Spatial Data Analysis for Deformation Monitoring of Bridge Structures
Abstract
1. Introduction
2. Deformation Analysis Using TLS
- Point-based approaches;
- Point cloud-based approaches;
- Surface-based approaches;
- Geometry-based approaches;
- Parameter-based approaches.
2.1. Geometry-Based Approach for Deformation Analysis of Brgidge Strucutres
3. Structural Health Monitoring Using Ground-Based Radar
Spectral Analysis of the Data
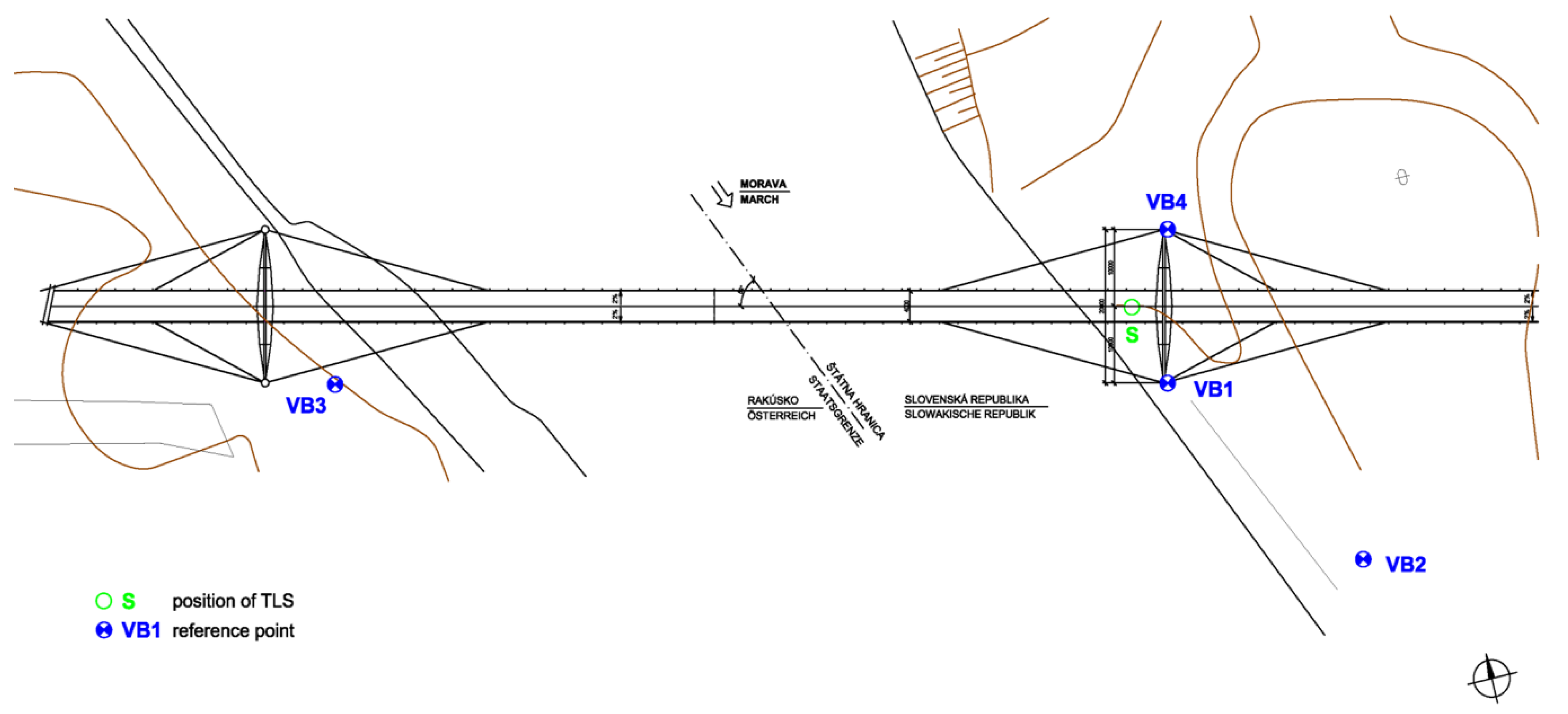
4. The Liberty Bridge—A Case Study
4.1. Deformation Analysis Usign Terrestrial Laser Scanning
4.2. Deformation Analysis Usign Ground-Based Radar Interferometry
- Radial displacements’ transformation to vertical;
- Identification of the monitored parts (P01, P02);
- Modal analysis.
