Effects of Artificial Reef Array Configuration on Turbulent Flow: PIV Experiment and Numerical Simulation
Abstract
1. Introduction
2. Methods
2.1. Experimental Setup
2.2. Numerical Model Setup
2.3. Model Validation
2.4. Test Conditions
3. Results and Discussion
3.1. Impact of AR Spacing on Flow Characteristics
3.1.1. Vertical Flow Fields
3.1.2. Vorticity and Turbulent Intensity
3.2. Impact of Dimensions of AR Array on Flow Characteristics
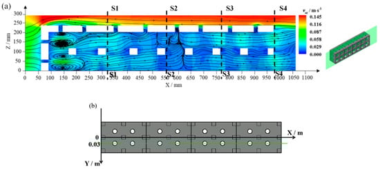
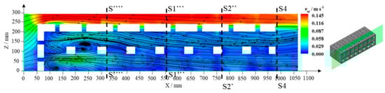
3.2.1. Effect of AR Array Length on Flow Characteristics
3.2.2. Effect of Reef Array Width on Flow
4. Conclusions
Author Contributions
Funding
Data Availability Statement
Conflicts of Interest
References
- Reis, B.; Van Der Linden, P.; Pinto, I.S.; Almada, E.; Borges, M.T.; Hall, A.E.; Stafford, R.; Herbert, R.J.H.; Lobo-Arteaga, J.; Gaudêncio, M.J.; et al. Artificial Reefs in the North–East Atlantic Area: Present Situation, Knowledge Gaps and Future Perspectives. Ocean Coast. Manag. 2021, 213, 105854. [Google Scholar] [CrossRef]
- Paxton, A.B.; Peterson, C.H.; Taylor, J.C.; Adler, A.M.; Pickering, E.A.; Silliman, B.R. Artificial Reefs Facilitate Tropical Fish at Their Range Edge. Commun. Biol. 2019, 2, 168. [Google Scholar] [CrossRef]
- Vivier, B.; Dauvin, J.-C.; Navon, M.; Rusig, A.-M.; Mussio, I.; Orvain, F.; Boutouil, M.; Claquin, P. Marine Artificial Reefs, a Meta-Analysis of Their Design, Objectives and Effectiveness. Glob. Ecol. Conserv. 2021, 27, e01538. [Google Scholar] [CrossRef]
- Komyakova, V.; Chamberlain, D.; Jones, G.P.; Swearer, S.E. Assessing the Performance of Artificial Reefs as Substitute Habitat for Temperate Reef Fishes: Implications for Reef Design and Placement. Sci. Total Environ. 2019, 668, 139–152. [Google Scholar] [CrossRef] [PubMed]
- Rogers, A.; Blanchard, J.L.; Mumby, P.J. Vulnerability of Coral Reef Fisheries to a Loss of Structural Complexity. Curr. Biol. 2014, 24, 1000–1005. [Google Scholar] [CrossRef]
- Black, K.P.; Reddy, K.S.K.; Kulkarni, K.B.; Naik, G.B.; Shreekantha, P.; Mathew, J. Salient Evolution and Coastal Protection Effectiveness of Two Large Artificial Reefs. J. Coast. Res. 2020, 36, 709–719. [Google Scholar] [CrossRef]
- Ng, K.; Thomas, T.; Phillips, M.R.; Calado, H.; Borges, P.; Veloso-Gomes, F. Multifunctional Artificial Reefs for Small Islands: An Evaluation of Amenity and Opportunity for Sao Miguel Island, the Azores. Prog. Phys. Geogr. 2015, 39, 220–257. [Google Scholar] [CrossRef]
- Armono, H.D.; Hall, K.R. Wave Transmission on Submerged Breakwaters Made of Hollow Hemispherical Shape Artificial Reefs. In Proceedings of the Canadian Coastal Conference, Kingston, ON, Canada, 30 September–3 October 2003; pp. 1–13. [Google Scholar]
- Zheng, Y.H.; Kuang, C.P.; Han, X.J.; Ma, Y. Propagation Characteristics of Short Period Regular Wave over Perforated Reef-Type Submerged Breakwater Group. J. Tongji Univ. 2024, 52, 1227–1237. [Google Scholar] [CrossRef]
