Dental Bleaching with Phthalocyanine Photosensitizers: Effects on Dentin Color and Collagen Content
Abstract
1. Introduction
2. Results and Discussion
2.1. The Degradation of Orange II In Vitro by PDT
2.2. Development of Orange II-Stained Tooth Staining Model
2.3. Stained-Tooth Bleaching Experiments
2.4. The Restaining of Dentin Blocks after Tooth Bleaching
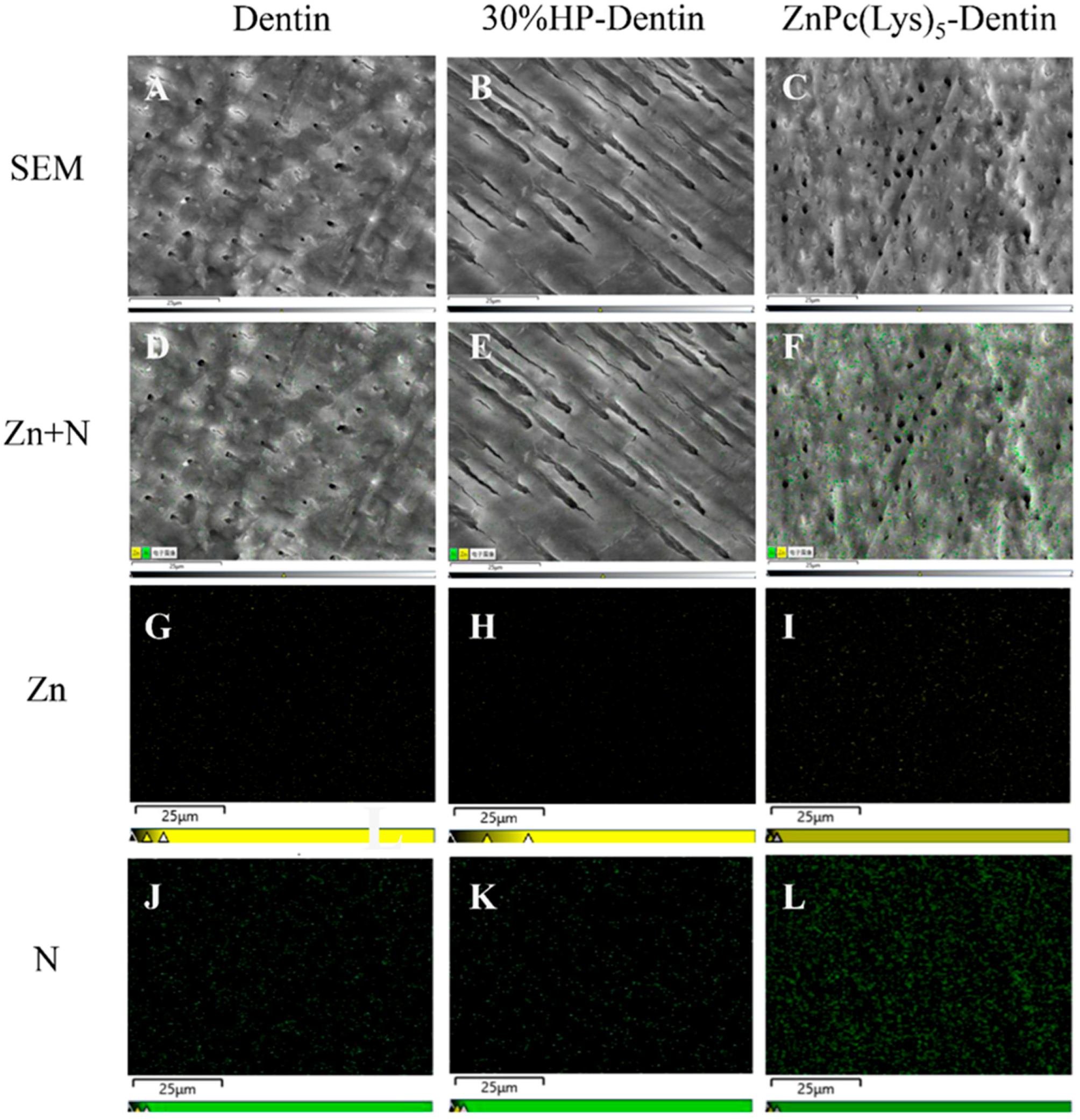
2.5. Physicochemical Properties of Post-Bleaching Dentin Surface
2.6. The Morphological Characterization of Dentin Collagen Fibers after Tooth Whitening
2.7. The In Vitro Effect of Bleaching Agents on Collagen Type I
2.8. Detection of Singlet Oxygen Production during PDT for Bleaching
3. Materials and Methods
3.1. Preparation of ZnPc(Lys)5 Photosensitizer
3.2. Discoloration of Orange II by ZnPc(Lys)5 Photosensitizer and HP in Solution
- Group A: 200 μL of Orange II were reacted with 200 μL of deionized water under an indoor fluorescent lamp.
