Combinatorial Effect of Multiple Abiotic Factors on Up-Regulation of Carotenoids and Lipids in Monoraphidium sp. for Pharmacological and Nutraceutical Applications
Abstract
1. Introduction
2. Materials and Methods
2.1. Microalgae Growth
2.2. Biochemical Analysis
2.2.1. Gravimetric Estimation of Lipids
2.2.2. Estimation of Protein Content
2.2.3. Estimation of Carbohydrate Content
2.2.4. Estimation of Moisture and Ash Content
2.3. Optimizing Nutrients, Light Intensity, and Photoperiod Using the Response Surface Methodology (RSM) Based Central Composite Design (CCD)
2.4. Biomass, Lipid, and Pigment Analysis
2.5. Microscopic Visualization of Lipophilic Compounds
2.6. Pigments Sample Preparation
2.7. Ultra-High Performance Liquid Chromatography-Quadrupole Time-of-Flight Mass Spectrometry (UPLC/Q-ToF-MS) Analysis
3. Results and Discussion
3.1. Morphology and Biochemical Analysis
3.2. Regression Modeling and Statistical Analysis
3.2.1. Biomass Model
3.2.2. Lipids Model
3.2.3. Chlorophyll a and b Model
3.2.4. Carotenoids Model
3.2.5. Validation of RSM-CDD Based Models
3.3. Effect of Distinctive Abiotic Factors on the Yield of Biomass, Lipids, Chlorophylls, and Carotenoids
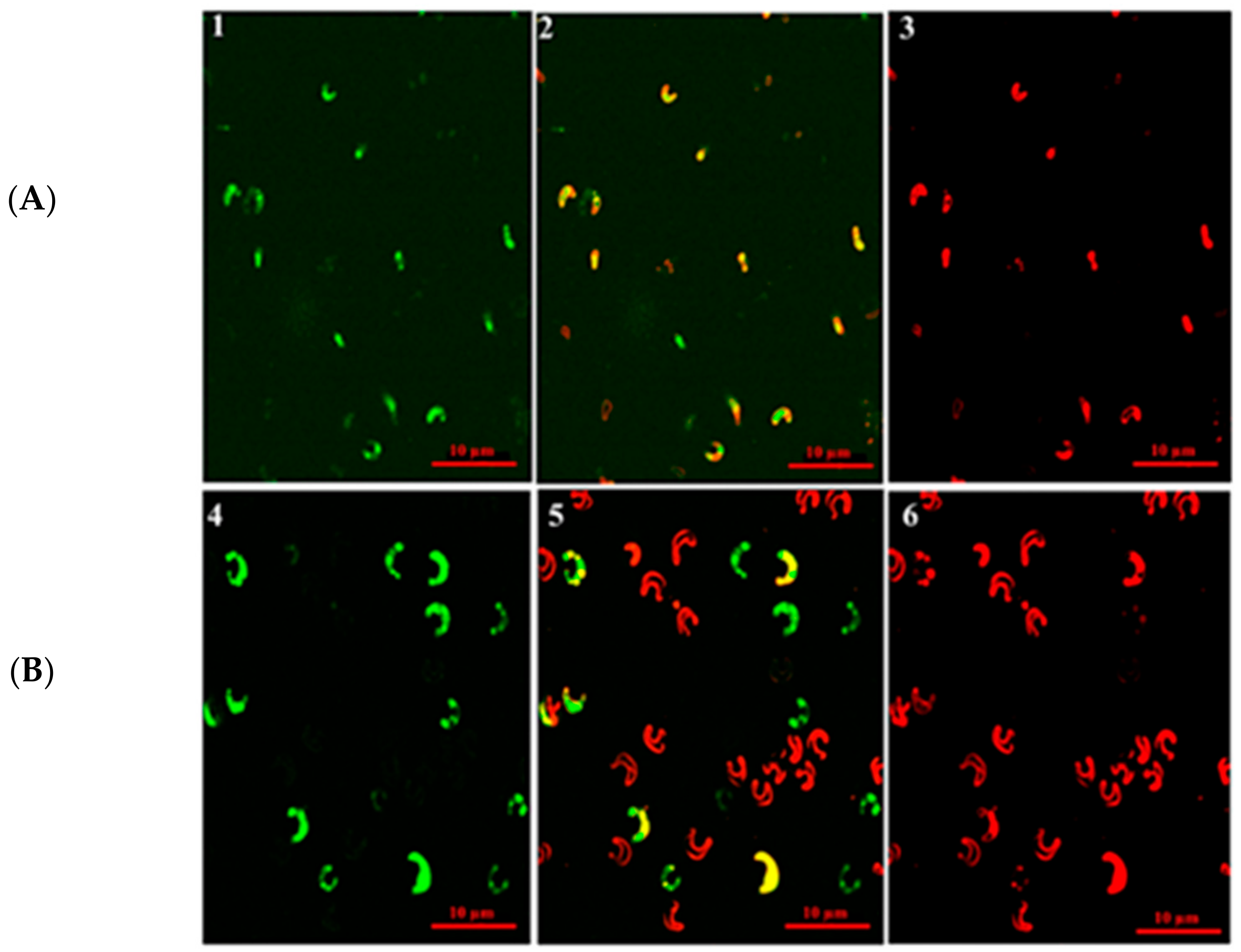
3.4. Visualization of Lipophilic Compounds via Confocal Imaging
3.5. Carotenoid Profiling by UPLC-Q-TOF-MS
4. Conclusions
Supplementary Materials
Author Contributions
Funding
Institutional Review Board Statement
Informed Consent Statement
Data Availability Statement
Acknowledgments
Conflicts of Interest
References
- Kholany, M.; Coutinho, J.A.P.; Ventura, S.P.M. Carotenoid production from microalgae: The portuguese scenario. Molecules 2022, 27, 2540. [Google Scholar] [CrossRef] [PubMed]
- Vladić, J.; Jazić, J.M.; Ferreira, A.; Maletić, S.; Cvetković, D.; Agbaba, J.; Vidović, S.; Gouveia, L. Application of Green Technology to Extract Clean and Safe Bioactive Compounds from Tetradesmus obliquus Biomass Grown in Poultry Wastewater. Molecules 2023, 28, 2397. [Google Scholar] [CrossRef]
- Cezare-Gomes, E.A.; del Carmen Mejia-da-Silva, L.; Pérez-Mora, L.S.; Matsudo, M.C.; Ferreira-Camargo, L.S.; Singh, A.K.; de Carvalho, J.C.M. Potential of Microalgae Carotenoids for Industrial Application. Appl. Biochem. Biotechnol. 2019, 188, 602–634. [Google Scholar] [CrossRef] [PubMed]
- Patil, A.D.; Kasabe, P.J.; Dandge, P.B. Pharmaceutical and nutraceutical potential of natural bioactive pigment: Astaxanthin. Nat. Prod. Bioprospect. 2022, 12, 25. [Google Scholar] [CrossRef]
- GRAS. Available online: www.fda.gov (accessed on 20 December 2022).
- Di Lena, G.; Casini, I.; Lucarini, M.; Lombardi-Boccia, G. Carotenoid profiling of five microalgae species from large-scale production. Food Res. Int. 2019, 120, 810–818. [Google Scholar] [CrossRef] [PubMed]
