Dendrochronological Reconstruction of January–September Precipitation Variability (1647–2015A.D) Using Pinus arizonica in Southwestern Chihuahua, Mexico
Abstract
1. Introduction
2. Materials and Methods
2.1. Study Area
2.2. Tree Ring Sampling
2.3. Laboratory Work
2.4. Data Analysis
3. Results
3.1. Growth Rings and Common Response of the Chronologies
3.2. Response Function
3.3. Precipitation Reconstruction

| Period | R2Adj | Coefficient | Standard Error | t-Statistic | Probability | ||||
|---|---|---|---|---|---|---|---|---|---|
| β0 | β1 | β0 | β1 | β0 | β1 | β0 | β1 | ||
| 1981–1997 | 0.60 | 221.26 | 348.86 | 88.89 | 81.83 | 2.48 | 4.26 | 0.028 | 0.001 |
| 1998–2015 | 0.68 | 207.34 | 331.28 | 61.66 | 61.35 | 3.36 | 5.39 | 0.004 | 0.000 |
| 1981–2015 | 0.66 | 204.79 | 348.90 | 48.99 | 46.94 | 4.17 | 7.43 | 0.000 | 0.000 |
| Period | Pearson Corr. (r) | Reduction a of Error | Signs Test b | t-Value c | First d Significant Difference |
|---|---|---|---|---|---|
| 1981–1997 | 0.776 * | 0.44 * | 4 ns | 2.41 * | 6 ns |
| 1998–2015 | 0.824 * | 0.59 * | 2 * | 2.32 * | 3 * |
| 1981–2015 | 0.814 * | 0.49 * | 8 * | 2.94 * | 9 * |
3.4. Calibration and Verification
3.5. Climate Variability
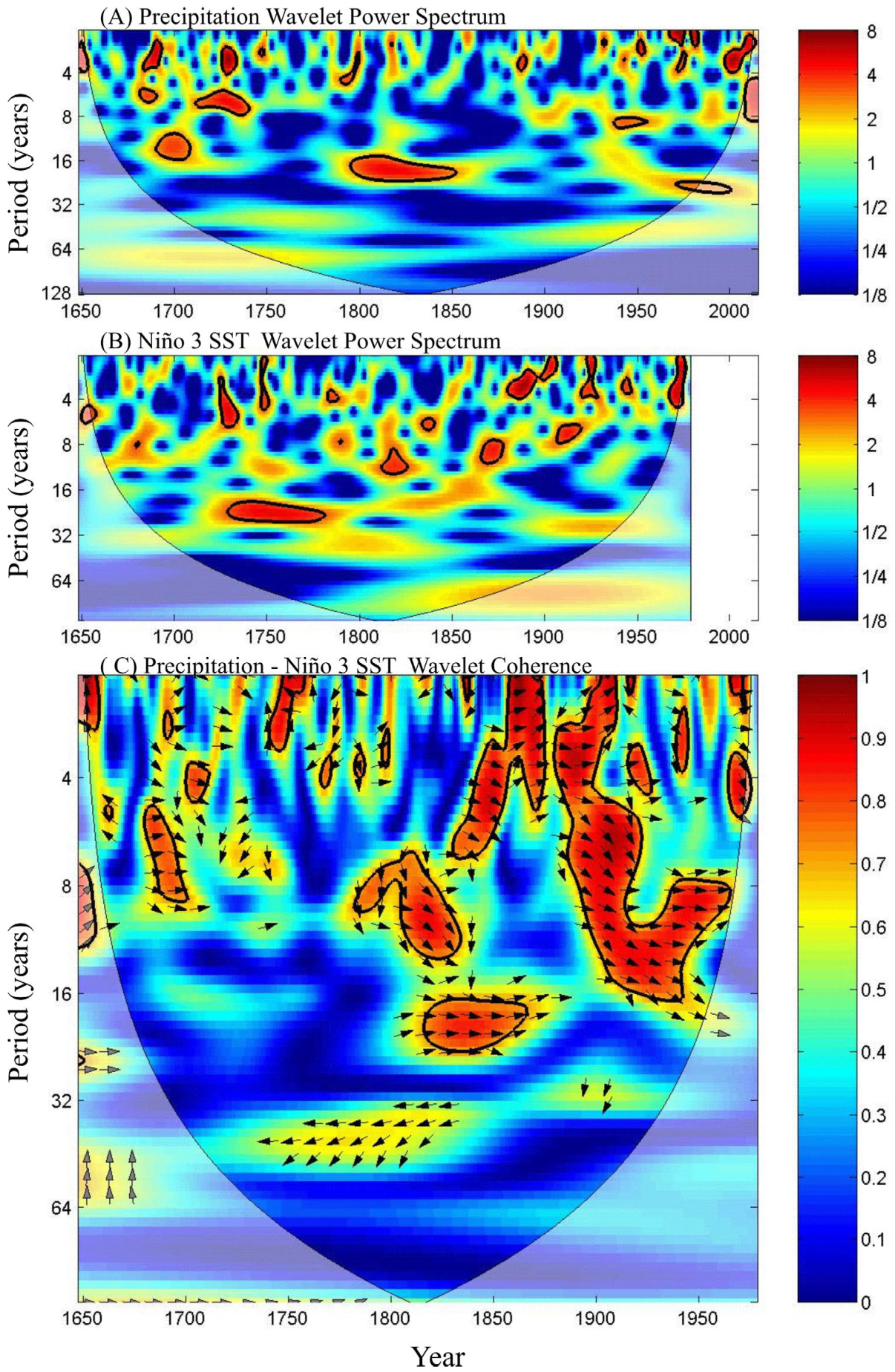
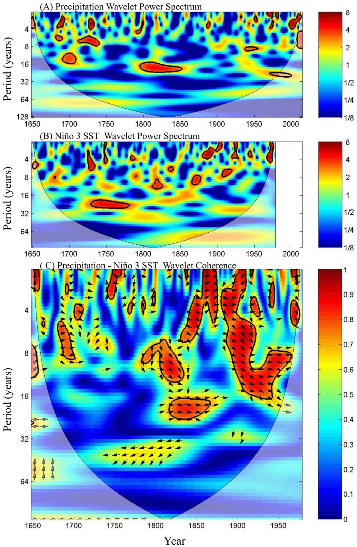
3.6. ENSO Influence on Rainfall Variability
4. Discussion
4.1. Growth Ring Response to Climatic Variables
4.2. Precipitation Variability
5. Conclusions
Author Contributions
Funding
Data Availability Statement
Acknowledgments
Conflicts of Interest
References
- Berger, W.H.; Labeyrie, L.D. (Eds.) Abrupt Climatic Change: Evidence and Implications; Springer Science & Business Media: Berlin, Germany, 1987; Volume 216. [Google Scholar]
- Karl, T.R.; Knight, R.W.; Plummer, N. Trends in high-frequency climate variability in the twentieth century. Nature 1995, 377, 217–220. [Google Scholar] [CrossRef]
- Intergovernmental Panel on Climate Change (IPCC). Cambio climático 2014. Impactos, adaptación y vulnerabilidad. Resumen para responsables de políticas. In Contribución del Grupo de trabajo II al Quinto Informe de Evaluación del Grupo Intergubernamental de Expertos sobre el Cambio Climático; Organización Meteorológica Mundial: Geneva, Switzerland, 2014. [Google Scholar]
