The Response of the Rivers of NW Greece to Late Quaternary Neotectonics, as Interpreted from Detrital Petrology
Abstract
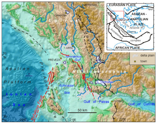
1. Introduction
2. Geological Setting
2.1. General Geological History
2.2. The Evolution of River Systems
2.3. Previous Heavy Mineral Studies
3. Materials and Methods
4. Results
4.1. Field Geology of the Terrace Deposits
4.2. Bulk Petrology
4.3. Modal Abundance of Heavy Minerals

4.4. Chemical Fingerprinting of Detrital Minerals

4.5. Modal Abundance of Lithic Clasts
5. Discussion
5.1. Sources of Heavy Minerals to Rivers
5.2. Sources of Heay Minerals to Beaches
5.3. Sources of Heavy Minerals to Raised Terraces
5.4. Geography and Timing of Changes in River Courses
5.5. Evolution of the Beach Systems
5.6. Implications for Sediment Provenance Studies
5.7. Relationship of the River System to Tectonic Evolution of Western Greece
6. Conclusions
Supplementary Materials
Author Contributions
Funding
Data Availability Statement
Acknowledgments
Conflicts of Interest
References
- van Hinsbergen, D.V.; van der Meer, D.G.; Zachariasse, W.J.; Meulenkamp, J.E. Deformation of western Greece during Neogene clockwise rotation and collision with Apulia. Int. J. Earth Sci. 2006, 95, 463–490. [Google Scholar] [CrossRef]
- Gawthorpe, R.L.; Leeder, M.R.; Kranis, H.; Skourtsos, E.; Andrews, J.E.; Henstra, G.A.; Mack, G.H.; Muravchik, M.; Turner, J.A.; Stamatakis, M. Tectono-sedimentary evolution of the Plio-Pleistocene Corinth rift, Greece. Basin Res. 2018, 30, 448–479. [Google Scholar] [CrossRef]
- Pérouse, E.; Sébrier, M.; Braucher, R.; Chamot-Rooke, N.; Bourlès, D.; Briole, P.; Sorel, D.; Dimitrov, D.; Arsenikos, S. Transition from collision to subduction in Western Greece: The Katouna–Stamna active fault system and regional kinematics. Int. J. Earth Sci. 2017, 106, 967–989. [Google Scholar] [CrossRef]
- Anastasakis, G.; Piper, D.J.W.; Tziavos, C. Sedimentological response to neotectonics and sea-level change in a delta-fed, complex graben: Gulf of Amvrakikos, western Greece. Mar. Geol. 2007, 236, 27–44. [Google Scholar] [CrossRef]
- Ntokos, D. Formulation of the conceptual model for the tectonic geomorphological evolution of an area: Five main rivers of Greece as a case study. Catena 2018, 167, 60–77. [Google Scholar] [CrossRef]
- Faupl, P.; Pavlopoulos, A.; Migiros, G. On the provenance of flysch deposits in the External Hellenides of mainland Greece: Results from heavy mineral studies. Geol. Mag. 1998, 135, 421–442. [Google Scholar] [CrossRef]
- Mange, M.A.; Morton, A.C. Geochemistry of heavy minerals. Dev. Sedimentol. 2007, 58, 345–391. [Google Scholar]
- Tsikouras, B.; Pe-Piper, G.; Piper, D.J.W.; Schaffer, M. Varietal heavy mineral analysis of sediment provenance, Lower Cretaceous Scotian Basin, eastern Canada. Sediment. Geol. 2011, 237, 150–165. [Google Scholar] [CrossRef]
- Morton, A.C. Heavy minerals in provenance studies. In Provenance of Arenites; Springer: Dordrecht, The Netherlands, 1985; pp. 249–277. [Google Scholar]
- Morton, A.C.; Hallsworth, C. Stability of detrital heavy minerals during burial diagenesis. Dev. Sedimentol. 2007, 58, 215–245. [Google Scholar]
- GEBCO Compilation Group. GEBCO_2022 Grid. 2022. Available online: https://doi.org/10.5285/e0f0bb80-ab44-2739-e053-6c86abc0289c (accessed on 28 August 2022).