- Group B: 200 μL of Orange II were reacted with 200 μL of 10% HP under an indoor fluorescent lamp.
- Group C: 200 μL of Orange II were reacted with 200 μL of 30% HP under an indoor fluorescent lamp.
- Group D: 200 μL of Orange II were reacted with 200 μL of ZnPc(Lys)5 under an indoor fluorescent lamp.
- Group E: 200 μL of Orange II were reacted with 200 μL of deionized water under a 680 nm LED lamp.
- Group F: 200 μL of Orange II were reacted with 200 μL of 10% HP under a 680 nm LED lamp.
- Group G: 200 μL of Orange II were reacted with 200 μL of 30% HP under a 680 nm LED lamp.
- Group H: 200 μL of Orange II were reacted with 200 μL of ZnPc(Lys)5 under a 680 nm LED lamp.
3.3. Sample Preparation
3.4. Sample Treatments and Color Evaluation
3.5. SEM Characterization of Dentin Sections and Collagen Fibers
3.6. X-ray Photoelectron Spectroscopy of Dentin Sections
3.7. Effects of Bleaching Agents on Collagen I
3.8. Dynamic Light Scattering (DLS) Measurement of Collagen I
3.9. Detection of Singlet Oxygen with SOSG
3.10. Statistical Analyses
4. Conclusions
Supplementary Materials
Author Contributions
Funding
Institutional Review Board Statement
Informed Consent Statement
Data Availability Statement
Acknowledgments
Conflicts of Interest
Sample Availability
References
- Li, Y. Stain Removal and Whitening by Baking Soda Dentifrice: A Review of Literature. J. Am. Dent. Assoc. 2017, 148, S20–S26. [Google Scholar] [CrossRef] [PubMed]
- Watts, A.; Addy, M. Tooth discolouration and staining: A review of the literature. Br. Dent. J. 2001, 190, 309–316. [Google Scholar] [CrossRef] [PubMed]
- Hannig, M.; Joiner, A. The Structure, Function and Properties of the Acquired Pellicle. Monogr. Oral Sci. 2006, 19, 29–64. [Google Scholar] [CrossRef] [PubMed]
- Brading, M.G.; Joiner, A.; Kinane, D.F. Changes in oral health and condition with age. Int. Dent. J. 2009, 59, 309–320. [Google Scholar] [CrossRef]
- Addy, M.; Moran, J.; Newcombe, R.; Warren, P. The comparative tea staining potential of phenolic, chlorhexidine and anti-adhesive mouthrinses. J. Clin. Periodontol. 1995, 22, 923–928. [Google Scholar] [CrossRef]
- Addy, M.; Moran, J. Mechanisms of Stain Formation on Teeth, in Particular Associated with Metal Ions and Antiseptics. Adv. Dent. Res. 1995, 9, 450–456. [Google Scholar] [CrossRef]
- Paris, S.; Meyer-Lueckel, H. Masking of labial enamel white spot lesions by resin infiltration—A clinical report. Quintessence Int. 2009, 40, 713–718. [Google Scholar]
- Knösel, M.; Attin, R.; Becker, K.; Attin, T. A randomized CIE L*a*b* evaluation of external bleaching therapy effects on fluorotic enamel stains. Quintessence Int. 2008, 39, 391–399. [Google Scholar]
- Hanks, C.T.; Fat, J.C.; Wataha, J.C.; Corcoran, J.F. Cytotoxicity and Dentin Permeability of Carbamide Peroxide and Hy-drogen Peroxide Vital Bleaching Materials, in Vitro. J. Dent. Res. 1993, 72, 931–938. [Google Scholar] [CrossRef]
- Elfallah, H.M.; Bertassoni, L.E.; Charadram, N.; Rathsam, C.; Swain, M.V. Effect of tooth bleaching agents on protein content and mechanical properties of dental enamel. Acta Biomater. 2015, 20, 120–128. [Google Scholar] [CrossRef]
