miR-195-5p Inhibits Colon Cancer Progression via KRT23 Regulation
Abstract
1. Introduction
2. Materials and Methods
2.1. CRC Patients Tissues
2.2. RNA Isolation and RT-PCR of Human Sections
2.3. Immunohistochemistry (IHC)
2.4. Cell Culture
2.5. RNA Extraction and RT-PCR of CRC Cell Lines
2.6. Western Blot
2.7. Attachment and Detachment Assay
2.8. Clone Formation Assay
2.9. Annexin V Staining
2.10. Immunofluorescence in FFPE from Mice Tissue
2.11. Bioinformatic and Statistical Analysis
3. Results
3.1. KRT23 as a Target of miR-195-5p
3.2. KRT23 Expression in Patients with CRC
3.3. miR-195-5p Modulates KRT23 Expression
3.4. miR-195-5p Affects Attachment and Detachment of CRC Cell Lines
3.5. miR-195-5p Prevents the Colony Formation
3.6. miR-195-5p Induces Apoptosis
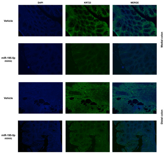
3.7. In Vivo Determination of KRT23 Expression
4. Discussion
5. Conclusions
6. Patents
Supplementary Materials
Author Contributions
Funding
Institutional Review Board Statement
Informed Consent Statement
Data Availability Statement
Acknowledgments
Conflicts of Interest
References
- Hohmann, T.; Dehghani, F. The cytoskeleton—A complex interacting meshwork. Cells 2019, 8, 362. [Google Scholar] [CrossRef] [PubMed]
- Bezanilla, M.; Gladfelter, A.S.; Kovar, D.R.; Lee, W.-L. Cytoskeletal dynamics: A view from the membrane. J. Cell Biol. 2015, 209, 329–337. [Google Scholar] [CrossRef] [PubMed]
- Fletcher, D.A.; Mullins, R.D. Cell mechanics and the cytoskeleton. Nature 2010, 463, 485–492. [Google Scholar] [CrossRef] [PubMed]
- Ramaekers, F.C.; Bosman, F.T. The cytoskeleton and disease. J. Pathol. 2004, 204, 351–354. [Google Scholar] [CrossRef] [PubMed]
- Windoffer, R.; Beil, M.; Magin, T.M.; Leube, R.E. Cytoskeleton in motion: The dynamics of keratin intermediate filaments in epithelia. J. Cell Biol. 2011, 194, 669–678. [Google Scholar] [CrossRef]
- Loschke, F.; Seltmann, K.; Bouameur, J.-E.; Magin, T.M. Regulation of keratin network organization. Curr. Opin. Cell Biol. 2015, 32, 56–64. [Google Scholar] [CrossRef]
- Karantza, V. Keratins in health and cancer: More than mere epithelial cell markers. Oncogene 2011, 30, 127–138. [Google Scholar] [CrossRef]
- Toivola, D.M.; Boor, P.; Alam, C.; Strnad, P. Keratins in health and disease. Curr. Opin. Cell Biol. 2015, 32, 73–81. [Google Scholar] [CrossRef]
- Kim, D.; Brocker, C.N.; Takahashi, S.; Yagai, T.; Kim, T.; Xie, G.; Wang, H.; Qu, A.; Gonzalez, F.J. Keratin 23 Is a Peroxisome Proliferator-Activated Receptor Alpha–Dependent, MYC-Amplified Oncogene That Promotes Hepatocyte Proliferation. Hepatology 2019, 70, 154–167. [Google Scholar] [CrossRef]
- Ren, M.; Gao, Y.; Chen, Q.; Zhao, H.; Zhao, X.; Yue, W. The overexpression of keratin 23 promotes migration of ovarian cancer via epithelial-mesenchymal transition. Biomed. Res. Int. 2020, 2020, 8218735. [Google Scholar] [CrossRef]