- Kumar, M.; Sun, Y.; Rathour, R.; Pandey, A.; Thakur, I.S.; Tsang, D.C. Algae as potential feedstock for the production of biofuels and value-added products: Opportunities and challenges. Sci. Total Environ. 2020, 716, 137116. [Google Scholar] [CrossRef]
- Tripathi, S.; Kairamkonda, M.; Gupta, P.; Poluri, K.M. Dissecting the molecular mechanisms of producing biofuel and value-added products by cadmium tolerant microalgae as sustainable biorefinery approach. J. Chem. Eng. 2023, 454, 140068. [Google Scholar] [CrossRef]
- Riyazat Khadim, S.; Mohanta, A.; Singh, P.; Maurya, P.; Kumar Singh, A.; Asthana, R.K. A Study on Dunaliella salina under Selected Nutrient Manipulation with Reference to the Biomass, Lipid Content Along with Expression of ACCase and RuBisCO Genes. BioEnergy Res. 2022, 16, 622–637. [Google Scholar] [CrossRef]
- Guardini, Z.; Dall’Osto, L.; Barera, S.; Jaberi, M.; Cazzaniga, S.; Vitulo, N.; Bassi, R. High carotenoid mutants of Chlorella vulgaris show enhanced biomass yield under high irradiance. Plants 2021, 10, 911. [Google Scholar] [CrossRef]
- Mehariya, S.; Plöhn, M.; Leon-Vaz, A.; Patel, A.; Funk, C. Improving the content of high value compounds in Nordic Desmodesmus microalgal strains. Bioresour. Technol. 2022, 359, 127445. [Google Scholar] [CrossRef]
- Hawkesford, M.J.; Cakmak, I.; Coskun, D.; De Kok, L.J.; Lambers, H.; Schjoerring, J.K.; White, P.J. Functions of macronutrients. In Marschner’s Mineral Nutrition of Plants; Academic Press: Cambridge, MA, USA, 2023; Volume 201, p. 281. [Google Scholar] [CrossRef]
- Liu, T.; Chen, Z.; Xiao, Y.; Yuan, M.; Zhou, C.; Liu, G.; Fang, J.; Yang, B. Biochemical and morphological changes triggered by nitrogen stress in the oleaginous microalga Chlorella vulgaris. Microorganisms 2022, 10, 566. [Google Scholar] [CrossRef]
- Zheng, H.; Wang, Y.; Li, S.; Nagarajan, D.; Varjani, S.; Lee, D.J.; Chang, J.S. Recent advances in lutein production from microalgae. Renew. Sustain. Energy Rev. 2022, 153, 111795. [Google Scholar] [CrossRef]
- Said, Z.; Nguyen, T.H.; Sharma, P.; Li, C.; Ali, H.M.; Ahmed, S.F.; Van, D.N.; Truong, T.H. Multi-attribute optimization of sustainable aviation fuel production-process from microalgae source. Fuel 2022, 324, 124759. [Google Scholar] [CrossRef]
- Morales, M.; Aflalo, C.; Bernard, O. Microalgal lipids: A review of lipids potential and quantification for 95 phytoplankton species. Biomass Bioenergy 2021, 150, 106108. [Google Scholar] [CrossRef]
- Che, R.; Ding, K.; Huang, L.; Zhao, P.; Xu, J.W.; Li, T.; Ma, H.; Yu, X. Enhancing biomass and oil accumulation of Monoraphidium sp. FXY-10 by combined fulvic acid and two-step cultivation. J. Taiwan Inst. Chem. Eng. 2016, 67, 161–165. [Google Scholar] [CrossRef]
- Chekanov, K. Diversity and Distribution of Carotenogenic Algae in Europe: A Review. Mar. Drugs 2023, 21, 108. [Google Scholar] [CrossRef] [PubMed]
- Fujii, K.; Nakajima, H.; Anno, Y. Potential of Monoraphidium sp. GK12 for energy-saving astaxanthin production. J. Chem. Technol. Biotechnol. 2008, 83, 1578–1584. [Google Scholar] [CrossRef]