- Greece Knowledge-Patridognosia. 2022. Available online: http://www.geogreece.gr (accessed on 28 August 2022).
- Karakitsios, V. Western Greece and Ionian Sea petroleum systems. AAPG Bull. 2013, 97, 1567–1595. [Google Scholar] [CrossRef]
- Gonzales-Bonorino, G. Foreland sedimentation and plate interaction during closure of the Tethys Ocean (Tertiary; Hellenides; Western Continental Greece). J. Sediment. Res. 1996, B66, 1148–1155. [Google Scholar]
- Pe-Piper, G.; Koukouvelas, I. Petrology, geochemistry and regional geological significance of igneous clasts in Parnassos flysch, Amphissa area, Greece. Neues Jahrb. Mineralogie. Abh. 1992, 164, 94–112. [Google Scholar]
- Bornovas, J.; Rondogianni-Tsiambaou, T. Geological Map of Greece, 1:500,000; Institute of Geology and Mineral Exploration: Athens, Greece, 1983. [Google Scholar]
- Zogaris, S.; Economou, A.N. The biogeographic characteristics of the river basins of Greece. In The Rivers of Greece; Springer: Berlin/Heidelberg, Germany, 2017; pp. 53–95. [Google Scholar]
- Lykousis, V. Sea-level changes and shelf break prograding sequences during the last 400 ka in the Aegean margins: Subsidence rates and palaeogeographic implications. Cont. Shelf Res. 2009, 29, 2037–2044. [Google Scholar] [CrossRef]
- Zavitsanou, A.; Sakellariou, D.; Rousakis, G.; Georgiou, P.; Galanidou, N. Paleogeographic reconstruction of the Inner Ionian Sea during Late Pleistocene low sea level stands: Preliminary results. In Proceedings of the 11th Panhellenic Symposium on Oceanography and Fisheries, Mytilene, Greece, 13–17 May 2016; pp. 997–1000. [Google Scholar]
- Lisiecki, L.E.; Raymo, M.E. A Pliocene-Pleistocene stack of 57 globally distributed benthic δ18O records. Paleoceanography 2005, 20, PA1003. [Google Scholar] [CrossRef]
- Jolivet, L.; Faccenna, C.; Huet, B.; Labrousse, L.; Le Pourhiet, L.; Lacombe, O.; Lecomte, E.; Burov, E.; Denèle, Y.; Brun, J.P.; et al. Aegean tectonics: Strain localisation, slab tearing and trench retreat. Tectonophysics 2013, 597, 1–33. [Google Scholar] [CrossRef]
- Haddad, A.; Ganas, A.; Kassaras, I.; Lupi, M. Seismicity and geodynamics of western Peloponnese and central Ionian Islands: Insights from a local seismic deployment. Tectonophysics 2020, 778, 228353. [Google Scholar] [CrossRef]
- Ntokos, D. Neotectonic study of Northwestern Greece. J. Maps 2018, 14, 178–188. [Google Scholar] [CrossRef]
- Tranos, M.D.; Weber, J.C.; Bussey, J.; O’Sullivan, P. Trichonis basin, western central Greece: Is it an immature basin in the Corinth Rift or a pull-apart in a sinistral rift–trench link? J. Geol. Soc. 2020, 177, 120–140. [Google Scholar] [CrossRef]
- Zelilidis, A. Drainage evolution in a rifted basin, Corinth graben, Greece. Geomorphology 2000, 35, 69–85. [Google Scholar] [CrossRef]
