The Study on Corrosion Resistance of Ti-6Al-4V ELI Alloy with Varying Surface Roughness in Hydrofluoric Acid Solution
Abstract
1. Introduction
2. Materials and Methods
2.1. Corrosion Experiment
2.2. Characterization
3. Results and Discussion
3.1. Weight Loss of Ti-6Al-4V ELI Alloy Subjected to Hydrofluoric Acid Corrosion
3.2. Surface Roughness of Ti-6Al-4V ELI Alloy before and after Corrosion
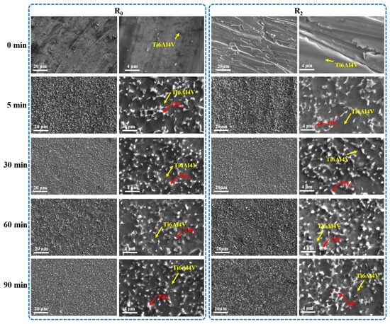
3.3. Microstructure of Ti-6Al-4V ELI Alloy before and after Corrosion
3.4. Recession Behavior of Mechanical Properties after HF Solution Corrosion
4. Conclusions
- The weight loss and weight loss percentage of the Ti-6Al-4V ELI alloy increased with longer corrosion times, while the weight loss rate decreased. Compared with the weight loss and weight loss percentage, the influence of the surface roughness on the weight loss rate was greater. The weight loss, weight loss percentage, and weight loss rate varied significantly with corrosion progression, while their sensitivity to the influence of surface roughness was limited.
- HF solution corrosion imposed a limitation on the surface roughness at approximately 0.2 μm. Furthermore, it not only affected the surface roughness but also induced alterations in the surface morphology, transitioning from the strip groove pattern to a columnar peak and valley morphology instead.
- The microstructure of the specimen surface exhibited two distinct phases: the black regions and white phases after corrosion. We believed that the HF solution reacted with the Ti-6Al-4V ELI alloy, leading to the formation of TiF3 phases. The accumulation of TiF3 phases and the depletion of the Ti-6Al-4V ELI matrix collaboratively altered the surface roughness. The continuous corrosion occurring in hydrofluoric acid solution was mainly caused by the titanium alloy’s inability to prevent fluoride ions from coming into contact with it.
- As the corrosion time increased, the surface of the Ti-6Al-4V ELI alloy was continuously consumed by hydrofluoric acid, leading to a gradual reduction in the bearing area. Hence, the bearing capacity of the Ti-6Al-4V ELI alloy specimen deteriorated over time.
Author Contributions
Funding
Data Availability Statement
Conflicts of Interest
References
- Zhao, Q.; Sun, Q.; Xin, S.; Chen, Y.; Wu, C.; Wang, H.; Xu, J.; Wan, M.; Zeng, W.; Zhao, Y. High-strength titanium alloys for aerospace engineering applications: A review on melting-forging process. Mater. Sci. Eng. A 2022, 845, 143260. [Google Scholar] [CrossRef]
- Gurrappa, I.; Reddy, D.V. Characterisation of titanium alloy, IMI-834 for corrosion resistance under different environmental conditions. J. Alloys Compd. 2005, 390, 270–274. [Google Scholar] [CrossRef]
- Deng, T.; Zhong, X.; Zhong, M.; Lai, Y.; Zhu, Z.; Zhang, L.; Ojo, O.A. Effect of scandium on microstructure and corrosion resistance of Ti64 alloy in NaCl solution. Mater. Charact. 2023, 197, 112671. [Google Scholar] [CrossRef]
- Hong, C.L.X.P. Investigation of Corrosion Processing for Ti-6Al-4V in Hydrofluoric-Nitric Acid System. In Proceedings of the ASME 2011 International Manufacturing Science and Engineering Conference, Corvallis, OR, USA, 13–17 June 2011. [Google Scholar]
- Fu, Y.; Xu, Y.; Wang, Y.; Bai, Y.; Hao, H.; Zhu, X. Microstructures and mechanical properties of (TiBw+Ti5Si3)/TC11 composites fabricated by hot isostatic pressing and subjected to 2D forging. J. Alloys Compd. 2023, 966, 171523. [Google Scholar] [CrossRef]
