The Ground to Space CALibration Experiment (G-SCALE): Simultaneous Validation of UAV, Airborne, and Satellite Imagers for Earth Observation Using Specular Targets
Abstract
1. Introduction
Calibration and Validation Using Specular Targets
2. Materials and Methods
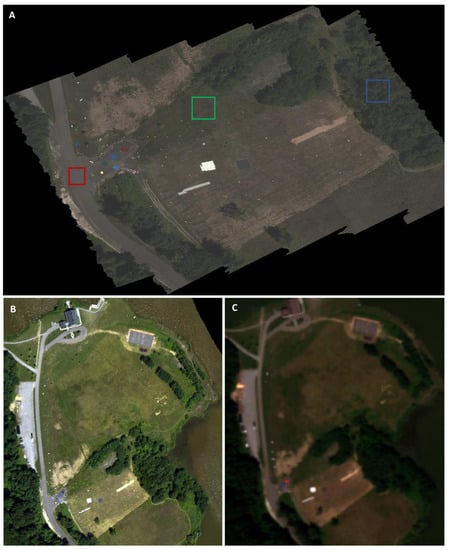
2.1. Study Area
2.2. Ground Targets and Equipment
2.2.1. SPARC Mirrors
- : Specular reflectance of the mirrors
- : Top of Atmosphere downwelling solar irradiance (W/m/nm)
- : Atmospheric transmittance from the sun to the mirror
- : Atmospheric transmittance from the mirror to the sensor
- N: Number of mirrors in a given target
- : Mirror Radius of Curvature (m)
- H: Sensor slant range aperture to mirror (m)
- : Sensor Instantaneous Field of View (sr)
- D: Diffuse fraction correction.
- : Diffuse to global irradiance ratio measured at time of observation;
- : Fraction of reflected sky, with mirror Field of Regard half angle .
- : Solar zenith angle at time of observation (°).
- : Gain factor for instrument DN response to , linear slope from regression of MELM targets;
- : Instrument response at a given image pixel;
- : Measured ground-reflectance spectrum for a dark, in-scene target.
2.2.2. Permaflect® Reflectance Standards
2.2.3. Diffuse Reflectance Panels and Targets
2.2.4. Surface Measurements
2.3. Remote Sensing Test Platforms
2.3.1. Unmanned Aerial Vehicles
2.3.2. Airborne Hyperspectral Imagers
Calibration of CASI and SASI
2.3.3. Satellites
Calibration of GeoEye-1 and WorldView-2
3. Results
3.1. Surface Downwelling Irradiance
3.2. Surface Reflectance Ground Truth
3.3. Unmanned Aerial Vehicle Imagery
3.4. Airborne Imagery
3.5. Satellite Imagery
3.6. Cross-Platform Surface Reflectance Retrieval
4. Conclusions
Supplementary Materials
Author Contributions
Funding
Data Availability Statement
Acknowledgments
Conflicts of Interest
References
- Kansakar, P.; Hossain, F. A review of applications of satellite earth observation data for global societal benefit and stewardship of planet earth. Space Policy 2016, 36, 46–54. [Google Scholar] [CrossRef]
- Rice, K. Convolutional Neural Networks for Detection and Classification of Maritime Vessels in Eletro-Optical Satellite Imagery. Ph.D. Thesis, Naval Postgraduate School, Monterey, CA, USA, 2018. [Google Scholar]
- Agapiou, A. Evaluation of Landsat 8 OLI/TIRS Level-2 and Sentinel 2 Level-1C Fusion Techniques Intended for Image Segmentation of Archaeological Landscapes and Proxies. Remote Sens. 2020, 12, 579. [Google Scholar] [CrossRef]
- Niroumand-Jadidi, M.; Bovolo, F.; Bruzzone, L.; Gege, P. Physics-based Bathymetry and Water Quality Retrieval Using PlanetScope Imagery: Impacts of 2020 COVID-19 Lockdown and 2019 Extreme Flood in the Venice Lagoon. Remote Sens. 2020, 12, 2381. [Google Scholar] [CrossRef]
- Ustin, S.L.; Middleton, E.M. Current and near-term advances in Earth observation for ecological applications. Ecol. Process. 2021, 10, 1. [Google Scholar] [CrossRef] [PubMed]
- Yao, H.; Qin, R.; Chen, X. Unmanned Aerial Vehicle for Remote Sensing Applications—A Review. Remote Sens. 2019, 11, 22. [Google Scholar] [CrossRef]