- McDowell, N.G.; Allen, C.D. Darcy’s law predicts widespread forest mortality under climate warming. Nat. Clim. Change 2015, 5, 669–672. [Google Scholar] [CrossRef]
- Hartmann, H.; Moura, C.; Anderegg, W.; Ruehr, N.; Salmon, Y.; Allen, C.D.; Arndt, S.K.; Breshears, D.D.; Davi, H.; Galbraith, D.; et al. Research frontiers for improving our understanding of drought-induced tree and forest mortality. New Phytol. 2018, 218, 15–28. [Google Scholar] [CrossRef]
- Wu, X.; Liu, H.; Li, X.; Ciais, P.; Babst, F.; Guo, W.; Zhang, C.; Magliulo, V.; Pavelka, M.; Liu, S.; et al. Differentiating drought legacy effects on vegetation growth over the temperate Northern Hemisphere. Glob. Change Biol. 2017, 24, 504–516. [Google Scholar] [CrossRef] [PubMed]
- Peltier, D.M.P.; Ogle, K. Legacies of La Ninña: North American monsoon can rescue trees from winter drought. Glob. Change Biol. 2019, 25, 121–133. [Google Scholar] [CrossRef] [PubMed]
- Cook, E.R.; Meko, D.M.; Stahle, D.W.; Cleaveland, M.K. Drought reconstructions for the continental United States. J. Clim. 1999, 12, 1145–1162. [Google Scholar] [CrossRef]
- Cook, E.R.; Woodhouse, C.A.; Eakin, C.M.; Meko, D.M.; Stahle, D.W. Long-term aridity changes in the western United States. Science 2004, 306, 1015–1018. [Google Scholar] [CrossRef]
- Dai, A.; Trenberth, K.E.; Qian, T. A global dataset of Palmer Drought Severity Index for 1870–2002: Relationship with soil moisture and effects of surface warming. J. Hydrometeorol. 2004, 5, 1117–1130. [Google Scholar] [CrossRef]
- García, E. Distribución de la precipitación en la República Mexicana. Investig. Geográficas 2003, 50, 67–76. [Google Scholar]
- Mosiño, P.A.; García, E. The climate of Mexico. In World Survey of Climatology; Bryson, R.A., Hare, F.K., Eds.; Elsevier Science Ltd.: Oxford, UK, 1974; Volume 2, pp. 345–404. [Google Scholar]
- Pyke, C.B. Some Meteorological Aspects of the Seasonal Distribution of Precipitation in the Western United States and Baja California; University of California Water Resources Center Contribution: Los Angeles, CA, USA, 1972; 205p. [Google Scholar]
