptation |
| UBDA | Unmixing-Based Domain Alignment |
| CCGDA | Class-Aligned and Class-Balancing Generative Domain Adaptation |
| CIDA | Causal Invariance Domain Adaptation |
| HyperTTA | Test-Time Adaptable Transformer for Hyperspectral Degradation |
| SSAB | Spectral–Spatial Attention Backbone |
| PCDA | Prototype-Coupled Domain Alignment |
| UP | University of Pavia |
| PC | Pavia Center |
| ROSIS | Reflective Optics System Imaging Spectrometer |
| SGD | Stochastic Gradient Descent |
| OA | Overall Accuracy |
| AA | Average Accuracy |
| MDPI | Multidisciplinary Digital Publishing Institute |
| DOAJ | Directory of Open Access Journals |
| TLA | Three-Letter Acronym |
| LD | Linear Dichroism |
References
- Zhang, W.T.; Bai, Y.; Zheng, S.D.; Cui, J.; Huang, Z.Z. Tensor Transformer for hyperspectral image classification. Pattern Recognit. 2025, 163, 111470. [Google Scholar] [CrossRef]
- Wu, X.; Arshad, T.; Peng, B. Spectral spatial window attention transformer for hyperspectral image classification. IEEE Trans. Geosci. Remote Sens. 2025, 63, 1–13. [Google Scholar]
- Long, M.; Cao, Y.; Wang, J.; Jordan, M. Learning Transferable Features with Deep Adaptation Networks. In Proceedings of the International Conference on Machine Learning PMLR, Lille, France, 7–9 July 2015; pp. 97–105. [Google Scholar]
- Sun, B.; Saenko, K. Deep CORAL: Correlation Alignment for Deep Domain Adaptation. In Computer Vision–ECCV 2016 Workshops; Springer International Publishing: Berlin/Heidelberg, Germany, 2016; pp. 443–450. [Google Scholar] [CrossRef]
- Ganin, Y.; Ustinova, E.; Ajakan, H.; Germain, P.; Larochelle, H.; Laviolette, F.; Marchand, M.; Lempitsky, V. Domain-Adversarial Training of Neural Networks. In Domain Adaptation in Computer Vision Applications; Springer International Publishing: Berlin/Heidelberg, Germany, 2017; Volume 17, pp. 189–209. [Google Scholar] [CrossRef]
- Long, M.; Zhu, H.; Wang, J.; Jordan, M.I. Conditional adversarial network for unsupervised domain adaptation. In Proceedings of the Advances in Neural Information Processing Systems, Montréal, QC, Canada, 3–8 December 2018; pp. 1647–1657. [Google Scholar]
- Saito, K.; Watanabe, K.; Ushiku, Y.; Harada, T. Maximum Classifier Discrepancy for Unsupervised Domain Adaptation. In Proceedings of the 2018 IEEE/CVF Conference on Computer Vision and Pattern Recognition, Salt Lake City, UT, USA, 18–22 June 2018; IEEE: Piscataway, NJ, USA, 2018; pp. 3723–3732. [Google Scholar] [CrossRef]
- Zhang, W.; Tang, Y.; Chen, Y.; Zou, J.; Wang, J. Bridging theory and algorithm for domain adaptation. In Proceedings of the International Conference on Machine Learning, Long Beach, CA, USA, 9–15 June 2019; pp. 7364–7373. [Google Scholar]
- Wu, Y.; Zhou, T.; Hu, X.; Shi, L.; Yang, W. RepSSRN: The Structural Reparameterization Applied to SSRN for Hyperspectral Image Classification. IEEE Geosci. Remote Sens. Lett. 2022, 19, 1–5. [Google Scholar] [CrossRef]
- Hong, D.; Han, Z.; Yao, J.; Gao, L.; Zhang, B.; Plaza, A.; Chanussot, J. SpectralFormer: Rethinking Hyperspectral Image Classification with Transformers. IEEE Trans. Geosci. Remote Sens. 2022, 60, 1–15. [Google Scholar] [CrossRef]
- Ben-David, S.; Blitzer, J.; Crammer, K.; Kulesza, A.; Pereira, F.; Vaughan, J.W. A theory of learning from different domains. Mach. Learn. 2009, 79, 151–175. [Google Scholar] [CrossRef]