- Xia, X.; Li, Y.; Li, J.; Gong, P.H.; Huang, J.L.; Lu, J.K. Effect of Oyster Shell Filling in Artificial Reefs on Flow Field Environment and Assessing the Potential of Carbon Fixation. J. Sea Res. 2024, 202, 102537. [Google Scholar] [CrossRef]
- Chen, X.L.; Che, X.; Zhou, Y.; Tian, C.F.; Li, X.F. A Numerical Simulation Study and Effectiveness Evaluation on the Flow Field Effect of Trapezoidal Artificial Reefs in Different Layouts. J. Mar. Sci. Eng. 2023, 12, 3. [Google Scholar] [CrossRef]
- Guo, C.L.; Zhu, L.X.; Liang, Z.L.; Xie, W.D.; Zheng, Y.J.; Tang, Y.L.; Jiang, Z.Y. Study on the Effect of Internal Reefs Deflection on the Flow Field Effect of Unit Reef. Ocean Eng. 2023, 286, 115653. [Google Scholar] [CrossRef]
- Zheng, Y.H.; Kuang, C.P.; Zhang, J.B.; Gu, J.; Chen, K.; Liu, X. Current and Turbulence Characteristics of Perforated Box-Type Artificial Reefs in a Constant Water Depth. Ocean Eng. 2022, 244, 110359. [Google Scholar] [CrossRef]
- Kuang, C.; Li, H.; Zheng, Y.; Xing, W.; Cong, X.; Chen, J. Turbulent Characteristics of a Submerged Reef under Various Current and Submergence Conditions. J. Mar. Sci. Eng. 2024, 12, 214. [Google Scholar] [CrossRef]
- Lowe, R.J.; Altomare, C.; Buckley, M.L.; Da Silva, R.F.; Hansen, J.E.; Rijnsdorp, D.P.; Domínguez, J.M.; Crespo, A.J.C. Smoothed Particle Hydrodynamics Simulations of Reef Surf Zone Processes Driven by Plunging Irregular Waves. Ocean Model. 2022, 171, 101945. [Google Scholar] [CrossRef]
- Wang, M.Z.; Pan, Y.; Shi, X.K.; Wu, J.L.; Sun, P.N. Comparative Study on Volume Conservation among Various SPH Models for Flows of Different Levels of Violence. Coast. Eng. 2024, 191, 104521. [Google Scholar] [CrossRef]
- Maslov, D.; Pereira, E.; Duarte, D.; Miranda, T.; Ferreira, V.; Tieppo, M.; Cruz, F.; Johnson, J. Numerical Analysis of the Flow Field and Cross Section Design Implications in a Multifunctional Artificial Reef. Ocean Eng. 2023, 272, 113817. [Google Scholar] [CrossRef]
- Pan, Y.; Tong, H.; Wei, D.; Xiao, W.; Xue, D. Review of Structure Types and New Development Prospects of Artificial Reefs in China. Front. Mar. Sci. 2022, 9, 853452. [Google Scholar]
- Guo, Y.; Qin, C.X.; Zhang, S.Y. Flow Field Effect of Cube Reef Monocase of Different Structure. Prog. Fish. Sci. 2022, 43, 1–10. [Google Scholar] [CrossRef]
- Fang, J.H.; Lin, J.; Yang, W.; Wen, Y.; Qi, F.Q. Numerical Simulation of Flow Field Effect around the Double-Layer Cross-Wing Artificial Reef. J. Shanghai Ocean Univ. 2021, 30, 743–754. [Google Scholar]
- Liu, X.M.; Zheng, Y.N.; Chen, C.P.; Tian, C.F. Numerical Simulation of Flow around Frame and Caisson Artificial Reef Models. J. Dalian Ocean Univ. 2019, 34, 133–138. [Google Scholar] [CrossRef]
- Zheng, Y.X.; Guan, C.T.; Song, X.F.; Liang, Z.L.; Cui, Y.; Li, Q. Numerical Simulation on Flow Field around Star Artificial Reefs. Trans. Chin. Soc. Agric. Eng. 2012, 28, 185–193 + 297–298. [Google Scholar]