- Fujii, K.; Nakashima, H.; Hashidzume, Y.; Uchiyama, T.; Mishiro, K.; Kadota, Y. Potential use of the astaxanthin-producing microalga, Monoraphidium sp. GK12, as a functional aquafeed for prawns. J. Appl. Phycol. 2010, 22, 363–369. [Google Scholar] [CrossRef]
- Bligh, E.G.; Dyer, W.J. A rapid method of total lipid extraction and purification. J. Biochem. Physiol. 1959, 37, 911–917. [Google Scholar] [CrossRef]
- Lowry, O.H.; Rosebrough, N.J.; Farr, A.L.; Randall, R.J. Protein measurement with the Folin phenol reagent. J. Biol. Chem. 1951, 193, 265–275. [Google Scholar] [CrossRef]
- Miao, X.-S.; Bishay, F.; Chen, M.; Metcalfe, C.D. Occurrence of Antimicrobials in the Final Effluents of Wastewater Treatment Plants in Canada. Environ. Sci. Technol. 2004, 38, 3533–3541. [Google Scholar] [CrossRef] [PubMed]
- Khanra, A.; Vasistha, S.; Kumar, S.; Rai, M.P. Cultivation of microalgae on unhydrolysed waste molasses syrup using mass cultivation strategy for improved biodiesel. 3 Biotech 2021, 11, 287. [Google Scholar] [CrossRef] [PubMed]
- Zhang, Q.; Qu, Q.; Lu, T.; Ke, M.; Zhu, Y.; Zhang, M.; Zhang, Z.; Du, B.; Pan, X.; Sun, L.; et al. The combined toxicity effect of nanoplastics and glyphosate on Microcystis aeruginosa growth. Environ. Pollut. 2018, 243, 1106–1112. [Google Scholar] [CrossRef] [PubMed]
- Janchot, K.; Rauytanapanit, M.; Honda, M.; Hibino, T.; Sirisattha, S.; Praneenararat, T.; Kageyama, H.; Waditee-Sirisattha, R. Effects of potassium chloride-induced stress on the carotenoids canthaxanthin, astaxanthin, and lipid accumulations in the green Chlorococcal microalga strain TISTR 9500. J. Eukaryot. Microbiol. 2019, 66, 778–787. [Google Scholar] [CrossRef]
- Ricós-Muñoz, N.; Soler, A.R.; Castagnini, J.M.; Moral, R.; Barba, F.J.; Pina-Pérez, M.C. Improvement of the probiotic growth-stimulating capacity of microalgae extracts by pulsed electric fields treatment. Innov. Food Sci. Emerg. Technol. 2023, 83, 103256. [Google Scholar] [CrossRef]
- Agarwal, A.; Singh, A.; Banerjee, B.D.; Rai, M.P.; Mukherjee, M. Exotic Hydrogel Matrix as an Efficient Platform for Sustainable Production of Biomass and Lipid from Chlorella sorokiniana. ACS Appl. Bio Mater. 2021, 4, 6304–6315. [Google Scholar] [CrossRef]
- D’Este, M.; De Francisci, D.; Angelidaki, I. Novel protocol for lutein extraction from microalga Chlorella vulgaris. Biochem. Eng. J. 2017, 127, 175–179. [Google Scholar] [CrossRef]
- Krienitz, L.; Bock, C. Present state of the systematics of planktonic coccoid green algae of inland waters. Hydrobiologia 2012, 698, 295–326. [Google Scholar] [CrossRef]
- Lakatos, G.E.; Ranglová, K.; Bárcenas-Pérez, D.; Grivalský, T.; Manoel, J.C.; Mylenko, M.; Cheel, J.; Nyári, J.; Wirth, R.; Kovács, K.L.; et al. Cold-adapted culturing of the microalga Monoraphidium sp. in thin-layer raceway pond for biomass production. Algal Res. 2023, 69, 102926. [Google Scholar] [CrossRef]
