A Novel Cre Recombinase Mouse Strain for Cell-Specific Deletion of Floxed Genes in Ribbon Synapse-Forming Retinal Neurons
Abstract
1. Introduction
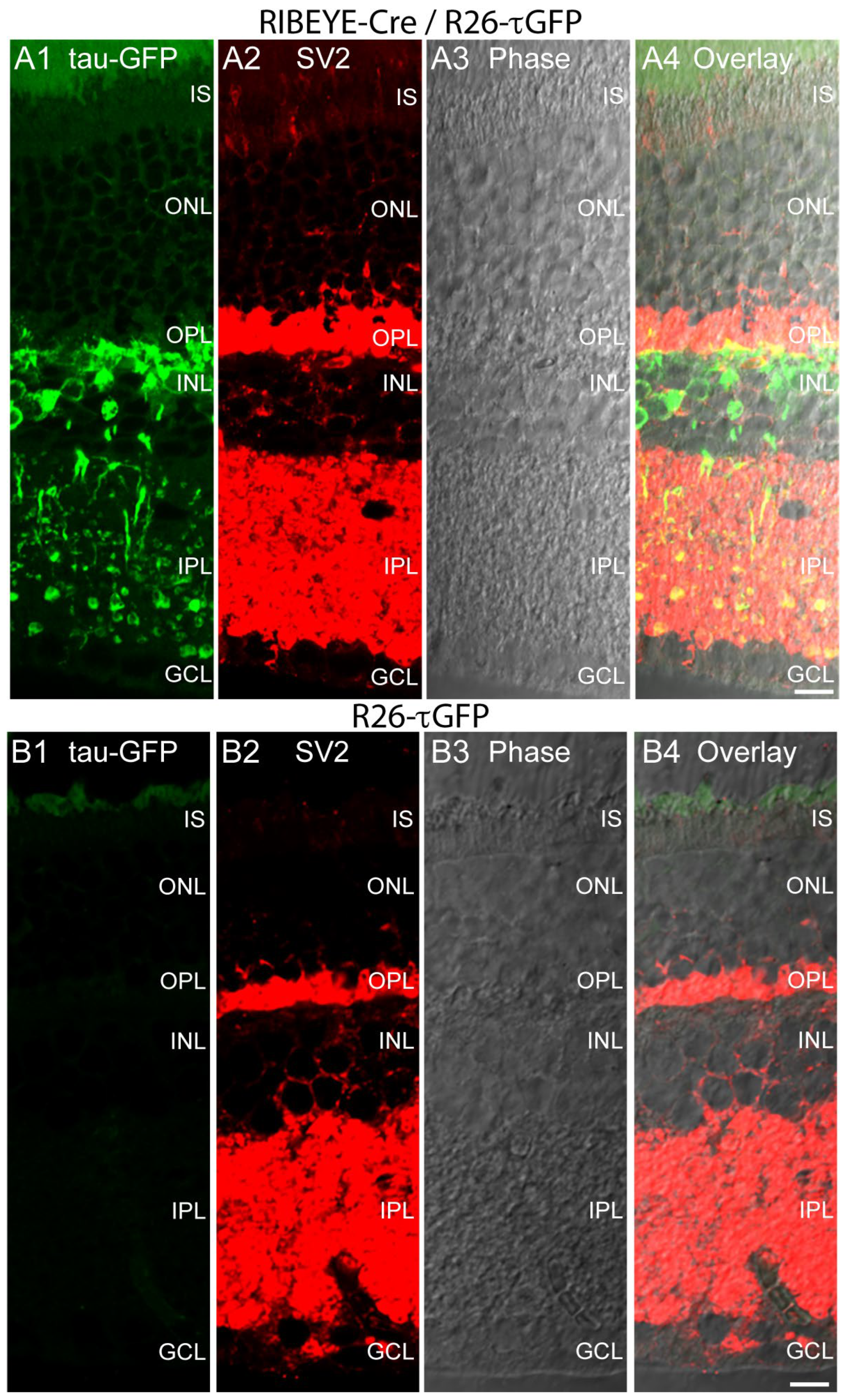
2. Results


3. Discussion
4. Materials and Methods
4.1. Mice/Ethical Considerations
ROSA26-CAGS-τGFP Mice
4.2. Cloning of the Transgenic Vector and Generation of Transgenic RIBEYE-Cre Mice
4.3. Methods
4.3.1. Tamoxifen Injection
4.3.2. Cryo-Sample Preparation and Cryo-Sectioning of Transgenic Mouse Eyes
4.3.3. Immunohistochemistry of 10 μm Thick Cryostat Sections of Mouse Retinas
4.3.4. Confocal Microscopy
4.3.5. Horizontal Cryo-Sectioning of the Mouse Retina
4.3.6. RNA and Protein Extraction from Retinal Cryo-Sections
4.3.7. Reverse Transcription and PCR Amplification (RT-PCR)
4.3.8. Cloning and Sequencing of RT-PCR Products
Author Contributions
Funding
Institutional Review Board Statement
Informed Consent Statement
Data Availability Statement
Acknowledgments
Conflicts of Interest
References
- Dowling, J.E. The Retina: An Approachable Part of the Brain; Revised ed.; Belknap Press Havard: Cambridge, MA, USA, 2012. [Google Scholar]
- Tsukamoto, Y. Morphological Survey from Neurons to Circuits of the Mouse Retina. Methods Mol. Biol. 2018, 1753, 3–25. [Google Scholar] [PubMed]
- Baden, T.; Euler, T.; Berens, P. Understanding the retinal basis of vision across species. Nat. Rev. Neurosci. 2020, 21, 5–20. [Google Scholar] [CrossRef]
- Schmitz, F. The making of synaptic ribbons: How they are built and what they do. Neuroscientist 2009, 15, 611–624. [Google Scholar] [CrossRef]
- Matthews, G.; Fuchs, P.A. The diverse roles of ribbon synapses in sensory neurotransmission. Nat. Rev. Neurosci. 2010, 11, 812–822. [Google Scholar] [CrossRef]
- Moser, T.; Grabner, C.P.; Schmitz, F. Sensory Processing at Ribbon Synapses in the Retina and the Cochlea. Physiol. Rev. 2020, 100, 103–144. [Google Scholar] [CrossRef] [PubMed]
- Zenisek, D.; Steyer, J.A.; Almers, W. Transport, capture and exocytosis of single synaptic vesicles at active zones. Nature 2000, 406, 849–854. [Google Scholar] [CrossRef] [PubMed]
- Snellman, J.; Mehta, B.; Babai, N.; Bartoletti, T.M.; Akmentin, W.; Francis, A.; Matthews, G.; Thoreson, W.B.; Zenisek, D. Acute destruction of the synaptic ribbon reveals a role of the ribbon in vesicle priming. Nat. Neurosci. 2011, 14, 1135–1141. [Google Scholar] [CrossRef]
- Vaithianathan, T.; Matthews, G. Visualizing synaptic vesicle turnover and pool refilling driven by calcium nanodomains at presynaptic active zones of ribbon synapses. Proc. Natl. Acad. Sci. USA 2014, 111, 8655–8660. [Google Scholar] [CrossRef]
- Vaithianathan, T.; Wollmuth, L.P.; Henry, D.; Zenisek, D.; Matthews, G. Tracking newly released synaptic vesicle proteins at ribbon active zones. iScience 2019, 17, 10–23. [Google Scholar] [CrossRef]
