Trichosporon asahii: A Potential Growth Promoter for C. gallinacea? Implications for Chlamydial Infections and Cell Culture
Abstract
Short Communication
Author Contributions
Funding
Data Availability Statement
Conflicts of Interest
Abbreviations
| BGM | Buffalo Green Monkey |
| EMEM | Eagle’s Minimum Essential Medium |
| FLI | Friedrich Loeffler Institute |
| GXM | Glucuronoxylomannan |
| PCR | Polymerase Chain Reaction |
| WGS | Whole Genome Sequencing |
Appendix A



Appendix B
| Cell Line | Growth Media and Supplements | Cell Incubation Temperature and CO2 Conditions Used | Maintenance Frequency Per Week | Cell Dissociation Process for Subculture | Density at the Seeding |
|---|---|---|---|---|---|
| BGM | Minimum Essential Medium [EMEM, Lonza] +5% Fetal Calf Serum +1% L-glutamine | 37 °C ± 1 °C 5% CO2 | Twice | Trypsinization | 1.6 × 106/mL |
| DF-1 | Dulbecco’s Modified Eagle Medium (Gluc/Pyr/Sodium Bicarbonate) [DMEM D654, Sigma-Aldrich] +10% Fetal Calf Serum +1% L-glutamine | 39 °C ± 1 °C 5% CO2 | Twice | Trypsinization | 1.6 × 106/mL |
| Caco-2 | Dulbecco’s Modified Eagle Medium (Gluc/Pyr) [DMEM D654, Thermo Scientific] +15% Fetal Calf Serum +1% L-glutamine +1% Non-Essential Aminoacids 100× +0.5% Penicillin-Streptomycin (10,000 U/mL) | 37 °C ± 1 °C 5% CO2 | Once + change of growth medium twice/week | Trypsinization | 2.5 × 105/mL |
| Protocol | Cell Lines | Growth Medium After Inoculation | Number of Passages After the First Inoculation | Temperature Incubation (CO2 Condition) | Centrifugation Step |
|---|---|---|---|---|---|
| Standard | BGM | UltraMDCK with 1% non-Essential Amino Acids, 1% Vitamins and antibiotics/antifungals (25 µg/mL of vancomycin, 10 µg/mL of gentamycin, 2.5 µg/mL of Amphotericin B and 25 U/mL of nystatin) | Up to 2 | 37 °C | Single initial centrifugation |
| Alternative | BGM | EMEM with 20% Fetal Calf Serum, 1% L-glutamine, 3.33 mg/mL D-glucose, 1 mg/mL cycloheximide and antibiotics/antifungals (25 µg/mL of vancomycin, 10 µg/mL of gentamycin, 2.5 µg/mL of Amphotericin B and 25 U/mL of nystatin) | Up to 2 | 37 °C (5% CO2) | Daily centrifugation |
References
