Growth Behavior of Multi-Element Compound Layers During Reactive Diffusion Between Solid CoCrFeMnNi Alloy and Liquid Al
Abstract
1. Introduction
2. Experimental Procedures
2.1. Sample Preparation
2.2. Microstructure Characterization
3. Results and Discussion
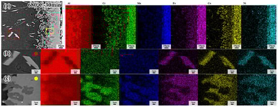
3.1. Microstructure
3.2. Phase Composition of Diffusion Layer
3.3. Diffusion Thermodynamics Analysis
3.3.1. Diffusion Mechanism of Layers
3.3.2. Activation Energy of Layer Growth
4. Conclusions
- At 660 °C, the intermetallic compounds controlled by temperature consist of a two-phase layer and a homogeneous layer, which form as continuous strips between the CoCrFeMnNi HEA and Al in the interdiffusion area, with no precipitations in the core of Al. The particle and block precipitations form in the two-phase layer after increasing the temperature.
- In the order from the CoCrFeMnNi HEA to Al, the phases of the L1 to L3 layers, called the homogeneous layers, are Al(Co, Cr, Fe, Mn, Ni), Al13(Co, Cr, Fe, Mn, Ni)4 and Al4(Co, Cr, Fe, Mn, Ni), while the L4 layer, called the two-phases layer consisted of Mn/Cr-rich and Co/Fe/Ni-rich phases, namely Al4(Cr, Mn) and Al9(Co, Fe, Ni)2, respectively.
- The growth mechanism of Al13(Co, Cr, Fe, Mn, Ni)4 and Al4(Co, Cr, Fe, Mn, Ni) is a mixture of grain boundary diffusion and bulk diffusion, while the growth of Al4(Cr, Mn) and Al9(Co, Fe, Ni)2 is controlled by bulk diffusion and interfacial reactions.
- The slow diffusion effect of CoCrFeMnNi HEA causes a higher activation energy than other compounds with the same structure, which causes the higher activation energy of Al13(Co, Cr, Fe, Mn, Ni)4 and Al4(Co, Cr, Fe, Mn, Ni), which are 164.5 KJ/mol and 205.8 KJ/mol, respectively.
Author Contributions
Funding
Institutional Review Board Statement
Informed Consent Statement
Data Availability Statement
Acknowledgments
Conflicts of Interest
References
- Georgantzia, E.; Gkantou, M.; Kamaris, G. Aluminium alloys as structural material: A review of research. Eng. Struct. 2021, 227, 111372. [Google Scholar] [CrossRef]
- Kablov, E.; Antipov, V.; Oglodkova, J.; Oglodkov, M. Development and application prospects of aluminum-lithium alloys in aircraft and apace technology. Metallurgist 2021, 65, 72–81. [Google Scholar]
- Bayoumy, D.; Kan, W.; Wu, X.; Zhu, Y.; Huang, A. The latest development of Sc-strengthened aluminum alloys by laser powder bed fusion. J. Mater. Sci. Technol. 2023, 149, 1–17. [Google Scholar] [CrossRef]
- Duan, Z.; Li, C.; Ding, W.; Zhang, Y.; Yang, M.; Gao, T.; Cao, H.J.; Xu, X.F.; Wang, D.Z.; Mao, C.; et al. Milling force model for aviation aluminum alloy: Academic insight and perspective analysis. Chin. J. Mech. Eng. 2021, 34, 18. [Google Scholar] [CrossRef]
- Zhang, M.S.; Tian, Y.Q.; Zheng, X.P.; Zhang, Y.; Chen, L.S.; Wang, J.S. Research progress on multi-component alloying and heat treatment of high strength and toughness Al-Si-Cu-Mg cast aluminum alloys. Materials 2023, 16, 1065. [Google Scholar] [CrossRef] [PubMed]
- Zhang, J.L.; Song, B.; Wei, Q.S.; Bourell, D.; Shi, Y.S. A review of selective laser melting of aluminum alloys: Processing, microstructure, property and developing trends. J. Mater. Sci. Technol. 2019, 35, 270–284. [Google Scholar] [CrossRef]