- Szejner, P.; Wright, W.E.; Babst, F.; Belmecheri, S.; Trouet, V.; Leavitt, S.W.; Ehleringer, J.R.; Monson, R.K. Latitudinal gradients in tree ring stable carbon and oxygen isotopes reveal differential climate influences of the North American Monsoon System. J. Geophys. Res. Biogeosci. 2016, 121, 1978–1991. [Google Scholar] [CrossRef]
- Higgins, R.W.; Chen, Y.; Douglas, A.V. Interannual variability of the North American warm season precipitation regime. J. Clim. 1999, 12, 653–680. [Google Scholar] [CrossRef]
- Walker, B.H.; Steffen, W.L. The Nature of Global Change. In The Terrestrial Biosphere and Global Change; Walker, B.H., Steffen, W.L., Canadell, J., Ingram, J., Eds.; Cambridge University Press: Cambridge, UK, 1999; pp. 1–18. [Google Scholar]
- Wolter, K.; Timlin, M.S. El Niño/Southern Oscillation behaviour since 1871 as diagnosed in an extended multivariate ENSO index (MEI. ext). Int. J. Climatol. 2011, 31, 1074–1087. [Google Scholar] [CrossRef]
- Magaña, R.V.O.; Quintanar, A. On the use of a general circulation model to study regional climate. In Numerical Simulations in the Environmental and Earth Sciences, Proceedings of the Second UNAM-Cray Supercomputing Conference, Mexico City, 21–24 June; Cambridge University Press: Cambridge, UK, 1995; pp. 39–48. [Google Scholar]
- Stahle, D.W.; D’Arrigo, R.D.; Krusic, P.J.; Cleaveland, M.K.; Cook, E.R.; Allan, R.J.; Cole, J.E.; Dunbar, R.B.; Therrell, M.D.; Gay, D.A.; et al. Experimental dendroclimatic reconstruction of the Southern Oscillation. Bull. Am. Meteorol. Soc. 1998, 79, 2137–2152. [Google Scholar] [CrossRef]
- Magaña, R.V.O.; Amador, J.A.; Medina, S. The midsummer drought over Mexico and Central America. J. Clim. 1999, 12, 1577–1588. [Google Scholar] [CrossRef]
- Instituto Mexicano de Tecnología del Agua (IMTA). Extractor Rápido de Información Climatológica III (ERIC), Software 2009; Jiutepec, México. Available online: https://es.scribd.com/document/358805978/ERIC-III-Extractor-Rapida-de-Informacion-Climatologica (accessed on 4 April 2024).