- Joselevitch, C.; Zenisek, D. Direct Observation of Vesicle Transport on the Synaptic Ribbon Provides Evidence That Vesicles Are Mobilized and Prepared Rapidly for Release. J. Neurosci. 2020, 40, 7390–7404. [Google Scholar] [CrossRef]
- Schmitz, F.; Königstorfer, A.; Südhof, T.C. RIBEYE, a component of synaptic ribbons: A protein’s journey through evolution provides insight into synaptic ribbon function. Neuron 2000, 28, 857–872. [Google Scholar] [CrossRef] [PubMed]
- Maxeiner, S.; Luo, F.; Tan, A.; Schmitz, F.; Südhof, T.C. How to make a synaptic ribbon: RIBEYE deletion abolishes ribbons in retinal synapses and disrupts neurotransmitter release. EMBO J. 2016, 35, 1098–1114. [Google Scholar] [CrossRef] [PubMed]
- Lv, C.; Stewart, W.J.; Akanyeti, O.; Frederick, C.; Zhu, J.; Santos-Sacchi, J.; Sheets, L.; Liao, J.C.; Zenisek, D. Synaptic ribbons require ribeye for electron density, proper synaptic localization, and recruitment of calcium channels. Cell Rep. 2016, 15, 2784–2795. [Google Scholar] [CrossRef] [PubMed]
- Becker, L.; Schnee, M.E.; Niwa, M.; Sun, W.; Maxeiner, S.; Talaei, S.; Kachar, B.; Rutherford, M.A.; Ricci, A.J. The presynaptic ribbon maintains vesicle populations at the hair cell afferent fiber synapse. eLife 2018, 7, e30241. [Google Scholar] [CrossRef]
- Jean, P.; de la Morena, D.L.; Michanski, S.; Tobon, L.M.; Chakrabarti, R.; Picher, M.M.; Neef, J.; Jung, S.; Gultas, M.; Maxeiner, S.; et al. The synaptic ribbon is critical for sound encoding at high rates and with temporal precision. eLife 2018, 7, e29275. [Google Scholar] [CrossRef]
- Shankhwar, S.; Schwarz, K.; Katiyar, R.; Jung, M.; Maxeiner, S.; Südhof, T.C.; Schmitz, F. RIBEYE B-domain is essential for RIBEYE A-domain stability and assembly of synaptic ribbons. Front. Mol. Neurosci. 2022, 15, 838311. [Google Scholar] [CrossRef]
- Piatigorsky, J. Dual use of the transcriptional repressor (CtBP2)/ribbon synapse (RIBEYE) gene: How prevalent are multifunctional genes? Trends Neurosci. 2001, 24, 555–557. [Google Scholar] [CrossRef]
- Zhang, Q.; Yoshimatsu, Y.; Hildebrand, J.; Frisch, S.M.; Goodman, R.H. Homeodomain interacting protein kinase 2 promotes apoptosis by down-regulating the transcriptional corepressor CtBP. Cell 2003, 115, 177–186. [Google Scholar] [CrossRef]
- Chinnadurai, G. Transcriptional regulation by C-terminal binding proteins. Int. J. Biochem. Cell Biol. 2007, 39, 1593–1607. [Google Scholar] [CrossRef] [PubMed]
- Gage, E.; Agarwal, D.; Chenault, C.; Washington-Brown, K.; Szvetecz, S.; Jahan, N.; Wang, Z.; Jones, M.K.; Zack, D.; Enke, R.A.; et al. Temporal and isoform-specific expression of CTBP2 is evolutionary conserved between the developing chick and human retina. Front. Mol. Neurosci. 2021, 14, 773356. [Google Scholar] [CrossRef]
