Phase-Based GLRT Detection of Moving Targets with Pixel Tracking in Low-Resolution SAR Image Sequences
Abstract
:1. Introduction
2. Problem Formulation
2.1. Observation Geometry
2.2. Interferometric Phase Statistics
3. Proposed Method
3.1. Application of the GLRT to the Phase Domain
3.2. Pixel-Based Tracking Strategy
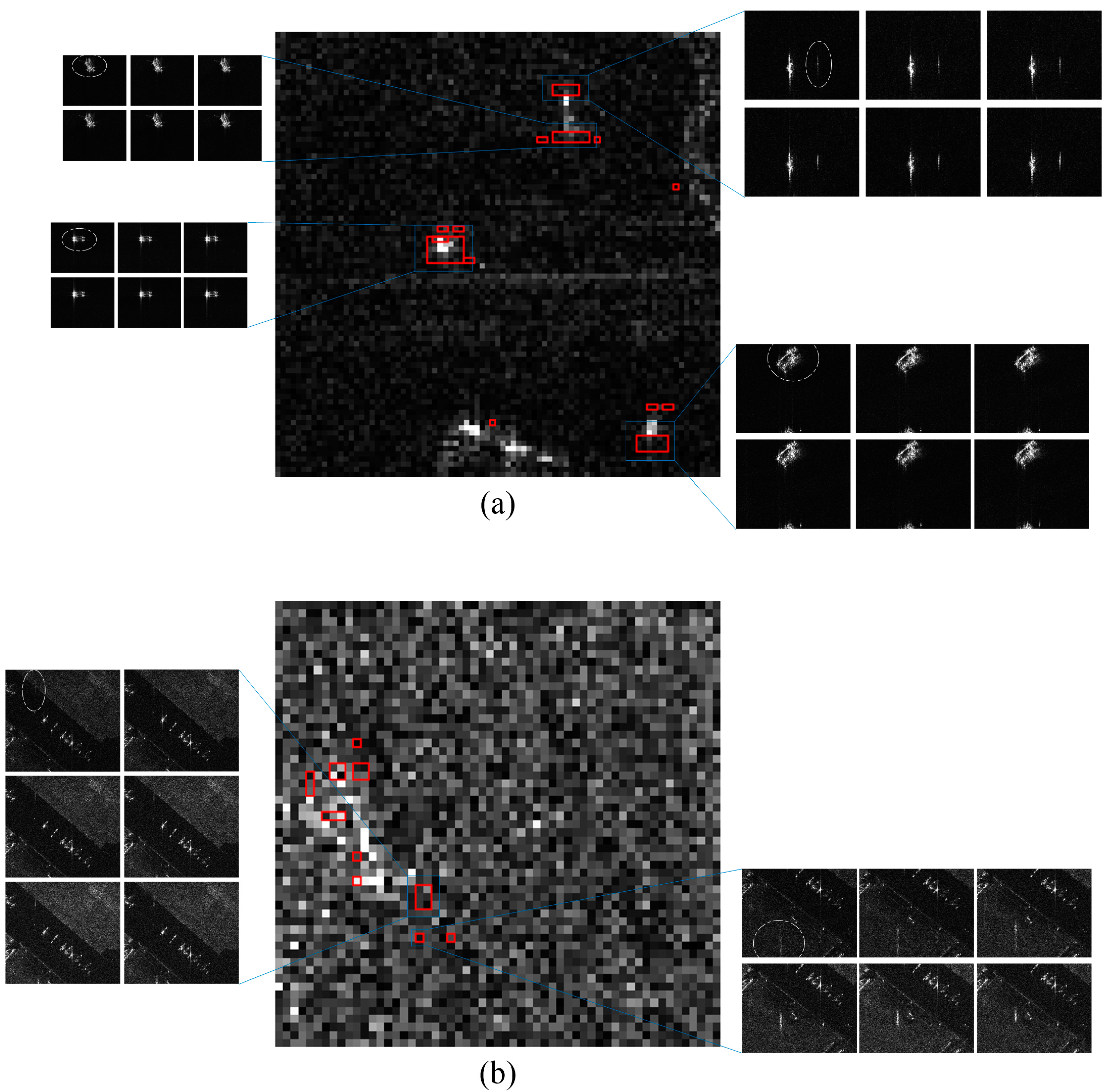
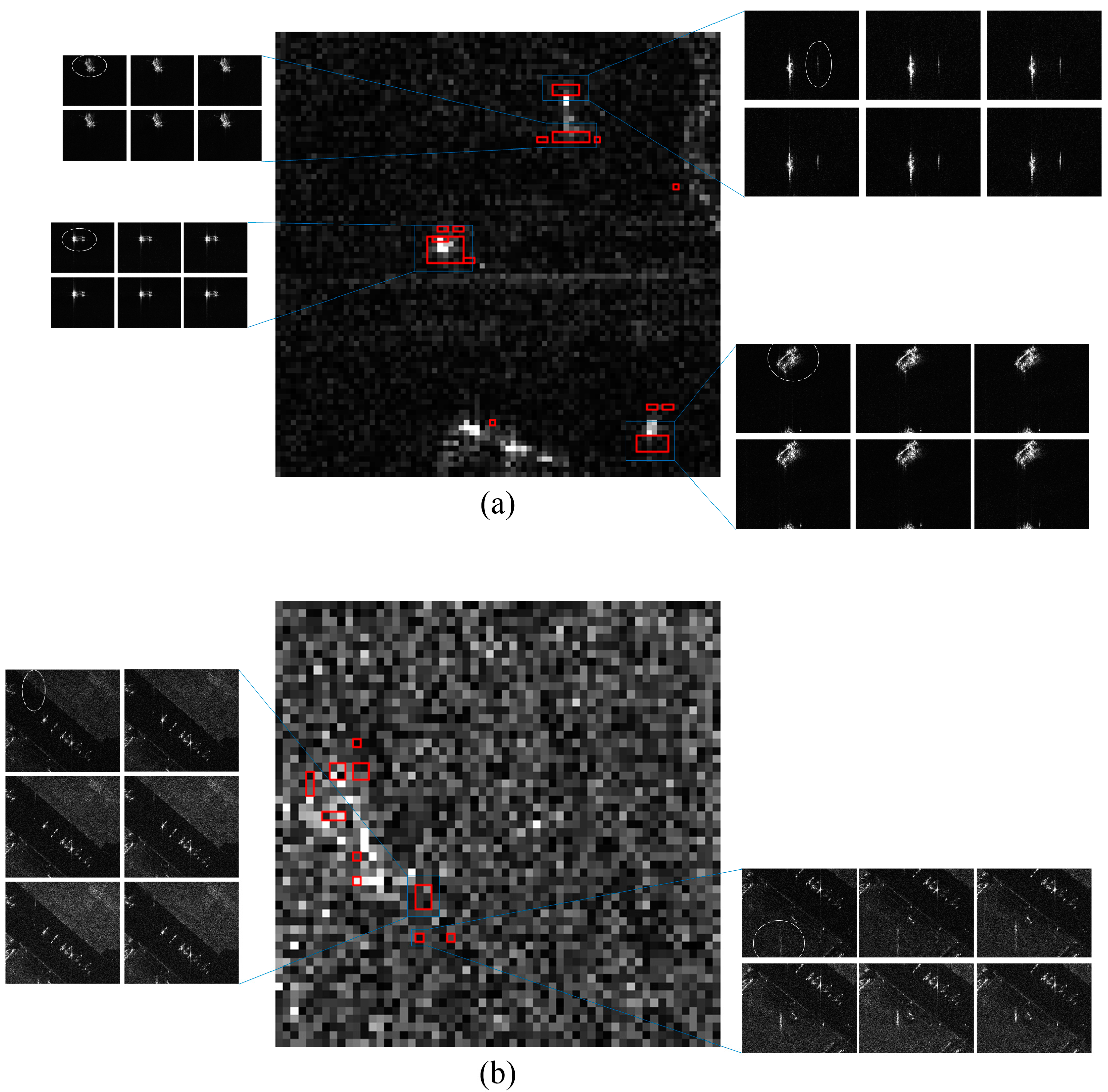
4. Experimental Results
4.1. Calm Sea and Farmland Scenarios
4.2. Comparison with Related Methods
5. Discussion
6. Conclusions
Author Contributions
Funding
Institutional Review Board Statement
Informed Consent Statement
Data Availability Statement
Acknowledgments
Conflicts of Interest
References
- Suchandt, S.; Runge, H.; Breit, H.; Steinbrecher, U.; Kotenkov, A.; Balss, U. Automatic extraction of traffic flows using TerraSAR-X along-track interferometry. IEEE Trans. Geosci. Remote Sens. 2010, 48, 807–819. [Google Scholar] [CrossRef]
- Klemm, R.; Nickel, U.; Gierull, C.H.; Lombardo, P. (Eds.) Novel Radar Techniques and Application; IET: London, UK, 2017; pp. 223–225. [Google Scholar]
- Budillon, A.; Gierull, C.H.; Pascazio, V.; Schirinzi, G. Along-track interferometric SAR systems for ground-moving target indication: Achievements, potentials, and outlook. IEEE Geosci. Remote Sens. Mag. 2020, 8, 46–63. [Google Scholar] [CrossRef]
- Moreira, A.; Prats-Iraola, P.; Younis, M.; Krieger, G.; Hajnsek, I.; Papathanassiou, K.P. A tutorial on synthetic aperture radar. IEEE Geosci. Remote Sens. Mag. 2013, 1, 6–43. [Google Scholar] [CrossRef] [Green Version]
- Krieger, G.; Gebert, N.; Moreira, A. Multidimensional waveform encoding: A new digital beamforming technique for synthetic aperture radar remote sensing. IEEE Trans. Geosci. Remote Sens. 2008, 46, 31–46. [Google Scholar] [CrossRef] [Green Version]
- Hoshino, T.; Suwa, K.S.; Oishi, N.; Wakayama, T. Slightly moved vehicle detection with coherent change detection on X-band high resolution SAR imagery. In Proceedings of the IEEE Asia-Pacific Conference on Synthetic Aperture Radar, Tsukuba, Japan, 23–27 September 2013; pp. 585–588. [Google Scholar]