- Zheng, X.; Xu, C.; Cai, Y.; Zhang, B. Effect of Plastic Deformation and Acidic Solution on the Corrosion Behavior of Ti-6Al-4V ELI Titanium Alloy. Metals 2023, 13, 1740. [Google Scholar] [CrossRef]
- Semenova, I.; Polyakov, A.; Gareev, A.; Makarov, V.; Kazakov, I.; Pesin, M. Machinability Features of Ti-6Al-4V Alloy with Ultrafine-Grained Structure. Metals 2023, 13, 1721. [Google Scholar] [CrossRef]
- Hsu, C.; Lin, C.; Chen, J. Wear and Corrosion Performance of Ti-6Al-4V Alloy Arc-Coated TiN/CrN Nano-Multilayer Film. Metals 2023, 13, 907. [Google Scholar] [CrossRef]
- Harun, S.; Burhanuddin, Y.; Ibrahim, G.A. The Effect of Cutting Parameters on Surface Roughness and Morphology of Ti-6Al-4V ELI Titanium Alloy during Turning with Actively Driven Rotary Tools. J. Manuf. Mater. Process. 2022, 6, 105. [Google Scholar] [CrossRef]
- Lopez-Heredia, M.A.; Sohier, J.; Gaillard, C.; Quillard, S.; Dorget, M.; Layrolle, P. Rapid prototyped porous titanium coated with calcium phosphate as a scaffold for bone tissue engineering. Biomaterials 2008, 29, 2608–2615. [Google Scholar] [CrossRef] [PubMed]
- Polley, C.; Radlof, W.; Hauschulz, F.; Benz, C.; Sander, M.; Seitz, H. Morphological and mechanical characterisation of three-dimensional gyroid structures fabricated by electron beam melting for the use as a porous biomaterial. J. Mech. Behav. Biomed. Mater. 2022, 125, 104882. [Google Scholar] [CrossRef]
- Suresh, S.; Sun, C.; Tekumalla, S.; Rosa, V.; Nai, S.M.L.; Wong, R.C.W. Mechanical properties and in vitro cytocompatibility of dense and porous Ti–6Al–4V ELI manufactured by selective laser melting technology for biomedical applications. J. Mech. Behav. Biomed. Mater. 2021, 123, 104712. [Google Scholar] [CrossRef]
- Hameed, P.; Liu, C.; Ummethala, R.; Singh, N.; Huang, H.; Manivasagam, G.; Prashanth, K.G. Biomorphic porous Ti6Al4V gyroid scaffolds for bone implant applications fabricated by selective laser melting. Prog. Addit. Manuf. 2021, 6, 455–469. [Google Scholar] [CrossRef]
- Santos, P.B.; de Castro, V.V.; Baldin, E.K.; Aguzzoli, C.; Longhitano, G.A.; Jardini, A.L.; Lopes, É.S.N.; de Andrade, A.M.H.; de Fraga Malfatti, C. Wear Resistance of Plasma Electrolytic Oxidation Coatings on Ti-6Al-4V Eli Alloy Processed by Additive Manufacturing. Metals 2022, 12, 1070. [Google Scholar] [CrossRef]
- Shao, S.A.; Xi, H.Z.; Chang, Y.P. Study on the Salt Spray Corrosion and Erosion Behavior of TC4 Titanium Alloy. Adv. Mater. Res. 2011, 233–235, 2409–2412. [Google Scholar] [CrossRef]
- Singh, G.; Sharma, N.; Kumar, D.; Hegab, H. Design, development and tribological characterization of Ti–6Al–4V/hydroxyapatite composite for bio-implant applications. Mater. Chem. Phys. 2020, 243, 122662. [Google Scholar] [CrossRef]
- Guo, W.Y.; Sun, J.; Wu, J.S. Electrochemical and XPS studies of corrosion behavior of Ti–23Nb–0.7Ta–2Zr–O alloy in Ringer’s solution. Mater. Chem. Phys. 2009, 113, 816–820. [Google Scholar] [CrossRef]
- Lamolle, S.F.; Monjo, M.; Rubert, M.; Haugen, H.J.; Lyngstadaas, S.P.; Ellingsen, J.E. The effect of hydrofluoric acid treatment of titanium surface on nanostructural and chemical changes and the growth of MC3T3-E1 cells. Biomaterials 2009, 30, 736–742. [Google Scholar] [CrossRef] [PubMed]
- Pyka, G.; Burakowski, A.; Kerckhofs, G.; Moesen, M.; Van Bael, S.; Schrooten, J.; Wevers, M. Surface Modification of Ti6Al4V Open Porous Structures Produced by Additive Manufacturing. Adv. Eng. Mater. 2012, 14, 363–370. [Google Scholar] [CrossRef]
