Sacubitril/Valsartan Alleviates Cardiac Remodeling and Dysfunction in L-NAME-Induced Hypertension and Hypertensive Heart Disease
Abstract
1. Introduction
2. Materials and Methods
2.1. Animals and Treatment
2.2. Blood Pressure Measurement, Collection and Processing of Samples
2.3. Echocardiography
2.4. Hydroxyproline in the Left Ventricle
2.5. Quantitative Analysis of the Left Ventricular Fibrosis
2.6. Serum Concentration of Prolactin and Prolactin Receptor
2.7. Statistical Analysis
3. Results
3.1. Cardiovascular Parameters
3.1.1. Systolic Blood Pressure Was Reduced by ARNI and Captopril in L-NAME-Induced Hypertension
3.1.2. ARNI and Captopril Reduced LVW in L-NAME-Induced Hypertension
3.1.3. ARNI and Captopril Improved LV Function in L-NAME-Induced Hypertension
3.2. Hydroxyproline Concentration and Content in Soluble, Insoluble and Total Collagenous Proteins in the Left Ventricle Was Decreased by ARNI and Captopril in L-NAME-Induced Hypertension
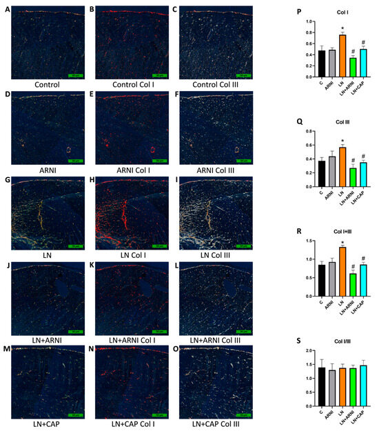
3.3. Left Ventricular Fibrosis Was Reduced by ARNI and Captopril in L-NAME-Induced Hypertension
3.4. Serum Levels of Prolactin and Prolactin Receptor Were Reduced by ARNI in L-NAME-Induced Hypertension
4. Discussion
5. Limitations
Author Contributions
Funding
Institutional Review Board Statement
Informed Consent Statement
Data Availability Statement
Conflicts of Interest
References
- Al Ghorani, H.; Götzinger, F.; Böhm, M.; Mahfoud, F. Arterial Hypertension—Clinical Trials Update 2021. Nutr. Metab. Cardiovasc. Dis. 2022, 32, 21–31. [Google Scholar] [CrossRef] [PubMed]
- Masenga, S.K.; Kirabo, A. Hypertensive Heart Disease: Risk Factors, Complications and Mechanisms. Front. Cardiovasc. Med. 2023, 10, 1205475. [Google Scholar] [CrossRef] [PubMed]
- Zile, M.R.; Brutsaert, D.L. New Concepts in Diastolic Dysfunction and Diastolic Heart Failure: Part II: Causal Mechanisms and Treatment. Circulation 2002, 105, 1503–1508. [Google Scholar] [CrossRef] [PubMed]
- Kuwahara, K. The Natriuretic Peptide System in Heart Failure: Diagnostic and Therapeutic Implications. Pharmacol. Ther. 2021, 227, 107863. [Google Scholar] [CrossRef]
- Huo, J.-Y.; Jiang, W.-Y.; Chen, C.; Chen, R.; Ge, T.-T.; Chang, Q.; Zhu, L.; Geng, J.; Jiang, Z.-X.; Shan, Q.-J. Effects of Angiotensin Receptor Neprilysin Inhibitors on Inducibility of Ventricular Arrhythmias in Rats with Ischemic Cardiomyopathy. Int. Heart J. 2019, 60, 1168–1175. [Google Scholar] [CrossRef] [PubMed]
- McMurray, J.J.V. Neprilysin Inhibition to Treat Heart Failure: A Tale of Science, Serendipity, and Second Chances. Eur. J. Heart Fail. 2015, 17, 242–247. [Google Scholar] [CrossRef]