- Ren, C.X.; Zhai, Y.; Luo, Y.W.; Yan, H. Towards Unsupervised Domain Adaptation via Domain-Transformer. Int. J. Comput. Vis. 2024, 132, 6163–6183. [Google Scholar] [CrossRef]
- Zhu, C.; Zhu, H.; Zhang, L.; Wang, F.; Zhu, Z. Statistically-aligned feature augmentation for robust unsupervised domain adaptation in industrial fault diagnosis. J. Intell. Manuf. 2025, 1–17. [Google Scholar] [CrossRef]
- Rangwani, H.; Aithal, S.K.; Mishra, M.; Jain, A.; Babu, R.V. A closer look at smoothness in domain adversarial training. In Proceedings of the International Conference on Machine Learning, Baltimore, MD, USA, 17–23 July 2022; pp. 18378–18399. [Google Scholar]
- Xu, T.; Chen, W.; Wang, P.; Wang, F.; Li, H.; Jin, R. CDTrans: Cross-domain transformer for unsupervised domain adaptation. In Proceedings of the International Conference on Learning Representations, Online, 25–29 April 2022. [Google Scholar]
- Sun, T.; Lu, C.; Zhang, T.; Ling, H. Safe Self-Refinement for Transformer-based Domain Adaptation. In Proceedings of the 2022 IEEE/CVF Conference on Computer Vision and Pattern Recognition (CVPR), New Orleans, LA, USA, 18–24 June 2022; IEEE: Piscataway, NJ, USA, 2022; pp. 7181–7190. [Google Scholar] [CrossRef]
- Zhu, J.; Bai, H.; Wang, L. Patch-Mix Transformer for Unsupervised Domain Adaptation: A Game Perspective. In Proceedings of the 2023 IEEE/CVF Conference on Computer Vision and Pattern Recognition (CVPR), Vancouver, BC, Canada, 18–22 June 2023; IEEE: Piscataway, NJ, USA, 2023; pp. 3561–3571. [Google Scholar] [CrossRef]
- Yang, J.; Liu, J.; Xu, N.; Huang, J. TVT: Transferable Vision Transformer for Unsupervised Domain Adaptation. In Proceedings of the 2023 IEEE/CVF Winter Conference on Applications of Computer Vision (WACV), Waikoloa, HI, USA, 2–7 January 2023; IEEE: Piscataway, NJ, USA, 2023; pp. 520–530. [Google Scholar] [CrossRef]
- Zhu, C.; Wang, Q.; Xie, Y.; Xu, S. Multiview latent space learning with progressively fine-tuned deep features for unsupervised domain adaptation. Inf. Sci. 2024, 662, 120223. [Google Scholar] [CrossRef]
- Zhu, C.; Zhang, L.; Luo, W.; Jiang, G.; Wang, Q. Tensorial multiview low-rank high-order graph learning for context-enhanced domain adaptation. Neural Netw. 2025, 181, 106859. [Google Scholar] [CrossRef]
- Zhu, C.; Luo, W.; Xie, Y.; Fu, L. Multiview unsupervised domain adaptation through consensus augmented masking for subspace alignment. Appl. Intell. 2025, 55, 946. [Google Scholar] [CrossRef]
- Cai, M.; Xi, B.; Li, J.; Feng, S.; Li, Y.; Li, Z.; Chanussot, J. Mind the Gap: Multilevel Unsupervised Domain Adaptation for Cross-Scene Hyperspectral Image Classification. IEEE Trans. Geosci. Remote Sens. 2024, 62, 1–14. [Google Scholar] [CrossRef]
- Fang, Z.; He, W.; Li, Z.; Du, Q.; Chen, Q. Masked Self-Distillation Domain Adaptation for Hyperspectral Image Classification. IEEE Trans. Geosci. Remote Sens. 2024, 62, 1–20. [Google Scholar] [CrossRef]
- Fang, Z.; Yang, Y.; Li, Z.; Li, W.; Chen, Y.; Ma, L.; Du, Q. Confident Learning-Based Domain Adaptation for Hyperspectral Image Classification. IEEE Trans. Geosci. Remote Sens. 2022, 60, 1–16. [Google Scholar] [CrossRef]