- Kolackova, M.; Janova, A.; Dobesova, M.; Zvalova, M.; Chaloupsky, P.; Krystofova, O.; Adam, V.; Huska, D. Role of secondary metabolites in distressed microalgae. Environ. Res. 2023, 224, 115392. [Google Scholar] [CrossRef]
- Ananthi, V.; Brindhadevi, K.; Pugazhendhi, A.; Arun, A. Impact of abiotic factors on biodiesel production by microalgae. Fuel 2021, 284, 118962. [Google Scholar] [CrossRef]
- Chandra, R.; Amit; Ghosh, U.K. Effects of various abiotic factors on biomass growth and lipid yield of Chlorella minutissima for sustainable biodiesel production. Environ. Sci. Pollut. Res. 2019, 26, 3848–3861. [Google Scholar] [CrossRef] [PubMed]
- Pick, U.; Zarka, A.; Boussiba, S.; Davidi, L. A hypothesis about the origin of carotenoid lipid droplets in the green algae Dunaliella and Haematococcus. Planta 2019, 249, 31–47. [Google Scholar] [CrossRef]
- Kaha, M.; Iwamoto, K.; Yahya, N.A.; Suhaimi, N.; Sugiura, N.; Hara, H.; Othman, N.; Zakaria, Z.; Suzuki, K. Enhancement of astaxanthin accumulation using black light in Coelastrum and Monoraphidium isolated from Malaysia. Sci. Rep. 2021, 11, 11708. [Google Scholar] [CrossRef] [PubMed]
- Tang, C.; Gao, X.; Hu, D.; Dai, D.; Qv, M.; Liu, D.; Zhu, L. Nutrient removal and lipid production by the co-cultivation of Chlorella vulgaris and Scenedesmus dimorphus in landfill leachate diluted with recycled harvesting water. Bioresour. Technol. 2023, 369, 128496. [Google Scholar] [CrossRef] [PubMed]
- Lin, Y.; Zhang, Y.; Fan, Y.; Li, C.; Ling, H.; Ping, W.; Ge, J. Enhanced lipid productivity in low-starch mutant of Monoraphidium sp. for biodiesel production. BioEnergy Res. 2023, 16, 539–549. [Google Scholar] [CrossRef]
- Kaur, M.; Saini, K.C.; Ojah, H.; Sahoo, R.; Gupta, K.; Kumar, A.; Bast, F. Abiotic stress in algae: Response, signaling and transgenic approaches. J. Appl. Phycol. 2022, 34, 1843–1869. [Google Scholar] [CrossRef]
- Schüler, L.M.; Bombo, G.; Duarte, P.; Santos, T.F.; Maia, I.B.; Pinheiro, F.; Marques, J.; Jacinto, R.; Schulze, P.S.; Pereira, H.; et al. Carotenoid biosynthetic gene expression, pigment and n-3 fatty acid contents in carotenoid-rich Tetraselmis striata CTP4 strains under heat stress combined with high light. Bioresour. Technol. 2021, 337, 125385. [Google Scholar] [CrossRef]
- Singh, D.P.; Khattar, J.S.; Rajput, A.; Chaudhary, R.; Singh, R. High production of carotenoids by the green microalga Asterarcys quadricellulare PUMCC 5.1.1 under optimized culture conditions. PLoS ONE 2019, 14, e0221930. [Google Scholar] [CrossRef]
- Saha, S.K.; Ermis, H.; Murray, P. Marine Microalgae for Potential Lutein Production. Appl. Sci. 2020, 10, 6457. [Google Scholar] [CrossRef]
- Şener, N.; Demirel, Z.; Imamoğlu, E.; Dalay, M.C. Optimization of Culture Conditions for Total Carotenoid Amount Using Response Surface Methodology in Green Microalgae/Ankistrodesmus convolutus. Aquat. Sci. Eng. 2022, 37, 29–37. [Google Scholar] [CrossRef]
