Estimating the Root Water Uptake of Surface-Irrigated Apples Using Water Stable Isotopes and the Hydrus-1D Model
Abstract
1. Introduction
2. Materials and Methods
2.1. Study Site and Experimental Design
2.2. Isotope Sampling and Analysis
2.3. Hydrus-1D Model
2.4. Statistical Data Analysis
3. Results and Discussion
3.1. Isotopic Composition of Precipitation, Soil and Stem Water
3.2. The Depth of RWU and the Proportional Contribution of Soil Water to Apple Trees
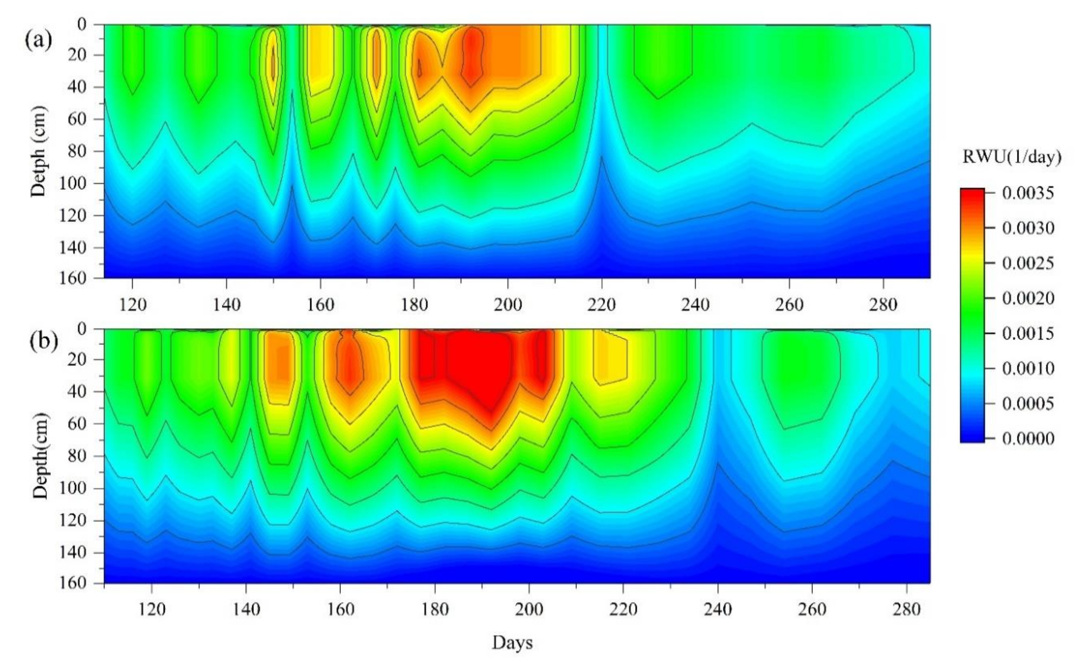
3.3. Evaluation of Models of the RWU Rate for Apples at Different Soil Depths
4. Conclusions
Author Contributions
Funding
Conflicts of Interest
References
- Elnmer, A.; Khadr, M.; Allam, A.; Kanae, S.; Tawfik, A. Assessment of irrigation water performance in the nile delta using remotely sensed data. Water 2018, 10, 1375. [Google Scholar] [CrossRef]
- Elliotte, J.; Deryng, D.; Muller, C.; Frieler, K.; Konzmann, M.; Gerten, D.; Glorrer, M.; Florke, M.; Wada, Y.; Best, N. Constraints and potentials of future irrigation water availability on agricultural production under climate change. Proc. Natl. Acad. Sci. USA 2014, 111, 3239–3244. [Google Scholar] [CrossRef] [PubMed]
- Song, X.L.; Gao, X.D.; Dyck, M.; Zhang, W.; Wu, P.T.; Yao, J.; Zhao, X.N. Soil water and root distribution of apple tree (Malus Pumila Mill) stands in relation stand age and rainwater collection and infiltration system (RWCI) in a hilly region of the loess Plateau, China. Catena 2018, 170, 324–334. [Google Scholar] [CrossRef]
- Li, H.C.; Gao, X.D.; Zhao, X.N.; Wu, P.T.; Li, L.S.; Ling, Q.; Sun, W.H. Integrating a mini catchment with mulching for soil water management in a sloping jujube orchard on the semiarid loess plateau of China. Solid Earth 2016, 7, 167–175. [Google Scholar] [CrossRef]
- EI Jaouhari, N.; Abouabdillah, A.; Bouaid, R.; Bouring, M.; Aleya, L.; Chaoui, M. Assessment of sustainable deficit irrigation in a Moroccan apple orchard as a climate change adaptation strategy. Sci. Total Environ. 2018, 642, 574–581. [Google Scholar] [CrossRef] [PubMed]
- Wang, X.P.; Zhang, X.X.; Wang, L. Experimental study on movement law of rapid available phosphorus in root area of apple tree under border irrigation. Water Sav. Irrig. 2013, 3, 1–4. [Google Scholar]
- Yang, B.; Wen, X.F.; Sun, X.M. Irrigation depth far exceeds water uptake depth in an oasis cropland in the middle reaches of Heihe River Basin. Sci. Rep. 2015, 5, 15206. [Google Scholar] [CrossRef] [PubMed]
- An, H.S.; Luo, F.X.; Wu, T.; Wang, Y.; Xu, X.F.; Zhang, X.Z.; Han, Z.H. Dwarfing effect of apple rootstocks is intimately associated with low number of fine roots. Hortscience 2017, 52, 503–512. [Google Scholar] [CrossRef]
