Development and Optimization of Chitosan Nanoparticle-Based Intranasal Vaccine Carrier
Abstract
:1. Introduction
2. Results and Discussion
2.1. Preparation and Characteristics of CS-NPs
2.2. Preparation and Optimization of Man-BSA-CS-NPs
2.3. Characterization of Man-BSA-CS-NPs
2.3.1. Fourier Transform Infrared (FTIR) Characterization
2.3.2. DSC Characterization
2.3.3. Sodium Dodecyl Sulfate Polyacrylamide Gel Electrophoresis (SDS-PAGE) Analysis
2.4. Binding Parameters and Thermodynamic Analysis of CS-BSA and Man-CS-BSA Adducts by Fluorescence Spectroscopy
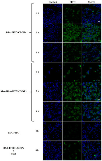
2.5. Cytotoxicity and Cell Uptake Study
2.6. In Vivo Immunogenicity
3. Materials and Methods
3.1. Materials
3.2. Preparation of Chitosan Nanoparticles (CS-NPs)
3.3. Design of Experiment (DoE)
3.4. Characterization of NPs
3.4.1. Particle Size, Zeta Potential and Polydispersity index (PDI)
3.4.2. Transmission Electron Microscope (TEM)
3.4.3. Fourier Transform Infrared Spectroscopy (FTIR)
3.4.4. Differential Scanning Calorimetry (DSC)
3.4.5. Sodium Dodecyl Sulfate Polyacrylamide Gel Electrophoresis (SDS-PAGE)
3.5. Investigation of the Interaction between Bovine Serum Albumin (BSA) and CS, and between BSA and Man by Fluorescence Spectroscopy
3.6. Cell Study
3.6.1. Cell Culture
3.6.2. Cytotoxicity Testing with MTT Method
3.6.3. Cell Uptake Study
3.7. Animal Study
3.7.1. Animal Culture
3.7.2. Intranasal (IN) Administration and Intramuscular (IM) Injection
3.7.3. Antibody Concentrations of Serum and Nasal Lavage Fluid (NLF)
3.8. Statistical Analysis
4. Conclusions
Author Contributions
Funding
Institutional Review Board Statement
Informed Consent Statement
Data Availability Statement
Conflicts of Interest
Sample Availability
References
- Borriello, A.; Master, D.; Pellegrini, A.; Rose, J.M. Preferences for a COVID-19 vaccine in Australia. Vaccine 2021, 39, 473–479. [Google Scholar] [CrossRef]
- Abu Farha, R.K.; Alzoubi, K.H.; Khabour, O.F.; Alfaqih, M.A. Exploring perception and hesitancy toward COVID-19 vaccine: A study from Jordan. Hum. Vaccines Immunother. 2021, 17, 2415–2420. [Google Scholar] [CrossRef] [PubMed]
- Bleier, B.S.; Ramanathan, M., Jr.; Lane, A.P. COVID-19 Vaccines May Not Prevent Nasal SARS-CoV-2 Infection and Asymptomatic Transmission. Otolaryngol. Head Neck Surg. 2021, 164, 305–307. [Google Scholar] [CrossRef] [PubMed]
- Mercado, N.B.; Zahn, R.; Wegmann, F.; Loos, C.; Chandrashekar, A.; Yu, J.; Liu, J.; Peter, L.; McMahan, K.; Tostanoski, L.H.; et al. Single-shot Ad26 vaccine protects against SARS-CoV-2 in rhesus macaques. Nature 2020, 586, 583–588. [Google Scholar] [CrossRef] [PubMed]
- Wu, S.; Zhong, G.; Zhang, J.; Shuai, L.; Zhang, Z.; Wen, Z.; Wang, B.; Zhao, Z.; Song, X.; Chen, Y.; et al. A single dose of an adenovirus-vectored vaccine provides protection against SARS-CoV-2 challenge. Nat. Commun. 2020, 11, 4081. [Google Scholar] [CrossRef]
