Development of a Novel Scaffold of Chitosan, Type IV Collagen and Integrin α3β1 As Alternative Scaffold for Primary Culture of Podocytes
Abstract
1. Introduction
2. Materials and Methods
2.1. Reagents
2.2. Chitosan, PVA, Type IV Collagen, and Integrin α3β1 Scaffold Preparation
2.3. Characterization for Fourier Transform Infrared Spectroscopy (FTIR)
2.4. Swelling and Degradation Tests under Physiological Mimicking Conditions
2.4.1. Swelling Test
2.4.2. Degradation Test
2.5. Biological Samples
2.6. Podocyte Isolation
2.7. Podocyte Culture
2.8. Co-Localization of Podocin, Podocalyxin, and CD80
2.9. Cell Viability Assay
2.10. Statistical Analysis
3. Results
3.1. Chitosan Amine Groups Are Involved in the Crosslinking Mechanism
3.2. The Percentage of Swelling Is Influenced by the Crosslinking Mechanism
3.3. Type IV Collagen and Integrin α3β1 Prevent the Polymer Mass Loss
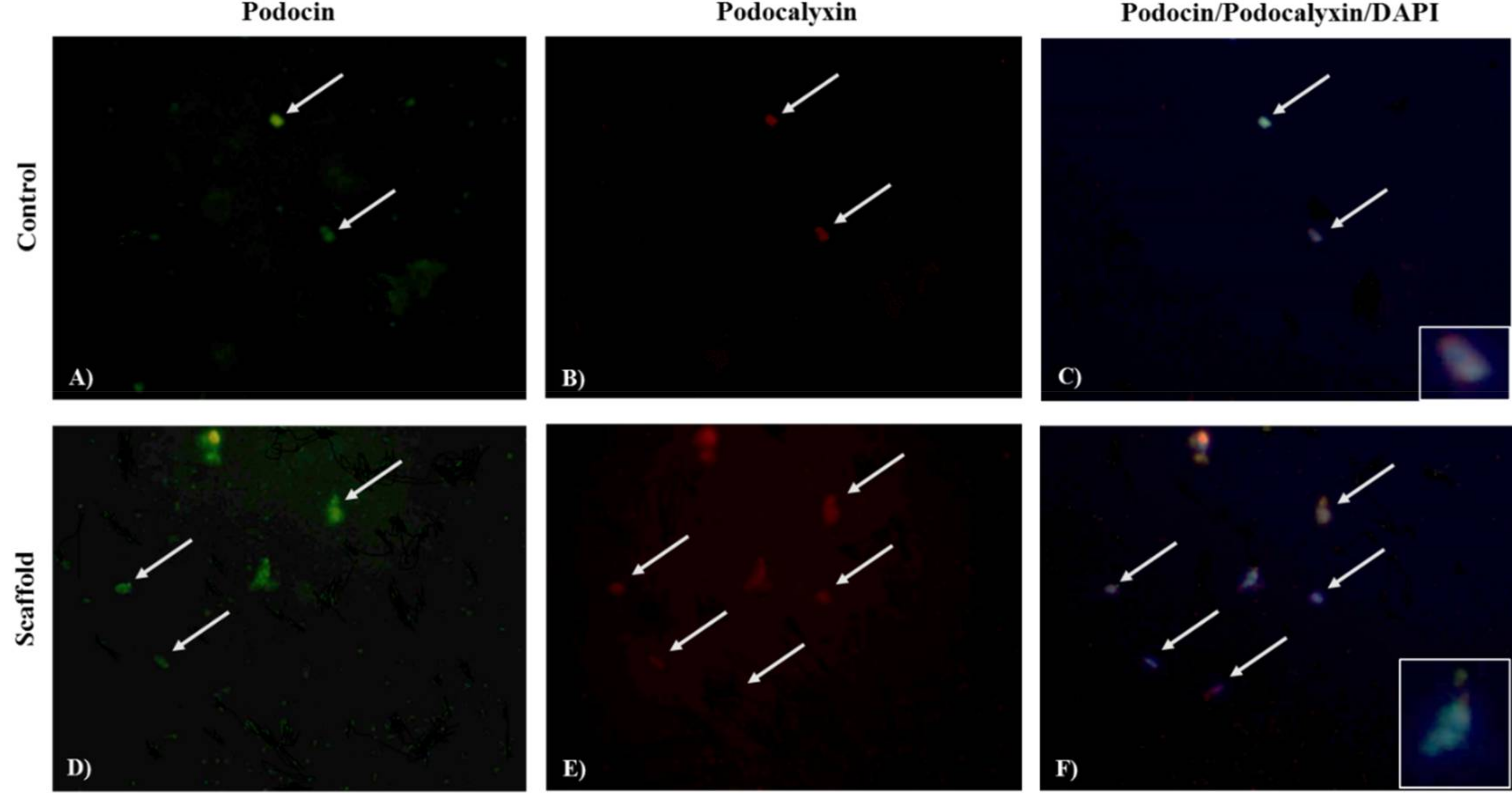
3.4. The CTS/PVA/type IV Collagen/Integrin α3β1 Scaffold Favors the Attachment of Podocytes
3.5. Podocytes on CTS/PVA/Type IV Collagen/Integrin α3β1 Scaffold Were Viable after 30 Days of Culture
3.6. The Expression of CD80 Increased on Podocytes Cultured on CTS/PVA/Type IV Collagen/Integrin α3β1 Scaffold
4. Discussion
5. Conclusions
Author Contributions
Acknowledgments
Conflicts of Interest
References
- Hu, G.; Jiao, B. Mechanism of podocyte detachment: Targeting transmembrane molecules between podocytes and glomerular basement membrane. Biomed. Aging Pathol. 2013, 3, 36–42. [Google Scholar] [CrossRef]
- Jefferson, J.A.; Nelson, P.J.; Najafian, B.; Shankland, S.J. Podocyte Disorders: Core Curriculum 2011. Am. J. Kidney Dis. 2011, 58, 666–677. [Google Scholar] [CrossRef] [PubMed]
- Gigante, M.; Piemontese, M.; Gesualdo, L.; Iolascon, A.; Aucella, F. Molecular and Genetic Basis of Inherited Nephrotic Syndrome. Int. J. Nephrol. 2011, 2011, 792195. [Google Scholar] [CrossRef] [PubMed]
- Diéguez, S. Molecular bases of the glomerular filtration barrier-steroid resistant nephrotic syndrome. In Proceedings of the Nephrology Conference, Burgos, Spain, 10–25 November 2003. [Google Scholar]
- Neal, C. Podocytes What’s under yours? (Podocytes and foot processes and how they change in nephropathy). Front. Endocrinol. 2015, 6, 1–11. [Google Scholar] [CrossRef] [PubMed]
- Da Sacco, S.; Lemley, K.V.; Sedrakyan, S.; Zanusso, I.; Petrosyan, A. A Novel Source of Cultured Podocytes. PLoS ONE 2013, 8, e81812. [Google Scholar] [CrossRef] [PubMed]
- Java, A.; Liszewski, M.K.; Hourcade, D.E.; Zhang, F.; Atkinson, J.P. Role of complement receptor 1 (CR1; CD35) on epithelial cells: A model for understanding complement-mediated damage in the kidney. Mol. Immunol. 2015, 67, 584–595. [Google Scholar] [CrossRef] [PubMed]