5. Conclusions
Author Contributions
Funding
Conflicts of Interest
References
- Holst, C.; Nothnagel, A.; Blome, M.; Becker, P.; Eichborn, M.; Kuhlmann, H. Improved area-based deformation analysis of a radio telescope’s main reflector based on terrestrial laser scanning. J. Appl. Geod. 2014, 9, 1862–9024. [Google Scholar] [CrossRef]
- Previtali, M.; Barazzetti, L.; Brumana, R.; Cuca, B.; Orieni, D.; Roncoroni, F.; Scaioni, M. Automatic façade modelling using point cloud data for energy-efficient retrofitting. Appl. Geomat. 2014, 6, 95–113. [Google Scholar] [CrossRef]
- Remondinno, F.; Rizzi, A. Reality-based 3D documentation of natural and cultural heritage sites—techniques, problems, and examples. Appl. Geomat. 2010, 2, 85–100. [Google Scholar] [CrossRef]
- Kovanič, Ľ.; Blistan, P.; Urban, R.; Štroner, M.; Pukanská, K.; Bartoš, K.; Palková, J. Analytical Determination of Geometric Parameters of the Rotary Kiln by Novel Approach of TLS Point Cloud Segmentation. Appl. Sci. 2020, 10, 7652. [Google Scholar] [CrossRef]
- Erdélyi, J.; Kyrinovič, P.; Kopáčik, A.; Honti, R. Building Information Modelling of Industrial Plants. In Contributions to International Conferences on Engineering Surveying: Springer Proceedings in Earth and Environmental Sciences; Kopáčik, A., Kyrinovič, P., Erdélyi, J., Paar, R., Marendić, A., Eds.; Springer: Cham, Switzerland, 2020; Volume 13, pp. 13–26. [Google Scholar] [CrossRef]
- Štroner, M.; Křemen, T.; Braun, J.; Urban, R.; Blistan, P.; Kovanič, L. Comparison of 2.5d volume calculation methods and software solutions using point clouds scanned before and after mining. Acta Montan. Slovaca 2019, 24, 296–306. [Google Scholar]
- Pavelka, K.; Michalík, B. Laser scanning for bim and results visualization using VR. Int. Arch. Photogramm. Remote Sens. Spat. Inf. Sci. ISPRS Arch. 2019, XLII-5/W2, 49–52. [Google Scholar] [CrossRef]
- Neuner, H.; Holst, C.; Kuhlmann, H. Overview on current modelling strategies of point clouds for deformation analysis. Avn Allg. Vermess. Nachr. 2016, 123, 328–339. [Google Scholar]
- Qiang, P.; Xun, G.; Zheng, Z.M. A review of health monitoring and damage detection of bridge structures. Earthq. Eng. Eng. Vib. 2003, 23, 61–67. [Google Scholar]
- Lipták, I.; Kopáčik, A.; Erdélyi, J.; Kyrinovič, P. Dynamic Deformation Monitoring of Bridge Structure. J. Civ. Eng. 2013, 8, 13–20. [Google Scholar] [CrossRef]
- Pieraccini, M.; Parrini, F.; Fratini, M.; Atzeni, C.; Spinelli, P.; Micheloni, M. Static and dynamic testing of bridges through microwave interferometry. NDT E Int. 2007, 40, 208–214. [Google Scholar]
- Cosser, E.; Roberts, G.W.; Meng, X.; Hodson, A.H. Single frequency GPS for Bridge Deflection Monitoring: Progress and Results. In Proceedings of the 1st FIG International Symposium on Engineering Surveys for Construction Works and Structural Engineering, Nottingham, UK, 28 June–1 July 2004. [Google Scholar]
- Owerko, T.; Ortyl, L.; Kocierz, R.; Kuras, P.; Salamak, M. Investigation of displacements of road bridges under test loads using radar interferometry-case study. In Bridge Maintenance, Safety, Management, Resilience and Sustainability, Proceedings of the Sixth International IABMAS Conference, Stresa, Lake Maggiore, Italy, 8–12 July 2012; CRC Press: Leiden, The Netherlands, 2012. [Google Scholar]