- Packer, M.; McMurray, J.J.V.; Desai, A.S.; Gong, J.; Lefkowitz, M.P.; Rizkala, A.R.; Rouleau, J.L.; Shi, V.C.; Solomon, S.D.; Swedberg, K.; et al. Angiotensin Receptor Neprilysin Inhibition Compared with Enalapril on the Risk of Clinical Progression in Surviving Patients with Heart Failure. Circulation 2015, 131, 54–61. [Google Scholar] [CrossRef] [PubMed]
- Solomon, S.D.; McMurray, J.J.V.; Anand, I.S.; Ge, J.; Lam, C.S.P.; Maggioni, A.P.; Martinez, F.; Packer, M.; Pfeffer, M.A.; Pieske, B.; et al. Angiotensin-Neprilysin Inhibition in Heart Failure with Preserved Ejection Fraction. N. Engl. J. Med. 2019, 381, 1609–1620. [Google Scholar] [CrossRef] [PubMed]
- Heidenreich, P.A.; Bozkurt, B.; Aguilar, D.; Allen, L.A.; Byun, J.J.; Colvin, M.M.; Deswal, A.; Drazner, M.H.; Dunlay, S.M.; Evers, L.R.; et al. 2022 AHA/ACC/HFSA Guideline for the Management of Heart Failure: A Report of the American College of Cardiology/American Heart Association Joint Committee on Clinical Practice Guidelines. J. Am. Coll. Cardiol. 2022, 79, e263–e421. [Google Scholar] [CrossRef]
- Ali, A.; Ortega-Legaspi, J.M. Is It Time to Adopt Angiotensin Receptor-Neprilysin Inhibitors (ARNI) Therapy as Standard of Care for the Management of Hypertension? Ann. Palliat. Med. 2022, 11, 3040–3042. [Google Scholar] [CrossRef]
- Lee, V.; Zheng, Q.; Toh, D.-F.; Pua, C.J.; Bryant, J.A.; Lee, C.-H.; Cook, S.A.; Butler, J.; Díez, J.; Richards, A.M.; et al. Sacubitril/Valsartan versus Valsartan in Regressing Myocardial Fibrosis in Hypertension: A Prospective, Randomized, Open-Label, Blinded Endpoint Clinical Trial Protocol. Front. Cardiovasc. Med. 2023, 10, 1248468. [Google Scholar] [CrossRef] [PubMed]
- Liu, J.; Rigel, D.F. Echocardiographic Examination in Rats and Mice. Methods Mol. Biol. 2009, 573, 139–155. [Google Scholar] [CrossRef] [PubMed]
- Reddy, G.K.; Enwemeka, C.S. A Simplified Method for the Analysis of Hydroxyproline in Biological Tissues. Clin. Biochem. 1996, 29, 225–229. [Google Scholar] [CrossRef] [PubMed]
- Stanko, P.; Baka, T.; Repova, K.; Aziriova, S.; Krajcirovicova, K.; Barta, A.; Janega, P.; Adamcova, M.; Paulis, L.; Simko, F. Ivabradine Ameliorates Kidney Fibrosis in L-NAME-Induced Hypertension. Front. Med. 2020, 7, 325. [Google Scholar] [CrossRef] [PubMed]
- Simko, F.; Simko, J. The Potential Role of Nitric Oxide in the Hypertrophic Growth of the Left Ventricle. Physiol. Res. 2000, 49, 37–46. [Google Scholar] [PubMed]
- Takemoto, M.; Egashira, K.; Usui, M.; Numaguchi, K.; Tomita, H.; Tsutsui, H.; Shimokawa, H.; Sueishi, K.; Takeshita, A. Important Role of Tissue Angiotensin-Converting Enzyme Activity in the Pathogenesis of Coronary Vascular and Myocardial Structural Changes Induced by Long-Term Blockade of Nitric Oxide Synthesis in Rats. J. Clin. Investig. 1997, 99, 278–287. [Google Scholar] [CrossRef]