- Xie, Z.; Duan, P.; Liu, W.; Kang, X.; Li, S. Prototype-based Inter-Intra Domain Alignment Network for Unsupervised Cross-Scene Hyperspectral Image Classification. In Proceedings of the IGARSS 2024—2024 IEEE International Geoscience and Remote Sensing Symposium, Athens, Greece, 7–12 July 2024; IEEE: Piscataway, NJ, USA, 2024; pp. 7795–7798. [Google Scholar] [CrossRef]
- Ding, K.; Lu, T.; Fang, Y.; Li, S. Consistency-Aware Customized Learning for Cross-Scene Hyperspectral Image Classification. In Proceedings of the IGARSS 2024—2024 IEEE International Geoscience and Remote Sensing Symposium, Athens, Greece, 7–12 July 2024; IEEE: Piscataway, NJ, USA, 2024; pp. 9080–9083. [Google Scholar] [CrossRef]
- Cheng, Y.; Chen, Y.; Kong, Y.; Wang, X. Soft Instance-Level Domain Adaptation with Virtual Classifier for Unsupervised Hyperspectral Image Classification. IEEE Trans. Geosci. Remote Sens. 2023, 61, 1–13. [Google Scholar] [CrossRef]
- Luo, H.; Zhong, S.; Gong, C. Prototype-Guided Class-Balanced Active Domain Adaptation for Hyperspectral Image Classification. IEEE Trans. Geosci. Remote Sens. 2025, 63, 1–16. [Google Scholar] [CrossRef]
- Xie, Z.; Duan, P.; Liu, W.; Kang, X.; Wei, X.; Li, S. Feature Consistency-Based Prototype Network for Open-Set Hyperspectral Image Classification. IEEE Trans. Neural Netw. Learn. Syst. 2024, 35, 9286–9296. [Google Scholar] [CrossRef] [PubMed]
- Li, Z.; Xu, Q.; Ma, L.; Fang, Z.; Wang, Y.; He, W.; Du, Q. Supervised Contrastive Learning-Based Unsupervised Domain Adaptation for Hyperspectral Image Classification. IEEE Trans. Geosci. Remote Sens. 2023, 61, 1–17. [Google Scholar] [CrossRef]
- Baghbaderani, R.K.; Qu, Y.; Qi, H. Unsupervised Hyperspectral Image Domain Adaptation through Unmixing-Based Domain Alignment. In Proceedings of the IGARSS 2023—2023 IEEE International Geoscience and Remote Sensing Symposium, Pasadena, CA, USA, 16–21 July 2023; IEEE: Piscataway, NJ, USA, 2023; pp. 5906–5909. [Google Scholar] [CrossRef]
- Feng, J.; Zhou, Z.; Shang, R.; Wu, J.; Zhang, T.; Zhang, X.; Jiao, L. Class-Aligned and Class-Balancing Generative Domain Adaptation for Hyperspectral Image Classification. IEEE Trans. Geosci. Remote Sens. 2024, 62, 1–17. [Google Scholar] [CrossRef]
- Wang, B.; Xu, Y.; Wu, Z.; Wei, Z.; Chanussot, J. Unsupervised Domain Adaptation for Hyperspectral Image Classification via Causal Invariance. In Proceedings of the IGARSS 2024–2024 IEEE International Geoscience and Remote Sensing Symposium, Athens, Greece, 7–12 July 2024; IEEE: Piscataway, NJ, USA, 2024; pp. 1522–1525. [Google Scholar] [CrossRef]
- Yue, X.; Liu, A.; Chen, N.; Huang, C.; Liu, H.; Huang, Z.; Fang, L. HyperTTA: Test-Time Adaptation for Hyperspectral Image Classification under Distribution Shifts. arXiv 2025, arXiv:2509.08436. [Google Scholar]
- UPV/EHU Computer Vision Group. Hyperspectral Remote Sensing Scenes. Available online: https://www.ehu.eus/ccwintco/index.php/Hyperspectral_Remote_Sensing_Scenes (accessed on 24 October 2025).
- University of Houston, Hyperspectral Image Analysis Lab. 2013 IEEE GRSS Data Fusion Contest. Hyperspectral (144 Bands, 2.5 m) and LiDAR over the University of Houston. 2013. Available online: https://machinelearning.ee.uh.edu/2013-ieee-grss-data-fusion-contest/ (accessed on 24 October 2025).