- Zhang, H.; Wang, L.; Tian, T.; Yin, J. A Review of Unmanned Aerial Vehicle Low-Altitude Remote Sensing (UAV-LARS) Use in Agricultural Monitoring in China. Remote Sens. 2021, 13, 17. [Google Scholar] [CrossRef]
- Akumu, C.E.; Amadi, E.O.; Dennis, S. Application of Drone and WorldView-4 Satellite Data in Mapping and Monitoring Grazing Land Cover and Pasture Quality: Pre- and Post-Flooding. Land 2021, 10, 321. [Google Scholar] [CrossRef]
- Backes, D.J.; Teferle, F.N. Multiscale Integration of High-Resolution Spaceborne and Drone-Based Imagery for a High-Accuracy Digital Elevation Model Over Tristan da Cunha. Front. Earth Sci. 2020, 8, 319. [Google Scholar] [CrossRef]
- Bracaglia, M.; Santoleri, R.; Volpe, G.; Colella, S.; Benincasa, M.; Brando, V.E. A Virtual Geostationary Ocean Color Sensor to Analyze the Coastal Optical Variability. Remote Sens. 2020, 12, 1539. [Google Scholar] [CrossRef]
- Claverie, M.; Ju, J.; Masek, J.G.; Dungan, J.L.; Vermote, E.F.; Roger, J.C.; Skakun, S.V.; Justice, C. The Harmonized Landsat and Sentinel-2 surface reflectance data set. Remote Sens. Environ. 2018, 219, 145–161. [Google Scholar] [CrossRef]
- Hegarty-Craver, M.; Polly, J.; O’Neil, M.; Ujeneza, N.; Rineer, J.; Beach, R.H.; Lapidus, D.; Temple, D.S. Remote Crop Mapping at Scale: Using Satellite Imagery and UAV-Acquired Data as Ground Truth. Remote Sens. 2020, 12, 1984. [Google Scholar] [CrossRef]
- Kopp, S.; Becker, P.; Doshi, A.; Wright, D.J.; Zhang, K.; Xu, H. Achieving the Full Vision of Earth Observation Data Cubes. Data 2019, 4, 94. [Google Scholar] [CrossRef]
- Maritorena, S.; d’ Andon, O.H.F.; Mangin, A.; Siegel, D.A. Merged satellite ocean color data products using a bio-optical model: Characteristics, benefits and issues. Remote Sens. Environ. 2010, 114, 1791–1804. [Google Scholar] [CrossRef]
- Mazzia, V.; Comba, L.; Khaliq, A.; Chiaberge, M.; Gay, P. UAV and Machine Learning Based Refinement of a Satellite-Driven Vegetation Index for Precision Agriculture. Sensors 2020, 20, 2530. [Google Scholar] [CrossRef]
- Nikolakopoulos, K.; Kyriou, A.; Koukouvelas, I.; Zygouri, V.; Apostolopoulos, D. Combination of Aerial, Satellite, and UAV Photogrammetry for Mapping the Diachronic Coastline Evolution: The Case of Lefkada Island. ISPRS Int. J. Geo-Inf. 2019, 8, 489. [Google Scholar] [CrossRef]
- Niro, F.; Goryl, P.; Dransfeld, S.; Boccia, V.; Gascon, F.; Adams, J.; Themann, B.; Scifoni, S.; Doxani, G. European Space Agency (ESA) Calibration/Validation Strategy for Optical Land-Imaging Satellites and Pathway towards Interoperability. Remote Sens. 2021, 13, 3003. [Google Scholar] [CrossRef]
- Sogacheva, L.; Popp, T.; Sayer, A.M.; Dubovik, O.; Garay, M.J.; Heckel, A.; Hsu, N.C.; Jethva, H.; Kahn, R.A.; Kolmonen, P.; et al. Merging Regional and Global AOD Records from 15 Available Satellite Products; Technical Report; European Geosciences Union: Munich, Germany, 2019; Available online: https://acp.copernicus.org/articles/20/2031/2020/ (accessed on 11 November 2022). [CrossRef]
- Szantoi, Z.; Geller, G.N.; Tsendbazar, N.E.; See, L.; Griffiths, P.; Fritz, S.; Gong, P.; Herold, M.; Mora, B.; Obregon, A. Addressing the need for improved land cover map products for policy support. Environ. Sci. Policy 2020, 112, 28–35. [Google Scholar] [CrossRef]