- Corremans, R.; D’Haese, P.C.; Vervaet, B.A.; Verhulst, A. L-NAME Administration Enhances Diabetic Kidney Disease Development in an STZ/NAD Rat Model. Int. J. Mol. Sci. 2021, 22, 12767. [Google Scholar] [CrossRef] [PubMed]
- Simko, F.; Baka, T.; Poglitsch, M.; Repova, K.; Aziriova, S.; Krajcirovicova, K.; Zorad, S.; Adamcova, M.; Paulis, L. Effect of Ivabradine on a Hypertensive Heart and the Renin-Angiotensin-Aldosterone System in L-NAME-Induced Hypertension. Int. J. Mol. Sci. 2018, 19, 3017. [Google Scholar] [CrossRef] [PubMed]
- Simko, F.; Baka, T.; Stanko, P.; Repova, K.; Krajcirovicova, K.; Aziriova, S.; Domenig, O.; Zorad, S.; Adamcova, M.; Paulis, L. Sacubitril/Valsartan and Ivabradine Attenuate Left Ventricular Remodelling and Dysfunction in Spontaneously Hypertensive Rats: Different Interactions with the Renin-Angiotensin-Aldosterone System. Biomedicines 2022, 10, 1844. [Google Scholar] [CrossRef]
- Simko, F.; Baka, T.; Krajcirovicova, K.; Repova, K.; Aziriova, S.; Zorad, S.; Poglitsch, M.; Adamcova, M.; Reiter, R.J.; Paulis, L. Effect of Melatonin on the Renin-Angiotensin-Aldosterone System in l-NAME-Induced Hypertension. Molecules 2018, 23, 265. [Google Scholar] [CrossRef]
- Muldowney, J.A.S.; Davis, S.N.; Vaughan, D.E.; Brown, N.J. NO Synthase Inhibition Increases Aldosterone in Humans. Hypertension 2004, 44, 739–745. [Google Scholar] [CrossRef] [PubMed]
- Suehiro, T.; Tsuruya, K.; Ikeda, H.; Toyonaga, J.; Yamada, S.; Noguchi, H.; Tokumoto, M.; Kitazono, T. Systemic Aldosterone, But Not Angiotensin II, Plays a Pivotal Role in the Pathogenesis of Renal Injury in Chronic Nitric Oxide-Deficient Male Rats. Endocrinology 2015, 156, 2657–2666. [Google Scholar] [CrossRef] [PubMed]
- Klug, D.; Robert, V.; Swynghedauw, B. Role of Mechanical and Hormonal Factors in Cardiac Remodeling and the Biologic Limits of Myocardial Adaptation. Am. J. Cardiol. 1993, 71, A46–A54. [Google Scholar] [CrossRef]
- Tu, W.; Pratt, J.H. Autonomous Aldosterone Production and Left Ventricular Hypertrophy. Hypertension 2020, 75, 1409–1411. [Google Scholar] [CrossRef] [PubMed]
- Clerico, A.; Vittorini, S.; Passino, C. Measurement of the Pro-Hormone of Brain Type Natriuretic Peptide (proBNP): Methodological Considerations and Pathophysiological Relevance. Clin. Chem. Lab. Med. 2011, 49, 1949–1954. [Google Scholar] [CrossRef]
- Docherty, K.F.; Vaduganathan, M.; Solomon, S.D.; McMurray, J.J.V. Sacubitril/Valsartan. JACC Heart Fail. 2020, 8, 800–810. [Google Scholar] [CrossRef]
- Jiang, W.-Y.; Huo, J.-Y.; Chen, C.; Chen, R.; Ge, T.-T.; Chang, Q.; Hu, J.-W.; Geng, J.; Jiang, Z.-X.; Shan, Q.-J. Renal Denervation Ameliorates Post-Infarction Cardiac Remodeling in Rats through Dual Regulation of Oxidative Stress in the Heart and Brain. Biomed. Pharmacother. 2019, 118, 109243. [Google Scholar] [CrossRef]