- Zhong, Z.W.; Leong, M.H.; Liu, X.D. The wear rates and performance of three mold insert materials. Mater. Des. 2021, 32, 643–648. [Google Scholar] [CrossRef]
- Wang, Q.Y.; Yang, H.; Li, X.H.; Zhang, G.D. Study of corrosion mechanism of cast iron in molten aluminum. Mater. Res. Express 2020, 7, 016534. [Google Scholar] [CrossRef]
- Jhavar, S.; Paul, C.P.; Jain, N.K. Causes of failure and repairing options for dies and molds: A review. Eng. Fail. Anal. 2013, 34, 519–535. [Google Scholar] [CrossRef]
- Bazhenov, V.E.; Petrova, A.V.; Rizhsky, A.A.; Tselovalnik, Y.V.; Sannikov, A.V.; Belov, V.D. Simulation and experimental validation of A356 and AZ91 alloy fluidity in a graphite mold. Int. J. Metalcast. 2021, 15, 319–325. [Google Scholar] [CrossRef]
- Bazhenov, V.E.; Petrova, A.V.; Rizhsky, A.A.; Tselovalnik, Y.V.; Sannikov, A.V.; Belov, V.D. Investigation of the interfacial heat transfer coefficient at the metal-mold interface during casting of an A356 aluminum alloy and AZ81 magnesium alloy into steel and graphite molds. Int. J. Metalcast. 2021, 15, 625–637. [Google Scholar] [CrossRef]
- Giorleo, L.; Bonaventi, M. Casting of complex structures in aluminum using gypsum molds produced via binder jetting. Rapid Prototyp. J. 2021, 27, 13–23. [Google Scholar] [CrossRef]
- Gecu, R.; Karaaslan, A. Microstructural and tribological characterization of stainless steel-reinforced aluminum matrix bimetal composites produced at various mold burnout temperatures. Tribol. Trans. 2019, 62, 249–261. [Google Scholar] [CrossRef]
- Zeka, B.; Markoli, B.; Mrvar, P.; Medved, J.; Petric, M. Suitability of moulding materials for Al-Li alloy casting. Mater. Techol. 2021, 55, 311–316. [Google Scholar] [CrossRef]
- Kim, J.M.; Shin, K.; Shin, J.S. Microstructural evolution and growth of intermetallic compounds at the interface between solid cast iron and liquid Al-Si alloy. Metals 2020, 10, 759. [Google Scholar] [CrossRef]
- Yang, J.; Hu, A.; Ouyang, H.; Zhang, P.; Saha, D.C.; Yu, Z.S. Heat input, intermetallic compounds and mechanical properties of Al/steel cold metal transfer joints. J. Mater. Process. Technol. 2019, 272, 40–46. [Google Scholar] [CrossRef]
- Liu, F.C.; Dong, P. From thick intermetallic to nanoscale amorphous phase at Al-Fe joint interface: Roles of friction stir welding conditions. Scr. Mater. 2021, 191, 167–172. [Google Scholar] [CrossRef]
- Xie, J.; Cai, C.; Zhang, B.B.; Yu, J.; Liu, Y.H.; Chen, H. Microstructure evolution and fracture behavior of rotating laser welded-brazed 6061 aluminum alloys/304 SS dissimilar joint. Mater. Charact. 2023, 195, 112543. [Google Scholar] [CrossRef]
- Yang, J.; Oliveira, J.P.; Li, Y.L.; Tan, C.W.; Gao, C.K.; Zhao, Y.X.; Yu, Z.S. Laser techniques for dissimilar joining of aluminum alloys to steels: A critical review. J. Mater. Process. Technol. 2022, 301, 117443. [Google Scholar] [CrossRef]
- Yeh, J.; Chen, S.; Lin, S.; Gan, J.; Chin, T.; Shun, T.; Tsau, C.; Chang, S. Nanostructured high-entropy alloys with multiple principal elements: Novel alloy design concepts and outcomes. Adv. Eng. Mater. 2004, 6, 299–303. [Google Scholar] [CrossRef]