- Demoulin, A.; Beckers, A.; Hubert-Ferrari, A. Patterns of Quaternary uplift of the Corinth rift southern border (N Peloponnese, Greece) revealed by fluvial landscape morphometry. Geomorphology 2015, 246, 188–204. [Google Scholar] [CrossRef]
- Ford, M.; Hemelsdaël, R.; Mancini, M.; Palyvos, N. Rift migration and lateral propagation: Evolution of normal faults and sediment-routing systems of the western Corinth rift (Greece). Geol. Soc. Lond. Spec. Publ. 2017, 439, 131–168. [Google Scholar] [CrossRef]
- Gallen, S.F.; Fernández-Blanco, D. A New Data-driven Bayesian Inversion of Fluvial Topography Clarifies the Tectonic History of the Corinth Rift and Reveals a Channel Steepness Threshold. J. Geophys. Res. Earth Surf. 2021, 126, e2020JF005651. [Google Scholar] [CrossRef]
- Lykoudi, E. Geomorphic evolution of the upper reaches of the drainage basin of Acheloos River. Bull. Geol. Soc. Greece 2001, 34, 397–404. [Google Scholar] [CrossRef]
- Piper, D.J.W.; Aksu, A.E. Architecture of stacked Quaternary deltas correlated with global oxygen isotopic curve. Geology 1992, 20, 415–418. [Google Scholar] [CrossRef]
- Skene, K.I.; Piper, D.J.W.; Aksu, A.E.; Syvitski, J.P. Evaluation of the global oxygen isotope curve as a proxy for Quaternary sea level by modeling of delta progradation. J. Sediment. Res. 1998, 68, 1077–1092. [Google Scholar] [CrossRef]
- Tripsanas, E.K.; Stathopoulou, K.; Abdelsamad, A.; Spanos, D.; Pagoulatos, A. Depositional infill patterns of a Neogene fold and thrust belt basin in Offshore Western Greece (poster). In Proceedings of the International Association of Sedimentologists Regional Meeting, Rome, Italy, 10–13 September 2019. [Google Scholar]
- Tsanakas, K.; Fubelli, G.; Karymbalis, E. Geomorphic impacts of active tectonics on a river course, the case of Klissoura gorge, central Greece. In European Geosciences Union, General Assembly; European Geosciences Union: Munich, Germany, 2014; p. 9359. [Google Scholar]
- Pe, G.G.; Panagos, A.G. Heavy mineralogy of river and beach sands, continental Greece. Neues Jahrb. Für Mineral. Mon. 1979, 136, 254–261. [Google Scholar]
- Faupl, P.; Pavlopoulos, A.; Migiros, G. The Paleogene history of the Pelagonian zone SL (Hellenides, Greece): Heavy mineral study from terrigenous flysch sediments. Geol. Carpathica 1999, 50, 449–458. [Google Scholar]
- Faupl, P.; Pavlopoulos, A.; Migiros, G. Provenance of flysch sediments and the Palaeogene-Early Miocene geodynamic evolution of the Hellenides: A contribution from heavy mineral investigations. Dev. Sedimentol. 2007, 58, 765–788. [Google Scholar]
- Vakalas, I.; Ananiadis, G.; Zelilidis, A.; Kontopoulos, N.; Tsikouras, B. Provenance of Pindos foreland flysch deposits using scanning electron microscopy and microanalysis. Bull. Geol. Soc. Greece 2004, 36, 607–614. [Google Scholar] [CrossRef][Green Version]