- Vorimore, F.; Hölzer, M.; Liebler-Tenorio, E.; Barf, L.-M.; Delannoy, S.; Vittecoq, M.; Wedlarski, R.; Lécu, A.; Scharf, S.; Blanchard, Y.; et al. Evidence for the existence of a new genus Chlamydiifrater gen. nov. inside the family Chlamydiaceae with two new species isolated from flamingo (Phoenicopterus roseus): Chlamydiifrater phoenicopteri sp. nov. and Chlamydiifrater volucris sp. nov. Syst. Appl. Microbiol. 2021, 44, 126200. [Google Scholar] [CrossRef] [PubMed]
- Guo, W.; Li, J.; Kaltenboeck, B.; Gong, J.; Fan, W.; Wang, C. Chlamydia gallinacea, not C. psittaci, is the endemic chlamydial species in chicken (Gallus gallus). Sci. Rep. 2016, 6, 19638. [Google Scholar] [CrossRef] [PubMed]
- Marchino, M.; Rizzo, F.; Barzanti, P.; Sparasci, O.A.; Bottino, P.; Vicari, N.; Rigamonti, S.; Braghin, S.; Aaziz, R.; Vorimore, F.; et al. Chlamydia Species and Related Risk Factors in Poultry in North-Western Italy: Possible Bird-to-Human Transmission for C. gallinacea. Int. J. Environ. Res. Public Health 2022, 19, 2174. [Google Scholar] [CrossRef] [PubMed]
- Donati, M.; Graciotti, C.; Di Francesco, A.; Pavan, G.; Bui, C.; Cevenini, R. Influence of centrifugation on the infectivity of Chlamydia pneumoniae IOL-207. New Microbiol. 1995, 18, 315–318. [Google Scholar] [PubMed]
- Onorini, D.; Donati, M.; Marti, H.; Biondi, R.; Levi, A.; Nufer, L.; Prähauser, B.; Rigamonti, S.; Vicari, N.; Borel, N. The influence of centrifugation and incubation temperatures on various veterinary and human chlamydial species. Veter. Microbiol. 2019, 233, 11–20. [Google Scholar] [CrossRef]
- Schiller, I.; Schifferli, A.; Gysling, P.; Pospischil, A. Growth characteristics of porcine chlamydial strains in different cell culture systems and comparison with ovine and avian chlamydial strains. Veter. J. 2004, 168, 74–80. [Google Scholar] [CrossRef] [PubMed]
- De Puysseleyr, L.; De Puysseleyr, K.; Vanrompay, D.; De Vos, W.H. Quantifying the growth of Chlamydia suis in cell culture using high-content microscopy. Microsc. Res. Tech. 2017, 80, 350–356. [Google Scholar] [CrossRef]
- Sachse, K.; Vretou, E.; Livingstone, M.; Borel, N.; Pospischil, A.; Longbottom, D. Recent developments in the laboratory diagnosis of chlamydial infections. Veter. Microbiol. 2008, 135, 2–21. [Google Scholar] [CrossRef]
- Stivala, A.; Genovese, C.; Bonaccorso, C.; Di Salvatore, V.; Petronio, G.; Garozzo, A.; Salmeri, M. Comparison of Cell Culture with Three Conventional Polymerase Chain Reactions for Detecting Chlamydophila pneumoniae in Adult’s Pharyngotonsillitis. Comp. Study Curr. Microbiol. 2020, 77, 2841–2846. [Google Scholar] [CrossRef]