- Dreosti, E.; Odermatt, B.; Dorostkar, M.M.; Lagnado, L. A genetically encoded reporter of synaptic activity in vivo. Nat. Methods 2009, 6, 883–889. [Google Scholar] [CrossRef]
- Odermatt, B.; Nikolaev, A.; Lagnado, L. Encoding of luminance and contrast by linear and nonlinear synapses in the retina. Neuron 2012, 73, 758–773. [Google Scholar] [CrossRef]
- Esposti, F.; Johnston, J.; Rosa, J.M.; Leung, K.M.; Lagnado, L. Olfactory stimulation selectively modulates the OFF pathway in the retina of the zebrafish. Neuron 2013, 79, 97–110. [Google Scholar] [CrossRef]
- Okawa, H.; Yu, W.Q.; Matti, U.; Schwarz, K.; Odermatt, B.; Zhong, H.; Tsukamoto, Y.; Lagnado, L.; Rieke, F.; Schmitz, F.; et al. Dynamic assembly of ribbon synapses and circuit maintenance in a vertebrate sensory system. Nat. Commun. 2019, 10, 2167. [Google Scholar] [CrossRef] [PubMed]
- Metzger, D.; Chambon, P. Site- and time-specific gene targeting in the mouse. Methods 2001, 24, 71–80. [Google Scholar] [CrossRef] [PubMed]
- Rodriguez, I.; Feinstein, P.; Mombaerts, P. Variable patterns of axonal projections of sensory neurons in the mouse vomeronasal system. Cell 1999, 97, 199–208. [Google Scholar] [CrossRef] [PubMed]
- Wen, S.; Götze, I.N.; Mai, O.; Schauer, C.; Leinders-Zufall, T.; Boehm, U. Genetic identification of GnRH receptor neurons: A new model for studying new circuits underlying reproductive physiology in the mouse brain. Endocrinology 2011, 152, 1515–1526. [Google Scholar] [CrossRef] [PubMed]
- Indra, A.K.; Warot, X.; Brocard, J.; Bornert, J.M.; Xiao, J.H.; Chambon, P.; Metzger, D. Temporally-controlled site-specific mutagenesis in the basal layer of the epidermis: Comparison of the recombinase activity of the tamoxifen-inducible Cre-ER(T) and Cre-ER(T2) recombinases. Nucleic Acids Res. 1999, 27, 4324–4327. [Google Scholar] [CrossRef] [PubMed]
- Gray, E.G. Microtubules in synapses of the retina. J. Neurocytol. 1976, 5, 361–370. [Google Scholar] [CrossRef] [PubMed]
- Ali, M.A.; Klyne, M.A. Microtubules in vertebrate photoreceptors. In Photoreceptors; Borsellino, A., Cervetto, L., Eds.; NATO Science Series A; Springer: Berlin/Heidelberg, Germany, 1984; Volume 75, pp. 233–253. [Google Scholar]
- Wang, J.; Deretic, D. Molecular complexes that direct rhodopsin transport to primary cilia. Prog. Retin. Eye Res. 2014, 38, 1–19. [Google Scholar] [CrossRef] [PubMed]
- Nag, T.C.; Kathpalia, P.; Wadhwa, S. Microtubule alterations may destabilize photoreceptor integrity: Age-related microtubule changes and pattern of expression of MAP-2, tau and hyperphosphorylated tau in aging human photoreceptor cells. Exp. Eye Res. 2020, 198, 10815. [Google Scholar] [CrossRef]
- Kristianto, J.; Johnson, M.G.; Radcliff, A.B.; Blank, R.D. Spontaneous recombinase activity of Cre-ERT2 in vivo. Transgenic Res. 2017, 26, 411–417. [Google Scholar] [CrossRef]