- Trenberth, K.E.; Hoar, T.J. The 1990–1995 El Niño-Southern Oscillation event: Longest on record. Geophys. Res. Lett. 1996, 23, 57–60. [Google Scholar] [CrossRef]
- Trenberth, K.E.; Hoar, T.J. El Niño and climate change. Geophys. Res. Lett. 1997, 24, 3057–3060. [Google Scholar] [CrossRef]
- Allan, R.J.; D’Arrigo, R.D. ‘Persistent’ ENSO sequences: How unusual was the 1990–1995 El Niño? Holocene 1999, 9, 101–118. [Google Scholar] [CrossRef]
- Fedorov, A.V.; Philander, S.G. Is El Niño changing? Science 2000, 288, 1997–2002. [Google Scholar] [CrossRef]
- Gergis, J.L.; Fowler, A.M. Classification of synchronous oceanic and atmospheric El Niño-Southern Oscillation (ENSO) events for palaeoclimate reconstruction. Int. J. Climatol. A J. R. Meteorol. Soc. 2005, 25, 1541–1565. [Google Scholar] [CrossRef]
- Mendelssohn, R.; Bograd, S.J.; Schwing, F.B.; Palacios, D.M. Teaching old indices new tricks: A state-space analysis of El Niño related climate indices. Geophys. Res. Lett. 2005, 32, 1–4. [Google Scholar] [CrossRef]
- Solow, A.R. An ENSO shift revisited. Geophys. Res. Lett. 2006, 33, 1–3. [Google Scholar] [CrossRef]
- Jones, P.D.; Mann, M.E. Climate over past millennia. Rev. Geophys. 2004, 42, 1–42. [Google Scholar] [CrossRef]
- He, M.; Yang, B.; Shishov, V.; Rossi, S.; Bräuning, A.; Ljungqvist, F.C.; Grießinger, J. Projections for the changes in growing season length of tree-ring formation on the Tibetan Plateau based on CMIP5 model simulations. Int. J. Biometeorol. 2018, 62, 631–641. [Google Scholar] [CrossRef] [PubMed]
- Cook, E.R.; Seager, R.; Heim, R.R., Jr.; Vose, R.S.; Herweijer, C.; Woodhouse, C. Megadroughts in North America: Placing IPCC projections of hydroclimatic change in a long-term palaeoclimate context. J. Quat. Sci. 2020, 25, 48–61. [Google Scholar] [CrossRef]
- Esper, J.; Frank, D.C.; Timonen, M.; Zorita, E.; Wilson, R.J.; Luterbacher, J.; Holzkämper, S.; Fischer, N.; Wagner, S.; Nievergelt, D.; et al. Orbital forcing of tree-ring data. Nat. Clim. Change 2012, 2, 862–866. [Google Scholar] [CrossRef]
- Büntgen, U.; Myglan, V.S.; Ljungqvist, F.C.; McCormick, M.; Di Cosmo, N.; Sigl, M.; Jungclaus, J.; Wagner, S.; Krusic, P.J.; Esper, J.; et al. Cooling and societal change during the Late Antique Little Ice Age from 536 to around 660 AD. Nat. Geosci. 2016, 9, 231–236. [Google Scholar] [CrossRef]
- Cerano-Paredes, J.; Villanueva-Díaz, J.; Fulé, P.Z.; Arreola-Ávila, J.G.; Sánchez-Cohen, I.; Valdez-Cepeda, R.D. Reconstrucción de 350 años de precipitación para el suroeste de Chihuahua, México. Madera Y Bosques 2009, 15, 27–44. [Google Scholar] [CrossRef][Green Version]
- Díaz, S.C.; Therrell, M.D.; Stahle, D.W.; Cleaveland, M.K. Chihuahua (Mexico) winter-spring precipitation reconstructed from tree-rings, 1647–1992. Clim. Res. 2002, 22, 237–244. [Google Scholar] [CrossRef]
- Díaz, R.B.; Villanueva-Díaz, J.; Cerano-Paredes, J. Reconstrucción de la precipitación estacional con anillos de crecimiento para la región hidrológica Presidio-San Pedro. Madera Y Bosques 2016, 22, 111–123. [Google Scholar]
- Martínez-Sifuentes, A.R.; Villanueva-Díaz, J.; Carlón-Allende, T.; Estrada-Ávalos, J. 243 years of reconstructed streamflow volume and identification of extreme hydroclimatic events in the Conchos River Basin, Chihuahua, Mexico. Trees 2020, 34, 1347–1361. [Google Scholar] [CrossRef]
- Liverman, D.M. Vulnerability and adaptation to drought in Mexico. Nat. Resour. J. 1999, 39, 99. [Google Scholar]
- Eakin, H. Smallholder maize production and climatic risk: A case study from Mexico. Clim. Change 2000, 45, 19–36. [Google Scholar] [CrossRef]
- Douglas, M.; Maddox, R.; Howard, K.; Reyes, S. The Mexican Monsoon. J. Clim. 1993, 6, 1665–1667. [Google Scholar] [CrossRef]