- Laroucau, K.; Vorimore, F.; Aaziz, R.; Berndt, A.; Schubert, E.; Sachse, K. Isolation of a new chlamydial agent from infected domestic poultry coincided with cases of atypical pneumonia among slaughterhouse workers in France. Infect. Genet. Evol. 2009, 9, 1240–1247. [Google Scholar] [CrossRef] [PubMed]
- Sachse, K.; Laroucau, K.; Riege, K.; Wehner, S.; Dilcher, M.; Creasy, H.H.; Weidmann, M.; Myers, G.; Vorimore, F.; Vicari, N.; et al. Evidence for the existence of two new members of the family Chlamydiaceae and proposal of Chlamydia avium sp. nov. and Chlamydia gallinacea sp. nov. Syst. Appl. Microbiol. 2014, 37, 79–88. [Google Scholar] [CrossRef] [PubMed]
- Sachse, K.; Grossmann, E.; Jäger, C.; Diller, R.; Hotzel, H. Detection of Chlamydia suis from clinical specimens: Comparison of PCR, antigen ELISA, and culture. J. Microbiol. Methods 2003, 54, 233–238. [Google Scholar] [CrossRef]
- Ornelas-Eusebio, E.; Garcia-Espinosa, G.; Vorimore, F.; Aaziz, R.; Durand, B.; Laroucau, K.; Zanella, G. Cross-sectional study on Chlamydiaceae prevalence and associated risk factors on commercial and backyard poultry farms in Mexico. Prev. Veter- Med. 2020, 176, 104922. [Google Scholar] [CrossRef] [PubMed]
- Ehricht, R.; Slickers, P.; Goellner, S.; Hotzel, H.; Sachse, K. Optimized DNA microarray assay allows detection and genotyping of single PCR-amplifiable target copies. Mol. Cell. Probes 2006, 20, 60–63. [Google Scholar] [CrossRef]
- Laroucau, K.; Aaziz, R.; Meurice, L.; Servas, V.; Chossat, I.; Royer, H.; de Barbeyrac, B.; Vaillant, V.; Moyen, J.L.; Meziani, F.; et al. Outbreak of psittacosis in a group of women exposed to Chlamydia psittaci-infected chickens. Eurosurveillance 2015, 20, 21155. [Google Scholar] [CrossRef]
- Zocevic, A.; Vorimore, F.; Marhold, C.; Horvatek, D.; Wang, D.; Slavec, B.; Prentza, Z.; Stavianis, G.; Prukner-Radovcic, E.; Dovc, A.; et al. Molecular characterization of atypical Chlamydia and evidence of their dissemination in different European and Asian chicken flocks by specific real-time PCR. Environ. Microbiol. 2012, 14, 2212–2222. [Google Scholar] [CrossRef] [PubMed]