- Wu, S.; Huang, J.; Zhang, Z.; Wu, J.; Zhang, J.; Hu, H.; Zhu, T.; Zhang, J.; Luo, L.; Fan, P.; et al. Safety, tolerability, and immunogenicity of an aerosolised adenovirus type-5 vector-based COVID-19 vaccine (Ad5-nCoV) in adults: Preliminary report of an open-label and randomised phase 1 clinical trial. Lancet Infect. Dis. 2021, 21, 1654–1664. [Google Scholar] [CrossRef]
- Lycke, N. Recent progress in mucosal vaccine development: Potential and limitations. Nat. Rev. Immunol. 2012, 12, 592–605. [Google Scholar] [CrossRef]
- Thomann-Harwood, L.J.; Kaeuper, P.; Rossi, N.; Milona, P.; Herrmann, B.; McCullough, K.C. Nanogel vaccines targeting dendritic cells: Contributions of the surface decoration and vaccine cargo on cell targeting and activation. J. Control. Release 2013, 166, 95–105. [Google Scholar] [CrossRef]
- Lewis, A.L.; Jordan, F.; Illum, L. CriticalSorb: Enabling systemic delivery of macromolecules via the nasal route. Drug Deliv. Transl. Res. 2013, 3, 26–32. [Google Scholar] [CrossRef]
- Walker, W.T.; Liew, A.; Harris, A.; Cole, J.; Lucas, J.S. Upper and lower airway nitric oxide levels in primary ciliary dyskinesia, cystic fibrosis and asthma. Respir. Med. 2013, 107, 380–386. [Google Scholar] [CrossRef] [Green Version]
- Lobaina Mato, Y. Nasal route for vaccine and drug delivery: Features and current opportunities. Int. J. Pharm. 2019, 572, 118813. [Google Scholar] [CrossRef]
- Fortuna, A.; Alves, G.; Serralheiro, A.; Sousa, J.; Falcao, A. Intranasal delivery of systemic-acting drugs: Small-molecules and biomacromolecules. Eur. J. Pharm. Biopharm. 2014, 88, 8–27. [Google Scholar] [CrossRef]
- Mohammadpourdounighi, N.; Behfar, A.; Ezabadi, A.; Zolfagharian, H.; Heydari, M. Preparation of chitosan nanoparticles containing Naja naja oxiana snake venom. Nanomedicine 2010, 6, 137–143. [Google Scholar] [CrossRef]
- Kumar, A.; Vimal, A.; Kumar, A. Why Chitosan? From properties to perspective of mucosal drug delivery. Int. J. Biol. Macromol. 2016, 91, 615–622. [Google Scholar] [CrossRef]
- Dyer, A.M.; Hinchcliffe, M.; Watts, P.; Castile, J.; Jabbal-Gill, I.; Nankervis, R.; Smith, A.; Illum, L. Nasal delivery of insulin using novel chitosan based formulations: A comparative study in two animal models between simple chitosan formulations and chitosan nanoparticles. Pharm. Res. 2002, 19, 998–1008. [Google Scholar] [CrossRef] [PubMed]
- Kammona, O.; Kiparissides, C. Recent advances in nanocarrier-based mucosal delivery of biomolecules. J. Control. Release 2012, 161, 781–794. [Google Scholar] [CrossRef]
- Fernandez-Urrusuno, R.; Calvo, P.; Remunan-Lopez, C.; Vila-Jato, J.L.; Alonso, M.J. Enhancement of nasal absorption of insulin using chitosan nanoparticles. Pharm. Res. 1999, 16, 1576–1581. [Google Scholar] [CrossRef] [PubMed]