- Damini, A.; Mantle, V.; Davidson, G. A new approach to coherent change detection in VideoSAR imagery using stack averaged coherence. In Proceedings of the IEEE Radar Conference, Ottawa, ON, Canada, 29 April–3 May 2013; pp. 1–5. [Google Scholar]
- Budillon, A.; Evangelista, A.; Schirinzi, G. GLRT detection of moving targets via multibaseline along-track interferometric SAR systems. IEEE Geosci. Remote Sens. Lett. 2012, 9, 348–352. [Google Scholar] [CrossRef]
- Budillon, A.; Schirinzi, G. Performance evaluation of a GLRT moving target detector for TerraSAR-X along-track interferometric data. IEEE Trans. Geosci. Remote Sens. 2015, 53, 3350–3360. [Google Scholar] [CrossRef]
- Sanders-Reed, J.N. Maximum likelihood detection of unresolved moving targets. IEEE Trans. Aerosp. Electron. Syst. 1998, 34, 844–859. [Google Scholar] [CrossRef]
- Biondi, F.; Tarpanelli, A.; Addabbo, P.; Clemente, C.; Orlando, D. Pixel tracking to estimate rivers water flow elevation using Cosmo-SkyMed synthetic aperture radar data. Remote Sens. 2019, 11, 2574. [Google Scholar] [CrossRef] [Green Version]
- Biondi, F.; Addabbo, P.; Orlando, D.; Clemente, C. Micro-motion estimation of maritime targets using pixel tracking in cosmo-skymed synthetic aperture radar data: An operative assessment. Remote Sens. 2019, 11, 1637. [Google Scholar] [CrossRef] [Green Version]
- Pallotta, L.; Giunta, G.; Clemente, C. Subpixel SAR image registration through parabolic interpolation of the 2D cross-correlation. IEEE Trans. Geosci. Remote Sens. 2020, 58, 4132–4144. [Google Scholar] [CrossRef] [Green Version]
- Zhang, W.; Fu, Y. GLRT detection of micromotion targets for the multichannel SAR-GMTI system. IEEE Geosci. Remote Sens. Lett. 2018, 16, 60–64. [Google Scholar] [CrossRef]
- Stone, L.; Streit, R.; Corwin, T.; Bell, K.; Daum, F. Bayesian Multiple Target Tracking; Artech House: London, UK, 2013; pp. 65–106. [Google Scholar]
