Enhancing Wound Healing with Nanohydrogel-Entrapped Plant Extracts and Nanosilver: An In Vitro Investigation
Abstract
1. Introduction
2. Results and Discussions
2.1. Phytochemical Composition Analysis
2.2. Plant Constituent Analysis
2.3. Preparation of Plant Extracts and the Hydrogels
2.4. Characterization Using Various Photophysical Tools
2.5. Cell Toxicity Evaluation
2.6. Wound Healing Assay
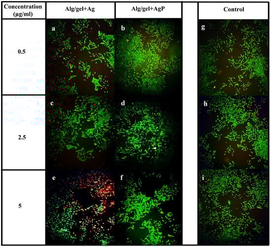
2.7. Cell Viability Assay
2.8. Analysis of Bactericidal Effect
2.9. Determination of MIC Value
3. Materials and Methods
3.1. Materials
3.2. Preparation of Plantain Peel Extract (Musa × paradisiaca Linn)
3.3. Preparation of Aloe Vera Extract (Aloe barbadensis Miller)
3.4. Preparation of Flower Extract (Calendula officinalis)
3.5. Preparation of Curcumin Solution
3.6. Analysis of the Phytochemical Composition of the Prepared Plant Extracts
3.7. Analysis of the Plant Constituents Present in the Prepared Plant Extracts
3.8. Synthesis of Alginate/Gelatin Hydrogel Blended with Only Nanosilver (Alg/gel+Ag)
3.9. Synthesis of Alginate/Gelatin Blended Hydrogel with Nanosilver and Plant Extracts (Alg/gel+AgP)
3.10. Characterization of the Synthesized Hydrogels Alg/gel+Ag and Alg/gel+AgP
3.11. Cytotoxic Assessment
3.12. In Vitro Cell Migration Assay
3.13. Live and Dead Cell Assay
3.14. Antibacterial Assay
3.15. Minimum Inhibitory Concentration (MIC)
4. Conclusions
Supplementary Materials
Author Contributions
Funding
Institutional Review Board Statement
Informed Consent Statement
Data Availability Statement
Acknowledgments
Conflicts of Interest
References
- Chamgordani, N.Z.; Tabatabaei, M.S.; Mortazavi, S.M.; Moghimi, H.R. Chapter 2—An overview of wound healing: Wound types and current therapeutics. In Bioengineered Nanomaterials for Wound Healing and Infection Control; Barabadi, H., Saravanan, M., Mostafavi, E., Vahidi, H., Eds.; Woodhead Publishing: Sawston, UK, 2023; pp. 29–56. [Google Scholar]
- Sharon Sofini, P.S.; Biswas, K.; Mercy, D.J.; Girigoswami, A.; Girigoswami, K. Nanostructure-assisted wound dressing materials: A literature review. Macromol. Res. 2024, 24, 1–23. [Google Scholar] [CrossRef]
- Qasim, Z.S. A Review in the View on Wounds. Iraqi J. Pharm. 2022, 19, 147–158. [Google Scholar] [CrossRef]
- Quraishi, A.; J, B.; C, R. A systematic review on wound healing. Int. J. Indig. Herbs Drugs 2023, 8, 62–68. [Google Scholar] [CrossRef]
- Gupta, A. Chapter 1—Fundamentals of skin wound healing and repair: A brief review on cellular and molecular pathophysiologic basis of wound healing. In Natural Polymers in Wound Healing and Repair; Sah, M.K., Kasoju, N., Mano, J.F., Eds.; Elsevier: Amsterdam, The Netherlands, 2022; pp. 1–18. [Google Scholar]
- Swetha Menon, N.P.; Kamaraj, M.; Anish Sharmila, M.; Govarthanan, M. Recent progress in polysaccharide and polypeptide based modern moisture-retentive wound dressings. Int. J. Biol. Macromol. 2024, 256, 128499. [Google Scholar] [CrossRef]
- Sikka, M.P.; Bargir, J.A.; Garg, S. Modern developments in burn wound dressing. Res. J. Text. Appar. 2024, ahead-of-print. [Google Scholar] [CrossRef]
- Sharda, D.; Attri, K.; Choudhury, D. Greener healing: Sustainable nanotechnology for advanced wound care. Discov. Nano 2024, 19, 127. [Google Scholar] [CrossRef]
