Characteristics, Dynamic Analyses and Hazard Assessment of Debris Flows in Niumiangou Valley of Wenchuan County
Abstract
:1. Introduction
2. Geographical Environment of Niumiangou Valley
2.1. Geology and Geomorphology
2.2. Stratum Lithology
2.3. Climatic Characteristics
3. Characteristics of Post-Earthquake Debris Flows in Niumiangou
3.1. Summary of Post-Earthquake Debris Flows
3.2. Characteristics of Post-Earthquake Debris Flows
- (1)
- They were rainstorm-type debris flows. More specifically, the flows all occurred in the rainy season every year, especially during July and August, when there were rainstorms.
- (2)
- They were viscous debris flows. Field surveys have indicated the debris flows’ densities ranged from 2.19 g/cm3 to 2.35g/cm3, revealing that the debris flow disasters in Niumiangou valley were viscous [18].
- (3)
- The debris flows generally happened between 11 p.m. and 5 a.m.
- (4)
- Debris flows simultaneously broke out in the main channel and the six branch gullies. The field investigation observations suggested that the mouths of the main channel and six branch gullies may have exhibited obvious fresh accumulations after large-scale debris flows.
- (5)
- Debris flows were induced in branches with high vegetation cover. Fresh trees carried by debris flows could be caught by local residents in the mouth of Niumiangou valley and Minjiang river after large-scale debris flows.
4. Dynamic Analysis of Debris Flows in Niumiangou Valley
4.1. Volumetric Weight of Debris Flow
- The debris flow volumetric weight calculation method proposed by Peiji Li is described in Equation (1) [20]:
- 2.
- The debris flow volumetric weight calculation method proposed by Gansu Institute of Transportation Science is shown in Equation (2) [21]:
4.2. Debris Flow Velocity
- The calculation method of viscous debris flow velocity proposed by the Ministry of Land and Resources of the People’s Republic of China is shown in Equation (3) [23]:
- 2.
- The calculation method of viscous debris flow velocity proposed by the Lanzhou Glacier and Frozen Soil Research Institute of Chinese Academy of Sciences is shown in Equation (4) [24]:
4.3. Debris Flow Peak Discharge
4.4. Debris Flow Impact Force
- Liquid dynamic pressure of debris flow.
- 2.
4.5. Total Amount of Debris Flow
4.6. The Total Amount of Solid Materials Washed out by a Debris Flow
4.7. The Maximum Height of the Debris Flow Rises
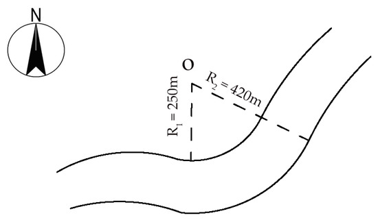
4.8. Super Elevation in Bend of Debris Flow
5. Hazard Assessment of Debris Flows in Niumiangou Valley
6. Conclusions
- (1)
- The post-earthquake debris flows occurring in Niumiangou valley exhibit several typical characteristics. For example, they are all rainstorm–viscous-type debris flows, they generally happen between 11 p.m. and 5 a.m., they simultaneously break out in the main channel and six branch gullies and are induced in branches with high vegetation cover.
- (2)
- The dynamic parameters of the Niumiangou debris flows, such as volumetric weight, velocity, peak discharge, impact force, total amount of debris flow, total amount of solid materials washed out by a single debris flow, maximum height of the debris flow rises and the super elevation in the bend, are determined to be relatively large, and then it can be indicated that these debris flow disasters have great destructive power and are extremely harmful.
- (3)
- The hazard degree of the debris flows in Niumiangou valley is very high. The calculated hazard degree has been compared with the debris flows occurring port-Wenchuan earthquake in the years of 2008 and 2013 in Niumiangou valley. The hazard degree of the debris flows in Niumiangou valley is relatively higher compared to the other flows, with is consistent with the actual situation.