- Kang, J.; Jin, R.; Li, X. An Advanced Framework for Merging Remotely Sensed Soil Moisture Products at the Regional Scale Supported by Error Structure Analysis: A Case Study on the Tibetan Plateau. IEEE J. Sel. Top. Appl. Earth Obs. Remote Sens. 2021, 14, 3614–3624. [Google Scholar] [CrossRef]
- Mélin, F.; Sclep, G.; Jackson, T.; Sathyendranath, S. Uncertainty estimates of remote sensing reflectance derived from comparison of ocean color satellite data sets. Remote Sens. Environ. 2016, 177, 107–124. [Google Scholar] [CrossRef]
- Shen, Y.; Xiong, A.; Hong, Y.; Yu, J.; Pan, Y.; Chen, Z.; Saharia, M. Uncertainty analysis of five satellite-based precipitation products and evaluation of three optimally merged multi-algorithm products over the Tibetan Plateau. Int. J. Remote Sens. 2014, 35, 6843–6858. [Google Scholar] [CrossRef]
- Bouvet, M.; Thome, K.; Berthelot, B.; Bialek, A.; Czapla-Myers, J.; Fox, N.P.; Goryl, P.; Henry, P.; Ma, L.; Marcq, S.; et al. RadCalNet: A Radiometric Calibration Network for Earth Observing Imagers Operating in the Visible to Shortwave Infrared Spectral Range. Remote Sens. 2019, 11, 2401. [Google Scholar] [CrossRef]
- Helder, D.; Anderson, C.; Beckett, K.; Houborg, R.; Zuleta, I.; Boccia, V.; Clerc, S.; Kuester, M.; Markham, B.; Pagnutti, M. Observations and Recommendations for Coordinated Calibration Activities of Government and Commercial Optical Satellite Systems. Remote Sens. 2020, 12, 2468. [Google Scholar] [CrossRef]
- Huang, H.; Roy, D. Characterization of Planetscope-0 Planetscope-1 surface reflectance and normalized difference vegetation index continuity. Sci. Remote Sens. 2021, 3, 100014. [Google Scholar] [CrossRef]
- Lewis, A.; Lacey, J.; Mecklenburg, S.; Ross, J.; Siqueira, A.; Killough, B.; Szantoi, Z.; Tadono, T.; Rosenavist, A.; Goryl, P.; et al. CEOS Analysis Ready Data for Land (CARD4L) Overview. In Proceedings of the IGARSS 2018—2018 IEEE International Geoscience and Remote Sensing Symposium, Valencia, Spain, 22–27 July 2018; pp. 7407–7410. [Google Scholar] [CrossRef]
- Manivasagam, V.; Kaplan, G.; Rozenstein, O. Developing Transformation Functions for VENUS and Sentinel-2 Surface Reflectance over Israel. Remote Sens. 2019, 11, 1710. [Google Scholar] [CrossRef]
- Shrestha, M.; Hasan, N.; Leigh, L.; Helder, D. Derivation of Hyperspectral Profile of Extended Pseudo Invariant Calibration Sites (EPICS) for Use in Sensor Calibration. Remote Sens. 2019, 11, 2279. [Google Scholar] [CrossRef]
- Siqueira, A.; Lewis, A.; Thankappan, M.; Szantoi, Z.; Goryl, P.; Labahn, S.; Ross, J.; Hosford, S.; Mecklenburg, S.; Tadono, T.; et al. CEOS Analysis Ready Data For Land—An Overview on the Current and Future Work. In Proceedings of the IGARSS 2019—2019 IEEE International Geoscience and Remote Sensing Symposium, Yokohama, Japan, 28 July–2 August 2019; pp. 5536–5537. [Google Scholar] [CrossRef]
- Le Roux, J.; Christopher, S.; Maskey, M. Exploring the Use of PlanetScope Data for Particulate Matter Air Quality Research. Remote Sens. 2021, 13, 2981. [Google Scholar] [CrossRef]
