Thermal Cycling Tribological Behavior and Its Evolution of hBN-Reinforced Ni/WC/CeO2 Cladding Layers from 25 to 600 °C
Abstract
1. Introduction
2. Experimental Procedures
2.1. Materials Preparation
| Sample | Components (wt%) | |||
|---|---|---|---|---|
| Ni-Based Alloy | WC | CeO2 | hBN | |
| NWB25 | 69.25 | 30 | 0.5 | 0.25 |
| NWB75 | 68.75 | 30 | 0.5 | 0.75 |
2.2. Mechanical Test
2.3. Thermal Cycling Friction Test
2.4. Microstructural Characterization
3. Result and Discussion
3.1. Morphology of h-BN Nanosheets
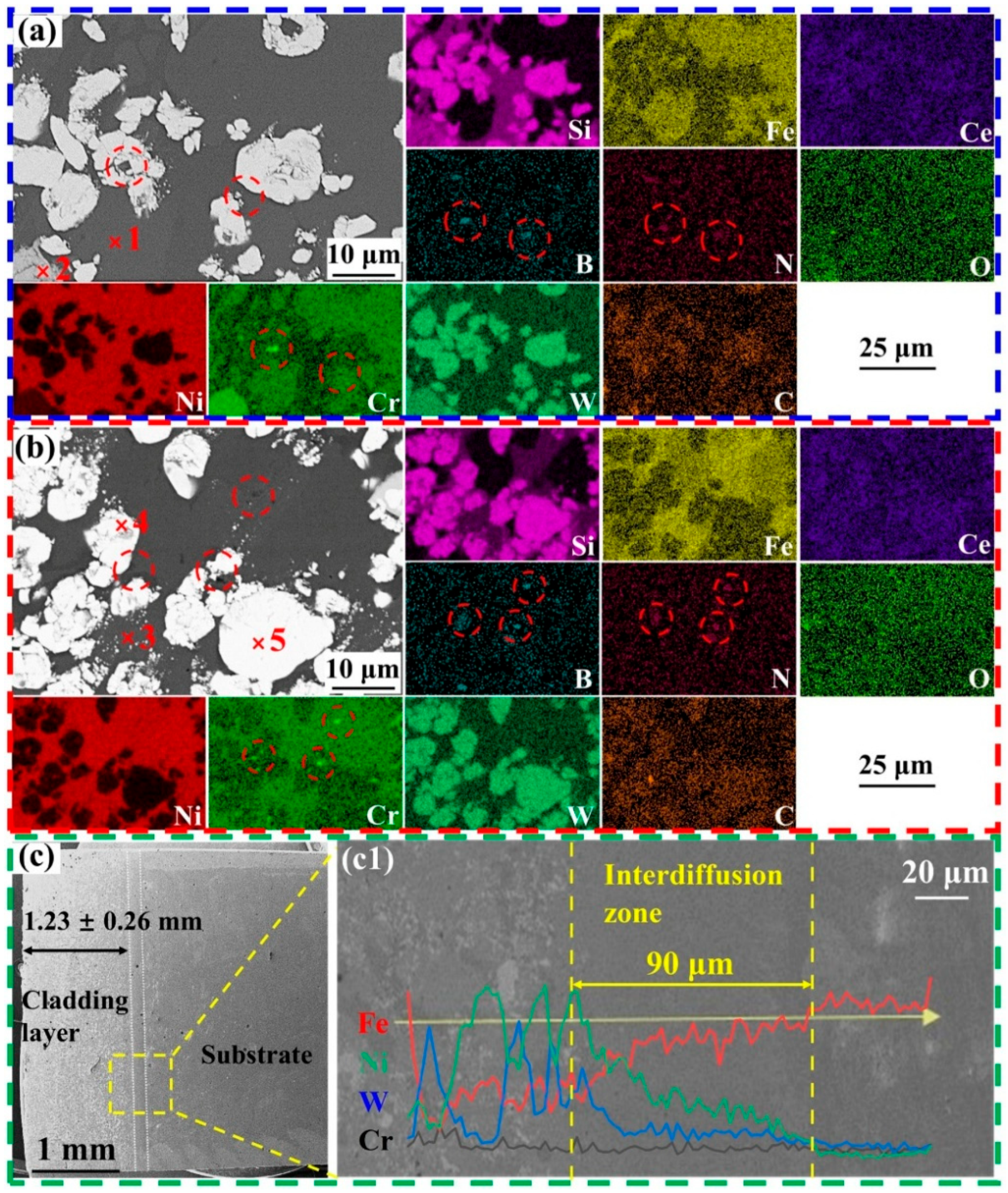
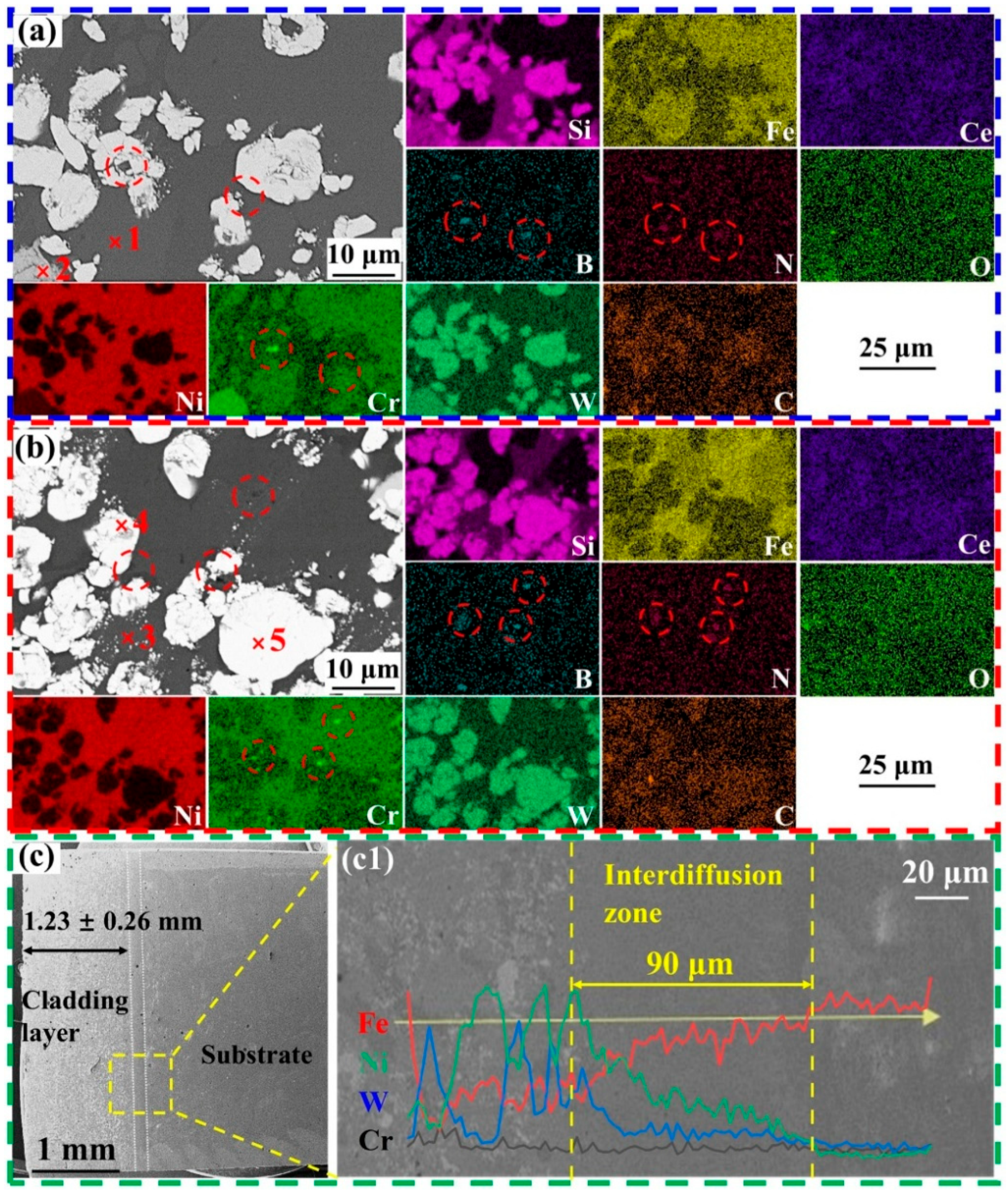
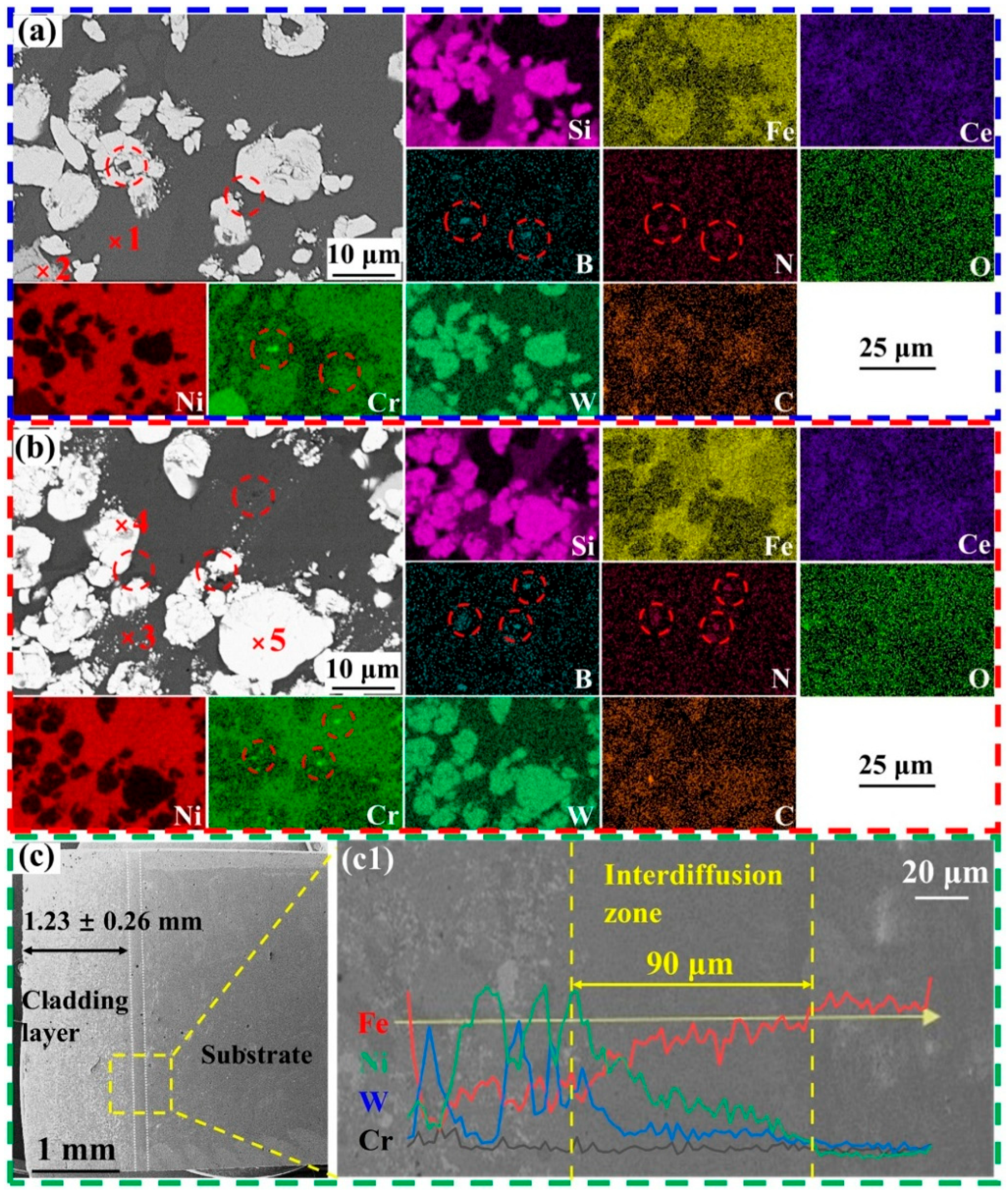
3.2. Phase Composition and Micromorphology
3.3. Microhardness and Nanoindentation
3.4. Thermal Cycling Tribological Performance Analysis
3.4.1. Friction and Wear Behaviors of Cladding Layers
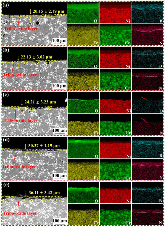
3.4.2. Wear Mechanism Analysis
3.5. Discussion
4. Conclusions
- (1)
- The in situ formed Cr2B strengthening phase and hBN lubricating phase were identified in the hBN-Ni/WC/CeO2 cladding layer. They exhibit a mechanism of synergistic hardening and lubrication: the Cr2B phase enhances the resistance to plastic deformation, while the hBN phase reduces the friction coefficient via interlamellar shear.