- Chekanov, K.; Litvinov, D.; Fedorenko, T.; Chivkunova, O.; Lobakova, E. Combined Production of Astaxanthin and β-Carotene in a New Strain of the Microalga Bracteacoccus aggregatus BM5/15 (IPPAS C-2045) Cultivated in Photobioreactor. Biology 2021, 10, 643. [Google Scholar] [CrossRef] [PubMed]
- Orosa, M.; Torres, E.; Fidalgo, P.; Abalde, J. Production and analysis of secondary carotenoids in green algae. J. Appl. Phycol. 2000, 12, 553–556. [Google Scholar] [CrossRef]




| Run | Nitrogen (mg·L−1) | Potassium + Phosphorus (mg·L−1) | Sulphur (mg·L−1) | Light Intensity (µmol·m−2s−1) | Photoperiod (h) | Experimental Value | Anticipated Value | ||||
|---|---|---|---|---|---|---|---|---|---|---|---|
| Biomass Productivity (mg·L−1d−1) | Lipid Content (%) | Total Carotenoid Yield (µg·mL−1) | Biomass Productivity (mg·L−1d−1) | Lipid Content (%) | Total Carotenoid Yield (µg·mL−1) | ||||||
| 1 | 2500 | 250 | 70 | 137.5 | 12 | 24.5 | 13.1 | 3.18 | 34.27 | 18.31 | 4.98 |
| 2 | 2500 | 0 | 70 | 137.5 | 24 | 27.8 | 14.8 | 4.94 | 44.9 | 23.99 | 6.55 |
| 3 | 2500 | 500 | 70 | 137.5 | 24 | 54.9 | 29.3 | 12.2 | 50.26 | 26.85 | 7.35 |
| 4 | 2500 | 0 | 140 | 137.5 | 12 | 41.09 | 21.9 | 4.5 | 32.09 | 17.14 | 2.87 |
| 5 | 5000 | 250 | 70 | 137.5 | 0 | 11.3 | 6.04 | 0.78 | 24.05 | 12.85 | 2.168 |
| 6 | 5000 | 250 | 70 | 75 | 12 | 24.01 | 12.8 | 1.1 | 28.66 | 15.31 | 3.52 |
| 7 | 2500 | 250 | 140 | 75 | 12 | 23.28 | 12.4 | 3.5 | 26.08 | 13.93 | 5.09 |
| 8 | 5000 | 0 | 70 | 137.5 | 12 | 39.7 | 21.2 | 3.5 | 34.67 | 18.52 | 4.05 |
| 9 | 2500 | 250 | 0 | 200 | 12 | 76.4 | 40.8 | 8.07 | 42.47 | 22.69 | 7.34 |
| 10 | 2500 | 250 | 0 | 137.5 | 24 | 52.5 | 42.09 | 6.12 | 47.09 | 25.16 | 6.2 |
| 11 | 2500 | 250 | 140 | 137.5 | 24 | 45.9 | 24.5 | 7.02 | 48.08 | 25.68 | 7.7 |
| 12 | 0 | 250 | 70 | 137.5 | 24 | 34.8 | 18.6 | 6.7 | 44.5 | 23.78 | 3.91 |
| 13 | 2500 | 500 | 70 | 137.5 | 0 | 25.3 | 13.5 | 3.69 | 23.65 | 12.63 | 3.75 |
| 14 | 0 | 0 | 70 | 137.5 | 12 | 25.03 | 13.3 | 4.96 | 28.52 | 15.23 | 4.77 |
| 15 | 2500 | 500 | 0 | 137.5 | 12 | 29.1 | 15.5 | 6.14 | 36.46 | 19.48 | 5.89 |
| 16 | 0 | 250 | 0 | 137.5 | 12 | 30.8 | 16.4 | 6.18 | 30.7 | 16.4 | 6.19 |
| 17 | 0 | 250 | 140 | 137.5 | 12 | 24.8 | 13.2 | 4.5 | 31.69 | 16.93 | 3.95 |
| 18 | 2500 | 0 | 70 | 75 | 12 | 49.85 | 30.6 | 8.14 | 22.91 | 12.24 | 5.99 |
| 19 | 2500 | 250 | 70 | 200 | 0 | 27.6 | 14.78 | 2.6 | 29.65 | 15.84 | 3.13 |
| 20 | 2500 | 250 | 70 | 200 | 24 | 33.8 | 18.09 | 4.09 | 56.27 | 30.06 | 7.2 |
| 21 | 2500 | 500 | 70 | 75 | 12 | 17.5 | 9.39 | 3.01 | 28.27 | 15.1 | 3.61 |
| 22 | 2500 | 250 | 70 | 75 | 24 | 34.01 | 18.17 | 4.4 | 38.89 | 20.78 | 6.71 |
| 23 | 2500 | 250 | 0 | 75 | 12 | 24.5 | 13.1 | 5.43 | 25.09 | 13.41 | 4.5 |
| 24 | 0 | 500 | 70 | 137.5 | 12 | 37.8 | 20.2 | 6.8 | 33.88 | 18.1 | 5.37 |
| 25 | 5000 | 250 | 70 | 137.5 | 24 | 75.4 | 40.28 | 16.2 | 50.66 | 27.06 | 10.7 |