- Senkov, O.; Miller, J.; Miracle, D.; Woodward, C. Accelerated exploration of multi-principal element alloys with solid solution phases. Nat. Commun. 2015, 6, 6529. [Google Scholar] [CrossRef]
- George, E.P.; Raabe, D.; Ritchie, R.O. High-entropy alloys. Nat. Rev. Mater. 2019, 4, 515–534. [Google Scholar] [CrossRef]
- Sharma, M.M.; Kumar, K.; Sang, L.; Wang, X.; Awana, V. Type-II superconductivity below 4K in Sn0.4Sb0.6. J. Alloys Compd. 2020, 884, 156140. [Google Scholar] [CrossRef]
- Upreti, D.; Basnet, R.; Sharma, M.M.; Chhetri, S.K.; Acharya, G.; Nabi, M.R.U.; Sakon, J.; Benamara, M.; Mortazavi, M.; Hu, J. Medium-entropy engineering of magnetism in layered antiferromagnet cuxni2(1-x)crxp2s6. Adv. Funct. Mater. 2025, 35, 2418722. [Google Scholar] [CrossRef]
- Constantin, G.; Balan, E.; Voiculescu, I.; Geanta, V.; Craciun, V. Cutting behavior of Al0.6CoCrFeNi high entropy alloy. Materials 2020, 13, 4181. [Google Scholar] [CrossRef]
- Fu, Y.; Li, J.; Luo, H.; Du, C.W.; Li, X.G. Recent advances on environmental corrosion behavior and mechanism of high-entropy alloys. J. Mater. Sci. Technol. 2021, 80, 217–233. [Google Scholar] [CrossRef]
- Pickering, E.; Carruthers, A.; Barron, P.; Middleburgh, S.; Armstrong, D.; Gandy, A.S. High-entropy alloys for advanced nuclear applications. Entropy 2021, 23, 98. [Google Scholar] [CrossRef]
- Tong, Y.; Chen, D.; Han, B.; Wang, J.; Feng, R.; Yang, T.; Zhao, C.; Zhao, Y.L.; Guo, W.; Shimizu, Y.; et al. Outstanding tensile properties of a precipitation-strengthened FeCoNiCrTi0.2 high-entropy alloy at room and cryogenic temperatures. Acta Mater. 2019, 165, 228–240. [Google Scholar] [CrossRef]
- Yao, M.J.; Pradeep, K.G.; Tasan, C.C.; Raabe, D. A novel, single phase, non-equiatomic FeMnNiCoCr high-entropy alloy with exceptional phase stability and tensile ductility. Scr. Mater. 2014, 72–73, 5–8. [Google Scholar] [CrossRef]
- Tsai, S.P.; Tsai, Y.T.; Chen, Y.W.; Chen, P.J.; Chiu, P.H.; Chen, C.Y.; Lee, W.S.; Yeh, J.W.; Yang, J.R. High-entropy CoCrFeMnNi alloy subjected to high-strain-rate compressive deformation. Mater. Charact. 2019, 147, 193–198. [Google Scholar] [CrossRef]
- Shen, J.J.; Goncalves, R.; Choi, Y.T.; Lopes, J.G.; Yang, J.; Schell, N.; Kim, H.S.; Oliveira, J.P. Microstructure and mechanical properties of gas metal arc welded CoCrFeMnNi joints using a 308 stainless steel filler metal. Scr. Mater. 2013, 222, 115053. [Google Scholar] [CrossRef]
- Li, Z.; Zhang, L.C.; Gain, A.K. An investigation on the wear and subsurface deformation mechanism of CoCrFeMnNi high entropy alloy at subzero temperature. Wear 2023, 524–525, 204868. [Google Scholar] [CrossRef]
- Schuh, B.; Mendez-Martin, F.; Völker, B.; George, E.P.; Clemens, H.; Pippan, R.; Hohenwarter, A. Mechanical properties, microstructure and thermal stability of a nanocrystalline CoCrFeMnNi high-entropy alloy after severe plastic deformation. Acta Mater. 2015, 96, 258–268. [Google Scholar] [CrossRef]
- Kang, M.; Won, J.W.; Lim, K.R.; Park, S.H.; Seo, S.M.; Na, Y.S. Microstructure and mechanical properties of as-cast CoCrFeMnNi high entropy alloy. Korean J. Met. Mater. 2017, 55, 732–738. [Google Scholar] [CrossRef]