- (2)
- NWB25 (0.25 wt% hBN) exhibits the optimal structural integrity, possessing the smallest average grain size (28.14 nm) and the lowest porosity (0.1813%) among all samples. The microhardness reaches 980.5 HV0.2, and nanoindentation results show the highest H/E (0.0405) and H3/E2 (0.0184) ratios, indicating that the low hBN content significantly enhances the resistance to plastic deformation and fracture toughness by suppressing grain coarsening and pore formation.
- (3)
- At the 600 °C-1 stage, the nickel-based matrix underwent significant thermal softening, which led to the encapsulation of hBN particles. This encapsulation physically hindered the formation of a continuous and effective lubricating film at the friction interface. In contrast, the homogeneous enrichment of B and N elements on the wear surface observed in other thermal cycling stages indicates that hBN maintained good spreading behavior and effective lubricating film-forming capability during those stages.
- (4)
- The stage from 600 °C-1 to 300 °C-2 represents a turning point in the wear mechanism: the wear track width of NWB25 increases sharply by 34.2%, and the wear volume increases significantly, indicating a transition from mild abrasive wear to severe spalling. Raman spectroscopy and cross-sectional EDS analysis reveal that the tribo-oxidation layer contains NiO, NiFe2O4, Fe3O4, Cr2O3, WO3, and hBN. The enrichment of B and N elements confirms the dynamic evolution of the high-temperature lubricating film.
Author Contributions
Funding
Data Availability Statement
Conflicts of Interest
References
- Zhou, S.; Huang, Y.; Zeng, X.; Hu, Q. Microstructure characteristics of Ni-based WC composite coatings by laser induction hybrid rapid cladding. Mater. Sci. Eng. A 2008, 480, 564–572. [Google Scholar] [CrossRef]
- Liu, Y.; Li, Z.; Li, G.; Du, F.; Yu, M. Microstructure and Wear Resistance of Ni–WC–TiC Alloy Coating Fabricated by Laser. Lubricants 2023, 11, 170. [Google Scholar] [CrossRef]
- Zhou, S.; Lei, J.; Dai, X.; Guo, J.; Gu, Z.; Pan, H. A comparative study of the structure and wear resistance of NiCrBSi/50 wt.% WC composite coatings by laser cladding and laser induction hybrid cladding. Int. J. Refract. Met. Hard Mater. 2016, 60, 17–27. [Google Scholar] [CrossRef]
- Hou, Y.; Chen, H.; Cheng, Q.; Fan, L.; Dong, L. Effects of Y2O3 on the microstructure and wear resistance of WC/Ni composite coatings fabricated by plasma transferred arc. Mater. Express 2020, 10, 634–639. [Google Scholar] [CrossRef]
- Shu, D.; Cui, X.; Li, Z.; Sun, J.; Wang, J.; Chen, X.; Dai, S.; Si, W. Effect of the Rare Earth Oxide CeO2 on the Microstructure and Properties of the Nano-WC-Reinforced Ni-Based Composite Coating. Metals 2020, 10, 383. [Google Scholar] [CrossRef]
- Cheng, J.; Zhen, J.; Zhu, S.; Yang, J.; Ma, J.; Li, W.; Liu, W. Friction and wear behavior of Ni-based solid-lubricating composites at high temperature in a vacuum environment. Mater. Des. 2017, 122, 405–413. [Google Scholar] [CrossRef]
- Xu, Z.; Li, D.; Lu, Z.; Lv, X.; Liu, Y.; Liu, J.; He, C. Study on the fretting wear behavior over a wide temperature range of an Inconel 718 superalloy deposited by laser cladding. Eng. Fail. Anal. 2023, 143, 106864. [Google Scholar] [CrossRef]