Author Contributions
Funding
Institutional Review Board Statement
Informed Consent Statement
Data Availability Statement
Conflicts of Interest
References
- Fan, X.-M.; Juang, C.-H.; Wasowski, J.; Huang, R.-Q.; Xu, Q.; Scaringi, G.; van Westen, C.-J.; Havenith, H.-B. What we have learned from the 2008 Wenchuan Earthquake and its aftermath: A decade of research and challenges. Eng. Geo. 2018, 241, 25–32. [Google Scholar] [CrossRef]
- Huang, D.; Song, X.-Y.; Ma, G.-W.; Pei, X.-J.; Huang, R.-Q. Numerical modeling of the 2008 Wenchuan earthquake-triggered Niumiangou landslide considering effects of pore-water pressure. B. Eng. Geol. Environ. 2019, 78, 4713–4729. [Google Scholar] [CrossRef]
- Cui, S.-H.; Wang, G.-H.; Pei, X.-J.; Huang, R.-Q.; Kamai, T. On Initiation and movement mechanisms of a catastrophic landslide triggered by the 2008 Wenchuan (Ms. 8.0) earthquake in the epicenter area. Landslides 2016, 14, 805–819. [Google Scholar] [CrossRef]
- Wang, Z.-H.; Guo, Z.-C.; Du, M.-L.; Cheng, Z.-L. Model study of predicting rainstorm induced landslide and debris flow at Niumian Gully, the focal area of 2008-05-12 Earthquake. Earth. Sci. Front. 2012, 19, 228–238. [Google Scholar]
- Cui, P.; Chen, X.-Q.; Zhu, Y.-Y.; Su, F.-H.; Wei, F.-Q.; Han, Y.-S.; Liu, H.-J.; Zhang, J.-Q. The Wenchuan Earthquake (12 May 2008), Sichuan Province, China, and resulting geohazards. Nat. Hazards. 2011, 56, 19–36. [Google Scholar] [CrossRef]
- Tang, C. Activity tendency prediction of rainfall induced landslides and debris flow in the Wenchuan earthquake areas. J. Mt. Sci. 2010, 28, 341–349. [Google Scholar]
- Xie, H.; Zhong, D.-L.; Jiao, Z.; Zhang, J.-S. Debris Flow in Wenchuan Quake-hit Area in 2008. J. Mt. Sci. 2009, 27, 501–509. [Google Scholar]
- Zhuang, J.-Q.; Cui, P.; Ge, Y.-G.; Pei, L.-Z. Hazard Assessment of Debris Flow Valleys along Dujiangyan-Wenchuan Highway After “5·12” Wenchuan Deva stating Earthquake. Adv. Eng. Sci. 2009, 41, 131–139. [Google Scholar]
- Han, Y.-S.; Liang, C.; Cui, P.; Han, J.; Xue, J.; Zhang, Y.-X. Susceptibility of Mountain Hazards Triggered by Wenchuan Earthquake to Topographic Factors. Adv. Eng. Sci. 2010, 41, 15–21. [Google Scholar]
- Zhang, M.; Yin, Y.-P.; Wu, S.-R.; Zhang, Y.-S.; Han, J.-L. Dynamics of the Niumiangou Creek rock avalanche triggered by 2008 Ms. 8.0 Wenchuan earthquake, Sichuan, China. Landslides 2011, 8, 363–371. [Google Scholar] [CrossRef]
- Yang, Z.-Q.; Liao, L.-P.; Yang, W.-K.; Hu, J. Discussion on genesis and development trend control engineering of debris flow in niumiangou valley. J. Geod. Geodyn. 2011, 31, 71–74. [Google Scholar]
- Xing, A.-G.; Xu, Q.; Gan, J.-J. On characteristics and dynamic analysis of the Niumian valley rock avalanche triggered by the 2008 Wenchuan earthquake, Sichuan, China. Environ. Earth. Sci. 2015, 73, 3387–3401. [Google Scholar] [CrossRef]
- Dai, F.-C.; Xu, C.; Yao, X.; Xu, L.; Tu, X.-B.; Gong, Q.-M. Spatial distribution of landslides triggered by the 2008 Ms. 8.0 Wenchuan earthquake, China. J. Asian. Earth. Sci. 2011, 40, 883–895. [Google Scholar] [CrossRef]
