Manufactural Investigations on Dissimilar Laser Cladding and Post-Clad Heat Treatment Processes of Heat-Resistant Ni Alloy on Cu Substrate
Abstract
1. Introduction
2. Materials and Methods
2.1. Materials
2.2. Laser Cladding and Post-Clad Heat Treatments
2.3. Microstructure and Mechanical Properties
3. Results
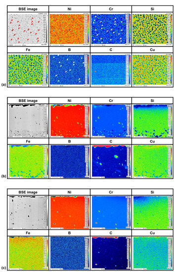
3.1. Microstructure and Mechanical Properties of NiCrBSi Clads
3.2. Influence of Post-Clad Heat Treatment on the Microstructure and Mechanical Properties of Clads
3.2.1. Furnace Heat Treatment below the Melting Point of Cu
3.2.2. Laser Heat Treatment above the Melting Point of Cu
3.3. Optimal Dissimilar Coating Process for High-Durability Condinuous Casting Mold
4. Conclusions
- (1)
- Successful laser cladding between NiCrBSi alloy and Cu was achieved using a high-power diode laser, and a sound clad metal without cracks or pores was obtained, with a hardness of ~450 HV.
- (2)
- In the case of furnace post-cladding heat treatment, the hardness of the clad metal continuously decreased with increasing temperature to 142 HV (at 1223 K; 500 min), i.e., a 70% decrease compared to the as-clad sample. This was attributed to the dilution with the softer Cu substrate and the microstructural evolution during heat treatment. The solidification microstructure was almost homogenized during the heat treatment, and boride secondary phases formed and almost dissolved into the matrix phase.
- (3)
- For the laser surface heat treatment of the clad metal at 1323 K, changes to the top ~1.3 mm of the sample were observed, and the average surface hardness was 359 HV. Compared to the hardness of the as-clad specimen (453 HV), the laser heat treatment also resulted in a much smaller hardness loss than the furnace heat treatment. In contrast, the hardness of the as-sprayed coatings (730–750 HV) increased up to ~1200 HV, which was correlated with the microstructural features of the finely distributed secondary phases (carbides and borides) after laser fusing treatment.
- (4)
- In conclusion, considering the mechanical performance and microstructural features, minimization of Cu dilution is preferentially recommended for the laser cladding of NiCrBSi alloy on Cu substrate. Furthermore, when it is difficult to minimize the Cu dilution during the laser cladding, thermal spraying in conjunction with laser fusing treatment appears to be sufficiently applicable for high-durability continuous casting molds.
Funding
Institutional Review Board Statement
Informed Consent Statement
Acknowledgments
Conflicts of Interest
References
- Xu, Z.; Zhang, P.; Wang, W.; Shi, Q.; Yang, H.; Wang, D.; Hong, Y.; Wang, L.; Guo, C.; Lin, S.; et al. AlCoCrNiMo high-entropy alloy as diffusion barrier between NiAlHf coating and Ni-based single crystal superalloy. Surf. Coat. Technol. 2021, 414, 127101. [Google Scholar] [CrossRef]
- Chun, E.-J.; Kim, M.-S.; Nishikawa, H.; Park, C.; Suh, J. Laser-assisted selective fusing of thermal sprayed Ni-based self-fluxing alloys by using high-power diode lasers. Opt. Laser Technol. 2018, 100, 317–324. [Google Scholar] [CrossRef]
- Moskal, G.; Niemiec, D.; Chmiela, B.; Kałamarz, P.; Durejko, T.; Ziętala, M.; Czujko, T. Microstructural characterization of laser-cladded NiCrAlY coatings on Inconel 625 Ni-based superalloy and 316L stainless steel. Surf. Coat. Technol. 2020, 387, 125317. [Google Scholar] [CrossRef]
- Chun, E.-J.; Park, C.; Nishikawa, H.; Kim, M.-S. Microstructural characterization of Ni-based self-fluxing alloy after selective surface-engineering using diode laser. Appl. Surf. Sci. 2018, 442, 726–735. [Google Scholar] [CrossRef]
- Park, C.; Lee, J.-H.; Kang, N.; Chun, E.-J. Correlation between microstructure and tribological properties of laser surface heat-treated Stellite coatings. Coatings 2020, 10, 433. [Google Scholar] [CrossRef]
- Park, C.; Chun, E.-J. Influence of laser-assisted fusing on microstructural evolution and tribological properties of NiWCrSiB coating. Metals 2020, 10, 548. [Google Scholar] [CrossRef]
- Chun, E.-J.; Sim, A.; Kim, M.-S.; Kang, N. Microstructural Characterization of Surface Softening Behavior for Cu-Bearing Martensitic Steels after Laser Surface Heat Treatment. Metals 2018, 8, 470. [Google Scholar] [CrossRef]
- Sim, A.; Chun, E.-J.; Cho, D.-E. Numerical simulation of surface softening behavior for laser heat treated Cu-bearing medium carbon steel. Metals Mater. Int. 2020, 26, 1207–1217. [Google Scholar] [CrossRef]
- Park, C.; Kim, J.; Sim, A.; Sohn, H.; Jang, H.; Chun, E.-J. Influence of diode laser heat treatment and wear conditions on the fretting wear behavior of a mold steel. Wear 2019, 434–435, 202961. [Google Scholar] [CrossRef]