- University of Houston, Hyperspectral Image Analysis Lab. 2018 IEEE GRSS Data Fusion Challenge: Fusion of Multispectral LiDAR and Hyperspectral Data. Hyperspectral (48 Bands, 1 m), Multispectral LiDAR, and RGB. 2018. Available online: https://machinelearning.ee.uh.edu/2018-ieee-grss-data-fusion-challenge-fusion-of-multispectral-lidar-and-hyperspectral-data/ (accessed on 24 October 2025).
- Li, Z.; Tang, X.; Li, W.; Wang, C.; Liu, C.; He, J. A two-stage deep domain adaptation method for hyperspectral image classification. Remote Sens. 2020, 12, 1054. [Google Scholar] [CrossRef]










| No. | Class Name | Pavia University (Source) | Pavia Center (Target) |
|---|---|---|---|
| 1 | Trees | 3064 | 7598 |
| 2 | Asphalt | 6631 | 9248 |
| 3 | Bricks | 3682 | 2685 |
| 4 | Bitumen | 1330 | 7287 |
| 5 | Shadows | 947 | 2863 |
| 6 | Meadows | 18,649 | 3090 |
| 7 | Bare Soil | 5029 | 6584 |
| Total | 39,332 | 39,355 |
| No. | Class Name | Houston 2013 (Source) | Houston 2018 (Target) |
|---|---|---|---|
| 1 | Grass healthy | 345 | 1353 |
| 2 | Grass stressed | 365 | 4888 |
| 3 | Trees | 365 | 2766 |
| 4 | Water | 285 | 22 |
| 5 | Residential buildings | 319 | 5347 |
| 6 | Non-residential buildings | 408 | 32,459 |
| 7 | Road | 443 | 6365 |
| Total | 2530 | 53,200 |
| No. | Class Name | Shanghai (Source) | Hangzhou (Target) |
|---|---|---|---|
| 1 | Water | 123,123 | 18,043 |
| 2 | Land/Building | 161,689 | 77,450 |
| 3 | Plant | 83,188 | 40,207 |
| Total | 368,000 | 135,700 |
| Class No. | Methods | ||||
|---|---|---|---|---|---|
| CLDA [24] | MSDA [23] | SCLUDA [30] | MLUDA [22] | SPADA | |
| 1 | 97.20 | 93.44 | 95.63 | 92.00 | 97.02 |
| 2 | 99.90 | 98.49 | 97.28 | 93.15 | 99.26 |
| 3 | 80.63 | 79.92 | 93.39 | 98.31 | 96.55 |
| 4 | 83.73 | 83.87 | 84.66 | 85.32 | 97.28 |
| 5 | 99.98 | 99.84 | 99.01 | 99.97 | 99.99 |
| 6 | 91.14 | 86.47 | 95.10 | 97.74 | 96.75 |
| 7 | 91.26 | 96.95 | 85.93 | 77.22 | 98.53 |
| OA | 92.64 ± 1.12 | 92.44 ± 0.98 | 92.42 ± 0.82 | 89.96 ± 0.93 | 97.89 ± 0.68 |
| AA | 91.45 ± 1.38 | 91.28 ± 1.85 | 93.00 ± 1.11 | 91.96 ± 0.68 | 97.73 ± 0.84 |
| Kappa | 91.13 ± 1.35 | 90.90 ± 1.19 | 90.92 ± 0.97 | 88.11 ± 1.10 | 97.46 ± 0.82 |
| Class No. | Methods | ||||
|---|---|---|---|---|---|
| CLDA [24] | MSDA [23] | SCLUDA [30] | MLUDA [22] | SPADA | |
| 1 | 61.86 | 59.65 | 88.10 | 65.01 | 59.81 |
| 2 | 89.37 | 88.97 | 67.84 | 77.32 | 90.97 |
| 3 | 68.78 | 67.61 | 63.83 | 58.60 | 79.13 |
| 4 | 93.18 | 80.91 | 90.00 | 94.09 | 83.18 |
| 5 | 94.02 | 92.53 | 85.38 | 86.58 | 84.16 |
| 6 | 57.93 | 81.69 | 80.37 | 78.08 | 87.24 |
| 7 | 78.67 | 72.27 | 55.20 | 46.19 | 81.20 |