- Carey, C.M. Tooth Whitening: What We Now Know. J. Évid. Based Dent. Pract. 2014, 14, 70–76. [Google Scholar] [CrossRef]
- Goldberg, M.; Grootveld, M.; Lynch, E. Undesirable and adverse effects of tooth-whitening products: A review. Clin. Oral Investig. 2010, 14, 1–10. [Google Scholar] [CrossRef]
- Jorgensen, M.G.; Carroll, W.B. Incidence of tooth sensitivity after home whitening treatment. J. Am. Dent. Assoc. 2002, 133, 1076–1082. [Google Scholar] [CrossRef]
- Patel, S.; Foschi, F.; Mannocci, F.; Patel, K. External cervical resorption: A three-dimensional classification. Int. Endod. J. 2018, 51, 206–214. [Google Scholar] [CrossRef]
- Patel, S.; Foschi, F.; Condon, R.; Pimentel, T.; Bhuva, B. External cervical resorption: Part 2-management. Int. Endod. J. 2018, 51, 1224–1238. [Google Scholar] [CrossRef]
- Cvek, M.; Lindvall, A.-M. External root resorption following bleaching of pulpless teeth with oxygen peroxide. Dent. Traumatol. 1985, 1, 56–60. [Google Scholar] [CrossRef]
- Heithersay, G.S.; Dahlstrom, S.W.; Marin, P.D. Incidence of invasive cervical resorption in bleached root-filled teeth. Aust. Dent. J. 1994, 39, 82–87. [Google Scholar] [CrossRef]
- Nanci, A. Ten Cate’s Oral Histology: Development, Structure, and Function, 6th ed.; Mosby: St. Louis, MO, USA, 2003. [Google Scholar]
- Ubaldini, A.L.M.; Baesso, M.L.; Medina Neto, A.; Sato, F.; Bento, A.C.; Pascotto, R.C. Hydrogen Peroxide Diffusion Dynamics in Dental Tissues. J. Dent. Res. 2013, 92, 661–665. [Google Scholar] [CrossRef]
- Sato, C.; Rodrigues, F.A.; Garcia, D.M.; Vidal, C.M.P.; Pashley, D.H.; Tjaederhane, L.; Carrilho, M.R.; Nascimento, F.D.; Tersariol, I. Tooth Bleaching Increases Dentinal Protease Activity. J. Dent. Res. 2013, 92, 187–192. [Google Scholar] [CrossRef]
- Chng, H.; Ramli, H.; Yap, A.; Lim, C. Effect of hydrogen peroxide on intertubular dentine. J. Dent. 2005, 33, 363–369. [Google Scholar] [CrossRef]
- Toledano, M.; Yamauti, M.; Osorio, E.; Osorio, R. Bleaching Agents Increase Metalloproteinases-mediated Collagen Degradation in Dentin. J. Endod. 2011, 37, 1668–1672. [Google Scholar] [CrossRef] [PubMed]
- Redha, O.; Strange, A.; Maeva, A.; Sambrook, R.; Mordan, N.; McDonald, A.; Bozec, L. Impact of Carbamide Peroxide Whit-ening Agent on Dentinal Collagen. J. Dent. Res. 2019, 98, 443–449. [Google Scholar] [CrossRef] [PubMed]
- Zheng, K.; Liu, X.; Liu, H.; Dong, D.; Li, L.; Jiang, L.; Huang, M.; Ding, C. Novel Ph-Triggered Doxorubicin-Releasing Nano-particles Self-Assembled by Functionalized Β-Cyclodextrin and Amphiphilic Phthalocyanine for Anticancer Therapy. ACS Appl. Mater. Interfaces 2021, 13, 10674–10688. [Google Scholar] [CrossRef]
- Li, L.; Chen, D.; Zheng, K.; Jiang, L.; Dai, T.; Yang, L.; Jiang, L.; Chen, Z.; Yuan, C.; Huang, M. Enhanced Antitumor Efficacy and Imaging Application of Photosensitizer-Formulated Paclitaxel. ACS Appl. Mater. Interfaces 2020, 12, 4221–4230. [Google Scholar] [CrossRef] [PubMed]
- Cláudio, M.M.; Nuernberg, M.A.A.; Rodrigues, J.V.S.; Belizário, L.C.G.; Batista, J.A.; Duque, C.; Garcia, V.G.; Theodoro, L.H. Effects of multiple sessions of antimicrobial photodynamic therapy (aPDT) in the treatment of periodontitis in patients with uncompensated type 2 diabetes: A randomized controlled clinical study. Photodiagnosis Photodyn. Ther. 2021, 35, 102451. [Google Scholar] [CrossRef]