- Saleem, M.A.; O’Hare, M.J.; Reiser, J.; Coward, R.J.; Inwar, C.D. A conditionally immortalized human podocytes cell line demonstrating nephrin and podocin expression. J. Am. Soc. Nephrol. 2002, 13, 630–638. [Google Scholar] [PubMed]
- Colorado, A.C.; Agudelo, C.A.; Moncada, M.E. Analysis of Biomaterials for use in skin tissue engineering. Biomed. Eng. 2010, 14, 11–23. [Google Scholar]
- Dvir, T.; Timko, B.; Kohane, D.; Langer, R. Nanotechnological strategies for engineering complex tissues. Nat. Nanotechnol. 2011, 6, 13–22. [Google Scholar] [CrossRef] [PubMed]
- Tamayo, A.; Akbari, M.; Annabi, N.; Paul, A.; Khademhosseini, A.; Juncker, D. Fiber-Based Tissue Engineer: Progress, Challenges and Opportunities. Biotechnol. Adv. 2013, 31, 669–687. [Google Scholar] [CrossRef] [PubMed]
- Chuang, W.Y.; Young, T.H.; Yao, C.H.; Chiu, W.Y. Properties of the poly(vinyl alcohol)/chitosan blend and its effects on the culture of fibroblast in vitro. Biomaterials 1999, 20, 1479–1487. [Google Scholar] [CrossRef]
- Costa, E.; Pereira, M.; Mansur, H. Properties and biocompatibility of chitosan films modified by blending with PVA and chemically crosslinked. J. Mater. Sci. Mater. Med. 2009, 20, 553–561. [Google Scholar]
- Raftery, R.; O’Brien, F.; Cryan, S. Chitosan for Gene Delivery and Orthopedic Tissue Engineering Applications. Molecules 2013, 18, 5611–5647. [Google Scholar] [CrossRef] [PubMed]
- Karimi, A.; Navidbakhsh, M.; Faghihi, S. Fabrication and Mechanical Characterization of a Polyvinyl Alcohol Sponge for Tissue Engineering Applications. Perfusion 2014, 29, 231–237. [Google Scholar] [CrossRef] [PubMed]
- Londoño, M.; Jaramillo, J.M.; Sabater Rr Vélez, J.M. Dielectric Properties of Poly(vinyl alcohol) Hydrogels Prepared by Freezing/thawing Technique. Rev. EIA 2012, 18, 105–114. [Google Scholar]
- Sawada, K.; Toyoda, M.; Kaneyama, N.; Shiraiwa, S.; Moriya, H.; Miyatake, H.; Tanaka, E.; Yamamoto, N.; Miyauchi, M.; Kimura, M.; et al. Upregulation of α3β1-Integrin in Podocytes in Early-Stage Diabetic Nephropathy. J. Diabetes Res. 2016, 2016, 9265074. [Google Scholar] [CrossRef] [PubMed]
- Carhuapoma, W.; Santiago, J. Characterization of chitosan-polyvinyl alcohol hidrogel obtained by gamma radation. Iberoam. J. Polym. 2005, 6, 333–346. [Google Scholar]
- Petermann, A.; Krofft, R.; Blonski, M.; Hiromura, K.; Vaughn, M.; Pichler, R.; Griffin, S.; Wada, T.; Pippin, J.; Durvasula, R.; et al. Podocytes that detach in experimental membranous nephropathy are viable. Kidney Int. 2003, 64, 1222–1231. [Google Scholar] [CrossRef] [PubMed]
- Nakamura, T.; Ushiyama, C.H.; Suzuki, S.; Hara, M.; Shimada, N.; Ebihara, I.; Koide, H. Urinary excretion of podocytes in patients with diabetic nephropathy. Nephrol. Dial. Transp. 2000, 15, 1379–1383. [Google Scholar] [CrossRef]