- Uijl, E.; ’t Hart, D.C.; Roksnoer, L.C.W.; Groningen, M.C.C.; van Veghel, R.; Garrelds, I.M.; de Vries, R.; van der Vlag, J.; Zietse, R.; Nijenhuis, T.; et al. Angiotensin-Neprilysin Inhibition Confers Renoprotection in Rats with Diabetes and Hypertension by Limiting Podocyte Injury. J. Hypertens. 2020, 38, 755–764. [Google Scholar] [CrossRef]
- Abdin, A.; Schulz, M.; Riemer, U.; Hadëri, B.; Wachter, R.; Laufs, U.; Bauersachs, J.; Kindermann, I.; Vukadinović, D.; Böhm, M. Sacubitril/Valsartan in Heart Failure: Efficacy and Safety in and Outside Clinical Trials. ESC Heart Fail. 2022, 9, 3737–3750. [Google Scholar] [CrossRef]
- Pechánová, O.; Bernátová, I.; Pelouch, V.; Simko, F. Protein Remodelling of the Heart in NO-Deficient Hypertension: The Effect of Captopril. J. Mol. Cell Cardiol. 1997, 29, 3365–3374. [Google Scholar] [CrossRef]
- Bernátová, I.; Pechánová, O.; Simko, F. Effect of Captopril in L-NAME-Induced Hypertension on the Rat Myocardium, Aorta, Brain and Kidney. Exp. Physiol. 1999, 84, 1095–1105. [Google Scholar] [PubMed]
- Bernátová, I.; Pechánová, O.; Pelouch, V.; Simko, F. Regression of Chronic L -NAME-Treatment-Induced Left Ventricular Hypertrophy: Effect of Captopril. J. Mol. Cell Cardiol. 2000, 32, 177–185. [Google Scholar] [CrossRef] [PubMed]
- von Lueder, T.G.; Wang, B.H.; Kompa, A.R.; Huang, L.; Webb, R.; Jordaan, P.; Atar, D.; Krum, H. Angiotensin Receptor Neprilysin Inhibitor LCZ696 Attenuates Cardiac Remodeling and Dysfunction after Myocardial Infarction by Reducing Cardiac Fibrosis and Hypertrophy. Circ. Heart Fail. 2015, 8, 71–78. [Google Scholar] [CrossRef] [PubMed]
- Liu, J.; Zheng, X.; Zhang, C.; Zhang, C.; Bu, P. Lcz696 Alleviates Myocardial Fibrosis After Myocardial Infarction Through the sFRP-1/Wnt/β-Catenin Signaling Pathway. Front. Pharmacol. 2021, 12, 724147. [Google Scholar] [CrossRef] [PubMed]
- Zhang, W.; Liu, J.; Fu, Y.; Ji, H.; Fang, Z.; Zhou, W.; Fan, H.; Zhang, Y.; Liao, Y.; Yang, T.; et al. Sacubitril/Valsartan Reduces Fibrosis and Alleviates High-Salt Diet-Induced HFpEF in Rats. Front. Pharmacol. 2020, 11, 600953. [Google Scholar] [CrossRef] [PubMed]
- Tashiro, K.; Kuwano, T.; Ideishi, A.; Morita, H.; Idemoto, Y.; Goto, M.; Suematsu, Y.; Miura, S.-I. Sacubitril/Valsartan Inhibits Cardiomyocyte Hypertrophy in Angiotensin II-Induced Hypertensive Mice Independent of a Blood Pressure-Lowering Effect. Cardiol. Res. 2020, 11, 376–385. [Google Scholar] [CrossRef] [PubMed]
- Sobiborowicz-Sadowska, A.M.; Kamińska, K.; Cudnoch-Jędrzejewska, A. Neprilysin Inhibition in the Prevention of Anthracycline-Induced Cardiotoxicity. Cancers 2023, 15, 312. [Google Scholar] [CrossRef] [PubMed]