- Ananiadis, G.; Vakalas, I.; Zelilidis, A.; Tsikouras, B. Provenance of Pindos flysch deposits in Metsovo and Fourna areas using scanning electron microscopy and microanalysis. Bull. Geol. Soc. Greece 2004, 36, 534–541. [Google Scholar] [CrossRef][Green Version]
- Pe-Piper, G.; Piper, D.J.W. The Igneous Rocks of Greece: The Anatomy of an Orogen; Borntraeger: Stuttgart, Germany, 2002; 573p. [Google Scholar]
- Pe-Piper, G.; Piper, D.J.W.; Wang, Y.; Zhang, Y.; Trottier, C.; Ge, C.; Yin, Y. Quaternary evolution of the rivers of northeast Hainan Island, China: Tracking the history of avulsion from mineralogy and geochemistry of river and delta sands. Sediment. Geol. 2016, 333, 84–99. [Google Scholar] [CrossRef]
- Miler, M.; Mirtič, B. Accuracy and precision of EDS analysis for identification of metal-bearing minerals in polished and rough particle samples. Geologija 2013, 56, 5–17. [Google Scholar] [CrossRef]
- Newbury, D.E.; Ritchie, N.W. Is scanning electron microscopy/energy dispersive X-ray spectrometry (SEM/EDS) quantitative? Scanning 2013, 35, 141–168. [Google Scholar] [CrossRef] [PubMed]
- Folk, R.L. Petrology of Sedimentary Rocks; Hemphill Publishing Company: Austin, TX, USA, 1974. [Google Scholar]
- Morimoto, N.; Fabries, J.; Ferguson, A.K.; Ginzburg, I.V.; Ross, M.; Seifert, F.A.; Zussman, J.; Aoki, K.; Gottardi, G. Nomenclature of pyroxenes. Am. Mineral. 1988, 73, 1123–1133. [Google Scholar]
- Dutuc, D.C.; Pe-Piper, G.; Piper, D.J.W. The provenance of Jurassic and Lower Cretaceous clastic sediments offshore southwestern Nova Scotia. Can. J. Earth Sci. 2017, 54, 33–51. [Google Scholar] [CrossRef]
- Deer, W.; Howie, R.A.; Zussman, J. Rock-Forming Minerals Vol. 1, Orthosilicates, 2nd ed.; Longman Group Limited: Harlow, UK, 1982; 919p. [Google Scholar]
- Pearce, J.A.; Barker, P.F.; Edwards, S.J.; Parkinson, I.J.; Leat, P.T. Geochemistry and tectonic significance of peridotites from the South Sandwich arc-basin system. Contrib. Mineral. Petrol. 2000, 139, 36–53. [Google Scholar] [CrossRef]
- Hughes, P.D.; Woodward, J.C.; Gibbard, P.L.; Macklin, M.G.; Gilmour, M.A.; Smith, G.R. The glacial history of the Pindus Mountains, Greece. J. Geol. 2006, 114, 413–434. [Google Scholar] [CrossRef]
- Hollenstein, C.; Müller, M.D.; Geiger, A.; Kahle, H.G. Crustal motion and deformation in Greece from a decade of GPS measurements, 1993–2003. Tectonophysics 2008, 449, 17–40. [Google Scholar] [CrossRef]
- Pico, T.; Creveling, J.R.; Mitrovica, J.X. Sea-level records from the U.S. mid Atlantic constrain Laurentide Ice Sheet extent during Marine Isotope Stage 3. Nat. Commun. 2017, 8, 15612. [Google Scholar] [CrossRef]