- Newstadt, G.; Zelnio, E.; Hero, A. Moving target inference with Bayesian models in SAR imagery. IEEE Trans. Aerosp. Electron. Syst. 2014, 50, 2004–2018. [Google Scholar] [CrossRef]
- Song, S.; Xu, B.; Li, Z.; Yang, J. Ship detection in SAR imagery via variational Bayesian inference. IEEE Geosci. Remote Sens. Lett. 2016, 13, 319–323. [Google Scholar] [CrossRef]
- Song, S.; Xu, B.; Yang, J. Ship detection in polarimetric SAR images via variational Bayesian inference. IEEE J. Sel. Top. Appl. Earth Obs. Remote Sens. 2017, 99, 2819–2829. [Google Scholar] [CrossRef]
- Shi, S.N.; Shui, P.L. Detection of low-velocity and floating small targets in sea clutter via income-reference particle filters. Signal Process. 2018, 148, 78–90. [Google Scholar] [CrossRef]
- Shi, S.N.; Liang, X.; Shui, P.L.; Zhang, J.; Zhang, S. Low-velocity small target detection with doppler-guided retrospective filter in high-resolution radar at fast scan mode. IEEE Trans. Geosci. Remote Sens. 2019, 57, 8937–8953. [Google Scholar] [CrossRef]
- Gao, H.; Li, J. Detection and tracking of a moving target using SAR images with the particle filter-based track-before-detect algorithm. Sensors 2014, 14, 10829–10845. [Google Scholar] [CrossRef] [Green Version]
- Tian, X.; Liu, J.; Tan, S. A novel DP-TBD algorithm for tracking slowly maneuvering targets using ViSAR image sequences. In Proceedings of the 22nd International Conference on Information Fusion, Ottawa, ON, Canada, 2–5 July 2019; IEEE: New York, NY, USA, 2019; pp. 1–7. [Google Scholar]
- Huo, W.; Pei, J.; Huang, Y.; Zhang, Q.; Yang, J. A new maritime moving target detection and tracking method for airborne forward-looking scanning radar. Sensors 2019, 19, 1586. [Google Scholar] [CrossRef] [PubMed] [Green Version]
- Davey, S.J.; Rutten, M.G.; Cheung, B. Using phase to improve track-before-detect. IEEE Trans. Aerosp. Electron. Syst 2012, 48, 832–849. [Google Scholar] [CrossRef]