- El-Sissi, A.F.; Mohamed, F.H.; Danial, N.M.; Gaballah, A.Q.; Ali, K.A. Chitosan and chitosan nanoparticles as adjuvant in local Rift Valley Fever inactivated vaccine. 3 Biotech 2020, 10, 88. [Google Scholar] [CrossRef] [PubMed]
- Vila, A.; Sanchez, A.; Janes, K.; Behrens, I.; Kissel, T.; Vila Jato, J.L.; Alonso, M.J. Low molecular weight chitosan nanoparticles as new carriers for nasal vaccine delivery in mice. Eur. J. Pharm. Biopharm. 2004, 57, 123–131. [Google Scholar] [CrossRef]
- Fabregas, A.; Minarro, M.; Garcia-Montoya, E.; Perez-Lozano, P.; Carrillo, C.; Sarrate, R.; Sanchez, N.; Tico, J.R.; Sune-Negre, J.M. Impact of physical parameters on particle size and reaction yield when using the ionic gelation method to obtain cationic polymeric chitosan-tripolyphosphate nanoparticles. Int. J. Pharm. 2013, 446, 199–204. [Google Scholar] [CrossRef]
- Sutar, Y.B.; Telvekar, V.N. Chitosan based copolymer-drug conjugate and its protein targeted polyelectrolyte complex nanoparticles to enhance the efficiency and specificity of low potency anticancer agent. Mater. Sci. Eng. C Mater. Biol. Appl. 2018, 92, 393–406. [Google Scholar] [CrossRef] [PubMed]
- Shi, X.Y.; Tan, T.W. Preparation of chitosan/ethylcellulose complex microcapsule and its application in controlled release of vitamin D2. Biomaterials 2002, 23, 4469–4473. [Google Scholar] [CrossRef]
- Desai, K.G. Chitosan Nanoparticles Prepared by Ionotropic Gelation: An Overview of Recent Advances. Crit. Rev. Ther. Drug Carrier Syst. 2016, 33, 107–158. [Google Scholar] [CrossRef] [PubMed]
- Mahmood, A.; Lanthaler, M.; Laffleur, F.; Huck, C.W.; Bernkop-Schnurch, A. Thiolated chitosan micelles: Highly mucoadhesive drug carriers. Carbohydr. Polym. 2017, 167, 250–258. [Google Scholar] [CrossRef]
- Zhang, X.; Zhang, H.; Wu, Z.; Wang, Z.; Niu, H.; Li, C. Nasal absorption enhancement of insulin using PEG-grafted chitosan nanoparticles. Eur. J. Pharm. Biopharm. 2008, 68, 526–534. [Google Scholar] [CrossRef]
- Amidi, M.; Romeijn, S.G.; Verhoef, J.C.; Junginger, H.E.; Bungener, L.; Huckriede, A.; Crommelin, D.J.; Jiskoot, W. N-trimethyl chitosan (TMC) nanoparticles loaded with influenza subunit antigen for intranasal vaccination: Biological properties and immunogenicity in a mouse model. Vaccine 2007, 25, 144–153. [Google Scholar] [CrossRef]
- Jiang, H.-L.; Park, I.-K.; Kang, M.-L.; Yoo, H.-S.; Choi, Y.-J.; Akaike, T.; Cho, C.-S. Immune stimulating activity of an atrophic rhinitis vaccine associated to pegylated chitosan microspheres in vitro. Polym. Adv. Technol. 2007, 18, 220–225. [Google Scholar] [CrossRef]
- Apostolopoulos, V.; Thalhammer, T.; Tzakos, A.G.; Stojanovska, L. Targeting antigens to dendritic cell receptors for vaccine development. J. Drug Deliv. 2013, 2013, 869718. [Google Scholar] [CrossRef]
- Yao, W.; Jiao, Y.; Luo, J.; Du, M.; Zong, L. Practical synthesis and characterization of mannose-modified chitosan. Int. J. Biol. Macromol. 2012, 50, 821–825. [Google Scholar] [CrossRef]
