Interfacial Reactions and Mechanical Properties of Sn–58Bi Solder Joints with Ag Nanoparticles Prepared Using Ultra-Fast Laser Bonding
Abstract
1. Introduction
2. Materials and Methods
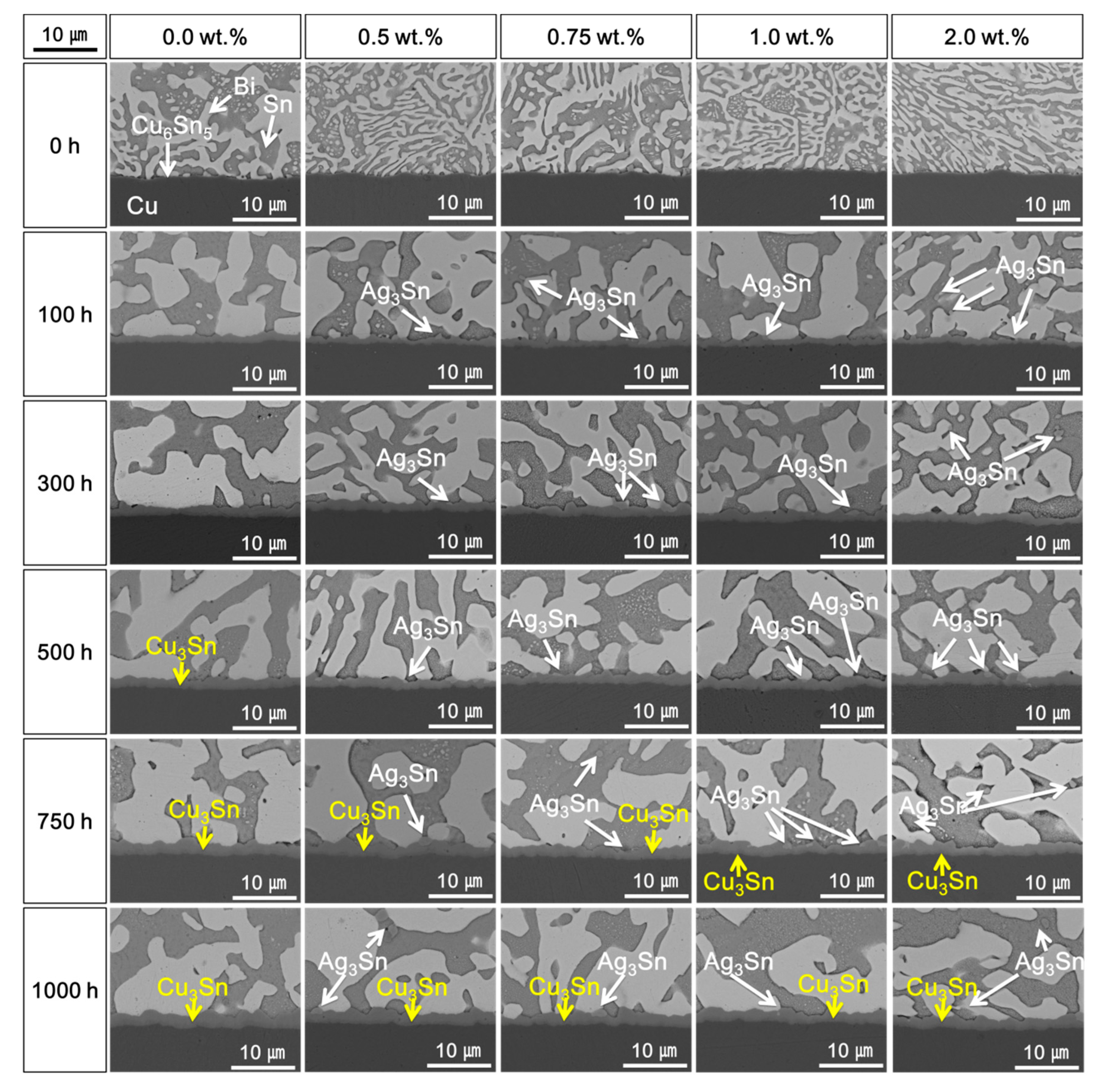
3. Results and Discussion
4. Conclusions
Author Contributions
Funding
Data Availability Statement
Acknowledgments
Conflicts of Interest
References
- Choudhury, D. 3D integration technologies for emerging microsystems. In Proceedings of the 2010 IEEE MTT-S International Microwave Symposium, Anaheim, CA, USA, 23–28 May 2010; IEEE: Piscataway, NJ, USA, 2010; pp. 1–4. [Google Scholar] [CrossRef]
- Zhu, Z.; Chan, Y.-C.; Wu, F. Failure mechanisms of solder interconnects under current stressing in advanced electronic packages: An update on the effect of alternating current (AC) stressing. Microelectron. Reliab. 2018, 91, 179–182. [Google Scholar] [CrossRef]
- Lin, J.; Lei, Y.; Wu, Z.; Yin, L. Comparison investigation of thermal fatigue and mechanical fatigue behavior of board level solder joint. In Proceedings of the 2009 International Conference on Electronic Packaging Technology & High Density Packaging, Xi’an, China, 16–19 August 2010; IEEE: Piscataway, NJ, USA, 2010; Volume 42, pp. 1179–1182. [Google Scholar] [CrossRef]
- Ma, H.; Suhling, J.C. A review of mechanical properties of lead-free solders for electronic packaging. J. Mater. Sci. 2009, 44, 1141–1158. [Google Scholar] [CrossRef]
- Ozaki, S.; Take, Y.; Adachi, S. Optical properties and electronic energy-band structure of CdIn2Te4. J. Mater. Sci. Mater. Electron. 2007, 18, 347–350. [Google Scholar] [CrossRef]
- Anderson, I.E.; Choquette, S.; Reeve, K.T.; Handwerker, C. Pb-free solders and other joining materials for potential replacement of high-Pb hierarchical solders. In Proceedings of the 2018 Pan Pacific Microelectronics Symposium (Pan Pacific), Waimea, HI, USA, 5–8 February 2018. [Google Scholar] [CrossRef]
- Zeng, K.; Tu, K. Six cases of reliability study of Pb-free solder joints in electronic packaging technology. Mater. Sci. Eng. R Rep. 2002, 38, 55–105. [Google Scholar] [CrossRef]
- Lee, T.-K.; Duh, J.-G. Effect of Isothermal Aging on the Long-Term Reliability of Fine-Pitch Sn–Ag–Cu and Sn–Ag Solder Interconnects With and Without Board-Side Ni Surface Finish. J. Electron. Mater. 2014, 43, 4126–4133. [Google Scholar] [CrossRef]
- Yang, L.; Quan, S.; Liu, C.; Shi, G. Aging resistance of the Sn-Ag-Cu solder joints doped with Mo nanoparticles. Mater. Lett. 2019, 253, 191–194. [Google Scholar] [CrossRef]