- Li, Q.; Fang, Y.; Peng, D.-W.; Li, L.-A.; Deng, C.-Y.; Yang, H.; Kuang, S.-J.; Li, Q.-Q.; Zhang, M.-Z.; Zeng, P.; et al. Sacubitril/Valsartan Reduces Susceptibility to Atrial Fibrillation by Improving Atrial Remodeling in Spontaneously Hypertensive Rats. Eur. J. Pharmacol. 2023, 952, 175754. [Google Scholar] [CrossRef] [PubMed]
- Xiao, Y.; Zhou, Z.-Y.; Sun, J.-C.; Xing, W.; Yan, J.; Xu, W.-J.; Lu, Y.-S.; Liu, T.; Jin, Y. Protective Effect of Novel Angiotensin Receptor Neprilysin Inhibitor S086 on Target Organ Injury in Spontaneously Hypertensive Rats. Biomed. Pharmacother. 2024, 170, 115968. [Google Scholar] [CrossRef]
- Wang, Y.; Zhou, R.; Lu, C.; Chen, Q.; Xu, T.; Li, D. Effects of the Angiotensin-Receptor Neprilysin Inhibitor on Cardiac Reverse Remodeling: Meta-Analysis. J. Am. Heart Assoc. 2019, 8, e012272. [Google Scholar] [CrossRef]
- Bole-Feysot, C.; Goffin, V.; Edery, M.; Binart, N.; Kelly, P.A. Prolactin (PRL) and Its Receptor: Actions, Signal Transduction Pathways and Phenotypes Observed in PRL Receptor Knockout Mice. Endocr. Rev. 1998, 19, 225–268. [Google Scholar] [CrossRef] [PubMed]
- Chang, A.S.; Grant, R.; Tomita, H.; Kim, H.-S.; Smithies, O.; Kakoki, M. Prolactin Alters Blood Pressure by Modulating the Activity of Endothelial Nitric Oxide Synthase. Proc. Natl. Acad. Sci. USA 2016, 113, 12538–12543. [Google Scholar] [CrossRef] [PubMed]
- Yavuz, D.; Deyneli, O.; Akpinar, I.; Yildiz, E.; Gözü, H.; Sezgin, O.; Haklar, G.; Akalin, S. Endothelial Function, Insulin Sensitivity and Inflammatory Markers in Hyperprolactinemic Pre-Menopausal Women. Eur. J. Endocrinol. 2003, 149, 187–193. [Google Scholar] [CrossRef] [PubMed][Green Version]
- Carrero, J.J.; Kyriazis, J.; Sonmez, A.; Tzanakis, I.; Qureshi, A.R.; Stenvinkel, P.; Saglam, M.; Stylianou, K.; Yaman, H.; Taslipinar, A.; et al. Prolactin Levels, Endothelial Dysfunction, and the Risk of Cardiovascular Events and Mortality in Patients with CKD. Clin. J. Am. Soc. Nephrol. 2012, 7, 207–215. [Google Scholar] [CrossRef] [PubMed]
- Georgiopoulos, G.A.; Stamatelopoulos, K.S.; Lambrinoudaki, I.; Lykka, M.; Kyrkou, K.; Rizos, D.; Creatsa, M.; Christodoulakos, G.; Alevizaki, M.; Sfikakis, P.P.; et al. Prolactin and Preclinical Atherosclerosis in Menopausal Women with Cardiovascular Risk Factors. Hypertension 2009, 54, 98–105. [Google Scholar] [CrossRef]
- Aguayo-Cerón, K.A.; Calzada-Mendoza, C.C.; Méndez-Bolaina, E.; Romero-Nava, R.; Ocharan-Hernández, M.E. The Regulatory Effect of Bromocriptine on Cardiac Hypertrophy by Prolactin and D2 Receptor Modulation. Clin. Exp. Hypertens. 2020, 42, 675–679. [Google Scholar] [CrossRef]