- Van Hove, H.; Pombo Antunes, A.R.; de Vlaminck, K.; Scheyltjens, I.; van Ginderachter, J.A.; Movahedi, K. Identifying the variables that drive tamoxifen-independent CreERT2 recombination: Implications for microglial fate mapping and gene deletions. Eur. J. Immunol. 2020, 50, 459–463. [Google Scholar] [CrossRef]
- Alvarez-Aznar, A.; Martinez-Corral, I.; Daubel, N.; Betsholtz, C.; Mäkinen, T.; Gaengel, K. Tamoxifen-independent recombination of reporter genes limits lineage tracing and mosaic analysis using CreERT2 lines. Transgenic Res. 2020, 29, 53–68. [Google Scholar] [CrossRef]
- Steffensen, L.B.; Stubbe, J.; Overgaard, M.; Larsen, J.H. Tamoxifen-independent Cre-activity in SMMHC-CreERT2 mice. Atheroscler. Plus 2022, 48, 8–11. [Google Scholar] [CrossRef]
- Dembla, M.; Kesharwani, A.; Natarajan, S.; Fecher-Trost, C.; Fairless, R.; Williams, S.K.; Flockerzi, V.; Diem, R.; Schwarz, K.; Schmitz, F. Early auto-immune targeting of photoreceptor ribbon synapses in mouse models of multiple sclerosis. EMBO Mol. Med. 2018, 10, e8926. [Google Scholar] [CrossRef]
- Dhingra, A.; Vardi, N. “mGlu receptors in the retina”—Wires membrane transport and signaling. Wiley Interdiscip. Rev. Membr. Transp. Signal. 2012, 1, 641–653. [Google Scholar] [CrossRef] [PubMed]
- Vardi, N.; Duvoisin, R.; Wu, G.; Sterling, P. Localization of mGluR6 to dendrites of ON bipolar cells in primate retina. J. Comp. Neurol. 2000, 423, 402–412. [Google Scholar] [CrossRef]
- Vardi, N.; Mirigiwa, K. ON cone bipolar cells in rat express the metabotropic receptor mGluR6. Vis. Neurosci. 1997, 14, 789–794. [Google Scholar] [CrossRef] [PubMed]
- Singer, J.H.; Lassova, L.; Vardi, N.; Diamond, J.S. Coordinated multivesicular release at a mammalian ribbon synapse. Nat. Neurosci. 2004, 7, 826–833. [Google Scholar] [CrossRef] [PubMed]
- Grabner, C.P.; Gandini, M.A.; Rehak, R.; Le, Y.; Zamponi, G.W.; Schmitz, F. RIM1/2-mediated facilitation of Cav1.4 channel opening is required for Ca2+-stimulated release in mouse rod photoreceptors. J. Neurosci. 2015, 35, 13133–13147. [Google Scholar] [CrossRef]
- Maddox, J.W.; Randall, K.L.; Yadav, R.P.; Williams, B.; Hagen, J.; Derr, P.J.; Kerov, V.; Della Santina, L.; Baker, S.A.; Artemyev, N.; et al. A dual role for Cav1.4 Ca2+ channels in the molecular and structural organization of the rod photoreceptor synapse. eLife 2020, 9, e62184. [Google Scholar] [CrossRef]
- Grabner, C.P.; Moser, T. The mammalian rod synaptic ribbon is essential for Cav channel facilitation and ultrafast synaptic vesicle fusion. eLife 2021, 10, e63844. [Google Scholar] [CrossRef]
- Mesnard, C.S.; Barta, C.L.; Sladek, A.L.; Zenisek, D.; Thoreson, W.B. Eliminating synaptic ribbons from rods and cones halves the releasable vesicle pool and slows down replenishment. Int. J. Mol. Sci. 2022, 23, 6429. [Google Scholar] [CrossRef]
