Identification of the Key Determinants of Bats’ Altitude Increase over the S3 Expressway in Poland with Mesh Screens Applied
Abstract
1. Introduction
2. Materials and Methods
2.1. Study Area
- –
- Study section No. 1—from km 18 + 040 to km 25 + 500—from 52°35′4.63″ N, 15°27′15.02″ E to 52°33′39.18″ N, 15°31′19.58″ E,
- –
- Study section No. 3—from km 25 + 500 to km 37 + 146—from 52°33′39.18″ N, 15°31′19.58″ E to 52°28′42.90″ N, 15°33′13.69″ E.
- –
- Study section No. 4—from km 32 + 300 to km 42 + 953.96—from 52°28′42.90″ N, 15°33′13.69″ E to 52° 3′52.39″ N, 15°36′55.70″ E.
2.2. Characteristics of the “Nietoperek” Special Habitat Protection Area
2.3. Methods
2.4. Modelling of the Altitude of a Bat Flight Route Using a 4 m-High Mesh Screen
2.5. Results of Various Investigations of Movement Trajectories along Bat Commuting Routes
2.6. Structural Details of Mesh Screens
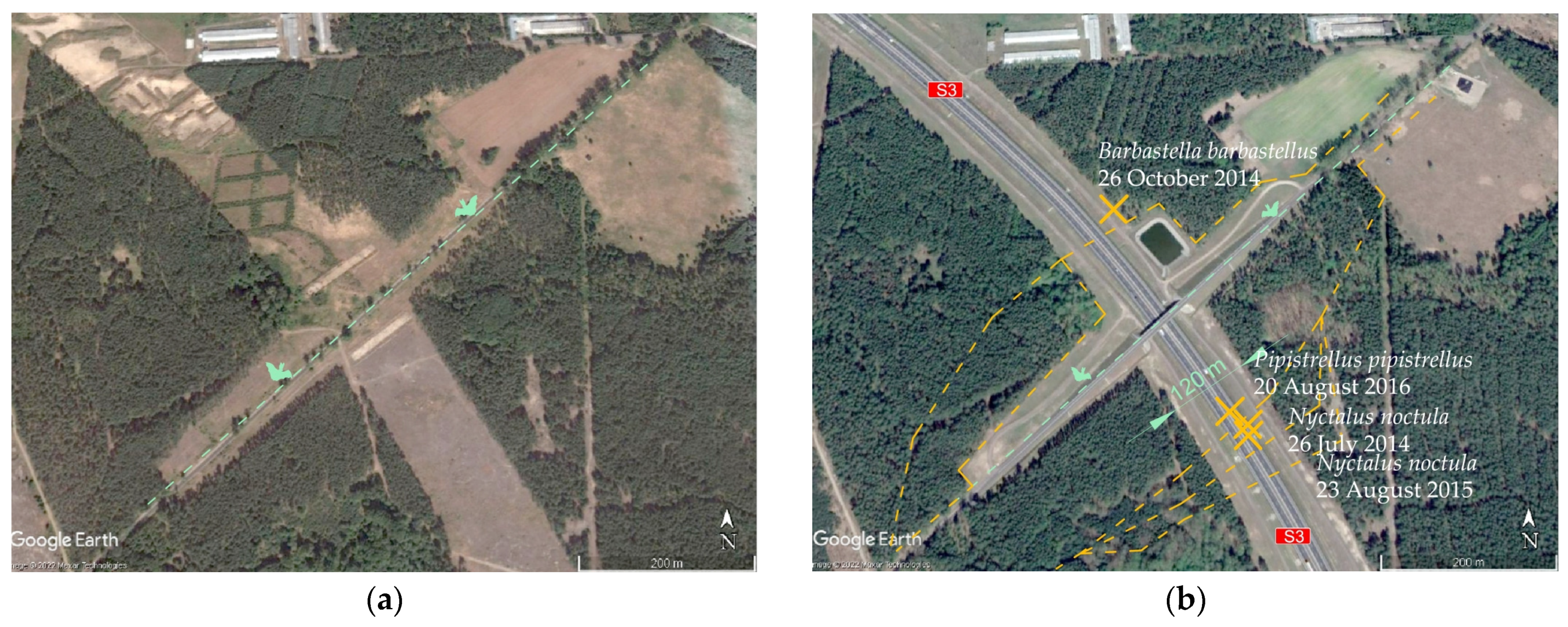
3. Results
3.1. Results of the Monitoring Survey of Chiropterofauna on the S3 Expressway on Section No. 1: From km 18 + 040 to km 25 + 500 in the Period 2014–2016
3.2. Results of the Monitoring Survey of Chiropterofauna Conducted on the S3 Expressway on Section No. 3: From km 25 + 500 to km 37 + 146 over the 2014–2017 Period
3.3. Results of the Monitoring Survey of Chiropterofauna on the S3 Expressway Conducted on Section No. 4: From km 32 + 300 to km 42 + 953.96 over the 2014–2017 Period
3.4. Bat Mortality Rates on the Study Sections under Analysis
4. Discussion
5. Conclusions
- –
- Severance of linear landscape elements over a length of more than 30 m;
- –
- No natural funnels installed in the vicinity of underpasses, culvers or overpasses;
- –
- Lack of mesh screens installed in open agricultural terrain along the likely bat commuting and migration routes;
- –
- Screens installed on one side of the expressway on overpasses over local roads and railway tracks, probably serving as bat commuting routes;
- –
- Culverts and underpasses undersized for bat species confirmed in pre-construction monitoring surveys.