- Thorburn, P.J.; Ehleringer, J.R. Root water uptake of field-growing plants indicated by measurements of natural-abundance deuterium. Plant Soil 1995, 177, 225–233. [Google Scholar] [CrossRef]
- Kulmatiski, A.; Bead, K.H. Woody plant encroachment facilitated by increased precipitation intensity. Nat. Clim. Chang. 2013, 3, 833–837. [Google Scholar] [CrossRef]
- Rothfuss, Y.; Javaux, M. Reviews and syntheses: Isotopic approaches to quantify root water uptake: A review and comparison of methods. Biogesciences 2017, 14, 2199–2224. [Google Scholar] [CrossRef]
- Dawson, T.E.; Ehleringer, J.R. Streamside trees do not use stream water. Nature 1991, 350, 334–337. [Google Scholar] [CrossRef]
- Lin, G.H.; Sternberg, L.; Ehleringer, J.; Hall, A.; Farquhar, G. Hydrogen Isotopic Fractionation by Plant Roots during Water Uptake in Coastal Wetland Plants, Stable Isotopes and Plant Carbon-Water Relations; Academic Press: Cambridge, MA, USA, 1993; pp. 497–510. [Google Scholar]
- Araki, H.; Iijima, M. Stable isotope analysis of water extraction from subsoil in upland rice (Oryza sativa L.) as affected by drought and soil compaction. Plant Soil 2007, 270, 147–157. [Google Scholar] [CrossRef]
- Wang, P.; Song, X.F.; Han, D.M.; Zhang, Y.H.; Liu, X. A study of root water uptake of crops indicated by hydrogen and oxygen stable isotopes: A case in Shanxi province, China. Agric. Water Manag. 2010, 97, 475–482. [Google Scholar] [CrossRef]
- Zhang, C.Z.; Zhang, J.B.; Zhao, B.Z.; Zhu, A.N.; Zhang, H.; Huang, P.; Li, X.P. Coupling a two-tip linear mixing model with δ2H and δ18O plot to determine water sources consumed by maize during different growth stages. Field Crop Res. 2011, 123, 196–205. [Google Scholar] [CrossRef]
- Shen, Y.J.; Zhang, Z.B.; Gao, L.; Peng, X. Evaluating contribution of soil water to paddy rice by stable isotopes of hydrogen and oxygen. Paddy Water Environ. 2015, 13, 125–133. [Google Scholar] [CrossRef]
- Eggemever, K.D.; Awada, T.; Harvey, F.E.; Wedin, D.A.; Zhou, X.; Zanner, C.W. Seasonal changes in depth of water uptake for encroaching trees Juniperus virginiana and Pinus ponderosa and two dominant C4 grasses in a semiarid grassland. Tree Physiol. 2009, 29, 157–169. [Google Scholar] [CrossRef] [PubMed]
- Grossiord, C.; Gessler, A.; Granier, A.; Berger, S.; Brechet, C.; Hentschel, R.; Scherer-Lorenzen, M.; Bonal, D. Impact of interspecific interactions on the soil water uptake depth in a young temperate mixed species plantation. J. Hydrol. 2014, 519, 3511–3519. [Google Scholar] [CrossRef]
- Chen, J.; Xu, Q.; Gao, D.Q.; Song, A.Y.; Hao, Y.G.; Ma, Y.B. Different water use strategies among selected rare and endangered species in west ordos desert of China. J. Plant Ecol. 2016, 660–669. [Google Scholar]