- Jim, W.-Z.; Tang, L.-J.; Yang, K.-M.; Wan, G.-M.; Yu, Y.-X. Tectonic Evolution of the Middle Frontal Area of the Longmen Mountain Thrust Belt, Western Sichuan Basin, China. Acta. Geolsin-Engl. 2009, 83, 92–102. [Google Scholar]
- Tang, L.-J.; Yang, K.-M.; Jin, W.-Z.; Wan, G.-M.; Lu, Z.-Z.; Yu, Y.-X. Differential Tectonic Deformation of the Longmen Mountain Thrust Belt, Western Sichuan Basin, China. Acta. Geolsin-Engl. 2009, 83, 158–169. [Google Scholar] [CrossRef]
- Gorunm, T.; Fan, X.-M.; van Westen, C.-J.; Huang, R.-Q.; Xu, Q.; Tang, C.; Wang, G.-H. Distribution pattern of earthquake-induced landslides triggered by the 12 May 2008 Wenchuan earthquake. Geomorphology 2011, 133, 152–167. [Google Scholar] [CrossRef]
- Cao, C.; Zhang, W.; Chen, J.-P.; Shan, B.; Song, S.-Y.; Zhan, J.-W. Quantitative estimation of debris flow source materials by integrating multi-source data: A case study. Eng. Geo. 2021, 291, 106222. [Google Scholar] [CrossRef]
- Institute of Mountain Hazards and Environment. Chinese Academy of Sciences. Research and Prevention of Debris Flow; Sichuan Science and Technology Press: Chengdu, China, 1989. [Google Scholar]
- Yang, Z.-Q. The Pore Pressure Mechanism of Motivating Debris Flow; University of Chinese Academy of Sciences: Chengdu, China, 2013. [Google Scholar]
- Li, P.-J.; Liang, D.-L. Debris flow density and its calculation. J. Sediment Res. 1982, 03, 75–83. [Google Scholar]
- Gansu Provincial Communications Science Research Institute. Highway Engineering in the Debris Flow District; China Communications Press: Beijing, China, 1981; p. 59. [Google Scholar]
- Chen, N.-S. Investigation Technology for Debris Flows; Science Press: Beijing, China, 2011. [Google Scholar]
- Ministry of Land and Resources of the People’s Republic of China. Specification of Geological Investigation for Debris Flow Stabilization; Standards Press of China: Beijing, China, 2006.
- Lanzhou Institute of Glacier Permafrost, Chinese Academy of Sciences. Gansu Debris Flow; China Communications Press: Beijing, China, 1982; pp. 11–38. [Google Scholar]
- Sichuan Provincial Water Resources Department. Calculation Manual of Storm Flood in Medium and Small Watershed of Sichuan Province; Sichuan Provincial Water Resources Department: Sichuan, China, 1984. [Google Scholar]
- Zhang, S.-C.; Yuan, J.-M. Impact Force of Debris flow and its Detection. Journal of Lanzhou Institute of Glacier and Permafrost; Chinese Academy of Sciences No.4; Science Press: Beijing, China, 1986; pp. 269–274. [Google Scholar]
- Hu, G.-S.; Chen, N.-S.; Li, J.; He, N.; Zhu, Y.-H. Research on dynamic characteristics and development tendency of debris flow near field region in baihetan hydropower station, Jinshajiang River. Res. Soil Water Conserv. 2014, 21, 238–245. [Google Scholar]
- JiRi, W.Y.; Tian, H.-L.; Liu, Y.-Q. Characteristics of the “6. 4” forest fire-induced debris flow in Xide County and disaster preventing advices. S. T. E. 2022, 22, 6880–6887. [Google Scholar]
- Yu, B.; Yang, Y.-H.; Su, Y.-C.; Huang, W.-J.; Wang, G.-F. Research on the giant debris flow hazards in Zhouqu county, Gansu province on august 7, 2010. J. Eng. Geol. 2010, 18, 437–444. [Google Scholar]