- Staub, E.; Marti, H.; Biondi, R.; Levi, A.; Donati, M.; Leonard, C.A.; Ley, S.D.; Pillonel, T.; Greub, G.; Seth-Smith, H.M.B.; et al. Novel Chlamydia species isolated from snakes are temperature-sensitive and exhibit decreased susceptibility to azithromycin. Sci. Rep. 2018, 8, 5660. [Google Scholar] [CrossRef]
- Pruckler, J.M.; Masse, N.; Stevens, V.A.; Gang, L.; Yang, Y.; Zell, E.R.; Dowell, S.F.; Fields, B.S. Optimizing Culture of Chlamydia pneumoniae by Using Multiple Centrifugations. J. Clin. Microbiol. 1999, 37, 3399–3401. [Google Scholar] [CrossRef] [PubMed]
- Colombo, A.L.; Padovan, A.C.B.; Chaves, G.M. Current knowledge of Trichosporon spp. and Trichosporonosis. Clin. Microbiol. Rev. 2011, 24, 682–700. [Google Scholar] [CrossRef]
- Robinson, K.; Xiao, Y.; Johnson, T.J.; Chen, B.; Yang, Q.; Lyu, W.; Wang, J.; Fansler, N.; Becker, S.; Liu, J.; et al. Chicken Intestinal Mycobiome: Initial Characterization and Its Response to Bacitracin Methylene Disalicylate. Appl. Environ. Microbiol. 2020, 86, e00304-20. [Google Scholar] [CrossRef]
- De Boeck, C.; Kalmar, I.; Dumont, A.; Vanrompay, D. Longitudinal monitoring for respiratory pathogens in broiler chickens reveals co-infection of Chlamydia psittaci and Ornithobacterium rhinotracheale. J. Med. Microbiol. 2015, 64, 565–574. [Google Scholar] [CrossRef] [PubMed]
- Van Loock, M.; Geens, T.; De Smit, L.; Nauwynck, H.; Van Empel, P.; Naylor, C.; Hafez, H.; Goddeeris, B.; Vanrompay, D. Key role of Chlamydophila psittaci on Belgian turkey farms in association with other respiratory pathogens. Veter. Microbiol. 2005, 107, 91–101. [Google Scholar] [CrossRef] [PubMed]
- Loock, M.; Loots, K.; Zande, S.; Heerden, M.; Nauwynck, H.; Goddeeris, B.; Vanrompay, D. Pathogenic interactions between Chlamydophila psittaci and avian pneumovirus infections in turkeys. Veter. Microbiol. 2006, 112, 53–63. [Google Scholar] [CrossRef] [PubMed]
- Filardo, S.; Di Pietro, M.; Tranquilli, G.; Sessa, R. Biofilm in Genital Ecosystem: A Potential Risk Factor for Chlamydia trachomatis Infection. Can. J. Infect. Dis. Med. Microbiol. 2019, 2019, 1–6. [Google Scholar] [CrossRef]
- Iturrieta-González, I.A.; Padovan, A.C.B.; Bizerra, F.C.; Hahn, R.C.; Colombo, A.L. Multiple Species of Trichosporon Produce Biofilms Highly Resistant to Triazoles and Amphotericin B. PLoS ONE 2014, 9, e109553. [Google Scholar] [CrossRef]