Author Contributions
Funding
Institutional Review Board Statement
Informed Consent Statement
Data Availability Statement
Acknowledgments
Conflicts of Interest
Appendix A


Appendix B

Appendix C







Appendix D




References
- Ahlén, I.; Nedinge, M.; de Jong, J. Agreement on the Conservation of Bats in Europe. J. Laws 1999, 1–20. Available online: https://static1.money.pl/d/akty_prawne/pdf/DU/1999/96/DU19990961112.pdf (accessed on 1 October 2022).
- EU Regulations: Council Directive 92/43/EEC of 21 May 1992 on the Conservation of Natural Habitats and of Wild Fauna and Flora (The Habitats Directive). Available online: https://eur-lex.europa.eu/LexUriServ/LexUriServ.do?uri=CONSLEG:1992L0043:20070101:PL:PDF (accessed on 8 June 2022).
- International Agreements: The Convention on Biological Diversity, Adopted at Rio de Janerio. Available online: https://zpe.gov.pl/a/miedzynarodowa-wspolpraca-na-rzecz-ochrony-przyrody/Dn770BnoF (accessed on 8 June 2022).
- International Agreements: The Convention on the Conservation of Migratory Species of Wild Animals—The So-Called Bonn Convention on the Conservation of Migratory Species of Wild Animals, Bonn 23 June 1979. Available online: http://biodiv.gdos.gov.pl/law-regulations/international-conventions/bonn-convention/bonn-convention-text (accessed on 8 June 2022).
- International Agreements: The Agreement on the Conservation of Populations of European Bats (as Part of the Bonn Convention). Available online: http://biodiv.gdos.gov.pl/law-regulations/international-conventions/bonn-convention/agreement-on-the-conservation-of-populations-of-european-bats (accessed on 8 June 2022).
- Kunz, T.H. Ecology of Bats. J. Mammal. 1983, 64, 549–550. [Google Scholar] [CrossRef]
- Racey, P.A.; Entwistle, A.C. Conservation ecology of bats. In Bat Ecology; Kunz, T.H., Fenton, M.B., Eds.; Plenum: New York, NY, USA, 2003; pp. 680–743. [Google Scholar]
- Rosell, C.; Seiler, A.; Chrétien, L.; Guinard, E.; Nowicki, F.; Righetti, A.; Rosell, C.; Trocmé, M.; Fernández, L.M.; Böttcher, M.; et al. Wildlife & Traffic. In Chapter 7—A European Handbook for Identifying Conflicts and Designing Solutions; Final Edition; Infrastructure & Ecology Network Europe: Paris, France, 2022. [Google Scholar]
- Roue, S.; Liger, A.; Emilie Loutfi, E.; Bru, E.; Martinez, K. Projet D’implantation de la Erme Eolienne des Grands Clos. In Parcoul et Puymangou (24), P4-4-Les Grands Clos-Annexe Chiroptères, Volet Chiroptérologique, Diagnostic Chiroptères; Écosphère Agence Sud-ouest: Mérignac, France, 2015. [Google Scholar]
- Nowicki, F.; Rousselle, K.; Arthur, L.; Bretaud, J.-F.; Cavailhes, J.; Dadu, L.; Dorey, J.; Vanessa Rauel, V.; Tapier, A.; Tekielak, G. Chiroptères et Infrastructures de Transport; Cerema: Lyon, France, 2017. [Google Scholar]
- Limpens, H.J.G.A.; Twisk, P.; Veenbaas, G. Bats and Road Construction; Rijkswaterstaat, Dienst Wegen Waterbouwkunde (DWW): Delft, The Netherlans, 2005. [Google Scholar]
- Cete, S. Routes et Chiroptères. In État des Connaissances; Rapport Bibliographique; Sétra: Lyon, France, 2008. [Google Scholar]
- Cete, S. Information Notes—Economics Environment Design Serie No. 91 Bats and Road Transport—Threats and Preservation Measures; Sétra: Lyon, France, 2009. [Google Scholar]
- Kelleher, C.; Marnell, F. Bat Mitigation Guidelines for Ireland; Irish Wildlife Manuals Series; Marnell, F., Ed.; The O’Brien Press: Dublin, Ireland, 2006. [Google Scholar]