- Qu, M.; Cao, T.; Cui, Y.; Liu, F.; Jiao, Z. Effect of nano-ZnO particles on wettability, interfacial morphology and growth kinetics of Sn–3.0Ag–0.5Cu–xZnO composite solder. J. Mater. Sci. Mater. Electron. 2019, 30, 19214–19226. [Google Scholar] [CrossRef]
- Sun, H.; Li, Q.; Chan, Y.C. A study of Ag additive methods by comparing mechanical properties between Sn57.6Bi0.4Ag and 0.4 wt% nano-Ag-doped Sn58Bi BGA solder joints. J. Mater. Sci. Mater. Electron. 2014, 25, 4380–4390. [Google Scholar] [CrossRef]
- Mei, Z.; Morris, J.W. Characterization of eutectic Sn-Bi solder joints. J. Electron. Mater. 1992, 21, 599–607. [Google Scholar] [CrossRef]
- Faiz, M.K.; Bansho, K.; Suga, T.; Miyashita, T.; Yoshida, M. Low temperature Cu–Cu bonding by transient liquid phase sintering of mixed Cu nanoparticles and Sn–Bi eutectic powders. J. Mater. Sci. Mater. Electron. 2017, 28, 16433–16443. [Google Scholar] [CrossRef]
- Faiz, M.K.; Yamamoto, T.; Yoshida, M. Sn-Bi Added Ag-Based Transient Liquid Phase Sintering for Low Temperature Bonding. In Proceedings of the 2017 5th International Workshop on Low Temperature Bonding for 3D Integration, Tokyo, Japan, 16–18 May 2017; International Integrated Reporting Council: London, UK, 2020. [Google Scholar]
- Hu, F.; Zhang, Q.; Jiang, J.; Song, Z. Influences of Ag addition to Sn–58Bi solder on SnBi/Cu interfacial reaction. Mater. Lett. 2018, 214, 142–145. [Google Scholar] [CrossRef]
- Stauffer, L.; Würsch, A.; Gächter, B.; Siercks, K.; Verettas, I.; Rossopoulos, S.; Clavel, R. A surface-mounted device assembly technique for small optics based on laser reflow soldering. Opt. Lasers Eng. 2005, 43, 365–372. [Google Scholar] [CrossRef]
- Nishikawa, H.; Iwata, N. Formation and growth of intermetallic compound layers at the interface during laser soldering using Sn–Ag Cu solder on a Cu Pad. J. Mater. Process. Technol. 2015, 215, 6–11. [Google Scholar] [CrossRef]
- Wentlent, L.A.; Genanu, M.; Alghoul, T. Effects of Laser Selective Reflow on Solder Joint Microstructure and Reliability. In Proceedings of the 2018 IEEE 68th Electronic Components and Technology Conference (ECTC), San Diego, CA, USA, 29 May–1 June 2018; IEEE: Piscataway, NJ, USA, 2018; pp. 425–433. [Google Scholar] [CrossRef]
- Joo, H.-S.; Lee, C.-J.; Min, K.D.; Hwang, B.-U.; Jung, S.-B. Mechanical properties and microstructural evolution of solder alloys fabricated using laser-assisted bonding. J. Mater. Sci. Mater. Electron. 2020, 31, 22926–22932. [Google Scholar] [CrossRef]