- Secretaría de Medio Ambiente y Recursos Naturales (SEMARNAT); Comisión Nacional de Áreas Naturales Protegidas (CONANP). Programa de Manejo Área de Protección de Flora y Fauna Papigochic, 1st ed.; Comisión Nacional de Áreas Naturales Protegidas (CONANP): Chihuahua, México, 2017; 166p. [Google Scholar]
- Instituto Nacional de Estadística, Geografía e Informática (INEGI). Anuario Estadístico y Geográfico de Chihuahua; Gobierno del Estado de Chihuahua: Chihuahua, México, 2015. [Google Scholar]
- Speer, J.H. Fundamentals of Tree-Ring Research; University of Arizona Press: Tucson, AZ, USA, 2010. [Google Scholar]
- Stokes, M.A.; Smiley, T.L. An Introduction to Tree Ring Dating; University of Chicago Press: Chicago, IL, USA, 1968; 73p. [Google Scholar]
- Robinson, W.J.; Evans, R. A microcomputer-based tree-ring measuring system. Tree-Ring Bull. 1980, 40, 59–64. [Google Scholar]
- Holmes, R.L. Computer-assisted quality control in tree-ring dating and measurement. Tree-Ring Bull. 1983, 43, 69–78. [Google Scholar]
- Cook, E.R.; Holmes, R.H. Program ARSTAN and User’s Manual; Laboratory of Tree-Ring Research, University of Arizona: Tucson, AZ, USA, 1984; 15p. [Google Scholar]
- Fritts, H.C. Tree-Rings and Climate; Blackburn Press: Caldwell, NJ, USA, 2001. [Google Scholar]
- Stat Soft Inc. Statistica for Windows (Computer Program Manual); StatSoft, Inc.: Tulsa, OK, USA, 2011. [Google Scholar]
- Fritts, H.C. Tree rings, a record of seasonal variations in past climate. Naturwissenschaften 1978, 65, 48–56. [Google Scholar] [CrossRef]
- Wigley, T.M.; Briffa, K.R.; Jones, P.D. On the average value of correlated time series, with applications in dendroclimatology and hydrometeorology. J. Clim. Appl. Meteorol. 1984, 23, 201–213. [Google Scholar] [CrossRef]
- Terán, C.A.R. Escenarios de lluvia en México. Ph.D. Thesis, CIEMAD-IPN, Mexico City, Mexico, 2010. [Google Scholar]
- Hersbach, H.; Bell, B.; Berrisford, P.; Hirahara, S.; Horányi, A.; Muñoz-Sabater, J.; Nicolas, J.; Peubey, C.; Radu, R.; Schepers, D.; et al. The ERA5 global reanalysis. Q. J. R. Meteorol. Soc. 2020, 146, 1999–2049. [Google Scholar] [CrossRef]
- Fritts, H.C. Reconstructing Large-Scale Climatic Patterns from Tree-Ring Data; University of Arizona Press: Tucson, AZ, USA, 1991; 286p. [Google Scholar]
- Cook, E.R.; Peters, K. The smoothing spline: A new approach to standardizing forest interior tree-ring width series for dendroclimatic studies. Tree-Ring Bull. 1981, 41, 45–53. [Google Scholar]
- Cook, E.R. Niño 3 index reconstruction. International Tree-Ring Data Bank. In IGBP PAGES/World Data Center-A for Paleoclimatology Data Contribution Series Number 2000-052; NOAA/NGDC Paleoclimatology Program: Boulder, CO, USA, 2000. [Google Scholar]
- Software Matemático, MATLAB Versión 6.5; MathWorks: Natick, MA, USA, 2002.
- Stahle, D.W.; Cook, E.R.; Burnette, D.J.; Villanueva, D.J.; Cerano, P.J.; Burns, J.N.; Griffin, D.; Cook, B.I.; Acuña, S.R.; Torbenson, M.C.A.; et al. The Mexican Drought Atlas: Tree-Ring Reconstructions of the Soil Moisture Balance During the Late Pre-Hispanic, Colonial, and Modern Eras. Quat. Sci. Rev. 2016, 149, 34–60. [Google Scholar] [CrossRef]
- Stahle, D.W.; Cleaveland, M.K. Southern oscillation extremes reconstructed from tree-rings of the Sierra Madre Occidental and Southern Great Plains. J. Clim. 1993, 6, 129–140. [Google Scholar] [CrossRef]
- Stahle, D.W.; Cleaveland, M.K.; Therrell, M.D.; Villanueva, D.J. Tree-ring reconstruction of winter and summer precipitation in Durango, Mexico, for the past 600 years. In Proceedings of the 10th Conference of Global Change Studies, American Meteorological Society 79th Annual Meeting, Dallas, TX, USA, 10–15 January 1999; pp. 205–211. [Google Scholar]