- Wang, M.; Huang, X.; Zheng, H.; Tang, Y.; Zeng, K.; Shao, L.; Li, L. Nanomaterials applied in wound healing: Mechanisms, limitations and perspectives. J. Control. Release 2021, 337, 236–247. [Google Scholar] [CrossRef]
- Aderibigbe, B.A.; Buyana, B. Alginate in Wound Dressings. Pharmaceutics 2018, 10, 42. [Google Scholar] [CrossRef]
- Hong, C.; Chung, H.; Lee, G.; Kim, D.; Jiang, Z.; Kim, S.H.; Lee, K. Remendable Cross-Linked Alginate/Gelatin Hydrogels Incorporating Nanofibers for Wound Repair and Regeneration. Biomacromolecules 2024, 25, 4344–4357. [Google Scholar] [CrossRef]
- Serafin, A.; Culebras, M.; Collins, M.N. Synthesis and evaluation of alginate, gelatin, and hyaluronic acid hybrid hydrogels for tissue engineering applications. Int. J. Biol. Macromol. 2023, 233, 123438. [Google Scholar] [CrossRef]
- Rani, K.; Singh, G.; Narwal, S.; Chopra, B.; Dhingra, K.A. Nanomaterials in Wound Healing: Mechanisms, Applications, and Future Prospects. Curr. Nanomed. 2024, 15, 50–69. [Google Scholar] [CrossRef]
- Bhoopathy, J. Plant Extract–Derived Nanomaterials for Wound Healing: A Mini Review. Regen. Eng. Transl. Med. 2023, 9, 22–28. [Google Scholar] [CrossRef]
- Vyavahare, S.; Padole, N.; Avari, J. A review: Silver nanoparticles in wound healing. Eur. J. Pharm. Med. Res. 2021, 8, 212–218. [Google Scholar]
- Oselusi, S.O.; Sibuyi, N.R.S.; Meyer, M.; Madiehe, A.M. Phytonanotherapeutic Applications of Plant Extract-Synthesized Silver Nanoparticles in Wound Healing—A Prospective Overview. BioNanoScience 2024, 14, 3455–3475. [Google Scholar] [CrossRef]
- Diniz, F.R.; Maia, R.C.A.P.; de Andrade, L.R.M.; Andrade, L.N.; Vinicius Chaud, M.; da Silva, C.F.; Corrêa, C.B.; de Albuquerque Junior, R.L.C.; Pereira da Costa, L.; Shin, S.R.; et al. Silver Nanoparticles-Composing Alginate/Gelatine Hydrogel Improves Wound Healing In Vivo. Nanomaterials 2020, 10, 390. [Google Scholar] [CrossRef]
- Zhang, K.; Lui, V.C.H.; Chen, Y.; Lok, C.N.; Wong, K.K.Y. Delayed application of silver nanoparticles reveals the role of early inflammation in burn wound healing. Sci. Rep. 2020, 10, 6338. [Google Scholar] [CrossRef]
- Thapa, K.; Kanojia, N.; Verma, N. A potential role of nanophytocompounds in diabetic foot ulcers. Trends Immunother. 2024, 8, 4186. [Google Scholar] [CrossRef]
- Mouro, C.; Gouveia, I.C. Electrospun wound dressings with antibacterial function: A critical review of plant extract and essential oil incorporation. Crit. Rev. Biotechnol. 2024, 44, 641–659. [Google Scholar] [CrossRef]
- Erdoğmuş, S.F.; Altintaş, Ö.E.; Demirel, H.H.; Okumuş, N. Fabrication of wound dressings: Herbal extract-loaded nanoliposomes embedded in fungal chitosan/polycaprolactone electrospun nanofibers for tissue regeneration. Microsc. Res. Tech. 2024, 87, 360–372. [Google Scholar] [CrossRef]
- Ejiohuo, O.; Folami, S.; Maigoro, A.Y. Calendula in modern medicine: Advancements in wound healing and drug delivery applications. Eur. J. Med. Chem. Rep. 2024, 12, 100199. [Google Scholar] [CrossRef]
- Massoud, D.; Barakat, A.; Fouda, M.; El-kott, A.; Soliman, S.; Abd-Elhafeez, H. Aloe vera and wound healing: A brief review. Braz. J. Pharm. Sci. 2023, 58, e20837. [Google Scholar] [CrossRef]