- Bruegge, C.J.; Crisp, D.; Helmlinger, M.C.; Kataoka, F.; Kuze, A.; Lee, R.A.; McDuffie, J.L.; Rosenberg, R.A.; Schwandner, F.M.; Shiomi, K.; et al. Vicarious Calibration of Orbiting Carbon Observatory-2. IEEE Trans. Geosci. Remote Sens. 2019, 57, 5135–5145. [Google Scholar] [CrossRef]
- Kuze, A.; O’Brien, D.M.; Taylor, T.E.; Day, J.O.; O’Dell, C.W.; Kataoka, F.; Yoshida, M.; Mitomi, Y.; Bruegge, C.J.; Pollock, H.; et al. Vicarious Calibration of the GOSAT Sensors Using the Railroad Valley Desert Playa. IEEE Trans. Geosci. Remote Sens. 2011, 49, 1781–1795. [Google Scholar] [CrossRef]
- Sterckx, S.; Wolters, E. Radiometric Top-of-Atmosphere Reflectance Consistency Assessment for Landsat 8/OLI, Sentinel-2/MSI, PROBA-V, and DEIMOS-1 over Libya-4 and RadCalNet Calibration Sites. Remote Sens. 2019, 11, 2253. [Google Scholar] [CrossRef]
- Jin, C.; Ahn, H.; Seo, D.; Choi, C. Radiometric Calibration and Uncertainty Analysis of KOMPSAT-3A Using the Reflectance-Based Method. Sensors 2020, 20, 2564. [Google Scholar] [CrossRef]
- Ortiz, J.D.; Avouris, D.; Schiller, S.; Luvall, J.C.; Lekki, J.D.; Tokars, R.P.; Anderson, R.C.; Shuchman, R.; Sayers, M.; Becker, R. Intercomparison of Approaches to the Empirical Line Method for Vicarious Hyperspectral Reflectance Calibration. Front. Mar. Sci. 2017, 4, 296. [Google Scholar] [CrossRef]
- Minařík, R.; Langhammer, J.; Hanuš, J. Radiometric and Atmospheric Corrections of Multispectral micro-MCA Camera for UAV Spectroscopy. Remote Sens. 2019, 11, 2428. [Google Scholar] [CrossRef]
- Smith, G.M.; Milton, E.J. The use of the empirical line method to calibrate remotely sensed data to reflectance. Int. J. Remote Sens. 1999, 20, 2653–2662. [Google Scholar] [CrossRef]
- Languille, F.; Déchoz, C.; Gaudel, A.; Greslou, D.; de Lussy, F.; Trémas, T.; Poulain, V. Sentinel-2 geometric image quality commissioning: First results. In Image and Signal Processing for Remote Sensing XXI; Bruzzone, L., Ed.; SPIE Remote Sensing: Toulouse, France, 2015; p. 964306. [Google Scholar] [CrossRef]
- Pandžić, M.; Mihajlovic, D.; Pandžić, J.; Pfeifer, N. Assessment of the geometric quality of sentinel-2 data. Int. Arch. Photogramm. Remote Sens. Spat. Inf. Sci. 2016, XLI-B1, 489–494. [Google Scholar] [CrossRef]
- Wenny, B.; Helder, D.; Hong, J.; Leigh, L.; Thome, K.; Reuter, D. Pre- and Post-Launch Spatial Quality of the Landsat 8 Thermal Infrared Sensor. Remote Sens. 2015, 7, 1962–1980. [Google Scholar] [CrossRef]
- Shrestha, M.; Hasan, M.N.; Leigh, L.; Helder, D. Extended Pseudo Invariant Calibration Sites (EPICS) for the Cross-Calibration of Optical Satellite Sensors. Remote Sens. 2019, 11, 1676. [Google Scholar] [CrossRef]
- Schiller, S.J.; Silny, J. The Specular Array Radiometric Calibration (SPARC) method: A new approach for absolute vicarious calibration in the solar reflective spectrum. In Remote Sensing System Engineering III; Ardanuy, P.E., Puschell, J.J., Eds.; SPIE Optical Engineering + Applications: San Diego, CA, USA, 2010; Volume 7813, p. 78130E. [Google Scholar] [CrossRef]