- Chávez-Gandara, M.P.; Cerano-Paredes, J.; Nájera-Luna, J.A.; Pereda-Breceda, V.; Esquivel-Arriaga, G.; Cervantes-Martínez, R.; Corral-Rivas, S. Reconstrucción de la precipitación invierno-primavera con base en anillos de crecimiento de árboles para la región de San Dimas, Durango, México. Bosque 2017, 38, 387–399. [Google Scholar] [CrossRef]
- González, E.M.; González, E.M.S.; Villanueva, D.J.; Cerano, P.J. Evaluación del potencial dendroclimático de Pinus lumholtzii BL Rob & Fernald. In Revista Mexicana de Ciencias Forestales; Instituto Nacional de Investigaciones Forestales, Agricolas y Pecuarias: Mexico City, Mexico, 2017; Volume 8. [Google Scholar]
- Santillán, H.M.; Cornejo, O.E.H.; Villanueva, D.J.; Cerano, P.J.; Valencia, M.S.; Capó, A.M.A. Potencial dendroclimático de Pinus pinceana Gordon en la Sierra Madre Oriental. Madera Y Bosques 2010, 16, 17–30. [Google Scholar] [CrossRef]
- Briffa, K.R.; Jones, P.D. Basic chronology statistics and assessment. In Methods of Dendrochronology: Applications in the Environmental Sciences; Cook, E.R., Kairiukstis, L.A., Eds.; Kluwer Academic Publishers: Dordrecht, The Netherlands, 1990; pp. 137–152. [Google Scholar]
- Griffin, D.; Woodhouse, C.A.; Meko, D.M.; Stahle, D.W.; Faulstich, H.L.; Carrillo, C.; Touchan, R.; Castro, C.L.; Leavitt, S.W. North American monsoon precipitation reconstructed from tree-ring latewood. Geophys. Res. Lett. 2013, 40, 954–958. [Google Scholar] [CrossRef]
- Leverenz, J.W. Photosynthesis and transpiration in large forest-grown Douglas fir: Diurnal variation. Can. J. Bot. 1981, 59, 349–356. [Google Scholar] [CrossRef]
- Cuny, H.E.; Rathgeber, C.B.K.; Frank, D.; Fonti, P.; Mäkinen, H.; Prislan, P.; Rossi, S.; Martinez del Castillo, E.; Campelo, F.; Vavrčík, H.; et al. Woody biomass production lags stem-girth increase by over one month in coniferous forests. Nat. Plants 2015, 1, 1–6. [Google Scholar] [CrossRef]
- Ziaco, E.; Truettner, C.; Biondi, F.; Bullock, S. Moisture-driven xylogenesis in Pinus ponderosa from a Mojave Desert mountain reveals high phenological plasticity. Plant Cell Environ. 2018, 41, 823–836. [Google Scholar] [CrossRef]
- Pacheco, A.; Camarero, J.J.; Pompa-García, M.; Battipaglia, G.; Voltas, J.; Carrer, M. Growth, wood anatomy and stable isotopes show species-specific couplings in three Mexican conifers inhabiting drought-prone areas. Sci. Total Environ. 2020, 698, 134055. [Google Scholar] [CrossRef]
- Marlés, M.J.; Valor, I.T.; Claramunt, L.B.; Pérez, S.D.R.; Maneja, Z.R.; Sánchez, M.S.; Boada, J.M. Análisis dendroclimático de Pinus pseudostrobus y Pinus devoniana en los municipios de Áporo y Zitácuaro (Michoacán), Reserva de la Biósfera de la Mariposa Monarca. Investig. Geográficas 2015, 88, 19–32. [Google Scholar] [CrossRef]
- Gutiérrez-García, G.; Ricker, M. Influencia del clima en el crecimiento radial en cuatro especies de coníferas en la sierra de San Antonio Peña Nevada (Nuevo León, México). Rev. Mex. De Biodivers. 2019, 90, 1–14. [Google Scholar] [CrossRef]
- Litton, C.M.; Raich, J.W.; Ryan, M.G. Carbon allocation in forest ecosystems. Glob. Change Biol. 2007, 13, 2089–2109. [Google Scholar] [CrossRef]
- Huang, J.; Tardif, J.C.; Bergeron, Y.; Denneler, B.; Berninger, F.; Girardin, M.P. Radial growth response of four dominant boreal tree species to climate along a latitudinal gradient in the eastern Canadian boreal forest. Glob. Change Biol. 2010, 16, 711–731. [Google Scholar] [CrossRef]
- Pompa-García, M.; Cerano-Paredes, J.; Fulé, P.Z. Variation in radial growth Pinus cooperi in response to climatic signals across an elevational gradient. Dendrochronologia 2013, 31, 198–204. [Google Scholar] [CrossRef]