- Vicente Ozores, S. Polysaccharide Nanocapsule as Vaccines Adjuvant Vehicles; University of Santiago de Compostela: Santiago, Spain, 2013. [Google Scholar]
- Segarra, A.; Carnicer, C.; Arbós, A.; Quiles, M.; Agraz, I.; Ostos, E. Biomarkers in nephrotic syndrome: Some more steps on the long road. Nephrol. J. 2012, 32, 558–572. [Google Scholar]












| STUDY GROUPS | |||||||||
|---|---|---|---|---|---|---|---|---|---|
| Groups | Gender | Age (Years) | pH Urine | PTU (mg/m2/h) | Cholesterol Levels (mg/dL) | Triglyceride Levels (mg/dL) | Serum Albumin (mg/dL) | Serum Creatinine (mg/dL) | GFR (mL/m) |
| INS | M = 58.33% F = 41.66% | 4.8 | 5.75 | 9.43 | 227.83 | 165.58 | 3.2 | 0.327 | 232.5 |
| HS | M = 60% F = 40% | 7.8 | 5.4 | ------ | ------ | ------ | ------ | ------ | ------ |
© 2018 by the authors. Licensee MDPI, Basel, Switzerland. This article is an open access article distributed under the terms and conditions of the Creative Commons Attribution (CC BY) license (http://creativecommons.org/licenses/by/4.0/).
Share and Cite
Zárate-Triviño, D.G.; Hernández-Martínez, S.P.; Bollain-y-Goytia-de-la-Rosa, J.J.; Franco-Molina, M.A.; Elizalde-Peña, E.A.; Hernández-Villegas, M.I.; Rangel-Ochoa, G.A.; Rodríguez-Padilla, C. Development of a Novel Scaffold of Chitosan, Type IV Collagen and Integrin α3β1 As Alternative Scaffold for Primary Culture of Podocytes. Appl. Sci. 2018, 8, 930. https://doi.org/10.3390/app8060930
Zárate-Triviño DG, Hernández-Martínez SP, Bollain-y-Goytia-de-la-Rosa JJ, Franco-Molina MA, Elizalde-Peña EA, Hernández-Villegas MI, Rangel-Ochoa GA, Rodríguez-Padilla C. Development of a Novel Scaffold of Chitosan, Type IV Collagen and Integrin α3β1 As Alternative Scaffold for Primary Culture of Podocytes. Applied Sciences. 2018; 8(6):930. https://doi.org/10.3390/app8060930
Chicago/Turabian StyleZárate-Triviño, Diana Ginette, Sara Paola Hernández-Martínez, Juan José Bollain-y-Goytia-de-la-Rosa, Moisés Armides Franco-Molina, Eduardo Arturo Elizalde-Peña, Margarita Idalia Hernández-Villegas, Gloria Azucena Rangel-Ochoa, and Cristina Rodríguez-Padilla. 2018. "Development of a Novel Scaffold of Chitosan, Type IV Collagen and Integrin α3β1 As Alternative Scaffold for Primary Culture of Podocytes" Applied Sciences 8, no. 6: 930. https://doi.org/10.3390/app8060930
APA StyleZárate-Triviño, D. G., Hernández-Martínez, S. P., Bollain-y-Goytia-de-la-Rosa, J. J., Franco-Molina, M. A., Elizalde-Peña, E. A., Hernández-Villegas, M. I., Rangel-Ochoa, G. A., & Rodríguez-Padilla, C. (2018). Development of a Novel Scaffold of Chitosan, Type IV Collagen and Integrin α3β1 As Alternative Scaffold for Primary Culture of Podocytes. Applied Sciences, 8(6), 930. https://doi.org/10.3390/app8060930