- Xi, Y.; Tian, T.; Yang, J.; Wu, Z.X.; Liu, M.; Gao, D.K.; Chen, Y. Reef Approaching Behavior of Juvenile Sebastes Schlegeli under Different Flow Fields. J. Dalian Fish. Univ. 2020, 35, 399–406. [Google Scholar] [CrossRef]
- Folpp, H.; Lowry, M.; Gregson, M.; Suthers, I.M. Fish Assemblages on Estuarine Artificial Reefs: Natural Rocky-Reef Mimics or Discrete Assemblages? PLoS ONE 2013, 8, e63505. [Google Scholar] [CrossRef]
- Lai, J.L.; Yang, F.F.; Huang, D.Z.; Huang, S.Q.; Sun, X.J. Artificial Reef Design and Flow Field Analysis for Enhancing Stichopus Japonicus Cultivation in Haizhou Bay. J. Mar. Sci. Eng. 2024, 12, 1130. [Google Scholar] [CrossRef]
- Gomes, A.; Pinho, J.L.S.; Valente, T.; Antunes do Carmo, J.S.; Hegde, A. Performance Assessment of a Semi-Circular Breakwater through CFD Modelling. J. Mar. Sci. Eng. 2020, 8, 226. [Google Scholar] [CrossRef]
- Wang, J.H.; Liu, L.L.; Cai, X.C.; Chen, J.Y.; Yang, Y.X.; Jiang, S.X. Numerical Simulation Study on Influence of Disposal Space on Effects of Flow Field Around Porous Square Artificial Reefs. Prog. Fish. Sci. 2020, 41, 40–48. [Google Scholar] [CrossRef]
- Zhang, J.T.; Zhu, L.X.; Liang, Z.L.; Sun, L.Y.; Nie, Z.Y.; Wang, J.H.; Xie, W.D.; Jiang, Z.Y. Numerical Study of Efficiency Indices to Evaluate the Effect of Layout Mode of Artificial Reef Unit on Flow Field. J. Mar. Sci. Eng. 2021, 9, 770. [Google Scholar] [CrossRef]
- Liu, T.-L.; Su, D.-T. Numerical Analysis of the Influence of Reef Arrangements on Artificial Reef Flow Fields. Ocean Eng. 2013, 74, 81–89. [Google Scholar] [CrossRef]
- Mao, H.Y.; Hu, C.; Yu, D.Y.; Wang, K.R. Optimization study of diversion reef assemblage based on the numerical simulation of flow field. J. Xiamen Univ. Nat. Sci. 2022, 61, 723–730. [Google Scholar] [CrossRef]
- Lin, M.J.; Ji, X.R.; Wang, F.X. Flow field effects and hydrodynamic analysis of square composite reefs. Nat. Sci. J. Hainan Univ. 2022, 40, 66–75. [Google Scholar] [CrossRef]
- Zheng, Y.X.; Liang, Z.L.; Guan, C.T.; Song, X.F.; Li, J.; Cui, Y.; Li, Q.; Shan, X.L.; Xu, W.W. Numerical simulation and experimental study on flow field of artificial reefs in three tube-stacking layouts. Oceanol. Limnol. Sin. 2014, 45, 11–19. [Google Scholar]
- Kim, D.; Jung, S.; Na, W.-B. Evaluation of Turbulence Models for Estimating the Wake Region of Artificial Reefs Using Particle Image Velocimetry and Computational Fluid Dynamics. Ocean Eng. 2021, 223, 108673. [Google Scholar] [CrossRef]
- Li, J.; Zheng, Y.; Gong, P.; Guan, C. Numerical Simulation and PIV Experimental Study of the Effect of Flow Fields around Tube Artificial Reefs. Ocean Eng. 2017, 134, 96–104. [Google Scholar] [CrossRef]
- Tan, S.F.; Wang, X.Z.; Zhang, M.L.; Liu, C.G.; Wang, A.M.; Xu, X.F.; Xu, P. Flow field effect of cuboid frame artificial reef. Chin. J. Appl. Mech. 2023. Available online: http://kns.cnki.net/kcms/detail/61.1112.o3.20230227.1445.020.html (accessed on 1 February 2025).