- Yang, W.; Chen, J.; Liu, W.; Wang, P. Moving target azimuth velocity estimation for the MASA mode based on sequential SAR images. IEEE J. Sel. Top. Appl. Earth Obs. Remote Sens. 2017, 6, 2780–2790. [Google Scholar] [CrossRef] [Green Version]
- Maître, H. Synthetic Aperture Radar Images; John Wiley & Sons: Hoboken, NJ, USA, 2013; pp. 284–285. [Google Scholar]
- Yang, M.; Dheenathayalan, P.; López-Dekker, P.; van Leijen, F.; Liao, M.; Hanssen, R.F. On the influence of sub-pixel position correction for PS localization accuracy and time series quality. ISPRS J. Photogramm. Remote Sens. 2020, 165, 98–107. [Google Scholar] [CrossRef]
- Gierull, C.H. Closed-form expressions for InSAR sample statistics and its application to non-Gaussian data. IEEE Trans. Geosci. Remote Sens. 2020, 99, 3967–3980. [Google Scholar] [CrossRef]
- Sintes, C.; Courmontagne, C.; Llort-Pujol, G.; Caillec, J.L. Gaussian approximation of interferometric PDF for MLE derivation. In Proceedings of the IEEE Oceans, Hampton Roads, VA, USA, 14–19 October 2012; pp. 1–5. [Google Scholar]
- Kay, S.; Hall, P. Fundamentals of statistical signal processing, Volume II: Detection theory. Technometrics 1993, 37, 465–466. [Google Scholar]
- Khan, Z.; Balch, T.; Dellaert, F. MCMC-based particle filtering for tracking a variable number of interacting targets. IEEE Trans. Pattern Anal. Mach. Intell. 2005, 27, 1805–1819. [Google Scholar] [CrossRef] [PubMed] [Green Version]










| Main Landscape of the ROI | Calm Sea | Farmland | ||
|---|---|---|---|---|
| Orbit height | 514 km | |||
| Effective velocity | 7337 m/s | |||
| Wavelength | 3.1 cm | |||
| Imaging mode | Staring spotlight | |||
| Pulse repetition frequency | 4998.45 Hz | |||
| SLC data observing location | Lvshungang | Sasebo | Dingxin | Jinmen |
| Reduced azimuth resolution ratio | 50 | 58 | 60 | 55 |
| Reduced range resolution ratio | 15 | 28 | 26 | 50 |
| Number of generated low-resolution images | 124 | 152 | 148 | 136 |
| Low-resolution image size (azimuth, range) | 85, 85 | 55, 51 | 55, 57 | 60, 59 |
| SLC Data Observing Location | Lvshungang | Sasebo | Dingxin | Jinmen |