- Yao, Y.; Shi, L.; Wang, Y.; Shen, X.; Ye, S.; Tang, G.; Wu, L. Ablative Fractional Laser-Assisted Photodynamic Therapy Vs. Ab-lative Fractional Laser for Oral Leukoplakia Treatment: A Randomized, Controlled Pilot Study. Photodiagnosis Photodyn. Ther. 2021, 36, 102523. [Google Scholar] [CrossRef]
- Labban, N.; Al Shibani, N.; Al-Kattan, R.; Alfouzan, A.F.; Binrayes, A.; Assery, M.K. Clinical, bacterial, and inflammatory outcomes of indocyanine green-mediated photodynamic therapy for treating periimplantitis among diabetic patients: A randomized controlled clinical trial. Photodiagnosis Photodyn. Ther. 2021, 35, 102350. [Google Scholar] [CrossRef]
- Ma, Y.; Qu, S.; Xu, L.; Lu, H.; Li, B. An in vitro study of the effect of 5-ALA-mediated photodynamic therapy on oral squamous cell carcinoma. BMC Oral Health 2020, 20, 258. [Google Scholar] [CrossRef]
- Coelho, M.S.; Vilas-Boas, L.; Tawil, P.Z. The effects of photodynamic therapy on postoperative pain in teeth with necrotic pulps. Photodiagnosis Photodyn. Ther. 2019, 27, 396–401. [Google Scholar] [CrossRef]
- Zhang, H.; Zhu, Y.; Li, Y.; Qi, X.; Yang, J.; Qi, H.; Li, Q.; Ma, Y.; Zhang, Y.; Zhang, X.; et al. A Bifunctional Zwitteri-on-Modified Porphyrin for Photodynamic Nondestructive Tooth Whitening and Biofilm Eradication. Adv. Funct. Mater. 2021, 31, 2104799. [Google Scholar] [CrossRef]
- Gao, J.; Wang, J.; Yue, X.; Zhou, Y.; Wang, M.; Sun, Y.; Zhang, Q.; Gao, Z.; Zhang, G.-Q.; Shen, J.; et al. Photostable Ag-gregation-Induced Emission Photosensitizer Nanoparticle/Hyaluronic Acid Hydrogel for Efficient Photodynamic Tooth Bleaching. ACS Appl. Nano Mater. 2022, 5, 5944–5951. [Google Scholar] [CrossRef]
- Li, Z.; Wu, Z.; Wang, J.; Huang, M.; Lin, M. Expanding the applications of photodynamic therapy—Tooth bleaching. Clin. Oral Investig. 2022, 26, 2175–2186. [Google Scholar] [CrossRef]
- Costa, J.L.D.S.G.; Besegato, J.F.; Zaniboni, J.F.; Galvani, L.D.; Kuga, M.C. Effects of tooth bleaching protocols with violet LED and hydrogen peroxide on enamel properties. Photodiagnosis Photodyn. Ther. 2022, 38, 102733. [Google Scholar] [CrossRef]
- Schwarzbold, C.G.; Cuevas-Suárez, C.E.; Pacheco, R.R.; Ribeiro, J.S.; Carreño, N.L.V.; Lund, R.G.; Piva, E. In vitro efficacy of commercial and experimental proteolytic enzyme-based whitening dentifrices on enamel whitening and superficial roughness. J. Esthet. Restor. Dent. 2020, 33, 849–855. [Google Scholar] [CrossRef]
- Dionysopoulos, D.; Strakas, D.; Tolidis, K.; Tsitrou, E.; Koumpia, E.; Koliniotou-Koumpia, E. Spectrophotometric analysis of the effectiveness of a novel in-office laser-assisted tooth bleaching method using Er, Cr: YSGG laser. Lasers Med. Sci. 2017, 32, 1811–1818. [Google Scholar] [CrossRef]
- Sulieman, M.; Addy, M.; Rees, J. Development and evaluation of a method in vitro to study the effectiveness of tooth bleaching. J. Dent. 2003, 31, 415–422. [Google Scholar] [CrossRef]
- Lee, B.-S.; Huang, S.-H.; Chiang, Y.-C.; Chien, Y.-S.; Mou, C.-Y.; Lin, C.-P. Development of in vitro tooth staining model and usage of catalysts to elevate the effectiveness of tooth bleaching. Dent. Mater. 2008, 24, 57–66. [Google Scholar] [CrossRef]