- Smith, R.G.; Freed, M.A.; Sterling, P. Microcircuitry of the dark-adapted cat retina: Functional architecture of the rod-cone network. J. Neurosci. 1986, 6, 3505–3517. [Google Scholar] [CrossRef]
- DeVries, S.H.; Baylor, D.A. An alternative pathway for signal flow from photoreceptors to ganglion cells in mammalian retina. Proc. Natl. Acad. Sci. USA 1995, 92, 10658–10662. [Google Scholar] [CrossRef] [PubMed]
- Volgyi, B.; Deans, M.R.; Paul, D.L.; Bloomfield, S.A. Convergence and segregation of the multiple rod pathways in the mammalian retina. J. Neurosci. 2004, 24, 11182–11192. [Google Scholar] [CrossRef] [PubMed]
- Behrens, C.; Schubert, T.; Haverkamp, S.; Euler, T.; Berens, P. Connectivity map of bipolar cells and photoreceptors in the mouse retina. eLife 2016, 5, e20041. [Google Scholar] [CrossRef] [PubMed]
- Tsukamoto, Y.; Omi, N. Classification of mouse retinal bipolar cells: Type-specific connectivity with special reference to rod-driven AII amacrine pathways. Front. Neuroanat. 2017, 10, 104. [Google Scholar] [CrossRef] [PubMed]
- Fain, G.; Sampath, A.P. Rod and cone interactions in the retina. F100Reaserch 2018, 7, 657. [Google Scholar] [CrossRef]
- Grimes, W.N.; Songco-Aguas, A.; Rieke, F. Parallel processing of rod and cone signals: Retinal function and human perception. Annu. Rev. Vis. Sci. 2018, 4, 123–141. [Google Scholar] [CrossRef] [PubMed]
- Seilheimer, R.L.; Sabharwal, J.; Wu, S.M. Genetic dissection of rod and cone pathways mediating light responses and receptive fields of ganglion cells in the mouse retina. Vis. Res. 2020, 167, 15–23. [Google Scholar] [CrossRef] [PubMed]
- Sladek, A.L.; Thoreson, W.B. Using optogenetics to dissect rod inputs to OFF ganglion cells in the mouse retina. Front. Ophthalmol. 2023, 3, 1146785. [Google Scholar] [CrossRef] [PubMed]
- Chiasseu, M.; Alarcon-Martinez, L.; Belforte, N.; Quintero, H.; Dotigny, F.; Destroismaisons, L.; Velde, C.V.; Panayi, F.; Louis, C.; Di Polo, A. Tau accumulation in the retina promotes early neuronal dysfunction and precedes brain pathology in a mouse model of Alzheimer’s disease. Mol. Neurodegener. 2017, 12, 58. [Google Scholar] [CrossRef] [PubMed]
- Andorfer, C.; Kress, Y.; Espinoza, M.; de Silva, R.; Tucker, K.L.; Barde, Y.A.; Duff, K.; Davies, P. Hyperphosphorylation and aggregation of tau in mice expressing normal human tau isoforms. J. Neurochem. 2003, 86, 582–590. [Google Scholar] [CrossRef]
- Duff, K.; Knight, H.; Refolo, L.M.; Sanders, S.; Yu, X.; Picciano, M.; Malester, B.; Hutton, M.; Adamson, J.; Goedert, M.; et al. Characterization and pathology in transgenic mice over-expressing human genomic and cDNA tau transgenes. Neurobiol. Dis. 2000, 7, 87–98. [Google Scholar] [CrossRef]
- Rodriguez, L.; Mdzomba, J.B.; Joly, S.; Boudreau-Laprise, M.; Planel, E.; Pernet, V. Human tau expression does not induce mouse retina neurodegeneration, suggesting differential toxicity of tau in brain vs. retinal neurons. Front. Mol. Neurosci. 2018, 11, 293. [Google Scholar] [CrossRef]