- Zou, Q.; Peng, Z. Evolution of Wave Shape over a Low-Crested Structure. Coast. Eng. 2011, 58, 478–488. [Google Scholar] [CrossRef]
- Chaput, R.; Majoris, J.E.; Buston, P.M.; Paris, C.B. Hydrodynamic and Biological Constraints on Group Cohesion in Plankton. J. Theor. Biol. 2019, 482, 109987. [Google Scholar] [CrossRef]
- Shu, A.; Zhang, Z.; Wang, L.; Sun, T.; Yang, W.; Zhu, J.; Qin, J.; Zhu, F. Effects of Typical Artificial Reefs on Hydrodynamic Characteristics and Carbon Sequestration Potential in the Offshore of Juehua Island, Bohai Sea. Front. Environ. Sci. 2022, 10, 979930. [Google Scholar] [CrossRef]
- Jiang, Z.Y. Numerical Simulation of Hydrodynamics for Artificial Reefs. Ph.D. Thesis, Ocean University of China, Qingdao, China, 2009. [Google Scholar]
- Kuang, C.P.; Zheng, Y.H.; Gu, J.; Han, X.J. Simulation methods of inner flow field and flow characteristics induced by perforated reef-type breakwater. J. Tongji Univ. 2023, 51, 1073–1084. [Google Scholar]
- Kuang, C.P.; Pan, Y.; Zhang, Y.; Liu, S.G.; Yang, Y.X.; Zhang, J.B.; Dong, P. Performance Evaluation of a Beach Nourishment Project at West Beach in Beidaihe, China. J. Coast. Res. 2011, 27, 769–783. [Google Scholar] [CrossRef]
- Ma, Y. Experimental Investigation on Beach Profile Evolution Process with Offshore Interventions of Artificial Reef and Submerged Sand Bar. Ph.D. Thesis, Tongji University, Shanghai, China, 2020. [Google Scholar]
- Zou, Q. A Viscoelastic Model for Turbulent Flow over Undulating Topography. J. Fluid Mech. 1998, 355, 81–112. [Google Scholar] [CrossRef]
- Launder, B.E.; Spalding, D.B. The Numerical Computation of Turbulent Flows. Comput. Methods Appl. Mech. Eng. 1974, 3, 269–289. [Google Scholar] [CrossRef]
- Chen, H.; Zou, Q. Characteristics of Wave Breaking and Blocking by Spatially Varying Opposing Currents. J. Geophys. Res. Ocean 2018, 123, 3761–3785. [Google Scholar] [CrossRef]
- Shih, T.-H.; Liou, W.W.; Shabbir, A.; Yang, Z.G.; Zhu, J. A New K-ϵ Eddy Viscosity Model for High Reynolds Number Turbulent Flows. Comput. Fluids 1995, 24, 227–238. [Google Scholar] [CrossRef]
- van Heijst, G.J.F.; Flór, J.B. Dipole Formation and Collisions in a Stratified Fluid. Nature 1989, 340, 212–215. [Google Scholar] [CrossRef]
- Pope, S.B. Turbulent Flows, 1st ed.; Cambridge University Press: Cambridge, UK, 2000; ISBN 9780521598866. [Google Scholar]
- Gutmark, E.J.; Ibrahim, I.M.; Murugappan, S. Dynamics of Single and Twin Circular Jets in Cross Flow. Exp. Fluids 2011, 50, 653–663. [Google Scholar] [CrossRef]
- Srineash, V.K.; Murali, K. Functional Performance of Modular Porous Reef Breakwaters. J. Hydro-Environ. Res. 2019, 27, 20–31. [Google Scholar] [CrossRef]
- Li, Y.; Zheng, Y.; Lin, Z.; Adcock, T.A.A.; Bremer, T.S. van den Surface Wavepackets Subject to an Abrupt Depth Change. Part 1. Second-Order Theory. J. Fluid. Mech. 2021, 915, A71. [Google Scholar] [CrossRef]