- Lim, P.Y.; She, P.L.; Shih, H.C. Microstructure effect on microtopography of chemically etched α + β Ti alloys. Appl. Surf. Sci. 2006, 253, 449–458. [Google Scholar] [CrossRef]
- Costa, A.I.; Sousa, L.; Alves, A.C.; Toptan, F. Tribocorrosion behaviour of bio-functionalized porous Ti surfaces obtained by two-step anodic treatment. Corros. Sci. 2020, 166, 108467. [Google Scholar] [CrossRef]
- Atapour, M.; Pilchak, A.L.; Shamanian, M.; Fathi, M.H. Corrosion behavior of Ti–8Al–1Mo–1V alloy compared to Ti–6Al–4V. Mater. Des. 2011, 32, 1692–1696. [Google Scholar] [CrossRef]
- Park, J.; Kim, Y.; Jang, J.; Kwon, T.; Bae, Y.; Suh, J. Effects of phosphoric acid treatment of titanium surfaces on surface properties, osteoblast response and removal of torque forces. Acta Biomater. 2010, 6, 1661–1670. [Google Scholar] [CrossRef] [PubMed]
- Keller, J.C.; Schneider, G.B.; Stanford, C.M.; Kellogg, B. Effects of Implant Microtopography on Osteoblast Cell Attachment. Implant Dent. 2003, 12, 175–181. [Google Scholar] [CrossRef]
- Lee, J.; Lee, M.; Yeon, S.M.; Yoon, J.; Lee, H.; Jun, T. Unravelling anisotropic deformation behaviour of Ti-6Al-4V ELI fabricated by powder bed fusion additive manufacturing. Mater. Charact. 2023, 202, 113017. [Google Scholar] [CrossRef]
- Zahran, R.; Rosales Leal, J.I.; Rodríguez Valverde, M.A.; Cabrerizo Vílchez, M.A. Effect of Hydrofluoric Acid Etching Time on Titanium Topography, Chemistry, Wettability, and Cell Adhesion. PLoS ONE 2016, 11, e0165296. [Google Scholar] [CrossRef]
- Wang, D.; He, G.; Tian, Y.; Ren, N.; Liu, W.; Zhang, X. Dual effects of acid etching on cell responses and mechanical properties of porous titanium with controllable open-porous structure. J. Biomed. Mater. Res. Part B Appl. Biomater. 2020, 108, 2386–2395. [Google Scholar] [CrossRef]
- Pham, M.H.; Landin, M.A.; Tiainen, H.; Reseland, J.E.; Ellingsen, J.E.; Haugen, H.J. The effect of hydrofluoric acid treatment of titanium and titanium dioxide surface on primary human osteoblasts. Clin. Oral Implant. Res. 2014, 25, 385–394. [Google Scholar] [CrossRef]
- Pham, M.H.; Haugen, H.J.; Rinna, A.; Ellingsen, J.E.; Reseland, J.E. Hydrofluoric acid treatment of titanium surfaces enhances the proliferation of human gingival fibroblasts. J. Tissue Eng. 2019, 10, 204173141982895. [Google Scholar] [CrossRef]
- Monetta, T.; Bellucci, F. The effect of sand-blasting and hydrofluoric acid etching on Ti CP2 and Ti CP4 surface topography. Open J. Regen. Med. 2012, 1, 41–50. [Google Scholar] [CrossRef]
- Alla, R.K.; Ginjupalli, K.; Upadhya, N.; Shammas, M.; Ravi, R.K.; Sekhar, R. Surface roughness of implants: A review. Trends Biomater. Artif. Organs 2011, 25, 112. [Google Scholar]
- Sefer, B.; Dobryden, I.; Almqvist, N.; Pederson, R.; Antti, M. Chemical Milling of Cast Ti-6Al-4V and Ti-6Al-2Sn-4Zr-2Mo Alloys in Hydrofluoric-Nitric Acid Solutions. Corrosion 2017, 73, 394–407. [Google Scholar] [CrossRef]
- Bezuidenhout, M.; Haar, G.T.; Becker, T.; Rudolph, S.; Damm, O.; Sacks, N. The effect of HF-HNO3 chemical polishing on the surface roughness and fatigue life of laser powder bed fusion produced Ti6Al4V. Mater. Today Commun. 2020, 25, 101396. [Google Scholar] [CrossRef]










| Element | Ti | Al | V | Fe | C | N | O | Other |
|---|---|---|---|---|---|---|---|---|
| wt.% | Bal. | 6.15 | 4.28 | 0.20 | 0.009 | 0.010 | 0.112 | <0.30 |
| Number | Surface Label | Surface State | Etching Time/min |
|---|---|---|---|
| 1 | R0 | Raw machined surface | 0 |
| 2 | R0 | Raw machined surface | 5 |
| 3 | R0 | Raw machined surface | 30 |