| OA | 66.16 ± 1.85 | 81.03 ± 1.59 | 76.05 ± 2.25 | 73.69 ± 3.32 | 84.24 ± 1.51 |
| AA | 77.35 ± 1.61 | 77.66 ± 2.01 | 75.81 ± 3.45 | 72.27 ± 4.30 | 80.12 ± 3.38 |
| Kappa | 53.44 ± 1.99 | 70.25 ± 2.00 | 62.18 ± 2.51 | 58.35 ± 5.36 | 74.32 ± 2.53 |
| Class No. | Methods | ||||
|---|---|---|---|---|---|
| CLDA [24] | MSDA [23] | SCLUDA [30] | MLUDA [22] | SPADA | |
| 1 | 98.59 | 96.57 | 99.63 | 99.99 | 97.02 |
| 2 | 88.67 | 95.04 | 86.93 | 84.89 | 98.56 |
| 3 | 88.66 | 86.69 | 86.84 | 88.53 | 87.16 |
| OA | 89.92 ± 2.57 | 92.77 ± 1.66 | 88.59 ± 5.83 | 87.96 ± 2.88 | 94.93 ± 1.88 |
| AA | 91.81 ± 1.57 | 92.76 ± 1.46 | 91.13 ± 4.54 | 91.14 ± 2.43 | 94.14 ± 2.09 |
| Kappa | 82.70 ± 4.14 | 87.26 ± 2.93 | 80.85 ± 9.36 | 79.83 ± 4.67 | 90.91 ± 3.44 |
| Loss | Active Adaptation | Confident Refinement | OA | AA | Kappa |
|---|---|---|---|---|---|
| × | × | 96.82 ± 0.72 | 97.22 ± 0.75 | 96.17 ± 0.87 | |
| × | × | 97.47 ± 1.06 | 97.57 ± 0.94 | 96.96 ± 1.28 | |
| + | × | × | 90.12 ± 2.29 | 89.83 ± 1.32 | 88.17 ± 2.68 |
| + | ✓ | × | 97.28 ± 0.86 | 97.12 ± 0.86 | 96.71 ± 1.03 |
| + | × | ✓ | 97.79 ± 0.85 | 97.81 ± 0.57 | 97.33 ± 1.02 |
| + | ✓ | ✓ | 97.89 ± 0.68 | 97.73 ± 0.84 | 97.46 ± 0.82 |
Disclaimer/Publisher’s Note: The statements, opinions and data contained in all publications are solely those of the individual author(s) and contributor(s) and not of MDPI and/or the editor(s). MDPI and/or the editor(s) disclaim responsibility for any injury to people or property resulting from any ideas, methods, instructions or products referred to in the content. |
© 2025 by the authors. Licensee MDPI, Basel, Switzerland. This article is an open access article distributed under the terms and conditions of the Creative Commons Attribution (CC BY) license (https://creativecommons.org/licenses/by/4.0/).
Share and Cite
Zhang, W.; Hu, R.; Wang, J.; Zhang, L.; Zhu, C. Spectral Prototype Attention Domain Adaptation for Hyperspectral Image Classification. Remote Sens. 2025, 17, 3901. https://doi.org/10.3390/rs17233901
Zhang W, Hu R, Wang J, Zhang L, Zhu C. Spectral Prototype Attention Domain Adaptation for Hyperspectral Image Classification. Remote Sensing. 2025; 17(23):3901. https://doi.org/10.3390/rs17233901
Chicago/Turabian StyleZhang, Weina, Runshan Hu, Jierui Wang, Lanlan Zhang, and Chenyang Zhu. 2025. "Spectral Prototype Attention Domain Adaptation for Hyperspectral Image Classification" Remote Sensing 17, no. 23: 3901. https://doi.org/10.3390/rs17233901
APA StyleZhang, W., Hu, R., Wang, J., Zhang, L., & Zhu, C. (2025). Spectral Prototype Attention Domain Adaptation for Hyperspectral Image Classification. Remote Sensing, 17(23), 3901. https://doi.org/10.3390/rs17233901