- Han, M.; Zhang, J.; Dong, P.; Du, K.; Zheng, Z.; Zhang, C.; Xu, B. Tribological properties and wear mechanism of Ni@Gr reinforced Ni-based alloy coatings prepared via laser cladding. J. Mater. Res. Technol. 2024, 31, 799–809. [Google Scholar] [CrossRef]
- Qu, C.; He, B.; Cheng, X.; Wang, H. Microstructure and wear characteristics of laser-clad Ni-based self-lubricating coating incorporating MoS2/Ag for use in high temperature. J. Mater. Res. Technol. 2024, 33, 4481–4492. [Google Scholar] [CrossRef]
- Zeng, Q. Influence of CePO4 on high temperature anti-friction and anti-wear behaviors of nickel-based h-BN composite coatings. Diam. Relat. Mater. 2024, 148, 111421. [Google Scholar] [CrossRef]
- Qin, Y.; Xiong, D.; Li, J.; Jin, Q.; He, Y.; Zhang, R.; Zou, Y. Adaptive-lubricating PEO/Ag/MoS2 multilayered coatings for Ti6Al4V alloy at elevated temperature. Mater. Des. 2016, 107, 311–321. [Google Scholar] [CrossRef]
- Shang, X.; Liang, Y.; Chen, P.; Zhang, H.; Yang, S.; Ran, X. The effect of Ag content modulation and frictional heat on the fretting wear resistance of Fe2O3-Ag composite coatings. Wear 2025, 572–573, 206039. [Google Scholar] [CrossRef]
- Piasecki, A.; Kotkowiak, M.; Tisov, O.; Gapiński, B.; Jakubowicz, M.; Sobkowiak, J.; Tuliński, M.; Legutko, S. The Wear Resistance of NiCrSiB-20%CaF2 Sinters in the Temperature Range 23–600 °C. Materials 2025, 18, 1405. [Google Scholar] [CrossRef]
- Wang, J.; Hong, D.; Zhong, X.; Huang, L.; Niu, Y.; Li, H.; Zheng, X.; Sun, J. Wear behavior of novel abradable porous Yb2Si2O7-CaF2-PHB coatings fabricated by atmospheric plasma spraying. J. Alloys Compd. 2024, 978, 173386. [Google Scholar] [CrossRef]
- Kong, L.; Huang, K.; Cao, X.; Lu, Z.; Zhang, G.A.; Hu, H. Effect of MoS2 content on friction and wear properties of Mo and S co-doped CrN coatings at 25–600 °C. Ceram. Int. 2021, 47, 21450–21458. [Google Scholar] [CrossRef]
- Xiao, M.; Nai, S.; Nan, S.; Feng, C.; Guan, Z.; Huo, C.; Zhang, F.; Qiu, Z. In situ formation of spherical MoS2 particles on high-entropy alloy coating for low friction. Mater. Chem. Phys. 2023, 302, 127761. [Google Scholar] [CrossRef]
- Wang, C.; Yan, X.; Zhang, T.; Zhang, Q.; Zhang, Z. Microstructure and Tribological Properties of WC/Ni-MoS2 Titanium-Based Composite Coating on TC4. Coatings 2024, 14, 1157. [Google Scholar] [CrossRef]
- Sun, J.; Liu, C.; Venturi, F.; Romero, A.R.; Hussain, T. Dry sliding wear behaviour of suspension HVOF thermal sprayed Al2O3-MoS2 and Al2O3-BN nanotube coatings. J. Alloys Compd. 2023, 966, 171582. [Google Scholar] [CrossRef]
- Wang, Y.; Zain, A.M.; Abdullaev, S.; Kumar, T.S.; Liu, X.; Mehrez, S.; Paidar, M. Effect of tool design on synergistic improvement of tribological and mechanical properties of AA5083/CeO2 + hBN hybrid surface composites fabricated via friction stir processing (FSP). J. Manuf. Process. 2025, 153, 748–756. [Google Scholar] [CrossRef]
- Zhang, X.; Paidar, M.; Vignesh, R.V.; Khalaj, G.; Alamri, S.; Abdullaeva, B.S. An investigation on application of multi-pass friction stir processing for improving mechanical and tribological characteristics in AA5754/hBN/ZrO2 hybrid surface composite. Mater. Today Commun. 2025, 42, 111555. [Google Scholar] [CrossRef]