- Schiller, S.J.; Teter, M.; Silny, J. Comprehensive vicarious calibration and characterization of a small satellite constellation using the Specular ARray Calibration (SPARC) method. In Proceedings of the Session 6: Science Mission Payloads 1, Logan, UT, USA, 10 August 2017; p. 12. [Google Scholar]
- Schiller, S.; Silny, J. Using vicarious calibration to evaluate small target radiometry. In Proceedings of the Calcon 2016; 25th Annual Meeting on Characterization and Radiometric Calibration for Remote Sensing, Logan, UT, USA, 25 August 2016; p. 1. [Google Scholar]
- Russell, B.; Scharpf, D.; Holt, J.; Arnold, W.; Durell, C.N.; Jablonski, J.; Conran, D.; Schiller, S.J.; Leigh, L.; Aaron, D.; et al. Initial results of the FLARE vicarious calibration network. In Earth Observing Systems XXV; Butler, J.J., Xiong, X.J., Gu, X., Eds.; SPIE: Online Only, 2020; p. 14. [Google Scholar] [CrossRef]
- Schiller, S.J. Demonstration of the Mirror-based Empirical Line Method (MELM). In Proceedings of the 18th Annual Joint Agency Commercial Imagery Evaluation (JACIE) Workshop, Reston, VA, USA, 24 September 2019; p. 12. [Google Scholar]
- Joseph, G. Fundamentals of Remote Sensing, 2nd ed; Universities Press (India) Private Limited: Hyderabad, India, 2005. [Google Scholar]
- Soffer, R.J.; Ifimov, G.; Arroyo-Mora, J.P.; Kalacska, M. Validation of Airborne Hyperspectral Imagery from Panel Characterization to Image Quality Assessment Implications for an Arctic Peatland Surrogate Simulation Site Laboratory. Can. J. Remote Sens. 2019, 45, 476. [Google Scholar] [CrossRef]
- Herweg, J.A.; Kerekes, J.P.; Weatherbee, O.; Messinger, D.; van Aardt, J.; Ientilucci, E.; Ninkov, Z.; Faulring, J.; Raqueño, N.; Meola, J. SpecTIR hyperspectral airborne Rochester experiment data collection campaign. In Algorithms and Technologies for Multispectral, Hyperspectral, and Ultraspectral Imagery XVIII; Shen, S.S., Lewis, P.E., Eds.; International Society for Optics and Photonics, SPIE: Baltimore, MD, USA, 2012; Volume 8390, pp. 717–726. [Google Scholar] [CrossRef]
- Giannandrea, A.; Raqueno, N.; Messinger, D.W.; Faulring, J.; Kerekes, J.P.; van Aardt, J.; Canham, K.; Hagstrom, S.; Ontiveros, E.; Gerace, A.; et al. The SHARE 2012 data campaign. In Algorithms and Technologies for Multispectral, Hyperspectral, and Ultraspectral Imagery XIX; Shen, S.S., Lewis, P.E., Eds.; International Society for Optics and Photonics, SPIE: Baltimore, MD, USA, 2013; Volume 8743, pp. 94–108. [Google Scholar] [CrossRef]
- Ientilucci, E.J. SHARE 2012: Analysis of illumination differences on targets in hyperspectral imagery. In Algorithms and Technologies for Multispectral, Hyperspectral, and Ultraspectral Imagery XIX; Shen, S.S., Lewis, P.E., Eds.; International Society for Optics and Photonics, SPIE: Baltimore, MD, USA, 2013; Volume 8743, pp. 125–136. [Google Scholar] [CrossRef]
- Ientilucci, E.J. Using a new GUI tool to leverage LiDAR data to aid in hyperspectral image material detection in the radiance domain on RIT SHARE LiDAR/HSI data. In Imaging Spectrometry XVIII; Mouroulis, P., Pagano, T.S., Eds.; International Society for Optics and Photonics, SPIE: San Diego, CA, USA, 2013; Volume 8870, pp. 57–67. [Google Scholar] [CrossRef]