- Caso, M.; González-Abraham, C.; Ezcurra, E. Divergent ecological effects of oceanographic anomalies on terrestrial ecosystems of the Mexican Pacific coast. Proc. Natl. Acad. Sci. USA 2007, 104, 10530–10535. [Google Scholar] [CrossRef]
- Seager, R.; Tzanova, A.; Nakamura, J. Drought in the southeastern United States: Causes, variability over the last millennium, and the potential for future hydroclimate change. J. Clim. 2009, 22, 5021–5045. [Google Scholar] [CrossRef]
- Gergis, J.L.; Fowler, A.M. A history of ENSO events since AD 1525: Implications for future climate change. Clim. Change 2009, 92, 343–387. [Google Scholar] [CrossRef]
- Carrillo, C.M.; Castro, C.L.; Garfin, G.; Chang, H.I.; Bukovsky, M.S.; Mearns, L.O. Pacific sea surface temperature related influences on North American monsoon precipitation within North American Regional Climate Change Assessment Program models. Int. J. Climatol. 2018, 38, 4189–4210. [Google Scholar] [CrossRef]
- Castro, C.L.; McKee, T.B.; Pielke, R.A. The relationship of the North American monsoon to tropical and North Pacific Sea surface temperatures as revealed by observational analyses. J. Clim. 2001, 14, 4449–4473. [Google Scholar] [CrossRef]
- Castro, C.L.; Chang, H.I.; Dominguez, F.; Carrillo, C.; Schemm, J.K.; Henry Juang, H.M. Can a regional climate model improve the ability to forecast the North American monsoon? J. Clim. 2012, 25, 8212–8237. [Google Scholar] [CrossRef]
- Leavitt, S.W.; Wright, W.E.; Long, A. Spatial expression of ENSO, drought, and summer monsoon in seasonal δ13C of ponderosa pine tree rings in southern Arizona and New Mexico. J. Geophys. Res. Atmos. 2002, 107, ACL-3. [Google Scholar] [CrossRef]
- Sheppard, P.R.; Comrie, A.C.; Packin, G.D.; Angersbach, K.; Hughes, M.K. The climate of the US Southwest. Clim. Res. 2002, 21, 219–238. [Google Scholar] [CrossRef]
- Metcalfe, S.E.; Barron, J.A.; Davies, S.J. The Holocene history of the North American Monsoon: ‘known knowns’ and ‘known unknowns’ in understanding its spatial and temporal complexity. Quat. Sci. Rev. 2015, 120, 1–27. [Google Scholar] [CrossRef]
- Stahle, D.W.; Cook, E.R.; Villanueva, D.J.; Fye, F.K.; Burnette, D.J.; Griffin, D.; Acuña, S.R.; Seager, R.; Heim, R.R. Early 21st Century Drought in Mexico. EOS 2009, 90, 89–90. [Google Scholar] [CrossRef]
- Cerano-Paredes, J.; Villanueva-Díaz, J.; Valdez-Cepeda, R.D.; Méndez-González, J.; Constante-García, V. Sequías reconstruidas en los últimos 600 años para el noreste de México. Rev. Mex. De Cienc. Agrícolas 2011, 2, 235–249. [Google Scholar]
- Therrell, D.M.; Stahle, D.W.; Villanueva-Díaz, J.; Cornejo-Oviedo, E.; Cleaveland, M.K. Tree-ring reconstructed maize yield in central Mexico: 1474–2001. Climtic Change 2006, 74, 493–504. [Google Scholar] [CrossRef]
- Harrington, J.A., Jr.; Cerveny, R.S.; Balling, R.C., Jr. Impact of the Southern Oscillation on the North American southwest monsoon. Phys. Geogr. 1992, 13, 318–330. [Google Scholar] [CrossRef]
- Webb, R.H.; Betancourt, J.L. Climatic Variability and Flood Frequency of the SANTA Cruz River, Pima County, Arizona (No. 2379); US Geological Survey: Reston, VA, USA, 1992. [Google Scholar] [CrossRef]
- Seager, R.; Ting, M.; Davis, M.; Cane, M.; Naik, N.; Nakamura, J.; Li, C.; Cook, E.; Stahle, D. Mexican drought: An observational modeling and tree ring study of variability and climate change. Atmosfera 2009, 22, 1–31. [Google Scholar]
- Kerhoulas, L.P.; Kolb, T.E.; Koch, G.W. The influence of monsoon climate on latewood growth of southwestern ponderosa pine. Forests 2017, 8, 140. [Google Scholar] [CrossRef]










| Site Name | Site Code | Long W | Lat N | Elevation (m) | No. of Trees | No. of Samples Collected | No. of Samples Crossdated/% |
|---|---|---|---|---|---|---|---|