- Monopolis, D.; Bruneton, A. Ionian Sea (Western Greece): Its structural outline deduced from drilling and geophysical data. Tectonophysics 1982, 83, 227–242. [Google Scholar] [CrossRef]
- Duermeijer, C.E.; Krijgsman, W.; Langereis, C.G.; Meulenkamp, J.E.; Triantaphyllou, M.V.; Zachariasse, W.J. A Late Pleistocene clockwise rotation phase of Zakynthos (Greece) and implications for the evolution of the western Aegean arc. Earth Planet. Sci. Lett. 1999, 173, 315–331. [Google Scholar] [CrossRef]
- Pe-Piper, G.; Triantafyllidis, S.; Piper, D.J.W. Geochemical identification of clastic sediment provenance from known sources of similar geology: The Cretaceous Scotian Basin, Canada. J. Sediment. Res. 2008, 78, 595–607. [Google Scholar] [CrossRef]







| Lithic Clasts | Minerals | |||||||||||||||
|---|---|---|---|---|---|---|---|---|---|---|---|---|---|---|---|---|
| Sample No. | Location | Carbonate | Chert | Other Sedimentary | Igneous + Metam. | Amphibole | Biotite | Chlorite | Epidote | Feldspars | Muscovite | Olivine | Opaque Oxides | Monocrystal. Qz | Polycrystalline Qz | Titanite |
| 5 | lower Evinos | 35.0 | 0.7 | 22.1 | 0.0 | 0.0 | 0.0 | 0.0 | 0.2 | 0.7 | 0.0 | 0.0 | 13.5 | 19.8 | 8.0 | 0.3 |
| 18 | lower Acheloos | 36.2 | 0.3 | 30.7 | 0.0 | 0.3 | 0.0 | 0.2 | 0.0 | 1.0 | 0.7 | 0.2 | 5.2 | 21.0 | 4.2 | 0.0 |
| 11 | lower Louros | 21.0 | 0.3 | 32.7 | 1.5 | 0.0 | 0.0 | 0.2 | 0.0 | 2.3 | 0.0 | 0.3 | 5.2 | 27.5 | 9.0 | 0.2 |
| 8 | upper Louros | 21.5 | 0.0 | 61.5 | 0.0 | 0.3 | 0.0 | 0.3 | 0.0 | 0.5 | 0.0 | 0.0 | 3.8 | 8.8 | 3.3 | 0.0 |
| 9 | upper Arachthos | 38.3 | 0.7 | 33.2 | 0.7 | 0.2 | 0.0 | 0.0 | 0.0 | 0.2 | 0.2 | 0.0 | 4.3 | 20.2 | 2.0 | 0.0 |
| 10 | upper Arachthos | 31.8 | 0.7 | 41.1 | 0.2 | 0.0 | 1.7 | 0.8 | 0.0 | 0.7 | 0.0 | 0.2 | 2.2 | 17.5 | 2.8 | 0.3 |
| 12 | Monolithos beach | 19.8 | 4.7 | 53.1 | 1.5 | 0.0 | 0.0 | 0.0 | 0.0 | 0.5 | 0.2 | 0.0 | 1.7 | 13.8 | 4.7 | 0.0 |
| 15 | Aktion beach | 9.2 | 7.3 | 44.7 | 0.0 | 0.0 | 0.0 | 0.0 | 0.0 | 1.3 | 0.0 | 0.0 | 2.7 | 24.0 | 10.8 | 0.0 |
| 17 | Ag. Nikolaos terrace | 35.0 | 3.8 | 55.9 | 0.0 | 0.0 | 0.0 | 0.2 | 0.0 | 0.0 | 0.0 | 0.0 | 1.2 | 1.2 | 2.7 | 0.0 |
| Sample No. | Location Name | Staurolite | Zircon | Titanite | “Rutile” | Ilmenie | Fluorite | Barite | Sphalerite | Cassiterite | Amphibole | Gedrite | Glaucophane | Apatite | Chromite | Spinel | Epidote |
|---|---|---|---|---|---|---|---|---|---|---|---|---|---|---|---|---|---|
| % of Total Detrital Heavy Minerals (Less Titanomagnetite and Magnetite) | |||||||||||||||||
| 5 | lower Evinos | 0.0 | 2.0 | 3.9 | 6.5 | 0.3 | 1.3 | 1.0 | 0.0 | 0.0 | 1.0 | 0.0 | 0.0 | 7.2 | 10.4 | 7.2 | 20.2 |
| 22 | middle Acheloos | 0.0 | 12.5 | 3.3 | 8.6 | 12.8 | 0.0 | 0.0 | 0.0 | 0.3 | 1.0 | 0.3 | 0.0 | 1.3 | 16.4 | 2.3 | 18.4 |