- Stahl, C.; Herault, B.; Rossi, V.; Burban, B.; Brechet, C.; Bonal, D. Depth of soil water uptake by tropical rainforest trees during dry periods: Does tree dimension matter? Oecologia 2013, 173, 1191–1201. [Google Scholar] [CrossRef] [PubMed]
- Brunel, J.P.; Walker, G.R.; Kennett-Smith, A.K. Field validation of isotopic procedures for determining sources of water used by plants in a semi-arid environment. J. Hydrol. 1995, 167, 351–368. [Google Scholar] [CrossRef]
- Romero-Saltos, H.; Sternberg, L.S.L.; Moreia, M.Z.; Nepstad, D.C. Rainfall exclusion in an eastern Amazonian forest alters soil water movement and depth of water uptake. Am. J. Bot. 2005, 92, 443–455. [Google Scholar] [CrossRef] [PubMed]
- Phillips, D.L.; Gregg, J.W. Source partitioning using stable isotopes: Coping with too many sources. Oecologia 2003, 136, 261. [Google Scholar] [CrossRef] [PubMed]
- Zhang, Z.Q.; Si, B.C.; Li, Z.; Evaristo, J.; Mcdonnnell, J.J. Tritium analysis shows apple trees may be transpiring water several decades old. Hydrol. Process. 2017, 31, 1196–1201. [Google Scholar] [CrossRef]
- Zhu, J.F.; Liu, J.T.; Lu, Z.H.; Xia, J.B.; Sun, J.K.; Shao, H.B.; Zhao, Y.Y. Soil-water interacting use patterns driven by Ziziphus jujube on the Chenier Island in the Yellow River Delta, China. Arch. Agron. Soil Sci. 2016, 62, 1614–1624. [Google Scholar] [CrossRef]
- Cao, X.Q.; Yang, P.L.; Engel Bernard, A.; Li, P.F. The effects of rainfall and irrigation on cherry root water uptake under drip irrigation. Agric. Water Manag. 2018, 197, 9–18. [Google Scholar] [CrossRef]
- Oerter, E.J.; Bowen, G. In situ monitoring of H and O stable isotopes in soil water reveals ecohydrologic dynamics in managed soil systems. Ecohydrology 2017, 10, 1841. [Google Scholar] [CrossRef]
- Kumar, R.; Jat, M.K.; Shankar, V. Evaluation of modeling of water ecohydrologic dynamics in soil-root system. Ecol. Model. 2013, 269, 51–60. [Google Scholar] [CrossRef]
- Perers, A. Modified conceptual model for compensated root water uptake—A simulation study. J. Hydrol. 2016, 534, 1–10. [Google Scholar] [CrossRef]
- Skaggs, T.H.; van Genuchten, M.T.; Shouse, P.J.; Poss, J.A. Macroscopic approaches to root water uptake as a function of water and salinity stress. Agric. Water Manag. 2006, 86, 140–149. [Google Scholar] [CrossRef]
- Simunek, J.; Sejna, M.; Saito, H.; Sakai, M.; van Genuchten, M.T. The Hydrus-1D Software Package for Simulating the One-Dimensional Movement of Water, Heat, and Multiple Solutes in Variably-Saturated Media Version 4.0; University of California Riverside: Riverside, CA, USA, 2008. [Google Scholar]