- Tang, C.; Li, W.-L.; Ding, J.; Huang, X.-C. Field investigation and research on giant debris flow on august 14, 2010 in Yingxiu town, epicenter of Wenchuan earthquake. Earth. Sci. 2011, 36, 172–180. [Google Scholar]
- Zhang, S.-C.; Hungr, O. The Calculation of Impact Force of Boulders in Debris Flow; Science Press: Beijing, China, 1996; pp. 67–72. [Google Scholar]
- Dort Man, H.B. Physical Properties of Rocks and Minerals; Science Press: Beijing, China, 1985. [Google Scholar]
- Li, S.-D. Study on Key Techniques of Remote Sensing in Earthquake-Induced Geohazard Evaluation; Chengdu University of Technology: Chengdu, China, 2011. [Google Scholar]
- Zhang, D.-D.; Xiang, G.-P. Preliminary analysis on starting critical condition of dam—Break debris flow in Niujuan gully, Yingxiu town, Wenchuan county. Technol. Innov. Appl. 2019, 20, 27–28. [Google Scholar]
- Liu, X.-L.; Tang, C. Hazard Assessment of Debris Flow; Science Press: Beijing, China, 1995. [Google Scholar]
- Liu, X.-L.; Mo, D.-W. Risk Assessment of Debris Flow; Sichuan Science and Technology Press: Chengdu, China, 2003. [Google Scholar]
- Ding, H.-R.; Ma, W.-G.; Ni, J.-S.; Shi, Z.-M.; Zhao, G.-H.; Yan, L.; Yan, Z.-K. Study on sediment discharge increase caused by Wenchuan earthquake landslide and heavy rainfall in the upper reaches of the min river. Adv. Eng. Sci. 2014, 46, 49–55. [Google Scholar]
- Han, Y.-S.; Liang, C.; Han, J.; Huang, P.; Li, L.-W.; Peng, S.-G. Gravitational erosion in afflicted areas and its effects of sediment yield and transportation—A case study in Niujuangou gully. Adv. Eng. Sci. 2012, 44, 110–116. [Google Scholar]
- Liu, X.-L.; Tang, C.; Fang, Q.-S.; Chang, M. Hazard assessment of dam-breaking debris flow based on numerical simulation. J. Sediment Res. 2017, 42, 28–34. [Google Scholar]
- Gou, X.-J.; Li, Y.; Cui, P. Exponential amplification effect of rainfall on slope failures in debris flow source region. J. Mt. Sci. 2013, 31, 406–412. [Google Scholar]





| Characteristic Parameter | Drainage Basin Area/km2 | Gully Length/km | Highest Elevation/m | Maximum Relative Relief/m | Gully Bed Gradient/% | |
|---|---|---|---|---|---|---|
| Gully Name | ||||||
| Niumiangou main channel | 10.57 | 6.31 | 2677 | 1812 | 28.73 | |
| Branch gullies | Lianhua xin gully | 2.07 | 2.76 | 2381 | 1343 | 48.62 |
| Bao gully | 1.96 | 2.46 | 2521 | 1253 | 50.89 | |
| Dao gully | 0.60 | 1.61 | 2597 | 1001 | 62.32 | |
| Niujing xiang gully | 0.64 | 1.12 | 2621 | 773 | 68.77 | |
| Piaochang gully | 0.54 | 0.87 | 1852 | 396 | 45.57 | |
| Qing shui gully | 0.31 | 1.07 | 1754 | 464 | 43.65 | |
| Dynamic Parameters | Computation | ||||
|---|---|---|---|---|---|
| Volumetric weight of debris flow/(g/cm3) | 2.20 | ||||
| Average velocity of debris flow/(m/s) | 23.04 | ||||
| Liquid dynamic pressure of debris flow/(Pa) | 3.5 × 106 | ||||
| Impact force of debris flow stone/(N) | 1.77 × 108 | ||||
| The maximum height of the debris flow rises/(m) | 27.08 | ||||
| The super elevation in bend of debris flow /(m) | 28.07 | ||||