| 26 | 0 | 250 | 70 | 137.5 | 0 | 30.1 | 16.08 | 3.79 | 17.89 | 9.56 | 6.23 |
| 27 | 2500 | 500 | 70 | 200 | 12 | 55.73 | 29.7 | 6.87 | 45.64 | 24.38 | 7.5 |
| 28 | 2500 | 250 | 70 | 137.5 | 12 | 34.8 | 18.6 | 5.7 | 34.27 | 18.31 | 4.98 |
| 29 | 2500 | 0 | 0 | 137.5 | 12 | 27.15 | 14.5 | 5.13 | 31.1 | 16.61 | 5.95 |
| 30 | 5000 | 500 | 70 | 137.5 | 12 | 41.28 | 22.05 | 6.48 | 40.03 | 21.39 | 5.74 |
| 31 | 2500 | 0 | 70 | 137.5 | 0 | 12.08 | 6.45 | 1.74 | 18.29 | 9.77 | 2.26 |
| 32 | 2500 | 250 | 70 | 137.5 | 12 | 44.5 | 23.8 | 5.94 | 34.27 | 18.31 | 4.98 |
| 33 | 2500 | 500 | 140 | 137.5 | 12 | 37.5 | 20.08 | 7.93 | 37.45 | 20.01 | 5.22 |
| 34 | 2500 | 250 | 70 | 75 | 0 | 23.83 | 12.7 | 3.3 | 12.28 | 6.56 | 2.89 |
| 35 | 2500 | 250 | 140 | 137.5 | 0 | 8.5 | 4.54 | 1.2 | 21.46 | 11.47 | 3.815 |
| 36 | 2500 | 250 | 0 | 137.5 | 0 | 7.81 | 4.17 | 7.06 | 20.47 | 10.94 | 5.64 |
| 37 | 5000 | 250 | 140 | 137.5 | 12 | 34.2 | 18.3 | 3.01 | 37.85 | 20.22 | 4.14 |
| 38 | 0 | 250 | 70 | 75 | 12 | 25.1 | 13.4 | 4.73 | 22.51 | 12.03 | 6.08 |
| 39 | 2500 | 0 | 70 | 200 | 12 | 33.6 | 17.9 | 4.9 | 40.28 | 21.52 | 2.83 |
| 40 | 0 | 250 | 70 | 200 | 12 | 30.5 | 16.3 | 3.7 | 39.88 | 21.31 | 4.06 |
| 41 | 5000 | 250 | 70 | 200 | 12 | 32.04 | 17.1 | 4.9 | 46.04 | 24.6 | 6.27 |
| 42 | 2500 | 250 | 140 | 200 | 12 | 71.3 | 38.1 | 1.3 | 43.46 | 23.22 | 2.99 |
| 43 | 5000 | 250 | 0 | 137.5 | 12 | 30.4 | 16.2 | 3.9 | 36.86 | 19.69 | 5.65 |
| Response | Model | Radj2 |
|---|---|---|
| Biomass productivity (mg·L−1 d−1) | =+38.71 + 3.08 × A + 8.69 × B + 2.68 × C + 17.74 × D + 0.4950 × E | 0.33 |
| Lipid content (%) | =+20.68 + 1.64 × A + 4.64 × B + 1.43 × C + 9.48 × D + 0.2645 × E | 0.41 |
| Chlorophyll a yield (µg·mL−1) | =+12.18 + 0.0744 × A + 0.8357 × B + 0.6287 × C + 2.44 × D − 0.4549 × E + 0.6908 × AB + 0.9296 × AC + 0.0032 × AD + 0.5578 × AE + 2.40 × BC + 0.4617 × BD − 0.9000 × BE + 0.4461 × CD + 0.4023 × CE − 0.2485 × DE + 0.1134 × A2 − 0.1134 × B2 + 0.6203 × C2 − 6.10 × D2 + 0.1341 × E2 | 0.82 |
| Chlorophyll b yield (µg·mL−1) | = + 4.34 + 1.60×A + 0.5636×B−0.3356×C + 2.51×D + 0.0567×E | 0.29 |
| Total Carotenoid yield (µg·mL−1) | =+4.87 − 0.8053 × A − 0.4848 × B − 0.1982 × C + 0.2919 × D + 1.94 × E + 0.2719 × AB + 0.1836 × AC + 1.91 × AD + 3.14 × AE + 0.6001 × BC + 2.82 × BD − 0.1718 × BE − 1.97 × CD + 1.69 × CE + 0.0983 × DE | 0.31 |
| Response | Model Term | Coefficient Estimated | df | Standard Error | Mean Square | F-Value | p-Value |
|---|---|---|---|---|---|---|---|
| Biomass productivity (mg·L−1 d−1) | Intercepts | 29.06 | 1 | 2.75 | 862.17 | 5.20 | 0.0010 |
| A | 3.08 | 1 | 3.22 | 151.53 | 0.9135 | 0.3454 | |
| B | 2.68 | 1 | 3.22 | 114.96 | 0.6931 | 0.4105 | |
| C | 0.4950 | 1 | 3.22 | 3.92 | 0.0236 | 0.8786 | |
| D | 13.90 | 1 | 5.15 | 1207.42 | 7.28 | 0.0104 | |
| E | 13.31 | 1 | 3.22 | 2833.02 | 17.08 | 0.0002 | |