- Löffler, K.U.; Edward, D.P.; Tso, M.O. Immunorectivity against tau, amyloid precursor protein, and bety-amyloid in the human retina. Investig. Ophthalmol. Vis. Sci. 1995, 36, 24–31. [Google Scholar]
- Yamazaki, A.; Nishizawa, Y.; Matsuura, I.; Hayashi, F.; Usukura, J.; Bondarenko, V.A. Microtubule-associated protein tau in bovine retina photoreceptor rod outer segments: Comparison with brain tau. Biochim. Biophys. Acta 2013, 1832, 1549–1559. [Google Scholar] [CrossRef]
- Aboelnour, A.; van der Spuy, J.; Powner, M.; Jeffery, G. Primate retinal cones express phosphorylated tau associated with neuronal degeneration yet survive in old age. Exp. Eye Res. 2017, 165, 105–108. [Google Scholar] [CrossRef]
- Kozak, M. Point mutations define a sequence flanking the AUG initiator codon that modulates translation by eucaryotic ribosomes. Cell 1986, 44, 283–292. [Google Scholar] [CrossRef]
- Hinnebusch, A.G.; Ivanov, I.P.; Sonenberg, N. Translational control by 5’-untranslated regions of eukaryotic mRNAs. Science 2016, 352, 1413–1416. [Google Scholar] [CrossRef] [PubMed]
- Kozak, M. Selection of initiation sites by eucaryotic ribosomes: Effect of inserting AUG triplets upstream from the coding sequence for preproinsulin. Nucleic Acids Res. 1984, 12, 3873–3893. [Google Scholar] [CrossRef] [PubMed]
- Kozak, M. Point mutations close to the AUG initiator codon affect the efficiency of translation of rat preproinsulin in vivo. Nature 1984, 308, 241–246. [Google Scholar] [CrossRef] [PubMed]
- Kozak, M. Compilation and analysis of sequences upstream from the translational start site in eukaryotic mRNAs. Nucleic Acids Res. 1984, 12, 857–872. [Google Scholar] [CrossRef] [PubMed]
- Kozak, M. Pushing the limits of the scanning mechanism for initiation of translation. Gene 2002, 299, 1–34. [Google Scholar] [CrossRef] [PubMed]
- Drubin, D.; Kobayashi, S.; Kirschner, M. Association of tau protein with living microtubules. Ann. N. Y. Acad. Sci. 1986, 466, 257–268. [Google Scholar] [CrossRef] [PubMed]
- Lee, G.; Cowan, N.; Kirschner, M. The primary structure and heterogeneity of tau protein from mouse brain. Science 1988, 239, 285–288. [Google Scholar] [CrossRef]
- Kadavath, H.; Hofele, R.V.; Biernat, J.; Kumar, S.; Tepper, K.; Urlaub, H.; Mandelkow, E.; Zweckstetter, M. Tau stabilizes microtubules by binding at the interface between tubulin heterodimers. Proc. Natl. Acad. Sci. USA 2015, 112, 7501–7506. [Google Scholar] [CrossRef]
- Hu, J.; Sha, W.; Yuan, S.; Wu, J.; Huang, Y. Aggregation, transmission, and toxicity of the microtubule-associated protein tau: A complex comprehension. Int. J. Mol. Sci. 2023, 24, 15023. [Google Scholar] [CrossRef]