- Kim, T.H.; Jin, H.; Kim, H.W.; Cho, M.H.; Cho, C.S. Mannosylated chitosan nanoparticle-based cytokine gene therapy suppressed cancer growth in BALB/c mice bearing CT-26 carcinoma cells. Mol. Cancer Ther. 2006, 5, 1723–1732. [Google Scholar] [CrossRef] [Green Version]
- Esfandiari, F.; Motazedian, M.H.; Asgari, Q.; Morowvat, M.H.; Molaei, M.; Heli, H. Paromomycin-loaded mannosylated chitosan nanoparticles: Synthesis, characterization and targeted drug delivery against leishmaniasis. Acta Trop. 2019, 197, 105045. [Google Scholar] [CrossRef]
- Yao, W.; Peng, Y.; Du, M.; Luo, J.; Zong, L. Preventative vaccine-loaded mannosylated chitosan nanoparticles intended for nasal mucosal delivery enhance immune responses and potent tumor immunity. Mol. Pharm. 2013, 10, 2904–2914. [Google Scholar] [CrossRef]
- Sadeghi, Z.; Fasihi-Ramandi, M.; Azizi, M.; Bouzari, S. Mannosylated chitosan nanoparticles loaded with FliC antigen as a novel vaccine candidate against Brucella melitensis and Brucella abortus infection. J. Biotechnol. 2020, 310, 89–96. [Google Scholar] [CrossRef] [PubMed]
- MacCuspie, R.I.; Rogers, K.; Patra, M.; Suo, Z.; Allen, A.J.; Martin, M.N.; Hackley, V.A. Challenges for physical characterization of silver nanoparticles under pristine and environmentally relevant conditions. J. Environ. Monit. 2011, 13, 1212–1226. [Google Scholar] [CrossRef] [PubMed]
- Bodnar, M.; Hartmann, J.F.; Borbely, J. Preparation and characterization of chitosan-based nanoparticles. Biomacromolecules 2005, 6, 2521–2527. [Google Scholar] [CrossRef] [PubMed]
- Xu, Y.; Du, Y. Effect of molecular structure of chitosan on protein delivery properties of chitosan nanoparticles. Int. J. Pharm. 2003, 250, 215–226. [Google Scholar] [CrossRef]
- Pawlak, A.; Mucha, M. Thermogravimetric and FTIR studies of chitosan blends. Thermochim. Acta 2003, 396, 153–166. [Google Scholar] [CrossRef]
- Paula, H.C.B.; Silva, R.B.C.; Santos, C.M.; Dantas, F.D.S.; de Paula, R.C.M.; de Lima, L.R.M.; de Oliveira, E.F.; Figueiredo, E.A.T.; Dias, F.G.B. Eco-friendly synthesis of an alkyl chitosan derivative. Int. J. Biol. Macromol. 2020, 163, 1591–1598. [Google Scholar] [CrossRef]
- Martins, A.F.; de Oliveira, D.M.; Pereira, A.G.; Rubira, A.F.; Muniz, E.C. Chitosan/TPP microparticles obtained by microemulsion method applied in controlled release of heparin. Int. J. Biol. Macromol. 2012, 51, 1127–1133. [Google Scholar] [CrossRef] [Green Version]
- Li, Y.; Song, H.; Xiong, S.; Tian, T.; Liu, T.; Sun, Y. Chitosan-stablized bovine serum albumin nanoparticles having ability to control the release of NELL-1 protein. Int. J. Biol. Macromol. 2018, 109, 672–680. [Google Scholar] [CrossRef]