- Gautam, R.K.S.; Tyagi, R.; Singh, S.; Ali, S.; Kumar, S.; Nautiyal, H. Evaluation of tribological characteristics for HVOF deposited Ni based self-lubricating coatings with different h-BN composition. Surf. Coat. Technol. 2023, 464, 129549. [Google Scholar] [CrossRef]
- Honglin, M.; Zhihai, C.; Guozheng, M.; Li, Z.; Xianyong, Z.; Ming, L.; Haidou, W.; Fengkuan, X.; Xinyang, W. Effects of modification of hBN by nickel plating on coating structure and properties of supersonic plasma spraying NiCr-Cr3C2-hBN@Ni coatings. Ceram. Int. 2023, 49, 31802–31814. [Google Scholar] [CrossRef]
- Mahto, N.K.; Shafali, K.; Tyagi, R.; Sharma, O.P.; Khatri, O.P.; Sinha, S.K. Friction and wear of Ni3Al-based composites containing Ag and Cu modified hBN at elevated temperatures. Wear 2023, 530–531, 205065. [Google Scholar] [CrossRef]
- Singh, A.K.; Atheaya, D.; Tyagi, R.; Ranjan, V. Friction and wear behavior of atmospheric plasma sprayed NiMoAl-Ag-hBN coatings at elevated temperatures. Surf. Coat. Technol. 2023, 466, 129650. [Google Scholar] [CrossRef]
- Zhen, J.; Han, Y.; Cheng, J.; Chen, W.; Yang, J.; Jia, Z.; Zhang, R. Enhancing the wide temperature dry sliding tribological performance of nickle-alloy by adding MoS2/CaF2. Tribol. Int. 2022, 165, 107254. [Google Scholar] [CrossRef]
- Zhao, Y.; Feng, K.; Yao, C.; Nie, P.; Huang, J.; Li, Z. Microstructure and tribological properties of laser cladded self-lubricating nickel-base composite coatings containing nano-Cu and h-BN solid lubricants. Surf. Coat. Technol. 2019, 359, 485–494. [Google Scholar] [CrossRef]
- Lu, X.-L.; Liu, X.-B.; Yu, P.-C.; Zhai, Y.-J.; Qiao, S.-J.; Wang, M.-D.; Wang, Y.-G.; Chen, Y. Effects of heat treatment on microstructure and mechanical properties of Ni60/h-BN self-lubricating anti-wear composite coatings on 304 stainless steel by laser cladding. Appl. Surf. Sci. 2015, 355, 350–358. [Google Scholar] [CrossRef]
- Sun, H.; Wan, S.; Yi, G.; Yang, J.; Bai, L.; Shi, P.; Cheng, J. Friction and wear behaviors of NiAl–Bi2O3–Ag–Cr2O3 composite coating in the thermal cycle of RT-800 °C. Tribol. Int. 2021, 159, 106957. [Google Scholar] [CrossRef]
- Li, O.; Yang, G.; Song, W.; Ma, Y. Effect of Fluorinated Graphite (FG) Addition on Friction Performance of FG-Ni/WC/CeO2 Cladding Layers over a Wide Temperature Range. Materials 2025, 18, 3983. [Google Scholar] [CrossRef] [PubMed]
- Naclerio, A.E.; Kidambi, P.R. A Review of Scalable Hexagonal Boron Nitride (h-BN) Synthesis for Present and Future Applications. Adv. Mater. 2022, 35, e2207374. [Google Scholar] [CrossRef] [PubMed]
- Li, O.; Yang, G.; Song, W.; Ma, Y. Surface Friction and Interfacial Wear Mechanisms in CeO2-Ni/WC Cladding Layers on 45 Steel. Coatings 2025, 15, 1037. [Google Scholar] [CrossRef]
- Guo, J.; Xie, W.; Pu, J. Tribocorrosion behaviors and mechanisms of in-situ TiC/TiB/Cr2B reinforced CrMnFeCoNi high-entropy alloy composite coatings prepared by laser cladding. Ceram. Int. 2025, 51, 26742–26756. [Google Scholar] [CrossRef]
- Hou, J.; Qian, B.; Zhu, Z.; Zou, S.; Li, G.; Zhu, Q.; Lu, W. A mechanical strong yet ductile CoCrNi/Cr2B composite enabled by in-situ formed borides during laser powder bed fusion. Compos. Part B Eng. 2024, 278, 111428. [Google Scholar] [CrossRef]