- Hirrlinger, P.G.; Scheller, A.; Braun, C.; Hirrlinger, J.; Kirchhoff, F. Temporal control of gene recombination in astrocytes by transgenic expression of the tamoxifen-inducible DNA recombinase variant CreERT2. Glia 2006, 54, 11–20. [Google Scholar] [CrossRef]
- Jahn, H.M.; Kasakow, C.V.; Helfer, A.; Michely, J.; Verkhratsky, A.; Maurer, H.H.; Scheller, A.; Kirchhoff, F. Refined protocols of tamoxifen injection for inducible DNA recombination in mouse astroglia. Sci. Rep. 2018, 8, 5913. [Google Scholar] [CrossRef]
- Suiwal, S.; Dembla, M.; Schwarz, K.; Katiyar, R.; Jung, M.; Carius, Y.; Maxeiner, S.; Lauterbach, M.A.; Lancaster, C.R.D.; Schmitz, F. Ciliary proteins repurposed by the synaptic ribbon: Trafficking myristoylated proteins at rod photoreceptor synapses. Int. J. Mol. Sci. 2022, 23, 7135. [Google Scholar] [CrossRef]
- Wahl, S.; Katiyar, R.; Schmitz, F. A Local, Periactive Zone Endocytic Machinery at Photoreceptor Synapses in Close Vicinity to Synaptic Ribbons. J. Neurosci. 2013, 33, 10278–10300. [Google Scholar] [CrossRef] [PubMed]
- Ranawakage, D.C.; Takada, T.; Kamachi, Y. HiBiT qIP, HiBiT-based quantitative immuno-precipitation, facilitates the determination of antibody affinity under immunoprecipitation conditions. Sci. Rep. 2019, 9, 6895. [Google Scholar] [CrossRef] [PubMed]
- Buckley, K.; Kelly, R.B. Identification of a transmembrane glycoprotein specific for secretory vesicles of neuronal and endocrine cells. J. Cell Biol. 1985, 100, 1284–1294. [Google Scholar] [CrossRef] [PubMed]
- Hagiwara, A.; Mizutani, A.; Kawamura, S.; Abe, M.; Hida, Y.; Sakimura, K.; Ohtsuka, T. Critical role of the presynaptic protein CAST in maintaining the photoreceptor ribbon synapse triad. Int. J. Mol. Sci. 2023, 24, 7251. [Google Scholar] [CrossRef] [PubMed]
- Kang, B.J.; Song, S.S.; Wen, L.; Hong, K.P.; Augustine, G.J.; Baik, J.H. Effect of optogenetic manipulation of accumbal medium spiny neurons expressing dopamine D2 receptors in cocaine-induced behavioral sensitization. Eur. J. Neurosci. 2017, 46, 2056–2066. [Google Scholar] [CrossRef] [PubMed]
- Sampath, A.P.; Strissel, K.J.; Elias, R.; Arshavsky, V.Y.; McGinnis, J.F.; Chen, J.; Kawamura, S.; Rieke, F.; Hurley, J.B. Recoverin improves rod-mediated vision by enhancing signal transmission in the mouse retina. Neuron 2005, 46, 413–420. [Google Scholar] [CrossRef] [PubMed]
- Ebke, L.A.; Sinha, S.; Pauer, G.J.T.; Hagstrom, S.A. Photoreceptor compartment-specific TULP1 interactomes. Int. J. Mol. Sci. 2021, 22, 8066. [Google Scholar] [CrossRef]




| Antibody | Source | Reference | Dilution |
|---|---|---|---|
| RIBEYE(B)/CtBP2 (2D9), mouse monoclonal raised against the carboxyterminal 12 aa of mouse RIBEYE: KHGDNREHPNEQ | Lab-made | [38] | 1:200 (IF) |
| HA, rat monoclonal IgG1 (3F10) raised against aa98–106 of influenza hemagglutinin (YPYDVPDYA) | Roche, 11867423001 | [77] | 1:300 (IF) |
| SV2, mouse monoclonal | Devel. Studies Hybrid. Bank; Iowa City, IA, USA | [78] | 1:100 (IF) |