- Richter, T.; Schroepfer, D.; Rhode, M.; Boerner, A.; Neumann, R.S.; Schneider, M.; Laplanche, G. Influence of machining on the surface integrity of high- and medium-entropy alloys. Mater. Chem. Phys. 2022, 275, 125271. [Google Scholar] [CrossRef]
- Su, M.Y.; Zhang, W.H.; Tan, Y.Y.; Chen, Y.; Wang, H.Y.; Dai, L.H. Microstructural evolution of shear localization in high-speed cutting of CoCrFeMnNi high-entropy alloy. Metals 2023, 13, 647. [Google Scholar] [CrossRef]
- He, J.; Liu, W.; Wang, H.; Wu, Y.; Liu, X.J.; Nieh, T.; Lu, Z. Effects of Al addition on structural evolution and tensile properties of the FeCoNiCrMn high-entropy alloy system. Acta Mater. 2014, 62, 105–113. [Google Scholar] [CrossRef]
- Kumar, J.; Kumar, N.; Das, S.; Gurao, N.P.; Biswas, K. Effect of Al Addition on the Microstructural Evolution of Equiatomic CoCrFeMnNi Alloy. Trans. Indian Inst. Met. 2018, 71, 2749–2758. [Google Scholar] [CrossRef]
- Jindal, V.; Srivastava, V. Reactive diffusion in the roll bonded iron–aluminum system. Mater. Lett. 2006, 60, 1758–1761. [Google Scholar] [CrossRef]
- Naoi, D.; Kajihara, M. Growth behavior of Fe2Al5 during reactive diffusion between Fe and Al at solid-state temperatures. Mater. Sci. Eng. A 2007, 459, 375–382. [Google Scholar] [CrossRef]
- Yao, H.; Wen, H.; Li, G.; Chen, H.N.; Chen, K.; Kondoh, K.; Dong, X.; Zhu, H.; Wang, M. Evolution of interfacial phases between Al alloy and high entropy alloy during annealing. Mater. Charact. 2024, 211, 113890. [Google Scholar] [CrossRef]
- Wu, B.; Yu, W.; Hu, Z.; Sun, X. Microstructural evolution and mechanical properties in the self-propagating brazing joint of Al0.1CoCrFeNi HEAs and 304 SS using reactive multilayer nanofoils. Mater. Charact. 2023, 196, 112572. [Google Scholar] [CrossRef]
- Hu, Y.; Dong, Y.; Huang, X.; Li, C.Q.; Zhang, Z.R. Microstructure characteristics of a high-entropy-alloy intermetallic laminate composite. Mater. Lett. 2020, 273, 127937. [Google Scholar] [CrossRef]
- Li, Z.; Zhang, W.; Wu, Z. Nature of CoCrFeMnNi/Fe and CoCrFeMnNi/Al solid/solid interface. Acta Metall. Sin. (Eng. Lett.) 2021, 34, 1483–1491. [Google Scholar] [CrossRef]
- Bogno, A.; Nguyen-Thi, H.; Reinhart, G.; Billia, B.; Baruchel, J. Growth and interaction of dendritic equiaxed grains: In situ characterization by synchrotron X-ray radiography. Acta Mater. 2013, 61, 1303–1315. [Google Scholar] [CrossRef]
- Meguro, K.; O, M.; Kajihara, M. Growth behavior of compounds due to solid-state reactive diffusion between Cu and Al. J. Mater. Sci. 2012, 47, 4955–4964. [Google Scholar] [CrossRef]
- Gwalani, B.; Salloom, R.; Alam, T.; Valentin, S.G.; Zhou, X.; Thompson, G.; Srinivasan, S.G.; Banerjee, R. Composition-dependent apparent activation-energy and sluggish grain-growth in high entropy alloys. Mater. Res. Lett. 2019, 7, 267–274. [Google Scholar] [CrossRef]












| Sintering Parameters | Region | Content (at.%) | |||||
|---|---|---|---|---|---|---|---|
| Al | Cr | Mn | Fe | Co | Ni | ||
| 660 °C—60 min | L2 | 77.48 | 4.96 | 4.55 | 4.36 | 4.51 | 4.14 |
| L3 | 82.80 | 4.32 | 4.53 | 3.18 | 2.37 | 2.80 | |
| Co-rich | 83.68 | 0.68 | 0.83 | 3.58 | 5.66 | 5.57 | |
| Cr-rich | 84.97 | 5.30 | 5.66 | 1.68 | 0.86 | 1.53 | |