- Highways Agency. Nature Conservation Advice in Relation to Bats; Interim Advice Note IAN 116/08; Highways Agency: London, UK, 2008. [Google Scholar]
- Highways Agency. Design Manual for Roads and Bridges DMRB, Environmental Design and Management. In Section 4 Nature Conservation: HA 80/99; Nature Conservation in Relation to Bats Highways Agency: London, UK, 2001; Volume 10. [Google Scholar]
- Technical Committee of the Working Group on Habitat Fragmentation caused by Transport Infrastructure. Documents for the Mitigation of Habitat Fragmentation Caused by Transport Infrastructure: Technical Prescriptions for Wildlife Crossing and Fence Design, 2nd ed.; Ministry of Agriculture, Food and the Environment: Madrid, Spain, 2016. [Google Scholar]
- Technical Publications: Fauna Sensitive Road Design; Search Department of Transport and Main Roads, Queensland Government: Sydney, Australia, 2011; Chapter 6; Volume 2.
- Elmeros, M.; Møller, J.D.; Dekker, J.; Garin, I.; Christensen, M.; Baagøe, H.J.; Ujvári, M.L. Bat mitigation measures on roads—A guideline. In Proceedings of the Conference of European Directors of Roads CEDR Call 2013: “Roads and Wildlife”, Brussels, Belgium, 12 December 2016. [Google Scholar]
- Berthinussen, A.; Altringham, J. Development of a cost-effective method for monitoring the effectiveness of mitigation for bats crossing linear transport infrastructures. In Defra Research Project WC1060 (2013–2015): Developing Cost-Effective Methods for Assessing Impact of Roads on Bats and Effectiveness of Mitigation; School of Biology, University of Leeds: Leeds, UK, 2015. [Google Scholar]
- Berthinussen, A.; Altringham, J. Do Bat Gantries and Underpasses Help Bats Cross Roads Safely? PLoS ONE 2012, 7, e38775. [Google Scholar] [CrossRef]
- Berthinussen, A.; Altringham, J. Bat bridges Don’t Work, Sciencedaily.com 13 June 2012. Available online: https://www.sciencedaily.com/releases/2012/06/120613184009.htm (accessed on 7 August 2022).
- Russell, A.L.; Butchkoski, C.M.; Saidak, L.; McCracken, G.F. Road-killed bats, highway design, and the commuting ecology of bats. Endanger. Species Res. 2009, 8, 49–60. [Google Scholar] [CrossRef]
- Verboom, B.; Huitema, H. The importance of linear landscape elements for the pipistrelle (Pipistrellus pipistrellus) and the serotine bat (Eptesicus serotinus). Landsc. Ecol. 1997, 12, 117–125. [Google Scholar] [CrossRef]
- Verboom, B.; Spoelstra, K. Effects of food abundance and wind on the use of tree lines by an insectivorous bat. Can. J. Zool. 1999, 77, 1393–1401. [Google Scholar] [CrossRef]
- Zurcher, A.A.; Sparks, D.W.; Bennett, V.J. Why the bat did not cross the road? Acta Chiropterolog. 2010, 12, 337–340. [Google Scholar] [CrossRef]
- National Roads Authority. Best Practice Guidelines for the Conservation of Bats in the Planning of National Road Schemes; Livret Technique; National Roads Authority: Dublin, Ireland, 2005. [Google Scholar]
- Highways Agency. Best Practice in Enhancement of Highway Design for Bats; Revue de Littérature; Halcrow Group Limited: London, UK, 2006. [Google Scholar]
- Wray, S.; Reason, P.; Wells, D.; Cresswell, W.; Walker, H. Design, Installation, and Monitoring of Safe Crossing Points for Bats on a New Highway Scheme in Wales. In Wildlife Crossing Structures: Planning, Placement, Monitoring—Chapter 9; Road Ecology Center, University of California Davis: Davis, CA, USA, 2005; pp. 367–379. [Google Scholar]