| Predio Particular las Chinas | PPC | −107.6004 | 28.0384 | 2536 | 52 | 129 | 107/83 |
| El Cuervo | CUE | −107.7756 | 27.9492 | 2458 | 58 | 133 | 118/89 |
| Talayotes | TAL | −107.5486 | 27.9902 | 2648 | 45 | 135 | 134/99 |
| Regional | REG | --- | --- | --- | 155 | 397 | 359/90 |
| Climate Station | Long W | Lat N | Elevation (m) | Total Period | No. of Years |
|---|---|---|---|---|---|
| Creel, Bocoyna | −107.634 | 27.755 | 2345 | 1981–2015 | 35 |
| Huicorachi, Bocoyna (E46182) a | −107.491 | 27.666 | 2281 | 1981–2015 | 35 |
| Arroyo de Agua, Maguarichic (E47137) a | −107.966 | 27.938 | 2198 | 1981–2015 | 35 |
| La Tinaja, Temósachic (E50658) a | −107.871 | 28.937 | 2065 | 1981–2015 | 35 |
| Site | Span (Years) | Avg r a | MS b | EPS c |
|---|---|---|---|---|
| PPC | 1750–2014 (265) | 0.66 (p < 0.01) | 0.40 | 1803 |
| CUE | 1647–2015 (369) | 0.46 (p < 0.01) | 0.29 | 1700 |
| TAL | 1802–2015 (214) | 0.71 (p < 0.01) | 0.45 | 1843 |
| Regional | 1647–2015 (369) | 0.58 (p < 0.01) | 0.38 | 1700 |
| Duration (Years) | Dry Periods | Wet Periods |
|---|---|---|
| 2 | 1707–1708 | |
| 3 | 2011–2013 | |
| 4 | 1934–1937 | 1735–1738, 1812–1815, 1958–1961, 1990–1993 |
| 5 | 1801–1805, 1839–1843, 1907–1911 | 1830–1834, 1924–1928, 1940–1944 |
| 6 | 1700–1705, 1779–1784 | |
| 7 | 1691–1697, 1890–1896, 1951–1957, 1994–2000 | |
| 8 | 1673–1680, 1819–1826 | |
| 9 | 1759–1767, 1859–1867 | |
| Driest years (Precipitation < 400 mm) | Wettest years (Precipitation > 700 mm) | |
| 1691 (343.9) | 1650 (712.1) | |
| 1727 (350.7) | 1729 (729.8) | |
| 1785 (389.4) | 1815 (712.3) | |
| 1951 (356.3) | 1968 (727.4) | |
| 1974 (374.2) | 1981 (721.5) | |
| 2011 (365.7) | 2015 (786.7) | |
Disclaimer/Publisher’s Note: The statements, opinions and data contained in all publications are solely those of the individual author(s) and contributor(s) and not of MDPI and/or the editor(s). MDPI and/or the editor(s) disclaim responsibility for any injury to people or property resulting from any ideas, methods, instructions or products referred to in the content. |
© 2025 by the authors. Licensee MDPI, Basel, Switzerland. This article is an open access article distributed under the terms and conditions of the Creative Commons Attribution (CC BY) license (https://creativecommons.org/licenses/by/4.0/).
Share and Cite
Cervantes-Martínez, R.; Cerano-Paredes, J.; Iniguez, J.M.; Cambrón-Sandoval, V.H.; Esquivel-Arriaga, G.; Villanueva-Díaz, J. Dendrochronological Reconstruction of January–September Precipitation Variability (1647–2015A.D) Using Pinus arizonica in Southwestern Chihuahua, Mexico. Forests 2025, 16, 1639. https://doi.org/10.3390/f16111639
Cervantes-Martínez R, Cerano-Paredes J, Iniguez JM, Cambrón-Sandoval VH, Esquivel-Arriaga G, Villanueva-Díaz J. Dendrochronological Reconstruction of January–September Precipitation Variability (1647–2015A.D) Using Pinus arizonica in Southwestern Chihuahua, Mexico. Forests. 2025; 16(11):1639. https://doi.org/10.3390/f16111639
Chicago/Turabian StyleCervantes-Martínez, Rosalinda, Julián Cerano-Paredes, José M. Iniguez, Víctor H. Cambrón-Sandoval, Gerardo Esquivel-Arriaga, and José Villanueva-Díaz. 2025. "Dendrochronological Reconstruction of January–September Precipitation Variability (1647–2015A.D) Using Pinus arizonica in Southwestern Chihuahua, Mexico" Forests 16, no. 11: 1639. https://doi.org/10.3390/f16111639
APA StyleCervantes-Martínez, R., Cerano-Paredes, J., Iniguez, J. M., Cambrón-Sandoval, V. H., Esquivel-Arriaga, G., & Villanueva-Díaz, J. (2025). Dendrochronological Reconstruction of January–September Precipitation Variability (1647–2015A.D) Using Pinus arizonica in Southwestern Chihuahua, Mexico. Forests, 16(11), 1639. https://doi.org/10.3390/f16111639