- Therkelsen, K.E.; Abraham, T.M.; Pedley, A.; Massaro, J.M.; Sutherland, P.; Hoffmann, U.; Fox, C.S. Association Between Prolactin and Incidence of Cardiovascular Risk Factors in the Framingham Heart Study. J. Am. Heart Assoc. 2016, 5, e002640. [Google Scholar] [CrossRef]
- Shen, Y.; Yang, Q.; Hu, T.; Wang, Y.; Chen, L.; Gao, F.; Zhu, W.; Hu, G.; Zhou, J.; Wang, C.; et al. Association of Prolactin with All-Cause and Cardiovascular Mortality among Patients with Type 2 Diabetes: A Real-World Study. Eur. J. Prev. Cardiol. 2023, 30, 1439–1447. [Google Scholar] [CrossRef] [PubMed]
- Papazoglou, A.S.; Leite, A.R.; Moysidis, D.V.; Anastasiou, V.; Daios, S.; Borges-Canha, M.; Giannopoulos, G.; Neves, J.S.; Ziakas, A.; Giannakoulas, G. Serum Prolactin Levels and Mortality in Adults without Prolactinoma: A Meta-Analysis. J. Clin. Endocrinol. Metab. 2024, dgae087, ahead of print. [Google Scholar] [CrossRef]
- Simko, F.; Matuskova, J.; Luptak, I.; Krajcirovicova, K.; Kucharska, J.; Gvozdjakova, A.; Babal, P.; Pechanova, O. Effect of Simvastatin on Remodeling of the Left Ventricle and Aorta in L-NAME-Induced Hypertension. Life Sci. 2004, 74, 1211–1224. [Google Scholar] [CrossRef]
- Simko, F.; Luptak, I.; Matuskova, J.; Krajcirovicova, K.; Sumbalova, Z.; Kucharska, J.; Gvozdjakova, A.; Simko, J.; Babal, P.; Pechanova, O.; et al. L-Arginine Fails to Protect against Myocardial Remodelling in L-NAME-Induced Hypertension. Eur. J. Clin. Investig. 2005, 35, 362–368. [Google Scholar] [CrossRef]
- Bartosz, M.; Kedziora, J.; Bartosz, G. Antioxidant and Prooxidant Properties of Captopril and Enalapril. Free Radic. Biol. Med. 1997, 23, 729–735. [Google Scholar] [CrossRef] [PubMed]
- Bettencourt, P.; Fonseca, C.; Franco, F.; Andrade, A.; Brito, D. Interpretation of B-Type Natriuretic Peptides in the Era of Angiotensin Receptor-Neprilysin Inhibitors. Rev. Port. Cardiol. 2017, 36, 881–884. [Google Scholar] [CrossRef] [PubMed]





| C | ARNI | LN | LN + ARNI | LN + CAP | |
|---|---|---|---|---|---|
| BW [mg] | 388 ± 5.5 | 370 ± 5.6 | 391 ± 7.94 | 380 ± 9.23 | 388 ± 11.43 |
| TL [cm] | 4.09 ± 0.04 | 4.06 ± 0.04 | 4.14 ± 0.03 | 4.02 ± 0.07 | 4.14 ± 0.05 |
| RVW [mg] | 172.6 ± 6.90 | 175.3 ± 5.49 | 176.00 ± 11.28 | 167.90 ± 13.29 | 158.30 ± 7.99 |
| RVW/BW [mg/g] | 0.45 ± 0.02 | 0.47 ± 0.01 | 0.45 ± 0.03 | 0.44 ± 0.03 | 0.41 ± 0.01 |
| RVW/TL [mg/cm] | 42.41 ± 2.01 | 43.57 ± 1.59 | 42.43 ± 2.59 | 42.39 ± 3.13 | 37.62 ± 1.69 |
| Lungs [mg] | 1.61 ± 0.05 | 1.58 ± 0.04 | 1.53 ± 0.03 | 1.51 ± 0.03 | 1.57 ± 0.03 |
| Liver [mg] | 11.64 ± 0.27 | 10.99 ± 0.27 | 11.89 ± 0.31 | 11.33 ± 0.4 | 11.69 ± 0.38 |
| C | ARNI | LN | LN + ARNI | LN + CAP | |
|---|---|---|---|---|---|