- Limpens, H.J.G.A.; Kapteyn, K. Bats, their behaviour and linear landcape elements. Myotis 1991, 29, 39–48. [Google Scholar]
- Fuhrmann, M.; Kiefer, A. Bat conservation in course of a planned road construction: Results of a two-year investigation at a greater mouse-eared bat (Myotis myotis Borkhausen, 1797) nursery roost. Landau 1996, 21, 133–140. [Google Scholar]
- Cichocki, J.; Łupicki, D.; Ważna, A.; Nowacka, D. Czy można ochronić nietoperze przed kolizjami z pojazdami na autostradzie? Proc. Cent. Nat. For. Educ. Rogowo 2013, 36, 70–78. [Google Scholar]
- DHV POLSKA. Raport o Oddziaływaniu na Środowisko Drogi Ekspresowej nr S3, Odcinek Gorzów Wlkp.—Międzyrzecz (etap ZRID); DHV POLSKA Sp. z o.o.: Warszawa, Poland, 2009. [Google Scholar]
- Zachodniopomorskie Towarzystwo Chiropterologiczne “Mopek”. Sprawozdanie z Monitoringu Nietoperzy w Zakresie Rozpadu Kolonii Rozrodczych, Początku Jesiennych Migracji i Rojenia Etap II; Zachodniopomorskie Towarzystwo Chiropterologiczne “Mopek”: Szczecin, Poland, 2010. [Google Scholar]
- Zachodniopomorskie Towarzystwo Chiropterologiczne “Mopek”. Sprawozdanie z Monitoringu Nietoperzy w Zakresie Rozrodu, Szczytu Aktywności Lokalnych Populacji (Czerwiec—Lipiec) Etap I; Zachodniopomorskie Towarzystwo Chiropterologiczne “Mopek”: Szczecin, Poland, 2010. [Google Scholar]
- Naturalia Environnement & FRAPNA. Suivi des Ouvrages de l’A89: Le Cas des Chiroptères, Autoroute A89 Section Balbigny—Violay; Rapport de Synthèse pour le Compte d’ASF; Saint-Etienne & Baillargues; Autoroute du Sud de la France (ASF): Marseille, France, 2015; 23p. [Google Scholar]
- Claireau, F.; Kerbiriou, C.; Charton, F.; De Almeida Braga, C.; Ferraille, T.; Julien, J.-F.; Machon, N.; Allegrini, B.; Puechmaille, S.J.; Bas, Y. Bat Overpasses Help Bats to Cross Roads Safely by Increasing Their Flight Height. Acta Chiropterologica 2021, 23, 189–198. [Google Scholar] [CrossRef]
- Sołowczuk, A. Determinants of the Performance of Bat Gantries Installed to Carry Bat Commuting Routes over the S3 Expressway in Poland. Symmetry 2019, 11, 1022. [Google Scholar] [CrossRef]
- Trautner, J. Videobeweis: Fledermäuse Nutzen die Brücken, Schwäbische, Article: 23.07.2014. Available online: http://www.schwaebische.de/region_artikel,-Videobeweis-Fledermaeuse-nutzen-die-Bruecken-_arid,10054155_toid,112.html (accessed on 12 May 2022).
- Highways Agency. Post Opening Project Evaluation A38 Dobwalls Bypass One Year after Study: A38 Dobwalls Bypass One Year after Report; Highways Agency: London, UK, 2011. [Google Scholar]
- Berthinussen, A.; Altringham, J. The effect of a major road on bat activity and diversity. J. Appl. Ecol. 2012, 49, 82–89. [Google Scholar] [CrossRef]
- Silvotec Consultores, S.L. Infografías de Medidas Correctoras para Murciélagos en A7; Silvotec Consultores: Madrid, Spain, 2014. [Google Scholar]
- Dekker, J.; Møller, J.D.; Garin, I.; Christensen, M.; Baagøe, H.J.; Elmeros, M.; Ujvári, M.U. Richtlijnen voor het mitigeren en compenseren van effecten van wegen op vleermuizen. In Proceedings of the Conference of European Directors of Roads CEDR Call 2013: “Roads and Wildlife”, Brussels, Belgium, 12 December 2016. [Google Scholar]