|---|---|---|---|---|
| Number of Doppler subapertures | 124 | 152 | 148 | 136 |
| Azimuth band to be segmented | 1778–6051 | 1132–4364 | 1155–4659 | 1447–4750 |
| Subaperture band occupation | 85 | 55 | 55 | 60 |
| Range band to be truncated | 335–1622 | 306–1734 | 267–1735 | 526–3486 |
| Truncated band occupation | 85 | 51 | 56 | 59 |
| Overlap ratio of consecutive subapertures | 0.60 | |||
| Number of looks | 25 (a 5 × 5 mean filter) | |||
| Mean filter for inherent phase estimation | 3 × 3 | |||
| Spatial rectangular window (azimuth, range) | 5000–13,000, 2000–4000 | 1–6000, 3000–5000 | 6000–12,000, 3000–7000 | 12,000–18,000, 1–4000 |
Publisher’s Note: MDPI stays neutral with regard to jurisdictional claims in published maps and institutional affiliations. |
© 2021 by the authors. Licensee MDPI, Basel, Switzerland. This article is an open access article distributed under the terms and conditions of the Creative Commons Attribution (CC BY) license (https://creativecommons.org/licenses/by/4.0/).
Share and Cite
Li, Y.; Li, C.; Peng, X.; Li, S.; Zeng, H.; Yang, W. Phase-Based GLRT Detection of Moving Targets with Pixel Tracking in Low-Resolution SAR Image Sequences. Remote Sens. 2021, 13, 3855. https://doi.org/10.3390/rs13193855
Li Y, Li C, Peng X, Li S, Zeng H, Yang W. Phase-Based GLRT Detection of Moving Targets with Pixel Tracking in Low-Resolution SAR Image Sequences. Remote Sensing. 2021; 13(19):3855. https://doi.org/10.3390/rs13193855
Chicago/Turabian StyleLi, Yulun, Chunsheng Li, Xiaodong Peng, Shuo Li, Hongcheng Zeng, and Wei Yang. 2021. "Phase-Based GLRT Detection of Moving Targets with Pixel Tracking in Low-Resolution SAR Image Sequences" Remote Sensing 13, no. 19: 3855. https://doi.org/10.3390/rs13193855
APA StyleLi, Y., Li, C., Peng, X., Li, S., Zeng, H., & Yang, W. (2021). Phase-Based GLRT Detection of Moving Targets with Pixel Tracking in Low-Resolution SAR Image Sequences. Remote Sensing, 13(19), 3855. https://doi.org/10.3390/rs13193855