- Liffers, S.-T.; Maghnouj, A.; Munding, J.B.; Jackstadt, R.; Herbrand, U.; Schulenborg, T.; Marcus, K.; Klein-Scory, S.; Schmiegel, W.; Schwarte-Waldhoff, I. Keratin 23, a novel DPC4/Smad4 target gene which binds 14-3-3ε. BMC Cancer 2011, 11, 137. [Google Scholar] [CrossRef] [PubMed]
- Dexheimer, P.J.; Cochella, L. MicroRNAs: From mechanism to organism. Front. Cell Dev. Biol. 2020, 8, 409. [Google Scholar] [CrossRef]
- Bueno, M.J.; de Castro, I.P.; Malumbres, M. Control of cell proliferation pathways by microRNAs. Cell Cycle 2008, 7, 3143–3148. [Google Scholar] [CrossRef] [PubMed]
- Piccinno, E.; Scalavino, V.; Labarile, N.; De Marinis, L.; Armentano, R.; Giannelli, G.; Serino, G. Identification of a Novel miR-195-5p/PNN Axis in Colorectal Cancer. Int. J. Mol. Sci. 2024, 25, 5980. [Google Scholar] [CrossRef] [PubMed]
- Scalavino, V.; Piccinno, E.; Lacalamita, A.; Tafaro, A.; Armentano, R.; Giannelli, G.; Serino, G. miR-195-5p regulates tight junctions expression via Claudin-2 downregulation in ulcerative colitis. Biomedicines 2022, 10, 919. [Google Scholar] [CrossRef]
- Scalavino, V.; Piccinno, E.; Valentini, A.M.; Mastronardi, M.; Armentano, R.; Giannelli, G.; Serino, G. A novel mechanism of immunoproteasome regulation via miR-369-3p in intestinal inflammatory response. Int. J. Mol. Sci. 2022, 23, 13771. [Google Scholar] [CrossRef]
- Scalavino, V.; Piccinno, E.; Valentini, A.M.; Schena, N.; Armentano, R.; Giannelli, G.; Serino, G. miR-369-3p modulates intestinal inflammatory response via BRCC3/NLRP3 inflammasome axis. Cells 2023, 12, 2184. [Google Scholar] [CrossRef]
- Hussen, B.M.; Hidayat, H.J.; Salihi, A.; Sabir, D.K.; Taheri, M.; Ghafouri-Fard, S. MicroRNA: A signature for cancer progression. Biomed. Pharmacother. 2021, 138, 111528. [Google Scholar] [CrossRef]
- Ichimi, T.; Enokida, H.; Okuno, Y.; Kunimoto, R.; Chiyomaru, T.; Kawamoto, K.; Kawahara, K.; Toki, K.; Kawakami, K.; Nishiyama, K. Identification of novel microRNA targets based on microRNA signatures in bladder cancer. Int. J. Cancer 2009, 125, 345–352. [Google Scholar] [CrossRef]
- Huang, W.-C.; Jang, T.-H.; Tung, S.-L.; Yen, T.-C.; Chan, S.-H.; Wang, L.-H. A novel miR-365-3p/EHF/keratin 16 axis promotes oral squamous cell carcinoma metastasis, cancer stemness and drug resistance via enhancing β5-integrin/c-met signaling pathway. J. Exp. Clin. Cancer Res. 2019, 38, 89. [Google Scholar] [CrossRef]
- Tang, Z.; Li, C.; Kang, B.; Gao, G.; Li, C.; Zhang, Z. GEPIA: A web server for cancer and normal gene expression profiling and interactive analyses. Nucleic Acids Res. 2017, 45, W98–W102. [Google Scholar] [CrossRef] [PubMed]
- Sticht, C.; De La Torre, C.; Parveen, A.; Gretz, N. miRWalk: An online resource for prediction of microRNA binding sites. PLoS ONE 2018, 13, e0206239. [Google Scholar] [CrossRef] [PubMed]
- Piccinno, E.; Scalavino, V.; Armentano, R.; Giannelli, G.; Serino, G. miR-195-5p as Regulator of γ-Catenin and Desmosome Junctions in Colorectal Cancer. Int. J. Mol. Sci. 2023, 24, 17084. [Google Scholar] [CrossRef] [PubMed]