- Christensen, M.; Fjederholt, E.T.; Baagøe, H.J.; Elmeros, M.; Ujvári, M.L. Hop-overs and their effects on flight heights and patterns of commuting bats—A field experiment. In Proceedings of the Conference of European Directors of Roads CEDR Call 2013: “Roads and Wildlife”, Brussels, Belgium, 12 December 2016. [Google Scholar]
- Britschgi, A.; Theiler, A.; Bontadina, F. Wirkungskontrolle von Verbindungsstrukturen. In Teilbericht Innerhalb der Sonderuntersuchung zur Wochenstube der Kleinen Hufeisennase in Friedrichswalde-Ottendorf/Sachsen; Unveröffentlichter Bericht, Ausgeführt von BMS GbR Erfurt & SWILD, Zürich im Auftrage der DEGES: Berlin, Germany, 2004. [Google Scholar]
- Koelman, R.M. Vleermuistunnel Noordelijke Hogeschool Leeuwarden Monitoring van de effectiviteit van een Mitigerende Vliegroute voor Watervleermuizen in 2010; Rapport 2013.07; Zoogdiervereniging Nijmegen: Nijmegen, Germany, 2013. [Google Scholar]
- Picard, J. Llanwnda to South of Llanllyfni Improvement. In Assessment of Longer Term Implications on European Sites; Limited-2212959; Hyder Consulting: London, UK, 2014. [Google Scholar]
- Lüttmann, J.; Neu, C.; Trauschke, J. Monitoring of “Hop-overs” as crossing structures for bats over 2-lane roads/Querungshilfen für Fledermäuse an 2-spurigen Straßen. In Proceedings of the Conference: FGSV Landschaftstagung, Veithhöchsheim, Germany, 18–19 May 2017. [Google Scholar] [CrossRef]
- Lüttmann, J. Are barrier fences effective mitigating measures to reduce road traffic bat mortality and movement barrier effects? In Proceedings of the IENE 2012 International Conference, Berlin-Potsdam, Germany, 21–24 October 2012; p. 108. [Google Scholar]
- Flaquer, C.; Fernanadez–Bau, M.; Flaquer, C.; Rosell, C.; Matas, R.M.; Siller, J.M.; Garcia-Rafalos, R. Monitoring the effect of a screen installed to mitigate the impact of a high speed railway on bats. In Proceedings of the IENE 2010 International Conference, Velence, Hungary, 27 September–1 October 2010; p. 90. [Google Scholar]
- Generalny Pomiar Ruchu. 2015. Available online: https://www.archiwum.gddkia.gov.pl/pl/2551/GPR-2015 (accessed on 8 August 2022).
- Generalny Pomiar Ruchu 2020/2021. Available online: https://www.gov.pl/web/gddkia/generalny-pomiar-ruchu-20202021 (accessed on 8 August 2022).
- Google Earth. Available online: http://www.earth.google.com (accessed on 19 June 2022).
- Jakubiec, Z.; Łupicki, D.; Cichocki, J. Ocena Oddziaływania na Chiropterofaunę Planowanej Drogi S3 na Odcinkach: Gorzów Wielkopolski—Międzyrzecz; Międzyrzecz Południe—Sulechów; Generalna Dyrekcja Dróg Krajowych i Autostrad: Zielona Góra, Poland, 2008. [Google Scholar]
- Schaub, A.; Ostwald, J.; Siemers, B.M. Foraging bats avoid noise. J. Exp. Biol. 2008, 211, 3174–3180. [Google Scholar] [CrossRef]
- Lesiński, G. Linear Landscape Elements and Bat Casualties on Roads—An Example. Ann. Zool. Fenn. 2008, 45, 277–280. [Google Scholar] [CrossRef]
- Iwaszko, D.; Kozłowski, T.; Piworun, W. Rezerwaty Przyrody w Województwie Lubuskim; Regionalna Dyrekcja Ochrony Środowiska w Gorzowie Wielkopolskim, Drukarnia Dimograf Sp. z o.o.: Gorzów Wielkopolski, Poland, 2014. [Google Scholar]
- Tryjanowski, P. Food of the Stone marten (Martesfoina) in Nietoperek Bat Reserve. J. Mamm. Sci. 1997, 62, 318–320. [Google Scholar]
- Kepel, A. Coraz Więcej Nietoperzy w Nietoperku, Artykuł z Dnia 14 January 2007. Available online: https://www.salamandra.org.pl/component/content/article/40-nietoperze/160-wicej-nietoperzy-w-nietoperku.html?directory=269 (accessed on 4 August 2022).