- Ma, W.; Zhao, Y.; Łępicka, M.; Tisov, O. Enhanced microstructure; mechanical, and tribological properties of Al, Ti, and nano-hBN-modified CoCrFeMnNi high-entropy alloy composites at elevated temperatures. Wear 2025, 572–573, 206055. [Google Scholar] [CrossRef]














| Element | Ni | Mn | S | P | C | B | Cu | Si | Cr | Fe |
|---|---|---|---|---|---|---|---|---|---|---|
| 45 steel | ≤0.30 | 0.6~0.8 | ≤0.035 | ≤0.035 | 0.42~0.5 | / | ≤0.25 | 0.17~0.37 | ≤0.25 | Bal. |
| Ni-based alloy | Bal. | / | / | / | 0.7~1.1 | 3.0~4.0 | / | 3.5~5.0 | 15.0~17.0 | ≤5.0 |
| Point | B | C | N | Si | Cr | Fe | Ni | Ce | W |
|---|---|---|---|---|---|---|---|---|---|
| 1 | 41.52 | 14.69 | 1.08 | 4.12 | 1.79 | 2.20 | 34.43 | 0.00 | 0.17 |
| 2 | 35.46 | 20.91 | 0.00 | 0.41 | 11.38 | 1.18 | 14.34 | 0.07 | 16.25 |
| 3 | 32.31 | 19.55 | 0.54 | 11.84 | 0.12 | 0.43 | 34.92 | 0.03 | 0.26 |
| 4 | 10.81 | 53.45 | 2.82 | 0.86 | 0.06 | 0.06 | 2.72 | 0.04 | 29.18 |
| 5 | 8.82 | 56.56 | 2.55 | 0.00 | 0.80 | 0.45 | 4.76 | 0.07 | 25.99 |
| Sample | H(GPa) | E(GPa) | H/E | H3/E2(GPa) |
|---|---|---|---|---|
| NWB25 | 11.2 ± 1.4 | 276.3 ± 5.5 | 0.0405 | 0.0184 |
| NWB75 | 12.1 ± 1.6 | 318.7 ± 7.2 | 0.0380 | 0.0174 |
| Micro-Area | B | C | N | O | Si | Cr | Fe | Ni | Ce | W |
|---|---|---|---|---|---|---|---|---|---|---|
| 1 | 24.28 | 30.11 | 0.86 | 30.25 | 1.61 | 1.91 | 0.56 | 10.25 | 0.00 | 0.17 |
| 2 | 16.70 | 16.73 | 1.53 | 39.26 | 1.37 | 3.58 | 0.97 | 16.96 | 0.06 | 2.84 |
| 3 | 16.18 | 13.76 | 0.43 | 44.24 | 1.18 | 4.28 | 1.10 | 15.90 | 0.10 | 2.83 |
| 4 | 16.56 | 9.75 | 0.32 | 44.61 | 2.09 | 5.43 | 1.26 | 17.58 | 0.10 | 2.30 |
| 5 | 19.56 | 9.22 | 1.58 | 52.62 | 6.15 | 1.91 | 0.57 | 7.12 | 0.06 | 1.21 |
Disclaimer/Publisher’s Note: The statements, opinions and data contained in all publications are solely those of the individual author(s) and contributor(s) and not of MDPI and/or the editor(s). MDPI and/or the editor(s) disclaim responsibility for any injury to people or property resulting from any ideas, methods, instructions or products referred to in the content. |
© 2025 by the authors. Licensee MDPI, Basel, Switzerland. This article is an open access article distributed under the terms and conditions of the Creative Commons Attribution (CC BY) license (https://creativecommons.org/licenses/by/4.0/).
Share and Cite
Li, O.; Yang, G.; Song, W.; Ma, Y. Thermal Cycling Tribological Behavior and Its Evolution of hBN-Reinforced Ni/WC/CeO2 Cladding Layers from 25 to 600 °C. Lubricants 2025, 13, 473. https://doi.org/10.3390/lubricants13110473
Li O, Yang G, Song W, Ma Y. Thermal Cycling Tribological Behavior and Its Evolution of hBN-Reinforced Ni/WC/CeO2 Cladding Layers from 25 to 600 °C. Lubricants. 2025; 13(11):473. https://doi.org/10.3390/lubricants13110473
Chicago/Turabian StyleLi, Ouyang, Guirong Yang, Wenming Song, and Ying Ma. 2025. "Thermal Cycling Tribological Behavior and Its Evolution of hBN-Reinforced Ni/WC/CeO2 Cladding Layers from 25 to 600 °C" Lubricants 13, no. 11: 473. https://doi.org/10.3390/lubricants13110473
APA StyleLi, O., Yang, G., Song, W., & Ma, Y. (2025). Thermal Cycling Tribological Behavior and Its Evolution of hBN-Reinforced Ni/WC/CeO2 Cladding Layers from 25 to 600 °C. Lubricants, 13(11), 473. https://doi.org/10.3390/lubricants13110473