- Forkutsa, I.; Sommer, R.; Shirokova, Y.I.; Lamers, J.P.A.; Kienzler, K.; Tischbein, B.; Martius, C.; Vlek, P.L.G. Modeling irrigated cotton with shallow groundwater in the Aral Sea basin of Uzbekistan. Irrig. Sci. 2009, 27, 319–330. [Google Scholar] [CrossRef]
- Deb, S.K.; Shukla, M.K.; Mexal, J.G. Numerical modeling of water fluxes in the root zone of a mature pecan orchard. Soil Sci. Soc. Am. J. 2011, 75, 1667–1680. [Google Scholar] [CrossRef]
- Li, H.J.; Yi, J.; Zhang, J.G.; Zhao, Y.; Si, B.C.; Hill, R.L.; Cui, L.L.; Liu, X.Y. Modeling of soil water and salt dynamics and its effects on root water uptake in Heihe Arid Wetland, Gansu, China. Water 2015, 7, 2382–2401. [Google Scholar] [CrossRef]
- Zeng, W.Z.; Lei, G.Q.; Zha, Y.Y.; Fang, Y.H.; Wu, J.W.; Huang, J.S. Sensitivity and uncertainty analysis of the hydrus-1d model for root water uptake in saline soils. Crop Pasture Sci. 2018, 69, 163–173. [Google Scholar] [CrossRef]
- Zheng, C.; Lu, Y.D.; Guo, X.H.; Li, H.H.; Sai, J.M.; Liu, X.H. Application of HYDRUS-1D model for research on irrigation infiltration characteristics in arid oasis of northwest China. Environ. Earth Sci. 2017, 76, 785. [Google Scholar] [CrossRef]
- Jha, S.K.; Gao, Y.; Liu, H.; Huang, Z.D.; Wang, G.S.; Liang, Y.P.; Duan, A.W. Root development and water uptake in winter wheat under different irrigation methods and scheduling for North China. Agric. Water Manag. 2017, 182, 139–150. [Google Scholar] [CrossRef]
- Arbat, G.; Puig-Bargués, J.; Barragán, J.; Bonany, J.; de Cartagena, F.R.; Cartagena, F. Monitoring soil water status for micro-irrigation management versus modelling approach. Bio. Eng. 2008, 100, 286–296. [Google Scholar] [CrossRef]
- Haride, M. Two dimensional modelling of nitrate flux in a commercial apple orchard. Soil Sci. Soc. Am. J. 2017, 81, 1235–1246. [Google Scholar] [CrossRef]
- Allen, R.G.; Pereira, L.S. Estimating crop coefficients from fraction of ground cover and height. Irrig. Sci. 2009, 28, 17–34. [Google Scholar] [CrossRef]
- Guo, F.; Ma, J.J.; Zheng, L.J.; Sun, X.H.; Guo, X.H.; Zhang, X.L. Estimating distribution of water uptake with depth of winter wheat by hydrogen and oxygen stable isotopes under different irrigation depths. J. Integer. Agric. 2016, 15, 891–906. [Google Scholar] [CrossRef]
- Ma, Y.; Song, X.F. Using stable isotopes to determine seasonal variations in water uptake of summer maize under different fertilization treatments. Sci. Total Environ. 2016, 550, 471–483. [Google Scholar] [CrossRef] [PubMed]
- Volschenk, T. Evapotranspiration and crop coefficients of Goldern Delicious/M793 apple trees in the Koue Bokkeveld. Agric. Water Manag. 2017, 194, 184–191. [Google Scholar] [CrossRef]