- Al-Musawi, S.; Albukhaty, S.; Al-Karagoly, H.; Sulaiman, G.M.; Alwahibi, M.S.; Dewir, Y.H.; Soliman, D.A.; Rizwana, H. Antibacterial activity of honey/chitosan nanofibers loaded with capsaicin and gold nanoparticles for wound dressing. Molecules 2020, 25, 4770. [Google Scholar] [CrossRef] [PubMed]
- Al-Maweri, S.A.; Ashraf, S.; Lingam, A.S.; Alqutaibi, A.; Abdulrab, S.; Alaizari, N.; Halboub, E. Aloe vera in treatment of oral submucous fibrosis: A systematic review and meta-analysis. J. Oral Pathol. Med. 2019, 48, 99–107. [Google Scholar] [CrossRef] [PubMed]
- Alkhouli, M.; Laflouf, M.; Alhaddad, M. Efficacy of Aloe-Vera Use for Prevention of Chemotherapy-Induced Oral Mucositis in Children with Acute Lymphoblastic Leukemia: A Randomized Controlled Clinical Trial. Compr. Child Adolesc. Nurs. 2020, 44, 49–62. [Google Scholar] [CrossRef]
- Khairinisa, G.; Mahargyani, W.; Agnia, G. Anti-Inflammatory Activity of the Peel Extract of Ambon Bananas (Musa paradisiaca L.) Examined with the Human Red Blood Cell Membrane Stabilization Method. KnE Med. 2022, 2022, 216–223. [Google Scholar] [CrossRef]
- Oyeyinka, B.O.; Afolayan, A.J. Potentials of Musa Species Fruits against Oxidative Stress-Induced and Diet-Linked Chronic Diseases: In Vitro and In Vivo Implications of Micronutritional Factors and Dietary Secondary Metabolite Compounds. Molecules 2020, 25, 5036. [Google Scholar] [CrossRef]
- Samiasih, A.; Khoiriyah, K.; Ethica, S.; Sulistyaningtyas, A.; Pranata, S.; Vanchapo, A. The Gastroprotective Role of Yellow Kepok Banana (Musa x paradisiaca L. var. Kepok) Peel Extract and Influence on Markers of Oxidative Stress: Malondialdehyde and Nitric Oxide. Scr. Medica 2023, 54, 53–59. [Google Scholar] [CrossRef]
- Peng, Y.; Ao, M.; Dong, B.; Jiang, Y.; Yu, L.; Chen, Z.; Hu, C.; Xu, R. Anti-Inflammatory Effects of Curcumin in the Inflammatory Diseases: Status, Limitations and Countermeasures. Drug Des. Dev. Ther. 2021, 15, 4503–4525. [Google Scholar] [CrossRef]
- Malekmohammadi, S.; Jamshidi, R.; Sadowska, J.M.; Meng, C.; Abeykoon, C.; Akbari, M.; Gong, R.H. Stimuli-Responsive Codelivery System-Embedded Polymeric Nanofibers with Synergistic Effects of Growth Factors and Low-Intensity Pulsed Ultrasound to Enhance Osteogenesis Properties. ACS Appl. Bio Mater. 2024, 7, 4293–4306. [Google Scholar] [CrossRef]
- Malekmohammadi, S.; Hadadzadeh, H.; Rezakhani, S.; Amirghofran, Z. Design and Synthesis of Gatekeeper Coated Dendritic Silica/Titania Mesoporous Nanoparticles with Sustained and Controlled Drug Release Properties for Targeted Synergetic Chemo-Sonodynamic Therapy. ACS Biomater. Sci. Eng. 2019, 5, 4405–4415. [Google Scholar] [CrossRef]
- Udayakumar, S.; Metkar, S.K.; Girigoswami, A.; Deepika, B.; Janani, G.; Kanakaraj, L.; Girigoswami, K. Exploring the amyloid degradation potential of nanoformulated carrageenan-bridging in vitro and in vivo perspectives. Int. J. Biol. Macromol. 2024, 279, 134814. [Google Scholar] [CrossRef] [PubMed]
- Akinyemi, O.; Akinbomi, J.; Abbey, D. Comparative characterization of plantain peel, pawpaw peel and watermelon rind using FTIR. J. Eng. Technol. Res. 2020, 5, 1–6. [Google Scholar] [CrossRef]