| 18 | lower Acheloos | 0.0 | 3.8 | 4.6 | 8.1 | 2.2 | 1.3 | 0.0 | 0.0 | 0.0 | 4.0 | 0.0 | 0.0 | 6.2 | 18.8 | 2.4 | 14.5 |
| 11 | lower Louros | 0.8 | 2.4 | 5.2 | 4.7 | 8.9 | 0.3 | 0.0 | 0.0 | 0.0 | 0.3 | 0.0 | 0.3 | 6.5 | 17.0 | 5.8 | 16.5 |
| 8 | upper Louros | 1.2 | 4.1 | 3.7 | 12.3 | 13.5 | 1.6 | 0.4 | 0.0 | 0.0 | 0.8 | 0.0 | 0.0 | 6.6 | 15.2 | 4.9 | 16.8 |
| 9 | upper Arachthos | 0.0 | 2.1 | 2.9 | 1.9 | 2.7 | 0.6 | 0.5 | 0.2 | 0.0 | 3.3 | 0.3 | 0.0 | 0.8 | 25.7 | 6.2 | 2.9 |
| 10 | upper Arachthos | 0.0 | 0.2 | 1.7 | 1.4 | 0.7 | 2.4 | 0.2 | 0.0 | 0.0 | 7.3 | 0.0 | 0.0 | 0.7 | 14.0 | 6.4 | 1.7 |
| 12 | Monolithos beach | 0.3 | 11.0 | 3.0 | 6.8 | 4.3 | 2.5 | 0.0 | 0.0 | 0.0 | 0.5 | 0.0 | 0.0 | 0.0 | 31.6 | 14.5 | 1.8 |
| 15 | Aktion beach | 0.0 | 0.7 | 3.5 | 5.7 | 3.2 | 8.1 | 0.0 | 0.0 | 0.0 | 2.1 | 0.0 | 0.4 | 0.4 | 7.1 | 6.4 | 10.6 |
| 25 | Pogonia beach | 2.7 | 3.2 | 2.9 | 6.4 | 16.3 | 0.0 | 0.0 | 0.0 | 0.0 | 1.4 | 0.0 | 0.0 | 0.9 | 24.6 | 9.5 | 13.9 |
| 26 | Mytikas beach | 1.7 | 3.0 | 7.2 | 6.2 | 7.2 | 0.0 | 0.0 | 0.0 | 0.2 | 3.5 | 0.0 | 0.0 | 5.9 | 11.4 | 5.7 | 31.4 |
| 17 | Ag. Nikolaos terr. | 0.2 | 1.5 | 5.1 | 2.7 | 8.1 | 0.7 | 0.0 | 0.0 | 0.0 | 2.9 | 1.2 | 0.0 | 2.9 | 24.4 | 11.5 | 23.2 |
| 24 | Loutraki terrace | 0.0 | 8.1 | 3.5 | 6.9 | 4.0 | 0.0 | 0.0 | 0.0 | 0.0 | 2.9 | 0.0 | 0.0 | 5.8 | 24.3 | 12.7 | 13.3 |
| Sample No. | Location Name | Garnet | Tourmaline | Pumpellyite | Prehnite | Chalcopyrite | Allanite | Monazite | Clinopyroxene | Orthopyroxene | Olivine | Serpentinite | Talc/Magnesite | Total Counted | Titano-Mag. | Magnetite | Cr-Chlorite |
|---|---|---|---|---|---|---|---|---|---|---|---|---|---|---|---|---|---|
| % of Total Detrital Heavy Minerals (Less Titanomag. and Magnetite) | Others as % * | ||||||||||||||||
| 5 | lower Evinos | 32.2 | 2.9 | 0.7 | 0.0 | 0.7 | 0.7 | 0.0 | 1.0 | 0.7 | 0.3 | 0.0 | 0.0 | 310 | 0.0 | 1.0 | 0.0 |
| 22 | middle Acheloos | 17.8 | 3.9 | 0.0 | 0.0 | 0.0 | 0.0 | 1.0 | 0.0 | 0.0 | 0.0 | 0.0 | 0.0 | 304 | 0.0 | 0.0 | 0.3 |
| 18 | lower Acheloos | 28.0 | 4.6 | 0.0 | 0.0 | 0.0 | 0.0 | 0.3 | 1.3 | 0.0 | 0.0 | 0.0 | 0.0 | 380 | 0.0 | 2.2 | 0.0 |
| 11 | lower Louros | 24.9 | 2.9 | 0.0 | 0.0 | 0.0 | 0.0 | 0.0 | 2.4 | 0.5 | 0.8 | 0.0 | 0.0 | 396 | 1.0 | 2.6 | 0.0 |
| 8 | upper Louros | 18.0 | 0.8 | 0.0 | 0.0 | 0.0 | 0.0 | 0.0 | 0.0 | 0.0 | 0.0 | 0.0 | 0.0 | 294 | 0.0 | 20.5 | 0.0 |
| 9 | upper Arachthos | 7.9 | 0.5 | 0.0 | 0.0 | 0.0 | 0.0 | 0.2 | 12.2 | 5.1 | 22.8 | 1.1 | 0.3 | 671 | 2.2 | 4.1 | 0.2 |
| 10 | upper Arachthos | 5.7 | 0.7 | 0.0 | 0.2 | 0.0 | 0.0 | 0.0 | 8.8 | 10.0 | 37.9 | 0.0 | 0.0 | 431 | 0.9 | 1.2 | 0.0 |
| 12 | Monolithos beach | 17.8 | 0.3 | 0.0 | 0.0 | 0.0 | 0.0 | 0.0 | 0.3 | 5.5 | 0.0 | 0.0 | 0.0 | 401 | 0.0 | 0.5 | 1.5 |