- Yang, H.; Zhou, T.; Wang, Q.; Zhou, H. Effects of laser melting distribution on wear resistance and fatigue resistance of gray cast iron. Metals 2020, 10, 1257. [Google Scholar] [CrossRef]
- Liu, G.; Du, D.; Wang, K.; Pu, Z.; Chang, B. Epitaxial growth behavior and stray grains formation mechanism during laser surface re-melting of directionally solidified nickel-based superalloys. J. Alloys Compds. 2021, 853, 157325. [Google Scholar] [CrossRef]
- Sim, A.; Park, C.; Kang, N.; Kim, Y.; Chun, E.-J. Effect of laser-assisted nitriding with a high-power diode laser on surface hardening of aluminum-containing martensitic steel. Optics Laser Technol. 2019, 116, 305–314. [Google Scholar] [CrossRef]
- Shin, W.-S.; Yoo, H.J.; Kim, J.H.; Choi, J.; Chun, E.-J.; Park, C.; Kim, Y.-J. Effect of laser heat-treatment and laser nitriding on the microstructural evolutions and wear behaviors of AISI P21 mold steel. Metals 2020, 10, 1487. [Google Scholar] [CrossRef]
- Ren, Y.; Wan, H.; Chen, Y.; Zhu, H.; Lu, H.; Ren, X. Effect of laser shock peening and carbonitriding on tribological properties of 20Cr2Mn2Mo steel alloy under dry sliding conditions. Surf. Coat. Technol. 2021, 417, 127215. [Google Scholar] [CrossRef]
- Park, C.; Jung, D.; Chun, E.-J.; Ahn, S.; Jang, H.; Kim, Y.-J. Effect of laser shock peening without coating on fretting corrosion of copper contacts. Appl. Surf. Sci. 2020, 514, 145917. [Google Scholar] [CrossRef]
- Ma, Q.; Dong, Z.; Ren, N.; Hong, S.; Chen, J.; Hu, L.; Meng, W. 1,2. Microstructure and mechanical properties of multiple in-situ-phases-reinforced Nickel composite coatings deposited by wide-band laser. Coatings 2021, 11, 36. [Google Scholar] [CrossRef]
- Zhao, P.; Li, J.; Lei, R.; Yuan, B.; Xia, M.; Li, X.; Zhang, Y. Investigation into microstructure, wear resistance in air and NaCl solution of AlCrCoNiFeCTax high-entropy alloy coatings fabricated by laser cladding. Coatings 2021, 11, 358. [Google Scholar] [CrossRef]
- Srnec Novak, J.; Lanzutti, A.; Benasciutti, D.; De Bona, F.; Moro, L.; De Lucac, A. On the damage mechanisms in a continuous casting mold: After-service material characterization and finite element simulation. Eng. Fail. Anal. 2018, 94, 480–492. [Google Scholar] [CrossRef]
- Barella, S.; Gruttadauria, A.; Mapelli, C.; Mombelli, D. Investigation of failure and damages on a continuous casting copper mould. Eng. Fail. Anal. 2014, 36, 432–438. [Google Scholar] [CrossRef]
- Park, J.K.; Thomas, B.G.; Samarasekera, I.V.; Yoon, U.S. Thermal and mechanical behaviour of copper molds during thin slab casting(II): Mold crack formation. Metall. Mater. Trans. B 2002, 33, 437–449. [Google Scholar] [CrossRef]
- Pandey, J.C.; Raj, M.; Mishra, R.; Tripathy, V.K.; Bandyopadhyay, N. Failure of nickel coating on a copper mold of a slab caster. J. Fail. Anal. Prev. 2008, 8, 3–11. [Google Scholar] [CrossRef]
- Ziyuan, S.; Deqing, W.; Zhimin, D. Surface strengthening pure copper by Ni-B coating. Appl. Surf. Sci. 2004, 221, 62–68. [Google Scholar] [CrossRef]
- Sakata, K.; Nakano, K.; Miyahara, H.; Matsubara, Y.; Ogi, K. Microstructure control of thermally sprayed Co-based self-fluxing alloy coatings by diffusion treatment. J. Therm. Spray Technol. 2007, 16, 991–997. [Google Scholar] [CrossRef]
- Song, W.-M.; Yang, G.-R.; Lu, J.-J.; Hao, Y.; Ma, Y. Microstructure and wear behaviour of Ni-based surface coating on copper substrate. Wear 2007, 262, 868–887. [Google Scholar] [CrossRef]
- Steen, W.M.; Mazumder, J. Laser Material Processing, 4th ed.; Springer: Berlin/Heidelberg, Germany, 2010; pp. 79–127. [Google Scholar]












Publisher’s Note: MDPI stays neutral with regard to jurisdictional claims in published maps and institutional affiliations. |
© 2021 by the author. Licensee MDPI, Basel, Switzerland. This article is an open access article distributed under the terms and conditions of the Creative Commons Attribution (CC BY) license (https://creativecommons.org/licenses/by/4.0/).
Share and Cite
Chun, E.-J. Manufactural Investigations on Dissimilar Laser Cladding and Post-Clad Heat Treatment Processes of Heat-Resistant Ni Alloy on Cu Substrate. Processes 2021, 9, 993. https://doi.org/10.3390/pr9060993
Chun E-J. Manufactural Investigations on Dissimilar Laser Cladding and Post-Clad Heat Treatment Processes of Heat-Resistant Ni Alloy on Cu Substrate. Processes. 2021; 9(6):993. https://doi.org/10.3390/pr9060993
Chicago/Turabian StyleChun, Eun-Joon. 2021. "Manufactural Investigations on Dissimilar Laser Cladding and Post-Clad Heat Treatment Processes of Heat-Resistant Ni Alloy on Cu Substrate" Processes 9, no. 6: 993. https://doi.org/10.3390/pr9060993
APA StyleChun, E.-J. (2021). Manufactural Investigations on Dissimilar Laser Cladding and Post-Clad Heat Treatment Processes of Heat-Resistant Ni Alloy on Cu Substrate. Processes, 9(6), 993. https://doi.org/10.3390/pr9060993