- Kowalcze-Magiera, S.; Łupicki, D. Monitoring Śmiertelności Chiropterofauny Będącej Przedmiotem Ochrony Obszarów Natura 2000 PLH080041 „Skwierzyna” oraz PLH080003 „Nietoperek” w Fazie Eksploatacji Drogi Ekspresowej S3 Gorzów Wlkp. In Węzeł Międzyrzecz Północ Odcinek 1: Od km 18 + 040 do km 25 + 500; Odcinek 3 od km 25 + 500 do km 37 + 146 w Latach 2014–2016; Raport I, II i III; Komag Consulting: Głogów, Poland, 2016. [Google Scholar]
- Przybycin, M.; Przybycin, P.; Łożyńska, H.; Królikowska, N.; Przybycin, J. Monitoring Śmiertelności Nietoperzy na Odcinku Drogi Ekspresowej S3 Węzeł Międzyrzecz Południe. In Węzeł Sulechów Odcinek 4 od km 32 + 300 do km 42 + 953.96 w latach 2014–2017; Raport I, II i III; Empeko: Poznań, Poland, 2017. [Google Scholar]
- Slater, F.M. An assessment of wildlife road casualties—The potential discrepancy between numbers counted and numbers killed. Web Ecol. 2002, 3, 33–42. [Google Scholar] [CrossRef]
- Santos, S.M.; Carvalho, F.; Mira, A. How long do the dead survive on the road? Carcass persistence probability and implications for road-kill monitoring surveys. PLoS ONE 2011, 6, e25383. [Google Scholar] [CrossRef]
- Teixeria, F.Z.; Coelho, A.V.P.; Esperandio, B.; Kindel, A. Vertebrate road mortality estimates: Effects of sampling methods and carcass removal. Environ. Sci. Biol. Conserv. 2013, 157, 317–323. [Google Scholar] [CrossRef]
- Wolcendorf, E.; Chojnacki, T. Droga Ekspresowa S3 Świnoujście. In Jakuszyce, na Odcinku od Gorzowa Wielkopolskiego do Węzła “Międzyrzecz Północ” km 18 + 040–km 25 + 500, Projekt Wykonawczy: Ogrodzenia Chroniące Chiropterofaunę i Ekrany Akustyczne EZ-30 i EZ-31; DHV Polska Sp. z o.o.: Zielona Góra, Poland, 2009. [Google Scholar]
- Mech, I.; Ślęzek, J. Droga Ekspresowa S3 Świnoujście—Lubawka—Granica Państwa, Odcinek: Węzeł „Międzyrzecz Południe—węzeł “Sulechów” km 0 + 000–km 42 + 953.96, Projekt Wykonawczy Ekranów; Transprojekt Krakowskie Biuro Projektów Dróg i Mostów Sp. z o.o.: Kraków, Poland, 2009. [Google Scholar]
- Razgour, O.; Whitby, D.; Dahlberg, E.; Barlow, K.; Hanmer, J.; Haysom, K.; McFarlane, H.; Wicks, L.; Williams, C.; Jones, G. Conserving Grey Long-Eared Bats (Plecofus Austriacus) in Our Landscape: A Conservation Management Plan; University of Bristol: Bristol, UK; Bat Conservation Trust: Bristol, UK, 2013; Available online: http://www.bats.org.uk (accessed on 10 July 2022).
- Russ, J. British Bat Calls: A Guide to Species Identification; Pelogic Publishing: London, UK, 2021. [Google Scholar]
- Russo, D.; Jones, G. Identification of twenty-two bat species (Mammalia: Chiroptera) from Italy by analysis of time-expanded recordings of echolocation calls. J. Zool. Soc. Lond. 2002, 258, 91–103. [Google Scholar] [CrossRef]
- Russ, J. Bat Calls of Britain and Europe: A Guide to Species Identification; Pelagic Publishing: London, UK, 2021. [Google Scholar]
- Henningsson, P.; Jakobsen, L.; Hedenström, A. Aerodynamics of manoeuvring flight in brown long-eared bats (Plecotus auritus). J. R. Soc. Interface 2018, 15, 20180441. [Google Scholar] [CrossRef]
- Siemers, B.M.; Kalko, E.K.V.; Schnitzler, H.-U. Echolocation behavior and signal plasticity in the Neotropical bat Myotis nigricans (Schinz, 1821) (Vespertilionidae): A convergent case with European species of Pipistrellus? Behav. Ecol. Sociobiol. 2001, 50, 317–328. [Google Scholar] [CrossRef]
- Roemer, C.; Desbas, J.-B.; Bas, Y. Modélisation du risque de mortalité des chiroptères sur une voie de chemin de fer par trajectographie acoustique. Nouvelle série. Symbioses 2016, 34, 39–45. [Google Scholar]