- Sun, S.J.; Meng, P.; Zhang, J.S.; Wan, X.C. Variation in soil water uptake and its effect on plant water status in Juglans regia L. during dry and wet seasons. Tree Physiol. 2011, 31, 1378–1389. [Google Scholar] [CrossRef] [PubMed]
- Gong, D.Z.; Kang, S.Z.; Zhang, L.; Du, T.S.; Yao, L.M. A two-dimensional model of root water uptake for single apple trees and its verification with sap flow and soil water content measurements. Agric. Water Manag. 2006, 83, 119–129. [Google Scholar] [CrossRef]
- Han, M.; Zhao, C.Y.; Feng, G.; Yan, Y.Y.; Sheng, Y. Evaluating the effects of mulch and irrigation amount on soil water distribution and root zone water balance using Hydrus-2D. Water 2015, 7, 2622–2640. [Google Scholar] [CrossRef]
- Green, S.; Clothier, B. The root zone dynamics of water uptake by a mature apple tree. Plant Soil 1999, 206, 61–77. [Google Scholar] [CrossRef]
- Besharat, S.; Nazemi, A.H.; Sadraddini, A.A. Parametric modeling of root length density and root water uptake in unsaturated soil. Turk. J. Agric. For. 2010, 34, 439–449. [Google Scholar]





| Depth (cm) | θr | θs | α | Ks | n | l |
|---|---|---|---|---|---|---|
| 0–160 | 0.018 | 0.468 | 0.00939 | 10.6877 | 1.6032 | 0.5 |
| Month | The Mean Depth of RWU (cm) | |
|---|---|---|
| 2016 | 2017 | |
| April | 16.99 | 26.98 |
| May | 23.60 | 31.53 |
| June | 26.55 | 51.26 |
| July | 27.43 | 34.36 |
| August | 36.82 | 27.03 |
| September | 42.99 | 34.24 |
| October | 30.34 | 36.68 |
© 2018 by the authors. Licensee MDPI, Basel, Switzerland. This article is an open access article distributed under the terms and conditions of the Creative Commons Attribution (CC BY) license (http://creativecommons.org/licenses/by/4.0/).
Share and Cite
Zheng, L.; Ma, J.; Sun, X.; Guo, X.; Cheng, Q.; Shi, X. Estimating the Root Water Uptake of Surface-Irrigated Apples Using Water Stable Isotopes and the Hydrus-1D Model. Water 2018, 10, 1624. https://doi.org/10.3390/w10111624
Zheng L, Ma J, Sun X, Guo X, Cheng Q, Shi X. Estimating the Root Water Uptake of Surface-Irrigated Apples Using Water Stable Isotopes and the Hydrus-1D Model. Water. 2018; 10(11):1624. https://doi.org/10.3390/w10111624
Chicago/Turabian StyleZheng, Lijian, Juanjuan Ma, Xihuan Sun, Xianghong Guo, Qiyun Cheng, and Xiaokai Shi. 2018. "Estimating the Root Water Uptake of Surface-Irrigated Apples Using Water Stable Isotopes and the Hydrus-1D Model" Water 10, no. 11: 1624. https://doi.org/10.3390/w10111624
APA StyleZheng, L., Ma, J., Sun, X., Guo, X., Cheng, Q., & Shi, X. (2018). Estimating the Root Water Uptake of Surface-Irrigated Apples Using Water Stable Isotopes and the Hydrus-1D Model. Water, 10(11), 1624. https://doi.org/10.3390/w10111624