| 15 | Aktion beach | 7.4 | 1.4 | 0.0 | 0.0 | 0.0 | 0.0 | 0.0 | 6.4 | 36.7 | 0.0 | 0.0 | 0.0 | 283 | 0.0 | 0.0 | 1.1 |
| 25 | Pogonia beach | 8.6 | 1.6 | 0.0 | 0.0 | 0.0 | 0.5 | 0.9 | 1.1 | 5.0 | 0.2 | 0.2 | 0.2 | 561 | 0.0 | 0.2 | 1.1 |
| 26 | Mytikas beach | 7.4 | 2.2 | 0.0 | 0.0 | 0.0 | 0.0 | 0.0 | 5.0 | 1.5 | 0.2 | 0.2 | 0.0 | 409 | 0.5 | 0.7 | 0.7 |
| 17 | Ag. Nikolaos terr. | 13.4 | 0.0 | 0.0 | 0.0 | 0.0 | 0.0 | 0.0 | 1.0 | 0.2 | 0.0 | 0.0 | 0.7 | 409 | 0.0 | 0.0 | 2.0 |
| 24 | Loutraki terrace | 16.2 | 1.2 | 0.0 | 0.0 | 0.0 | 0.0 | 0.0 | 0.6 | 0.6 | 0.0 | 0.0 | 0.0 | 176 | 0.6 | 1.2 | 0.0 |
| Percentage * | |||||||
|---|---|---|---|---|---|---|---|
| Sample | Location | Total Counts | Hydrothermal | Igneous | Metamorphic | Ophiolitic | Sedimentary |
| 5 | lower Evinos | 22 | 18 | 18 | 50 | 0 | 14 |
| 22 | middle Acheloos | 22 | 14 | 14 | 36 | 5 | 32 |
| 18 | lower Acheloos | 35 | 43 | 9 | 31 | 3 | 14 |
| 11 | lower Louros | 29 | 34 | 7 | 52 | 3 | 3 |
| 8 | upper Louros | 37 | 22 | 5 | 54 | 0 | 19 |
| 9 | upper Arachthos | 58 | 9 | 31 | 31 | 26 | 3 |
| 10 | upper Arachthos | 26 | 0 | 8 | 31 | 54 | 8 |
| 12 | Monolithos beach | 22 | 18 | 5 | 59 | 18 | 0 |
| 15 | Aktion beach | 31 | 35 | 3 | 39 | 16 | 6 |
| 25 | Pogonia beach | 24 | 8 | 0 | 54 | 29 | 8 |
| 26 | Mytikas beach | 11 | 18 | 9 | 64 | 9 | 0 |
| 17 | Ag. Nikolaos terr. | 39 | 44 | 3 | 38 | 15 | 0 |
| 24 | Loutraki terrace | 8 | 63 | 13 | 0 | 0 | 25 |
Publisher’s Note: MDPI stays neutral with regard to jurisdictional claims in published maps and institutional affiliations. |
© 2022 by the authors. Licensee MDPI, Basel, Switzerland. This article is an open access article distributed under the terms and conditions of the Creative Commons Attribution (CC BY) license (https://creativecommons.org/licenses/by/4.0/).
Share and Cite
Piper, D.J.W.; Pe-Piper, G. The Response of the Rivers of NW Greece to Late Quaternary Neotectonics, as Interpreted from Detrital Petrology. Geosciences 2022, 12, 392. https://doi.org/10.3390/geosciences12110392
Piper DJW, Pe-Piper G. The Response of the Rivers of NW Greece to Late Quaternary Neotectonics, as Interpreted from Detrital Petrology. Geosciences. 2022; 12(11):392. https://doi.org/10.3390/geosciences12110392
Chicago/Turabian StylePiper, David J. W., and Georgia Pe-Piper. 2022. "The Response of the Rivers of NW Greece to Late Quaternary Neotectonics, as Interpreted from Detrital Petrology" Geosciences 12, no. 11: 392. https://doi.org/10.3390/geosciences12110392
APA StylePiper, D. J. W., & Pe-Piper, G. (2022). The Response of the Rivers of NW Greece to Late Quaternary Neotectonics, as Interpreted from Detrital Petrology. Geosciences, 12(11), 392. https://doi.org/10.3390/geosciences12110392