- Lopez, A.; Kiwi, J.J.I.; Research, E.C. Modeling the Performance of an Innovative Membrane-Based Reactor. Abatement of Azo Dye (Orange II) up to Biocompatibility. Ind. Eng. Chem. Res. 2001, 40, 1852–1858. [Google Scholar] [CrossRef]
- Alraies, A.; Cole, D.K.; Rees, J.S.; Glasse, C.; Young, N.; Waddington, R.J.; Sloan, A.J. Real-time binding kinetic analyses of the interaction of the dietary stain orange II with dentin matrix. J. Dent. 2019, 80, 80–88. [Google Scholar] [CrossRef]
- Lee, B.-S.; Huang, L.-C.; Hong, C.-Y.; Wang, S.-G.; Hsu, W.-H.; Yamauchi, Y.; Hsieh, C.-J.; Lai, J.-Y.; Wu, K.C.-W. Synthesis of metal ion–histidine complex functionalized mesoporous silica nanocatalysts for enhanced light-free tooth bleaching. Acta Biomater. 2011, 7, 2276–2284. [Google Scholar] [CrossRef]
- Ittatirut, S.; Matangkasombut, O.; Thanyasrisung, P. In-office bleaching gel with 35% hydrogen peroxide enhanced biofilm formation of early colonizing streptococci on human enamel. J. Dent. 2014, 42, 1480–1486. [Google Scholar] [CrossRef] [PubMed]
- Nathoo, S.A. The Chemistry and Mechanisms of Extrinsic and Intrinsic Discoloration. J. Am. Dent. Assoc. 1997, 128, 6S–10S. [Google Scholar] [CrossRef] [PubMed]
- Vilhena, K.F.B.; Nogueira, B.C.L.; Fagundes, N.C.F.; Loretto, S.C.; Angelica, R.S.; Lima, R.R.; Souza, M.H.S.E. Dental enamel bleached for a prolonged and excessive time: Morphological changes. PLoS ONE 2019, 14, e0214948. [Google Scholar] [CrossRef] [PubMed]
- Jiang, T.; Guo, Y.; Feng, X.; Sa, Y.; Yang, X.; Wang, M.; Li, P.; Wang, Y. Hydrogen Peroxide Might Bleach Natural Dentin by Oxidizing Phosphoprotein. J. Dent. Res. 2018, 97, 1339–1345. [Google Scholar] [CrossRef]
- Gerlach, R.W.; Barker, M.L.; Sagel, P.A. Objective and subjective whitening response of two self-directed bleaching systems. Am. J. Dent. 2002, 15, 7A–12A. [Google Scholar]
- Goodson, J.M.; Tavares, M.; Sweeney, M.; Stultz, J.; Newman, M.; Smith, V.; Regan, E.O.; Kent, R. Tooth whitening: Tooth color changes following treatment by peroxide and light. J. Clin. Dent. 2005, 16, 78–82. [Google Scholar]
- Tao, D.; Smith, R.N.; Zhang, Q.; Sun, J.N.; Philpotts, C.J.; Ricketts, S.R.; Naeeni, M.; Joiner, A. Tooth whitening evaluation of blue covarine containing toothpastes. J. Dent. 2017, 67, S20–S24. [Google Scholar] [CrossRef]
- Tao, D.; Sun, J.N.; Wang, X.; Zhang, Q.; Naeeni, M.A.; Philpotts, C.J.; Joiner, A. In vitro and clinical evaluation of optical tooth whitening toothpastes. J. Dent. 2017, 67, S25–S28. [Google Scholar] [CrossRef]
- Joiner, A. A silica toothpaste containing blue covarine: A new technological breakthrough in whitening. Int. Dent. J. 2015, 59, 284–288. [Google Scholar] [CrossRef]
- Lopes, F.C.; Roperto, R.; Akkus, A.; Akkus, O.; Palma-Dibb, R.G.; de Sousa-Neto, M.D. Effect of laser activated bleaching on the chemical stability and morphology of intracoronal dentin. Arch. Oral. Biol. 2018, 86, 40–45. [Google Scholar] [CrossRef]
- Xue, J.; Li, C.; Liu, H.; Wei, J.; Chen, N.; Huang, J. Optimal light dose and drug dosage in the photodynamic treatment using PHOTOCYANINE. Photodiagnosis Photodyn. Ther. 2011, 8, 267–274. [Google Scholar] [CrossRef]