- Piccinno, E.; Scalavino, V.; Labarile, N.; Bianco, G.; Savino, M.T.; Armentano, R.; Giannelli, G.; Serino, G. Downregulation of γ-Catenin by miR-195-5p Inhibits Colon Cancer Progression, Regulating Desmosome Function. Int. J. Mol. Sci. 2023, 25, 494. [Google Scholar] [CrossRef] [PubMed]
- Li, M.; Peng, L.; Wang, Z.; Liu, L.; Cao, M.; Cui, J.; Wu, F.; Yang, J. Roles of the cytoskeleton in human diseases. Mol. Biol. Rep. 2023, 50, 2847–2856. [Google Scholar] [CrossRef]
- Kim, S.; Wong, P.; Coulombe, P.A. A keratin cytoskeletal protein regulates protein synthesis and epithelial cell growth. Nature 2006, 441, 362–365. [Google Scholar] [CrossRef]
- Moujaber, O.; Stochaj, U. The cytoskeleton as regulator of cell signaling pathways. Trends Biochem. Sci. 2020, 45, 96–107. [Google Scholar] [CrossRef]
- Barak, V.; Goike, H.; Panaretakis, K.W.; Einarsson, R. Clinical utility of cytokeratins as tumor markers. Clin. Biochem. 2004, 37, 529–540. [Google Scholar] [CrossRef]
- Linder, S.; Olofsson, M.H.; Herrmann, R.; Ulukaya, E. Utilization of cytokeratin-based biomarkers for pharmacodynamic studies. Expert Rev. Mol. Diagn. 2010, 10, 353–359. [Google Scholar] [CrossRef]
- Sawant, S.S.; Zingde, S.M.; Vaidya, M.M. Cytokeratin fragments in the serum: Their utility for the management of oral cancer. Oral Oncol. 2008, 44, 722–732. [Google Scholar] [CrossRef]
- Holdenrieder, S.; Stieber, P.; Liska, V.; Treska, V.; Topolcan, O.; Dreslerova, J.; Matejka, V.; Finek, J.; Holubec, L. Cytokeratin serum biomarkers in patients with colorectal cancer. Anticancer Res. 2012, 32, 1971–1976. [Google Scholar] [PubMed]
- Birkenkamp-Demtroder, K.; Mansilla, F.; Sørensen, F.B.; Kruhøffer, M.; Cabezón, T.; Christensen, L.L.; Aaltonen, L.A.; Verspaget, H.W.; Ørntoft, T.F. Phosphoprotein Keratin 23 accumulates in MSS but not MSI colon cancers in vivo and impacts viability and proliferation in vitro. Mol. Oncol. 2007, 1, 181–195. [Google Scholar] [CrossRef] [PubMed]
- Li, L.; Lin, M.; Luo, J.; Sun, H.; Zhang, Z.; Lin, D.; Chen, L.; Feng, S.; Lin, X.; Zhou, R. Loss of keratin 23 enhances growth inhibitory effect of melatonin in gastric cancer. Mol. Med. Rep. 2024, 29, 22. [Google Scholar] [CrossRef]
- Wang, K.; Xu, X.; Nie, Y.; Dai, L.; Wang, P.; Zhang, J. Identification of tumor-associated antigens by using SEREX in hepatocellular carcinoma. Cancer Lett. 2009, 281, 144–150. [Google Scholar] [CrossRef]
- Birkenkamp-Demtröder, K.; Hahn, S.A.; Mansilla, F.; Thorsen, K.; Maghnouj, A.; Christensen, R.; Øster, B.; Ørntoft, T.F. Keratin23 (KRT23) knockdown decreases proliferation and affects the DNA damage response of colon cancer cells. PLoS ONE 2013, 8, e73593. [Google Scholar] [CrossRef] [PubMed]
- Zhang, N.; Zhang, R.; Zou, K.; Yu, W.; Guo, W.; Gao, Y.; Li, J.; Li, M.; Tai, Y.; Huang, W. Keratin 23 promotes telomerase reverse transcriptase expression and human colorectal cancer growth. Cell Death Dis. 2017, 8, e2961. [Google Scholar] [CrossRef]