- Samouillan, V.; Dandurand-Lods, J.; Lamure, A.; Maurel, E.; Lacabanne, C.; Gerosa, G.; Venturini, A.; Casarotto, D.; Gherardini, L.; Spina, M. Thermal analysis characterization of aortic tissues for cardiac valve bioprostheses. J. Biomed. Mater. Res. 1999, 46, 531–538. [Google Scholar] [CrossRef]
- Bekale, L.; Agudelo, D.; Tajmir-Riahi, H.A. Effect of polymer molecular weight on chitosan-protein interaction. Colloids Surf. B Biointerfaces 2015, 125, 309–317. [Google Scholar] [CrossRef] [PubMed]
- Shariatinia, Z. Pharmaceutical applications of chitosan. Adv. Colloid Interface Sci. 2019, 263, 131–194. [Google Scholar] [CrossRef]
- Popescu, R.; Ghica, M.V.; Dinu-Pirvu, C.E.; Anuta, V.; Lupuliasa, D.; Popa, L. New Opportunity to Formulate Intranasal Vaccines and Drug Delivery Systems Based on Chitosan. Int. J. Mol. Sci. 2020, 21, 5016. [Google Scholar] [CrossRef]
- Belatik, A.; Hotchandani, S.; Bariyanga, J.; Tajmir-Riahi, H.A. Binding sites of retinol and retinoic acid with serum albumins. Eur. J. Med. Chem. 2012, 48, 114–123. [Google Scholar] [CrossRef]
- Martinez-Tome, M.J.; Esquembre, R.; Mallavia, R.; Mateo, C.R. Formation of complexes between the conjugated polyelectrolyte poly{[9,9-bis(6′-N,N,N-trimethylammonium)hexyl]fluorene-phenylene} bromide (HTMA-PFP) and human serum albumin. Biomacromolecules 2010, 11, 1494–1501. [Google Scholar] [CrossRef] [PubMed]
- Rashad, M.M.; El-Kemary, N.M.; Amer, S.; El-Kemary, M. Bovine serum albumin/chitosan-nanoparticle bio-complex; spectroscopic study and in vivo toxicological—Hypersensitivity evaluation. Spectrochim. Acta A Mol. Biomol. Spectrosc. 2021, 253, 119582. [Google Scholar] [CrossRef]
- Wang, C.; Wu, Q.H.; Wang, Z.; Zhao, J. Study of the interaction of carbamazepine with bovine serum albumin by fluorescence quenching method. Anal. Sci. 2006, 22, 435–438. [Google Scholar] [CrossRef] [PubMed] [Green Version]
- Gan, Q.; Wang, T. Chitosan nanoparticle as protein delivery carrier--systematic examination of fabrication conditions for efficient loading and release. Colloids Surf. B Biointerfaces 2007, 59, 24–34. [Google Scholar] [CrossRef] [PubMed]
- Witek-Krowiak, A.; Chojnacka, K.; Podstawczyk, D.; Dawiec, A.; Pokomeda, K. Application of response surface methodology and artificial neural network methods in modelling and optimization of biosorption process. Bioresour. Technol. 2014, 160, 150–160. [Google Scholar] [CrossRef]
- Clarke, N.J.; Li, F.; Tomlinson, A.J.; Naylor, S. One step microelectroelution concentration method for efficient coupling of sodium dodecylsulfate gel electrophoresis and matrix-assisted laser desorption time-of-flight mass spectrometry for protein analysis. J. Am. Soc. Mass Spectrom. 1998, 9, 88–91. [Google Scholar] [CrossRef] [Green Version]
- Capsoni, S.; Giannotta, S.; Cattaneo, A. Nerve growth factor and galantamine ameliorate early signs of neurodegeneration in anti-nerve growth factor mice. Proc. Natl. Acad. Sci. USA 2002, 99, 12432–12437. [Google Scholar] [CrossRef] [PubMed] [Green Version]