- Kim, T.; Kwon, Y.; Lee, J.; Lee, E.; Kwon, S. Wave Attenuation Prediction of Artificial Coral Reef Using Machine-Learning Integrated with Hydraulic Experiment. Ocean Eng. 2022, 248, 110324. [Google Scholar] [CrossRef]
- Xing, W.; Kuang, C.; Li, H.; Chen, J.; Shi, L.; Zou, Q. Effect of Open-Area Ratios on Wave Attenuation over a Submerged Reef Breakwater: An Experimental Study. Ocean Eng. 2024, 312, 119221. [Google Scholar] [CrossRef]
- Van Gent, M.R.A.; Buis, L.; Van Den Bos, J.P.; Wüthrich, D. Wave Transmission at Submerged Coastal Structures and Artificial Reefs. Coast. Eng. 2023, 184, 104344. [Google Scholar] [CrossRef]















| Inflow Velocity (m/s) | R/h | Layout | Condition | 1 | 2 | 3 | 4 |
|---|---|---|---|---|---|---|---|
| 0.09 | 0.17 | 3 ARs in a row | d/lr | 0 | 0.5 | 1.0 | 3.0 |
| Condition | 5 | 6 | 7 | |
|---|---|---|---|---|
| ARs layout | 3 × 1 ARs | 4 × 1 ARs | 4 × 2 ARs | |
| Number of reefs | 3 × 1 | 4 × 1 | 4 × 2 | |
| Array dimension | Lr/hr | 3 | 4 | 4 |
| Wr/hr | 0.68 | 0.68 | 1.36 | |
| Condition | Lr/hr | Wr/hr | Number of Blocks | Area (×10−3 m2) | Total Area (×10−3 m2) | Average Vorticity (s−1) | Total Vorticity (|Ωz| > 1.5 s−1) | ||
|---|---|---|---|---|---|---|---|---|---|
| Ωz > 1.5 s−1 | Ωz < 1.5 s−1 | Ωz > 1.5 s−1 | Ωz < 1.5 s−1 | ||||||
| 1 | 3 | 0.68 | 3 | 1.977 | 2.366 | 4.343 | 2.569 | 2.496 | 5.065 |
| 2 | 4 | 0.68 | 4 | 0.831 | 1.385 | 2.215 | 1.991 | 2.074 | 4.065 |
| 3 | 5 | 1.36 | 8 | 2.799 | 4.698 | 7.498 | 2.193 | 2.049 | 4.243 |
Disclaimer/Publisher’s Note: The statements, opinions and data contained in all publications are solely those of the individual author(s) and contributor(s) and not of MDPI and/or the editor(s). MDPI and/or the editor(s) disclaim responsibility for any injury to people or property resulting from any ideas, methods, instructions or products referred to in the content. |
© 2025 by the authors. Licensee MDPI, Basel, Switzerland. This article is an open access article distributed under the terms and conditions of the Creative Commons Attribution (CC BY) license (https://creativecommons.org/licenses/by/4.0/).
Share and Cite
Kuang, C.; Xing, W.; Zheng, Y.; Cong, X.; Wang, D.; Zou, Q. Effects of Artificial Reef Array Configuration on Turbulent Flow: PIV Experiment and Numerical Simulation. Water 2025, 17, 915. https://doi.org/10.3390/w17070915
Kuang C, Xing W, Zheng Y, Cong X, Wang D, Zou Q. Effects of Artificial Reef Array Configuration on Turbulent Flow: PIV Experiment and Numerical Simulation. Water. 2025; 17(7):915. https://doi.org/10.3390/w17070915
Chicago/Turabian StyleKuang, Cuiping, Wei Xing, Yuhua Zheng, Xin Cong, Dan Wang, and Qingping Zou. 2025. "Effects of Artificial Reef Array Configuration on Turbulent Flow: PIV Experiment and Numerical Simulation" Water 17, no. 7: 915. https://doi.org/10.3390/w17070915
APA StyleKuang, C., Xing, W., Zheng, Y., Cong, X., Wang, D., & Zou, Q. (2025). Effects of Artificial Reef Array Configuration on Turbulent Flow: PIV Experiment and Numerical Simulation. Water, 17(7), 915. https://doi.org/10.3390/w17070915