- Segrelles-Calvo, G.; Araújo, G.R.D.S.; Llopis-Pastor, E.; Frasés, S. Trichosporon asahii as Cause of Nosocomial Pneumonia in Patient With COVID-19: A Triple Co-infection. Arch. Bronc. 2020, 57, 46–48. [Google Scholar] [CrossRef]
- Briones-Claudett, K.H.; Briones-Claudett, M.H.; Cordova Loor, F.J.; Murillo Vasconez, R.A.; Rivera Salas, C.D.R.; Bajaña Huilcapi, C.K.; Estupinan Vargas, D.F.; Rodriguez Garcia, S.E.; Benitez Sólis, J.; Briones Zamora, K.H.; et al. A 71-year-old man from Ecuador with a history of Type 2 diabetes mellitus and severe COVID-19 pneumonia and lung cavitation associated with triple infection with Trichosporon asahii, Klebsiella pneumoniae, and Pseudomonas aeruginosa. J. Investig. Med. High Impact. Case Rep. 2022, 10, 23247096221140250. [Google Scholar] [CrossRef] [PubMed]
- Yang, T.; Fu, Y. Trichosporon asahii co-infection with Pneumocystis jiroveci in a renal transplant patient. IDCases 2024, 36, e01951. [Google Scholar] [CrossRef] [PubMed]
- Zimbres, A.C.G.; Albuquerque, P.C.; Joffe, L.S.; Souza, T.N.; Nimrichter, L.; Frazão, S.O.; Albuquerque, P.; Fonseca, F.L.; Rodrigues, M.L. A glucuronoxylomannan-like glycan produced by Trichosporon mucoides. Fungal Genet. Biol. 2018, 121, 46–55. [Google Scholar] [CrossRef]
- Liu, S.; Yang, W.; Li, Y.; Sun, C. Fetal bovine serum, 20 an important factor affecting the reproducibility of cell experiments. Sci. Rep. 2023, 13, 1942. [Google Scholar]
- Wang, X.; Zhang, W.; Hao, Y. Improving Mycoplasma ovipneumoniae culture medium by a comparative transcriptome method. J. Veter. Sci. 2020, 21, e30. [Google Scholar] [CrossRef]
- Zhang, A.; Lao, X.; Liang, J.; Xia, X.; Ma, L.; Liang, J. Case Report: Pneumonia Caused by Chlamydia psittaci and Cryptococcus Co-Infection. Infect. Drug Resist. 2024, 17, 845–849. [Google Scholar] [CrossRef]


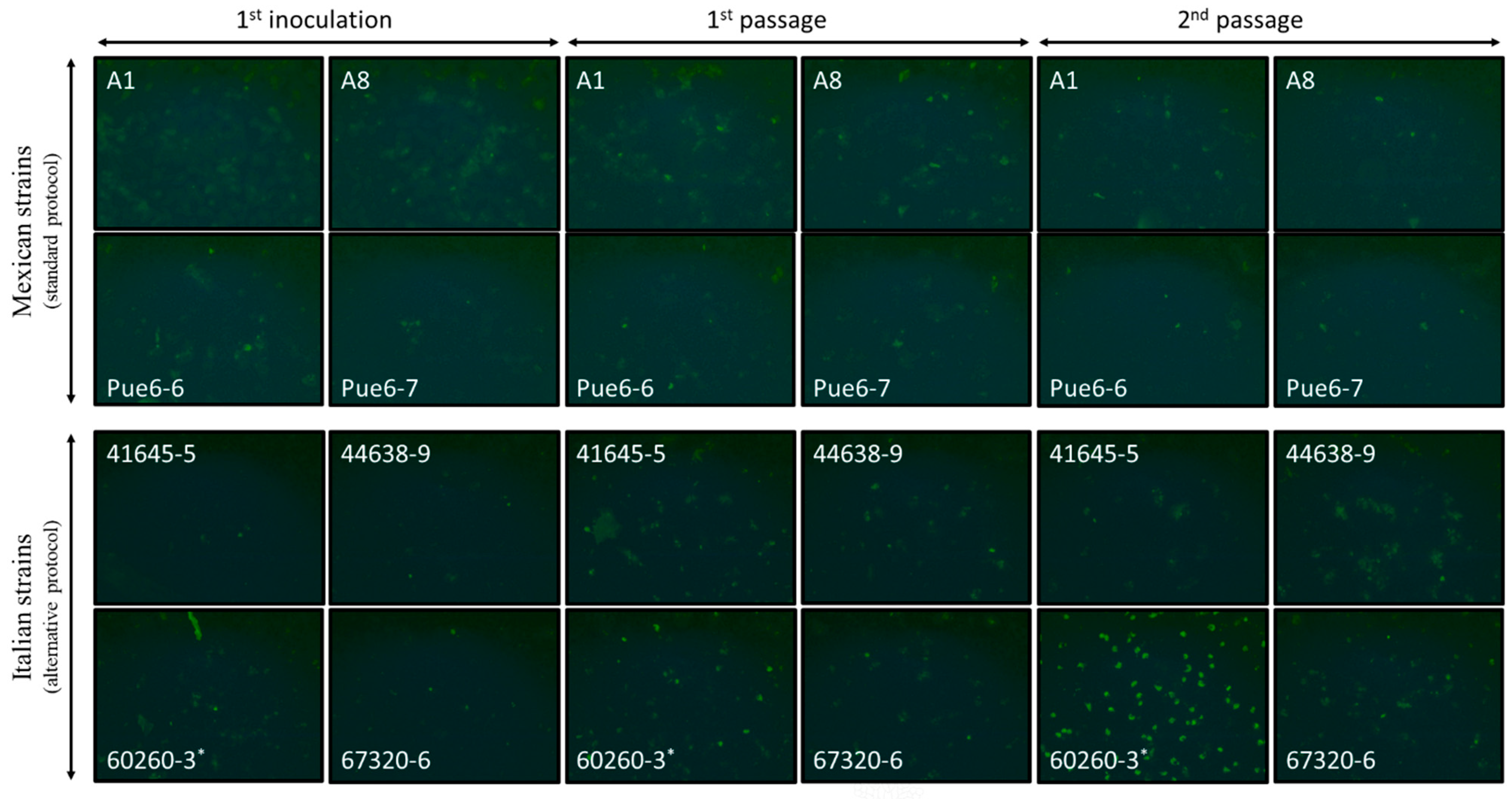
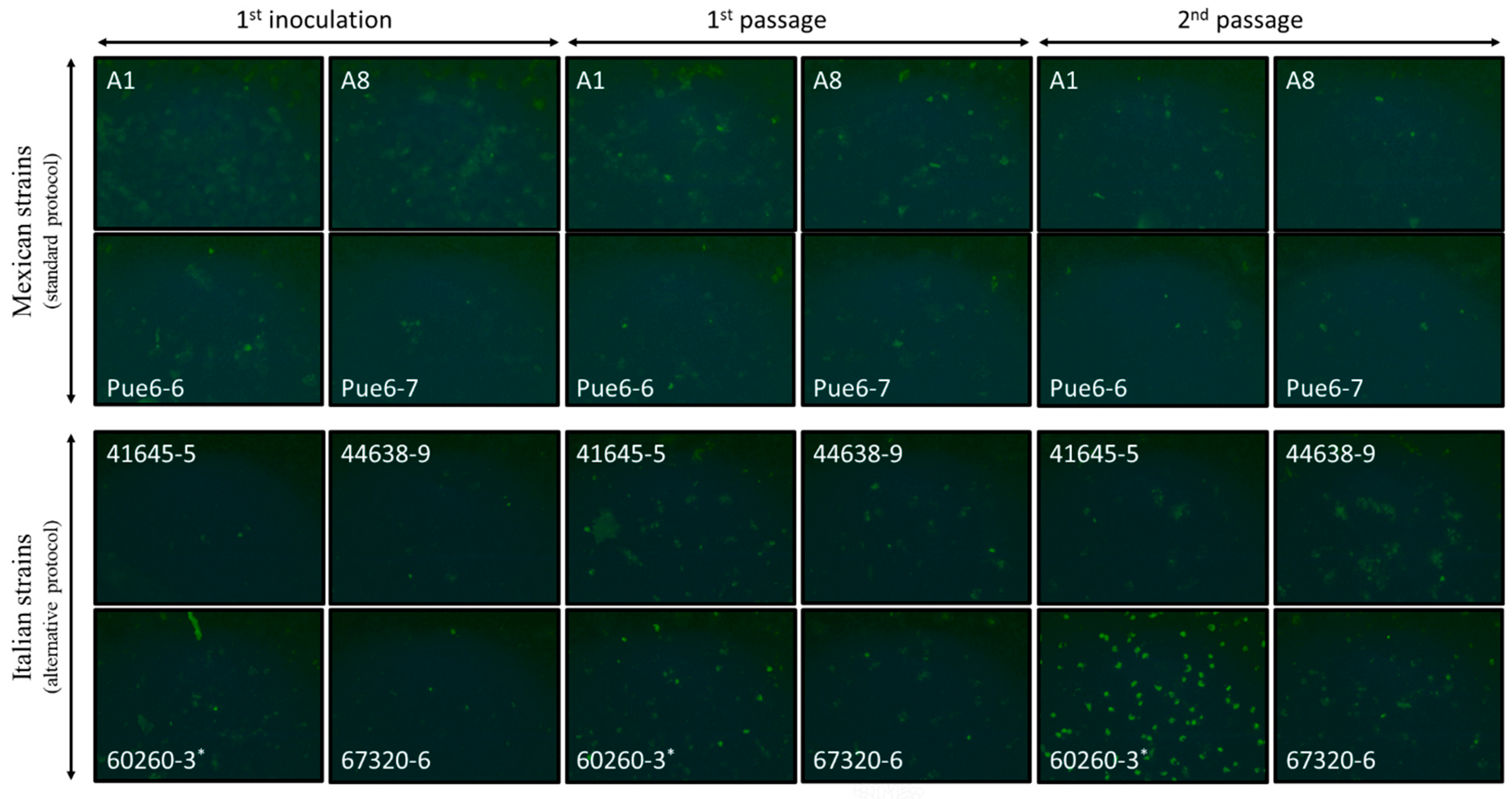
| Origin | Date of Collection | Specimen Identification | Cq Chlamydiaceae Real-Time PCR 1 | Cq C. gallinacea Real-Time PCR 2 | Culture Protocol |
|---|---|---|---|---|---|
| Mexico | May, 2018 | 18-2470/Ameca-1 (A1) | 21.6 | 21.6 | standard |
| Mexico | May, 2018 | 18-2470/Ameca-8 (A8) | 20.8 | 21.4 | standard |
| Mexico | February, 2018 | 18-2470/Pue6-6 | 22.4 | 23.6 | standard |
| Mexico | February, 2018 | 18-2470/Pue6-7 | 25.1 | 26.0 | standard |
| Italy | May, 2019 | 20-2327/41645-5 | 29.6 | 19.3 * | alternative |