| Different frequencies/% | 10 | 5 | 2 | 1(8 · 14 actual outbreak frequency of debris flow) | 0.5 |
| Storm flood design flow/(m3/s) | 16.42 | 19.04 | 22.27 | 25.16 | 27.95 |
| Debris flow peak discharge/(m3/s) | 283.2 | 328.3 | 384.0 | 433.9 | 482.0 |
| Total amount of debris flow/(104m3) | 26.91 | 31.21 | 36.50 | 41.24 | 45.81 |
| Total amount of solid materials washed out by a debris flow/(104m3) | 19.11 | 22.16 | 25.92 | 29.28 | 32.53 |
| Transformed Value (0–1) | Transformation Function | |
|---|---|---|
| = 0 | for ≤ 1 | |
| = | for 1 < ≤ 1000 | |
| = 1 | for > 1000 | |
| = 0 | for ≤ 1 | |
| = | for 1 < ≤ 100 | |
| = 1 | for > 100 | |
| = | for 0 ≤ ≤ 50 | |
| = 1 | for > 50 | |
| = | for 0 ≤ ≤ 10 | |
| = 1 | for > 10 | |
| = | for 0 ≤ ≤ 1.5 | |
| = 1 | for > 1.5 | |
| = | for 0 ≤ ≤ 20 | |
| = 1 | for > 20 | |
| = | for 0 ≤ ≤ 60 | |
| = 1 | for > 60 | |
| Evaluating Factors | |||||||
|---|---|---|---|---|---|---|---|
| Original data | 800 | 200 | 10.57 | 6.31 | 1.82 | 1.73 | 100 |
| Evaluating Factors | |||||||
|---|---|---|---|---|---|---|---|
| Transformed values | 0.97 | 1.00 | 0.56 | 0.78 | 1.00 | 0.09 | 1.00 |
| Hazard Degree Grade | Very Low | Low | Moderate | High | Very High |
|---|---|---|---|---|---|
| Classification standards | 0.00–0.20 | 0.20–0.40 | 0.40–0.60 | 0.60–0.80 | 0.80–1.00 |
Disclaimer/Publisher’s Note: The statements, opinions and data contained in all publications are solely those of the individual author(s) and contributor(s) and not of MDPI and/or the editor(s). MDPI and/or the editor(s) disclaim responsibility for any injury to people or property resulting from any ideas, methods, instructions or products referred to in the content. |
© 2023 by the authors. Licensee MDPI, Basel, Switzerland. This article is an open access article distributed under the terms and conditions of the Creative Commons Attribution (CC BY) license (https://creativecommons.org/licenses/by/4.0/).
Share and Cite
Yang, Z.; Zhao, X.; Chen, M.; Zhang, J.; Yang, Y.; Chen, W.; Bai, X.; Wang, M.; Wu, Q. Characteristics, Dynamic Analyses and Hazard Assessment of Debris Flows in Niumiangou Valley of Wenchuan County. Appl. Sci. 2023, 13, 1161. https://doi.org/10.3390/app13021161
Yang Z, Zhao X, Chen M, Zhang J, Yang Y, Chen W, Bai X, Wang M, Wu Q. Characteristics, Dynamic Analyses and Hazard Assessment of Debris Flows in Niumiangou Valley of Wenchuan County. Applied Sciences. 2023; 13(2):1161. https://doi.org/10.3390/app13021161
Chicago/Turabian StyleYang, Zhiquan, Xuguang Zhao, Mao Chen, Jie Zhang, Yi Yang, Wentao Chen, Xianfu Bai, Miaomiao Wang, and Qi Wu. 2023. "Characteristics, Dynamic Analyses and Hazard Assessment of Debris Flows in Niumiangou Valley of Wenchuan County" Applied Sciences 13, no. 2: 1161. https://doi.org/10.3390/app13021161
APA StyleYang, Z., Zhao, X., Chen, M., Zhang, J., Yang, Y., Chen, W., Bai, X., Wang, M., & Wu, Q. (2023). Characteristics, Dynamic Analyses and Hazard Assessment of Debris Flows in Niumiangou Valley of Wenchuan County. Applied Sciences, 13(2), 1161. https://doi.org/10.3390/app13021161