| 680 °C—60 min | L2 | 79.49 | 4.12 | 4.80 | 3.85 | 3.99 | 3.75 |
| L3 | 80.84 | 4.36 | 4.32 | 4.11 | 3.57 | 2.80 | |
| Co-rich | 83.03 | 1.07 | 0.72 | 4.21 | 8.10 | 2.87 | |
| Cr-rich | 86.87 | 8.14 | 2.79 | 0.85 | 0.63 | 0.72 | |
| Precipitate phase | 82.96 | 0.09 | 0.37 | 4.95 | 7.64 | 3.99 | |
| 700 °C—60 min | L2 | 77.83 | 4.84 | 3.67 | 4.87 | 4.79 | 4.00 |
| L3 | 81.08 | 4.62 | 4.32 | 4.54 | 3.40 | 2.04 | |
| Co-rich | 82.62 | 0.41 | 0.36 | 4.19 | 9.50 | 2.92 | |
| Cr-rich | 82.73 | 7.91 | 4.73 | 2.25 | 1.34 | 1.04 | |
| Precipitate phase | 82.68 | 0.19 | 0.50 | 4.65 | 8.00 | 3.98 | |
| Region | Content (at.%) | |||||
|---|---|---|---|---|---|---|
| Al | Cr | Mn | Fe | Co | Ni | |
| 1 | 0.24 | 33.37 | 20.42 | 27.50 | 14.80 | 3.65 |
| 2 | 19.93 | 20.15 | 14.86 | 7.44 | 11.29 | 26.30 |
| 3 | 25.86 | 1.08 | 10.73 | 4.59 | 20.58 | 37.12 |
| 4 | 43.64 | 13.16 | 9.32 | 14.68 | 11.85 | 7.31 |
| 5 | 44.94 | 10.24 | 10.50 | 13.76 | 13.92 | 6.60 |
| 6 | 51.80 | 7.79 | 8.27 | 9.67 | 14.01 | 8.42 |
| Region | Content(at.%) | |||||
|---|---|---|---|---|---|---|
| Al | Cr | Mn | Fe | Co | Ni | |
| 1 (L2) | 75.38 | 5.30 | 5.27 | 5.03 | 4.00 | 5.02 |
| 2 (L3) | 79.26 | 5.71 | 5.07 | 3.12 | 3.39 | 3.45 |
| Region | Content (at.%) | |||||
|---|---|---|---|---|---|---|
| Al | Cr | Mn | Fe | Co | Ni | |
| Cr-rich | 81.39 | 12.85 | 3.66 | 0.92 | 0.23 | 0.95 |
| Co-rich | 78.62 | 0.21 | 0.45 | 5.82 | 10.02 | 4.88 |
| Temperature (°C) | n | |||
|---|---|---|---|---|
| Total | L2 | L3 | L4 | |
| 660 | 0.52 | 0.26 | 0.30 | 0.94 |
| 680 | 0.51 | 0.40 | 0.29 | 0.33 |
| 700 | — | 0.43 | 0.38 | — |
Disclaimer/Publisher’s Note: The statements, opinions and data contained in all publications are solely those of the individual author(s) and contributor(s) and not of MDPI and/or the editor(s). MDPI and/or the editor(s) disclaim responsibility for any injury to people or property resulting from any ideas, methods, instructions or products referred to in the content. |
© 2025 by the authors. Licensee MDPI, Basel, Switzerland. This article is an open access article distributed under the terms and conditions of the Creative Commons Attribution (CC BY) license (https://creativecommons.org/licenses/by/4.0/).
Share and Cite
Yang, L.; Yang, Y.; Yao, Z.; Liu, S.; Dong, Y. Growth Behavior of Multi-Element Compound Layers During Reactive Diffusion Between Solid CoCrFeMnNi Alloy and Liquid Al. Materials 2025, 18, 4158. https://doi.org/10.3390/ma18174158
Yang L, Yang Y, Yao Z, Liu S, Dong Y. Growth Behavior of Multi-Element Compound Layers During Reactive Diffusion Between Solid CoCrFeMnNi Alloy and Liquid Al. Materials. 2025; 18(17):4158. https://doi.org/10.3390/ma18174158
Chicago/Turabian StyleYang, Longtu, Yufeng Yang, Zeqiang Yao, Shichao Liu, and Yong Dong. 2025. "Growth Behavior of Multi-Element Compound Layers During Reactive Diffusion Between Solid CoCrFeMnNi Alloy and Liquid Al" Materials 18, no. 17: 4158. https://doi.org/10.3390/ma18174158
APA StyleYang, L., Yang, Y., Yao, Z., Liu, S., & Dong, Y. (2025). Growth Behavior of Multi-Element Compound Layers During Reactive Diffusion Between Solid CoCrFeMnNi Alloy and Liquid Al. Materials, 18(17), 4158. https://doi.org/10.3390/ma18174158