- Chen, H.; Liang, J.; Gao, R.; Li, Y. Laser Soldering of Sn-based Solders with Different Melting Points. In Proceedings of the 21st International Conference on Electronic Packaging Technology, Guangzhou, China, 12–15 August 2020; Guangdong University of Technology: Guangzhou, China, 2020; pp. 1–5. [Google Scholar] [CrossRef]
- Kim, J.-O.; Jung, J.-P.; Lee, J.-H.; Suh, J.; Kang, H.-S. Effects of laser parameters on the characteristics of a Sn-3.5 wt.%Ag solder joint. Met. Mater. Int. 2009, 15, 119–123. [Google Scholar] [CrossRef]
- Lee, J.-H.; Park, D.; Moon, J.-T.; Lee, Y.-H.; Shin, D.-H.; Kim, Y.-S. Characteristics of the Sn-Pb eutectic solder bump formed via fluxless laser reflow soldering. J. Electron. Mater. 2000, 29, 1153–1159. [Google Scholar] [CrossRef]
- Jaafar, N.B.; Choong, C.S. Effect of Bond Pad Surface Finish on AuSn Solder Bumping Using Laser Solder Jetting. In Proceedings of the 2018 IEEE 20th Electronics Packaging Technology Conference (EPTC), Singapore, 4–7 December 2018; IEEE: Piscataway, NJ, USA, 2018; Volume 821–824. [Google Scholar]
- Kim, J.; Myung, W.-R.; Jung, S.-B. Effects of Aging Treatment on Mechanical Properties of Sn–58Bi Epoxy Solder on ENEPIG-Surface-Finished PCB. J. Electron. Mater. 2016, 45, 5895–5903. [Google Scholar] [CrossRef]
- Chan, Y.C.; So, A.C.K.; Lai, J.K.L. Growth kinetic studies of Cu–Sn intermetallic compound and its effect on shear strength of LCCC SMT solder joints. Mater. Sci. Eng. 1998, 55, 5–13. [Google Scholar] [CrossRef]
- Kim, Y.; Kwon, J.; Yoo, D.; Park, S.; Lee, D.; Lee, D. Influence of Nickel Thickness and Annealing Time on the Mechanical Properties of Intermetallic Compounds Formed between Cu-Sn Solder and Substrate. Korean J. Met. Mater. 2017, 55, 165–172. [Google Scholar] [CrossRef]
- Shao, H.; Li, M.; Hu, A. The effect of Ag3Sn and Cu3Sn nanoparticles on the IMC morphology of Sn-3.0Ag-0.5Cu solder. In Proceedings of the 2019 20th International Conference on Electronic Packaging Technology (ICEPT); IEEE: Piscataway, NJ, USA, 2019; pp. 1–4. [Google Scholar]
- Vianco, P.T.; Kilgo, A.C.; Grant, R. Solid state intermetallic compound layer growth between copper and hot dipped indium coatings. J. Mater. Sci. 1995, 30, 4871–4878. [Google Scholar] [CrossRef]
- Yoon, J.-W.; Lee, C.-B.; Jung, S.-B. Interfacial Reactions Between Sn-58 mass%Bi Eutectic Solder and (Cu, Electroless Ni-P/Cu) Substrate. Mater. Trans. 2002, 43, 1821–1826. [Google Scholar] [CrossRef]