- Rajesh, A.; Lone, S.A.; Ramasubburayan, R.; Sikkanthar, S.; Thajuddin, N.; Lee, S.-Y.; Kim, J.-W.; MubarakAli, D. A systemic review on Aloe vera derived natural biomaterials for wound healing applications. Biocatal. Agric. Biotechnol. 2023, 54, 102910. [Google Scholar] [CrossRef]
- Pradhan, B. Phytochemistry, pharmacology and toxicity of Aloe vera: A versatile plant with extensive therapeutic potential. Plant Arch. 2023, 23, 327–333. [Google Scholar] [CrossRef]
- Pandey, P.; Despande, B. Antioxidant activity in the leaves and petals of Calendula officinalis Linn. Asian Pac. J. Health Sci. 2022, 9, 130–132. [Google Scholar] [CrossRef]
- Xu, X.-Y.; Meng, X.; Li, S.; Gan, R.-Y.; Li, Y.; Li, H.-B. Bioactivity, Health Benefits, and Related Molecular Mechanisms of Curcumin: Current Progress, Challenges, and Perspectives. Nutrients 2018, 10, 1553. [Google Scholar] [CrossRef]
- Aldaghi, N.; Kamalabadi-Farahani, M.; Alizadeh, M.; Salehi, M. Doxycycline-loaded carboxymethyl cellulose/sodium alginate/gelatin hydrogel: An approach for enhancing pressure ulcer healing in a rat model. J. Biomed. Mater. Res. Part A 2024, 112, 2289–2300. [Google Scholar] [CrossRef]
- Moshfeghi, T.; Najmoddin, N.; Arkan, E.; Hosseinzadeh, L. A multifunctional polyacrylonitrile fibers/alginate-based hydrogel loaded with chamomile extract and silver sulfadiazine for full-thickness wound healing. Int. J. Biol. Macromol. 2024, 279, 135425. [Google Scholar] [CrossRef]
- Daverey, A.; Tiwari, N.; Dutta, K. Utilization of extracts of Musa paradisica (banana) peels and Dolichos lablab (Indian bean) seeds as low-cost natural coagulants for turbidity removal from water. Environ. Sci. Pollut. Res. 2019, 26, 34177–34183. [Google Scholar] [CrossRef]
- Sharon Sofini, P.S.; Mercy, D.J.; Raghavan, V.; Isaac, J.B.; Deepika, B.; Udayakumar, S.; Janani, G.; Devi, S.; Kiran, V.; Harini, A.; et al. Evaluation of scarless wound healing through nanohydrogel infused with selected plant extracts. J. Drug Deliv. Sci. Technol. 2024, 100, 106118. [Google Scholar] [CrossRef]
- Olfati, A.; Kahrizi, D.; Balaky, S.T.J.; Sharifi, R.; Tahir, M.B.; Darvishi, E. Green synthesis of nanoparticles using Calendula officinalis extract from silver sulfate and their antibacterial effects on Pectobacterium caratovorum. Inorg. Chem. Commun. 2021, 125, 108439. [Google Scholar] [CrossRef]
- Deepika, B.; Gowtham, P.; Raghavan, V.; Isaac, J.B.; Devi, S.; Kiran, V.; Mercy, D.J.; Sofini, P.S.S.; Harini, A.; Girigoswami, A.; et al. Harmony in nature’s elixir: A comprehensive exploration of ethanol and nano-formulated extracts from Passiflora incarnata leaves: Unveiling in vitro cytotoxicity, acute and sub-acute toxicity profiles in Swiss albino mice. J. Mol. Histol. 2024, 55, 977–994. [Google Scholar] [CrossRef] [PubMed]
- Janani, G.; Girigoswami, A.; Deepika, B.; Udayakumar, S.; Girigoswami, K. Unveiling the Role of Nano-Formulated Red Algae Extract in Cancer Management. Molecules 2024, 29, 2077. [Google Scholar] [CrossRef] [PubMed]
- Baukum, J.; Pranjan, J.; Kaolaor, A.; Chuysinuan, P.; Suwantong, O.; Supaphol, P. The potential use of cross-linked alginate/gelatin hydrogels containing silver nanoparticles for wound dressing applications. Polym. Bull. 2020, 77, 2679–2695. [Google Scholar] [CrossRef]