- Kuras, P.; Owerko, T.; Strach, M. Application of an interferometric radar to examination of engineering objects vibration. Rep. Geod. 2009, 86, 209–216. [Google Scholar]
- Ohlmann-lauber, J.; Schäfer, T. Ansätze zur Ableitung von Deformationen aus TLS-Daten. In 106. DVW Seminar Terrestrisches Laserscanning-TLS; Wißner-Verlag: Augsburg, Germany, 2011; pp. 161–180. [Google Scholar]
- Little, M.J. Slope monitoring strategy at PPRust open pit operation. In Proceedings of the International Symposium on Stability of Rock Slopes in Open Pit Mining and Civil Engineering, Cape Town, South Africa, 9 April 2016; African Institute of Mining and Metallurgy: Johannesburg, South Africa, 2006; pp. 221–230. [Google Scholar]
- Wunderlich, T.; Niemeier, W.; Wujanz, D.; Holst, C.; Kuhlmann, H. Areal Deformation Analysis from TLS Point Clouds—The Challenge. AVN Allg. Vermess. Nachr. 2016, 123, 340–351. [Google Scholar]
- Girardeau-montaut, D.; Roux, M.; Marc, R.; Thibault, G. Change detection on points cloud data acquired with a ground laser scanner. Int. Arch. Photogramm. Remote Sens. Spat. Inf. Sci. 2005, 36, 30–35. [Google Scholar]
- Harmening, C.; Neuner, H. A spatio-temporal deformation model for laser scanning point clouds. J. Geod. 2020, 94, 26. [Google Scholar] [CrossRef]
- Schäfer, T.; Weber, T.; Kyrinovič, P.; Zámečníková, M. Deformation Measurement Using Terrestrial Laser Scanning at the Hydropower Station of Gabčíkovo. In Proceedings of the 3rd International Conference on Engineering Surveying: FIG Regional Central and Eastern European Conference, INGEO 2004, Bratislava, Slovakia, 11–13 November 2004; International Federation of Surveyors: Bratislava, Slovakia, 2004. [Google Scholar]
- Fischler, M.A.; Bolles, R.C. Random sample consunsus: A paradigm for model fitting with applications to image analysis and automated cartography. Commun. ACM 1981, 24, 381–395. [Google Scholar] [CrossRef]
- Golub, G.; Kahan, W. Calculating the Singular Values and Pseudo-Inverse of a Matrix. J. Soc. Ind. Appl. Math. Ser. B Numer. Anal. 1965, 2, 205–224. [Google Scholar] [CrossRef]
- Wenzel, H. Health Monitoring of Bridges; John Wiley & Sons, Ltd.: Chichester, UK, 2009. [Google Scholar]
- Bernardini, G.; De Pasquale, G.; Bicci, A.; Marra, M.; Coppi, F.; Ricci, P. Microwave interferometer for ambient vibration measurements on civil engineering structures: 1. Principles of the radar technique and laboratory tests. In Experimental Vibration Analysis for Civil Engineering Structures: Proceedings of the International Conference on Experimental Vibration Analysis for Civil Engineering Structures, Porto, Portugal, 24–26 October 2007; University of Porto: Porto, Portugal, 2007. [Google Scholar]
- Gentile, C. Radar-based measurement of deflections on bridges and large structures: Advantages, limitations and possible applications. In Proceedings of the fourth international conference Smart Structures and Materials (SMART’09), Porto, Portugal, 13–15 July 2009. [Google Scholar]