| 4 | R0 | Raw machined surface | 60 |
| 5 | R0 | Raw machined surface | 90 |
| 6 | R1 | 400# ground | 0 |
| 7 | R1 | 400# ground | 5 |
| 8 | R1 | 400# ground | 30 |
| 9 | R1 | 400# ground | 60 |
| 10 | R1 | 400# ground | 90 |
| 11 | R2 | 240# ground | 0 |
| 12 | R2 | 240# ground | 5 |
| 13 | R2 | 240# ground | 30 |
| 14 | R2 | 240# ground | 60 |
| 15 | R2 | 240# ground | 90 |
| Time | R0 | R1 | R2 | ||||
|---|---|---|---|---|---|---|---|
| Ave. | Std. | Ave. | Std. | Ave. | Std. | ||
| W | 5 | 0.00517 | 0.00010 | 0.00529 | 0.00010 | 0.00532 | 0.00005 |
| 30 | 0.02722 | 0.00050 | 0.02749 | 0.00055 | 0.02754 | 0.00016 | |
| 60 | 0.05192 | 0.00145 | 0.05061 | 0.00079 | 0.04990 | 0.00087 | |
| 90 | 0.07363 | 0.00045 | 0.07198 | 0.00136 | 0.07161 | 0.00106 | |
| P | 5 | 3.11366 | 0.06365 | 3.33350 | 0.03117 | 3.25631 | 0.04789 |
| 30 | 16.42258 | 0.29857 | 16.69526 | 0.35188 | 16.77791 | 0.07577 | |
| 60 | 31.30024 | 0.83020 | 30.76174 | 0.51683 | 30.47066 | 0.41385 | |
| 90 | 44.35515 | 0.20741 | 43.59825 | 0.76163 | 43.58085 | 0.67050 | |
| C | 5 | 0.001030 | 0.000021 | 0.001060 | 0.000020 | 0.001060 | 0.000010 |
| 30 | 0.000907 | 0.000017 | 0.000916 | 0.000018 | 0.000918 | 0.000005 | |
| 60 | 0.000865 | 0.000024 | 0.000844 | 0.000013 | 0.000832 | 0.000015 | |
| 90 | 0.000818 | 0.000005 | 0.000800 | 0.000015 | 0.000796 | 0.000012 | |
| Surface Label | Initial State | Final State | Variation | |
|---|---|---|---|---|
| Sa | R0 | 0.209 | 0.490 | 0.281 |
| R1 | 0.582 | 0.307 | −0.275 | |
| R2 | 0.728 | 0.262 | −0.466 | |
| Sq | R0 | 0.269 | 0.641 | 0.372 |
| R1 | 0.764 | 0.409 | −0.355 | |
| R2 | 0.933 | 0.338 | −0.595 |
| Time | D | S | Fmax | σc |
|---|---|---|---|---|
| 0 | 6.233 | 30.50 | 60.74 | 1993.61 |
| 5 | 6.207 | 30.24 | 57.80 | 1909.26 |
| 30 | 6.080 | 29.02 | 56.51 | 1976.48 |
| 60 | 5.903 | 27.35 | 51.30 | 1930.71 |
| 90 | 5.753 | 25.98 | 50.21 | 1934.46 |
Disclaimer/Publisher’s Note: The statements, opinions and data contained in all publications are solely those of the individual author(s) and contributor(s) and not of MDPI and/or the editor(s). MDPI and/or the editor(s) disclaim responsibility for any injury to people or property resulting from any ideas, methods, instructions or products referred to in the content. |
© 2024 by the authors. Licensee MDPI, Basel, Switzerland. This article is an open access article distributed under the terms and conditions of the Creative Commons Attribution (CC BY) license (https://creativecommons.org/licenses/by/4.0/).
Share and Cite
Wang, H.; Cheng, Q.; Chang, Z.; Wang, K.; Gao, X.; Fan, X. The Study on Corrosion Resistance of Ti-6Al-4V ELI Alloy with Varying Surface Roughness in Hydrofluoric Acid Solution. Metals 2024, 14, 364. https://doi.org/10.3390/met14030364
Wang H, Cheng Q, Chang Z, Wang K, Gao X, Fan X. The Study on Corrosion Resistance of Ti-6Al-4V ELI Alloy with Varying Surface Roughness in Hydrofluoric Acid Solution. Metals. 2024; 14(3):364. https://doi.org/10.3390/met14030364
Chicago/Turabian StyleWang, Han, Quanshi Cheng, Zhuo Chang, Kedi Wang, Xuemin Gao, and Xueling Fan. 2024. "The Study on Corrosion Resistance of Ti-6Al-4V ELI Alloy with Varying Surface Roughness in Hydrofluoric Acid Solution" Metals 14, no. 3: 364. https://doi.org/10.3390/met14030364
APA StyleWang, H., Cheng, Q., Chang, Z., Wang, K., Gao, X., & Fan, X. (2024). The Study on Corrosion Resistance of Ti-6Al-4V ELI Alloy with Varying Surface Roughness in Hydrofluoric Acid Solution. Metals, 14(3), 364. https://doi.org/10.3390/met14030364