- Ientilucci, E.J. Target detection assessment of the SHARE 2010/2012 hyperspectral data collection campaign. In Algorithms and Technologies for Multispectral, Hyperspectral, and Ultraspectral Imagery XXI; Velez-Reyes, M., Kruse, F.A., Eds.; International Society for Optics and Photonics, SPIE: Baltimore, MD, USA, 2015; Volume 9472, pp. 171–181. [Google Scholar] [CrossRef]
- Ientilucci, E.J. New SHARE 2010 HSI-LiDAR dataset: Re-calibration, detection assessment and delivery. In Imaging Spectrometry XXI; Silny, J.F., Ientilucci, E.J., Eds.; International Society for Optics and Photonics, SPIE: San Diego, CA, USA, 2016; Volume 9976, pp. 121–129. [Google Scholar] [CrossRef]
- Kalacska, M.; Arroyo-Mora, J.P.; Soffer, R.; Leblanc, G. Quality Control Assessment of the Mission Airborne Carbon 13 (MAC-13) Hyperspectral Imagery from Costa Rica. Can. J. Remote Sens. 2016, 42, 85–105. [Google Scholar] [CrossRef]
- ITRES Research Limited. CASI Instrument Manual; ITRES Research Limited: Calgary, AB, Canada, 2008. [Google Scholar]
- Soffer, R. Hyperspectral Reflectance in Support of Biomass Monitoring of Agricultural Fields—Part 1: Image Georectification Support; AAFC Contract No. 3000362053; Agriculture and Agri-Food Canada: Ottawa, ON, Canada, 2008.
- Jia, G.; Hueni, A.; Schaepman, M.; Zhao, H. Detection and Correction of Spectral Shift Effects for the Airborne Prism Experiment. IEEE Trans. Geosci. Remote Sens. 2017, 55, 6666. [Google Scholar] [CrossRef]
- Chapman, J.; Thompson, D.; Helmlinger, M.; Bue, B.; Green, R.; Eastwood, M.; Geier, S.; Olson-Duvall, W.; Lundeen, S. Spectral and Radiometric Calibration of the Next Generation Airborne Visible Infrared Spectrometer (AVIRIS-NG). Remote Sens. 2019, 11, 2129. [Google Scholar] [CrossRef]
- Soffer, R.; Ifimov, G.; Pan, Y.; Belanger, S. Acquisition and Spectroradiometric Assessment of the Novel WaterSat Imaging Spectrometer Experiment (WISE) Sensor for the Mapping of Optically Shallow Coastal Waters. In Proceedings of the Hyperspectral Imaging and Sounding of the Environment 2021, Washington, DC, USA, 19–23 July 2021; The Optical Society of America: Washington, DC, USA, 2021; p. HF4E.4. [Google Scholar]
- Czapla-Myers, J.; McCorkel, J.; Anderson, N.; Thome, K.; Biggar, S.; Helder, D.; Aaron, D.; Leigh, L.; Mishra, N. The Ground-Based Absolute Radiometric Calibration of Landsat 8 OLI. Remote Sens. 2015, 7, 600–626. [Google Scholar] [CrossRef]
- Pacifici, F. Validation of the DigitalGlobe surface reflectance product. In Proceedings of the 2016 IEEE International Geoscience and Remote Sensing Symposium (IGARSS), Beijing, China, 10–15 July 2016; pp. 1973–1975. [Google Scholar] [CrossRef]
- Conran, D.; Ientilucci, E.J. Interrogating UAV Image and Data Quality Using Convex Mirrors. In Proceedings of the IGARSS 2022—2022 IEEE International Geoscience and Remote Sensing Symposium, Kuala Lumpur, Malaysia, 17–22 July 2022; pp. 4525–4528. [Google Scholar] [CrossRef]
- Pinto, C.T. Uncertainty Evaluation for In-Flight Radiometric Calibration of Earth Observation Sensors. Ph.D. Thesis, Instituto Nacional de Pesquisas Espaciais (INPE), San Jose Dos Campos, Brazil, 2016. [Google Scholar]