| Lipid content (%) | Intercepts | 15.53 | 1 | 1.47 | 246.07 | 5.20 | 0.0010 |
| A | 1.64 | 1 | 1.72 | 43.25 | 0.9135 | 0.3454 | |
| B | 1.43 | 1 | 1.72 | 32.81 | 0.6931 | 0.4105 | |
| C | 0.2645 | 1 | 1.72 | 1.12 | 0.0236 | 0.8786 | |
| D | 7.43 | 1 | 2.75 | 344.61 | 7.28 | 0.0104 | |
| E | 7.11 | 1 | 1.72 | 808.58 | 17.08 | 0.0002 | |
| Chlorophyll a yield (µg·mL−1) | Intercepts | 10.72 | 1 | 0.7372 | 22.69 | 10.69 | <0.0001 |
| A | −0.3409 | 1 | 0.5689 | 0.7621 | 0.3591 | 0.5551 | |
| B | −0.9199 | 1 | 0.5689 | 5.55 | 2.61 | 0.1201 | |
| C | 0.1472 | 1 | 0.5689 | 0.1421 | 0.0670 | 0.7982 | |
| D | 1.37 | 1 | 1.25 | 2.55 | 1.20 | 0.2848 | |
| E | 3.91 | 1 | 0.5689 | 100.41 | 47.32 | <0.0001 | |
| AB | 0.9296 | 1 | 0.7284 | 3.46 | 1.63 | 0.2152 | |
| AC | 0.5578 | 1 | 0.7284 | 1.24 | 0.5865 | 0.4519 | |
| AD | 1.11 | 1 | 1.17 | 1.91 | 0.8995 | 0.3532 | |
| AE | 0.0024 | 1 | 0.7284 | 0.0000 | 0.0000 | 0.9974 | |
| BC | 0.4023 | 1 | 0.7284 | 0.6472 | 0.3050 | 0.5863 | |
| BD | 3.83 | 1 | 1.17 | 22.95 | 10.81 | 0.0034 | |
| BE | 0.3345 | 1 | 0.7284 | 0.4477 | 0.2109 | 0.6505 | |
| CD | −1.44 | 1 | 1.17 | 3.24 | 1.53 | 0.2296 | |
| CE | −0.1864 | 1 | 0.7284 | 0.1389 | 0.0655 | 0.8004 | |
| DE | 0.5540 | 1 | 1.17 | 0.4796 | 0.2260 | 0.6392 | |
| A² | 0.1134 | 1 | 0.5758 | 0.0823 | 0.0388 | 0.8457 | |
| B² | 0.6203 | 1 | 0.5758 | 2.46 | 1.16 | 0.2930 | |
| C² | 0.1341 | 1 | 0.5758 | 0.1151 | 0.0542 | 0.8180 | |
| D² | −0.2904 | 1 | 1.47 | 0.0823 | 0.0388 | 0.8457 | |
| E² | −3.43 | 1 | 0.5758 | 75.40 | 35.53 | <0.0001 | |
| Chlorophyll b yield (µg·mL−1) | Intercepts | 3.38 | 1 | 0.4599 | 20.92 | 4.53 | 0.0026 |
| A | 1.60 | 1 | 0.5375 | 41.11 | 8.89 | 0.0050 | |
| C | −0.3356 | 1 | 0.5375 | 1.80 | 0.3898 | 0.5362 | |
| E | 0.0567 | 1 | 0.5375 | 0.0514 | 0.0111 | 0.9166 | |
| B | 0.9018 | 1 | 0.8601 | 5.08 | 1.10 | 0.3012 | |
| D | 1.88 | 1 | 0.5375 | 56.56 | 12.23 | 0.0012 | |
| Total Carotenoid yield (µg·mL−1) | Intercept | 4.87 | 1 | 0.4612 | 10.62 | 2.28 | 0.0299 |
| A | −0.8053 | 1 | 0.8419 | 4.25 | 0.9148 | 0.3473 | |
| B | −0.4848 | 1 | 0.8419 | 1.54 | 0.3316 | 0.5695 | |
| C | −0.1982 | 1 | 0.8419 | 0.2575 | 0.0554 | 0.8157 | |
| D | 0.2919 | 1 | 0.8624 | 0.5324 | 0.1145 | 0.7376 | |
| E | 1.94 | 1 | 0.8419 | 24.57 | 5.29 | 0.0295 | |
| AB | 0.2719 | 1 | 1.08 | 0.2957 | 0.0636 | 0.8028 | |
| AC | 0.1836 | 1 | 1.08 | 0.1349 | 0.0290 | 0.8660 | |
| AD | 1.91 | 1 | 1.72 | 5.70 | 1.23 | 0.2779 | |
| AE | 3.14 | 1 | 1.08 | 39.36 | 8.47 | 0.0072 | |
| BC | 0.6001 | 1 | 1.08 | 1.44 | 0.3100 | 0.5823 | |
| BD | 2.82 | 1 | 1.72 | 12.42 | 2.67 | 0.1138 | |
| BE | −0.1718 | 1 | 1.08 | 0.1180 | 0.0254 | 0.8746 | |
| CD | −1.97 | 1 | 1.72 | 6.09 | 1.31 | 0.2624 | |
| CE | 1.69 | 1 | 1.08 | 11.41 | 2.46 | 0.1288 | |
| DE | 0.0983 | 1 | 1.72 | 0.0151 | 0.0032 | 0.9550 |