- Berthe, S.; Petit, E.; Anotta, P. Conséquence du Remembrement et de la Fragmentation des Haies sur L’activité des Chiroptères du Coglais (35). In Proceedings of the XIII Èmes Rencontres Nationales Chauvessouris de la Société Française pour l’Etude et la Protection des Mammifères SFEPM, Session: Agriculture et Biodiversité: Les Chauves-Souris, Bourges, France, 24 March 2010; pp. 71–72. [Google Scholar]
- Bhardwaj, M.; Soanes, K.; Straka, T.M.; Lahoz-Monfort, J.; Lumsden, L.F.; van der Ree, R. Differential use of highway underpasses by bats. Biol. Conserv. 2017, 212, 22–28. [Google Scholar] [CrossRef]
- Charbonnier, M.; Mauuary, D. Trajectographie des chiroptères par détection d’ultrasons, Mesure de l’impact des infrastructures. In Diagnostic D’efficacité des Structures Croisées; Chiropteres et Infrastructures de Transport Terrestre, Cyberio Distributed Sensing Intelligence: Paris, France, 2010. [Google Scholar]
- Møller, J.D.; Dekker, J.; Baagøe, H.J.; Garin, I.; Alberdi, A.; Christensen, M.; Elmeros, M. Effectiveness of mitigating measures for bats—A review. In Proceedings of the Conference of European Directors of Roads CEDR Call 2013: “Roads and Wildlife”, Brussels, Belgium, 12 December 2016. [Google Scholar]
- Boonman, M. Factors determining the use of culverts underneath highways and railway tracks by bats in lowland areas. Lutra 2011, 54, 3–16. [Google Scholar]
- Abbott, I.M.; Butler, F. Harrison, S. When flyways meet highways—The relative permeability of different motorway crossing sites to functionally diverse bat species. Landsc. Urban Plan. 2012, 106, 293–302. [Google Scholar] [CrossRef]
- Abbott, I.M.; Harrison, S.; Butler, F. Clutter-adaptation of bat species predicts their use of under-motorway passageways of contrasting sizes—A natural experiment. J. Zool. 2012, 287, 124–132. [Google Scholar] [CrossRef]
- Bach, L.; Burchardt, P.; Limpens, H.J.G.A. Tunnels as a possibility to connect bat habitats. Mammalia 2004, 68, 411–420. [Google Scholar] [CrossRef]
- Kerth, G.; Melber, M. Species-specific barrier effects of a motorway on the habitat use of two threatened forest-living bat species. Biol. Conserv. 2009, 142, 270–279. [Google Scholar] [CrossRef]





















| Study Section | Type of Screen/Barrier on Side W—West and E—East | Start of Screen, km | End of Screen, km | Length of Screen, m | Start of Screen, km | End of Screen, km | Length of Screen, m |
|---|---|---|---|---|---|---|---|
| Western Side (W) | Eastern Side (E) | ||||||
| No 1 | mesh screen on both sides | 18 + 350 | 18 + 700 | 350 | 18 + 350 | 18 + 700 | 350 |
| type EA-10A on both sides | 18 + 700 | 18 + 995 | 295 | 18 + 700 | 18 + 995 | 295 | |
| mesh screen on both sides | 18 + 995 | 21 + 600 | 2605 | 18 + 995 | 21 + 600 | 2605 | |
| mesh W and type EA-17 E | 21 + 600 | 21 + 760 | 160 | 21 + 600 | 21 + 760 | 160 | |
| type EA-17 and E-18 | 21 + 760 | 21 + 840 | 80 | 21 + 760 | 21 + 840 | 80 | |
| type EA-17 on one side E | – | – | – | 21 + 840 | 23 + 260 | 1420 | |
| type EA-19 W and EA-17 E | 23 + 260 | 23 + 341 | 81 | 23 + 260 | 23 + 341 | 81 | |
| type EA-17 on one side E | – | – | – | 23 + 341 | 23 + 486 | 145 | |
| Type EA-11 W and EA-17 E | 23 + 486 | 23 + 566 | 80 | 23 + 486 | 23 + 566 | 80 | |
| mesh screen on one side E | – | – | – | 24 + 150 | 24 + 500 | 350 | |
| No. 3 | mesh screen on both sides | 27 + 550 | 27 + 730 | 180 | 27 + 550 | 27 + 730 | 180 |
| mesh screen on both sides | 27 + 730 | 27 + 850 | 120 | 27 + 730 | 27 + 850 | 120 | |
| mesh screen on one side E | – | – | – | 27 + 850 | 27 + 900 | 50 | |
| mesh screen on both sides | 27 + 900 | 28 + 230 | 330 | 27 + 900 | 28 + 230 | 330 | |
| mesh screen on one side W | 28 + 230 | 28 + 280 | 50 | – | – | ||
| mesh screen on one side E | – | – | 28 + 280 | 28 + 300 | 20 | ||
| mesh screen on both sides | 28 + 300 | 32 + 269 | 3969 | 28 + 300 | 32 + 269 | 3969 | |