| Target ID | Description | Purpose | Number |
|---|---|---|---|
| PFT05 | 5% Permaflect panel | Cal | 1 |
| PFT50 | 50% Permaflect panel | Cal | 1 |
| ADJ45 | 45% adjacency target | Cal | 1 |
| FLT03 | 3% diffuse felt panel | Cal | 1 |
| FLT08 | 8% diffuse felt panel | Cal | 1 |
| FLT11 | 11% diffuse felt panel | Cal | 1 |
| FLT45 | 45% diffuse felt panel | Cal | 1 |
| BLUST | Blue signature panel | Val | 2 |
| GRNST | Green signature panel | Val | 2 |
| REDST | Red signature panel | Val | 2 |
| YLWUT | Yellow target | Val | 34 |
| GRNUT | Green target | Val | 33 |
| Component | Relative Uncertainty |
|---|---|
| Radius of Curvature | 2.00% |
| Ground Sample Distance | 2.91% |
| Mirror Reflectance | 2.00% |
| Total | 7.20% |
| Component | Relative Uncertainty |
|---|---|
| Mirror Reflectance | 0.33% |
| Solar Irradiance | 0.41% |
| Atmospheric Transmission | 1.68% |
| Radiometer | 0.71% |
| Radius of Curvature | 0.41% |
| Ground Sample Distance | 1.50% |
| Total | 3.58% |
Disclaimer/Publisher’s Note: The statements, opinions and data contained in all publications are solely those of the individual author(s) and contributor(s) and not of MDPI and/or the editor(s). MDPI and/or the editor(s) disclaim responsibility for any injury to people or property resulting from any ideas, methods, instructions or products referred to in the content. |
© 2023 by the authors. Licensee MDPI, Basel, Switzerland. This article is an open access article distributed under the terms and conditions of the Creative Commons Attribution (CC BY) license (https://creativecommons.org/licenses/by/4.0/).
Share and Cite
Russell, B.J.; Soffer, R.J.; Ientilucci, E.J.; Kuester, M.A.; Conran, D.N.; Arroyo-Mora, J.P.; Ochoa, T.; Durell, C.; Holt, J. The Ground to Space CALibration Experiment (G-SCALE): Simultaneous Validation of UAV, Airborne, and Satellite Imagers for Earth Observation Using Specular Targets. Remote Sens. 2023, 15, 294. https://doi.org/10.3390/rs15020294
Russell BJ, Soffer RJ, Ientilucci EJ, Kuester MA, Conran DN, Arroyo-Mora JP, Ochoa T, Durell C, Holt J. The Ground to Space CALibration Experiment (G-SCALE): Simultaneous Validation of UAV, Airborne, and Satellite Imagers for Earth Observation Using Specular Targets. Remote Sensing. 2023; 15(2):294. https://doi.org/10.3390/rs15020294
Chicago/Turabian StyleRussell, Brandon J., Raymond J. Soffer, Emmett J. Ientilucci, Michele A. Kuester, David N. Conran, Juan Pablo Arroyo-Mora, Tina Ochoa, Chris Durell, and Jeff Holt. 2023. "The Ground to Space CALibration Experiment (G-SCALE): Simultaneous Validation of UAV, Airborne, and Satellite Imagers for Earth Observation Using Specular Targets" Remote Sensing 15, no. 2: 294. https://doi.org/10.3390/rs15020294
APA StyleRussell, B. J., Soffer, R. J., Ientilucci, E. J., Kuester, M. A., Conran, D. N., Arroyo-Mora, J. P., Ochoa, T., Durell, C., & Holt, J. (2023). The Ground to Space CALibration Experiment (G-SCALE): Simultaneous Validation of UAV, Airborne, and Satellite Imagers for Earth Observation Using Specular Targets. Remote Sensing, 15(2), 294. https://doi.org/10.3390/rs15020294