| HR [min−1] | 380.90 ± 0.16 | 361.43 ± 11.15 | 343.05 ± 10.17 | 353.64 ± 11.54 | 355.55 ± 11.79 |
| IVSd [cm] | 0.91 ± 0.02 | 0.89 ± 0.02 | 0.94 ± 0.03 | 0.79 ± 0.02 # | 0.73 ± 0.02 # |
| IVSs [cm] | 0.87 ± 0.03 | 0.85 ± 0.03 | 0.85 ± 0.03 | 0.75 ± 0.02 # | 0.74 ± 0.03 # |
| LVIDd [cm] | 6.67 ± 0.15 | 6.55 ± 0.11 | 6.63 ± 0.16 | 6.33 ± 0.15 | 6.20 ± 0.18 |
| LVIDs [cm] | 3.77 ± 0.16 | 3.77 ± 0.08 | 4.52 ± 0.14 * | 3.89 ± 0.12 # | 3.75 ± 0.13 # |
| PWd [cm] | 0.98 ± 0.04 | 0.92 ± 0.02 | 1.02 ± 0.03 | 0.83 ± 0.04 # | 0.77 ± 0.03 # |
| PWs [cm] | 1.14 ± 0.04 | 1.05 ± 0.02 | 1.13 ± 0.03 | 0.96 ± 0.03 # | 0.85 ± 0.03 # |
| EDV [mL] | 0.69 ± 0.04 | 0.65 ± 0.03 | 0.68 ± 0.04 | 0.60 ± 0.04 | 0.57 ± 0.05 |
| ESV [mL] | 0.15 ± 0.01 | 0.14 ± 0.01 | 0.24 ± 0.02 * | 0.15 ± 0.01 # | 0.14 ± 0.01 # |
Disclaimer/Publisher’s Note: The statements, opinions and data contained in all publications are solely those of the individual author(s) and contributor(s) and not of MDPI and/or the editor(s). MDPI and/or the editor(s) disclaim responsibility for any injury to people or property resulting from any ideas, methods, instructions or products referred to in the content. |
© 2024 by the authors. Licensee MDPI, Basel, Switzerland. This article is an open access article distributed under the terms and conditions of the Creative Commons Attribution (CC BY) license (https://creativecommons.org/licenses/by/4.0/).
Share and Cite
Stanko, P.; Repova, K.; Baka, T.; Krajcirovicova, K.; Aziriova, S.; Barta, A.; Zorad, S.; Adamcova, M.; Simko, F. Sacubitril/Valsartan Alleviates Cardiac Remodeling and Dysfunction in L-NAME-Induced Hypertension and Hypertensive Heart Disease. Biomedicines 2024, 12, 733. https://doi.org/10.3390/biomedicines12040733
Stanko P, Repova K, Baka T, Krajcirovicova K, Aziriova S, Barta A, Zorad S, Adamcova M, Simko F. Sacubitril/Valsartan Alleviates Cardiac Remodeling and Dysfunction in L-NAME-Induced Hypertension and Hypertensive Heart Disease. Biomedicines. 2024; 12(4):733. https://doi.org/10.3390/biomedicines12040733
Chicago/Turabian StyleStanko, Peter, Kristina Repova, Tomas Baka, Kristina Krajcirovicova, Silvia Aziriova, Andrej Barta, Stefan Zorad, Michaela Adamcova, and Fedor Simko. 2024. "Sacubitril/Valsartan Alleviates Cardiac Remodeling and Dysfunction in L-NAME-Induced Hypertension and Hypertensive Heart Disease" Biomedicines 12, no. 4: 733. https://doi.org/10.3390/biomedicines12040733
APA StyleStanko, P., Repova, K., Baka, T., Krajcirovicova, K., Aziriova, S., Barta, A., Zorad, S., Adamcova, M., & Simko, F. (2024). Sacubitril/Valsartan Alleviates Cardiac Remodeling and Dysfunction in L-NAME-Induced Hypertension and Hypertensive Heart Disease. Biomedicines, 12(4), 733. https://doi.org/10.3390/biomedicines12040733