| Cultivation Condition | Biomass Production (mg·L−1) | Biomass Productivity (mg·L−1d−1) | Doubling Time (d) | Specific Growth rate (µ) (d−1) | Lipid Production (mg·L−1) | Lipid Content (%) | Chlorophyll a Production (µg·mL−1) | Chlorophyll b Production (µg·mL−1) | Total Carotenoid Production (µg·mL−1) |
|---|---|---|---|---|---|---|---|---|---|
| Control | 567.644 | 28.3822 | 3.46 | 0.05 | 106.02 | 18.5 | 12.76 | 8.65 | 3.76 |
| Optimized | 1357.36 | 75.4 | 2.56 | 0.1 | 542.8 | 40.28 | 10.87 | 5.81 | 16.26 |
| S. No. | Retention Time (min) | Compound | % Fraction | Molecular Mass (Da) | Molecular Formula | Abducts | Obtained Mass (Da) | ||
|---|---|---|---|---|---|---|---|---|---|
| Control | Optimized | Control | Optimized | ||||||
| 1 | 28.07 | 28.07 | 7,8-Didehydroastaxanthin | 14.8 | 17.7 | 594.823 | C40H50O4 | M + K−2H | 631.31 |
| 2 | 30.41 | 30.41 | Violaxanthin | 3.61 | 4.85 | 600.870 | C40H56O4 | M−H | 599.413 |
| 3 | 31.76 | 31.76 | Lutein 5,6-epoxide | 45.12 | 33.93 | 584.871 | C40H56O3 | M−H | 583.41 |
| 4 | 33.67 | 33.67 | 9-cis-β carotene | 7.62 | 8.19 | 536.873 | C40H56 | M−H | 599.411 |
| 5 | 33.92 | 33.92 | β-carotene-5,6-epoxide | 24.41 | 26.46 | 600.8 | C40H56O4 | M−H | 599.411 |
Disclaimer/Publisher’s Note: The statements, opinions and data contained in all publications are solely those of the individual author(s) and contributor(s) and not of MDPI and/or the editor(s). MDPI and/or the editor(s) disclaim responsibility for any injury to people or property resulting from any ideas, methods, instructions or products referred to in the content. |
© 2023 by the authors. Licensee MDPI, Basel, Switzerland. This article is an open access article distributed under the terms and conditions of the Creative Commons Attribution (CC BY) license (https://creativecommons.org/licenses/by/4.0/).
Share and Cite
Yadav, K.; Kumar, S.; Nikalje, G.C.; Rai, M.P. Combinatorial Effect of Multiple Abiotic Factors on Up-Regulation of Carotenoids and Lipids in Monoraphidium sp. for Pharmacological and Nutraceutical Applications. Appl. Sci. 2023, 13, 6107. https://doi.org/10.3390/app13106107
Yadav K, Kumar S, Nikalje GC, Rai MP. Combinatorial Effect of Multiple Abiotic Factors on Up-Regulation of Carotenoids and Lipids in Monoraphidium sp. for Pharmacological and Nutraceutical Applications. Applied Sciences. 2023; 13(10):6107. https://doi.org/10.3390/app13106107
Chicago/Turabian StyleYadav, Kushi, Shashi Kumar, Ganesh Chandrakant Nikalje, and Monika Prakash Rai. 2023. "Combinatorial Effect of Multiple Abiotic Factors on Up-Regulation of Carotenoids and Lipids in Monoraphidium sp. for Pharmacological and Nutraceutical Applications" Applied Sciences 13, no. 10: 6107. https://doi.org/10.3390/app13106107
APA StyleYadav, K., Kumar, S., Nikalje, G. C., & Rai, M. P. (2023). Combinatorial Effect of Multiple Abiotic Factors on Up-Regulation of Carotenoids and Lipids in Monoraphidium sp. for Pharmacological and Nutraceutical Applications. Applied Sciences, 13(10), 6107. https://doi.org/10.3390/app13106107