- Pavelka, K.; Šedina, J.; Matoušková, E.; Hlaváčová, I.; Korth, W. Examples of different techniques for glaciers motion monitoring using InSAR and RPAS. Eur. J. Remote Sens. 2019, 52, 219–232. [Google Scholar] [CrossRef]
- Cooley, J.W.; Tukey, J.W. An algorithm for the machine calculation of complex Fourier series. Math. Comput. 1965, 19, 297–301. [Google Scholar] [CrossRef]
- Welch, P.D. The Use of Fast Fourier Transform for the Estimation of Power Spectra: A Method Based on Time Averaging Over Short, Modified Periodograms. IEEE Trans. Audio Electroacoust. 1967, 15, 70–73. [Google Scholar] [CrossRef]
- Agócs, Z.; Vanko, M. Devínska Nová Ves—Schloshof Cycling bridge. Cyklomost Devínska Nová Ves—Schlosshof; Technical Documentation; INGSTEEL, spol. s.r.o.: Bratislava, Slovakia, 2011; p. 29. [Google Scholar]
- Suchocki, C. Comparison of Time-of-Flight and Phase-Shift TLS Intensity Data for the Diagnostics Measurements of Buildings. Materials 2020, 13, 353. [Google Scholar] [CrossRef] [PubMed]










| Monitored Point | Vertical Displacement [mm] | |||
|---|---|---|---|---|
| No Load | Walking | Running | Jumping | |
| P01 | 0.57 | 0.59 | 0.60 | 2.55 |
| P02 | 0.71 | 0.74 | 0.76 | 4.63 |
| Vibration Mode | Modal Frequency [Hz] | Dominant Frequencies [Hz] | |||
|---|---|---|---|---|---|
| No Load | Walking | Running | Jumping | ||
| 2nd | 1.63 | 1.53 | - | 1.53 | - |
| 22nd | 2.15 | - | 2.01 | - | 1.82 |
| 23rd | 2.49 | - | - | 2.97 | - |
| 44th | 3.76 | - | 3.71 | - | 3.51 |
| 59th | 4.69 | - | - | 4.56 | - |
| Monitored Point | Vertical Displacement [mm] | |||
|---|---|---|---|---|
| No Load | Walking | Running | Jumping | |
| P01 | 0.61 | 0.54 | 0.56 | 2.34 |
| P02 | 0.69 | 0.73 | 0.72 | 4.82 |
| Vibration Mode | Modal Frequency [Hz] | Dominant Frequencies [Hz] | |||
|---|---|---|---|---|---|
| No Load | Walking | Running | Jumping | ||
| 2nd | 1.63 | - | - | - | - |
| 22nd | 2.15 | - | 2.05 | - | 1.80 |
| 23rd | 2.49 | - | - | 2.90 | - |
| 44th | 3.76 | - | 3.99 | - | - |
| 59th | 4.69 | - | - | 4.59 | - |
Publisher’s Note: MDPI stays neutral with regard to jurisdictional claims in published maps and institutional affiliations. |
© 2020 by the authors. Licensee MDPI, Basel, Switzerland. This article is an open access article distributed under the terms and conditions of the Creative Commons Attribution (CC BY) license (http://creativecommons.org/licenses/by/4.0/).
Share and Cite
Erdélyi, J.; Kopáčik, A.; Kyrinovič, P. Spatial Data Analysis for Deformation Monitoring of Bridge Structures. Appl. Sci. 2020, 10, 8731. https://doi.org/10.3390/app10238731
Erdélyi J, Kopáčik A, Kyrinovič P. Spatial Data Analysis for Deformation Monitoring of Bridge Structures. Applied Sciences. 2020; 10(23):8731. https://doi.org/10.3390/app10238731
Chicago/Turabian StyleErdélyi, Ján, Alojz Kopáčik, and Peter Kyrinovič. 2020. "Spatial Data Analysis for Deformation Monitoring of Bridge Structures" Applied Sciences 10, no. 23: 8731. https://doi.org/10.3390/app10238731
APA StyleErdélyi, J., Kopáčik, A., & Kyrinovič, P. (2020). Spatial Data Analysis for Deformation Monitoring of Bridge Structures. Applied Sciences, 10(23), 8731. https://doi.org/10.3390/app10238731