- Cho, S.H.; Oh, S.Y.; Zhu, Z.; Lee, J.; Lane, A.P. Spontaneous eosinophilic nasal inflammation in a genetically-mutant mouse: Comparative study with an allergic inflammation model. PLoS ONE 2012, 7, e35114. [Google Scholar] [CrossRef] [PubMed] [Green Version]












| Lot# | CS:TPP (w/w) | Particle Size ± SD (nm) | PDI | Zeta (mV) |
|---|---|---|---|---|
| CS-NP-2-1 | 2.2:1 | 246.1 ± 12.7 | 0.493 ± 0.043 | 36.4 ± 0.4 |
| CS-NP-2-2 | 2.3:1 | 194.0 ± 3.6 | 0.325 ± 0.028 | 37.3 ± 0.1 |
| CS-NP-2-3 | 2.4:1 | 217.5 ± 3.1 | 0.384 ± 0.011 | 40.2 ± 1.1 |
| Value | Mannose (Man) (3 mg/mL) | Co-Mixing Time (24 h) | Bovine Serum Albumin (BSA) (250 μg) |
|---|---|---|---|
| Optimization Responses | Experimental Results | ||
| Particle size | 156 ± 10 nm | 142 ± 3 nm | |
| PDI | 0.206 ± 0.021 | 0.183 ± 0.019 | |
| Zeta potential | 33.5 ± 1.2 mV | 32.9 ± 0.4 mV | |
| (a) | ||||||
| CS-BSA Complexes | Quenching Constants | |||||
| T (K) | KSV (M−1) | Kq (M−1s−1) | ||||
| CS-85% DD-BSA | 298 | 3.30 × 104 | 5.59 × 1012 | |||
| 308 | 3.32 × 104 | 5.63 × 1012 | ||||
| CS-90% DD-BSA | 298 | 4.02 × 104 | 6.81 × 1012 | |||
| 308 | 4.08 × 104 | 6.92 × 1012 | ||||
| CS-95% DD-BSA | 298 | 1.94 × 105 | 3.28 × 1013 | |||
| 308 | 2.02 × 105 | 3.42 × 1013 | ||||
| (b) | ||||||
| Chitosan-Protein Complexes | T (K) | ∆H (kJ mol−1) | ∆S (mol−1 K−1) | ∆G (kJ mol−1) | Nature of the Binding Forces | |
| CS-85% DD-BSA | 298 | 0.69 | 88.05 | −25.78 | ∆H > 0 and ∆S > 0, Hydrophobic forces | |
| 308 | 88.05 | −26.66 | ||||
| CS-90% DD-BSA | 298 | 1.13 | 91.94 | −26.27 | ∆H > 0 and ∆S > 0, Hydrophobic forces | |
| 308 | 91.94 | −27.19 | ||||
| CS-95% DD-BSA | 298 | 3.13 | 111.71 | −30.16 | ∆H > 0 and ∆S > 0, Hydrophobic forces | |
| 308 | 111.71 | −31.28 | ||||
| Lot# | CS (mg/mL) | TPP (mg/mL) | CS:TPP (w/w) | CS:TPP (v/v) |
|---|---|---|---|---|
| CS-NP-1-1 | 1 | 2 | 1.25:1 | 5:2 |
| CS-NP-1-2 | 1 | 1 | 2.5:1 | 5:2 |
| CS-NP-1-3 | 1 | 0.5 | 5:1 | 5:2 |
| CS-NP-2-1 | 1 | 1.15 | 2.2:1 | 5:2 |
| CS-NP-2-2 | 1 | 1.1 | 2.3:1 | 5:2 |
| CS-NP-2-3 | 1 | 1.05 | 2.4:1 | 5:2 |
| (a) | ||||||
| Variable Factor | Low Level | Mid-Level | Low Level | |||
| Concentration of Mannose (Man) X1 (mg/mL) | 1 | 2 | 3 | |||
| The blending time of CS and Mannose (Co-Mixing Time) X2 (h) | 6 | 12 | 24 | |||
| Amount of bovine serum albumin (BSA) X3 (μg) | 250 | 500 | 1000 | |||
| (b) | ||||||
| Run | Man (mg/mL) | Mixing Time (h) | BSA (μg) | Particle Size (nm) | PDI | Zeta (mV) |
| 1 | 1 | 6 | 250 | 189.1 (±2.3) | 0.324 (±0.044) | 33.8 (±0.5) |
| 2 | 1 | 6 | 500 | 176.9 (±1.0) | 0.287 (±0.015) | 33.6 (±0.9) |
| 3 | 1 | 6 | 1000 | 192.4 (±2.2) | 0.272 (±0.008) | 37.7 (±0.7) |
| 4 | 1 | 12 | 250 | 155.1 (±1.3) | 0.218 (±0.017) | 32.9 (±0.8) |
| 5 | 1 | 12 | 500 | 150.4 (±3.0) | 0.200 (±0.011) | 30.8 (±1.1) |