- Gowtham, P.; Girigoswami, K.; Prabhu, A.D.; Pallavi, P.; Thirumalai, A.; Harini, K.; Girigoswami, A. Hydrogels of Alginate Derivative-Encased Nanodots Featuring Carbon-Coated Manganese Ferrite Cores with Gold Shells to Offer Antiangiogenesis with Multimodal Imaging-Based Theranostics. Adv. Ther. 2024, 7, 2400054. [Google Scholar] [CrossRef]
- Shurfa, M.; Girigoswami, A.; Devi, R.S.; Harini, K.; Agraharam, G.; Deepika, B.; Pallavi, P.; Girigoswami, K. Combinatorial effect of Doxorubicin entrapped in Alginate-Chitosan hybrid polymer and Cerium oxide Nanocomposites on skin cancer management in mice. J. Pharm. Sci. 2023, 112, 2891–2900. [Google Scholar] [CrossRef]
- Harini, K.; Alomar, S.Y.; Vajagathali, M.; Manoharadas, S.; Thirumalai, A.; Girigoswami, K.; Girigoswami, A. Niosomal Bupropion: Exploring Therapeutic Frontiers through Behavioral Profiling. Pharmaceuticals 2024, 17, 366. [Google Scholar] [CrossRef]
- Bhuin, A.; Udayakumar, S.; Gopalarethinam, J.; Mukherjee, D.; Girigoswami, K.; Ponraj, C.; Sarkar, S. Photocatalytic degradation of antibiotics and antimicrobial and anticancer activities of two-dimensional ZnO nanosheets. Sci. Rep. 2024, 14, 10406. [Google Scholar] [CrossRef]






Disclaimer/Publisher’s Note: The statements, opinions and data contained in all publications are solely those of the individual author(s) and contributor(s) and not of MDPI and/or the editor(s). MDPI and/or the editor(s) disclaim responsibility for any injury to people or property resulting from any ideas, methods, instructions or products referred to in the content. |
© 2024 by the authors. Licensee MDPI, Basel, Switzerland. This article is an open access article distributed under the terms and conditions of the Creative Commons Attribution (CC BY) license (https://creativecommons.org/licenses/by/4.0/).
Share and Cite
Jessy Mercy, D.; Thirumalai, A.; Udayakumar, S.; Deepika, B.; Janani, G.; Girigoswami, A.; Girigoswami, K. Enhancing Wound Healing with Nanohydrogel-Entrapped Plant Extracts and Nanosilver: An In Vitro Investigation. Molecules 2024, 29, 5004. https://doi.org/10.3390/molecules29215004
Jessy Mercy D, Thirumalai A, Udayakumar S, Deepika B, Janani G, Girigoswami A, Girigoswami K. Enhancing Wound Healing with Nanohydrogel-Entrapped Plant Extracts and Nanosilver: An In Vitro Investigation. Molecules. 2024; 29(21):5004. https://doi.org/10.3390/molecules29215004
Chicago/Turabian StyleJessy Mercy, Devadass, Anbazhagan Thirumalai, Saranya Udayakumar, Balasubramanian Deepika, Gopalarethinam Janani, Agnishwar Girigoswami, and Koyeli Girigoswami. 2024. "Enhancing Wound Healing with Nanohydrogel-Entrapped Plant Extracts and Nanosilver: An In Vitro Investigation" Molecules 29, no. 21: 5004. https://doi.org/10.3390/molecules29215004
APA StyleJessy Mercy, D., Thirumalai, A., Udayakumar, S., Deepika, B., Janani, G., Girigoswami, A., & Girigoswami, K. (2024). Enhancing Wound Healing with Nanohydrogel-Entrapped Plant Extracts and Nanosilver: An In Vitro Investigation. Molecules, 29(21), 5004. https://doi.org/10.3390/molecules29215004