- Chilakamarthi, U.; Giribabu, L. Photodynamic Therapy: Past, Present and Future. Chem. Rec. 2017, 17, 775–802. [Google Scholar] [CrossRef]
- Hamblin, M.R. Antimicrobial photodynamic inactivation: A bright new technique to kill resistant microbes. Curr. Opin. Microbiol. 2016, 33, 67–73. [Google Scholar] [CrossRef]
- Baptista, M.S.; Cadet, J.; Di Mascio, P.; Ghogare, A.A.; Greer, A.; Hamblin, M.R.; Lorente, C.; Nunez, S.C.; Ribeiro, M.S.; Thomas, A.H.; et al. Type I and Type II Photosensitized Oxidation Reactions: Guidelines and Mechanistic Pathways. Photochem. Photobiol. 2017, 93, 912–919. [Google Scholar] [CrossRef]
- Chen, Z.; Zhou, S.; Chen, J.; Li, L.; Hu, P.; Chen, S.; Huang, M. An effective zinc phthalocyanine derivative for photodynamic antimicrobial chemotherapy. J. Lumin. 2014, 152, 103–107. [Google Scholar] [CrossRef]
- Chen, Z.; Zhou, S.; Chen, J.; Deng, Y.; Luo, Z.; Chen, H.; Hamblin, M.R.; Huang, M. Pentalysine Beta-Carbonylphthalocyanine Zinc: An Effective Tumor-Targeting Photosensitizer for Photodynamic Therapy. ChemMedChem 2010, 5, 890–898. [Google Scholar] [CrossRef]







| Group | ||||
|---|---|---|---|---|
| Control | ZnPc(Lys)5 | 10% HP | 30% HP | |
| L* | 40.80 ± 0.93 | 41.06 ± 0.49 | 41.06 ± 1.32 | 40.47 ± 1.07 |
| a* | 28.13 ± 0.83 | 26.33 ± 1.13 | 27.80 ± 1.04 | 26.93 ± 0.98 |
| b* | 32.20 ± 1.72 | 32.93 ± 0.64 | 33.60 ± 1.30 | 33.00 ± 1.45 |
| W | 26.95 ± 0.83 | 27.52 ± 0.45 | 26.67 ± 0.74 | 26.78 ± 1.09 |
Disclaimer/Publisher’s Note: The statements, opinions and data contained in all publications are solely those of the individual author(s) and contributor(s) and not of MDPI and/or the editor(s). MDPI and/or the editor(s) disclaim responsibility for any injury to people or property resulting from any ideas, methods, instructions or products referred to in the content. |
© 2023 by the authors. Licensee MDPI, Basel, Switzerland. This article is an open access article distributed under the terms and conditions of the Creative Commons Attribution (CC BY) license (https://creativecommons.org/licenses/by/4.0/).
Share and Cite
Wu, Z.; Wang, G.; Li, Z.; Li, Z.; Huang, D.; Huang, M.; Lin, M. Dental Bleaching with Phthalocyanine Photosensitizers: Effects on Dentin Color and Collagen Content. Molecules 2023, 28, 4223. https://doi.org/10.3390/molecules28104223
Wu Z, Wang G, Li Z, Li Z, Huang D, Huang M, Lin M. Dental Bleaching with Phthalocyanine Photosensitizers: Effects on Dentin Color and Collagen Content. Molecules. 2023; 28(10):4223. https://doi.org/10.3390/molecules28104223
Chicago/Turabian StyleWu, Zhouyan, Guodong Wang, Zhiming Li, Zhengquan Li, Dandan Huang, Mingdong Huang, and Minkui Lin. 2023. "Dental Bleaching with Phthalocyanine Photosensitizers: Effects on Dentin Color and Collagen Content" Molecules 28, no. 10: 4223. https://doi.org/10.3390/molecules28104223
APA StyleWu, Z., Wang, G., Li, Z., Li, Z., Huang, D., Huang, M., & Lin, M. (2023). Dental Bleaching with Phthalocyanine Photosensitizers: Effects on Dentin Color and Collagen Content. Molecules, 28(10), 4223. https://doi.org/10.3390/molecules28104223