| type EA-14 on both sides | 32 + 269 | 32 + 397 | 227 | 32 + 269 | 32 + 397 | 227 | |
| mesh screen on both sides | 32 + 397 | 32 + 624 | 227 | 32 + 397 | 32 + 624 | 227 | |
| type EA-15 W and mesh E | 32 + 624 | 32 + 635 | 11 | 32 + 624 | 32 + 635 | 11 | |
| type EA-15 on both sides | 32 + 635 | 32 + 684 | 49 | 32 + 635 | 32 + 684 | 49 | |
| mesh W and type EA-15 E | 32 + 684 | 32 + 696 | 12 | 32 + 684 | 32 + 696 | 12 | |
| mesh screen on both sides | 32 + 696 | 35 + 550 | 2854 | 32 + 696 | 35 + 550 | 2854 | |
| No. 4 | mesh screen on both sides | 32 + 940 | 33 + 830 | 890 | 32 + 940 | 33 + 940 | 890 |
| 34 + 250 | 34 + 450 | 150 | – | – | – | ||
| mesh screen on both sides | 34 + 400 | 34 + 450 | 50 | 34 + 400 | 34 + 450 | 50 | |
| mesh screen on both sides | 35 + 500 | 35 + 900 | 400 | 35 + 500 | 35 + 900 | 400 | |
| mesh screen on both sides | 37 + 900 | 38 + 200 | 300 | 37 + 900 | 38 + 200 | 300 | |
| mesh screen on both sides | 38 + 700 | 39 + 100 | 400 | 38 + 700 | 39 + 100 | 400 | |
| mesh screen on one side W | 39 + 100 | 39 + 300 | 200 | – | – | – | |
| noise barrier on one side E | – | – | – | 40 + 983 | 41 + 140 | 160 | |
| transparent on one side E | – | – | – | 41 + 140 | 41 + 197 | 56 | |
| noise barrier on one side E | – | – | – | 41 + 197 | 41 + 271 | 74 | |
| mesh screen on one side E | – | – | – | 41 + 271 | 41 + 280 | 9 | |
| mesh screen on both sides | 41 + 280 | 41 + 621 | 341 | 41 + 280 | 41 + 621 | 341 | |
| noise barrier W and mesh E | 41 + 621 | 41 + 948 | 327 | 41 + 621 | 41 + 948 | 327 | |
| noise barrier on both sides | 41 + 948 | 42 + 548 | 600 | 41 + 948 | 42 + 548 | 600 | |
| noise barrier on one side E | – | – | – | 42 + 548 | 42 + 633 | 85 | |
| Study Section | Road Stretch Characteristics | Years | Number of Bats, Individuals | Length, km | Mortality Rate |
|---|---|---|---|---|---|
| No. 1 | Without screens | 2014–2016 | 0 | 4.204 | 0.00 |
| With screen on one side | 1 | 0.576 | 0.58 | ||
| With screen on both sides | 12 | 3.570 | 1.12 | ||
| Sum | 13 | 7.460 | 0.58 | ||
| No. 3 | Without screens | 2014–2016 | 0 | 3.646 | 0.00 |
| With screen on one side | 0 | 0.120 | 0.00 | ||
| With screen on both sides | 23 | 7.880 | 0.97 | ||
| Sum | 23 | 11.646 | 0.66 | ||
| No. 4 | Without screens | 2014–2017 | 35 | 6.697 | 1.31 |
| With screen on one side | 6 | 0.734 | 2.04 | ||
| With screen on both sides | 17 | 3.308 | 1.28 | ||
| Sum | 58 | 10.739 | 1.35 |
Publisher’s Note: MDPI stays neutral with regard to jurisdictional claims in published maps and institutional affiliations. |
© 2022 by the authors. Licensee MDPI, Basel, Switzerland. This article is an open access article distributed under the terms and conditions of the Creative Commons Attribution (CC BY) license (https://creativecommons.org/licenses/by/4.0/).
Share and Cite
Sołowczuk, A.; Kacprzak, D. Identification of the Key Determinants of Bats’ Altitude Increase over the S3 Expressway in Poland with Mesh Screens Applied. Sustainability 2022, 14, 15324. https://doi.org/10.3390/su142215324
Sołowczuk A, Kacprzak D. Identification of the Key Determinants of Bats’ Altitude Increase over the S3 Expressway in Poland with Mesh Screens Applied. Sustainability. 2022; 14(22):15324. https://doi.org/10.3390/su142215324
Chicago/Turabian StyleSołowczuk, Alicja, and Dominik Kacprzak. 2022. "Identification of the Key Determinants of Bats’ Altitude Increase over the S3 Expressway in Poland with Mesh Screens Applied" Sustainability 14, no. 22: 15324. https://doi.org/10.3390/su142215324
APA StyleSołowczuk, A., & Kacprzak, D. (2022). Identification of the Key Determinants of Bats’ Altitude Increase over the S3 Expressway in Poland with Mesh Screens Applied. Sustainability, 14(22), 15324. https://doi.org/10.3390/su142215324