| Italy | May, 2019 | 20-2327/44638-9 | 29.6 | 18.2 * | alternative |
| Italy | July, 2019 | 20-2327/60260-3 | 28.0 | 27.6 | alternative |
| Italy | August, 2019 | 20-2327/67320-6 | 21.1 | 20.9 | alternative |
Disclaimer/Publisher’s Note: The statements, opinions and data contained in all publications are solely those of the individual author(s) and contributor(s) and not of MDPI and/or the editor(s). MDPI and/or the editor(s) disclaim responsibility for any injury to people or property resulting from any ideas, methods, instructions or products referred to in the content. |
© 2025 by the authors. Licensee MDPI, Basel, Switzerland. This article is an open access article distributed under the terms and conditions of the Creative Commons Attribution (CC BY) license (https://creativecommons.org/licenses/by/4.0/).
Share and Cite
Ornelas-Eusebio, E.; Vorimore, F.; Aaziz, R.; Mandola, M.-L.; Rizzo, F.; Marchino, M.; Nogarol, C.; Risco-Castillo, V.; Zanella, G.; Schnee, C.; et al. Trichosporon asahii: A Potential Growth Promoter for C. gallinacea? Implications for Chlamydial Infections and Cell Culture. Microorganisms 2025, 13, 288. https://doi.org/10.3390/microorganisms13020288
Ornelas-Eusebio E, Vorimore F, Aaziz R, Mandola M-L, Rizzo F, Marchino M, Nogarol C, Risco-Castillo V, Zanella G, Schnee C, et al. Trichosporon asahii: A Potential Growth Promoter for C. gallinacea? Implications for Chlamydial Infections and Cell Culture. Microorganisms. 2025; 13(2):288. https://doi.org/10.3390/microorganisms13020288
Chicago/Turabian StyleOrnelas-Eusebio, Erika, Fabien Vorimore, Rachid Aaziz, Maria-Lucia Mandola, Francesca Rizzo, Monica Marchino, Chiara Nogarol, Veronica Risco-Castillo, Gina Zanella, Christiane Schnee, and et al. 2025. "Trichosporon asahii: A Potential Growth Promoter for C. gallinacea? Implications for Chlamydial Infections and Cell Culture" Microorganisms 13, no. 2: 288. https://doi.org/10.3390/microorganisms13020288
APA StyleOrnelas-Eusebio, E., Vorimore, F., Aaziz, R., Mandola, M.-L., Rizzo, F., Marchino, M., Nogarol, C., Risco-Castillo, V., Zanella, G., Schnee, C., Sachse, K., & Laroucau, K. (2025). Trichosporon asahii: A Potential Growth Promoter for C. gallinacea? Implications for Chlamydial Infections and Cell Culture. Microorganisms, 13(2), 288. https://doi.org/10.3390/microorganisms13020288