- Gain, A.K.; Zhang, J. Effect of Ag nanoparticles on microstructure, damping property and hardness of low melting point eutectic tin–bismuth solder. J. Mater. Sci. Mater. Electron. 2017, 28, 15718–15730. [Google Scholar] [CrossRef]
- Liu, X.; Huang, M.; Wu, C.M.L.; Wang, L. Effect of Y2O3 particles on microstructure formation and shear properties of Sn–58Bi solder. J. Mater. Sci. Mater. Electron. 2009, 21, 1046–1054. [Google Scholar] [CrossRef]
- Yang, F.; Zhang, L.; Liu, Z.-Q.; Zhong, S.; Ma, J.; Bao, L. Properties and Microstructures of Sn-Bi-X Lead-Free Solders. Adv. Mater. Sci. Eng. 2016, 2016, 1–15. [Google Scholar] [CrossRef]











| Specimens | wt.% | |
|---|---|---|
| Ag NP | Sn–58Bi Powder | |
| #1 | 0.0 | 100.0 |
| #2 | 0.5 | 99.5 |
| #3 | 0.75 | 99.25 |
| #4 | 1.0 | 99.0 |
| #5 | 2.0 | 98.0 |
Publisher’s Note: MDPI stays neutral with regard to jurisdictional claims in published maps and institutional affiliations. |
© 2021 by the authors. Licensee MDPI, Basel, Switzerland. This article is an open access article distributed under the terms and conditions of the Creative Commons Attribution (CC BY) license (http://creativecommons.org/licenses/by/4.0/).
Share and Cite
Jeong, G.; Yu, D.-Y.; Baek, S.; Bang, J.; Lee, T.-I.; Jung, S.-B.; Kim, J.; Ko, Y.-H. Interfacial Reactions and Mechanical Properties of Sn–58Bi Solder Joints with Ag Nanoparticles Prepared Using Ultra-Fast Laser Bonding. Materials 2021, 14, 335. https://doi.org/10.3390/ma14020335
Jeong G, Yu D-Y, Baek S, Bang J, Lee T-I, Jung S-B, Kim J, Ko Y-H. Interfacial Reactions and Mechanical Properties of Sn–58Bi Solder Joints with Ag Nanoparticles Prepared Using Ultra-Fast Laser Bonding. Materials. 2021; 14(2):335. https://doi.org/10.3390/ma14020335
Chicago/Turabian StyleJeong, Gyuwon, Dong-Yurl Yu, Seongju Baek, Junghwan Bang, Tae-Ik Lee, Seung-Boo Jung, JungSoo Kim, and Yong-Ho Ko. 2021. "Interfacial Reactions and Mechanical Properties of Sn–58Bi Solder Joints with Ag Nanoparticles Prepared Using Ultra-Fast Laser Bonding" Materials 14, no. 2: 335. https://doi.org/10.3390/ma14020335
APA StyleJeong, G., Yu, D.-Y., Baek, S., Bang, J., Lee, T.-I., Jung, S.-B., Kim, J., & Ko, Y.-H. (2021). Interfacial Reactions and Mechanical Properties of Sn–58Bi Solder Joints with Ag Nanoparticles Prepared Using Ultra-Fast Laser Bonding. Materials, 14(2), 335. https://doi.org/10.3390/ma14020335