| Cre, mouse monoclonal (2D8) | Millipore, MAB3120 | [79] | 1:300 (IF) |
| Cre, rabbit polyclonal | LSBio LifeSpan Biosci LS-C179954/64865 | [80] | 1:300 (IF) |
| Antibody | Source | Dilution |
|---|---|---|
| Donkey anti-mouse IgG (H + L) Alexa 568 | Invitrogen; Karlsruhe, Germany; A-10037 | 1:1000 (IF) |
| Chicken anti-rabbit IgG (H + L) Alexa 568 | Invitrogen; Karlsruhe, Germany; A-10042 | 1:1000 (IF) |
| Donkey anti-rat IgG (H + L) Alexa 488 | Invitrogen, Karlsruhe, Germany; A21208. | 1:1000 (IF) |
| Primer 1 (RIBEYE/Cre forward primer) | GTGAGGCAAAGTTACCGTGAGT |
| Primer 2 (RIBEYE/Cre reverse primer) | GACCGGCAAACGGACAGAAG |
| Primer 3 (Rhodopsin forward primer) | GTGCCCTTCTCCAACGTCAC |
| Primer 4 (Rhodopsin reverse primer) | GAAGCCCTCGAGATTACAGCCT |
| Primer 5 (mGluR6 forward primer) | AGTGTGACATGTCTGATCTGTC |
| Primer 6 (mGluR6 reverse primer) | TACTTGGCGTCCTCTGAGTTC |
| Primer 7 (GFP forward primer) | GGACGACGGCAACTACAAGACC |
| Primer 8 (GFP reverse primer) | CACGAACTCCAGCAGGACCATG |
Disclaimer/Publisher’s Note: The statements, opinions and data contained in all publications are solely those of the individual author(s) and contributor(s) and not of MDPI and/or the editor(s). MDPI and/or the editor(s) disclaim responsibility for any injury to people or property resulting from any ideas, methods, instructions or products referred to in the content. |
© 2024 by the authors. Licensee MDPI, Basel, Switzerland. This article is an open access article distributed under the terms and conditions of the Creative Commons Attribution (CC BY) license (https://creativecommons.org/licenses/by/4.0/).
Share and Cite
Suiwal, S.; Wartenberg, P.; Boehm, U.; Schmitz, F.; Schwarz, K. A Novel Cre Recombinase Mouse Strain for Cell-Specific Deletion of Floxed Genes in Ribbon Synapse-Forming Retinal Neurons. Int. J. Mol. Sci. 2024, 25, 1916. https://doi.org/10.3390/ijms25031916
Suiwal S, Wartenberg P, Boehm U, Schmitz F, Schwarz K. A Novel Cre Recombinase Mouse Strain for Cell-Specific Deletion of Floxed Genes in Ribbon Synapse-Forming Retinal Neurons. International Journal of Molecular Sciences. 2024; 25(3):1916. https://doi.org/10.3390/ijms25031916
Chicago/Turabian StyleSuiwal, Shweta, Philipp Wartenberg, Ulrich Boehm, Frank Schmitz, and Karin Schwarz. 2024. "A Novel Cre Recombinase Mouse Strain for Cell-Specific Deletion of Floxed Genes in Ribbon Synapse-Forming Retinal Neurons" International Journal of Molecular Sciences 25, no. 3: 1916. https://doi.org/10.3390/ijms25031916
APA StyleSuiwal, S., Wartenberg, P., Boehm, U., Schmitz, F., & Schwarz, K. (2024). A Novel Cre Recombinase Mouse Strain for Cell-Specific Deletion of Floxed Genes in Ribbon Synapse-Forming Retinal Neurons. International Journal of Molecular Sciences, 25(3), 1916. https://doi.org/10.3390/ijms25031916