- Hill, M.; Tran, N. miRNA interplay: Mechanisms and consequences in cancer. Dis. Model. Mech. 2021, 14, dmm047662. [Google Scholar] [CrossRef]
- Bartel, D.P. MicroRNAs: Target recognition and regulatory functions. Cell 2009, 136, 215–233. [Google Scholar] [CrossRef]
- Bartel, D.P. MicroRNAs: Genomics, biogenesis, mechanism, and function. Cell 2004, 116, 281–297. [Google Scholar] [CrossRef]
- Jang, T.-H.; Huang, W.-C.; Tung, S.-L.; Lin, S.-C.; Chen, P.-M.; Cho, C.-Y.; Yang, Y.-Y.; Yen, T.-C.; Lo, G.-H.; Chuang, S.-E. MicroRNA-485-5p targets keratin 17 to regulate oral cancer stemness and chemoresistance via the integrin/FAK/Src/ERK/β-catenin pathway. J. Biomed. Sci. 2022, 29, 42. [Google Scholar] [CrossRef]
- Mi, L.; Wu, Y.; Wei, X.; He, X.; Wang, X.; Li, S.; Mu, Y. Overexpression miR-642 Inhibits Cell Migration and Proliferation by Regulation of KRT19 and Clinical Prognosis Value in Gastric Cancer. J. Int. Soc. Sports Nutr. 2023, 2766, 2276. [Google Scholar] [CrossRef]










| Characteristic | Patients with CRC (n = 30) |
|---|---|
| Sex | |
| Female (%) | 13 (44.4) |
| Male (%) | 17 (56.6) |
| Age at diagnosis | |
| Mean ± SD | 69.4 ± 12.9 |
| TNM stage | |
| I (%) | 1 (3.3) |
| II (%) | 12 (40) |
| III (%) | 17 (56.7) |
| IV (%) | 0 (0) |
| Nodal status | |
| Positive (%) | 18 (60) |
| Negative (%) | 12 (40) |
Disclaimer/Publisher’s Note: The statements, opinions and data contained in all publications are solely those of the individual author(s) and contributor(s) and not of MDPI and/or the editor(s). MDPI and/or the editor(s) disclaim responsibility for any injury to people or property resulting from any ideas, methods, instructions or products referred to in the content. |
© 2024 by the authors. Licensee MDPI, Basel, Switzerland. This article is an open access article distributed under the terms and conditions of the Creative Commons Attribution (CC BY) license (https://creativecommons.org/licenses/by/4.0/).
Share and Cite
Piccinno, E.; Scalavino, V.; Labarile, N.; Armentano, R.; Giannelli, G.; Serino, G. miR-195-5p Inhibits Colon Cancer Progression via KRT23 Regulation. Pharmaceutics 2024, 16, 1554. https://doi.org/10.3390/pharmaceutics16121554
Piccinno E, Scalavino V, Labarile N, Armentano R, Giannelli G, Serino G. miR-195-5p Inhibits Colon Cancer Progression via KRT23 Regulation. Pharmaceutics. 2024; 16(12):1554. https://doi.org/10.3390/pharmaceutics16121554
Chicago/Turabian StylePiccinno, Emanuele, Viviana Scalavino, Nicoletta Labarile, Raffaele Armentano, Gianluigi Giannelli, and Grazia Serino. 2024. "miR-195-5p Inhibits Colon Cancer Progression via KRT23 Regulation" Pharmaceutics 16, no. 12: 1554. https://doi.org/10.3390/pharmaceutics16121554
APA StylePiccinno, E., Scalavino, V., Labarile, N., Armentano, R., Giannelli, G., & Serino, G. (2024). miR-195-5p Inhibits Colon Cancer Progression via KRT23 Regulation. Pharmaceutics, 16(12), 1554. https://doi.org/10.3390/pharmaceutics16121554