| 6 | 1 | 12 | 1000 | 141.8 (±3.0) | 0.211 (±0.005) | 31.6 (±1.1) |
| 7 | 1 | 24 | 250 | 183.3 (±0.9) | 0.170 (±0.007) | 29.0 (±0.7) |
| 8 | 1 | 24 | 500 | 172.8 (±2.3) | 0.223 (±0.009) | 34.7 (±1.0) |
| 9 | 1 | 24 | 1000 | 189.9 (±2.4) | 0.260 (±0.013) | 34.3 (±1.0) |
| 10 | 2 | 6 | 250 | 161.6 (±4.1) | 0.211 (±0.016) | 32.9 (±0.5) |
| 11 | 2 | 6 | 500 | 164.3 (±4.9) | 0.200 (±0.015) | 31.4 (±0.8) |
| 12 | 2 | 6 | 1000 | 172.7 (±3.7) | 0.197 (±0.012) | 30.4 (±0.5) |
| 13 | 2 | 12 | 250 | 161.7 (±5.4) | 0.246 (±0.004) | 34.2 (±0.3) |
| 14 | 2 | 12 | 500 | 161.8 (±2.6) | 0.234 (±0.016) | 33.6 (±0.4) |
| 15 | 2 | 12 | 1000 | 169.7 (±4.3) | 0.258 (±0.008) | 30.9 (±0.6) |
| 16 | 2 | 24 | 250 | 179.0 (±2.6) | 0.224 (±0.019) | 32.7 (±0.4) |
| 17 | 2 | 24 | 500 | 141.3 (±3.6) | 0.190 (±0.024) | 32.9 (±0.4) |
| 18 | 2 | 24 | 1000 | 158.4 (±4.2) | 0.189 (±0.009) | 36.4 (±1.5) |
| 19 | 3 | 6 | 250 | 153.3 (±4.3) | 0.211 (±0.026) | 31.7 (±0.9) |
| 20 | 3 | 6 | 500 | 172.1 (±5.3) | 0.218 (±0.004) | 30.2 (±1.5) |
| 21 | 3 | 6 | 1000 | 161.4 (±4.0) | 0.228 (±0.017) | 30.7 (±1.2) |
| 22 | 3 | 12 | 250 | 161.8 (±2.5) | 0.224 (±0.018) | 33.7 (±0.4) |
| 23 | 3 | 12 | 500 | 150.9 (±5.2) | 0.233 (±0.015) | 32.6 (±0.9) |
| 24 | 3 | 12 | 1000 | 160.6 (±2.7) | 0.232 (±0.003) | 32.9 (±0.6) |
| 25 | 3 | 24 | 250 | 142.3 (±2.9) | 0.183 (±0.019) | 32.9 (±0.4) |
| 26 | 3 | 24 | 500 | 177.0 (±5.2) | 0.248 (±0.013) | 33.3 (±0.6) |
| 27 | 3 | 24 | 1000 | 170.1 (±3.7) | 0.240 (±0.019) | 31.6 (±0.7) |
Publisher’s Note: MDPI stays neutral with regard to jurisdictional claims in published maps and institutional affiliations. |
© 2021 by the authors. Licensee MDPI, Basel, Switzerland. This article is an open access article distributed under the terms and conditions of the Creative Commons Attribution (CC BY) license (https://creativecommons.org/licenses/by/4.0/).
Share and Cite
Gao, X.; Liu, N.; Wang, Z.; Gao, J.; Zhang, H.; Li, M.; Du, Y.; Gao, X.; Zheng, A. Development and Optimization of Chitosan Nanoparticle-Based Intranasal Vaccine Carrier. Molecules 2022, 27, 204. https://doi.org/10.3390/molecules27010204
Gao X, Liu N, Wang Z, Gao J, Zhang H, Li M, Du Y, Gao X, Zheng A. Development and Optimization of Chitosan Nanoparticle-Based Intranasal Vaccine Carrier. Molecules. 2022; 27(1):204. https://doi.org/10.3390/molecules27010204
Chicago/Turabian StyleGao, Xiaoyi, Nan Liu, Zengming Wang, Jing Gao, Hui Zhang, Meng Li, Yimeng Du, Xiang Gao, and Aiping Zheng. 2022. "Development and Optimization of Chitosan Nanoparticle-Based Intranasal Vaccine Carrier" Molecules 27, no. 1: 204. https://doi.org/10.3390/molecules27010204
APA StyleGao, X., Liu, N., Wang, Z., Gao, J., Zhang, H., Li, M., Du, Y., Gao, X., & Zheng, A. (2022). Development and Optimization of Chitosan Nanoparticle-Based Intranasal Vaccine Carrier. Molecules, 27(1), 204. https://doi.org/10.3390/molecules27010204
